Legals & Public Notices: September 5, 2025
City of Sioux Falls, Minnehaha County, Lincoln County, Public Notices, Name Changes, Notices to Creditors, Foreclosure Sales, Summons
CITY OF SIOUX FALLS
PUBLISH: Sept. 5, 2025
ORDINANCE NO. 50-25
AN ORDINANCE OF THE CITY OF SIOUX FALLS, SD, REZONING PROPERTY LOCATED AT 216 S. ELMWOOD AVE. FROM THE RD-1 TWIN HOME/DUPLEX RESIDENTIAL—SUBURBAN DISTRICT TO THE RT-2 TOWNHOME RESIDENTIAL—TRADITIONAL DISTRICT, NO. 021508-2025, AND AMENDING THE OFFICIAL ZONING MAP OF THE CITY OF SIOUX FALLS.
BE IT ORDAINED BY THE CITY OF SIOUX FALLS, SD:
Lot 25, Block 13, Braley’s 1st Addition, City of Sioux Falls, Minnehaha County, SD, is hereby rezoned from the RD-1 Twin Home/Duplex Residential—Suburban District to the RT-2 Townhome Residential—Traditional District located at 216 S. Elmwood Ave., and the official zoning map of the City of Sioux Falls is amended to include the rezoning.
Date adopted: 09/02/25.
Paul TenHaken, Mayor
ATTEST:
Jermery J. Washington, City Clerk
Published once on Sept. 5, 2025, at the approximate cost of $12.56, and may be viewed free of charge at www.sdpublicnotices.com or TheDakotaScout.com.
PUBLISH: Sept. 5, 2025
ORDINANCE NO. 51-25
AN ORDINANCE OF THE CITY OF SIOUX FALLS, SD, REZONING PROPERTY LOCATED NORTH OF E. 69TH ST. AND EAST OF S. SYCAMORE AVE. FROM THE RD 1 TWIN HOME/DUPLEX RESIDENTIAL—SUBURBAN DISTRICT TO THE RD-2 TOWNHOME RESIDENTIAL—SUBURBAN DISTRICT, NO. 021536-2025, AND AMENDING THE OFFICIAL ZONING MAP OF THE CITY OF SIOUX FALLS.
BE IT ORDAINED BY THE CITY OF SIOUX FALLS, SD:
The S1/2 of the NE1/4 and the SW1/4, Section 8-T100-R49, As Shown by Exhibit, City of Sioux Falls, Lincoln County, SD, is hereby rezoned from the RD-1 Twin Home/Duplex Residential—Suburban District to the RD-2 Townhome Residential—Suburban District located north of E. 69th St. and east of S. Sycamore Ave., and the official zoning map of the City of Sioux Falls is amended to include the rezoning.
Date adopted: 09/02/25.
Paul TenHaken, Mayor
ATTEST:
Jermery J. Washington,
City Clerk
Published once on Sept. 5, 2025, at the approximate cost of $13.53, and may be viewed free of charge at www.sdpublicnotices.com or TheDakotaScout.com.
-
PUBLISH: Sept. 5, 2025
-
PUBLISH: Sept. 5, 2025
ORDINANCE NO. 52-25
AN ORDINANCE OF THE CITY OF SIOUX FALLS, SD, REZONING PROPERTY LOCATED AT 5910 E. RICE ST. FROM THE CN CONSERVATION DISTRICT TO THE I 1 LIGHT INDUSTRIAL DISTRICT, NO. 021543-2025, AND AMENDING THE OFFICIAL ZONING MAP OF THE CITY OF SIOUX FALLS.
BE IT ORDAINED BY THE CITY OF SIOUX FALLS, SD:
Tract 6, Rubin’s Addition, City of Sioux Falls, Minnehaha County, SD, is hereby rezoned from the CN Conservation District to the I-1 Light Industrial District located at 5910 E. Rice St., and the official zoning map of the City of Sioux Falls is amended to include the rezoning.
Date adopted: 09/02/25.
Paul TenHaken, Mayor
ATTEST:
Jermery J. Washington,
City Clerk
Published once on Sept. 5, 2025, at the approximate cost of $10.95, and may be viewed free of charge at www.sdpublicnotices.com or TheDakotaScout.com.
-
PUBLISH: Sept. 5, 2025
ORDINANCE NO. 53-25
AN ORDINANCE OF THE CITY OF SIOUX FALLS, SD, APPROVING A LEASE OF CITY REAL PROPERTY.
WHEREAS, the City of Sioux Falls, 224 West Ninth Street, P.O. Box 7402, Sioux Falls, SD 57117-7402 (the Lessor), and Cherapa II QOZB, LLC, 300 North Cherapa Place, Sioux Falls, SD 57103, (the Lessee), desire to enter into a lease for the purposes of operating a parking lot; and
WHEREAS, Cherapa II QOZB, LLC, 300 North Cherapa Place, Sioux Falls, SD 57103 wishes to enter into a lease located at 330 East Sixth Street, Sioux Falls, SD 57103. The legal description of the City-owned property is as follows: Tract 1 Burlington Northern Santa-Fe 4th Addition to City of Sioux Falls, all in Minnehaha County, South Dakota, as shown on Exhibit A; and
This lease shall be effective for a term of five (5) years. The Lessee shall make a yearly rent payment.
BE IT ORDAINED BY THE CITY OF SIOUX FALLS, SD:
That the Lease Agreement attached to and made part of this ordinance is hereby approved.
That the City shall publish this ordinance, without attachments, after its passage. The attachments are on file and available for inspection in the office of the City Clerk.
That the parties are authorized to sign such Lease Agreement.
Date adopted: 09/02/25.
Paul TenHaken, Mayor
ATTEST:
Jermery J. Washington, City Clerk
Published once on Sept. 5, 2025, at the approximate cost of $17.39, and may be viewed free of charge at www.sdpublicnotices.com or TheDakotaScout.com.
-
PUBLISH: Sept. 5, 2025
ORDINANCE NO. 54-25
AN ORDINANCE GRANTING THE SURFACE AMBULANCE SERVICE FRANCHISE TO PARAMEDICS LOGISTICS SOUTH DAKOTA, LLC, AND APPROVING THE FRANCHISE AGREEMENT BETWEEN PARAMEDICS LOGISTICS SOUTH DAKOTA, LLC, AND THE CITY OF SIOUX FALLS, SOUTH DAKOTA, ALONG WITH AUTHORIZING THE MAYOR TO SIGN THE SAME.
WHEREAS, that the City of Sioux Falls, South Dakota (“City”) has the authority to grant an exclusive franchise to provide surface ambulance service within the city pursuant to SDCL 34-11-1, City Charter Section 2.12(4), and Sections 124.080 and 124.081 of the Revised Code of Ordinances of Sioux Falls, South Dakota;
WHEREAS, that the City has found that granting an exclusive franchise for providing surface ambulance transport services within the city is the official policy and regulatory scheme of the City, pursuant to Section 124.081 of the Revised Code of Ordinances of Sioux Falls, South Dakota;
WHEREAS, that the City’s Public Health Director, having reviewed the performance of Paramedics Logistics South Dakota, LLC, dba “PatientCare EMS” (PatientCare EMS) who has provided surface ambulance transport services within the City for approximately ten years, and having reviewed the Emergency Medical Services System Audit Summary Report dated March 4, 2025 (Report) as presented to the Sioux Falls City Council, which Report found PatientCare EMS has met or exceeded all performance and quality metrics standards during that time, and recommends an exclusive franchise be granted to PatientCare EMS for providing surface ambulance transport services within the City and this exclusive franchise given to PatientCare EMS is in the best interest in promoting the public health, safety, and welfare;
WHEREAS, that the City and PatientCare EMS have participated in a process together to negotiate the terms of a franchise;
WHEREAS, that the City has determined that this franchise should be awarded to PatientCare EMS and the award of such franchise is in the best interests of the public health, safety, and welfare, subject to written acceptance by PatientCare EMS;
NOW, THEREFORE, BE IT ORDAINED BY THE CITY OF SIOUX FALLS, SD:
That the document attached to and part of this ordinance entitled “Surface Ambulance Transport Services Franchise Agreement Between Paramedics Logistics South Dakota, LLC and the City of Sioux Falls, SD,” being a five-year agreement with the option for a five-year renewal subject to the terms of the contract, is hereby approved; and
That the Mayor is authorized to sign such agreement after it is ratified and executed by PatientCare EMS.
Date adopted: 09/02/25.
Paul TenHaken, Mayor
ATTEST:
Jermery J. Washington, City Clerk
Published once on Sept. 5, 2025, at the approximate cost of $34.46, and may be viewed free of charge at www.sdpublicnotices.com or TheDakotaScout.com.
-
PUBLISH: Sept. 5, 2025
NOTICE OF HEARING UPON APPLICATIONS FOR SALE OF ALCOHOLIC BEVERAGES
Notice is given that various Alcoholic Beverage Licenses are to be operated at various locations in Sioux Falls, South Dakota, as listed below.
The City Council will consider said applications at Carnegie Town Hall, 235 West Tenth Street, at 6:00 p.m., on September 16, 2025.
Any person interested may appear and be heard.
New 2025 Retail (on-sale) Liquor License for Blackstreet Partners, 220 South Phillips Avenue.
New 2025 Retail (on-sale) Liquor License for BT Investments LLC, 5219 West 26th Street.
New 2025 Retail (on-sale) Liquor License for Deuces Casino 17, 5409 West 41st Street.
New 2025 Package (off-sale) Liquor License for Circle K, 4811 East Arrowhead Parkway.
New 2025 Package (off-sale) Liquor License for Circle K, 5400 North Cliff Avenue.
New 2025 Package (off-sale) Liquor License for Circle K, 5210 West 12th Street.
New 2025 Retail Wine License and New 2025-26 Retail Malt Beverage License for Cenex Zip Trip, 4965 South Klein Avenue.
Transfer of 2025 Retail (on-sale) Liquor License from Vikash Patel, 4109 West 57th Street to High Roller Casino III, 4619 East 54th Street, Suite 101.
Transfer of 2025 Retail (on-sale) Liquor License from Vikash Patel, 2712 South Ellis Road to High Roller Casino III, 4619 East 54th Street, Suite 102.
Transfer of 2025 Retail (on-sale) Liquor License from Anusiya LLC, 2409 West Russell Street, to High Roller Casino III, 4619 East 54th Street, Suite 103.
Transfer of 2025 Retail (on-sale) Liquor License from Pfive Investments, 5013 North Annika Avenue, to High Roller Casino III, 4619 East 54th Street, Suite 104.
Jamie L. Palmer
Licensing Specialist
City Attorney’s Office
Published once on Sept. 5, 2025, at the approximate cost of $23.83, and may be viewed free of charge at www.sdpublicnotices.com or TheDakotaScout.com.
-
PUBLISH: Sept. 5, 2025
MINUTES
Regular City Council Meeting
Tuesday, September 2, 2025, at 6:00 PM
Carnegie Town Hall, 235 West 10th St., Sioux Falls, South Dakota 57104
CALL TO ORDER
1. MEETING ROLL CALL
Present: Council Member Ryan Spellerberg, Council Member Richard L. Thomason, Council Member David Barranco, Council Member Miranda Basye, Council Member Sarah Cole, Council Member Rich Merkouris, Council Member Jennifer Sigette, Council Member Curt Soehl, Mayor Paul TenHaken
Absent: None
2. INVOCATION
• Lead Pastor Marc Sundstrom, Linwood Wesleyan Church
3. PLEDGE OF ALLEGIANCE
CONSENT AGENDA
4. APPROVAL OF THE CONSENT AGENDA
A motion was made by Council Member Merkouris and seconded by Council Member Sigette to approve the Consent Agenda.
Roll call vote to approve. 8 Yes: Spellerberg, Thomason, Barranco, Basye, Cole, Merkouris, Sigette, Soehl; 0 No: (None). Motion Passed.
5. APPROVAL OF MINUTES
• Budget Hearings of Tuesday, August 19, 2025
• City Council Meeting of Tuesday, August 19, 2025
• Informational Meeting of Tuesday, August 26, 2025
• Joint City Council / Minnehaha County Commission Meeting of Tuesday, August 26, 2025
COMMUNICATIONS
6. Approval of contracts/agreements over $100K on the memorandum dated August 29, 2025.
7. Approval of surplus property disposition on the memorandum dated August 15, 2025.
8. Approval of a request pursuant to SDCL 35-1-5.5 from Augustana University to consume, but not sell, alcoholic beverages at Rydell School of Business, 2301 S. Summit Avenue, on September 9, 2025.
9. Approval of a request pursuant to SDCL 35-1-5.5 from Mayrani Rodriguez to consume, but not sell, alcoholic beverages at the Mary Jo Wegner Arboretum, 1900 S. Perry Pl., on September 20, 2025.
10. Approval of a request pursuant to SDCL 35-1-5.5 from Holy SpiriCatholic Church to consume, but not sell, alcoholic beverages at the Holy Spirit Catholic Church, 3601 E. Dudley Lane, on October 4, 2025.
11. Approval of a request pursuant to SDCL 35-1-5.5 from John W. Anderson to consume, but not sell, alcoholic beverages at the Mary Jo Wegner Arboretum, 1900 S. Perry Pl., on October 18, 2025.
12. Approval of a request pursuant to SDCL 35-1-5.5 from Augustana University to consume, but not sell, alcoholic beverages at Rydell School of Business, 2301 S. Summit Avenue, on October 27, 2025.
APPLICATIONS
13. Special One-Day Liquor License for T Slat Inc., to be operated at Augustana University, 2001 South Summit Avenue, for a football game on September 6, 2025.
14. Special One-Day Liquor License for T Slat Inc., to be operated at Active Generations, 5500 East Active Gen Place, for a Jamboree on September 11, 2025.
15. Special One-Day Liquor License for Prohibition Pub LLC to be operated at The Social, 301 South Thompson Avenue, for an event on September 13, 2025.
16. Special One-Day Liquor License for T Slat Inc., to be operated at Silencer Central, 4901 North 4th Avenue, for a company party on September 18, 2025.
17. Special One-Day Malt Beverage License for Severance Brewing Company/Downtown Sioux Falls to be operated at 300 North Cherapa Place, 324 North Reid Place and area described as Cherapa Riverfront Greenway trail between 6th Street to 8th Street bridges, amphitheater, sidewalk extending southeast to the Cherapa Pl & Sioux Falls Area Community Foundation parking lot to North Reid Street, North Reid Street at Cherapa Place to 6th Street, for Riverfest on September 20, 2025.
18. Special One-Day Malt Beverage License for Panacea Brewing Company/Downtown Sioux Falls to be operated at 300 North Cherapa Place, 324 North Reid Place and area described as Cherapa Riverfront Greenway trail between 6th Street to 8th Street bridges, amphitheater, sidewalk extending southeast to the Cherapa Pl & Sioux Falls Area Community Foundation parking lot to North Reid Street, North Reid Street at Cherapa Place to 6th Street, for Riverfest on September 20, 2025.
19. Special One-Day Malt Beverage License for Fernson Brewing Company/Downtown Sioux Falls to be operated at 300 North Cherapa Place, 324 North Reid Place and area described as Cherapa Riverfront Greenway trail between 6th Street to 8th Street bridges, amphitheater, sidewalk extending southeast to the Cherapa Pl & Sioux Falls Area Community Foundation parking lot to North Reid Street, North Reid Street at Cherapa Place to 6th Street, for Riverfest on September 20, 2025.
20. Special One-Day Malt Beverage License for Woodgrain Brewing Company/Downtown Sioux Falls to be operated at 300 North Cherapa Place, 324 North Reid Place and area described as Cherapa Riverfront Greenway trail between 6th Street to 8th Street bridges, amphitheater, sidewalk extending southeast to the Cherapa Pl & Sioux Falls Area Community Foundation parking lot to North Reid Street, North Reid Street at Cherapa Place to 6th Street, for Riverfest on September 20, 2025.
21. Special One-Day Malt Beverage License for Fernson Taphouse LLC to be operated at the Federal Courthouse Plaza area between Phillips Ave and 1st Avenue, for Oktoberfest on September 27, 2025.
22. Special One-Day Malt Beverage License for Panacea Brewing Company to be operated at Grayston Heights, 5140 South Grayston Avenue, for an event on October 17, 2025.
The City Council concurs with the Minnehaha County Commission’s recommendation for approval of the following abatements:
23. Parcel #36788, for 2020 property taxes in the amount of $2,251.71. Reason: Applicant qualifies for exemption under SDCL 10-4-40 & 10-4-41 (Disabled Veteran).
24. Parcel #36788, for 2021 property taxes in the amount of $2,224.11. Reason: Applicant qualifies for exemption under SDCL 10-4-40 & 10-4-41 (Disabled Veteran).
25. Parcel #36788, for 2022 property taxes in the amount of $2,163.95. Reason: Applicant qualifies for exemption under SDCL 10-4-40 & 10-4-41 (Disabled Veteran).
26. Parcel #36788, for 2023 property taxes in the amount of $2,041.59. Reason: Applicant qualifies for exemption under SDCL 10-4-40 & 10-4-41 (Disabled Veteran).
27. Parcel #36788, for 2024 property taxes in the amount of $1,965.62. Reason: Applicant qualifies for exemption under SDCL 10-4-40 & 10-4-41 (Disabled Veteran).
NOTICE OF HEARINGS
28. Set a date of hearing for Tuesday, September 16, 2025. New 2025 Retail (on-sale) Liquor License for Blackstreet Partners, 220 South Phillips Avenue.
29. Set a date of hearing for Tuesday, September 16, 2025. New 2025 Retail (on-sale) Liquor License for BT Investments LLC, 5219 West 26th Street.
30. Set a date of hearing for Tuesday, September 16, 2025. New 2025 Retail (on-sale) Liquor License for Deuces Casino 17, 5409 West 41st Street.
31. Set a date of hearing for Tuesday, September 16, 2025. New 2025 Package (off-sale) Liquor License for Circle K, 4811 East Arrowhead Parkway.
32. Set a date of hearing for Tuesday, September 16, 2025. New 2025 Package (off-sale) Liquor License for Circle K, 5400 North Cliff Avenue.
33. Set a date of hearing for Tuesday, September 16, 2025. New 2025 Package (off-sale) Liquor License for Circle K, 5210 West 12th Street.
34. Set a date of hearing for Tuesday, September 16, 2025. New 2025 Retail Wine License and New 2025-26 Retail Malt Beverage License for Cenex Zip Trip, 4965 South Klein Avenue.
35. Set a date of hearing for Tuesday, September 16, 2025. Transfer of 2025 Retail (on-sale) Liquor License from Vikash Patel, 4109 West 57th Street to High Roller Casino III, 4619 East 54th Street, Suite 101.
36. Set a date of hearing for Tuesday, September 16, 2025. Transfer of 2025 Retail (on-sale) Liquor License from Vikash Patel, 2712 South Ellis Road to High Roller Casino III, 4619 East 54th Street, Suite 102.
37. Set a date of hearing for Tuesday, September 16, 2025. Transfer of 2025 Retail (on-sale) Liquor License from Anusiya LLC, 2409 West Russell Street, to High Roller Casino III, 4619 East 54th Street, Suite 103.
38. Set a date of hearing for Tuesday, September 16, 2025. Transfer of 2025 Retail (on-sale) Liquor License from Pfive Investments, 5013 North Annika Avenue, to High Roller Casino III, 4619 East 54th Street, Suite 104.
REGULAR AGENDA
39. APPROVAL OF THE REGULAR AGENDA
A motion was made by Council Member Sigette and seconded by Council Member Spellerberg to approve the Regular Agenda.
A motion was made by Council Member Merkouris and seconded by Council Member Cole to amend by moving Item 63 immediately after Item 52.
Roll call vote to amend. 8 Yes: Spellerberg, Thomason, Barranco, Basye, Cole, Merkouris, Sigette, Soehl; 0 No: (None). Motion Passed.
Roll call vote to approve, as amended. 8 Yes: Spellerberg, Thomason, Barranco, Basye, Cole, Merkouris, Sigette, Soehl; 0 No: (None). Motion Passed.
UNFINISHED BUSINESS
40. New 2025 Package Liquor License for Kwik Star, 901 North Ebenezer Avenue.
41. New 2025 Package Liquor License for Kwik Star, 6301 East 41st Street.
42. New 2025 Retail Wine License and New 2025-26 Retail Malt Beverage License for Ali’s Sports Bar and Restaurant LLC, 3221 South Carolyn Avenue.
43. New 2025 Retail Wine License and New 2025-26 Retail Malt Beverage License for The Dive LLC, 1612 South Western Avenue.
44. Special One-Day Malt Beverage License for Rachel’s Race Inc., to be operated at Family Park, 300 North Ellis Road at the race finish line, for a fundraiser on September 13, 2025.
A motion was made by Council Member Basye and seconded by Council Member Barranco to approve Items 40 through 44.
Roll call vote to approve. 8 Yes: Spellerberg, Thomason, Barranco, Basye, Cole, Merkouris, Sigette, Soehl; 0 No: (None). Motion Passed.
INTRODUCTION AND ADOPTION OF ORDINANCES
ORDINANCE SECOND READINGS
45. 2nd Reading: Deferred from the Meeting of Wednesday, August 6, 2025; Deferred from the City Council Meeting on Wednesday, August 6, 2025: AN ORDINANCE OF THE CITY OF SIOUX FALLS, SD, REZONING PROPERTY LOCATED SOUTH OF W. 69TH ST. AND WEST OF S. BEAL AVE. FROM THE AG AGRICULTURE DISTRICT TO THE RA-3 APARTMENT RESIDENTIAL—HIGH DENSITY DISTRICT, NO. 021361-2025, AND AMENDING THE OFFICIAL ZONING MAP OF THE CITY OF SIOUX FALLS. The Planning Commission recommends approval (5-0).
Private Applicant(s): Empire Companies – Brady Hyde
A motion was made by Council Member Barranco and seconded by Council Member Basye to defer Item 45 to the City Council Meeting on Tuesday, October 7, 2025.
Roll call vote to defer. 8 Yes: Spellerberg, Thomason, Barranco, Basye, Cole, Merkouris, Sigette, Soehl; 0 No: (None). Motion Passed.
46. 2nd Reading: Deferred from the meeting of Wednesday, August 6, 2025; Deferred from the City Council Meeting on Wednesday, August 6, 2025: AN ORDINANCE GRANTING THE SURFACE AMBULANCE SERVICE FRANCHISE TO PARAMEDICS LOGISTICS SOUTH DAKOTA, LLC, AND APPROVING THE FRANCHISE AGREEMENT BETWEEN PARAMEDICS LOGISTICS SOUTH DAKOTA, LLC, AND THE CITY OF SIOUX FALLS, SOUTH DAKOTA, ALONG WITH AUTHORIZING THE MAYOR TO SIGN THE SAME.
Sponsor: Mayor
A motion was made by Council Member Sigette and seconded by Council Member Spellerberg to adopt Ordinance No. 54-25.
Roll call vote to adopt. 7 Yes: Spellerberg, Thomason, Barranco, Basye, Cole, Merkouris, Sigette; 1 No: Soehl. Motion Passed.
47. 2nd Reading: AN ORDINANCE OF THE CITY OF SIOUX FALLS, SD, REZONING PROPERTY LOCATED AT 216 S. ELMWOOD AVE. FROM THE RD-1 TWIN HOME/DUPLEX RESIDENTIAL—SUBURBAN DISTRICT TO THE RT-2 TOWNHOME RESIDENTIAL—TRADITIONAL DISTRICT, NO. 021508-2025, AND AMENDING THE OFFICIAL ZONING MAP OF THE CITY OF SIOUX FALLS. The Planning Commission recommends approval (6-0).
Private Applicant(s): Brandon Myers
A motion was made by Council Member Cole and seconded by Council Member Basye to adopt Ordinance No. 50-25.
Roll call vote to adopt. 8 Yes: Spellerberg, Thomason, Barranco, Basye, Cole, Merkouris, Sigette, Soehl; 0 No: (None). Motion Passed.
48. 2nd Reading: AN ORDINANCE OF THE CITY OF SIOUX FALLS, SD, REZONING PROPERTY LOCATED NORTH OF E. 69TH ST. AND EAST OF S. SYCAMORE AVE. FROM THE RD 1 TWIN HOME/DUPLEX RESIDENTIAL—SUBURBAN DISTRICT TO THE RD-2 TOWNHOME RESIDENTIAL—SUBURBAN DISTRICT, NO. 021536-2025, AND AMENDING THE OFFICIAL ZONING MAP OF THE CITY OF SIOUX FALLS. The Planning Commission recommends approval (6-0).
Private Applicant(s): Ronning Commercial, LLC – Blaine Davis
A motion was made by Council Member Spellerberg and seconded by Council Member Basye to adopt Ordinance 51-25.
Roll call vote to adopt. 7 Yes: Spellerberg, Thomason, Basye, Cole, Merkouris, Sigette, Soehl; 0 No: (None). Motion Passed. Barranco was not present for the vote on this motion.
49. 2nd Reading: AN ORDINANCE OF THE CITY OF SIOUX FALLS, SD, REZONING PROPERTY LOCATED AT 5910 E. RICE ST. FROM THE CN CONSERVATION DISTRICT TO THE I 1 LIGHT INDUSTRIAL DISTRICT, NO. 021543-2025, AND AMENDING THE OFFICIAL ZONING MAP OF THE CITY OF SIOUX FALLS. The Planning Commission recommends approval (6-0).
Private Applicant(s): JB2, LLC – Kylin Nelson
A motion was made by Council Member Cole and seconded by Council Member Basye to adopt Ordinance No. 52-25.
Roll call vote to adopt. 7 Yes: Spellerberg, Thomason, Basye, Cole, Merkouris, Sigette, Soehl; 0 No: (None). Motion Passed. Barranco was not present for the vote on this motion.
50. 2nd Reading: AN ORDINANCE OF THE CITY OF SIOUX FALLS, SD, REZONING PROPERTY LOCATED AT 1020 S. MINNESOTA AVE. FROM THE MMU2 MIDTOWN MIXED-USE—MODERATE DENSITY DISTRICT TO THE LW LIVE-WORK AND C-2 COMMERCIAL—NEIGHBORHOOD AND STREETCAR DISTRICTS, NO. 021555-2025, AND AMENDING THE OFFICIAL ZONING MAP OF THE CITY OF SIOUX FALLS.
Private Applicant(s): Reynolds Construction Management – Paul Reynolds
A motion was made by Council Member Barranco and seconded by Council Member Sigette to defer Item 50 to the City Council Meeting on Tuesday, October 21, 2025..
Roll call vote to defer. 8 Yes: Spellerberg, Thomason, Barranco, Basye, Cole, Merkouris, Sigette, Soehl; 0 No: (None). Motion Passed.
51. 2nd Reading: AN ORDINANCE OF THE CITY OF SIOUX FALLS, SD, APPROVING A LEASE OF CITY REAL PROPERTY.
Sponsor: Mayor
A motion was made by Council Member Sigette and seconded by Council Member Spellerberg to adopt Ordinance No. 53-25.
Roll call vote to adopt. 8 Yes: Spellerberg, Thomason, Barranco, Basye, Cole, Merkouris, Sigette, Soehl; 0 No: (None). Motion Passed.
ORDINANCE FIRST READINGS
52. 1st Reading: AN ORDINANCE OF THE CITY OF SIOUX FALLS, SD, APPROVING A MIDAMERICAN ENERGY COMPANY GAS PIPELINE EASEMENT.
Sponsor: Mayor
A motion was made by Council Member Cole and seconded by Council Member Basye to set a date of hearing for Tuesday, September 9, 2025 for Item 52.
Roll call vote to set a date of hearing. 7 Yes: Spellerberg, Thomason, Barranco, Basye, Cole, Merkouris, Soehl; 0 No: (None). Motion Passed. Sigette was not present for the vote on this motion.
Item 63 was heard at this time. See item for action taken.
53. 1st Reading: AN ORDINANCE OF THE CITY OF SIOUX FALLS, SD, PROVIDING APPROPRIATIONS AUTHORIZING AN INCREASE IN PROPERTY TAX REVENUE PURSUANT TO SDCL 10-13-35 AND THE MEANS OF FINANCING FOR THE FISCAL YEAR ENDING DECEMBER 31, 2026.
Sponsor: Mayor
A motion was made by Council Member Soehl and seconded by Council Member Spellerberg to set a date of hearing for Tuesday, September 9, 2025 for Item 53.
Roll call vote to set a date of hearing. 8 Yes: Spellerberg, Thomason, Barranco, Basye, Cole, Merkouris, Sigette, Soehl; 0 No: (None). Motion Passed.
HEARINGS AND RESOLUTIONS
54. Deferred from the meeting of Wednesday, August 6, 2025; Deferred from the City Council Meeting on Wednesday, August 6, 2025: A RESOLUTION OF THE CITY OF SIOUX FALLS APPROVING THE PRELIMINARY PLAN OF BRANDT’S 2ND ADDITION. The Planning Commission recommends approval (5-0).
Private Applicant(s): Empire Companies - Brady Hyde
A motion was made by Council Member Barranco and seconded by Council Member Spellerberg to defer Item 54 to the City Council Meeting on Tuesday, October 7, 2025..
Roll call vote to defer. 8 Yes: Spellerberg, Thomason, Barranco, Basye, Cole, Merkouris, Sigette, Soehl; 0 No: (None). Motion Passed.
55. A RESOLUTION VACATING A PART OF NORTH 8TH AVENUE PUBLIC RIGHT-OF-WAY, LOCATED BETWEEN EAST 48TH STREET NORTH AND EAST 49TH STREET NORTH, AND A PART OF EAST 49TH STREET NORTH PUBLIC RIGHT-OF-WAY, LOCATED FROM NORTH 8TH AVENUE TO APPROXIMATELY 246’ EAST, AS SHOWN ON EXHIBIT A.
Sponsor: Mayor
A motion was made by Council Member Spellerberg and seconded by Council Member Barranco to adopt Resolution No. 66-25.
Roll call vote to adopt. 8 Yes: Spellerberg, Thomason, Barranco, Basye, Cole, Merkouris, Sigette, Soehl; 0 No: (None). Motion Passed.
RESOLUTION NO. 66-25
A RESOLUTION VACATING A PART OF NORTH 8TH AVENUE PUBLIC RIGHT-OF-WAY, LOCATED BETWEEN EAST 48TH STREET NORTH AND EAST 49TH STREET NORTH, AND A PART OF EAST 49TH STREET NORTH PUBLIC RIGHT-OF-WAY, LOCATED FROM NORTH 8TH AVENUE TO APPROXIMATELY 246’ EAST, AS SHOWN ON EXHIBIT A.
WHEREAS, a petition to vacate public right-of-way has been filed by the owners of the following described property:
Lot 1 Block 1 (Ex Lot P-1) Dakotaland Addition to the City of Sioux Falls, Minnehaha County, South Dakota
Lot 6 Block 9 Sioux Empire Development Park One Addition to the City of Sioux Falls, Minnehaha County, South Dakota
Lot 11 Block 9 Sioux Empire Development Park One Addition to the City of Sioux Falls, Minnehaha County, South Dakota
WHEREAS, the hearing was held on September 2, 2025, and the petition has been duly examined and investigated by the City Council of the City of Sioux Falls. Testimony of said petition has been heard. Said property, as shown upon the plats attached to and made a part of said petition, has been used as a street, alley, or public ground but no longer serves a useful public purpose.
NOW, THEREFORE, BE IT RESOLVED BY THE CITY OF SIOUX FALLS, SD:
That the publicly dedicated right of way as shown on Exhibit A, be and the same hereby is declared vacated, subject to a utility easement reserved by the City of Sioux Falls in, over, and upon a part of the vacated right-of-way as shown on Exhibit A for electric, telephone lines, cable TV, and all public utility uses required or authorized by the City of Sioux Falls, and that the City Clerk shall cause to be filed with the Register of Deeds, Minnehaha County, South Dakota, a duly certified transcript of this resolution.
Date adopted: 09/02/25 .
Paul TenHaken, Mayor
ATTEST:
Jermery J. Washington, City Clerk
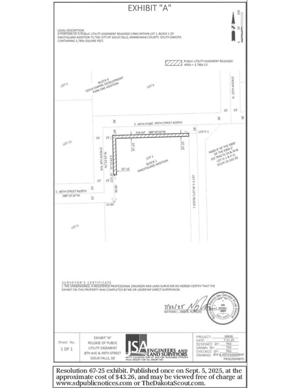
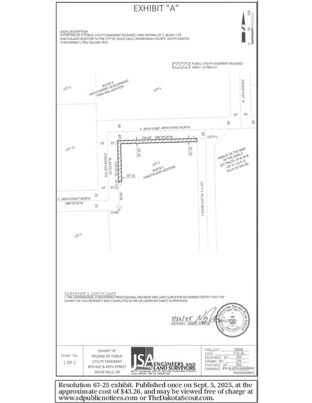
56. A RESOLUTION APPROVING THE RELEASE OF PART OF A PERMANENT UTILITY EASEMENT LOCATED WITHIN LOT 1, BLOCK 1 OF DAKOTALAND ADDITION TO THE CITY OF SIOUX FALLS, MINNEHAHA COUNTY, SOUTH DAKOTA, AS SHOWN ON EXHIBIT A.
Sponsor: Mayor
A motion was made by Council Member Cole and seconded by Council Member Sigette to adopt Resolution No. 67-25.
Roll call vote to adopt. 8 Yes: Spellerberg, Thomason, Barranco, Basye, Cole, Merkouris, Sigette, Soehl; 0 No: (None). Motion Passed.
RESOLUTION NO. 67-25
A RESOLUTION APPROVING THE RELEASE OF PART OF A PERMANENT UTILITY EASEMENT LOCATED WITHIN LOT 1, BLOCK 1 OF DAKOTALAND ADDITION TO THE CITY OF SIOUX FALLS, MINNEHAHA COUNTY, SOUTH DAKOTA, AS SHOWN ON EXHIBIT A.
WHEREAS, the City of Sioux Falls, SD, no longer needs part of the utility easement across the above-described real property, as shown on Exhibit A. Signed approvals from all public and private utilities are on file with the office of the City Engineer.
WHEREAS, the permanent utility easement was established by plat and filed in Book 73 of Plats on page 29 in the office of the Register of Deeds for Minnehaha County, SD on January 31, 2011.
NOW, THEREFORE, BE IT RESOLVED BY THE CITY OF SIOUX FALLS, SD:
That it approves the release of part of the permanent utility easement, as shown on attached Exhibit A, and affecting the real property described as Lot 1, Block 1 of Dakotaland Addition to the City of Sioux Falls, Minnehaha County, South Dakota and that the City Clerk shall cause to be recorded with the Register of Deeds, Minnehaha County, South Dakota, a duly certified transcript of this resolution.
Date adopted: 09/02/25 .
Paul TenHaken, Mayor
ATTEST:
Jermery J. Washington, City Clerk
57. A RESOLUTION VACATING A PORTION OF THE EAST 6TH STREET PUBLIC RIGHT-OF-WAY, LOCATED BETWEEN SOUTH FOSS AVENUE AND VETERANS PARKWAY, AS SHOWN ON EXHIBIT A.
Sponsor: Mayor
A motion was made by Council Member Cole and seconded by Council Member Basye to adopt Resollution No. 68-25.
Roll call vote to adopt. 8 Yes: Spellerberg, Thomason, Barranco, Basye, Cole, Merkouris, Sigette, Soehl; 0 No: (None). Motion Passed.
RESOLUTION NO. 68-25
A RESOLUTION VACATING A PORTION OF THE EAST 6TH STREET PUBLIC RIGHT-OF-WAY, LOCATED BETWEEN SOUTH FOSS AVENUE AND VETERANS PARKWAY, AS SHOWN ON EXHIBIT A.
WHEREAS, a petition to vacate public right-of-way has been filed by the owners of the following described property:
Tract 1 of Cliff Foss 4th Addition to the City of Sioux Falls, Minnehaha County, South Dakota
Tract 1 of Foss Fields 2nd Addition to the City of Sioux Falls, Minnehaha County, South Dakota
WHEREAS, the hearing was held on September 2, 2025, and the petition has been duly examined and investigated by the City Council of the City of Sioux Falls. Testimony of said petition has been heard. Said property, as shown upon the plats attached to and made a part of said petition, has been used as a street, alley, or public ground but no longer serves a useful public purpose.
NOW, THEREFORE, BE IT RESOLVED BY THE CITY OF SIOUX FALLS, SD:
That the portion of public right-of-way as shown on Exhibit A, be and the same hereby is declared vacated, and that the City Clerk shall cause to be filed with the Register of Deeds, Minnehaha County, South Dakota, a duly certified transcript of this resolution.
Date adopted: 09/02/25 .
Paul TenHaken, Mayor
ATTEST:
Jermery J. Washington, City Clerk
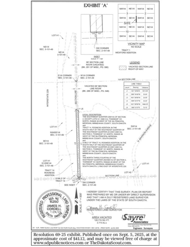
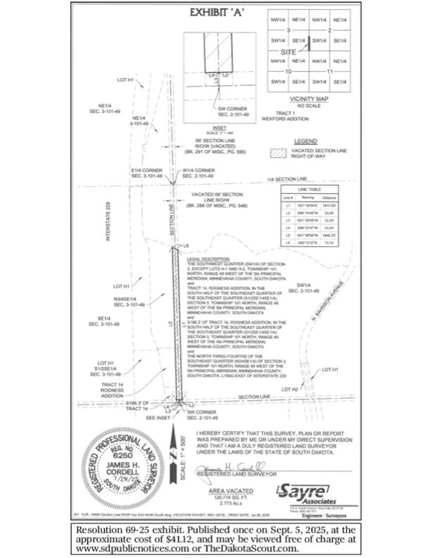
58. A RESOLUTION VACATING A PART OF THE 66 FOOT STATUTORY RIGHT-OF-WAY, LOCATED NORTH OF THE EAST/WEST SECTION LINE OF SECTIONS 2, 3, 10, AND 11, TOWNSHIP 101 NORTH, RANGE 49 WEST OF THE 5TH PRINCIPAL MERIDIAN, MINNEHAHA COUNTY, SOUTH DAKOTA, AS SHOWN ON EXHIBIT A.
Sponsor: Mayor
A motion was made by Council Member Sigette and seconded by Council Member Barranco to adopt Resolution No. 69-25.
Roll call vote to adopt. 8 Yes: Spellerberg, Thomason, Barranco, Basye, Cole, Merkouris, Sigette, Soehl; 0 No: (None). Motion Passed.
RESOLUTION NO. 69-25
A RESOLUTION VACATING A PART OF THE 66 FOOT STATUTORY RIGHT-OF-WAY, LOCATED NORTH OF THE EAST/WEST SECTION LINE OF SECTIONS 2, 3, 10, AND 11, TOWNSHIP 101 NORTH, RANGE 49 WEST OF THE 5TH PRINCIPAL MERIDIAN, MINNEHAHA COUNTY, SOUTH DAKOTA, AS SHOWN ON EXHIBIT A.
WHEREAS, a petition to vacate public right-of-way has been filed by the owners of the following described property:
The Southwest Quarter (SW1/4) of Section 2, except Lots H-1 and H-2, Township 101 North, Range 49 West of the 5th Principal Meridian, Minnehaha County, South Dakota;
The North Three-Fourths of the Southeast Quarter (N3/4SE1/4) of Section 3, Township 101 North, Range 49 West of the 5th Principal Meridian, Minnehaha County, South Dakota, Lying east of Interstate 229;
S186.3’ of Tract 14, Rogness Addition, in the South Half of the Southeast Quarter of the Southeast Quarter (S1/2SE1/4SE1/4), Section 3, Township 101 North, Range 49 West of the 5th Principal Meridian, Minnehaha County, South Dakota; and
Tract 14, Rogness Addition, in the South Half of the Southeast Quarter of the Southeast Quarter (S1/2SE1/4SE1/4), Section 3, Township 101 North, Range 49 West of the 5th Principal Meridian, Minnehaha County, South Dakota.
WHEREAS, the hearing was held on September 2, 2025, and the petition has been duly examined and investigated by the City Council of the City of Sioux Falls. Testimony of said petition has been heard. Said property, as shown upon the plats attached to and made a part of said petition, has been used as a street, alley, or public ground but no longer serves a useful public purpose.
NOW, THEREFORE, BE IT RESOLVED BY THE CITY OF SIOUX FALLS, SD:
That the 66 foot statutory right-of-way as shown on Exhibit A, be and the same hereby is declared vacated, and that the City Clerk shall cause to be filed with the Register of Deeds, Minnehaha County, South Dakota, a duly certified transcript of this resolution.
Date adopted: 09/02/25 .
Paul TenHaken, Mayor
ATTEST:
Jermery J. Washington, City Clerk
59. A RESOLUTION VACATING EAST 19TH STREET LYING BETWEEN SOUTH MINNESOTA AVENUE AND SOUTH DAKOTA AVENUE, AS SHOWN ON EXHIBIT A.
Sponsor: Mayor
A motion was made by Council Member Barranco and seconded by Council Member Cole to withdraw Item 59.
Roll call vote to withdraw. 8 Yes: Spellerberg, Thomason, Barranco, Basye, Cole, Merkouris, Sigette, Soehl; 0 No: (None). Motion Passed.
60. A RESOLUTION APPROVING THE SPECIAL ASSESSMENT ROLL FOR THE DOWNTOWN SIOUX FALLS BUSINESS IMPROVEMENT DISTRICT IN THE CITY OF SIOUX FALLS, SD.
Sponsor: Mayor
A motion was made by Council Member Spellerberg and seconded by Council Member Sigette to adopt Resolution No. 70-25.
Roll call vote to adopt. 8 Yes: Spellerberg, Thomason, Barranco, Basye, Cole, Merkouris, Sigette, Soehl; 0 No: (None). Motion Passed.
RESOLUTION NO. 70-25
A RESOLUTION APPROVING THE SPECIAL ASSESSMENT ROLL FOR THE DOWNTOWN SIOUX FALLS BUSINESS IMPROVEMENT DISTRICT IN THE CITY OF SIOUX FALLS, SD.
BE IT RESOLVED BY THE CITY OF SIOUX FALLS, SD:
Section 1. That the 2025 special assessment roll for the Downtown Sioux Falls Business Improvement District in the City of Sioux Falls, SD, is hereby approved, and the assessment as set out in said special assessment roll approved this date is hereby levied against the property described therein and becomes a lien against such property upon filing of said special assessment roll in the City Finance Office.
Section 2. Said assessment may be paid in one annual installment based on the assessed valuations of the property adjusted each year and shall be collected under Plan One—Collection by County Treasurer as provided in SDCL 9-43.
Date adopted: 09/02/25 .
Paul TenHaken, Mayor
ATTEST:
Jermery J. Washington, City Clerk
61. A RESOLUTION DECLARING IT NECESSARY TO LEVY AND LEVYING A SPECIAL FRONT FOOT ASSESSMENT FEE FOR STREET MAINTENANCE AND REPAIR.
Sponsor: Mayor
A motion was made by Council Member Cole and seconded by Council Member Spellerberg to adopt Resolution No. 71-25.
Roll call vote to adopt. 8 Yes: Spellerberg, Thomason, Barranco, Basye, Cole, Merkouris, Sigette, Soehl; 0 No: (None). Motion Passed.
RESOLUTION NO. 71-25
A RESOLUTION DECLARING IT NECESSARY TO LEVY AND LEVYING A SPECIAL FRONT FOOT ASSESSMENT FEE FOR STREET MAINTENANCE AND REPAIR.
BE IT RESOLVED BY THE CITY OF SIOUX FALLS, SD:
Section 1. It is necessary to levy and there shall be levied a special front foot assessment fee upon each lot, tract, and parcel of land fronting upon every street and part thereof within the city of Sioux Falls to be used to maintain and repair street surfacing or pavement.
Section 2. There is hereby assessed against each and every lot, tract, and parcel of land fronting upon every street, or part thereof, one dollar ($1.00) per front foot for the year 2026, which shall be apportioned as the assessment for maintaining of street surfacing or pavement, except for such parcels that are exempt by law. Front foot, for the purposes of this resolution, means the actual front of the premises as established by the buildings thereon, record title, and use of the property regardless of the original plat.
Section 3. The City Clerk shall certify such special front foot assessment fees to the county auditors of Minnehaha and Lincoln Counties, SD, and the same shall be collected as municipal taxes for general purposes.
Date adopted: 09/02/25 .
Paul TenHaken, Mayor
ATTEST:
Jermery J. Washington, City Clerk
62. A RESOLUTION DECLARING CERTAIN EQUIPMENT OF THE CITY SURPLUS AND AUTHORIZING THE GIFTING TO DOWNTOWN SIOUX FALLS.
Sponsor: Mayor
A motion was made by Council Member Sigette and seconded by Council Member Spellerberg to adopt Resolution No. 72-25.
Roll call vote to adopt. 8 Yes: Spellerberg, Thomason, Barranco, Basye, Cole, Merkouris, Sigette, Soehl; 0 No: (None). Motion Passed.
RESOLUTION NO. 72-25
A RESOLUTION DECLARING CERTAIN EQUIPMENT OF THE CITY SURPLUS AND AUTHORIZING THE GIFTING TO DOWNTOWN SIOUX FALLS.
WHEREAS, the City owns two Sony FS5 video cameras with 18-105 lenses and two Manfrotto 3246 tripods with fluid heads; and
WHEREAS, pursuant to SDCL 6-5-2, any political subdivision may convey and transfer any real or personal property which is held or owned by it, the title to which has been obtained and which is not held for public use or which is about to be abandoned for public purposes, to another political subdivision or nonprofit corporation for public, charitable, or humanitarian purposes and accommodation without offering the property for sale and without requiring the political subdivision or nonprofit corporation to pay for the property; and
WHEREAS, pursuant to SDCL 6-13-1, the governing board of a political subdivision may sell, trade, loan, destroy, or otherwise dispose of any land, structures, equipment, or other property which the governing board has, by appropriate motion, determined is no longer necessary, useful, or suitable for the purpose for which it was acquired; and
WHEREAS, the above-described personal property is no longer necessary, useful, or suitable for the purpose for which it was acquired by the City and has been declared as surplus; and
WHEREAS, Downtown Sioux Falls finds it desirable to acquire said property; and
WHEREAS, Downtown Sioux Falls is a South Dakota domestic nonprofit corporation;
NOW, THEREFORE, BE IT RESOLVED BY THE CITY OF SIOUX FALLS, SD:
Section 1. That the recitals above are adopted and are incorporated herein by this reference as if set out in full.
Section 2. That, pursuant to SDCL Chapter 6-13, the two Sony FS5 video cameras with 18-105 lenses and the two Manfrotto 3246 tripods with fluid heads identified above are surplus property that is no longer necessary, useful, or suitable for the purpose for which it was acquired.
Section 3. That the gifting for a public purpose by the City of Sioux Falls of the two Sony FS5 video cameras with 18-105 lenses and the two Manfrotto 3246 tripods with fluid heads to Downtown Sioux Falls is hereby approved.
Date adopted: 09/02/25 .
Paul TenHaken, Mayor
ATTEST:
Jermery J. Washington, City Clerk
63. PUBLIC HEARING FOR A RESOLUTION ADOPTING THE BUDGET FOR THE FISCAL YEAR ENDING DECEMBER 31, 2026, AND THE 2026–2030 CAPITAL PROGRAM.
Sponsor: Mayor
No one came forward with any public hearing comments.
64. A RESOLUTION ADVISING AND GIVING CONSENT TO THE APPOINTMENT OF MEMBERS TO VARIOUS CITIZEN BOARDS.
Sponsor: Mayor
A motion was made by Council Member Soehl and seconded by Council Member Barranco to adopt Resolution No. 73-25.
Roll call vote to adopt. 8 Yes: Spellerberg, Thomason, Barranco, Basye, Cole, Merkouris, Sigette, Soehl; 0 No: (None). Motion Passed.
RESOLUTION NO. 73-25
A RESOLUTION ADVISING AND GIVING CONSENT TO THE APPOINTMENT OF MEMBERS TO CERTAIN CITIZEN BOARDS.
BE IT RESOLVED BY THE CITY OF SIOUX FALLS, SD:
That it gives its advice and consent to the following Mayoral appointments:
Name Board Term
Mason O’Farrell Board of Historic Preservation Appointed for a term from September 2025 to September 2028.
Date adopted: 09/02/25 .
Paul TenHaken, Mayor
ATTEST:
Jermery J. Washington, City Clerk
NEW BUSINESS
There was none.
GENERAL PUBLIC INPUT
Public Input was given on the following: multiple safety concerns reported in a specific apartment complex; compliance with city ordinances; Property Tax alternatives; navigating childhood abuse; and resources that can help individuals in South Dakota.
ADJOURNMENT
A motion was made by Council Member Barranco and seconded by Council Member Basye to adjourn the meeting at 8:08 p.m.
Voice vote to adjourn. 8 Yes: Spellerberg, Thomason, Barranco, Basye, Cole, Merkouris, Sigette, Soehl; 0 No: (None). Motion Passed.
Tamara Jorgensen, MMC, Assistant City Clerk
Published once on Sept. 5, 2025, at the approximate cost of $375.26, and may be viewed free of charge at www.sdpublicnotices.com or TheDakotaScout.com.
-
PUBLISH: Aug. 29 & Sept. 5, 2025
NOTICE OF PUBLIC MEETING FOR THE DRINKING WATER FACILITY PLAN FOR THE TRANSMISSION SYSTEM IMPROVEMENTS SIOUX FALLS, SOUTH DAKOTA:
The City of Sioux Falls has plans of completing water transmission piping system for drinking water infrastructure. These plans include completing the third connection to the Lewis and Clark Regional Water System (L&C) at the intersection of SD 42 (W.12th Street) and 467th Avenue. This is the third connection and will be constructed in order to fully utilize the capacity that L&C anticipates supplying for Sioux Falls as well as provide a redundancy transmission main to mitigate demands. The City has identified emerging containments impacted wells near the Sioux Falls Regional Airport. These wells have been taken out of service to remove the source of contamination in drinking water. A drinking water source replacement is needed.
The City will be applying for the Emerging Contaminants in Small or Disadvantaged Communities (EC-SDC) grant program. This grant program focuses on addressing emerging contaminants, including perfluoroalkyl and polyfluoroalkyl substances (PFAS), in small or disadvantaged communities’ drinking or source water. The statutory authority for the EC-SDC grant program requirements is within Section 1459A of the Safe Drinking Water Act (SDWA) which authorizes the Environmental Protection Agency (EPA) to award grants to states to fund projects that address emerging contaminants in small or disadvantaged communities.
The City is applying for a grant for $7,648,000 to construct this project. The purpose of the meeting is to discuss the proposed projects and the proposed financing. The public is invited to attend and comment on the project. Anyone unable to attend may submit written comments prior to the meeting to: Shannon Ausen, P.E., Engineering Program Manager, 231 N. Dakota Ave., P.O. Box 7402, Sioux Falls, SD 57117-7402, or by email at Shannon.ausen@siouxfalls.gov.
The public meeting will be held Monday, September 15, 2025, from 5:30 PM to 6:30 PM at the Switchgrass Room at Prairie West Library, located at 7630 W. 26th Street in Sioux Falls.
If an ADA accommodation is needed to view the presentation in pdf format, please contact the Human Relations Office at 605-367-8745 (voice), 605-367-7039 (TTY), or humanrelations@siouxfalls.gov.
Published twice on Aug. 29 & Sept. 5, 2025, at the approximate cost of $53.37, and may be viewed free of charge at www.sdpublicnotices.com or TheDakotaScout.com.
-
PUBLISH: Aug. 29 & Sept. 5, 2025
BID REQUEST NO. 25-0114
NOTICE TO BIDDERS
The City of Sioux Falls, SD, requests formal bids for a Pad-Mount Transformer.
To participate, you must be registered as a vendor in the e-procurement portal. Register at siouxfalls.bonfirehub.com by selecting “Register” next to the login tab. After you have registered, navigate to the Open Public Opportunities tab to view this invitation for bid. Bids will be electronically submitted through the e-procurement portal and will be received by the portal not later than 2 p.m., Central time, September 11, 2025. Immediately thereafter, the bids will be publicly opened and read at 3 p.m., Central time, City Hall, 224 W. 9th St., Sioux Falls, SD 57104. You may watch the bid opening virtually via Webex by utilizing information and links located at www.siouxfalls.gov/purchasing.
It is the vendor’s responsibility to check the e-procurement portal website for any changes or updates to the invitation for bid, which will be in the form of an addendum posted to the website-procurement portal.
Telegraphic, fax, email, and hand-delivered responses will not be accepted unless specifically authorized in the terms and conditions of the solicitation.
The City of Sioux Falls reserves the right to reject any or all bids, waive technicalities, and make award(s) as deemed to be in the best interest of Sioux Falls, SD.
Published twice on Aug. 29 & Sept. 5, 2025, at the approximate cost of $31.33, and may be viewed free of charge at www.sdpublicnotices.com or TheDakotaScout.com.
-
PUBLISH: Aug. 29 & Sept. 5, 2025
BID REQUEST NO. 25-0113
NOTICE TO BIDDERS
The City of Sioux Falls, SD, requests formal bids for Paper Supplies, Materials, and Services.
To participate, you must be registered as a vendor in the e-procurement portal. Register at siouxfalls.bonfirehub.com by selecting “Register” next to the login tab. After you have registered, navigate to the Open Public Opportunities tab to view this invitation for bid. Bids will be electronically submitted through the e-procurement portal and will be received by the portal not later than 2 p.m., Central time, September 11, 2025. Immediately thereafter, the bids will be publicly opened and read at 3 p.m., Central time, City Hall, 224 W. 9th St., Sioux Falls, SD 57104. You may watch the bid opening virtually via Webex by utilizing information and links located at www.siouxfalls.gov/purchasing.
It is the vendor’s responsibility to check the e-procurement portal website for any changes or updates to the invitation for bid, which will be in the form of an addendum posted to the website-procurement portal.
Telegraphic, fax, email, and hand-delivered responses will not be accepted unless specifically authorized in the terms and conditions of the solicitation.
The City of Sioux Falls reserves the right to reject any or all bids, waive technicalities, and make award(s) as deemed to be in the best interest of Sioux Falls, SD.
Published twice on Aug. 29 & Sept. 5, 2025, at the approximate cost of $31.90, and may be viewed free of charge at www.sdpublicnotices.com or TheDakotaScout.com.
-
PUBLISH: Sept. 5 & Sept. 12, 2025
BID REQUEST NO. 26-0001
REQUEST FOR PROPOSAL
The City of Sioux Falls, SD, requests competitive sealed proposals for sanitation and recycling services for various City locations.
To participate, proposers must be registered as a vendor in the e-procurement portal. Register at siouxfalls.bonfirehub.com by selecting “Register” next to the login tab. After you have registered, navigate to the Open Public Opportunities tab to view the solicitation. Proposals will be electronically submitted through the e-procurement portal and will be received by the portal not later than 2 p.m., Central time, October 2, 2025. Proposals will be publicly opened but not read at 3 p.m., Central time, City Hall, 224 W. 9th St., Sioux Falls, SD 57104. You may watch the bid opening virtually via Webex by utilizing information and links located at www.siouxfalls.gov/purchasing.
It is the vendor’s responsibility to check the e-procurement portal for any changes or updates to the Competitive Sealed Proposal, which will be in the form of an addendum posted to the solicitation in the portal.
Telegraphic, fax, email, and hand-delivered responses will not be accepted unless specifically authorized in the terms and conditions of the solicitation.
The City of Sioux Falls reserves the right to reject any or all bids or proposals, waive technicalities, and make award(s) as deemed to be in the best interest of Sioux Falls, SD.
Published twice on Sept. 5 & Sept. 12, 2025, at the approximate cost of $33.07, and may be viewed free of charge at www.sdpublicnotices.com or TheDakotaScout.com.
-
PUBLISH: Sept. 5 & Sept. 12, 2025
BID REQUEST NO.: 25-1078
NOTICE TO BIDDERS
The City of Sioux Falls, SD, requests formal bids for 2025 Sioux Falls Block 11 & 1st Avenue Parking Ramp Repairs.
To participate, you must be registered as a vendor on the e-procurement platform. Register at siouxfalls.bonfirehub.com by selecting “New Vendor Registration” next to the login tab. After you have registered, navigate to the Open Public Opportunities tab to view this invitation for bid. Bids will be electronically submitted through the e-procurement portal and will be received by the portal not later than 2 p.m., Central time, September 25, 2025. Bids will be publicly opened and read at 3 p.m., Central time, City Hall, 224 W. 9th St., Sioux Falls, SD 57104. You may watch the bid opening virtually via Webex by utilizing information and links located at www.siouxfalls.gov/business-permits/bids-procurement/purchasing-bid-opening.
It is the bidder’s responsibility to check the e-procurement portal for any changes or updates to the Invitation to Bid, which will be in the form of an addendum posted to the portal.
Telegraphic, fax, email, and hand-delivered responses will not be accepted unless specifically authorized in the terms and conditions of the Invitation to Bid.
The City of Sioux Falls reserves the right to reject any or all bids, waive technicalities, and make award(s) as deemed to be in the best interest of Sioux Falls, SD.
Published twice on Sept. 5 & Sept. 12, 2025, at the approximate cost of $33.07, and may be viewed free of charge at www.sdpublicnotices.com or TheDakotaScout.com.
-
PUBLISH: Sept. 5 & Sept. 12, 2025
BID REQUEST NO. 26-0006
NOTICE TO BIDDERS
The City of Sioux Falls, SD, requests formal bids for Leachate Hauling.
To participate, you must be registered as a vendor in the e-procurement portal. Register at siouxfalls.bonfirehub.com by selecting “Register” next to the login tab. After you have registered, navigate to the Open Public Opportunities tab to view this invitation for bid. Bids will be electronically submitted through the e-procurement portal and will be received by the portal not later than 2 p.m., Central time, September 18, 2025. Immediately thereafter, the bids will be publicly opened and read at 3 p.m., Central time, City Hall, 224 W. 9th St., Sioux Falls, SD 57104. You may watch the bid opening virtually via Webex by utilizing information and links located at www.siouxfalls.gov/purchasing.
It is the vendor’s responsibility to check the e-procurement portal for any changes or updates to the invitation for bid, which will be in the form of an addendum posted to the portal.
Telegraphic, fax, email, and hand-delivered responses will not be accepted unless specifically authorized in the terms and conditions of the solicitation.
The City of Sioux Falls reserves the right to reject any or all bids, waive technicalities, and make award(s) as deemed to be in the best interest of Sioux Falls, SD.
Published twice on Sept. 5 & Sept. 12, 2025, at the approximate cost of $31.33, and may be viewed free of charge at www.sdpublicnotices.com or TheDakotaScout.com.
-
PUBLISH: Sept. 5 & Sept. 12, 2025
BID REQUEST NO.: 25-1081
NOTICE TO BIDDERS
The City of Sioux Falls, SD, requests formal bids for North Veterans Parkway Improvements – Traffic Signal Improvements.
To participate, you must be registered as a vendor on the e-procurement platform. Register at siouxfalls.bonfirehub.com by selecting “New Vendor Registration” next to the login tab. After you have registered, navigate to the Open Public Opportunities tab to view this invitation for bid. Bids will be electronically submitted through the e-procurement portal and will be received by the portal not later than 2 p.m., Central time, September 25, 2025. Bids will be publicly opened and read at 3 p.m., Central time, City Hall, 224 W. 9th St., Sioux Falls, SD 57104. You may watch the bid opening virtually via Webex by utilizing information and links located at www.siouxfalls.gov/business-permits/bids-procurement/purchasing-bid-opening.
It is the bidder’s responsibility to check the e-procurement portal for any changes or updates to the Invitation to Bid, which will be in the form of an addendum posted to the portal.
Telegraphic, fax, email, and hand-delivered responses will not be accepted unless specifically authorized in the terms and conditions of the Invitation to Bid.
The City of Sioux Falls reserves the right to reject any or all bids, waive technicalities, and make award(s) as deemed to be in the best interest of Sioux Falls, SD.
Published twice on Sept. 5 & Sept. 12, 2025, at the approximate cost of $33.65, and may be viewed free of charge at www.sdpublicnotices.com or TheDakotaScout.com.
-
PUBLISH: Sept. 5 & Sept. 12, 2025
BID REQUEST NO. 25-0115
NOTICE TO BIDDERS
The City of Sioux Falls, SD, requests formal bids for a Pursuit-Rated Sport Utility Vehicle.
To participate, you must be registered as a vendor in the e-procurement portal. Register at siouxfalls.bonfirehub.com by selecting “Register” next to the login tab. After you have registered, navigate to the Open Public Opportunities tab to view this invitation for bid. Bids will be electronically submitted through the e-procurement portal and will be received by the portal not later than 2 p.m., Central time, September 18, 2025. Immediately thereafter, the bids will be publicly opened and read at 3 p.m., Central time, City Hall, 224 W. 9th St., Sioux Falls, SD 57104. You may watch the bid opening virtually via Webex by utilizing information and links located at www.siouxfalls.gov/purchasing.
It is the vendor’s responsibility to check the e-procurement portal for any changes or updates to the invitation for bid, which will be in the form of an addendum posted to the portal.
Telegraphic, fax, email, and hand-delivered responses will not be accepted unless specifically authorized in the terms and conditions of the solicitation.
The City of Sioux Falls reserves the right to reject any or all bids, waive technicalities, and make award(s) as deemed to be in the best interest of Sioux Falls, SD.
Published twice on Sept. 5 & Sept. 12, 2025, at the approximate cost of $31.33, and may be viewed free of charge at www.sdpublicnotices.com or TheDakotaScout.com.
-
PUBLISH: Sept. 5, 2025
-
PUBLISH: Sept. 5, 2025
-
PUBLISH: Sept. 5, 2025
-
PUBLISH: Sept. 5, 2025
PUBLISH: Sept. 5, 2025
MINNEHAHA COUNTY
PUBLISH: Sept. 5, 2025
NOTICE OF HEARING
Notice is hereby given that on September 23, 2025 at or after 9:00 a.m. the Minnehaha County Board of Commissioners will conduct a public hearing on the following amendments to Ordinance MC16-90 the 1990 Revised Zoning Ordinance for Minnehaha County. Such hearing will be part of the regularly scheduled meeting to be held in the Commission Room of the County Administration Building, 415 N Dakota Ave., Sioux Falls, SD.
REZONE from the A-1 Agricultural District to the C Commercial District,
property legally described as Tract B Schreurs’ Addition (Ex. H-1) S½ SE¼
Section 23 T103N-R49W, Minnehaha County, SD.
All interested persons may appear and be heard.
Meeting Assistance: Accommodations for meetings will be provided for persons with disabilities upon request. Please contact the County Commission Office at (605) 367-4206 (Voice or TDD) 24 hours in advance of the meeting.
Published once on Sept. 5, 2025, at the approximate cost of $12.88, and may be viewed free of charge at www.sdpublicnotices.com or TheDakotaScout.com.
-
PUBLISH: Sept. 5, 2025
THE MINNEHAHA COUNTY BUILDING
COMMITTEE CONVENED
AT 8:00 AM on September 2, 2025, pursuant to adjournment on June 3, 2025. COMMISSIONERS PRESENT WERE: Beninga, Bleyenberg, Heisey, Karsky, and Kippley; Auditor Anderson, Director of Facilities and Construction Kriens, and Commission Administrative Officer Greco. Also present were Kym Christiansen, Commission Recorder, and Katie Dunn, Senior Deputy State’s Attorney.
Building Committee Chair Karsky called the meeting to order.
MOTION by Bleyenberg, seconded by Heisey, to Approve the Meeting Minutes from June 3, 2025. 8 ayes.
MINNESOTA AVE PROJECT PHASE II BRIEFING
Tom Greco, Commission Administrative Officer, introduced representatives from the City of Sioux Falls to provide an overview of the proposed Minnesota Ave Phase II project agreements with Minnehaha County. Discussion followed on the proposed agreement to convey real estate, proposed agreement for temporary construction easements, and a brief review of the overall Phase II plan as well as the next steps regarding the agreements.
MOTION by Heisey, seconded by Bleyenberg, to Adjourn at 8:26 a.m. 8 ayes.
APPROVED BY THE BUILDING COMMITTEE:
Dean Karsky
Building Committee Chair
ATTEST:
Kym Christiansen
Commission Recorder
Published once on Sept. 5, 2025, at the approximate cost of $18.68, and may be viewed free of charge at www.sdpublicnotices.com or TheDakotaScout.com.
-
PUBLISH: Sept. 5, 2025
THE MINNEHAHA COUNTY COMMISSION CONVENED
AT 9:00 AM on September 2, 2025, pursuant to adjournment on August 26, 2025. COMMISSIONERS PRESENT WERE: Beninga, Bleyenberg, Heisey, Karsky, and Kippley. Also present were Kym Christiansen, Commission Recorder, and Katie Dunn, Senior Deputy State’s Attorney.
Chair Karsky called the meeting to order.
MOTION by Beninga, seconded by Heisey, to Approve the Agenda. 5 ayes
CONSENT AGENDA
MOTION by Bleyenberg, seconded by Kippley, to Approve the Consent Agenda. By roll call vote: 5 ayes. The consent agenda includes the following items:
Commission Meeting Minutes for August 26, 2025
Joint City of Sioux Falls/Minnehaha County Meeting Minutes for August 26, 2025
Bills to be Paid $2,808,338.31
3200 RUSSELL LLC Motels $720, A&B BUSINESS SOLUT Maintenance Contracts $291.73, AARON GEORGE PROPERT Welfare Rent $700, AIRWAY SERVICE INC Automotive/Small Equipment $581.37, AIRWAY SERVICE INC Gas Oil & Diesel $189.16, AJ PROPERTY Welfare Rent $1680, ALL NATIONS INTERPRE Interpreters $4345.15, AMERICAN ENGINEERING Elec Motor, Mach, Shop Equip $3268.75, ANDERSON, JENNIFER Bd Evaluations (Minnehaha) $2493.28, ARCADIA PUBLISHING I Store Inventory $414.78, AUTOMATIC BUILDING C Building Repairs & Maintenance $159.18, AVI SYSTEMS INC Maintenance Contracts $7837.5, BANGS,MCCULLEN,BUTLE Attorney Fees $6376, BARGAIN BARN TIRE CT Automotive/Small Equipment $18.95, BARGAIN BARN TIRE CT Heavy Equip Repairs & Maint $29, BARRETT-MAYL, CHRIS Uniform Allowance $22.99, BEADLE WEST Welfare Rent $232, BEN BAXA Extradition & Evidence $74, BIERSCHBACH EQUIPMEN Bridge Repair & Maintenance $392, BITUMINOUS PAVING IN Contracted Construction $11822.2, BOUCHER HOLDINGS LLC Sign Deposits $50, BROWN, AARON Education & Training $214, BUFFALO RIDGE CONCRE Road Maint & Material $343.86, BULLIS, MATTHEW Investigators Expenses $53.6, BURNS, JASON Investigators Expenses $278.72, BUTLER MACHINERY COM Heavy Equip Repairs & Maint $1505.61, BUTLER MACHINERY COM Parts Inventory $587.41, CENTRAL SPECIALTIES Contracted Construction $2026226.27, CENTURY BUSINESS PRO Maintenance Contracts $181.25, CHAGOLLA, ALBERT Interpreters $396, CHAPEL HILL FUNERAL Burials $2000, CHASING WILLOWS LTD Welfare Rent $849, CINTAS CORPORATION Janitorial Chemical Supplies $186.17, CINTAS CORPORATION Uniform Allowance $66.1, CJ SAYLES INC Store Inventory $1300.76, COLTON REDIMIX INC Road Maint & Material $232.5, CONSTRUCTION PRODUCT Bridge Repair & Maintenance $530, DACOTAH PAPER CO Janitorial Chemical Supplies $216.06, DAKOTA EMBALMING & T Transportation $2350, DAUGHTERS OF NORWAY Misc Revenue $150, DUST TEX SERVICE INC Janitorial Chemical Supplies $43.59, DYNAMIC SERVICES LLC Welfare Rent $1400, EDMUNDS BRAKE & ALIG Automotive/Small Equipment $89.95, EICH LAW OFFICE LLC Attorney Fees $3612, EL PASO COMBINED COU Copy Fees $16.25, ELECTRIC CONSTRUCTIO Courts Building $192672.9, ENGBRECHT, ROGER Welfare Rent $700, ETTERMAN ENTERPRISES Small Tools & Shop Supplies $152.2, FALLS VIEW Miscellaneous Expense $873.27, FASTENAL COMPANY Small Tools & Shop Supplies $33.56, FIRST RATE EXCAVATE Contracted Construction $66823.22, FLEETPRIDE INC Truck Repairs & Maintenance $170.97, FOX, DANIEL Bd Exp Fees (Yankton) $207.51, G & R CONTROLS INC Heat, Vent & AC Repairs $110.26, GARCIA, JACQUELINE Welfare Rent $900, GIRTON ADAMS Road Maint & Material $135, GOEBEL PRINTING INC Printing/Forms $110, GOURLEY, PAUL & KARE Welfare Rent $615, GRIESE LAW FIRM Attorney Fees $1806, GUNNER, ANDREA Court Reporters $83.3, GUZMAN, SANDRA V Interpreters $365, HERITAGE FUNERAL HOM Burials $2000, HERUM, ROY Uniform Allowance $175, HURTGEN, PROPERTIES Welfare Rent $900, HYVEE ACCOUNTS RECEI Jury Fees $31.92, INITIATIVE INVESTMEN Welfare Rent $500, INNOVATIVE OFFICE SO JDC Custodial Supplies $606.19, INNOVATIVE OFFICE SO Office Supplies $50.95, INTERSTATE OFFICE PR Office Supplies $527.7, ISI LLC Interpreters $110, JOHNSON, KATIE Bd Exp Fees (Minnehaha) $144, JOURNEY GROUP COMPAN Contracted Construction $31414, JRS ALTERATIONS Uniform Allowance $136.8, KATTERHAGEN, MARK Bd Exp Fees (Yankton) $64, KAUFFMAN, DAVID W PH Psych Evals $2700, KIESLER POLICE SUPPL Uniform Allowance $166.44, KINZLEY FUNERAL HOME Burials $3500, KOLETZKY LAW OFFICE Attorney Fees $207, LARSON, VALERIE Bd Exp Fees (Yankton) $44, LAUGHLIN LAW LLC Child Defense Attorney $1596, LEWNO LAW OFFICE Bd Exp Fees (Yankton) $397.46, LINEV SYSTEMS US INC Maintenance Contracts $19912.28, LOPEZ, REBECA Interpreters $450, LORA HAYES Education & Training $1500, LOUNSBERY, MARY C MI Child Defense Attorney $240, LOVING, PHILIP Bd Evaluations (Minnehaha) $8424.28, MAC’S HARDWARE Grounds & Parking Repair $144.05, MARION COMMUNITY MHP Welfare Rent $1070, MARSH & MCLENNAN LLC Notary Exp $150, MENARD INC Building Repairs & Maintenance $113.89, MIDAMERICAN ENERGY C Natural Gas $1546.55, MIDAMERICAN ENERGY C Welfare Rent $500, MIDCONTINENT COMMUNI Amounts Held For Others $121.39, MIDLAND INC Heat, Vent & AC Repairs $116.79, MIDLAND INC Jail Repairs & Maintenance $100.72, MINNEHAHA CONSERVATI Bldg/Yard Repair & Maintenance $275, MONARCH SALES COMPAN Printing/Forms $782.3, MONROE SYSTEMS FOR B Office Supplies $462, MUELLER SISTER WRITI Store Inventory $120, MYRL & ROYS PAVING I Road Maint & Material $4497.04, NAPA AUTO PARTS Parts Inventory $268.04, NGUYEN, LAM Interpreters $60, NYBERGS ACE HARDWARE Building Repairs & Maintenance $32.61, NYBERGS ACE HARDWARE Other Supplies $7, NYBERGS ACE HARDWARE Small Tools & Shop Supplies $15.13, OLSON, DAWN Court Reporters $1239.8, OREILLY AUTOMOTIVE S Truck Repairs & Maintenance $6.78, PARK VIEW APTS Welfare Rent $1050, PAUL SITTIG Sign Deposits $50, PETERSON, MARK Welfare Rent $940, PHOENIX SUPPLY LLC Child Care Items $33, PHOENIX SUPPLY LLC Child Care Uniforms $167.75, PIONEER ENTERPRISES Burials $500, POINT GUARD Welfare Rent $700, PRAHM CONSTRUCTION I Contracted Construction $147763.3, PRAIRIE WYNN PROPERT Welfare Rent $1800, PRECISE MRM LLC Software $360, PRECISION KIOSK TECH Testing Supplies $4500, PRICE, THOMAS L Psych Evals $2400, PYE-BARKER FIRE & SA Building Repairs & Maintenance $1265, QUAIL HOLLOW TOWN HO Welfare Rent $1400, QUALIFIED PRESORT SE Postage $103.87, QUALIFIED PRESORT SE Printing/Forms $199.47, RAM CONSULTING Education & Training $375, RDO CONSTRUCTION EQU Heavy Equip Repairs & Maint $95.83, REEVES, MEGAN Court Reporters $305, RENTOKIL NORTH AMERI Professional Services $89.25, RINGING SHIELD,NICHO Bd Evaluations (Minnehaha) $110, SAFE HOME LTD PTNRSH Rent Subsidies $10744, SALBERG, AARON DEAN Attorney Fees $9993.88, SALBERG, AARON DEAN Child Defense Attorney $816, SAMS CLUB - MEMBERSH Child Care Items $148.28, SAMS CLUB - MEMBERSH Other Supplies $147.86, SAMS CLUB - MEMBERSH Professional Services $47.08, SAMS CLUB - MEMBERSH School Lunch Program $166.58, SAMS CLUB - MEMBERSH Supplemental Food $103.32, SANFORD CLINIC Lab Costs $291, SDACES Memberships $15, SDACES Miscellaneous Expense $15, SHI INTERNATIONAL CO Maintenance Contracts $18090, SIOUX FALLS CITY Professional Services $171.44, SIOUX FALLS CITY Welfare Utilities $299.3, SIOUX FALLS HOUSING Welfare Rent $687, SIR LINES A LOT LLC Road Maint & Material $79546.06, SITEWORKS INC Repair/Renovations $5893.65, SOUTH HAMPTON LLC Welfare Rent $845, SOUTHEASTERN ELECTRI Welfare Utilities $398.4, STAN HOUSTON EQUIPME Bridge Repair & Maintenance $90.7, STATE OF SOUTH DAKOT Amts Held-Daily Scram $2833, STATE OF SOUTH DAKOT Amts Held-Remote Breath $885, STATE OF SOUTH DAKOT Blood/Chemical Analysis $315, STATE OF SOUTH DAKOT Extension Background Checks $30, STATE OF SOUTH DAKOT Miscellaneous Expense $40, STREICHERS INC Uniform Allowance $363, SUMMIT FIRE PROTECTI Contract Services $5141.05, SUMMIT FIRE PROTECTI Jail Repairs & Maintenance $1956.35, SUMMIT FOOD SERVICE Board Of Prisoners-Meals $37561.25, SUMMIT FOOD SERVICE Child Care Food $826.78, SUMMIT FOOD SERVICE School Lunch Program $1664.82, SWITZENBERG, TRACEY Welfare Rent $900, TAFOLLA, MIRANDA RAE Court Reporters $412.2, TERRONES, JARED Investigators Expenses $6.7, TODD STRUCK Sign Deposits $50, TRI-STATE NURSING Professional Services $3401, TRISTATE GARAGE DOOR Hwy Shop Repairs & Maintenance $1263.47, TUSCHEN, MICHAEL E Uniform Allowance $25.98, TWO WAY SOLUTIONS IN Communication Equipment Repair $108, TZADIK SIOUX FALLS I Welfare Rent $1000, TZADIK SIOUX FALLS P Welfare Rent $212.22, TZADIK WOODLAKE Welfare Rent $768.82, US FOODS INC Other Supplies $193.68, US FOODS INC Professional Services $2262.7, VB FALLS TERRACE Welfare Rent $450, VER BEEK, KELSEY Child Defense Attorney $2960.25, VITAL RECORDS Records Storage $9242.87, WALMART STORES INC Juvenile Diversion Restitution $47.64, WESTERN HEIGHTS Welfare Rent $285, WHITTIER APARTMENTS Welfare Rent $303, XCEL ENERGY Road Maint & Material $14.61, XCEL ENERGY INC Welfare Utilities $898.11, Y4 PROPERTIES LLC Welfare Rent $446.01, YAKALA REVOCABLE Welfare Rent $540.34, YANKTON COUNTY Return Of Service $150, YOGI HOLDINGS INC Motels $350.
Routine Personnel Actions
New Hires
1. Brayden Fechner, Nathan Gill, Heaven Humphries, Kyle Radford, and Stephanie Spencer, Correctional Officers for the Jail, at $26.13/hour (14/1) effective 9/2/25.
Promotions
1. Lauren Arend from a Juvenile Correctional Officer for the Juvenile Detention Center to a Correctional Officer for the Jail at $28.82/hour (14/3) effective 8/30/25.
2. Danielle Foiles, Senior Deputy State’s Attorney for the State’s Attorney’s Office, at $3,872.00/biweekly (22/4) effective 8/30/25.
Step Increases
1. Elliott Ostermann, Mechanic Team Member for the Highway, at $32.61/hour (15/6) effective 9/19/25.
2. Lucas Berthelsen, Correctional Officer for the Jail, at $27.44/hour (14/2) effective 6/24/25.
3. Elias Scares Hawk, Correctional Officer for the Jail, at $28.82/hour (14/3) effective 9/5/25.
4. Susi Larsson, Correctional Officer for the Jail, at $27.44/hour (14/2) effective 7/22/25.
5. Marta Rechtenbaugh, Correctional Officer for the Jail, at $28.82/hour (14/3) effective 9/5/25.
6. Cody Schroeder, Correctional Officer for the Jail, at $29.54/hour (14/4) effective 8/8/25.
7. Kent Tornow, Correctional Officer for the Jail, at $27.44/hour (14/2) effective 8/5/25.
8. Selina Betancourt, Juvenile Correctional Officer for the Juvenile Detention Center, at $30.26/hour (16/2) effective 8/31/25.
9. Emma Otterpohl, Senior Deputy Public Defender for the Public Defender’s Office, at $4,170.40/biweekly (22/7) effective 8/27/25.
10. Brenda Honeycutt, Records Technician for the Register of Deeds, at $22.51/hour (10/2) effective 8/12/25.
11. Jason Aanenson, Deputy Sheriff for the Sheriff’s Office, at $43.85/hour (17/14) effective 9/4/25.
12. Joshua Bartscher, Deputy Sheriff for the Sheriff’s Office, at $35.98/hour (17/6) effective 8/10/25.
13. Elliott Crayne, Investigator for the State’s Attorney’s Office, at $32.61/hour (16/4) effective 9/9/25.
14, Erin Wescott, Victim Witness Assistant for the State’s Attorney’s Office, at $32.61/hour (16/4) effective 8/26/25.
15. Morgan Kelley, Tax & License Technician for the Treasurer’s Office, at $24.85/hour (10/5) effective 8/9/25.
Special Personnel Actions
1. Temporarily approve two Juvenile Correctional Officers above the authorize payroll budget.
To record significant employee anniversaries for September 2025: 5 years-Christopher Cook, Sharlene Lien, Michael Long, Megan Wollmann; 10 years-Deona Gustaf, Maria Munkvold, Andrey Skots.
To record volunteers in County Departments for August 2025. This list is on file at Human Resources.
Abatement Application Recommended for Approval by the Director of Equalization
Parcel-57347, Veteran Exempt PT10-4-40, 2024 Property Taxes, $2,538.27
Items within Policy Guidelines
Approve Special Event Consume & Blend Beverage License Number C & B 25-04 for an Event on September 13, 2025
Notice of a Change Order between Minnehaha County and First Rate Excavate for MC23-16 Hwy 146 Culvert Rehabilitation
FY2026 BUDGET HEARING
Susan Beaman, Finance and Budget Officer, presented the Budget Hearing for FY 2026 Minnehaha County Budget and adjustments to the Provisional Budget approved by the Commission on July 22, 2025. Since the provisional budget was approved, the Auditor’s Office has received adjustments to the General Fund, Highway Fund, and the Emergency Fund. The property tax revenue changes related to centrally accessed utility values for the General Fund, Building Fund, Fire Protection Fund, and Library Fund that the Auditor’s Office anticipates presenting at the September 16th meeting. Key budget numbers with these revisions are that the budget stands at $132,433,262 with total cash applied at $10,537,483. General Fund cash applied is $12,050,044, which is a rate of 12.53%. The budget includes taxes levied of $79,780,574. Discussion followed on the changes incorporated to the General Fund, Highway Fund, and Emergency Management Fund as well as updated proposed budget adjustments and means of finance as well as additional funding for The Link.
Chair Karsky asked for any proponents and opponents to speak on the topic; there was no one to speak on the topic.
LEMPG AGREEMENT
Upon the request of Jason Gearman, Emergency Management Director, MOTION by Beninga, seconded by Kippley, to Authorize the Chair to Sign the 2026 LEMPG Sub-Recipient Agreement between Minnehaha County and the South Dakota Office of Emergency Management. By roll call vote: 5 ayes.
EQUIPMENT PURCHASE
Upon the request of Jacob Maras, Highway Superintendent, MOTION by Kippley, seconded by Heisey, to Authorize the Highway Department to Purchase a Freightliner M2 106 Chassis in the Amount of $102,865.00 under Minnesota State Contract 242591. By roll call vote: 5 ayes.
PLANNING & ZONING NOTICE
Scott Anderson, Planning Director, presented the first reading of rezoning #25-02, an amendment to the 1990 Revised Zoning Ordinance for Minnehaha County to rezone from A-1 Agricultural District to C Commercial District, property legally described as Tract B Schreurs’ Addition (Ex H-1) S1/2 SE 1/4 Section 23-T103N-R49W, Minnehaha County, SD. MOTION by Kippley, seconded by Bleyenberg, to Authorize the Auditor to Publish Notice of Hearing for Rezoning #25-02 to be held on September 23, 2025, at or after 9:00 a.m. at a Meeting of the Minnehaha County Commission. 5 ayes.
MOTION by Kippley, seconded by Bleyenberg, to Enter into Executive Session pursuant to SDCL 1-25-2 (1), (3), (4), and (6) at 9:34 a.m. 5 ayes.
Chair Karsky declared the executive session concluded at 9:49 a.m.
MOTION by Bleyenberg, seconded by Heisey, to Adjourn at 9:50 a.m. 5 ayes.
The Commission adjourned until 9:00 p.m. on Tuesday, September 16, 2025.
APPROVED BY THE COMMISSION:
Dean Karsky
Chair
ATTEST:
Kym Christiansen
Commission Recorder
Published once on Sept. 5, 2025, at the approximate cost of $187.73, and may be viewed free of charge at www.sdpublicnotices.com or TheDakotaScout.com.
LINCOLN COUNTY
PUBLISH: Sept. 5, 2025
ORDINANCE NO. 2508-33
AN ORDINANCE OF LINCOLN COUNTY, SD, AMENDING THE REVISED ZONING ORDINANCE FOR LINCOLN COUNTY BY CHANGING THE ZONE OF THE PROPERTIES DESCRIBED AS LOTS 1, 2, AND 3, NINEMILE VIEW ADDITION, NE1/4, SECTION 4-T99N-R49W FROM THE RC RECREATION/CONSERVATION DISTRICT AND THE A-1 AGRICULTURAL DISTRICT TO THE PD PLANNED DEVELOPMENT DISTRICT AND AMENDING THE OFFICIAL ZONING MAP OF LINCOLN COUNTY.
BE IT ORDAINED BY LINCOLN COUNTY, SD:
Section 1. That the zoning of the properties described as Lots 1, 2, and 3, Ninemile View Addition, NE1/4, Section 4-T99N-R49W are hereby changed from the RC Recreation/Conservation District and the A-1 Agricultural District to the PD Planned Development District and the official zoning map of Lincoln County referred to in
§ 154.038 is amended.
Section 2. That § 154.200 of the Lincoln County Code of Ordinances is hereby amended to include a new subsection to read:
NINEMILE VIEW PLANNED DEVELOPMENT DISTRICT. The regulations set forth herein or elsewhere in these regulations are the district regulations of the Ninemile View Planned Development District.
(A) SUBAREA 1 (Parcel 099.49.04.J001).
(1) USES PERMITTED. A building or premises shall be permitted to be used for the following purposes.
a. One (1) single-family dwelling.
(2) ACCESSORY USES. Accessory uses and buildings permitted are those accessory buildings and uses customarily incident to any permitted use in the district. No accessory building shall exceed 2,400 square feet in area.
(3) PARKING REGULATIONS. Parking shall be regulated in conformance with the provisions of Sections 154.300 through 154.304.
(4) SIGN REGULATIONS. Signs shall be regulated in conformance with the provisions of Sections 154.315 through 154.323.
(5) DENSITY, AREA, YARD, AND HEIGHT REGULATIONS. The maximum height and minimum lot requirements shall be as follows:
a. Lot Area – 3.64 acres
b. Maximum Height – 35 feet
c. Front yard – 50 feet
d. Rear Yard – 50 feet
e. Sie Yard – 25 feet
(6) OTHER REGULATIONS.
a. A final development plan shall not be required for development in accordance with these regulations.
b. Arrange utilities in such a way that future services are easily connected.
(B) SUBAREA 2 (Parcel 099.49.04.J002).
(1) USES PERMITTED. A building or premises shall be permitted to be used for the following purposes.
a. One (1) single-family dwelling.
(2) ACCESSORY USES. Accessory uses and buildings permitted are those accessory buildings and uses customarily incident to any permitted use in the district. No accessory building shall exceed 2,400 square feet in area.
(3) PARKING REGULATIONS. Parking shall be regulated in conformance with the provisions of Sections 154.300 through 154.304.
(4) SIGN REGULATIONS. Signs shall be regulated in conformance with the provisions of Sections 154.315 through 154.323.
(5) DENSITY, AREA, YARD, AND HEIGHT REGULATIONS. The maximum height and minimum lot requirements shall be as follows:
a. Lot Area – 3.28 acres
b. Maximum Height – 35 feet
c. Front yard – 50 feet
d. Rear Yard – 50 feet
e. Sie Yard – 25 feet
(6) OTHER REGULATIONS.
a. A final development plan shall not be required for development in accordance with these regulations.
b. Arrange utilities in such a way that future services are easily connected.
(C) SUBAREA 3 (Parcel 099.49.04.J003).
(1) USES PERMITTED. A building or premises shall be permitted to be used for the following purposes.
a. One (1) single-family dwelling.
(2) ACCESSORY USES. Accessory uses and buildings permitted are those accessory buildings and uses customarily incident to any permitted use in the district. No accessory building shall exceed 2,400 square feet in area.
(3) PARKING REGULATIONS. Parking shall be regulated in conformance with the provisions of Sections 154.300 through 154.304.
(4) SIGN REGULATIONS. Signs shall be regulated in conformance with the provisions of Sections 154.315 through 154.323.
(5) DENSITY, AREA, YARD, AND HEIGHT REGULATIONS. The maximum height and minimum lot requirements shall be as follows:
a. Lot Area – 2.67 acres
b. Maximum Height – 35 feet
c. Front yard – 50 feet
d. Rear Yard – 50 feet
e. Sie Yard – 25 feet
(6) OTHER REGULATIONS.
a. A final development plan shall not be required for development in accordance with these regulations.
b. Arrange utilities in such a way that future services are easily connected.
Adopted this __ day of _______ 2025.
Signed:
Tiffani Landeen, Chair
Lincoln County Board of Commissioners
Attest
Sheri Lund
County Auditor, Lincoln County
Published once on Sept. 5, 2025, at the approximate cost of $64.40, and may be viewed free of charge at www.sdpublicnotices.com or TheDakotaScout.com.
PUBLIC NOTICE
PUBLISH: Sept. 5, 2025
EAST DAKOTA WATER DEVELOPMENT DISTRICT NOTICE OF PUBLIC HEARING TO ADOPT FY 2026 BUDGET
The Board of Directors of the East Dakota Water Development District (District) will hold a public hearing on Thursday, September 18, 2025, at 10:00 a.m. CDT to consider the proposed Water Development District budget for Fiscal Year 2026, beginning January 1, 2026. The hearing will be held at the District office, 132B Airport Avenue, Brookings.
PRELIMINARY FY 2026 BUDGET
MEANS OF FINANCE
100 Tax Revenue $998,700
200 Grant Revenue $300,000
300 Capitol Reserves $375,000
400 Miscellaneous Revenue $140,000
TOTAL FY 2026 MEANS OF FINANCE $1,813,700
APPROPRIATIONS GENERAL FUND
01 Board of Directors $41,392
02 Administration $213,001
03 Technical Assistance $375,897
04 Operational Expenses $151,250
05 Professional Services $50,000
06 Capitol Outlay $63,500
07 Grant Expenditures $300,000
08 Project Assistance $468,660
09 Contingency $150,000
TOTAL FY 2026 APPROPRIATIONS $1,813,700
The purpose of holding this hearing is to provide the public an opportunity to contribute to, and comment on, the Water Development District’s proposed operating budget for Fiscal Year 2026.
The East Dakota Water Development District promotes the conservation, development, and proper management of district water resources according to district priorities; supports water quality and supply projects through technical, organizational and financial assistance to prospective and existing project sponsors; and through other appropriate actions supports the purposes of South Dakota Codified Law chapters 34A-2, 34A-3A, 34A-6, 34A-9, chapters 46A-3A to 46A-3E, inclusive, and chapters 46A-1 and 46A
Persons interested in presenting data, opinions and arguments for and against the proposed budget may appear, either in person or by representative, at the hearing and be heard and given an opportunity for a full and complete discussion of all items in the budget.
Published once on Sept. 5, 2025, at the approximate cost of $28.02, and may be viewed free of charge at www.sdpublicnotices.com or TheDakotaScout.com.
COURTS
PUBLISH: Sept. 5, Sept. 12, Sept. 19 & Sept. 26, 2025
STATE OF SOUTH DAKOTA COUNTY OF MINNEHAHA IN CIRCUIT COURT SECOND JUDICIAL CIRCUIT
IN THE MATTER OF THE PETITION OF:
DIONNE MARIE MORTIMER
FOR A CHANGE OF NAME TO:
DIONNE MARIE WILSON
49CIV25-3905
NOTICE OF HEARING FOR ADULT NAME CHANGE
NOTICE IS HEARBY GIVEN that a Verified Petition for Adult Name Change has been filed by Dionne Marie Mortimer to change Petitioner’s name from Dionne Marie Mortimer to Dionne Marie Wilson The petition will be heard on the 14 day of October, 2025, at 11: 00 am by the Honorable Judge Mandi Mowery, at the Minnehaha County Courthouse, in the City of Sioux Falls, South Dakota Anyone may appear at that time and place and show reasons, if any, why Petitioner’s name should not be changed.
Dated this 27 day of August, 2025.
Cathy Arant
Clerk of Court
Published Sept. 5, Sept. 12, Sept. 19 & Sept. 26, 2025, at the approximate cost of $51.05, and may be viewed free of charge at www.sdpublicnotices.com or TheDakotaScout.com.
-
PUBLISH: Sept. 5 & Sept. 12, 2025
IN THE STATE OF SOUTH DAKOTA,
COUNTY OF MINNEHAHA IN CIRCUIT COURT, SECOND JUDICIAL CIRCUIT COURT
U.S. BANK NATIONAL ASSOCIATION, PLAINTIFF,
V.
GAYLE PARSONS AND SILVER PARK PLACE OWNER’S ASSOCIATION AND UNITED STATES OF AMERICA ACTING BY AND THROUGH THE SECRETARY OF HOUSING AND URBAN DEVELOPMENT, AND ANY PERSON IN POSSESSION, DEFENDANTS.
NOTICE OF REAL ESTATE SALE ON FORECLOSURE
CIVIL NUMBER: 49CIV25-000183
A Non-Monetary Judgment of Foreclosure was entered in favor of Plaintiff and against Defendants, which judgment was filed with the Clerk of Courts of Minnehaha County, South Dakota, on June 19, 2025, in the amount of $97,136.50, for the foreclosure of a real estate mortgage.
Notice is hereby given pursuant to said judgment that the real property described in the Real Estate Mortgage dated October 23, 2014, and recorded in the office of the Register of Deeds of Minnehaha County, South Dakota, on October 27, 2014, in Book 1765 of Mtgs, at Page 608, as Instrument Number R422805, Gayle Parsons, mortgagor, executed and delivered to First Dakota National Bank, a Corporation, mortgagee, for the property located at 1206 S Bridgeport Pl, Sioux Falls, SD 57106, and legally described as:
Lot 40 of Bridgeport Village of the Plat of Bridgeport Village and Newport Village in Silver Park Place, a subdivision of Lot 1 of Lots 1 and 2 in Block 9 of Silver Valley Third Addition to the City of Sioux Falls, Minnehaha County, South Dakota, according to the recorded plat thereof; subject to the burdens and together with the benefits and easements contained in that certain Declaration of Covenants, Conditions and Restrictions for Silver Valley Park Place Owner’s Association, dated August 2, 1993, filed for record August 3, 1993, in Book 211 of Miscellaneous, on Pages 63-79; together with the benefits and burdens of rights of ingress and egress over and upon the street easement designated as South Bridgeport Place as identified in the plat of subject premises in order to realize the amount of the above-referenced judgment, plus interest accruing thereafter on said amount, together with the costs and expenses of sale, will be sold subject to redemption as provided by law as one parcel of land at public auction, subject to easements and restrictions of record, to the highest bidder for cash under the direction of the Minnehaha County Sheriff, at the Law Enforcement Center located at 320 West 4th Street, Sioux Falls, SD 57104, on October 29, 2025 at 11:00 AM.
Dated this 19th day of August, 2025
Michael Milstead
SHERIFF OF MINNEHAHA COUNTY
By Deputy Corrie Alexander 856
Name: Corrie Alexander
Halliday, Watkins & Mann, P.C.
By /s/ Zachary Nesbit
Zachary Nesbit
Attorneys for Plaintiff
376 East 400 South, Suite 300
Salt Lake City, UT 84111
Tel: 801-355-2886
Email: zach@hwmlawfirm.com
Published twice on Sept. 5 & Sept. 12, 2025, at the approximate cost of $74.03, and may be viewed free of charge at www.sdpublicnotices.com or TheDakotaScout.com.
-
PUBLISH: Sept. 5, Sept. 12 & Sept. 19, 2025
STATE OF SOUTH DAKOTA COUNTY OF MINNEHAHA :SS IN CIRCUIT COURT SECOND JUDICIAL CIRCUIT IN RE THE ESTATE OF
FERN MARIE LOES, DECEASED.
49PRO25-000189
NOTICE TO CREDITORS OF INFORMAL PROBATE AND APPOINTMENT OF PERSONAL REPRESENTATIVE
NOTICE IS GIVEN that on the 1st day of August, 2025, the Clerk of the Circuit Court, Second Judicial Circuit, Minnehaha County, South Dakota, appointed Mark Alan Loes as Personal Representative of the Estate of Fern Marie Loes.
Creditors of the Estate of Fern Marie Loes must file their claims within four (4) months after the date of the first publication of this notice or such claims may be barred.
Claims may be filed with the Personal Representative at 2308 Firefly Ct., Franklin, TN 37069-8723 or filed with the Minnehaha County Clerk of Courts, with a copy of the claim mailed to the Personal Representative.
Dated this 8th day of August, 2025.
REDSTONE LAW FIRM LLP
/s/ Alexander C. Ellman
By: Alexander C. Ellman (4666)
1300 W. 57th St., Ste. 101
Sioux Falls, SD 57108
Phone: (605) 331-2975
Email: alex@redstonelawfirm.com
Attorney for Personal Representative
Published on Sept. 5, Sept. 12 & Sept. 19, 2025, at the approximate cost of $50.27, and may be viewed free of charge at www.sdpublicnotices.com or TheDakotaScout.com.
-
PUBLISH: Sept. 5, Sept. 12 & Sept. 19, 2025
STATE OF SOUTH DAKOTA COUNTY OF MINNEHAHA :SS IN CIRCUIT COURT SECOND JUDICIAL CIRCUIT IN THE MATTER OF THE ESTATE OF
MARY A. RODMAN, DECEASED
49PRO24-000355
NOTICE TO CREDITORS
Notice is given that on the 27th day of December, 2024, Jeffrey J. Rodman whose address is 1400 South Dundee Drive, Sioux Falls, SD 57106, was appointed as personal representative of the above-entitled estate. All creditors having claims against said estate are required to file their claims within four (4) months after the date of the first publication of this notice or their claims may be barred. Claims may be mailed to the personal representative or may be filed with the Clerk of Courts in and for said county, with a copy of the claim mailed to the personal representative.
/s/Jeffrey J. Rodman
Jeffrey J. Rodman
Attorneys for personal representative:
Davenport, Evans, Hurwitz & Smith, L.L.P.
Pedro N. Assis
206 West 14th Street
Sioux Falls, SD 57101-1030
(605) 336-2880
Published on Sept. 5, Sept. 12 & Sept. 19, 2025, at the approximate cost of $43.56, and may be viewed free of charge at www.sdpublicnotices.com or TheDakotaScout.com.
-
PUBLISH: Sept. 5, Sept. 12 & Sept. 19, 2025
STATE OF SOUTH DAKOTA COUNTY OF MINNEHAHA IN CIRCUIT COURT SECOND JUDICIAL CIRCUIT
IN THE MATTER OF THE ESTATE OF
EVELYN MEIER, DECEASED.
PRO. 25-161
NOTICE TO CREDITORS
Notice is given that on July 9, 2025, Shirlee Meier, 3912 E. 21st St., Sioux Falls, SD, was appointed as personal representative of the Estate of Evelyn Meier.
Creditors of decedent must file their claims within four months after the date of the first publication of this notice or their claims may be barred.
Claims may be filed with the personal representative or may be filed with the Clerk, and a copy of the claim mailed to the personal representative.
Dated this 29th day of August, 2025. /s/ Shirlee Meier, 3912 E. 21st St., Sioux Falls, SD.
Clerk of Circuit Court Minnehaha County Courthouse, 425 N. Dakota Ave., Sioux Falls, SD 57104, 605-367-5900.
Joel A. Arends, Arends Law, P.C., P.O. Box 1246, Sioux Falls, SD 57101, 605-254-2624, Attorney for Personal Representative.
Published on Sept. 5, Sept. 12 & Sept. 19, 2025, at the approximate cost of $41.05, and may be viewed free of charge at www.sdpublicnotices.com or TheDakotaScout.com.
-
PUBLISH: Sept. 5, Sept. 12, Sept. 19 & Sept. 26, 2025
IN THE STATE OF SOUTH DAKOTA,
COUNTY OF MINNEHAHA
IN THE CIRCUIT COURT,
SECOND JUDICIAL CIRCUIT COURT
NAVY FEDERAL CREDIT UNION, PLAINTIFF,
V.
LINDEN BAPTISTE AND A.A.A. COLLECTIONS, INC., AND ANY PERSON IN POSSESSION, DEFENDANTS.
SUMMONS
CIVIL NUMBER: 49CIV25-002867
1. To the above mentioned Defendant and all persons unknown, claiming any estate or interest in, or lien or encumbrance upon, the real property described in the complaint.
2. You are hereby summoned to appear and defend against the Complaint in this action, which has been filed with the Clerk of Court and is herewith served upon you, by serving upon the undersigned a copy of an Answer or other proper response within thirty (30) days after the service of this Summons upon you, exclusive of the day of service. If you fail to do so, Judgment by default will be taken against you for the relief demanded in the Complaint. The original Complaint is filed with the Clerk of the Circuit Court in the County in which this action is commenced.
3. This action relates to the foreclosure of a mortgage upon the following described real property located in the County of Minnehaha, State of South Dakota:
The South 16 2/3 feet of Lot 5 and the North 16 2/3 feet of Lot 6 in Block 3 of Lawler’s Addition to Sioux Falls, Minnehaha County, South Dakota, according to the recorded plat thereof.
Property Address: 713 N Sherman Avenue, Sioux Falls, SD 57103
4. The Plaintiff is not seeking a personal judgment against the above-named Defendants.
Date: June 25, 2025
/s/ Zachary Nesbit
Zachary Nesbit
Halliday, Watkins & Mann, P.C.
376 East 400 South, Suite 300
Salt Lake City, UT 84111
Tel: 801-355-2886
Fax: 801-328-9714
Email: zach@hwmlawfirm.com
Bar Number: 4161
HWM: SD21984
Published on Sept. 5, Sept. 12, Sept. 19 & Sept. 26, 2025, at the approximate cost of $94.89, and may be viewed free of charge at www.sdpublicnotices.com or TheDakotaScout.com.
-
PUBLISH: Aug. 15, Aug. 22, Aug. 29 & Sept. 5, 2025
STATE OF SOUTH DAKOTA COUNTY OF MINNEHAHA
IN CIRCUIT COURT SECOND JUDICIAL CIRCUIT
IN THE MATTER OF THE PETITION OF:
SHANNON RAYE LEWIS
FOR A CHANGE OF NAME TO:
CALISTA HILDA LEWIS
FILE NO: 49CIV25-3550
NOTICE OF HEARING FOR ADULT NAME CHANGE
NOTICE IS HEREBY GIVEN a Verified Petition for Adult Name Change has been filed by Shannon Raye Lewis the object and prayer of which is to change Petitioner’s name from Shannon Raye Lewis to Calista Hilda Lewis. On the 23 day of September, 2025, at the hour of 11:00 am said verified petition will be heard by this Court before the Honorable Judge Clapper Presiding, at the Court Room in the Minnehaha County Courthouse, City of Sioux Falls, Minnehaha County, South Dakota, or as soon thereafter as is convenient for the court. Anyone may come and appear at that time and place and show reasons, if any, why said name should not be changed as requested.
Dated this 7 day of August, 2025 at Sioux Falls, South Dakota.
Karla Kalb
Clerk of Court
ATTEST: Karla Kalb
By: /s/
Published Aug. 15, Aug. 22, Aug. 29 & Sept. 5, 2025, at the approximate cost of $58.73, and may be viewed free of charge at www.sdpublicnotices.com or TheDakotaScout.com.
-
PUBLISH: Aug. 15, Aug. 22, Aug. 29 & Sept. 5, 2025
STATE OF SOUTH DAKOTA COUNTY OF MINNEHAHA
IN CIRCUIT COURT SECOND JUDICIAL CIRCUIT
IN THE MATTER OF THE PETITION OF:
JORJA JO BOLL
FOR A CHANGE OF NAME TO:
JORJA JO NORTON
FILE NO: 49CIV25-3607
NOTICE OF HEARING FOR ADULT NAME CHANGE
Tuesday, Sept. 23, 2025 11:00 am
NOTICE IS HEREBY GIVEN a Verified Petition for Adult Name Change has been filed by Jorja Jo Boll the object and prayer of which is to change Petitioner’s name from Jorja Jo Boll to Jorja Jo Norton. On the 23rd day of September, 2025, at the hour of 11:00 am said verified petition will be heard by this Court before the Honorable Judge Jeffrey Clapper Presiding, at the Court Room in the Minnehaha County Courthouse, City of Sioux Falls, Minnehaha County, South Dakota, or as soon thereafter as is convenient for the court. Anyone may come and appear at that time and place and show reasons, if any, why said name should not be changed as requested.
Dated this 12 day of August, 2025 at Sioux Falls, South Dakota.
/s/
Clerk of Court
Published Aug. 15, Aug. 22, Aug. 29 & Sept. 5, 2025, at the approximate cost of $59.80, and may be viewed free of charge at www.sdpublicnotices.com or TheDakotaScout.com.
-
PUBLISH: Aug. 15, Aug. 22, Aug. 29 & Sept. 5, 2025
STATE OF SOUTH DAKOTA COUNTY OF MINNEHAHA
IN CIRCUIT COURT JUDICIAL CIRCUIT
IN THE MATTER OF THE PETITION OF:
KELLY SUE MORRISON
FOR A CHANGE OF NAME TO:
KELLY SUE CAVANAUGH
49CIV25-3551
NOTICE OF HEARING FOR ADULT NAME CHANGE
NOTICE IS HEARBY GIVEN that a Verified Petition for Adult Name Change has been filed by Kelly Sue Morrison
to change Petitioner’s name from Kelly Sue Morrison to Kelly Sue Cavanaugh. The petition will be heard on the 23 day of September, 2025, at 11:00 am by the Honorable Judge Jeff Clapper, at the County Courthouse, in the City of Sioux Falls, South Dakota Anyone may appear at that time and place and show reasons, if any, why Petitioner’s name should not be changed.
Dated this 8 day of August, 2025.
/s/
Clerk of Court
Attest:
Miller, Kristen
Clerk/Deputy
Published Aug. 15, Aug. 22, Aug. 29 & Sept. 5, 2025, at the approximate cost of $49.95, and may be viewed free of charge at www.sdpublicnotices.com or TheDakotaScout.com.
-
PUBLISH: Aug. 29, Sept. 5, Sept. 12 & Sept. 19, 2025
STATE OF SOUTH DAKOTA COUNTY OF MINNEHAHA IN CIRCUIT COURT SECOND JUDICIAL CIRCUIT
IN THE MATTER OF THE PETITION OF:
JARVIS JEROME MATTOX JR.
FOR A CHANGE OF NAME TO:
JARVIS MATTOX KHOLIN
CIV25-3828
NOTICE OF HEARING FOR ADULT NAME CHANGE
NOTICE IS HEARBY GIVEN that a Verified Petition for Adult Name Change has been filed by Jarvis Jerome Mattox Jr. to change Petitioner’s name from Jarvis Jerome Mattox Jr. to Jarvis Mattox Kholin. The petition will be heard on the 30 day of September, 2025, at 11: 00 am by the Honorable Judge Clapper, at the Minnehaha County Courthouse, in the City of Sioux Falls, South Dakota Anyone may appear at that time and place and show reasons, if any, why Petitioner’s name should not be changed.
Dated this 22 day of August, 2025.
Karla Kalb
Clerk of Court
Published Aug. 29, Sept. 5, Sept. 12, Sept. 19, 2025, at the approximate cost of $52.15, and may be viewed free of charge at www.sdpublicnotices.com or TheDakotaScout.com.
-
PUBLISH: Aug. 22, Aug. 29, Sept. 5 & Sept. 12, 2025
STATE OF SOUTH DAKOTA COUNTY OF MINNEHAHA IN CIRCUIT COURT SECOND JUDICIAL CIRCUIT
IN THE MATTER OF THE PETITION OF:
ETHAN RICHARD LODMELL
FOR A CHANGE OF NAME TO:
ETHAN ATTICUS THOMAS
49CIV25-3705
NOTICE OF HEARING FOR ADULT NAME CHANGE
NOTICE IS HEARBY GIVEN that a Verified Petition for Adult Name Change has been filed by Ethan Richard
Lodmell to change Petitioner’s name from Ethan Richard
Lodmell to Ethan Atticus Thomas. The petition will be heard on the 30 day of Sept., 2025, at 11: 00 am by the Honorable Judge TBD, at the Minnehaha County Courthouse, in the City of Sioux Falls, South Dakota Anyone may appear at that time and place and show reasons, if any, why Petitioner’s name should not be changed.
Dated this 15th day of August, 2025.
/s/
Clerk of Court
Attest: Karla Kalb
Clerk of Court
By: /s/
Deputy
Published Aug. 22, Aug. 29, Sept. 5 & Sept. 12, 2025, at the approximate cost of $58.73, and may be viewed free of charge at www.sdpublicnotices.com or TheDakotaScout.com.
-
PUBLISH: Aug. 29 & Sept. 5, 2025
IN THE STATE OF SOUTH DAKOTA,
COUNTY OF MINNEHAHA IN CIRCUIT COURT, SECOND JUDICIAL CIRCUIT COURT
U.S. BANK TRUST NATIONAL ASSOCIATION, AS TRUSTEE OF FW-BKPL SERIES I TRUST, PLAINTIFF,
V.
MICHAEL FRANCIS FLANNERY AND ELIZABETH MARIE GUSE AND SAVANNAH BOUTCH AND STATE OF SOUTH DAKOTA, ACTING BY AND THROUGH THE DEPARTMENT OF SOCIAL SERVICES, DIVISION OF CHILD SUPPORT, AND ANY PERSON IN POSSESSION, DEFENDANTS.
NOTICE OF REAL ESTATE SALE ON FORECLOSURE
CIVIL NUMBER: 49CIV24-001510
A Non-Monetary Judgment of Foreclosure was entered in favor of Plaintiff and against Defendants, which judgment was filed with the Clerk of Courts of Minnehaha County, South Dakota, on October 18, 2024 in the amount of $300,963.46, for the foreclosure of a real estate mortgage.
Notice is hereby given pursuant to said judgment that the real property described in
the Real Estate Mortgage dated September 28, 2020, and recorded in the office of the Register of Deeds of Minnehaha County, South Dakota, on September 30, 2020, in Book 1900 of Mtgs, at Page 44, as Instrument Number R032746 which Michael Francis Flannery and Elizabeth Marie Guse, mortgagors, executed and delivered to Mortgage Electronic Registration Systems, Inc., as Mortgagee, as nominee for Keller Mortgage, LLC dba Keller Mortgage, its successors and assigns, mortgagee, for the property located at 100 N Dewberry Avenue, Sioux Falls, SD 57110, and legally described as:
Lot 17 in Block 10 of Wildflower Estates 2nd Addition to the City of Sioux Falls, Minnehaha County, South Dakota, according to the recorded Plat thereof in order to realize the amount of the above-referenced judgment, plus interest accruing thereafter on said amount, together with the costs and expenses of sale, will be sold subject to redemption as provided by law as one parcel of land at public auction, subject to easements and restrictions of record, to the highest bidder for cash under the direction of the Minnehaha County Sheriff, at the Law Enforcement Center located at 320 West 4th Street, Sioux Falls, SD 57104, on September 17, 2025 at 11:00 AM.
Dated this 30th day of July, 2025
SHERIFF OF MINNEHAHA COUNTY
By Deputy Terrones #994
Name: Deputy Terrones
Halliday, Watkins & Mann, P.C.
By/s/Jason Tingle
Jason Tingle
Attorneys for Plaintiff
376 East 400 South, Suite 300
Salt Lake City, UT 84111
Tel: 801-355-2886
Email: jtingle@hwmlawfirm.com
Published twice on Aug. 29, & Sept. 5, 2025, at the approximate cost of $65.90, and may be viewed free of charge at www.sdpublicnotices.com or TheDakotaScout.com.
-
PUBLISH: Aug. 29, Sept. 5, Sept. 12 & Sept. 19, 2025
IN THE STATE OF SOUTH DAKOTA,
COUNTY OF MINNEHAHA IN THE CIRCUIT COURT, SECOND JUDICIAL CIRCUIT COURT
LAKEVIEW LOAN SERVICING, LLC, PLAINTIFF,
V.
MARK R. BESAW JR. AND MARK R. BESAW AND ACCOUNTS MANAGEMENT INC. AND UNITED STATES OF AMERICA ACTING BY AND THROUGH THE SECRETARY OF HOUSING AND URBAN DEVELOPMENT, AND ANY PERSON IN POSSESSION, DEFENDANTS.
SUMMONS
CIVIL NUMBER: 49CIV25-002447
1. To the above mentioned Defendant and all persons unknown, claiming any estate or interest in, or lien or encumbrance upon, the real property described in the complaint.
2. You are hereby summoned to appear and defend against the Complaint in this action, which has been filed with the Clerk of Court and is herewith served upon you, by serving upon the undersigned a copy of an Answer or other proper response within thirty (30) days after the service of this Summons upon you, exclusive of the day of service. If you fail to do so, Judgment by default will be taken against you for the relief demanded in the Complaint. The original Complaint is filed with the Clerk of the Circuit Court in the County in which this action is commenced.
3. This action relates to the foreclosure of a mortgage upon the following described real property located in the County of Minnehaha, State of South Dakota:
Lot 10 in Block 2 of Granite Valley Addition to the City of Sioux Falls, Minnehaha County, South Dakota, according to the recorded plat thereof.
Property Address: 1405 E 67th St. N, Sioux Falls, SD 57104
4. The Plaintiff is not seeking a personal judgment against the above-named Defendants.
Date: May 27, 2025
/s/ Zachary Nesbit
Zachary Nesbit
Halliday, Watkins & Mann, P.C.
376 East 400 South, Suite 300
Salt Lake City, UT 84111
Tel: 801-355-2886
Fax: 801-328-9714
Email: zach@hwmlawfirm.com
Bar Number: 4161
HWM: SD22260
Published Aug. 29, Sept. 5 Sept. 12 & Sept. 19, 2025, at the approximate cost of $99.27, and may be viewed free of charge at www.sdpublicnotices.com or TheDakotaScout.com.
-
PUBLISH: Aug. 22, Aug. 29 & Sept. 5, 2025
STATE OF SOUTH DAKOTA COUNTY OF MINNEHAHA
:SS IN CIRCUIT COURT SECOND JUDICIAL CIRCUIT
ESTATE OF RICHARD A. BURD, DECEASED.
49PR025-195
NOTICE TO CREDITORS OF APPOINTMENT OF PERSONAL REPRESENTATIVE
Notice is given that on 14 day of August, 2025, Mary Burd, whose address is 5717 Robin Oak Circle, Sioux Falls, SD 57110, was appointed as Personal Representative of the Estate of Richard A. Burd.
Creditors of Decedent must file their claims within four ( 4) months after the date of the first publication of this notice or their claims may be barred.
Claims may be filed with the Personal Representative or may be filed with the Clerk and a copy of the claim mailed to the Personal Representative.
Dated this 14th of August, 2025.
/s/Mary H. Burd
Mary H. Burd, Personal Representative
5717 Robin Oak Circle
Sioux Falls, SD 57110
605-332-4351
Published Aug. 22, Aug. 29 & Sept. 5, 2025, at the approximate cost of $41.04, and may be viewed free of charge at www.sdpublicnotices.com or TheDakotaScout.com.
-
PUBLISH: Aug. 22, Aug. 29 & Sept. 5, 2025
STATE OF SOUTH DAKOTA COUNTY OF MINNEHAHA
:SS IN CIRCUIT COURT SECOND JUDICIAL CIRCUIT
IN THE MATTER OF THE ESTATE OF
GLORIA MAXWELL, DECEASED.
49PRO23-000333
NOTICE TO CREDITORS
Notice is given that on November 27, 2023, Marcus Maxwell, of 1710 2nd Street, Hartford, SD 57033, was appointed as Personal Representative of the Estate of Gloria Maxwell, deceased.
Creditors of the decedent must file their claims within four (4) months after the date of the first publication of this Notice or their claims may be barred.
Claims may be filed with the Personal Representative or may be filed with the Clerk and a copy of the claim mailed to the Personal Representative.
Dated this 15th day of August, 2025.
/s/ Lisa M. Prostrollo
Lisa M. Prostrollo
Redstone Law Firm LLP
1300 W. 57th Street, Suite 101
Sioux Falls, SD 57108
(605) 331-2975
Attorney for Personal Representative
Minnehaha County Clerk of Courts
425 N. Dakota Avenue
Sioux Falls, SD 57104
Published Aug. 22, Aug. 29 & Sept. 5, 2025, at the approximate cost of $45.24, and may be viewed free of charge at www.sdpublicnotices.com or TheDakotaScout.com.
-
PUBLISH: Aug. 29, Sept. 5, Sept. 12 & Sept. 19, 2025
STATE OF SOUTH DAKOTA COUNTY OF MINNEHAHA
:SS IN CIRCUIT COURT SECOND JUDICIAL CIRCUIT
IN THE MATTER OF THE ESTATE OF
ALLISON MARIE WESSELS, DECEASED.
49 PRO.25-202
NOTICE TO CREDITORS
Notice is given that on the 26th day of August, 2025, Stacey Vandenheuvel, of 5801 S. Bounty Pl., Sioux Falls, SD 57108 was appointed Personal Representative of the Estate of Allison Marie Wessels.
Creditors of decedent must file their claims within four (4) months after the date of the first publication of this notice or their claims may be barred.
Claims may be filed with the Personal Representative or may be filed with the Clerk of
Courts and a copy of the claim mailed to the Personal Representative.
Dated this 26th day of August, 2025.
/s/Stacey Vandenheuvel
Stacey Vandenheuvel
5801 S. Bounty Pl.
Sioux Falls, SD 57108
Attorney for the Estate:
Samp Law Offices
P.O. Box 495
Sioux Falls, SD 57101
(605) 339-1020
Published Aug. 29, Sept. 5, Sept. 12 & Sept. 19, 2025, at the approximate cost of $54.32, and may be viewed free of charge at www.sdpublicnotices.com or TheDakotaScout.com.
-
PUBLISH: Aug. 29, Sept. 5 & Sept. 12, 2025
NOTICE TO CREDITORS
Notice is given that Louis L. Hepner (“Settlor”), Settlor of the Hepner Living Trust dated November 18, 2021, as Amended and Restated May 5, 2023 (the “Trust”), died on August 4, 2025. Lisa Ann Lynn, whose address is 625 S. Grange Ave., Sioux Falls, SD 57104, is the current Trustee of the Trust.
Pursuant to SDCL 55-4-58, Creditors of the deceased Settlor must file their claims within four (4) months after the date of the first publication of this Notice or any claim or collection efforts which otherwise could have been asserted or enforced against the Trust or assets thereof may be barred.
Claims may be submitted to the Trustee, or to the Trustee’s undersigned attorneys, by mailing a written statement of the claim to the Trustee at the address listed below.
Dated this 22nd day of August, 2025.
/s/ Alexander C. Ellman
Alexander C. Ellman
REDSTONE LAW FIRM LLP
1300 W. 57th St., Ste. 101
Sioux Falls, SD 57108
(605) 331-2975
TRUSTEE:
Lisa Ann Lynn
625 S. Grange Avenue
Sioux Falls, SD 57104
Published Aug. 29, Sept. 5 & Sept. 12, 2025, at the approximate cost of $42.71, and may be viewed free of charge at www.sdpublicnotices.com or TheDakotaScout.com.
-
PUBLISH: Aug. 29, Sept. 5 & Sept. 12, 2025
STATE OF SOUTH DAKOTA COUNTY OF MINNEHAHA
:SS IN CIRCUIT COURT SECOND JUDICIAL CIRCUIT
IN THE MATTER OF THE ESTATE OF
BONNIE JEAN SIMPSON, DECEASED.
49 PRO 25-194
NOTICE TO CREDITORS
NOTICE is given that on August 13, 2025, Resa Jean Porter, whose address is 28280 369th Ave, Geddes, SD 57342, was appointed as personal representative of the estate of Bonnie Jean Simpson.
Creditors of the decedent must file their claims within four months after the date of the first publication of this notice or their claims may be barred.
Claims may be filed with the personal representative or may be filed with the Clerk, and a copy of the claim mailed to the personal representative.
Dated this 13 day of August, 2025.
/s/ Resa Jean Porter
Resa Jean Porter
28280 369th Ave
Geddes, SD 57342
Clerk of Circuit Court
Minnehaha County Courthouse
425 N Dakota Ave.
Sioux Falls, SD 57104
(605 367-5900
Martin P. Oyos
Christopherson, Anderson, Paulson & Fideler, LLP
426 E. 8th St.
Sioux Falls, SD 57103-7025
(605) 336-1030
Attorneys for Personal Representative
Published Aug. 29, Sept. 5 & Sept. 12, 2025, at the approximate cost of $50.27, and may be viewed free of charge at www.sdpublicnotices.com or TheDakotaScout.com.
-
PUBLISH: Aug. 22, Aug. 29, Sept. 5 & Sept. 12, 2025
STATE OF SOUTH DAKOTA COUNTY OF MINNEHAHA
IN CIRCUIT COURT SECOND JUDICIAL CIRCUIT
IN THE MATTER OF THE PETITION OF:
ANDREW GAMAL FADL JACOB
FOR A CHANGE OF NAME TO:
ANDREW GAMAL JACOB
49CIV25-3711
NOTICE OF HEARING FOR ADULT NAME CHANGE
NOTICE IS HEARBY GIVEN that a Verified Petition for Adult Name Change has been filed by Andrew Gamal
Fadl Jacob to change Petitioner’s name from Andrew Gamal
Fadl Jacob to Andrew Gamal Jacob. The petition will be heard on the 30 day of Sept., 2025, at 11: -- am by the Honorable Judge TBD, at the Minnehaha County Courthouse, in the City of Sioux Falls, South Dakota Anyone may appear at that time and place and show reasons, if any, why Petitioner’s name should not be changed.
Dated this 18th day of August, 2025.
Karla Kalb
Clerk of Court
Attest: Karla Kalb
Clerk of Court
By: /s/
Deputy
Published Aug. 22, Aug. 29, Sept. 5 & Sept. 12, 2025, at the approximate cost of $55.43, and may be viewed free of charge at www.sdpublicnotices.com or TheDakotaScout.com.
-
PUBLISH: Aug. 22, Aug. 29, Sept. 5 & Sept. 12, 2025
IN THE STATE OF SOUTH DAKOTA,
COUNTY OF MINNEHAHA IN THE CIRCUIT COURT,
SECOND JUDICIAL CIRCUIT COURT
IDAHO HOUSING AND FINANCE ASSOCIATION, PLAINTIFF,
V.
ADAM ANDERSON AND SOUTH DAKOTA HOUSING DEVELOPMENT AUTHORITY, AND ALL PERSONS UNKNOWN CLAIMING ANY ESTATE OR INTEREST IN, OR LIEN OR ENCUMBRANCE UPON, THE PROPERTY DESCRIBED IN THE COMPLAINT AND ANY PERSON IN POSSESSION, DEFENDANTS.
SUMMONS
CIVIL NUMBER: 49CIV25-002059
1. To the above mentioned Defendant and all persons unknown, claiming any estate or interest in, or lien or encumbrance upon, the real property described in the complaint.
2. You are hereby summoned to appear and defend against the Complaint in this action, which has been filed with the Clerk of Court and is herewith served upon you, by serving upon the undersigned a copy of an Answer or other proper response within thirty (30) days after the service of this Summons upon you, exclusive of the day of service. If you fail to do so, Judgment by default will be taken against you for the relief demanded in the Complaint. The original Complaint is filed with the Clerk of the Circuit Court in the County in which this action is commenced.
3. This action relates to the foreclosure of a mortgage upon the following described real property located in the County of Minnehaha, State of South Dakota:
Lots 14, 15 and 16, and the South Half (S½) of the Vacated alley lying adjacent thereto, all in Block 64 of the City of Dell Rapids, Minnehaha County, South Dakota, according to the recorded plat thereof.
Property Address: 812 E 10TH ST, Dell Rapids, SD 57022
4. The Plaintiff is not seeking a personal judgment against the above-named Defendants.
Date: April 28, 2025
/s/ Zachary Nesbit
Zachary Nesbit
Halliday, Watkins & Mann, P.C.
376 East 400 South, Suite 300
Salt Lake City, UT 84111
Tel: 801-355-2886
Fax: 801-328-9714
Email: zach@hwmlawfirm.com
Bar Number: 4161
HWM: SD22377
Published Aug. 22, Aug. 29, Sept. 5 & Sept. 12, 2025, at the approximate cost of $102.57, and may be viewed free of charge at www.sdpublicnotices.com or TheDakotaScout.com.
-
PUBLISH: Aug. 22, Aug. 29, Sept. 5 & Sept. 12, 2025
STATE OF SOUTH DAKOTA COUNTY OF MINNEHAHA :SS IN CIRCUIT COURT SECOND JUDICIAL CIRCUIT
ANGELA DIANE HENDERSON, PLAINTIFF,
V.
JOSEPH LAWRENCE HENDERSON, DEFENDANT.
49DIV25-248
VERIFIED COMPLAINT
Angela Diane Henderson, Plaintiff and hereinafter referred to as “Wife,” being first duly sworn on oath, and for her Complaint against Joseph Lawrence Henderson, Defendant and hereinafter referred to as “Husband,” deposes and states:
1. Wife is a female person over the age of eighteen and Husband is a male person over the age of eighteen years.
2. Wife is a bona fide resident of Minnehaha County, South Dakota and intends to maintain such residence during the pendency of this action. Husband is a bona fide resident of Lincoln County, South Dakota. Wife is not aware of Husband’s intentions as to residency.
3, Husband and Wife were married on the 1st day of September, 2012, in St. Paul, Minnesota; and now are and have ever since been husband and wife.
4. Wife is entitled to a Decree of Divorce from Husband on the grounds of extreme cruelty, under SDCL 25-4-2(2) or in the altemative, irreconcilable differences, under SDCL 25-4- 2(7).
5. Two children have been born as issue of the marriage, namely, Clara Morowa Violette Henderson, born on the 6th day of January of 2018, and August Jay Dean Henderson, born of the 15th day of January, 2016.
6. Wife states that she is not now pregnant.
7. Wife is a fit and proper person to have primary physical custody and sole legal custody of the minor children. There is a protection order that is currently in place against Husband with the minor children as protected parties (See 49TP024-1239).
8. In compliance with the Unifonn Child Custody Jurisdiction and Enforcement Act, Wife states:
(A) The minor children of the parties currently reside with Wife in Minnehaha County. During their life, the minor children of the parties have resided in Sioux Falls, South Dakota.
(B) Wife intends to maintain her residence in Minnehaha County, South Dakota for the foreseeable future. Wife is unaware of Husband’s future intentions of residency.
(C) No other action concerning the custody of the children is pending in this or any other state other than this action between the parties hereto.
(D) No other party has claimed a right to the custody of the children, and no other person not a party to this proceeding has claimed any right to parenting time privileges with said children at the time of the signing of this Complaint.
9. The parties have acquired certain property and debts during the course of their marriage. Wife asks the Court to make an equitable division of the property and debts of the marriage.
10. Neither party to this action is a member of any branch of the Armed Services of the United States.
11. Husband is an able-bodied person capable of earning an income of an amount sufficient to pay a suitable sum of monthly child support to Wife for the care and support of the minor children of the parties.
12. That Husband is an able-bodied person capable of earning an income of an amount sufficient to pay a suitable sum of monthly spousal support to Wife.
WHEREFORE, Wife prays for Judgment as follows:
A. That Wife be granted a Decree of Divorce on the grounds of extreme cruelty, and that the parties be restored to status of single parties;
B. That Wife be given primary physical custody and sole legal custody of the minor children born as issue of the marriage. There is a protection order that is currently in place against Husband with the minor children as protected parties (See 49TP024-1239);
C. That Husband be required to pay a suitable sum of monthly child support to Wife;
D. That Husband be required to pay a suitable sum of monthly spousal support to Wife;
E. That the Court make an equitable division and allocation of the property and debts of the parties;
F. That Husband be required to pay for Wife’s attorney fees incurred in pursuing this action; and
G. That the Court grant further relief as the Court may deem just and equitable.
Dated this 14 day of March, 2025.
/s/Angela Diane Henderson
Angela Diane Henderson, Wife/Plaintiff
STATE OF SOUTH DAKOTA
COUNTY OF MINNEHAHA :SS
Angela Diane Henderson, being first and duly sworn on her oath, states that she is the Plaintiff named in the forgoing Complaint; she has read the contents thereof and the same is true and correct of her own knowledge, except as to those matters herein stated on information and belief and as to those matters she believes them to be true.
/s/Angela Diane Henderson
Angela Diane Henderson, Plaintiff
Subscribed and sworn to before me this 14th day of March, 2025
/s/Stephanie Stauffacher
Notary Public - South Dakota
My commission expires: 2-10-26
Published Aug. 22, Aug. 29, Sept. 5 & Sept. 12, 2025, at the approximate cost of $215.45, and may be viewed free of charge at www.sdpublicnotices.com or TheDakotaScout.com.
-
PUBLISH: Aug. 22, Aug. 29, Sept. 5 & Sept. 12, 2025
STATE OF SOUTH DAKOTA COUNTY OF MINNEHAHA :SS IN CIRCUIT COURT SECOND JUDICIAL CIRCUIT
ANGELA DIANE HENDERSON, PLAINTIFF,
V.
JOSEPH LAWRENCE HENDERSON, DEFENDANT.
49DIV25-248
SUMMONS
TO THE ABOVE-NAMED DEFENDANT, JOSEPH LAWRENCE HENDERSON:
YOU ARE HEREBY SUMMONED and required to answer the Complaint of the Plaintiff, Angela Diane Henderson, a copy of which is herewith served upon you, and to serve a copy of your Answer on the attorneys for Plaintiff, Angela Diane Henderson, Lockwood & Zahrbock Kool Law Office, at the address below, within thirty (30) days from the date of the service of this Summons upon you, exclusive of the day of such service.
IF YOU FAIL TO DO SO, judgment by default may be rendered against you as requested in Plaintiffs Complaint sixty (60) days after the completed service of Plaintiffs Summons and Complaint.
NOTICE
South Dakota law provides that upon the filing of a Complaint for divorce or separate maintenance and upon personal service of the Complaint and Summons on the Defendant, a Temporary Restraining Order shall be in effect against both parties until the final Decree is entered, the Complaint is dismissed, or until further order of the Court. Either party may apply to the Court for further temporary orders or modifications or revocation of the Order.
TEMPORARY RESTRAINING ORDER
BY ORDER OF THE COURT, YOU AND YOUR SPOUSE ARE:
1. Restrained from transferring, encumbering, concealing or in any way dissipating or disposing of any marital asset, without the written consent of the other party or an order of the Court, except as may be necessary in the usual course of business or for the necessities of life. You are to notify the other party of any proposed extraordinary expenditures made after the Temporary Restraining Order is in effect;
2. Restrained from molesting or disturbing the peace of the other party;
3. Restrained from removing any minor children of the parties from the state without the written consent of the other party or an order of the Court; and
4. Restrained from making any changes to any insurance coverage for the parties or any child of the parties without the written consent of the other party or an order of the court unless the change under the applicable insurance coverage increases the benefits, adds additional property, persons, or perils to be covered, or is required by the insurer.
CUSTODY ORDER
Pursuant to SDCL 25-4A-11 et. seq., upon service of this Summons the attached visitation guidelines become an Order of this Court. Any minor children of this marriage shall remain in the custody of the parent who has been the primary care giver for the minor children for the majority of time in the twelve months preceding the filing of this Summons and Complaint unless the parties otherwise agree. The guidelines are subject to any provisions established by a South Dakota Court in a temporary or permanent domestic protection order, an order arising out of an abuse or neglect proceeding, as a condition of bond arising out of a criminal case, or an order in any other proceeding affecting child custody or support.
The attached guidelines shall apply and continue in effect unless the parties agree or the Court otherwise orders. The imposition of these standard guidelines creates no presumption as to who may be awarded custody at any hearing. An agreement by the parties for visitation other than the standard guidelines must be in writing, signed by both parties, and filed with the Court.
If either party objects to this initial order, the Court shall order a hearing which shall be held not later than 30 days after the date of the objection. The Court shall then issue its temporary custody and visitation order after considering the best interest of the children consistent with the provisions of SDCL 25-4-45.
Dated this 20th day of May 2025, at Sioux Falls, South Dakota.
/s/ MarieClaire Christenson
/s/ Tressa Zahrbock Kool
Lockwood & Zahrbock Kool Law Office
121 S Franklin Ave Suite 1
Sioux Falls, SD 57103
605-331-3643
Attorneys for Plaintiff
Published Aug. 22, Aug. 29, Sept. 5 & Sept. 12, 2025, at the approximate cost of $182.57, and may be viewed free of charge at www.sdpublicnotices.com or TheDakotaScout.com.
-
PUBLISH: Aug. 29, Sept. 5, Sept. 12 & Sept. 19, 2025
IN THE STATE OF SOUTH DAKOTA,
COUNTY OF MINNEHAHA IN THE CIRCUIT COURT, SECOND JUDICIAL CIRCUIT COURT
LAKEVIEW LOAN SERVICING, LLC, PLAINTIFF,
V.
MARK R. BESAW JR. AND MARK R. BESAW AND ACCOUNTS MANAGEMENT INC. AND UNITED STATES OF AMERICA ACTING BY AND THROUGH THE SECRETARY OF HOUSING AND URBAN DEVELOPMENT, AND ANY PERSON IN POSSESSION, DEFENDANTS.
SUMMONS
CIVIL NUMBER: 49CIV25-002447
1. To the above mentioned Defendant and all persons unknown, claiming any estate or interest in, or lien or encumbrance upon, the real property described in the complaint.
2. You are hereby summoned to appear and defend against the Complaint in this action, which has been filed with the Clerk of Court and is herewith served upon you, by serving upon the undersigned a copy of an Answer or other proper response within thirty (30) days after the service of this Summons upon you, exclusive of the day of service. If you fail to do so, Judgment by default will be taken against you for the relief demanded in the Complaint. The original Complaint is filed with the Clerk of the Circuit Court in the County in which this action is commenced.
3. This action relates to the foreclosure of a mortgage upon the following described real property located in the County of Minnehaha, State of South Dakota:
Lot 10 in Block 2 of Granite Valley Addition to the City of Sioux Falls, Minnehaha County, South Dakota, according to the recorded plat thereof.
Property Address: 1405 E 67th St. N, Sioux Falls, SD 57104
4. The Plaintiff is not seeking a personal judgment against the above-named Defendants.
Date: May 27, 2025
/s/ Zachary Nesbit
Zachary Nesbit
Halliday, Watkins & Mann, P.C.
376 East 400 South, Suite 300
Salt Lake City, UT 84111
Tel: 801-355-2886
Fax: 801-328-9714
Email: zach@hwmlawfirm.com
Bar Number: 4161
HWM: SD22260
Published Aug. 29, Sept. 5 Sept. 12 & Sept. 19, 2025, at the approximate cost of $99.27, and may be viewed free of charge at www.sdpublicnotices.com or TheDakotaScout.com.
-
PUBLISH: Sept. 5, 2025
STATE OF SOUTH DAKOTA COUNTY OF MINNEHAHA IN CIRCUIT COURT SECOND JUDICIAL CIRCUIT
IN THE MATTER OF THE PETITION OF:
ELISIA HIBNER
FOR A CHANGE OF NAME TO:
ELISIA PALOMO
FILE NO: CIV25-2713
NOTICE OF HEARING FOR ADULT NAME CHANGE
NOTICE IS HEREBY GIVEN that a Verified Petition for Adult Name Change has been filed by Elisia Hibner to change Petitioner’s name from Elisia Hibner to Elisia Palomo. The petition will be heard on the 29 day of July, 2025, at 11:00 am by the Honorable Judge Pekas, at the Minnehaha County Courthouse, in the City of Sioux Falls, South Dakota. Anyone may appear at that time and place and show reasons, if any, why Petitioner’s name should not be changed.
Dated this 16 day of June, 2025.
Karla Kalb
Clerk of Court
Published Sept. 5, 2025, at the approximate cost of $47.77, and may be viewed free of charge at www.sdpublicnotices.com or TheDakotaScout.com.
-
PUBLISH: Sept. 5, 2025
STATE OF SOUTH DAKOTA COUNTY OF MINNEHAHA :SS IN CIRCUIT COURT SECOND JUDICIAL CIRCUIT THE PEOPLE OF THE STATE OF SOUTH DAKOTA EX REL, SOUTH DAKOTA DEPARTMENT OF SOCIAL SERVICES, IN THE INTEREST OF,
K C, K F, ALLEGED ABUSED/NEGLECTED CHILDREN
AND CONCERNING JEAN MARIE COMES FLYING KENNETH GLEN FLUTE JR RESPONDENTS
JUV24-000479
SUMMONS
(ALLEGED ABUSED OR NEGLECTED CHILD)
TO: JEAN MARIE COMES FLYING
KENNETH GLEN FLUTE JR
AND ALL WHOM IT MAY CONCERN
You are hereby summoned to appear before the above-named Court in its courtroom at the Minnehaha County Courthouse, 425 North Dakota Avenue, Sioux Falls, South Dakota, on October 1 &2, 2025, at 9:00 AM to answer the Petition of Carrie Mees/Brianna Palomaki/Lyndee Kamrath, now on file with the Clerk of said Court, alleging the above named Children to be an abused/neglected Children and praying that said Children be taken from you and that a guardian be appointed with authority to consent to the adoption of said Children. You must appear at the time and place set forth above to show cause, if any you have, why said Children should not be found abused/neglected and the prayer of said Petition granted or said Children otherwise dealt with. Failure to appear is an admission to the allegation(s) contained in the Petition. You are further notified that the termination of parental rights is a possible remedy of these proceedings and that you and the above-named Children have the right to have an attorney present at all stages of the proceedings.
Dated at Sioux Falls, Minnehaha County, South Dakota, this 2nd day of September, 2025.
KARLA KALB, Clerk
BY: /s/ Alyssa King (Cortez)
Deputy
Published once on Sept. 5, 2025, at the approximate cost of $24.80, and may be viewed free of charge at www.sdpublicnotices.com or TheDakotaScout.com.
-
PUBLISH: Sept. 5, 2025
STATE OF SOUTH DAKOTA COUNTY OF MINNEHAHA :SS IN CIRCUIT COURT SECOND JUDICIAL CIRCUIT THE PEOPLE OF THE STATE OF SOUTH DAKOTA EX REL, SOUTH DAKOTA DEPARTMENT OF SOCIAL SERVICES, IN THE INTEREST OF,
N T, ALLEGED ABUSED/NEGLECTED CHILD
AND CONCERNING BRIANE FAITH TURNER NORMAN BROWN RESPONDENTS
JUV25-000977
SUMMONS
(ALLEGED ABUSED OR NEGLECTED CHILD)
TO: BRIANE FAITH TURNER
NORMAN BROWN
AND ALL WHOM IT MAY CONCERN
You are hereby summoned to appear before the above-named Court in its courtroom at the Minnehaha County Courthouse, 425 North Dakota Avenue, Sioux Falls, South Dakota, on September 23, 2025, at 9:00 AM to answer the Petition of BRIANNA PALOMAKI, now on file with the Clerk of said Court, alleging the above named Child to be an abused/neglected Child and praying that said Child be taken from you and that a guardian be appointed with authority to consent to the adoption of said Child. You must appear at the time and place set forth above to show cause, if any you have, why said Child should not be found abused/neglected and the prayer of said Petition granted or said Child otherwise dealt with. Failure to appear is an admission to the allegation(s) contained in the Petition. You are further notified that the termination of parental rights is a possible remedy of these proceedings and that you and the above-named Child have the right to have an attorney present at all stages of the proceedings.
Dated at Sioux Falls, Minnehaha County, South Dakota, this 31st day of July, 2025.
KARLA KALB, Clerk
BY: /s/ Alyssa King (Cortez)
Deputy
Published once on Sept. 5, 2025, at the approximate cost of $23.51, and may be viewed free of charge at www.sdpublicnotices.com or TheDakotaScout.com.
The Dakota Scout is the official newspaper of the city of Sioux Falls, the Sioux Falls School District, Minnehaha and Lincoln counties, and the city of Baltic.





















