Legals & Public Notices: Nov. 14, 2025
City of Sioux Falls, Sioux Falls School District, Lincoln County, Name Changes, Notices to Creditors, Auction Notice, Foreclosure Sales, Summons
CITY OF SIOUX FALLS
PUBLISH: Nov. 14, 2025
ORDINANCE NO. 69-25
AN ORDINANCE OF THE CITY OF SIOUX FALLS, SD, APPROVING OFFER TO PURCHASE REAL ESTATE FROM CITY.
WHEREAS, the City owns the following real property:
Lots 2 & 3 of Erickson Addition, an Addition in the East 829.23’ of the South Half of Government Lot 1 in the SW1/4 of Section 18, Township 100 North, Range 50 West of the 5th P.M., Lincoln County, South Dakota, except Lots H-1 contained therein,
hereinafter referred to as the “Property”;
WHEREAS, the City desires to sell the above-mentioned Property, as described in the attached Offer to Purchase Real Estate from City;
BE IT ORDAINED BY THE CITY OF SIOUX FALLS, SD:
Section 1. Notwithstanding the provisions of SDCL Chapter 6-13, and pursuant to Section 2.12(7) of the City Charter, the City hereby declares the following property to be surplus property that is no longer necessary, useful, or suitable for the purpose for which it was acquired:
Lots 2 & 3 of Erickson Addition, an Addition in the East 829.23’ of the South Half of Government Lot 1 in the SW1/4 of Section 18, Township 100 North, Range 50 West of the 5th P.M., Lincoln County, South Dakota, except Lots H-1 contained therein,
hereinafter referred to as the “Property.”
Section 2. That it authorizes the sale of the Property and approves the document titled, “Offer to Purchase Real Estate from City.” That said agreement is attached hereto and made a part of this ordinance as if set out in full.
Section 3. That the Mayor is authorized to sign on behalf of the City the Offer to Purchase Real Estate from City, and any and all documents necessary to make the transfer and conveyance of the Property, to RMB85, LLC, a South Dakota limited liability company, pursuant to and subject to all other conditions and terms and as set forth in the Offer to Purchase Real Estate from City.
Section 4. That RMB85, LLC, shall pay to the City of Sioux Falls, One Hundred Twenty-Six Thousand Eight Hundred Forty-Eight and 92/100 Dollars ($126,848.92) (the “Purchase Price”) for the Property.
Section 5. An appraisal of the Property was prepared by Elwood and Martin Appraisals, LLC, by Scott Elwood, MAI, a person licensed by the state to do fee appraisals, with an as of date of May 19, 2025, which is recognized as the appraisal for the Property, hereby made a part of this ordinance by reference and on file with the City’s Public Works Department.
Section 6. The above-referenced appraisal concluded the rounded “as-is” market value of the fee simple estate of the Property, is One Hundred Ten Thousand Dollars ($110,000.00).
Section 7. All revenue from the sale of the property shall be credited to the Sales and Use Tax Fund for the 85th Street and I-29 Interchange (CIP #11017) in the 2025 Capital Improvements Program Project.
Section 8. That the City shall publish this ordinance, without attachments, after its passage. The attachments are on file and available for inspection in the office of the City Clerk.
Date adopted: 11/12/25 .
Paul TenHaken, Mayor
ATTEST:
Jermery J. Washington, City Clerk
Published once on Nov. 14, 2025, at the approximate cost of $38.32, and may be viewed free of charge at www.sdpublicnotices.com or TheDakotaScout.com.
PUBLISH: Nov. 14, 2025
ORDINANCE NO. 70-25
AN ORDINANCE OF THE CITY OF SIOUX FALLS, SD, AUTHORIZING THE ISSUANCE OF ITS WASTEWATER SYSTEM REVENUE BOND TO THE SOUTH DAKOTA CONSERVANCY DISTRICT, AUTHORIZING THE USE OF THE PROCEEDS THEREOF FOR CAPITAL IMPROVEMENTS, PLEDGING THE WASTEWATER SYSTEM REVENUE OF THE CITY TO THE PAYMENT OF SAID WASTEWATER SYSTEM REVENUE BOND, FIXING THE TERMS OF SUCH WASTEWATER SYSTEM REVENUE BOND, AUTHORIZING THE EXECUTION AND DELIVERY OF A LOAN AGREEMENT BETWEEN THE CITY AND THE SOUTH DAKOTA CONSERVANCY DISTRICT, AND AUTHORIZING THE EXECUTION AND DELIVERY OF SUCH WASTEWATER SYSTEM REVENUE BOND TO THE SOUTH DAKOTA CONSERVANCY DISTRICT NOT TO EXCEED $32,761,000.
BE IT ORDAINED BY THE CITY OF SIOUX FALLS, SD:
WHEREAS, the City currently operates a wastewater system and has determined that improvements to the wastewater facilities are necessary and qualify as an improvement, extension, or addition to its wastewater system; and
WHEREAS, the City of Sioux Falls (the “City”) is authorized by its City Charter (the “City Charter”) and by Chapters 9-40 and 6-8B of the South Dakota Codified Laws to issue wastewater system revenue bonds to finance the acquisition of capital improvements to its wastewater system in anticipation of the collection of wastewater system revenues; and
WHEREAS, the City is authorized by its City Charter and Chapter 9-48 of the South Dakota Codified Laws (“SDCL Chapter 9-48”) to establish just and equitable rates of charges to be paid to such City for the use of the wastewater system of the City, directly or indirectly; and the City has adopted and enacted City of Sioux Falls Ordinance No. 43-23 pursuant to its City Charter and SDCL Chapter 9-48 which ordinance establishes charges for the use of the wastewater system of the City; and
WHEREAS, the City has determined that the improvements described in Exhibit A (the “Project”) are necessary for the conduct of the City’s operation of its governmental programs and qualify under its City Charter and Chapter 6-8B of the South Dakota Codified Laws (“Chapter 6 8B”) as improvements that may be financed through the issuance of the Bond; and
WHEREAS, the South Dakota Conservancy District (the “District”) has established the South Dakota State Revolving Fund Loan Program pursuant to SDCL 46A-1-49 (the “Program”) whereby participating public entities, by issuing their bonds to the District, may acquire necessary improvements and reduce the interest and issuance costs of the public entities below what could be achieved if the improvements to be acquired by each public entity individually were to be financed and acquired separately; and
WHEREAS, the City desires to finance $32,761,000 of the costs of the Project through a loan from the Program under the terms of a loan agreement in substantially the form attached hereto as Exhibit B (the “Loan Agreement”), such loan to be evidenced by a Wastewater System Revenue Bond, Series 2025, in the amount of $32,761,000 (the “Bond”); and
WHEREAS, it is in the best
interests of the City to participate in the Program, to authorize the borrowing of funds from the District for the financing of the Project by authorizing and issuing its Wastewater System Revenue Bond to the District with the terms approved hereby for an aggregate sum not in excess of $32,761,000 and to pledge the net revenues of the City’s wastewater system as security for the repayment of such Bond;
NOW, THEREFORE, BE IT ORDAINED BY THE CITY OF SIOUX FALLS, SD, THAT:
Section 1. Findings.
(a) The City desires and hereby determines it is necessary to improve its wastewater facilities by undertaking the Project. The City hereby expressly finds that if the Project is not undertaken, certain deficiencies in the wastewater system will pose a health hazard to the City and its inhabitants who are served by the City’s wastewater system. Because of the functional interdependence of the various portions of the wastewater system and the nature of the improvements financed, the City hereby determines that the Project will substantially benefit the entire wastewater system and all of its users within the meaning of SDCL 9-40-15 and SDCL 9-40-17. Therefore, the City hereby determines that for the purposes of the Act, including, in particular, SDCL 9-40-17, the net income or revenues of the entire wastewater system, as extended, added to, or improved by the Project shall be deemed to be the net income or revenues available to be pledged to the payment of the Bond issued hereunder.
(b) The City finds that it is desirable and expedient to participate in the Program and to authorize and deliver the Loan Agreement and to authorize, issue, and sell the Bond to the District as provided herein and in the Loan Agreement.
Section 2. Authorization. The Loan Agreement and the issuance of the Bond are hereby authorized and approved, with said Bond to be issued on a parity basis, in the aggregate principal amount not in excess of the $32,761,000 with the terms and subject to the provisions as set forth in the Loan Agreement. It is further authorized and approved to secure the repayment of the Bond with a pledge of the wastewater system revenue, as set forth in the Loan Agreement.
Section 3. Execution of Documents. In connection with the authorization, issuance, and delivery of the Bond, the Mayor, City Clerk, Finance Director, City Attorney, and other officers of the City shall be authorized to enter into, execute, and deliver the following documents, instruments, and agreements as may be deemed necessary or appropriate by such officers and the District, consistent with the terms of this ordinance:
(A) The Loan Agreement providing for the issuance of the Bond and setting forth the terms thereof;
(B) The Bond; and
(C) Such other documents, agreements, or instruments as may be necessary to make covenants and recite facts required to demonstrate the validity and enforceability of the Bond under the laws of the state of South Dakota and to assure the exclusion of the interest thereon from the gross income of the owner of the Bond under the Internal Revenue Code of 1986, as amended, and to effectuate the terms and intent of this ordinance.
The execution and delivery of the Loan Agreement, the Bond, and all such other agreements, documents, and instruments as necessary and appropriate are hereby authorized, all of which to be in substantially the form on file with the City on the date hereof and with such necessary and appropriate variations, omissions, and insertions as are consistent with the terms of this ordinance as determined by the Mayor in consultation with the City Attorney.
Execution and delivery of such documents by the Mayor, Finance Director, and/or City Attorney shall constitute evidence that such documents are consistent with the terms of this ordinance and the items have been duly authorized, executed, and delivered by the City and are enforceable against the City in accordance with their terms, subject to customary exceptions relating to bankruptcy, reorganization, insolvency, and other laws affecting creditors’ rights. The Mayor, Finance Director, and the City Attorney are further authorized to take such other actions as may be required to effectuate the terms and intent of this ordinance.
Section 4. Severability. In case any one or more of the provisions of this ordinance, the Loan Agreement, or the Bond authorized hereby shall for any reason be held to be illegal or invalid, such illegality or invalidity shall not affect any other provision of this ordinance, the Loan Agreement, or the Bond, but this ordinance, the Loan Agreement, or the Bond shall be construed as if such illegal or invalid provision had not been contained therein.
Section 5. Satisfaction of Conditions Precedent. All acts, conditions, and things required by the laws of the state of South Dakota, relating to the adoption of this ordinance, to the issuance of the Bond, and to the execution of the Loan Agreement and the other documents referred to above shall be satisfied prior to the issuance of the Bond. The designated officers are hereby authorized to do all acts and things required by them under this ordinance, the Loan Agreement, and the other documents referred to above for the full, punctual, and complete performance of all the terms, covenants, and agreements contained in the Bond, the Loan Agreement, the other documents referred to above, and this ordinance.
Section 6. Publication and Effective Date. After passage, this ordinance (except for Exhibit B hereto which is on file and available for inspection in the offices of the City Clerk) shall be published in the City’s officially-designated newspaper, and will be effective on the 20th day following such publication, unless suspended by referendum in accordance with Chapter 9-20 of the South Dakota Codified Laws. After becoming effective, this ordinance will be irrepealable until the Bond issued hereunder has been paid in full, except that prior to issuance of the Bond, this ordinance may be amended in accordance with South Dakota law.
Section 7. Prior Resolutions. All prior resolutions or ordinances that conflict with the provisions of this ordinance are hereby repealed to the extent of such conflict.
Date adopted: 11/12/25 .
Paul TenHaken, Mayor
ATTEST:
Jermery J. Washington, City Clerk
Published once on Nov. 14, 2025, at the approximate cost of $109.48, and may be viewed free of charge at www.sdpublicnotices.com or TheDakotaScout.com.
-
PUBLISH: Nov. 14, 2025
ORDINANCE NO. 71-25
AN ORDINANCE OF THE CITY OF SIOUX FALLS, SD, APPROVING THE CONTINUATION OF THE NAMING OF THE INDOOR AQUATIC CENTER AT SPELLERBERG PARK TO “MIDCO® AQUATIC CENTER,” AND AUTHORIZING THE MAYOR TO ENTER INTO A TEN-YEAR TITLE SPONSORSHIP AGREEMENT BETWEEN THE CITY OF SIOUX FALLS AND MIDCONTINENT COMMUNICATIONS.
WHEREAS, the City owns an indoor aquatic center (the “Aquatic Center”), which includes three (3) indoor bodies of water (a 50-meter competition pool, a recreational pool, and a therapy pool), an indoor water slide, meeting and party rooms, mezzanine, concessions, an outdoor splash pad, and outdoor sundeck. It is open on a year-round, daily basis; and
WHEREAS, Midco is a regional communications company, providing video, broadband Internet, and voice services for residential and business customers in North Dakota, South Dakota, and Minnesota, as well as parts of Wisconsin. Midco is based in Sioux Falls, South Dakota; and
WHEREAS, Midco entered into City Agreement No. 15-4191, as amended, wherein it was granted exclusive title naming rights for a term of 10 years from the opening date of October 13, 2016; and
WHEREAS, Midco desires to continue as the exclusive Title Sponsor of the Aquatic Center; and
WHEREAS, Midco generously pledged Three Million Five Hundred Thousand Dollars ($3,500,000) to be made in ten (10) annual equal installments as set forth in the Title Sponsorship Agreement; and
WHEREAS, Petition No. 2025-19 was submitted by Midco to the City to continue to name the Indoor Aquatic Center at Spellerberg Park as “Midco Aquatic Center”; and
WHEREAS, the Parks and Recreation Board met on October 28, 2025, and considered Naming Petition No. 2025-19 and the proposed “Title Sponsorship Agreement for the Indoor Aquatic Center at Spellerberg Park” and unanimously recommended City Council approval.
NOW, THEREFORE, BE IT ORDAINED BY THE CITY OF SIOUX FALLS, SD:
Section 1. The document attached to and made part of this ordinance entitled “Title Sponsorship Agreement for the Indoor Aquatic Center at Spellerberg Park,” being a ten-year agreement, continuing the name of the Indoor Aquatic Center at Spellerberg Park as “Midco Aquatic Center,” is hereby approved.
Section 2. The Mayor is authorized to sign the Title Sponsorship Agreement after it is ratified and executed by Midco.
Section 3. The City shall publish the ordinance, without attachment, after its passage. The attachment is on file and available for inspection in the office of the City Clerk.
Date adopted: 11/12/25 .
Paul TenHaken, Mayor
ATTEST:
Jermery J. Washington, City Clerk
Published once on Nov. 14, 2025, at the approximate cost of $34.78, and may be viewed free of charge at www.sdpublicnotices.com or TheDakotaScout.com.
-
PUBLISH: Nov. 14 & Nov. 21, 2025
NOTICE OF HEARING VACATE PUBLIC RIGHT-OF-WAY
Notice is given that a petition has been filed by the owners of Tract 1, except the West 7 feet thereof; of the County Auditor’s Subdivision of a part of the West Half (W1/2) of Block 4 of Sherman’s Addition to Sioux Falls, Minnehaha County, South Dakota, according to the recorded plat thereof; Tract 2 of the County Auditor’s Subdivision of a part of the West Half (W1/2) of Block 4 of Sherman’s Addition to Sioux Falls, Minnehaha County, South Dakota, according to the recorded plat thereof; Tract 3 of the County Auditor’s Subdivision of a part of the West Half (W1/2) of Block 4 of Sherman’s Addition to Sioux Falls, Minnehaha County, South Dakota, according to the recorded plat thereof; Tract 4, except Lot “A” thereof; of the County Auditor’s Subdivision of a part of the West Half (W1/2) of Block 4 of Sherman’s Addition to Sioux Falls, Minnehaha County, South Dakota, according to the recorded plat thereof.; South Third (S1/3) of the Southeast Quarter (SE1/4) of Block 4 of Sherman’s Addition to Sioux Falls, Minnehaha County, South Dakota, according to the recorded plat thereof; Northwest Quarter (NW1/4), except the West 7 feet thereof; of Block 5 of Sherman’s Addition to Sioux Falls, Minnehaha County, South Dakota, according to the recorded plat thereof; and North Third (N1/3) of the Northeast Quarter (NE1/4) of Block 5 of Sherman’s Addition to Sioux Falls, Minnehaha County, South Dakota, according to the recorded plat thereof, requesting the vacation of West 19th Street lying between South Minnesota Avenue and South Dakota Avenue, as shown on Exhibit A.
The Council will consider said vacation at the Carnegie Town Hall, 235 W. Tenth St., at 6 p.m., Tuesday, December 2, 2025.
Any person interested may appear and be heard.
Jermery J. Washington, City Clerk
Published twice on Nov. 14 & Nov. 21, 2025, at the approximate cost of $22.54, and may be viewed free of charge at www.sdpublicnotices.com or TheDakotaScout.com.
-
PUBLISH: Nov. 7 & Nov. 14, 2025
-
PUBLISH: Nov. 7 & Nov. 14, 2025
BID REQUEST NO.: 25-0122
NOTICE TO BIDDERS
The City of Sioux Falls, SD, requests formal bids for Storm Drainage Contract Hauling.
To participate, you must be registered as a vendor on the e-procurement portal. Register at siouxfalls.bonfirehub.com by selecting “New Vendor Registration” next to the login tab. After you have registered, navigate to the Open Public Opportunities tab to view this invitation for bid. Bids will be electronically submitted through the e-procurement portal and will be received by the portal not later than 2 p.m., Central time, December 4, 2025. Bids will be publicly opened and read at 3 p.m., Central time, City Hall, 224 W. 9th St., Sioux Falls, SD 57104. You may watch the bid opening virtually via Webex by utilizing information and links located at www.siouxfalls.gov/business-permits/bids-procurement/purchasing-bid-opening.
It is the bidder’s responsibility to check the e-procurement portal for any changes or updates to the Invitation to Bid, which will be in the form of an addendum posted to the portal.
Telegraphic, fax, email, and hand-delivered responses will not be accepted unless specifically authorized in the terms and conditions of the Invitation to Bid.
The City of Sioux Falls reserves the right to reject any or all bids, waive technicalities, and make award(s) as deemed to be in the best interest of Sioux Falls, SD.
Published twice on Nov. 7 & Nov. 14, 2025, at the approximate cost of $32.49, and may be viewed free of charge at www.sdpublicnotices.com or TheDakotaScout.com.
-
PUBLISH: Nov. 14 & Nov. 21, 2025
BID REQUEST NO. 25-0132
NOTICE TO BIDDERS
The City of Sioux Falls, SD, requests formal bids for roll carpet cutting and binding.
To participate, you must be registered as a vendor in the e-procurement portal. Register at siouxfalls.bonfirehub.com by selecting “Register” next to the login tab. After you have registered, navigate to the Open Public Opportunities tab to view this invitation for bid. Bids will be electronically submitted through the e-procurement portal and will be received by the e-procurement portal not later than 2 p.m., Central time, December 4, 2025. Immediately thereafter, the bids will be publicly opened and read at 3 p.m., Central time, City Hall, 224 W. 9th St., Sioux Falls, SD 57104. You may watch the bid opening virtually via Webex by utilizing information and links located at www.siouxfalls.gov/purchasing.
It is the vendor’s responsibility to check the e-procurement portal website for any changes or updates to the invitation for bid, which will be in the form of an addendum posted to the e-procurement portal website.
Telegraphic, fax, email, and hand-delivered responses will not be accepted unless specifically authorized in the terms and conditions of the solicitation.
The City of Sioux Falls reserves the right to reject any or all bids, waive technicalities, and make award(s) as deemed to be in the best interest of Sioux Falls, SD.
Published twice on Nov. 14 & Nov. 21, 2025, at the approximate cost of $31.90, and may be viewed free of charge at www.sdpublicnotices.com or TheDakotaScout.com.
-
PUBLISH: Nov. 14, 2025
MINUTES
City Council Meeting
Wednesday, November 12, 2025, at 6:00 PM
Carnegie Town Hall, 235 West 10th St., Sioux Falls, South Dakota 57104
CALL TO ORDER
1. MEETING ROLL CALL
Present: Council Member Curt Soehl, Council Member Richard L. Thomason, Council Member David Barranco, Council Member Miranda Basye, Council Member Sarah Cole, Council Member Rich Merkouris, Council Member Jennifer Sigette
Absent: Council Member Ryan Spellerberg, Mayor Paul TenHaken
2. INVOCATION
• Pastor Charlie Moore, Sunnycrest United Methodist Church
3. PLEDGE OF ALLEGIANCE
CONSENT AGENDA
4. APPROVAL OF THE CONSENT AGENDA
A motion was made by Council Member Basye and seconded by Council Member Sigette to approve the Consent Agenda.
Roll call vote to approve. 7 Yes: Soehl, Thomason, Barranco, Basye, Cole, Merkouris, Sigette; 0 No: (None). Motion Passed.
5. APPROVAL OF MINUTES
• Regular City Council Meeting of Tuesday, November 4, 2025
COMMUNICATIONS
6. Approval of contracts/agreements over $100K on the memorandum dated November 7, 2025.
7. Notice of Contracts/Agreements under $100K and Change Orders over $100K through October 31, 2025.
8. Report of transfer of 2025 Medical Cannabis Dispensary License from The Flower Shop LLC, 2211 West 49th Street, to The Flower Shop LLC, 2211 West 49th Street.
The City Council concurs with the Minnehaha County Commission’s recommendation for approval of the following abatements:
9. Parcel #59187, for 2024 property taxes in the amount of $440.53. Reason: Base year was mistakenly set at 2018. It should be base year 2009.
10. Parcel #79230, for 2022 property taxes in the amount of $1,090.86. Reason: Applicant qualifies for exemption under SDCL 10-4-40 & 10-4-41 (Disabled Veteran).
11. Parcel #79230, for 2023 property taxes in the amount of $2,041.60. Reason: Applicant qualifies for exemption under SDCL 10-4-40 & 10-4-41 (Disabled Veteran).
12. Parcel #79230, for 2024 property taxes in the amount of $1,965.62. Reason: Applicant qualifies for exemption under SDCL 10-4-40 & 10-4-41 (Disabled Veteran).
REGULAR AGENDA
13. APPROVAL OF THE REGULAR AGENDA
A motion was made by Council Member Basye and seconded by Council Member Cole to approve the Regular Agenda.
Roll call vote to approve. 7 Yes: Soehl, Thomason, Barranco, Basye, Cole, Merkouris, Sigette; 0 No: (None). Motion Passed.
INTRODUCTION AND ADOPTION OF ORDINANCES
ORDINANCE SECOND READINGS
14. 2nd Reading: AN ORDINANCE OF THE CITY OF SIOUX FALLS, SD, APPROVING OFFER TO PURCHASE REAL ESTATE FROM CITY.
Sponsor: Mayor
A motion was made by Council Member Thomason and seconded by Council Member Barranco to adopt Ordinance No. 69-25.
Roll call vote to adopt. 7 Yes: Soehl, Thomason, Barranco, Basye, Cole, Merkouris, Sigette; 0 No: (None). Motion Passed.
15. 2nd Reading: AN ORDINANCE OF THE CITY OF SIOUX FALLS, SD, AUTHORIZING THE ISSUANCE OF ITS WASTEWATER SYSTEM REVENUE BOND TO THE SOUTH DAKOTA CONSERVANCY DISTRICT, AUTHORIZING THE USE OF THE PROCEEDS THEREOF FOR CAPITAL IMPROVEMENTS, PLEDGING THE WASTEWATER SYSTEM REVENUE OF THE CITY TO THE PAYMENT OF SAID WASTEWATER SYSTEM REVENUE BOND, FIXING THE TERMS OF SUCH WASTEWATER SYSTEM REVENUE BOND, AUTHORIZING THE EXECUTION AND DELIVERY OF A LOAN AGREEMENT BETWEEN THE CITY AND THE SOUTH DAKOTA CONSERVANCY DISTRICT, AND AUTHORIZING THE EXECUTION AND DELIVERY OF SUCH WASTEWATER SYSTEM REVENUE BOND TO THE SOUTH DAKOTA CONSERVANCY DISTRICT NOT TO EXCEED $32,761,000.
Sponsor: Mayor
A motion was made by Council Member Basye and seconded by Council Member Barranco to adopt Ordinance No. 70-25.
Roll call vote to adopt. 7 Yes: Soehl, Thomason, Barranco, Basye, Cole, Merkouris, Sigette; 0 No: (None). Motion Passed.
16. 2nd Reading: AN ORDINANCE OF THE CITY OF SIOUX FALLS, SD, APPROVING THE CONTINUATION OF THE NAMING OF THE INDOOR AQUATIC CENTER AT SPELLERBERG PARK TO “MIDCO® AQUATIC CENTER,” AND AUTHORIZING THE MAYOR TO ENTER INTO A TEN-YEAR TITLE SPONSORSHIP AGREEMENT BETWEEN THE CITY OF SIOUX FALLS AND MIDCONTINENT COMMUNICATIONS.
Sponsor: Mayor
A motion was made by Council Member Basye and seconded by Council Member Barranco to adopt Ordinance No. 71-25.
Roll call vote to adopt. 7 Yes: Soehl, Thomason, Barranco, Basye, Cole, Merkouris, Sigette; 0 No: (None). Motion Passed.
HEARINGS AND RESOLUTIONS
17. A RESOLUTION VACATING A PART OF THE 66-FOOT SECTION LINE RIGHT-OF-WAY LYING EAST OF NORTH SECHSER AVENUE GOING EAST A DISTANCE OF 1,954.07’ TO THE WEST LINE OF COUNTY AUDITORS LOT H-1, AS SHOWN ON EXHIBIT A.
Sponsor: Mayor
A motion was made by Council Member Barranco and seconded by Council Member Cole to adopt Resolution No. 93-25.
Roll call vote to adopt. 7 Yes: Soehl, Thomason, Barranco, Basye, Cole, Merkouris, Sigette; 0 No: (None). Motion Passed.
RESOLUTION NO. 93-25
A RESOLUTION VACATING A PART OF THE 66-FOOT SECTION LINE RIGHT-OF-WAY LYING EAST OF NORTH SECHSER AVENUE GOING EAST A DISTANCE OF 1,954.07’ TO THE WEST LINE OF COUNTY AUDITORS LOT H-1, AS SHOWN ON EXHIBIT A.
WHEREAS, a petition to vacate public right-of-way has been filed by the owners of the following described property:
A Part of the Northeast Quarter (NE 1/4 ) of Section 24, Township 102 North, Range 50 West of the 5th Principal Meridian, Minnehaha County, South Dakota, lying and being Northeasterly of the Burlington Northern Railroad Right-of-Way, Except County Auditors Lot H-1 contained therein
A Part of the West 956.47’ of the East 996.47’ of the South 562.58’ of the Southeast Quarter (SE 1/4) of Section 13, Township 102 North, Range 50 West of the 5th Principal Meridian, Minnehaha County, South Dakota
A Part of the West 774.29’ of the East 1,770.76’ of the South 562.58’ of the Southeast Quarter (SE 1/4) of Section 13, Township 102 North, Range 50 West of the 5th Principal Meridian, Minnehaha County, South Dakota
A Part of the Southeast Quarter (SE 1/4) of Section 13, Township 102 North, Range 50 West of the 5th Principal Meridian, Minnehaha County, South Dakota, Except Lot H-1 and Except the West 1,730.46’ of the East 1,770.76’ of the South 562.58’ contained therein
WHEREAS, the hearing was held on November 12, 2025, and the petition has been duly examined and investigated by the City Council of the City of Sioux Falls. Testimony of said petition has been heard. Said property, as shown upon the plats attached to and made a part of said petition, has been used as a street, alley, or public ground but no longer serves a useful public purpose
NOW, THEREFORE, BE IT RESOLVED BY THE CITY OF SIOUX FALLS, SD:
That the 66-foot section line right-of-way as shown on Exhibit A, be and the same hereby is declared vacated, and that the City Clerk shall cause to be filed with the Register of Deeds, Minnehaha County, South Dakota, a duly certified transcript of this resolution.
Date adopted: 11/12/25.
Paul TenHaken, Mayor
ATTEST:
Jermery J. Washington, City Clerk
18. A RESOLUTION INCLUDING CERTAIN CONTIGUOUS TERRITORY WITHIN THE CORPORATE LIMITS OF THE CITY OF SIOUX FALLS, SOUTH DAKOTA. ANNEXATION 021865-2025—University of Sioux Falls
Sponsor: Mayor
A motion was made by Council Member Barranco and seconded by Council Member Soehl to adopt Resolution No. 94-25.
Roll call vote to adopt. 7 Yes: Soehl, Thomason, Barranco, Basye, Cole, Merkouris, Sigette; 0 No: (None). Motion Passed.
RESOLUTION NO. 94-25
ANNEXATION 021865-2025—University of Sioux Falls
A RESOLUTION INCLUDING CERTAIN CONTIGUOUS TERRITORY WITHIN THE CORPORATE LIMITS OF THE CITY OF SIOUX FALLS, SOUTH DAKOTA.
WHEREAS, there has been presented to the City Council of the City of Sioux Falls and filed with the City Clerk, a Petition in writing signed by the owners and otherwise in compliance with the provisions of SDCL Chapter 9-4, requesting that the territory hereinafter described be included within the municipality; and
WHEREAS, there has been an analysis completed regarding the territory hereinafter described and it has been found that:
1. The property has been properly described and is contiguous to the current city limits.
2. The proposed land uses and densities are generally consistent with the Shape Sioux Falls 2040 Comprehensive Plan.
3. There is access to the major street network along Cliff Avenue.
4. The property is adjacent to City water for connection.
5. The property can be served by sanitary sewer adjacent to the parcel.
NOW, THEREFORE, BE IT RESOLVED BY THE CITY OF SIOUX FALLS, SD:
That the following described properties are and the same hereby are included within the corporate limits of the city of Sioux Falls, Lincoln County, SD, and the boundary of the city is hereby extended to include such territory:
The North 417.42’ of the West 467.42’ SW 1/4 NW 1/4 (Except Lot H-1) of Section 13, Township 100 North, Range 50 West; and Lot H-1 in the North 417.42’ of the West 467.42’ SW 1/4 NW 1/4 of Section 13, Township 100 North, Range 50 West, Lincoln County, South Dakota
And that the City Clerk shall cause to be filed with the Register of Deeds, Lincoln County, SD, a duly certified transcript of this resolution.
Date adopted: 11/12/25 .
Paul TenHaken, Mayor
ATTEST:
Jermery J. Washington, City Clerk
19. A RESOLUTION TO ESTABLISH AND APPROVE ANGLE PARKING ON NORTH NESMITH AVENUE AS SHOWN ON EXHIBIT A.
Sponsor: Mayor
A motion was made by Council Member Basye and seconded by Council Member Cole to adopt Resolution No. 96-25.
Roll call vote to adopt. 7 Yes: Soehl, Thomason, Barranco, Basye, Cole, Merkouris, Sigette; 0 No: (None). Motion Passed.
RESOLUTION NO. 96-25
A RESOLUTION TO ESTABLISH AND APPROVE ANGLE PARKING ON NORTH NESMITH AVENUE AS SHOWN ON EXHIBIT A.
WHEREAS, property owner is requesting that the City establish and approve its request for angle parking on the west side of North Nesmith Avenue, between East 7th Street and East 8th Street.
BE IT RESOLVED BY THE CITY OF SIOUX FALLS, SD:
That the resolution to establish angle parking on the west side of North Nesmith Avenue, between East 7th Street and East 8th Street is hereby approved.
That the City shall publish this resolution, without attachments, after its passage. The attachments are on file and available for inspection in the office of the City Clerk.
Date adopted: 11/12/25.
Paul TenHaken, Mayor
ATTEST:
Jermery J. Washington, City Clerk
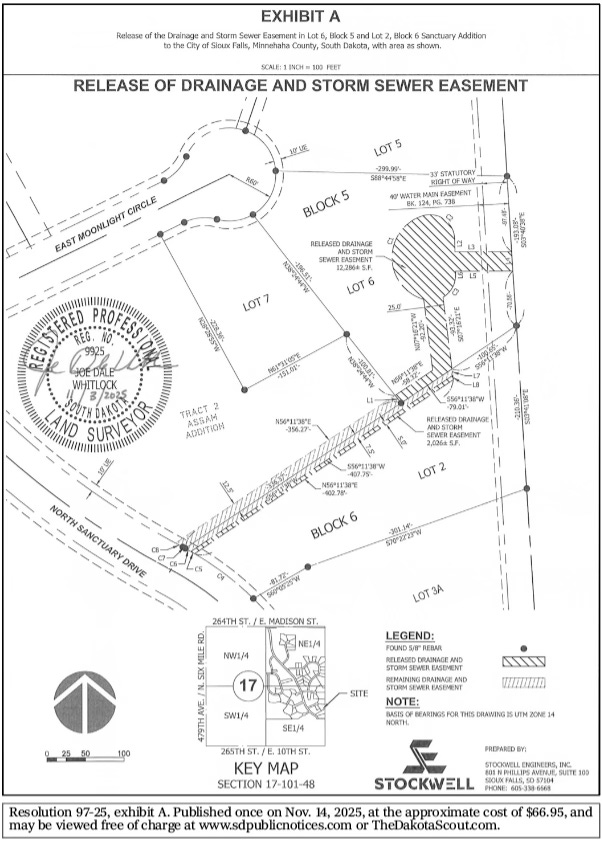
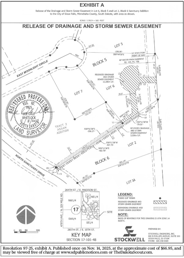
20. A RESOLUTION APPROVING THE RELEASE OF PART OF A DRAINAGE AND STORM SEWER EASEMENT LOCATED WITHIN LOT 6 IN BLOCK 5 AND LOT 2 IN BLOCK 6 SANCTUARY ADDITION TO THE CITY OF SIOUX FALLS, MINNEHAHA COUNTY, SOUTH DAKOTA, AS SHOWN ON EXHIBIT A.
Private Applicant(s): Oakland Homes & Eastside Acres, LLC
A motion was made by Council Member Sigette and seconded by Council Member Barranco to adopt Resolution No. 97-25.
Roll call vote to adopt. 7 Yes: Soehl, Thomason, Barranco, Basye, Cole, Merkouris, Sigette; 0 No: (None). Motion Passed.
RESOLUTION NO. 97-25
A RESOLUTION APPROVING THE RELEASE OF PART OF A DRAINAGE AND STORM SEWER EASEMENT LOCATED WITHIN LOT 6 IN BLOCK 5 AND LOT 2 IN BLOCK 6 SANCTUARY ADDITION TO THE CITY OF SIOUX FALLS, MINNEHAHA COUNTY, SOUTH DAKOTA, AS SHOWN ON EXHIBIT A.
WHEREAS, the City of Sioux Falls, SD, no longer needs part of the drainage and storm sewer easement area across the above-described real property, as shown on Exhibit A. Signed approvals from all public and private utilities are on file with the office of the City Engineer.
WHEREAS, the drainage and storm sewer easement was established by plat filed in Book 86 of Plats on page 87 in the office of the Register of Deeds for Minnehaha County, SD on April 12, 2024, and was reaffirmed by plat and filed in Book 86 of Plats on page 241 in the office of the Register of Deeds for Minnehaha County, SD on October 1, 2024, and reaffirmed by surveyor’s affidavit of omission and filed in Book 302 of Miscellaneous on page 796 in the office of the Register of Deeds for Minnehaha County, SD on October 4, 2024.
NOW, THEREFORE, BE IT RESOLVED BY THE CITY OF SIOUX FALLS, SD:
That it approves the release of part of the drainage and storm sewer easement, as shown on attached Exhibit A, and affecting the real property described as Lot 6 in Block 5 and Lot 2 in Block 6 Sanctuary Addition to the City of Sioux Falls, Minnehaha County, South Dakota and that the City Clerk shall cause to be recorded with the Register of Deeds, Minnehaha County, South Dakota, a duly certified transcript of this resolution.
Date adopted: 11/12/25.
Paul TenHaken, Mayor
ATTEST:
Jermery J. Washington, City Clerk
21. A RESOLUTION ESTABLISHING THE PROCEDURE FOR THE APPOINTMENT TO FILL THE VACANCY OF AT-LARGE CITY COUNCIL MEMBER “A” IN 2025.
Sponsors: Council Members Merkouris and Sigette
A motion was made by Council Member Sigette and seconded by Council Member Barranco to adopt Resolution No. 95-25.
Roll call vote to adopt. 7 Yes: Soehl, Thomason, Barranco, Basye, Cole, Merkouris, Sigette; 0 No: (None). Motion Passed.
RESOLUTION NO. 95-25
A RESOLUTION ESTABLISHING THE PROCEDURE FOR THE APPOINTMENT TO FILL THE VACANCY OF AT-LARGE CITY COUNCIL MEMBER “A” IN 2025.
WHEREAS, Sarah Cole has submitted her resignation as the At-Large City Council Member “A” to be effective on December 3, 2025; and
WHEREAS, Sioux Falls City Charter Section 2.06(d) states that a vacancy in the office of mayor or in the city council shall be filled for the remainder of the unexpired term, if any, at the next regular election following not less than 60 days upon the occurrence of the vacancy, but the council by a majority vote of all its remaining members shall appoint a qualified person to fill the vacancy until the person elected to serve the remainder of the unexpired term takes office. If the council falls [sic] to do so within 30 days following the occurrence of the vacancy, the city election authorities shall call a special election to fill the vacancy, to be held not sooner than 90 days and not later than 120 days following the occurrence of the vacancy, and to be otherwise governed by law.
NOW, THEREFORE, BE IT RESOLVED BY THE CITY OF SIOUX FALLS, SD:
Section 1: In accordance with City Charter Section 2.06(d), the City Council has resolved that, by a majority vote of all its remaining members, it shall appoint a qualified person to fill the vacancy until the person elected to serve the remainder of the unexpired term is duly qualified and assumes office.
Section 2: All nominations shall be attached to the December 9, 2025, City Council meeting agenda when it is released on Friday, December 5, 2025. The nomination shall include the nominee’s name, legal address, and the City Council members who will make the nomination and second the nomination.
To be eligible for consideration, a nominee must be a registered voter of the city who has resided in the city for at least six (6) months immediately prior to December 9, 2025.
Section 3: The City Council shall consider the appointment of a new council member at its regular meeting on Tuesday, December 9, 2025, as follows:
A. The presiding officer opens nominations.
B. Nominations shall be made from the floor and shall be seconded. The council members who made and seconded a nomination shall have the opportunity to speak on behalf of their nominee once the presiding officer reads their nomination aloud.
C. A nominee can be withdrawn from consideration at any time.
D. The presiding officer shall close nominations after all nominations are made known.
E. After nominations are closed, each nominee will have an opportunity to speak in the order of their nomination.
F. The public is invited to provide input in accordance with § 30.015.
G. Once public input has been concluded, each council member will have an opportunity to discuss the nominations.
H. Voting shall be by roll call vote, with each council member stating the name of their preferred nominee.
I. A majority of members present will determine the appointment. If any nominee fails to achieve a majority vote of the remaining council members, then a subsequent roll call vote(s) may occur until such time as one nominee achieves a majority vote. If no nominee secures a majority vote of the remaining council members, then the Chair may declare the nominations process closed.
Section 4: Pursuant to SDCL 9-19-13, this resolution is declared to be for the support of the municipal government. It shall therefore become effective upon first publication.
Date adopted: 11/12/25 .
Paul TenHaken, Mayor
ATTEST:
Jermery J. Washington, City Clerk
NOTICE OF HEARINGS FOR STREET VACATIONS
22. A RESOLUTION VACATING WEST 19TH STREET LYING BETWEEN SOUTH MINNESOTA AVENUE AND SOUTH DAKOTA AVENUE, AS SHOWN ON EXHIBIT A.
Recommendation: Set a date of hearing for Tuesday, December 2, 2025.
Private Applicant(s): Reynolds Construction Management - Paul Reynolds
A motion was made by Council Member Sigette and seconded by Council Member Cole to set a date of hearing for Tuesday, December 2, 2025 for Item 22.
Roll call vote to set a date of hearing. 7 Yes: Soehl, Thomason, Barranco, Basye, Cole, Merkouris, Sigette; 0 No: (None). Motion Passed.
NEW BUSINESS
There was none.
GENERAL PUBLIC INPUT
The following items were discussed: an experience of being stopped by law enforcement and having Constitutional rights violated; the difference between a fitness center and a recreation center; and how things aren’t free.
ADJOURNMENT
A motion was made by Council Member Barranco and seconded by Council Member Basye to adjourn at 6:36 p.m.
Voice vote to adjourn. 6 Yes: Soehl, Barranco, Basye, Cole, Merkouris, Sigette; 1 No: Thomason. Motion Passed.
Denise D. Tucker, MMC, Assistant City Clerk
Published once on Nov. 14, 2025, at the approximate cost of $204.16, and may be viewed free of charge at www.sdpublicnotices.com or TheDakotaScout.com.
-
PUBLISH: Nov. 14, 2025
-
PUBLISH: Nov. 14, 2025
-
PUBLISH: Nov. 14, 2025
SIOUX FALLS SCHOOL DISTRICT
PUBLISH: Nov. 7 & Nov. 14, 2025
ADVERTISEMENT FOR BIDS
Publish Dates: November 7th & 14th
Sealed bids for Box Truck #3516 will be received at the Central Services Center, Purchasing Department, 1101 N. Western Ave., Sioux Falls, South Dakota, 57104, up until 11:00 AM, Monday, November 17th, 2025. Bids will be publicly opened, read, and tabulated 11:00 AM of said day in the Central Services Center. Bids will be presented to the School Board at the next succeeding regular Board meeting, all in accordance with Board policy. Specifications and Bid Forms may be obtained at https://www.sf.k12.sd.us/page/pending-bids-and-request-for-proposals or the Purchasing Department in the Central Services Center, 1101 N. Western Ave., Sioux Falls, South Dakota. All bids and contracts shall be made in accordance with and subject to SDCL 5-18A, 5-18B, 5-18C, 5-18D, 5-21, 5-22 and the provisions set forth in the specifications. The School Board reserves the right to reject any and all bids or parts thereof, and to waive any irregularities. School Board, Sioux Falls School District 49-5 of Minnehaha County, South Dakota. By: Todd Vik, Business Manager, Finance. This notice may be viewed free of charge on a 13 statewide public notice website maintained pursuant to § 17-2-1.
Published twice on Nov. 7 & Nov. 14, 2025, at the approximate cost of $30.17, and may be viewed free of charge at www.sdpublicnotices.com or TheDakotaScout.com.
-
PUBLISH: Nov. 7 & Nov. 14, 2025
ADVERTISEMENT FOR BIDS
Publish Dates: November 7th & 14th
Sealed bids for Learning Lab at Southeast Technical College – Community Campus Renovation PD #3515 will be received at the Central Services Center, 1101 North Western Avenue, Sioux Falls, South Dakota, 57104, up until 2:00 PM, Thursday, December 4, 2025. Bids will be publicly opened, read, and tabulated 2:00 PM of said day in the Central Services Center. Bids will be presented to the School Board at the next succeeding regular Board meeting, all in accordance with Board policy. All bids shall be made in accordance with forms and specifications attached to and made a part of the proposed contract documents. Contract documents and Specifications have been placed on file at TSP, Inc. and may be examined and be obtained at the office of TSP, Inc, 1112 N W Ave, Sioux Falls, SD 57104. Inquiries should be sent to klobassaml@teamtsp.com. All bids and contracts shall be made in accordance with and subject to SDCL 5-18A, 5-18B, 5-18C, 5-18D, 5-21, 5-22 and the provisions set forth in the specifications. The School Board reserves the right to reject any and all bids or parts thereof, and to waive any irregularities. School Board, Sioux Falls School District 49-5 of Minnehaha County, South Dakota. By:Todd Vik, Business Manager. This notice may be viewed free of charge on a 13 statewide public notice website maintained pursuant to § 17-2-1.
Published twice on Nov. 7 & Nov. 14, 2025, at the approximate cost of $33.07, and may be viewed free of charge at www.sdpublicnotices.com or TheDakotaScout.com.
-
PUBLISH: Nov. 14, 2025
SCHOOL BOARD MEETING
The School Board of the Sioux Falls School District 49-5 of Minnehaha County, South Dakota, was called into special session, pursuant to due notice, on Wednesday, November 5, 2025, at
3:00 p.m. in the Instructional Planning Center, 201 East 38th Street, Sioux Falls, South Dakota, with the following members present: Elizabeth Duffy, Dawn Marie Johnson, Gail Swenson, Vice President Marc Murren, and President Nan Kelly. Absent: none. Dr. James Nold, Superintendent of Schools, Todd Vik, Business Manager, and Brett Arenz, In-House Counsel, were also present.
The purpose of this work session was to provide updates and have general discussion on the following topics:
Public Input on Agenda Items: none.
Dr. Kirk Zeeck, Assistant Superintendent, Elizabeth Herrboldt, Director of Federal Programs, and Dr. Andrew McKay, Spanish Immersion Program Specialist, went over the Developmental Bilingual Education (DBE) Model. Sonia Sotomayor Elementary School is a One Way Immersion program where the student populations first language is English. Rosa Parks and Hayward Elementary School are Two Way Immersion programs where the student populations first language is both English or Spanish. High school immersion students have access to college credit and the State Seal of Biliteracy.
Daniel Conrad, Assistant Superintendent, provided updates on the Capital Outlay Process and Timeline for 2025-2030. He explained that the Capital Improvement Planning (CIP) project timeline has student achievement, well-being, community engagement, and effective use of resources as the main priorities. Two major items on the 2027 CIP timeline are the Spring 2027 Bond Vote and construction of the new Whittier Middle School beginning in Spring 2028.
Board members gave the following committee reports: Elizabeth Duffy and Gail Swenson-Policy Review Committee, Nan Kelly-Education Foundation, Dawn Marie Johnson-PATH (Pedestrians Avoiding Traffic Hazards) Action 39847
On motion by Marc Murren and seconded by Gail Swenson five (5) votes “yes” on roll call, the School Board adjourned at 3:54 p.m.
NAN KELLY
Presiding Officer
TODD VIK
Business Manager
Published once on Nov. 14, 2025, at the approximate cost of $25.52, and may be viewed free of charge at www.sdpublicnotices.com or TheDakotaScout.com.
-
PUBLISH: Nov. 14, 2025
SCHOOL BOARD MEETING
Wednesday, November 5, 2025
The School Board of the Sioux Falls School District 49-5 of Minnehaha County, South Dakota, was called into regular session, pursuant to due notice, on Wednesday, November 5, 2025, at 4:05 p.m. in the Instructional Planning Center, 201 East 38th Street, Sioux Falls, South Dakota, with the following members present: President Nan Kelly, Elizabeth Duffy, Dawn Marie Johnson, Marc Murren, Gail Swenson. Absent: None.
* * * * *
President Cory Clasemann shared that the Aspen Institute has named Southeast Technical College a top 200 Community College and eligible to complete for the 2027 Aspen Prize for Community College Excellence and $1 million prize. The Aspen Prize honors two-year colleges that are achieving high and improving student outcomes and highlights the practices that drive their success. The prize is awarded every two years.
* * * * *
Action ST00962 A motion was made by Dawn Marie Johnson and seconded by Gail Swenson, five (5) votes “yes” on roll call approving the minutes of a meeting held on October 1, 2025, and which were furnished to the Sioux Falls Argus leader for publication, in unapproved form, all in accordance with SDCL §13-8-35.
Action ST00963 A motion was made by Marc Murren and seconded by Dawn Marie Johnson, five (5) votes “yes” on roll call, approving the agenda as presented.
* * * * *
President Kelly asked about any conflicts of interest. None were brought forward.
Action ST00964 A motion was made by Gail Swenson and seconded by Dawn Marie Johnson, five (5) votes “yes” on roll call, approving Item A through D on the consent agenda as follows:
A. Acknowledging the administration’s report of the study of bids which have been received during the prior 30 days and were opened, read and tabulated in the Central Services Center – Purchasing Department and approving the bids of the lowest responsible bidders in accordance with the tabulated lists of contract awards that have been placed on file for reference purposes, as follows:
A.1 Hampden Engineering Corporation for Refrigeration Trainer Supermarket Rack System (see PD#3511 and SFSD FY26 Legal Publication #19) be awarded to Hampden Engineering Corporation for their lowest responsible bid in the amount of $65,252.00 and authorizing the Business Manager to issue a contract to be executed by Hampden Engineering Corporation (see MRF #ST703 and Contract 26-004).
Upon execution, the contract will be entered into and executed for, and on behalf of the District by the Business Manager and the President of the School Board, and thereupon, the bid security, if any, now on deposit with the Purchasing Supervisor of the District, be surrendered, all in accordance with Policy/Regulation STC440.
B. Approving the Authorizations and Ratifications, as follows:
B.1 Approval/Ratification of Purchase Orders
Authorizing the Business Manager to issue Purchase Order(s) requiring additional approval of the School Board as follows:
Item PO No. Vendor-Description Total Cost
a.S2602871 Pfeifer Implement Co-Skid Steer and accessories $59,377.79
b.S2602681 Hampden Engineering Corp-Refrigeration System Trainer $65,252.00
B.2 Disposal of School District Property
Authorizing the disposal of surplus property to sell at private sale, public auction, or sealed bids or to dispose of, in accordance with SDCL §6-13-1, as follows:
Item No. Description Location Appraisers Appraised Value Property File No.
1 Paver bricks -various sizes and colors (about 9200 bricks) STC Stephen Williamson Erin Mekelburg Jessica Weber $1,000 STC012
2 Frigidaire refrigerator STC Megan Fischer Kally Jorgensen Kristie Vortherms $0 STC013
3 Nikon Microscope STC Kelly Beck Usha Devorak Dustin Pepper $10 STC014
4 Olympus BX40 Microscope STC Kelly Beck Usha Devorak Dustin Pepper $20 STC014
5 Viasys Healthcare Machine STC Kelly Beck Usha Devorak Dustin Pepper $100 STC014
6 Extra Viasys Screen STC Kelly Beck Usha Devorak Dustin Pepper $50 STC014
7 Unetixs Vascular Machine STC Kelly Beck Usha Devorak Dustin Pepper $75 STC014
8 Philips iU22 Ultrasound Machine STC Kelly Beck Usha Devorak Dustin Pepper $2,800 STC014
9 GE Treadmill & computer STC Kelly Beck Usha Devorak Dustin Pepper $0 STC014
10 Hoyer Lift STC Kelly Beck Usha Devorak Dustin Pepper $100 STC014
11 Pocket Nurse Cart STC Kelly Beck Usha Devorak Dustin Pepper $25 STC014
12 Eurodib Induction Hot Plate (2 units) STC Kelly Beck Usha Devorak Dustin Pepper $30 STC014
13 Torsion Balance scale and weights STC Kelly Beck Usha Devorak Dustin Pepper $10 STC014
14 KL16DF Kirby Lester Counting System STC Kelly Beck Usha Devorak Dustin Pepper $15 STC014
15 KL15e Kirby Lester Tablet Counter STC Kelly Beck Usha Devorak Dustin Pepper $15 STC014
16 Boekel Scientific Incubator STC Kelly Beck Usha Devorak Dustin Pepper $0 STC014
17 Fisher EMD XL-500 Scale STC Kelly Beck Usha Devorak Dustin Pepper $10 STC014
18 Valueklave 1730-Steam Sterilizer STC Kelly Beck Usha Devorak Dustin Pepper $15 STC014
19 Computer and cash drawer STC Kelly Beck Usha Devorak Dustin Pepper $200 STC014
20 American Optical One-Ten Scope STC Kelly Beck Usha Devorak Dustin Peppe $0 STC014
21 LW Scientific scope with lens STC Kelly Beck Usha Devorak Dustin Pepper $20 STC014
22 PHASEAL STC Kelly Beck Usha Devorak Dustin Pepper $5 STC014
23 Verifone Payment System STC Kelly Beck Usha Devorak Dustin Pepper $100 STC014
24 Ritter 75 Evolution STC Kelly Beck Usha Devorak Dustin Pepper $0 STC014
25 Toshiba Diagnostic Xray Apparatus STC Kelly Beck Usha Devorak Dustin Pepper $200 STC014
26 Power Injector STC Kelly Beck Usha Devorak Dustin Pepper $0 STC014
27 Pyxis Medstation STC Kelly Beck Usha Devorak Dustin Pepper $400 STC014
28 Fronius TPS400I & MagicWave 4000 STC Daniel Eisenvos Cory Borgen Vincent Berry $0 STC015
29 Lincoln Electric c300 (3 units) STC Daniel Eisenvos Cory Borgen Vincent Berry $0 STC015
30 Lincoln Powerwave 350 (4 units) STC Daniel Eisenvos Cory Borgen Vincent Berry $0 STC015
31 Miller Dynasty 200 (6 units) STC Daniel Eisenvos Cory Borgen Vincent Berry $0 STC015
B.3 Authorization of Grant Authorizing the Administration of Southeast Technical College to enter into and execute all documents related to the Gene Haas Foundation grant to Southeast Technical College in the amount of $10,000 for student scholarships and student participation in manufacturing competitions. The scholarships will be awarded to students who are currently enrolled or will be enrolling in the mechanical engineering technology program. The contact person for this grant is Aaron Lalley.
B.4 Approval of Contracts Authorizing the President to enter into and execute contracts, for and on behalf of the Southeast Technical College, as follows:
Item Contract Number Contractor-Project Cost
a. 26-005-TSP Amendment to Contract 25-011 (ST00911.A.1) for services plus reimbursable expenses - to meet state requirement for high-performance green buildings $161,500
C. Approving the Consolidated Report of Trust and Agency Funds of November 5, 2025, and stating for the record that as of August 31, 2025, receipts total $16,051,159.65 and disbursements total $6,328,300.73 (MRF #ST704).
D. Accepting the Southeast Tech Personnel Report, as follows:
D1. Resignations
Accepting the resignation of School District Personnel as of the effective date indicated, the personnel having been previously employed by Board Action, as follows:
Name Location/Position Effective Date
Employment Contract, Full-Time
Hamer, Debra Custodian10-17-25
Student Help, Part-Time, Hourly
Dohrenwend, Skyler The Grille 09-24-25 Jenson, Olivia Scarbrough 10-03-25 Dewees, Natasha Tutor 10-09-25
Other Help, Part-Time, Hourly
Buchman, Dean Testing Center 10-10-25
D2. Employment Recommendations
Name Location/Position Effective Date Amount
Instructor, Adjunct, Hourly
Davis, Tyler Nursing & Health 09-29-25 $46.00 Schreurs, Katie Nursing & Health 10-15-25 $34.00 Zens, Kaylie Nursing & Health 10-06-25 $46.00
Student Help, Part-Time, Hourly
Dewees, Natasha Tutor 09-22-25 $16.50 Fields, Shaleah Scarbrough 10-06-25 $15.00
D3.Employee Lump Sum Payment/Stipend
Name Location/Position Effective Date Amount
Rivere, Brittany Nursing & Health 10-31-25 $300.00 Borgen, Cory Sports Turf Management 10-31-25 $300.00 EisenVos, Daniel HVAC 10-31-25 $300.00 Schwebach, Gregory Engineering 10-31-25 $300.00 Wellnitz, Kristin Psychology 10-31-25 $300.00 Carlson, Rebecca Nursing & Health 10-31-25 $300.00 Bormann, Amanda Information Technology 10-15-25 $2,500.00
D.4 Change of Status
Name Delete, Add, Effective Date
Leffring, Holly Student Accounts Coordinator 12-Month, Level 8, Step 4 Non-Exempt $31.10/hour, 1.0 FTE Bursar 12-Month, 1.0 FTE Level 10, Step 4 Exempt $65,237.18
217 days prorated, 09-01-25
Strouth, Gerard Director of IT Infrastructure And Support 12-Month, 1.0 FTE Level 11, Step 8 $118,994.00/year, Director of Information Technology Administrator, 1.0 FTE Level 7, Step 4$85,536.72/year 172 days prorated, 11-03-25
Action ST00965 Instructor Jenna Ellerbusch provided the Invasive Cardiology Program Update report (MRF ST#705). The Invasive Cardiology Program is developing highly skilled credentialed cardiovascular specialists through a structured clinical and educational pathway designed to meet the rising demand for interventional cardiac care. The program combines hands-on procedural training with a rigorous credentialing curriculum focused on safety, precision, and clinical excellence. The program celebrates strong student retention, growing cohort volumes, and consistent alignment with national standards and is positioned for continued growth. The Invasive Cardiology Program is expanding its use of advanced technologies and offers enhanced training opportunities to meet future workforce and clinical needs. Following general discussion, a motion was made by Gail Swenson and seconded by Elizabeth Duffy, five (5) votes “yes” on roll call acknowledging the Invasive Cardiology Program Update Report.
Action ST00966 Director of Marketing and Communications Jennifer Lambley presented the Marketing Update Report (MRF ST#706). Highlights of the report included 1 - Student-Centered Focus – The 2025-2026 enrollment campaign emphasizes the student experience highlighting hands-on learning and real-world outcomes. 2 - Storytelling Across Platforms – Additional initiatives showcase the STC story trough student success stories, workforce connections, and campus culture. 3 - Website Health Update – Includes an overview of the current performance, engagement metrics, and continuous improvements to the STC website. Following general discussion, a motion was made by Dawn Marie Johnson and seconded by Gail Swenson, five (5) votes “yes” on roll call acknowledging the Marketing Update Report.
Action ST00967 Assistant Vice President Stephen Williamson presented the Naming for the Homebuilding Laboratory Report (MRF ST#707). Wells Fargo has been a steady donor to the Southeast Technical Foundation since 2002 supporting the Annual Fund, Student Scholarships, the Emergency Retention Fund, Jumpstart and Financial Literacy seminars within the New Student Orientation. Because of this historical relationship and Wells Fargo’s approval of the Foundation’s and College’s use of past gifts, Wells Fargo requested a proposal to perpetuate homebuilding in the region. The team of Dr. Cory Clasemann, Dr. Fenecia Homan and Foundation Associate Vice President Stephen Williamson submitted a proposal to build a homebuilding laboratory where students from multiple disciplines can annually build and provide a new home appropriate for a first-time homebuyer. This proposal was well received by the Wells Fargo national office and the Foundation and College received a grant of $2,000,000 dollars from Wells Fargo to build an indoor homebuilding facility. The College and Foundation will be discussing with partners the opportunity to invest in this project and expect to break ground on this facility in the Spring of 2026. Following general discussion, a motion was made by Marc Murren and seconded by Dawn Marie Johnson, five (5) votes “yes” on roll call approving the name of the new facility, “Wells Fargo Homebuilding Laboratory”.
Action ST00968 Vice President of Finance Christine Goldsmith provided the Financial Update Report (MRF ST#708). Highlights of the report included high-level year-to-date revenues and expenses. An overview of 4-year comparison of combined fund balances was included. Following general discussion, a motion was made by Gail Swenson and seconded by Marc Murren, five (5) votes “yes” on roll call acknowledging the Financial Update Report.
Action ST00969 A motion was made by Elizabeth Duffy and seconded by Marc Murren five (5) votes “yes” on roll call, approving the second reading of the following (see MRF ST#709) as follows:
STC 110 Educational Philosophy/Vision, Mission, and Values
STC 422 Sales and Disposals of Surplus Property
STC 423 Revenues From Non-Tax Sources – Tuition-Collection and Refund
STC 430 Accounting System – Trust and Agency Funds
STC 714 Tobacco-Free College
STC 856 Service Animals
Action ST00970 A motion by Gail Swenson and seconded by Dawn Marie Johnson, five (5) votes, “yes” on roll call, authorizing a five (5) minute break and authorizing an executive session of the School Board to discuss contract negotiations, in accordance with SDCL §1-25-2(4). The School Board, thereupon went into executive session at 5:03 p.m. The School Board resumed regular session at 5:44 p.m.
Action ST00971 On motion by Dawn Marie Johnson and seconded by Marc Murren, five (5) votes “yes” on roll call, the School Board adjourned at 5:45 p.m.
NAN KELLY
Presiding Officer
TODD VIK
Business Manager
This notice may be viewed free of charge on a 13 statewide public notice website maintained pursuant to §17-2-1.
Published once on Nov. 14, 2025, at the approximate cost of $157.47, and may be viewed free of charge at www.sdpublicnotices.com or TheDakotaScout.com.
-
PUBLISH: Nov. 14, 2025
SCHOOL BOARD MEETING
The School Board of the Sioux Falls School District 49-5 of Minnehaha County, South Dakota, was called into regular session, pursuant to due notice, on Monday, November 10, 2025, at
5:30pm in the Instructional Planning Center, 201 East 38th Street, Sioux Falls, South Dakota, with the following members present: Elizabeth Duffy, Dawn Marie Johnson, Gail Swenson, and President Nan Kelly. Absent: Vice President Marc Murren. Dr. James Nold, Superintendent of Schools, Todd Vik, Business Manager, and Brett Arenz, In-House Counsel, were also present.
Carly Uthe, Communications Strategist, had staff from George McGovern Middle School (GMMS) speak regarding GMM Serves. Kim Dossett, a GMMS teacher, discussed community organizations that the middle school staff partners with each month such as Banquet West, Live Inspired 365, and Ronald McDonald House. The staff discussed how they bring their own families together with the student’s families at many of these organizations.
Action 39848
A motion was made by Dawn Marie Johnson and seconded by Gail Swenson, four (4) votes “yes” on roll call, approving the minutes of the meetings held October 27, 2025 and November 5, 2025, which were furnished to Dakota Scout for publication, in unapproved form, all in accordance with SDCL §13-8-35.
Persons Wishing to Address the School Board: none.
Action 39849
A motion was made by Gail Swenson and seconded by Dawn Marie Johnson four (4) votes “yes” on roll call, approving the agenda with the tabling of item 10. Adoptions of Resolution of Sublease Agreement for Southeast Technical College.
Action 39850
A motion was made by Gail Swenson and seconded by Elizabeth Duffy four (4) votes “yes” on roll call, approving Items A through F of the consent agenda, as follows:
A. Approving pages 1 through 12 of list of claims dated November 10, 2025 in the amount of $5,057,481.82; it being understood that in publishing claims the Business Manager shall publish name of each claimant, purpose, and amount of each expenditure as required by SDCL 13-8-35 (see MRF #19822)
CLAIMANT DESCRIPTION AMOUNT
CALIFORNIA STATE DI CA CHILD SUPPORT $50.00
CALIFORNIA STATE DI CA CHILD SUPPORT $228.00
COLLECTION SERVICES IA CHILD SUPPORT $10.00
MINNESOTA CHILD SUP MN CHILD SUPPORT $187.20
MINNESOTA CHILD SUP MN CHILD SUPPORT $56.00
MINNESOTA CHILD SUP MN CHILD SUPPORT $353.00
MINNESOTA CHILD SUP MN CHILD SUPPORT $660.00
OREGON CHILD SUPPOR OR CHILD SUPPORT $144.00
TEXAS CHILD SUPPORT TX CHILD SUPPORT $230.00
TEXAS CHILD SUPPORT TX CHILD SUPPORT $567.00
WASHINGTON ST SUPPO WA CHILD SUPPORT $463.12
S.D. RETIREMENT SYS JP - SDRS PAST DUE $185.58
S.F. SCH. DIST. NO 10/25 SPENDING ACCT $126,826.03
AFSCME COUNCIL 65 OCT 2025 1025 DUES $3,019.48
LOCAL 304A UFCW OCT 2025 304A DUES $338.00
S.F. AREA COMMUNITY OCT 2025 SFA FOUNDA $449.00
S.F. ASSOC EDUC SEC OCT 2025 SFAES DUES $180.60
S.F. EDUCATION ASSO OCT 2025 SFEA DUES $12,944.20
SIOUX EMPIRE UNITED OCT 2025 UNITED WAY $10,204.90
SOUTHEAST TECHNICAL OCT 2025 STC FOUNDA $632.45
OFFICE OF CHILD SUP OCT25 SD CHILD SUPP $8,640.38
S.D. RETIREMENT SYS OCT25 457 WIRE $78,978.28
TSA CONSULTING GROU OCT25 403B CONTRIB $60,045.13
S.F. EDUCATIONAL AS OCT 2025 SFEAA DUES $45.46
FIDELITY SECURITY L 11/25 VOL VISION WI $2,612.15
FIDELITY SECURITY L 11/25 NV VISION WIR $39,267.95
HEALTHEQUITY 10/25 FLEX FEES WIR $1,933.00
AAA COLLECTIONS INC GARNISHMENT $599.13
AAA COLLECTIONS INC GARNISHMENT $232.42
AAA COLLECTIONS INC GARNISHMENT $451.77
AAA COLLECTIONS INC GARNISHMENT $231.84
AAA COLLECTIONS INC GARNISHMENT $276.76
AAA COLLECTIONS INC GARNISHMENT $738.48
ACCOUNTS MANAGEMENT WAGE ASSIGNMENT $100.00
ACCOUNTS MANAGEMENT GARNISHMENT $721.00
ACCOUNTS MANAGEMENT GARNISHMENT $830.44
ACCOUNTS MANAGEMENT GARNISHMENT $870.10
ACCOUNTS MANAGEMENT GARNISHMENT $647.20
ACCOUNTS MANAGEMENT GARNISHMENT $693.06
ACCOUNTS MANAGEMENT WAGE ASSIGNMENT $60.00
BREIT & BOOMSMA, PC GARNISHMENT $227.37
CAPITAL ONE, N.A. D GARNISHMENT $548.84
CAPITAL ONE, N.A. D GARNISHMENT $575.67
CAPITAL ONE, N.A. D GARNISHMENT $178.00
CREDIT COLLECTIONS WAGE ASSIGNMENT $255.58
CREDIT COLLECTIONS GARNISHMENT $360.15
HAUGE ASSOCIATES IN GARNISHMENT $867.81
LVNV FUNDING LLC GARNISHMENT $11.77
MIDLAND FUNDING LLC GARNISHMENT $305.66
MIDLAND FUNDING LLC GARNISHMENT $673.82
PORTFOLIO RECOVERY GARNISHMENT $531.50
S.F. SCH. DIST. NO. 10/25 SMARTPHONE RE $596.60
GREEN DOT CORPORATI 11-25 RAPID PAY FUN $180,000.00
1PASSWORD TEXTBOOKS $495.00
A TO Z WORLD LANGUAGES INC INTERPRETER COSTS $5,370.00
ABBY RENEE DOSS IN-DISTRICT MILEAGE $67.80
ADAPTED 4 SPECIAL ED, INC CLASSROOM SUPPLIES $54.97
ADAPTIVE TECH SOLUTIONS LLC OTHER SUPPLIES $63.49
ADVANCED PEST SOLUTIONS PROFESSIONAL SERVICES
OTHER PROPERTY SERVICES $119.00
AEILTS, CHRIS PROFESSIONAL SERVICES $500.00
ALECIA RAE WINKLEMAN IN-DISTRICT MILEAGE $276.04
ALISON MARIE JOHNSON IN-DISTRICT MILEAGE $267.13
ALL NATIONS INTERPRETERS INC INTERPRETER COSTS $2,969.20
ALLAN MICHAEL SAUGSTAD IN-DISTRICT MILEAGE $18.76
ALLISON ANITA-ANN REULAND IN-DISTRICT MILEAGE $89.71
ALPHAGRAPHICS OTHER SUPPLIES $269.64
ALYSSIA LARAE SALGUERO DUES & FEES $450.90
AMBER ANN BLUME ADMIN OUT DIST TRAVEL $160.00
AMBER ANN POLLMANN IN-DISTRICT MILEAGE $182.04
AMERICAN INK LLC OTHER SUPPLIES $5,206.75
AMERICAN VETERINARY MEDICAL ASSN DUES & FEES $2,645.00
AMIE M EDWARDS IN-DISTRICT MILEAGE $307.53
AMY MARIE STAPLES SOFTWARE, VIDEOS, ETC. $115.76
ANCHOR MUSIC PUBLICATIONS CLASSROOM SUPPLIES $80.00
ANGELA K LANDEEN TEACHER OUT DIST TRAVEL $123.21
APPLE INC NEW GENERAL EQUIPMENT $329.00
APX CONSTRUCTION GROUP, LLC BUILDING IMPROVEMENTS $838,000.00
ARCHITECTURE INC PROFESSIONAL SERVICES $16,008.00
ASHLEY ALYSSA RUPPERT IN-DISTRICT MILEAGE $148.27
ASHLEY ELIZABETH GRIESE IN-DISTRICT MILEAGE $297.88
ASHLEY NICOLE CROWNOVER PROFESSIONAL SERVICES $60.00
ASSOCIATED SCHOOL BOARDS OF SD DUES & FEES $40.00
AUTISM PRODUCTS.COM OTHER EQUIPMENT (NON-CAP) $294.00
AUTOMATIC BUILDING CONTROLS CORP EQUIPMENT REPAIR $514.29
BERG, CARMYN PROFESSIONAL SERVICES $65.00
BERG, DARIN PROFESSIONAL SERVICES $150.00
BETH ANN CARLSON IN-DISTRICT MILEAGE
TEACHER OUT DIST TRAVEL $715.29
BEUKELMAN, DALE E. PROFESSIONAL SERVICES $150.00
BILLION AUTOMOTIVE REPAIR OF CARS AND TRUCKS $4,270.31
BILLION AUTOMOTIVE - KIA REPAIR OF CARS AND TRUCKS $76.13
BOE, LUKE PROFESSIONAL SERVICES $240.00
BORDER STATES ELECTRIC SUPPLY NEW GENERAL EQUIPMENT $2,312.92
BORMANN, VINCENT PROFESSIONAL SERVICES $240.00
BOSCH, RANDI K PROFESSIONAL SERVICES $150.00
BOSMA, KAYLEE PROFESSIONAL SERVICES $75.00
BOYS & GIRLS CLUB OF SIOUX EMPIRE PROFESSIONAL SERVICES $111,636.55
BRENDA R BAINBRIDGE PROFESSIONAL SERVICES $75.00
BRUFLAT, DAVE PROFESSIONAL SERVICES $100.00
BRUNER LAW GROUP PLLC LEGAL SERVICES $10,000.00
BSN SPORTS INC OTHER SUPPLIES
REPLACEMENT GENERAL EQUIP $4,049.28
BUSE, KATHLEEN M. PROFESSIONAL SERVICES $312.50
CALLAHAN, CHUCK PROFESSIONAL SERVICES $90.00
CAMPBELL, GRACE PROFESSIONAL SERVICES $70.00
CANDACE LEE RECHTENBAUGH IN-DISTRICT MILEAGE $314.50
CANFIELD BUSINESS INTERIORS INC OTHER EQUIPMENT (NON-CAP) $2,238.55
CARDA, CHAR PROFESSIONAL SERVICES $260.04
CARL, MAIA PROFESSIONAL SERVICES $160.00
CARMEN MARIE WEXLER IN-DISTRICT MILEAGE $163.41
CARTERS CUSTOM CREATIONS OTHER SUPPLIES $165.00
CATHERINE MARIE FALK IN-DISTRICT MILEAGE $103.72
CENGAGE LEARNING INC TEXTBOOKS
CLASSROOM SUPPLIES $23,727.19
CHERYL K MUNKVOLD IN-DISTRICT MILEAGE $315.30
CHILD NUTRITION SERVICE FOOD PURCHASES
FOOD PURCHASES
OTHER SUPPLIES $7,058.69
CHILDREN’S CARE HOSP & SCHOOL PROFESSIONAL SERVICES
TUITION - OTHER INSTITUTN $49,503.75
CHILDREN’S HOME SOCIETY OF SD TUITION - OTHER INSTITUTN $10,129.14
CHRISTIAN PERI SWENSON PROFESSIONAL SERVICES $150.00
CHRISTINA RENEE SIEBER IN-DISTRICT MILEAGE $233.50
CINTAS CORPORATION OTHER SUPPLIES $1,774.74
CITY OF SIOUX FALLS GASOLINE AND OIL $8,120.18
CLEVELAND ELEMENTARY OTHER SUPPLIES
FOOD PURCHASES $2,162.62
CLUBHOUSE ATHLETIC OTHER SUPPLIES $553.56
COCA-COLA BOTTLING CO FOOD PURCHASES $577.00
COLE PAPERS INC EQUIPMENT REPAIR
OTHER SUPPLIES
WAREHOUSE INVENTORY $2,210.40
COLEMAN, BRAD PROFESSIONAL SERVICES $150.00
COLOURS, INC. SUPPLIES FOR RESALE $1,736.52
COLTON LUMBER COMPANY INC CLASSROOM SUPPLIES $17,695.25
COMBINED BUILDING SPECIALTIES INC BUILDING IMPROVEMENTS $7,185.00
CONTINENTAL PRESS INC CLASSROOM SUPPLIES $536.09
CORE-MARK US, LLC SUPPLIES FOR RESALE $7,491.03
CTE ACADEMY MISCELLANEOUS $31,813.49
CULLIGAN WATER CONDITIONING OTHER SUPPLIES $87.00
CYNTHIA JEANNE BREEN IN-DISTRICT MILEAGE $264.72
DACOTAH PAPER CO OTHER SUPPLIES
WAREHOUSE INVENTORY $20,231.27
DAKOTA AUTO PARTS SUPPLIES FOR RESALE
CLASSROOM SUPPLIES $143.04
DAKOTA FAITH WEISBECKER PROFESSIONAL SERVICES $75.00
DAKOTA SPLASH INC FOOD PURCHASES $1,685.00
DAKOTA SUPPLY GROUP BUILDING IMPROVEMENTS
CLASSROOM SUPPLIES $11,248.00
DAKOTALAND AUTOGLASS CLASSROOM SUPPLIES
SUPPLIES FOR RESALE
NEW GENERAL EQUIPMENT $14,521.27
DANIELLE LYNN BJORK IN-DISTRICT MILEAGE $134.27
DAVID A OSTERQUIST IN-DISTRICT MILEAGE $234.90
DEEANN MARIE KONRAD ADMIN OUT DIST TRAVEL
OTHER SUPPLIES $132.21
DELLS PLUMBING, INC PROFESSIONAL SERVICES $5,224.19
DESCHEPPER, CHRIS PROFESSIONAL SERVICES $270.00
DESIREE LYNN-BRUSSEAU HOKENESS IN-DISTRICT MILEAGE $49.38
DEVINE, KELLEY PROFESSIONAL SERVICES $100.00
DEVONNE LIN POWELL IN-DISTRICT MILEAGE $139.03
DISCOVERY ELEMENTARY DUES & FEES
OTHER SUPPLIES $748.40
DOBBINS, BRET S PROFESSIONAL SERVICES $153.39
DOCUSIGN, INC SOFTWARE SUPPORT $13,800.00
DOLLY LOUISE ANDERSON PROFESSIONAL SERVICES $50.00
DONALD LEE MALATERRE PROFESSIONAL SERVICES $180.00
DOUGLAS G WALLER SPENDING ACCOUNTS $2,040.00
DOUIYSSI, DIANE PROFESSIONAL SERVICES $585.00
DUANE E BOER PROFESSIONAL SERVICES $100.00
DUNN, DERRICK PROFESSIONAL SERVICES $90.00
EAST SIDE JERSEY DAIRY INC FOOD PURCHASES $31,042.39
EICH, DAVID PROFESSIONAL SERVICES $60.00
EIDE BAILLY LLP NEW GENERAL EQUIPMENT $15,270.00
EILEEN MARIE PRINCE PROFESSIONAL SERVICES $70.00
ELEVATE HEALTHCARE INC OTHER SUPPLIES $29,523.94
EMERGENT LEARNING PRESS TEXTBOOKS $315.00
ERIC MICHAEL PAGE PROFESSIONAL SERVICES $30.00
ESTR PUBLICATIONS LTD OTHER SUPPLIES $26.60
ETHERINGTON, RYAN PROFESSIONAL SERVICES $157.97
EVENSON, TRESSE PROFESSIONAL SERVICES $75.00
EXPRESS PRODUCE LLC FOOD PURCHASES $8,790.96
FALLS COMMUNITY DENTAL MEDICAL/DENTAL SERVICES $35.00
FENECIA LYNN HOMAN ADMIN OUT DIST TRAVEL $2,294.53
FITTERER, SAMANTHA PROFESSIONAL SERVICES $160.00
FLORES, MALIA PROFESSIONAL SERVICES $65.00
FLYBOY DONUTS FOOD PURCHASES $105.00
FOLLETT CONTENT SOLUTIONS LLC LIBRARY/REFERENCE BOOKS $2,366.81
FRANKLIN PLANNER CORP PROFESSIONAL SERVICES
ONLINE SUBSCRIPTIONS $9,625.00
FREDERIKSEN, MATTHEW PROFESSIONAL SERVICES $180.00
FUCHS, JENNIFER PROFESSIONAL SERVICES $145.16
G&R CONTROLS INC EQUIPMENT REPAIR $165.00
GAMBSKY, SIERRA PROFESSIONAL SERVICES $200.00
GARFIELD ELEMENTARY FIELD TRIPS
FOOD PURCHASES
OTHER SUPPLIES
DUES & FEES $2,623.14
GERLACH, ERIK PROFESSIONAL SERVICES $100.00
GILBERTSON, BONNIE PROFESSIONAL SERVICES $402.00
GIPPER MEDIA, INC SOFTWARE, VIDEOS, ETC. $2,500.00
GIRTON ADAMS COMPANY FOOD PURCHASES $61.20
GLATFELTER PUBLIC ENTITIES LIABILITY INS PREMIUMS $280.00
GLOBAL DISTRIBUTING INC FOOD PURCHASES $2,799.00
GOLF TEAM PRODUCTS INC OTHER SUPPLIES $782.00
GOLLESCH, KAY PROFESSIONAL SERVICES $114.00
GORDON, JEFF PROFESSIONAL SERVICES $2,150.00
GRACE ELLA WERNER OTHER SUPPLIES $171.52
GREAT LAKES SPORTS OTHER SUPPLIES $139.96
GREATER S.F. CHAMBER OF COMMERCE DUES & FEES $696.00
GUARANTEE ROOFING & SHEET METAL OF BUILDING IMPROVEMENTS $29,788.39
HAAK-CRAN, CARLITA PROFESSIONAL SERVICES $67.50
HABBEN, CRAIG PROFESSIONAL SERVICES $140.00
HALMA, AHVA PROFESSIONAL SERVICES $196.00
HALVERSON, EILEEN PROFESSIONAL SERVICES $621.00
HAND2MIND TEXTBOOKS (LOANED) $2,061.18
HANSEN, TAYLOR PROFESSIONAL SERVICES $160.00
HANSEN, TROY PROFESSIONAL SERVICES $155.90
HARRISBURG HIGH SCHOOL DIST MISCELLANEOUS $385,099.11
HARTZLER, AMY PROFESSIONAL SERVICES $262.50
HAYDEN NICOLAI FIALA CLASSIFIED OUT DIST TRAVL $50.00
HEARTLAND BUSINESS SYSTEMS NEW COMPUTER EQUIPMENT $137.93
HEARTLAND GLASS CO LLC OTHER SUPPLIES
BUILDING IMPROVEMENTS $985.27
HEIDI LYNNE JORGENSON PROFESSIONAL SERVICES $50.00
HENRY, JUSTIN PROFESSIONAL SERVICES $180.00
HERREMAN, JOSEPH PROFESSIONAL SERVICES $766.50
HIGH POINT NETWORKS LLC PROFESSIONAL SERVICES $230.00
HILLYARD OTHER SUPPLIES
WAREHOUSE INVENTORY
EQUIPMENT REPAIR $13,449.10
HILSENDEGER, TOM PROFESSIONAL SERVICES $1,573.00
HUFF CONSTRUCTION INC BUILDING IMPROVEMENTS $315,762.29
HUTCHINSON, RICHIE PROFESSIONAL SERVICES $150.00
HYVEE FOOD PURCHASES $58,231.00
HYVEE - MARION FOOD PURCHASES $10,630.00
I29 SPORTS/CFGEAR/CFPROMO REPLACEMENT GENERAL EQUIP
OTHER SUPPLIES $13,271.50
INNOVATIVE OFFICE SOLUTIONS LLC WAREHOUSE INVENTORY
OTHER SUPPLIES
SUPPLIES FOR RESALE
ADVERTISING
NEW GENERAL EQUIPMENT
EQUIPMENT REPAIR
REPLACEMENT FURNITURE $10,809.34
IS RESTAURANT DESIGN EQUIP & SUPPLY EQUIPMENT $8,079.48
ISI LLC INTERPRETER COSTS $4,230.00
ISTATE TRUCK CENTERS NEW GENERAL EQUIPMENT $28,500.00
J RIECK MUSIC EQUIPMENT REPAIR $1,000.00
J. H. LARSON ELECTRICAL CO. CLASSROOM SUPPLIES $153.19
JACOB AARON ANDERSON PROFESSIONAL SERVICES $180.00
JADUKE BACKDROPS EQUIPMENT RENTAL $425.00
JANET LORY MONLUX PROFESSIONAL SERVICES $100.00
JENNIFER DAWN CORNETT IN-DISTRICT MILEAGE $97.22
JENZABAR INC SOFTWARE SUPPORT $1,566.00
JILLIAN HURLEY THOMAS PROFESSIONAL SERVICES $50.00
JODIE LYNN DRIVER IN-DISTRICT MILEAGE $204.02
JOHNSON CONTROLS INC SOFTWARE SUPPORT $7,238.68
JOHNSON FEED, INC EQUIPMENT RENTAL $591.20
JOHNSON, DON PROFESSIONAL SERVICES $90.00
JOHNSTONE SUPPLY PROFESSIONAL SERVICES
CLASSROOM SUPPLIES $427.13
JOLENE KAY PENNING TEACHER OUT DIST TRAVEL $252.00
JONES, CHET PROFESSIONAL SERVICES $180.00
JORDAN RAE WERWINSKI IN-DISTRICT MILEAGE $44.09
JOSHUA M FREY PROFESSIONAL SERVICES $60.00
JULIE A ORTMAN PROFESSIONAL SERVICES $100.00
KAITLIN NICOLE HOLINKA UNCLASSIFIED EXPENSE $119.90
KARL’S APPLIANCE INC OTHER EQUIPMENT (NON-CAP) $2,192.93
KATELYNN ASHLEY DOOHEN IN-DISTRICT MILEAGE $112.76
KATHRYN TELSIE RICK CLASSROOM SUPPLIES $939.07
KAYLA ANNE SCOTT IN-DISTRICT MILEAGE $176.34
KAYLA MARIE HAKARI DUES & FEES $35.00
KEITH, RUSTY PROFESSIONAL SERVICES $154.55
KENDRA JANE SUNDALL TEACHER OUT DIST TRAVEL $204.00
KEPPEN, NANCY PROFESSIONAL SERVICES $150.00
KERI LYNN MEYER IN-DISTRICT MILEAGE $111.56
KEYGUARD ASSISTIVE TECHNOLOGY OTHER EQUIPMENT (NON-CAP) $97.95
KIMBERLY ANN SHARPING IN-DISTRICT MILEAGE $132.66
KIMBERLY JO POPPENGA-SMITH ADMIN OUT DIST TRAVEL $315.80
KIMBERLY LYNN KNIPS IN-DISTRICT MILEAGE $259.89
KLEINSCHMIT, JOE PROFESSIONAL SERVICES $150.00
KONE INC EQUIPMENT REPAIR $295.57
KRENZ, MICHELLE PROFESSIONAL SERVICES $150.00
KRIER, STEVE PROFESSIONAL SERVICES $150.00
KRISTA RAE PETERKA IN-DISTRICT MILEAGE $115.64
KRISTIN R S GRINAGER ADMIN OUT DIST TRAVEL $196.00
KRULL, COLIN PROFESSIONAL SERVICES $180.00
KRULL, KEVIN PROFESSIONAL SERVICES $170.96
KUSLER, JAY PROFESSIONAL SERVICES $150.00
L2 BRANDS LLC OTHER SUPPLIES $872.27
LAKESHORE LEARNING MATERIALS CLASSROOM SUPPLIES $512.85
LAMINATION KING LLC OTHER SUPPLIES $426.31
LARSEN, JAY PROFESSIONAL SERVICES $90.00
LAURA ANNE CRUSE TEACHER OUT DIST TRAVEL $1,238.78
LAURA ELIZABETH BIGGINS IN-DISTRICT MILEAGE $300.09
LEWIS DRUG OTHER SUPPLIES $500.76
LIFESCAPE PATHWAYS PROFESSIONAL SERVICES
TUITION - OTHER INSTITUTN $5,545.75
LINCOLN HIGH SCHOOL MISCELLANEOUS
PROFESSIONAL SERVICES $1,300.00
LINDE GAS & EQUIPMENT INC CLASSROOM SUPPLIES $600.22
LINDSEY MARIE JOHNSON IN-DISTRICT MILEAGE $145.46
LINTON-SLETTEDAHL, ABIGAIL PROFESSIONAL SERVICES $160.00
LISA ANN HOLTMAN IN-DISTRICT MILEAGE $246.96
LOUDENBACK, VALERIE PROFESSIONAL SERVICES $18.00
LOUNSBERY, AMBER PROFESSIONAL SERVICES $316.00
LUCK’S MUSIC LIBRARY CLASSROOM SUPPLIES $146.43
MADELYN CLAIRE WALSH OTHER SUPPLIES $47.69
MAHAFFY, PAIGE PROFESSIONAL SERVICES $160.00
MAISYN LYNN MEIGS IN-DISTRICT MILEAGE $151.42
MARA DAWN COLTER IN-DISTRICT MILEAGE $81.41
MARCO INC EQUIPMENT RENTAL
OTHER COMMUNICATION
SOFTWARE SUPPORT
OTHER SUPPLIES
REPLACEMENT COMPUTERS $67,357.25
MARIAN CAROLINE BECK IN-DISTRICT MILEAGE $197.25
MARIO CHIARELLO PROFESSIONAL SERVICES $50.00
MARISSA ANN SCHLUP DYK IN-DISTRICT MILEAGE $137.22
MARK E STRUCK PROFESSIONAL SERVICES $90.00
MARKLEY, SAMUEL PROFESSIONAL SERVICES $75.00
MARY LYNN GUSTAFSON IN-DISTRICT MILEAGE $139.36
MAU MAU MUSIC LLC OTHER SUPPLIES $74.00
MAUSBACH, LAURA PROFESSIONAL SERVICES $450.00
MAWDSLEY, SARAH PROFESSIONAL SERVICES $60.00
MCFARLAND, STEVEN L PROFESSIONAL SERVICES $475.00
MCGRATH, JOHN PROFESSIONAL SERVICES $150.00
MECHELS, THOMAS PROFESSIONAL SERVICES $150.00
MELANIE MICHELE ERICKSON OTHER SUPPLIES $30.00
MELISSA JO PITZ IN-DISTRICT MILEAGE $181.44
MENARDS CLASSROOM SUPPLIES $870.37
MEYERS, BETSY PROFESSIONAL SERVICES $70.00
MICHAEL D MORTLAND CLASSIFIED OUT DIST TRAVL $570.60
MID STATES AUDIO & VIDEO INC NEW GENERAL EQUIPMENT
EQUIPMENT REPAIR $9,285.40
MIDCONTINENT COMMUNICATIONS TELEPHONE $4,496.31
MIDWEST BOILER REPAIR INC EQUIPMENT REPAIR $459.18
MILES OLIVER BUEHNER IN-DISTRICT MILEAGE $75.51
MINITEX - CPP NEW GENERAL EQUIPMENT $418.00
MINNEHAHA COMMUNITY WATER CORP WATER AND SEWER $171.00
MINNEHAHA COUNTY PROFESSIONAL SERVICES $125.00
MIRANDA ANN ZERR IN-DISTRICT MILEAGE $78.64
MIZE, KATRINA PROFESSIONAL SERVICES $70.00
MOEN, APRIL PROFESSIONAL SERVICES $75.00
MOFFETT, CLAIRE PROFESSIONAL SERVICES $65.00
MONARCH SALES OTHER SUPPLIES $2,632.00
MOOY, JOCELYN PROFESSIONAL SERVICES $160.00
MORGAN ANN HANSEN PROFESSIONAL SERVICES $200.00
MRG HAUFF, LLC REPLACEMENT GENERAL EQUIP
CLASSROOM SUPPLIES
OTHER SUPPLIES
NEW GENERAL EQUIPMENT $25,508.41
MWI ANIMAL HEALTH CLASSROOM SUPPLIES $900.00
NASCO EDUCATION CLASSROOM SUPPLIES $111.84
NATHAN LEVOR MALCHOW PRINCIPAL OUT DIST TRAVEL $111.82
NATL ART & SCHOOL SUPPLIES WAREHOUSE INVENTORY $242.00
NELSON, DARREN PROFESSIONAL SERVICES $150.00
NELSON, GENE PROFESSIONAL SERVICES $180.00
NICOLE DEE SCHILMOELLER TEACHER OUT DIST TRAVEL $14.00
NICOLE MARIE LANNING IN-DISTRICT MILEAGE $100.30
NIKKI ELISA NYHAUG IN-DISTRICT MILEAGE $73.43
NORTH CENTRAL INTERNATIONAL LLC REPAIR OF CARS AND TRUCKS $2,527.23
NYBERGS ACE HARDWARE UPKEEP OF GRNDS SUPPLIES
OTHER EQUIPMENT (NON-CAP) $7,629.76
ODP BUSINESS SOLUTIONS, LLC WAREHOUSE INVENTORY $249.00
OHME, DEREK PROFESSIONAL SERVICES $150.00
ORTMAN, PAUL PROFESSIONAL SERVICES $270.00
OSCAR HOWE ELEMENTARY SCHOOL OTHER SUPPLIES
FIELD TRIPS $498.78
PAIGE KATHRYN LANGE IN-DISTRICT MILEAGE $192.42
PEARSON INC CLASSROOM SUPPLIES $998.56
PENISTEN, TOM PROFESSIONAL SERVICES $150.00
PEPSI COLA COMPANY FOOD PURCHASES
SUPPLIES FOR RESALE $5,284.27
PERFORMANCE FOODSERVICE FOOD PURCHASES $308,254.12
PETERSON, ROSS PROFESSIONAL SERVICES $220.84
PFITZER, TAREN PROFESSIONAL SERVICES $75.00
PHEASANTLAND INDUSTRIES REPLACEMENT GENERAL EQUIP $480.18
PIERSON, DEAN PROFESSIONAL SERVICES $100.00
PIERSON, DON PROFESSIONAL SERVICES $60.00
PIERSON, ROD PROFESSIONAL SERVICES $150.00
PILAZ, SANDRINE PROFESSIONAL SERVICES $385.00
POPPLERS MUSIC STORE INC CLASSROOM SUPPLIES
EQUIPMENT REPAIR
OTHER SUPPLIES $4,367.44
PRESTON E KOOIMA PROFESSIONAL SERVICES $50.00
PRO ED INC CLASSROOM SUPPLIES $211.20
PRO GARAGE DOORS EQUIPMENT REPAIR $183.16
PYRAMID SCHOOL PRODUCTS WAREHOUSE INVENTORY
CLASSROOM SUPPLIES
OTHER SUPPLIES
NEW GENERAL EQUIPMENT $1,441.80
QBS LLC PROFESSIONAL SERVICES $799.00
QUALIFIED PRESORT SERV LLC POSTAGE $12,062.85
QUILL CORPORATION CLASSROOM SUPPLIES $483.09
R & L SUPPLY LTD BUILDING IMPROVEMENTS $2,425.51
R.F. PETTIGREW ELEMENTARY OTHER SUPPLIES
FOOD PURCHASES
FIELD TRIPS $1,560.33
RACHEL LYNN NELSON COURT IN-DISTRICT MILEAGE $290.23
RACHEL SHOSHANNA-ALICE BOZONIE IN-DISTRICT MILEAGE $119.06
RANDALL STANLEY ARCHITECTS, INC. PROFESSIONAL SERVICES $2,522.25
RANGEL, MADISON PROFESSIONAL SERVICES $65.00
REBECCA JEAN WHITLOCK IN-DISTRICT MILEAGE $154.70
REDSAGE LLC PROFESSIONAL SERVICES $424.00
REKER, ANTHONY PROFESSIONAL SERVICES $60.00
REPLICA CANVAS LLC OTHER SUPPLIES $1,885.00
RICKE, JACOB PROFESSIONAL SERVICES $90.00
RILEY JO ALTMAN CLASSIFIED OUT DIST TRAVL $1,347.33
RISWOLD, STEVE PROFESSIONAL SERVICES $100.00
RIVER CITIES PUBLIC TRANSIT S. F. TRANSIT PAYMENTS $25,394.55
RIVERSIDE TECHNOLOGIES INC EQUIP REPAIR SUPPLIES
EQUIPMENT REPAIR
OTHER EQUIPMENT (NON-CAP) $1,856.19
ROBERT H DRAEGER FOOD PURCHASES $26.54
ROBERT SKYEAGLE JOHNSON IN-DISTRICT MILEAGE $129.65
ROCHESTER 100 INC OTHER SUPPLIES $1,560.00
ROLL’N PIN INC FOOD PURCHASES $1,147.02
ROTO-ROOTER OTHER PROPERTY SERVICES $200.00
RUDA, STEVEN PROFESSIONAL SERVICES $100.00
S & S WORLDWIDE CLASSROOM SUPPLIES $11.01
S.D. ASSOC. FOR LIFELONG LEARNING DUES & FEES $160.00
S.D. DEPT OF HUMAN SERVICES TUITION - OTHER INSTITUTN $13,435.56
S.D. DEPT OF PUBLIC SAFETY OTHER REPAIR & MAINT $476.00
S.D. READY MIX CONCRETE ASSOC TEXTBOOKS $50.00
S.D. STATE UNIVERSITY DUES & FEES $200.00
S.F. FORD REPAIR OF CARS AND TRUCKS $79.43
SAFETY KLEEN INC OTHER PROPERTY SERVICES $232.79
SAMANTHA LEE BONN IN-DISTRICT MILEAGE $147.80
SAMP, JACOB PROFESSIONAL SERVICES $440.00
SANFORD HEALTH CLI DUES & FEES $24.00
SANITATION PRODUCTS INC EQUIPMENT REPAIR $200.00
SARAH RAE DEHAAI TEACHER OUT DIST TRAVEL $233.16
SCHIEFEN, DAVID PROFESSIONAL SERVICES $271.74
SCHMITT MUSIC EQUIPMENT REPAIR $23.55
SCHMITT, ROBERT PROFESSIONAL SERVICES $350.00
SCHNEIDER, CATHY PROFESSIONAL SERVICES $2,781.50
SCHOLASTIC PERIODICALS & SUBSCRIPTNS
CLASSROOM SUPPLIES
OTHER SUPPLIES
LIBRARY/REFERENCE BOOKS $2,866.58
SCHOLASTIC EDUCATION CLASSROOM SUPPLIES $7,767.25
SCHOLASTIC MAGAZINES PERIODICALS & SUBSCRIPTNS $137.50
SCHOOL BUS INC BUS AIDES
EXPRESS SHUTTLE
BUS TRANSPORTATION
DISTRICT-FUNDED TRAVEL
BUILDING IMPROVEMENTS
FIELD TRIPS
OTHER TRANSPORTATION $1,282,186.85
SCHOOL HEALTH CORPORATION NEW GENERAL EQUIPMENT
OTHER SUPPLIES $1,113.61
SCHOOL SPECIALTY LLC WAREHOUSE INVENTORY
OTHER SUPPLIES
CLASSROOM SUPPLIES $2,064.19
SCHRODER, PEYTON PROFESSIONAL SERVICES $90.00
SCOTT W DORMAN CLASSIFIED OUT DIST TRAVL $785.24
SD AERIAL & ARTS LLC PROFESSIONAL SERVICES $248.00
SEEFELDT, SUMMER PROFESSIONAL SERVICES $100.00
SEITZ, JASON PROFESSIONAL SERVICES $60.00
SF WESTERN CENTER, LLC LAND & BUILDING RENTAL $6,769.49
SHEENA MARIE WATKINS IN-DISTRICT MILEAGE $523.81
SHELBY LYNN REYNOLDSON PROFESSIONAL SERVICES $70.00
SIOUX FALLS THERAPEUTIC MASSAGE PROFESSIONAL SERVICES $1,800.00
SIOUX MERCHANT PATROL INC PROFESSIONAL SERVICES $7,935.00
SIOUXLAND WOODTURNERS PROFESSIONAL SERVICES $475.00
SISK, MATT PROFESSIONAL SERVICES $400.00
SISSON PRINTING INC PRINTING $268.70
SOCIAL CLUB SIMPLE LLC PROFESSIONAL SERVICES $100.00
SOUL SANCTUARY LLC PROFESSIONAL SERVICES $292.50
SOUTHEAST TECH MISCELLANEOUS
FOOD PURCHASES $48,840.75
SPECSEATS INTL CORP OTHER EQUIPMENT (NON-CAP) $240.00
SPELLMEYER, PATRICK D PROFESSIONAL SERVICES $120.00
SPERLICH, DUSTIN PROFESSIONAL SERVICES $60.00
SQUIRRELS LLC DUES & FEES $67.62
STAGE ACCENTS OTHER EQUIPMENT (NON-CAP) $451.26
STANGA CONSTRUCTION, LLC BUILDING IMPROVEMENTS $13,730.58
STARTUP SIOUX FALLS LAND & BUILDING RENTAL $18,750.00
STATE BAR OF SOUTH DAKOTA DUES & FEES $540.00
STATE STEEL OF SOUTH DAKOTA CLASSROOM SUPPLIES $3,526.74
STEVEN FRANCIS ONDRUSH PROFESSIONAL SERVICES $90.00
STOCKLIN, RAKIYA PROFESSIONAL SERVICES $135.00
STOCKWELL ENGINEERS INC PROFESSIONAL SERVICES $14,585.00
STURDEVANT’S AUTO PARTS CORP CLASSROOM SUPPLIES $507.56
STURDEVANT’S REFINISH SUPPLY CENTER CLASSROOM SUPPLIES
SUPPLIES FOR RESALE $2,297.41
SUBARU OF SIOUX FALLS SUPPLIES FOR RESALE $24.92
SUNNY’S PIZZERIA FIELD TRIPS $50.00
SWEETWATER SOUND LLC OTHER EQUIPMENT (NON-CAP)
NEW GENERAL EQUIPMENT $1,708.96
SWIFT, AIDAN PROFESSIONAL SERVICES $60.00
SYDNEY FAYE DUNCAN CLASSROOM SUPPLIES $47.92
T & A SERVICE SUPPLY INC REPAIR OF CARS AND TRUCKS
FOOD SVC SMALL EQUIP $2,736.71
TAMMY JO SWEETER IN-DISTRICT MILEAGE $84.42
TARRAH JO OLSON IN-DISTRICT MILEAGE $110.95
TAYLOR MUSIC INC CLASSROOM SUPPLIES $217.00
TERRY A HELGET PROFESSIONAL SERVICES $90.00
TERRY LYNNE DEMARS IN-DISTRICT MILEAGE $324.35
TESSA RAE KNOWLER PROFESSIONAL SERVICES $70.00
TETZLAFF, ANDREW PROFESSIONAL SERVICES $180.00
TEXAS BOOK COMPANY USED BOOKS FOR RESALE $119.00
THE AUTISM HELPER, INC ONLINE SUBSCRIPTIONS $649.00
THE DAKOTA SCOUT LLC PUBLISHING $2,819.42
TIM L RECK SOFTWARE, VIDEOS, ETC. $115.76
TRACI LEA ROEMEN IN-DISTRICT MILEAGE $520.86
TRANE COMPANY OTHER SUPPLIES $6,185.86
TRAVERS, MARIA PROFESSIONAL SERVICES $227.50
TRI-STATE HOOD CLEANING EQUIPMENT REPAIR $1,100.00
TRU MASSAGE THERAPY PROFESSIONAL SERVICES $1,757.50
TWO WAY SOLUTIONS INC PROFESSIONAL SERVICES $105.00
ULINE CLASSROOM SUPPLIES
TEXTBOOKS
NEW GENERAL EQUIPMENT $1,458.56
UNIV OF SIOUX FALLS PROFESSIONAL SERVICES $800.00
VALERIE ROSE ANDERSON IN-DISTRICT MILEAGE $56.60
PROFESSIONAL SERVICES
VANBEEK, ALLEN PROFESSIONAL SERVICES $180.00
VANDEBERG, AARON PROFESSIONAL SERVICES $150.00
VANDRONGELEN, MIKE PROFESSIONAL SERVICES $180.00
VENTRIS LEARNING LLC TEXTBOOKS (LOANED) $90.00
VICTORIA LYNN VETTER PROFESSIONAL SERVICES $18.00
VINCENT P COLFORD TEACHER OUT DIST TRAVEL $198.00
VIS, JANELLE PROFESSIONAL SERVICES $109.90
VOELKER, CASEY PROFESSIONAL SERVICES $150.00
WALKER, LUCY PROFESSIONAL SERVICES $75.00
WARD’S NATURAL SCIENCE ESTABLISHMEN CLASSROOM SUPPLIES $2,179.59
WASHINGTON HIGH SCHOOL ADVERTISING $2,000.00
WASHINGTON PAVILION MANAGEMENT INC FIELD TRIPS $47.05
WEAVER, MIKE E PROFESSIONAL SERVICES $8,098.00
WEBER, HEATH PROFESSIONAL SERVICES $235.00
WEED, KIM PROFESSIONAL SERVICES $300.00
WEISSMAN DESIGNS FOR DANCE OTHER SUPPLIES $406.67
WENGER CORPORATION NEW GENERAL EQUIPMENT $608.00
WHETHAM, BRIAN PROFESSIONAL SERVICES $179.33
WIEBENGA, STEVE PROFESSIONAL SERVICES $90.00
WILLIAM H SADLIER INC TEXTBOOKS (LOANED) $1,909.64
WILLOW RUN GOLF MANAGEMENT CO OTHER SUPPLIES $1,200.00
WOODRIVER ENERGY LLC HEAT FOR BLDGS $5,708.00
WW GRAINGER INC NEW GENERAL EQUIPMENT $384.65
XCEL ENERGY ELECTRICITY $235,250.48
YOUNG, BRIAN PROFESSIONAL SERVICES $150.00
$5,057,481.82
B. Acknowledging the administration’s report of the study of bids which have been received during the prior 30 days and were opened, read, and tabulated in the Central Services Center—Purchasing Department and approving the bids of the lowest responsible bidders in accordance with the tabulated lists of contract awards that have been placed on file for reference purposes, as follows:
1. Rejecting all bids for Box Truck the specifications will be revised and the equipment will be rebid at a later date (see PD#3514; FY26 Legal Publication #26; and MRF #19823), and upon execution, the contract(s) will be entered into and executed for, and on behalf of the District by the Business Manager and the President of the School Board, and thereupon, the bid security, if any, now on deposit with the Purchasing Supervisor of the District, be surrendered, all in accordance with Policy/Regulation DJ.
2. C. Authorizations and Ratifications
C1. Donations
Adopting a resolution, as follows:
RESOLUTION
WHEREAS, gifts have been presented to the Sioux Falls School District 49-5 of Minnehaha County, South Dakota, and the School Board hereby accepts the gifts (see MRF # 19824 for listing of gifts) and;
BE IT RESOLVED, that said gifts shall become the property of the Sioux Falls School District, all in accordance with Policy KCD.
C2. Disposal of School District Property
Authorizing the disposal of surplus property by distributing to children or giving to a nonprofit benevolent organization for their use and/or disposal, to sell at private sale, public auction, or sealed bids or to dispose of, in accordance with SDCL §6-13-1, as follows:
Item No. Description Location Appraisers Appraised Value Property File No.
a. 16 Lunch Trays, 4
Sheet pans, 1
Menu Board, 3 Misc.
Cambro Items Edison Middle
School Sally Sale
Marlys Lindner
Nathan Lauer $0 2025-160
b. 1 Small Freezer Laura B. Anderson
Elementary
School Liane Effinger
Kandy Bauder
Wade Helleson $0 2025-161
c. 1 DeWalt Sander,
1 Rockwell Drill
Press Lincoln High
School Christian Swenson
Mike Semmler
Danyelle Brown $0 2025-162
d. 30 Football
Helmets Ben Reifel.
Middle School Peter Egstad
Harpreet Jones
Aaron Jensen $0 2025-163
e. 39 Wooden Chairs Lincoln High
School Janet Kolb
Rebecca Mager
Regan Meyer $0 2025-164
f. 1 Samsung Fax
Machine John Harris
Elementary
School Victor Ramirez
Kristi Weiland
Bryan Conner $0 2025-165
g. 20 T1-Nspire
Calculators IPC Heidi Kruse
Maranda Shibley
Renee Mills $0 2025-166
C3. Approval of Purchase Orders
Authorizing the Business Manager to issue Purchase Order(s) requiring additional approval of the School Board in accordance with Action 39790.C21, adopted 7/14/25, as follows:
P O No. Vendor Description Total Cost
a. S2602597-S2602598
Midwest Alarms Cameras & Recorders for Operational Services $143,958.09
C4. Approval of Contracts
Authorizing the President and Business Manager to enter into and execute contracts, for and on behalf of the District, as follows:
CONTRACT NUMBER CONTRACTOR PROJECT COST
a. 25-076 Stockwell Engineers, Inc. Axtell Park Middles School Parking Lot Repairs See Contract
C5. Acceptance of Contracts
Accepting construction projects, by the Sioux Falls School District 49-5, 201 E. 38th Street, Sioux Falls, SD 57105, as complete, as follows:
CONTRACT
NUMBER
CONTRACTOR
PROJECT
a. 25-025 Stanga Construction Laura B. Anderson Loading Dock Renovation
D. Accepting the Business Manager’s Reports of September, 2025 in accordance with SDCL §13-8-35 (see MRF #19825) and directing that detailed statement of receipts and balances on hand, as of September 2025, be published as part of these minutes, in accordance with SDCL §13-8-3 and further accepting the report of Advance Payment – Business Office Account for the period 9-1-2025 through 9-30-2025.
E. Approving financial transactions (see MRF #19826 on file in the Finance Office for reference purposes).
E. Accepting the K-12 Personnel Report, as follows:
May the minutes show that with deep sorrow we record the death of Stana Erakovic. We are grieving over her death and the loss the Sioux Falls School District has sustained. To her family, we offer our deepest sympathy. Stana Erakovic had been a Child Nutrition Substitute.
E1. RESIGNATIONS. Accepting the resignation of School District Personnel as of the effective date indicated, the personnel having been previously employed by Board Action, as follows:
Name Location/Position Effective Date
Specialist
Beaver, Rachel C Campus/Community Facilitator 11/21/25
Pham, Johnny Hawthorne/ECH Behavioral Facilitator 10/30/25
Saugstad, Allan C Campus/Community Facilitator 10/28/25
Clerical
Schilling, Samantha LHS/Activities 11/13/25
Custodian
Hogan, Adam LHS/High School 10/23/25
Walters, Clinton Purchasing/Truck Driver 12/23/25
Hourly Employment Contract
Satibanchong, August WMS/ISS Coordinator 05/22/25
Education Support Professional
Amending Action 39836.E adopted on October 14, 2025, as pertains to Brook Rowe by deleting the resignation date of October 24, 2025, from the “resignation” section (WMS/Library Clerical) and inserting the correct resignation date of October 3, 2025.
Hankle, Cassandra H Dunn/Special Ed 10/31/25
Holland, Cassondra SBA/Library 09/22/25
Hubert, Danielle Axtell/SpEd-Behavior 11/05/25
Kelly, Kaitlyn S Sotomayor/Special Ed 08/14/25
Narez-Gutierrez, Angelica R Parks/Special Ed 10/21/25
Olson, Natalie*** Hayward/Special Ed 01/09/26
Rager, Victoria PHMS/Special Ed 10/29/25
Stocker, Katherine PHMS/SpEd-Rise 12/19/25
Child Nutrition
Hiatt, Richard* CNS/General Worker 05/21/26
Magar, Dil WHS/General Worker 09/05/25
Community Learning Center
Bartscher, Marjorie D Wide/Youth Dev. Specialist 10/23/25
Rager, Victoria S Sotomayor/Youth Dev. Specialist 10/29/25
*Retirement
***Retirement, Health Benefits Only
Extra Duty/Extra Pay
Burggraaf, Desiree BRMS/Team Lead 10/31/25
Taylor, Jennifer BRMS/Yearbook Adv. 11/07/25
Substitute Teacher
Decker, Denver District Wide 10/17/25
Halseth, Jeff District Wide 10/22/25
Knight, Tyler District Wide 05/08/25
Gebauer, Jill District Wide 04/23/24
*Retirement
***Retirement, Health Benefits Only
E2. TERMINATION
Name Location/Position Effective Date
Education Support Professional
Kasperson, Chasidy A Sullivan/Special Ed 10/22/25
E3. CHANGE OF STATUS
Name Delete Add
Teacher
Anderson, Alyssa EMS/Social Studies
$60,609.00 EMS/Social Studies
$63,033.00
Eff. 08/14/25
Haverhals, Margaret D Wide/Substitute
Teacher
$160.00/day E Field A+/SFEA
4th Grade
FTE 1.0
$46,533.15
Eff. 10/29/25
Skroch, Rebecca O Howe/Specialist
IEP Facilitator
FTE .50
$23.48/hr O Howe/SFEA
Special Ed
FTE 1.0
$37,406.83
Eff. 11/03/25
Employment Contract
Todorovic, Romana Axtell/Clerical
Community Engagement
$18.42/hr RHS/EMPC
School Home Liaison
$32,640.96
Eff. 10/27/25
Specialist
Jongejeugd, Bailey D Wide/Substitute
Teacher
$160.00/day BRMS/Specialist
Implementation
FTE 1.0
$28.89/hr
Eff. 10/27/25
Taylor, Jennifer BRMS/Clerical
Lead
FTE .50
$28.45/hr
FTE .50
$25.51/hr Purchasing/Specialist
Transportation
FTE 1.0
$30.15/hr
Eff. 11/10/25
Clerical
Aleman, Georgina WMS/10 Month
Front Desk
FTE 1.0
$20.67/hr WMS/12 Month
Lead
FTE .50
$26.27/hr
FTE .50
$23.48/hr
Eff. 10/30/25
Education Support Professional
Belliveau, Caitlynn D Wide/Substitute
Teacher
$160.00/day Axtell/ESP
SpEd-Behavior
FTE .875
$20.12/hr
Eff. 11/06/25
Christensen, Grace D Wide/Substitute
Teacher
$160.00/day O Howe/ESP
Special Ed
FTE .875
$18.12/hr
Eff. 10/27/25
Crabtree, Nicole L Wilder/Special Ed
$18.12/hr L Wilder/SpEd-Rise
$20.12/hr
Eff. 11/03/25
Education Support Professional
Neilan, Joan D Wide/Substitute
ESP
$18.12/hr LBA/ESP
Special Ed
FTE .71875
$18.12/hr
Eff. 10/27/25
Van Voorst, Kate D Wide/Substitute
Teacher
$160.00/day Hayward/ESP
Special Ed
FTE .875
$18.12/hr
Eff. 10/28/25
E4. EMPLOYMENT RECOMMENDATIONS
Name Location/Position Effective Date Actual Pay
Clerical, per hour
Bruneau, Emily LHS/Receptionist 10/23/25 $18.22
Education Support Specialist, per hour
Beesley, Alyssa A Sullivan/ECH 11/03/25 $18.12
Goeman, Alexis SBA/Library 11/03/25 18.12
Ishmael, Kamala M LeBeau/SpEd-Rise 10/30/25 20.12
Lucero-Valencia, Mariana Hayward/Over-enrollment 11/12/25 18.12
Miedema, Aubrey R Parks/Special Ed 10/30/25 18.12
Odegard, Maci A Sullivan/ECH 10/29/25 18.12
Powell, Paris MMS/SpEd-Rise 10/30/25 20.12
Child Nutrition, per hour
Bell, Theresa MMS/General Worker 11/03/25 $17.46
Bruns, Becky RHS/General Worker 11/03/25 17.46
O’Loughlen, William BRMS/General Worker 11/10/25 17.46
Sanovia, Crystal RHS/General Worker 11/03/25 17.46
Extra Duty/Extra Pay, lump sum
Birnbaum, Madison LHS/Freshman Girls Baskeball 12/01/25 $4,056.00
Bonin, Maddisan PHMS/Girls Wrestling 11/01/25 2,002.00
Bonin, Maddisan PHMS/Asst. Track 04/01/26 1,929.00
Bullion, Kade PHMS/Track 04/01/26 2,002.00
Goebel, Aliza BRMS/Yearbook Adv. 11/10/25 830.31
Stroschein, Grace WHS/Asst Gymnastics 11/01/25 4,192.00
Wells, Todd MMS/Boys Wrestling 11/01/25 2,002.00
Substitute Teacher, $120.00 per day
Vanderhule, Chase LHS 10/22/25
Substitute Teacher, $160.00 per day
Anderson, Chelsie D Wide 10/22/25
Basila, Dilan D Wide 10/29/25
Bauerle, Richard D Wide 10/29/25
Breck, Tyler D Wide 10/22/25
Colon, Naomi D Wide 10/22/25
Dahlen, Carli D Wide 10/29/25
Einrem, Kerrin D Wide 10/22/25
Farnsworth, Christopher D Wide 10/22/25
Flaten, Rachel D Wide 10/22/25
Frederick, John D Wide 10/29/25
Fritz, Krystal D Wide 10/22/25
Gonzalez, Jendy D Wide 10/22/25
Goodall, Ashlyn D Wide 10/22/25
Gough, Jordan Kayleen D Wide 10/22/25
Gran, Jill D Wide 10/29/25
Hagen, Nisha D Wide 10/29/25
Hanson-Essem, Kennedy D Wide 10/22/25
Hartland, Kaitlyn D Wide 10/22/25
Hoogendoorn, Ferrah D Wide 10/29/25
Kelly, Joseph D Wide 10/29/25
Knutson, Elizabeth D Wide 10/22/25
Kuhlman, Blair D Wide 10/22/25
Lee, Rachelle D Wide 10/29/25
Lemme, Olivia D Wide 10/22/25
Limesand, Ryan D Wide 10/29/25
Morales-Weatherford, Laura D Wide 10/22/25
Olofson, Miles D Wide 10/29/25
Ortiz Martinez, Yessenia D Wide 10/29/25
Outland, Megan D Wide 10/29/25
Pennington, Ryan D Wide 10/29/25
Pepper, Michelle D Wide 10/29/25
Pfitzer, Taren D Wide 10/22/25
Rehurek, Beth D Wide 10/22/25
Richards, Alec D Wide 10/22/25
Rodgers, Debra D Wide 10/22/25
Ross, Hannah D Wide 10/29/25
Ryan, Robert D Wide 10/22/25
Sinkie, Taryn D Wide 10/29/25
Smith, Kayla D Wide 10/22/25
Taphorn, Kristine D Wide 10/29/25
Tilk, Jonathan D Wide 10/29/25
VanHollan, Anna D Wide 10/29/25
Waltjer, Kaitlyn D Wide 10/22/25
Wigg, Katie D Wide 10/29/25
Williams, Angela D Wide 10/29/25
Substitute Education Support Professional, per hour
Buskohl, Bailey D Wide 10/22/25 $17.85
Harris, Heather D Wide 10/22/25 17.85
Harris, Maycee D Wide 10/22/25 17.85
Education Support Professional Sign on Bonus, lump sum
Bass, Montgomery L Wilder 10/31/25 $1,000.00
Blando, Haley R Parks 10/31/25 1,000.00
Ewing, Amelia Bridge H Mann 10/31/25 1,000.00
Goetsch, Lynn M LeBeau 10/31/25 1,000.00
Horvath, Adrien H Dunn 10/31/25 1,000.00
Htoo, Say MMS 10/31/25 1,000.00
Janis, Jaylyn M LeBeau 10/31/25 1,000.00
Jordan, Traniya L Wilder 10/31/25 1,000.00
Kanzenbach, Elizabeth R Parks 10/31/25 1,000.00
Kaur, Simranjeet BRMS 10/31/25 1,000.00
Kilpatrick, Alexis Lowell 10/31/25 1,000.00
Mahlum, Brayden Hawthorne 10/31/25 1,000.00
Piepho, Erich Axtell 10/31/25 1,000.00
Rager, Victoria PHMS 10/31/25 1,000.00
Richard, Lauryn Hawthorne 10/31/25 1,000.00
Sewell, Christineann Hawthorne 10/31/25 1,000.00
Soto, Haleah R Frost 10/31/25 1,000.00
Zobel, Amy BRMS 10/31/25 1,000.00
Community Learning Center CPR Training, lump sum
Arnett, Rebecca 10/13/25 $30.00
Boltjes, Cynthia 10/13/25 30.00
Cole, Anna 10/13/25 20.00
De-Guzman, Allan 10/14/25 25.00
Erickson, Lisa 10/13/25 30.00
Espinosa-Gonzalez, Yaira 10/14/25 25.00
Henrikson-Thoelke, Jacqueline 10/13/25 30.00
Johnson, Mirna 10/13/25 30.00
Karras, Donna 10/13/25 30.00
Kenobbie, Lacy 10/13/25 30.00
Kinderman, William 10/14/25 25.00
Lockrem, Thomas 10/13/25 30.00
Nemmers, Christina 10/13/25 30.00
Odland, Pam 10/14/25 25.00
Olson, Shelly 10/13/25 30.00
Post, Jenny 10/13/25 30.00
Rodig, Rene 10/13/25 30.00
Simmons, Patricia 08/04/25 75.00
Stapp, James 10/13/25 30.00
Community Education, lump sum
Hernane, Jame Instructor 10/20/25 $62.50
Peterson, Neil Instructor 10/20/25 100.00
Saugstad, Allan Instructor 10/20/25 350.00
Thomason, Lynn Instructor 10/20/25 50.00
Difference Between ESP Salary and Long-Term Substitute Pay, lump sum
Galer, Heidi ESP 09/07/25 $887.73
Drivers Education, lump sum
Brenner, Randall Instructor 10/20/25 $406.00
Davoux, Devon Instructor 10/20/25 1,392.00
Gunner, David Instructor 10/20/25 1,798.00
Jastram, Thomas Instructor 10/20/25 696.00
Ortega, Carol Instructor 10/20/25 2,088.00
Trett, James Instructor 10/20/25 449.50
Tvedt, Levi Instructor 10/20/25 1,044.00
Vroman, Robert Instructor 10/20/25 1,044.00
Wachal, Grady Instructor 10/20/25 348.00
Wiebers, Dawn Instructor 10/20/25 348.00
Howard Wood Field Sioux Falls Marathon Management, lump sum
Meile, Casey Manager 09/21/25 $1,060.54
JHS October Marching Band, lump sum
Christensen, Aidan Instructor 07/28/25 $500.00
Foster, Jaycie Instructor 07/14/25 500.00
Moe, Kristian Instructor 08/24/25 500.00
Momotic, Valeska Instructor 07/14/25 500.00
Peters, Isaiah Instructor 08/20/25 350.00
LHS October Band, lump sum
Hadley, Julie Instructor 10/01/25 $7,500.00
LHS Cross Country Coach, lump sum
Lindner, Tiegen Coach 08/01/25 $1,000.00
LHS Dance Coach, lump sum
Wornson, Ava Coach 08/04/25 $600.00
LHS Football Coach, lump sum
Fitzgerald, Jeffrey Coach 08/01/25 $1,600.00
Kropuenske, Lane Coach 08/01/25 1,600.00
Leno, Vincent Coach 08/01/25 1,600.00
Porter, Kristian Coach 08/01/25 1,600.00
Smith, Joshua Coach 08/01/25 1,300.00
RHS Summer Band, lump sum
Candela, Jennifer Instructor 07/16/25 $750.00
Subbing for Specialist Level PX, lump sum
Heinemann, Mackenzie Axtell/Specialist 09/08/25 $1,962.80
WHS Homecoming Chaperone, lump sum
Heyd, Justin Chaperone 10/03/25 $80.00
Kippley, Wade Chaperone 10/03/25 80.00
Nichols, Kari Chaperone 10/03/25 80.00
Nieuwsma, Jamie Chaperone 10/03/25 80.00
Strom, Reed Chaperone 10/03/25 80.00
E5. VOLUNTEERS
See MRF # 19827
Adoption of Resolution of Sublease Agreement for Southeast Technical College was tabled for a later approval date during the approval of the agenda.
Action 39851
Dr. Kirk Zeeck, Assistant Superintendent, presented Sioux Falls School District Academic report as follows (MRF #19828):
The Sioux Falls School District (SFSD) is dedicated to maximizing student success and uses a range of assessments to measure student achievement. In addition to assessment data, the SFSD monitors attendance, graduation rates, and growth over time.
The data collected through these various assessments reflect positive results. On-time graduation rates outpaced the state and increased by three percentage points to 89%, the highest in the past nine years.
Eight hundred eighteen students from the SFSD (50% of the 2025 graduating class) took the ACT Exam. The SFSD average composite score was 22.5, up from 22.0, and the SFSD continues to outpace both the state and national averages.
The combined College Career and Readiness indicator remained steady at 52%. Achievement scores collected through the South Dakota Assessment were steady, with English Language Arts remaining flat, math increasing by 1%, and science decreasing by 1%. However, student growth in both ELA and math increased by 3% over the prior year and continued its upward trend.
Students learning English as a second language are making steady progress, with 31% either exiting the EL program or on track to exit.
Attendance, which has been a focus of the SFSD, increased by one-half percentage point.
A motion was made by Elizabeth Duffy and seconded by Dawn Marie Johnson four (4) votes “yes” on roll call acknowledging the Sioux Falls School District Academic report.
Action 39852
Kristin Grinager, High School Curriculum Coordinator, presented AP and Dual Credit report as follows (MRF #19829):
The Sioux Falls School District (SFSD) continues to demonstrate strong academic achievement through its Advanced Placement (AP) and Dual Credit programs, which provide rigorous, college-level learning opportunities for high school students.
In the 2024-25 school year, 1,989 students took 3,577 AP exams, more than half (55%) of all exams taken statewide. The SFSD students achieved an impressive 80% pass rate of three or higher, surpassing both the state (74%) and global (69%) averages. The District offered more than 30 AP courses, allowing students to explore a wide range of academic subjects at an advanced level. To help make those courses accessible, the District subsidized more than 1,000 AP exams for students in financial need. Additionally, participation among students from a variety of backgrounds continues to grow. The College Board recognized 690 SFSD students with AP Scholar distinctions, reflecting their consistent high performance.
Dual Credit participation also increased, with 585 students —10% of all participants statewide— earning college credit through courses approved by the South Dakota Board of Regents in partnership with Southeast Technical College and other postsecondary institutions. Several dual credit courses are now taught by SFSD staff, further expanding access while maintaining high instructional quality.
Together, these programs provide students with meaningful opportunities to engage in challenging coursework and achieve academic excellence.
A motion was made by Gail Swenson and seconded by Elizabeth Duffy four (4) votes “yes” on roll call acknowledging the AP and Dual Credit report.
Action 39853
Todd Vik, Business Manager, presented 2026 Sioux Falls School District Legislative Priorities report as follows (MRF #19830):
The Sioux Falls School District remains committed to advocating for fair, stable, and forward-looking education funding as the 2026 legislative session approaches. Working alongside other large districts in South Dakota, the District has identified four top priorities: securing an annual increase in the state aid formula of at least 3% or the Consumer Price Index (whichever is greater), maintaining a capital outlay funding formula that reflects growth and inflation, promoting consistent property assessment practices that ensure equitable revenue for K–12 schools, and preserving local control in decision-making.
At the state level, the Comprehensive Property Tax Task Force has proposed a major tax relief package aimed at delivering roughly 25% property tax reductions for homeowners statewide. While the plan includes rebates and state spending cuts, several of its nineteen recommendations could negatively impact public schools by restricting financial flexibility, limiting revenue growth, and requiring additional voter approval for district funding measures. In addition, Governor Rhoden has announced a separate property tax relief proposal through an optional half-cent county sales tax.
The District will continue to monitor these developments closely and work with legislators to ensure that any property tax reforms balance relief for taxpayers with the need to sustain strong, high-quality public education in Sioux Falls.
A motion was made by Dawn Marie Johnson and seconded by Elizabeth Duffy four (4) votes “yes” on roll call acknowledging the 2026 Sioux Falls School District Legislative Priorities report.
Action 39854
On motion by Gail Swenson and seconded by Elizabeth Duffy four (4) votes “yes” on roll call, the School Board adjourned at 6:46 p.m.
NAN KELLY
School Board President
TODD VIK
Business Manager
Published once on Nov. 14, 2025, at the approximate cost of $724.71, and may be viewed free of charge at www.sdpublicnotices.com or TheDakotaScout.com.
LINCOLN COUNTY
PUBLISH: Nov. 14, 2025
NOTICE OF HEARING UPON APPLICATION FOR ALCOHOLIC BEVERAGE LICENSE
NOTICE IS HEREBY GIVEN THAT: The Board of County Commissioners in and for the County of Lincoln in the City of Canton, South Dakota on the 25th day of November, 2025 between 6:30 p.m. and adjournment at the Lincoln County Courthouse in the County Commissioners Meeting Room, will meet in regular session to consider the following application for Retail On-Sale Liquor License to operate outside of a municipality for the 2026 licensing period, which has been presented to the Board of County Commissioners and filed in the County Auditor’s Office. The following person/corporation has made application for a Retail On-Sale Liquor License on the following described premises to wit:
The Good Earth Farm, LLC
Plat of: Tract 2C of Kroger’s Addition NW1/4 – 28 – 98 – 51 Lincoln County SD
Parcel #: 098.51.28.B20C
NOTICE IS FURTHER GIVEN THAT: any person, persons, or their attorney may appear at said scheduled Public Hearing and present objections to the above application, if any objections there may be.
Dated at Canton, South Dakota, this 27th day of October 2025.
Sheri Lund
Lincoln County Auditor
Published once on Nov. 14, 2025, at the approximate cost of $16.43, and may be viewed free of charge at www.sdpublicnotices.com or TheDakotaScout.com.
-
PUBLISH: Nov. 7 & Nov. 14, 2025
NOTICE OF PUBLIC HEARING
NOTICE IS HEREBY GIVEN That the Board of Lincoln County Commissioners will meet in the Courthouse at Canton, South Dakota, on November 25,2025, and hold a public hearing between 6:30 p.m. and adjournment, pursuant to SDCL 7-21-22, for the purpose of adopting the following supplements to the 2025 Budget: A supplement to the account of Support of Poor in the General Fund for account 101-4411-429430 $1,000 and to 101-4411-429440 in the amount of $25,000 and to account 101-4411-429460 in the amount of $15,000 due to claims that have been paid for indigent, a supplement increasing the Domestic Abuse Fund because of over payment of $1,000, a supplement increasing 101-4130-37300 in the amount of $371,645 Revenue received from CLERP, a supplement increasing 101-4130-422120 in the amount of $65,000, a supplement increasing 101-4130-422130 in the amount of $30,000, a supplement increasing 101-4130-422200 in the amount of $100,000, a supplement increasing 101-4130-427000 in the amount of $5,000, a supplement increasing 101-4130-428000 in the amount of $600.00. The increase to the 4130 accounts is the unexpected cost of prosecution of cases, a supplement increasing 201-4311-31700 in the amount of $205,000 underestimated collections for motor vehicle, a supplement increasing 201-4750-429900 in the amount of 30,000 percentage of wheel tax paid out to Cities and townships.
The public hearing is open to all interested parties. Anyone unable to attend the public hearing can submit written comments to the Lincoln County Auditor at 104 N. Main Street, Suite 110, Canton, SD 57013. Written comments will be reported to the County Commission on the date of the hearing. Individuals needing special accommodation are asked to contact the Lincoln County Auditor at least 48 hours prior to the hearing. Any interested person may appear either in person or by a representative.
Dated this 7th day of October 2025.
Sheri Lund
Lincoln County Auditor
Published twice on Nov. 7 & Nov. 14, 2025, at the approximate cost of $46.40, and may be viewed free of charge at www.sdpublicnotices.com or TheDakotaScout.com.
-
PUBLISH: Nov. 14, 2025
NOTICE OF SALE OF COUNTY SURPLUS PROPERTY
NOTICE IS HEREBY GIVEN, that Lincoln County will hold a public auction of surplus property at www.publicsurplus.com. The Auction will end on the 26th of November 2026 at 8AM, the following item will be auctioned:
• 2014 Dodge 2500 4DR Pickup, VIN#: 3C6TR5DT1EG167319
These items will be available for review at www.surplus.lincolncountysd.org
All items are sold as is, where is, and must be removed and payment made as per Public Surplus direction. Additional information may be obtained by contacting Lincoln County Emergency Management office at 605-321-0220, or by visiting the Public Surplus webpage at www.publicsurplus.com and viewing the sale information.
Dated this 4th of November 2025
Sheri Lund
Lincoln County Auditor
Published online on Nov. 14, 2025, at the approximate cost of $21.46, and may be viewed free of charge at www.sdpublicnotices.com or TheDakotaScout.com.
-
PUBLISH: Nov. 14, 2025
NOTICE OF PUBLIC HEARING
Notice is hereby given that the Lincoln County Board of Commissioners will hold a public hearing on November 25, 2025, regarding a change of zone request for the property described as
the North 60 Acres of the East Half (E1/2) of the Southeast Quarter (SE1/4) of Section 19, Township 99 North, Range 51 West of the 5th P.M., Lincoln County, South Dakota from the A-1 Agricultural District to the PD Planned Development District. Location: Parcel: 099.51.19.4010
This public hearing will be held at the following time, date and location:
6:30 p.m.
November 25, 2025
Lincoln County Courthouse (104 N. Main Street, Canton)
The purpose of this hearing is to explain the proposed change of zone request to interested persons, to answer questions regarding this item, and to hear public comment on this item. The Board of Commissioners invites all interested persons to attend and offer their comments. Those interested persons not able to attend are invited and encouraged to send written comments, prior to the hearing, to the Lincoln County Auditor, 104 N. Main Street, Suite 110, Canton, SD 57013.
In compliance with the Americans with Disabilities Act (ADA), if you need special assistance to participate in this hearing, please contact the Auditor at (605) 764-2581. Anyone who is deaf, hard-of-hearing or speech-disabled may utilize Relay South Dakota at 711 or (800) 877-1113 (TTY/Voice). Notification 48 hours prior to the hearing will enable the County to make reasonable arrangements to ensure accessibility to this hearing.
Sheri Lund
Auditor
Published online on Nov. 14, 2025, at the approximate cost of $21.26, and may be viewed free of charge at www.sdpublicnotices.com or TheDakotaScout.com.
-
PUBLISH: Nov. 14, 2025
NOTICE OF PUBLIC HEARING
Notice is hereby given that the Lincoln County Board of Commissioners will hold a public hearing on November 25, 2025, regarding a change of zone request for the property described as Lot 2 of Tract 3 of Huizenga Farms 2nd Addition in the Southwest Quarter (SW1/4) of Section 2, Township 99 North, Range 50 West of the 5th P.M., Lincoln County, South Dakota from the A-1 Agricultural District to the PD Planned Development District. Location: Parcel: 099.50.02.F302
This public hearing will be held at the following time, date and location:
6:30 p.m.
November 25, 2025
Lincoln County Courthouse (104 N. Main Street, Canton)
The purpose of this hearing is to explain the proposed change of zone request to interested persons, to answer questions regarding this item, and to hear public comment on this item. The Board of Commissioners invites all interested persons to attend and offer their comments. Those interested persons not able to attend are invited and encouraged to send written comments, prior to the hearing, to the Lincoln County Auditor, 104 N. Main Street, Suite 110, Canton, SD 57013.
In compliance with the Americans with Disabilities Act (ADA), if you need special assistance to participate in this hearing, please contact the Auditor at (605) 764-2581. Anyone who is deaf, hard-of-hearing or speech-disabled may utilize Relay South Dakota at 711 or (800) 877-1113 (TTY/Voice). Notification 48 hours prior to the hearing will enable the County to make reasonable arrangements to ensure accessibility to this hearing.
Sheri Lund
Auditor
Published online on Nov. 14, 2025, at the approximate cost of $21.26, and may be viewed free of charge at www.sdpublicnotices.com or TheDakotaScout.com.
-
PUBLISH: Nov. 14, 2025
LINCOLN COUNTY BOARD OF COMMISSION
Meeting Minutes
October 28, 2025
THE LINCOLN COUNTY BOARD OF COMMISSIONERS convened in a joint session with the city of Sioux Falls Council at 7:00 p.m. on October 28, 2025, with Commissioners Joel Arends, Jim Schmidt, Tiffani Landeen, Betty Otten, Doug Putnam present. Alicia Cafaro, Deputy Auditor, served as Clerk of the Board. Chief Civil Deputy State’s Attorney, Drew DeGroot, was also present.
Chair, Tiffani Landeen, called the meeting to order.
ROUTINE BUSINESS:
MOTION by Joel Arends and seconded by Doug Putnam to recess. Ayes; Joel Arends, Jim Schmidt, Tiffani Landeen, Betty Otten, Doug Putnam, Nays; None. Motion Passed.
MOTION by Jim Schmidt and seconded by Betty Otten to approve Agenda. Ayes; Joel Arends, Jim Schmidt, Tiffani Landeen, Betty Otten, Doug Putnam, Nays; None. Motion Passed.
REGULAR BUSINESS:
SECOND READING AND PUBLIC HEARING: AN ORDINANCE OF LINCOLN COUNTY, SD, AMENDING THE CODE OF ORDINANCES OF THE COUNTY BY AMENDING CHAPTER 155: JOINT ZONING REGULATIONS FOR LINCOLN COUNTY AND THE CITY OF SIOUX FALLS, SECTION 155.010: BOUNDARIES OF JOINT AND PLATTING JURISDICTION.
AN ORDINANCE OF LINCOLN COUNTY, SD, AMENDING THE CODE OF ORDINANCES OF THE COUNTY BY AMENDING CHAPTER 155: JOINT ZONING REGULATIONS FOR LINCOLN COUNTY AND THE CITY OF SIOUX FALLS, SECTION 155.010: BOUNDARIES OF JOINT AND PLATTING JURISDICTION. BE IT ORDAINED BY LINCOLN COUNTY, SD: Section 1. That Section 155.010 of the Code of Ordinances of Lincoln County, SD, is hereby amended to read: § 155.010 BOUNDARIES OF JOINT AND PLATTING JURISDICTION. (A) The Lincoln County/City of Sioux Falls Joint zoning and platting jurisdiction geographic area shall be geographically portrayed in accordance with the applicable joint jurisdictional boundary delineated in the Official Lincoln County/City of Sioux Falls Joint Zoning and Platting Map. The Official Lincoln County/City of Sioux Falls Joint Zoning and Platting Map, together with all the explanatory matter thereon and attached thereto, is hereby adopted by reference and is declared to be a part of these regulations and defined as follows: Beginning at the NW corner of Section 10 (T100N R51W) thence south to the NW corner of Section 15, thence east until the intersection of the centerline of 269th Street and 468th Avenue, thence south to the W 1/4 of Section 14 (T100N R51W), thence east along the W 1/4 section line until the middle of 469th Avenue, thence south until the intersection of the centerline of 270th Street, thence east until the center of the right-of-way for Interstate 29, thence south until 271st Street, thence east until 479th Avenue, thence north 3700’, thence east 500’ in NW1/4 of Section 22 (T100N R49W), thence north to the middle of 270th Street, thence east 750’, thence north 1000’ in SW1/4 Section 15 (T100N R49W), thence east 1100’, thence north 1525’, thence east 300’, thence north 700’, thence east to the middle of 480th Avenue, thence north to the intersection of 480th Avenue and Woodsong Place, thence east following Woodsong Place, thence northeasterly 1250’ to the Lincoln County line/Big Sioux River, thence north to the Lincoln/Minnehaha County line, thence following west to the point of beginning excluding existing city limits of Sioux Falls, SD. (B) Before any territory may come under the jurisdiction of these regulations, the boundary of the joint and platting jurisdiction shall be amended by ordinance adopted by the County Commission and City Council in compliance with South Dakota Compiled Laws.
MOTION by Joel Arends and seconded by Jim Schmidt to approve ordinance change. Ayes; Joel Arends, Jim Schmidt, Tiffani Landeen, Betty Otten, Doug Putnam, Nays; None. Motion Passed.
OPPORTUNITY FOR PUBLIC COMMENT
Public comments were given.
ADJOURNMENT
MOTION by Joel Arends and seconded by Betty Otten to adjourn at 7:15 p.m. until 8:30 a.m. on November 4, 2025. Ayes; Joel Arends, Jim Schmidt, Tiffani Landeen, Betty Otten, Doug Putnam, Nays; None. Motion Passed.
Lincoln County Board of Commissioners
Tiffani Landeen, Lincoln County Chair
Attest: Alicia Cafaro, Deputy Auditor
Approved: November 4, 2025
Published online on Nov. 14, 2025, at the approximate cost of $47.56, and may be viewed free of charge at www.sdpublicnotices.com or TheDakotaScout.com.
-
PUBLISH: Nov. 14, 2025
LINCOLN COUNTY BOARD OF COMMISSION
Meeting Minutes
October 28, 2025
THE LINCOLN COUNTY BOARD OF COMMISSIONERS convened at 7:16 p.m. after joint meeting with the city of Sioux Falls on October 28, 2025, with Commissioners Joel Arends, Jim Schmidt, Tiffani Landeen, Betty Otten, Doug Putnam present. Alicia Cafaro, Deputy Auditor, served as Clerk of the Board. Chief Civil Deputy State’s Attorney, Drew DeGroot, was also present.
Chair, Tiffani Landeen, called the meeting to order.
ROUTINE BUSINESS:
MOTION by Joel Arends and seconded by Betty Otten to approve Agenda. Ayes; Joel Arends, Jim Schmidt, Tiffani Landeen, Betty Otten, Doug Putnam, Nays; None. Motion Passed.
Payroll: $478,649.26
Commissioner’s $8,829.18; FICA 523.72, Medicare 122.48, SDRS 161.78
Auditor’s $24,681.54; FICA 879.20, Medicare 205.62, SDRS 940.98
Treasurer’s $20,462.72; FICA 1,146.11, Medicare 268.04, SDRS 1,219.06
States Attorney’s $81,148.83; FICA 4,732.29, Medicare 1,106.75, SDRS 4,774.61
Gen Gov Bldg $19,256.79; FICA 1,067.98, Medicare 249.77, SDRS 1,144.07
DOE $38,994.71; FICA 2,217.43, Medicare 518.59, SDRS 2,321.97
ROD $10,495.82; FICA 580.90, Medicare 135.86, SDRS 624.05
VSO $2,311.06; FICA 134.91, Medicare 31.55, SDRS 138.66
GIS $5,982.36; FICA 334.39, Medicare 78.20, SDRS 357.44
IT $11,828.93; FICA 703.46, Medicare 164.52, SDRS 705.54
HR $6,011.17; FICA 345.88, Medicare 80.89, SDRS 359.47
Sheriff’s $111,211.32; FICA 6,472.25, Medicare 1,513.67, SDRS 8,354.15
Jail $24,828.28; FICA 1,506.56, Medicare 352.34, SDRS 1,705.87
County 4-H $4,653.90; FICA 274.28, Medicare 64.15, SDRS 276.54
Weeds $4,480.08; FICA 277.76, Medicare 64.96, SDRS 268.81
P & Z $13,030.80; FICA 794.38, Medicare 185.78, SDRS 781.85
Highway $49,903.83; FICA 2,881.14, Medicare 673.81, SDRS 2,981.83
Communications $33,447.85; FICA 1,920.03, Medicare 449.04, SDRS 1,978.50
EM MGMT $4,138.17; FICA 235.22, Medicare 55.01, SDRS 246.01
Airport $2,983.25; FICA 184.96, Medicare 43.26, SDRS 179.00
24/7 $2,809.27; FICA 174.18, Medicare 40.73, SDRS 224.74
Reports:
Mileage Reports - Sheriff Civil Fee Report (Sept 2025)
MOTION by Jim Schmidt and seconded by Joel Arends to approve Consent Agenda Items. Ayes; Joel Arends, Jim Schmidt, Tiffani Landeen, Betty Otten, Doug Putnam, Nays; None. Motion Passed.
CONSENT AGENDA:
MOTION by Jim Schmidt and seconded by Joel Arends to approve County Commission Minutes: 10.14.2025. Ayes; Joel Arends, Jim Schmidt, Tiffani Landeen, Betty Otten, Doug Putnam, Nays; None. Motion Passed.
MOTION by Jim Schmidt and seconded by Joel Arends to approve Lincoln County Claims in the amount of: $3,380,019.79: GENERAL: All State Window Tinting, 22-3 Window Tinting, $90.00; Anderson, Jennifer Marie, Mi Eval, $1,604.12; Auto Dynamics Inc, Vehicles Repairs, $1,115.48; Automotive Doctors LLC, 23-8 Water Pump Replacement, $1,112.05; Avera, Mi Hold, $442.73; Beck Law, Prof LLC, Crt Appt Atty, $156.00; Canton Home & Farm Supply, Electrical Hardware, $48.95; Centralsquare Technologies, Field Ops Subscription (For Zuercher Mobile Users), $1,426.35; Century Business Products, Copier Maint, $259.56; City Of Canton, Landfill Utilities, $10.00; City Of Harrisburg, 1097.6 Gallons Fuel From Public Works Fuel Tank, $194.02; Custom Truck Equipment, Inc, Snow Plow Replacement Cutting Edges, $1,050.24; Dean Schaefer Court Reporting, Mi - Court Reporting Yankton, $36.00; Don LLC D/B/A Don Fee, Installation Of Equipment Into Tahoe 25-6, $4,530.00; Dr Brenna Tindall & Associates, Expert, $4,900.00; Frantzen Reporting/Pgr8r Inc, Transcription Fee, $126.20; G & R Controls Inc, Quarterly Hvac Maintenance Contract, $4,587.25; Glock Inc, Magazine G17 17rd (Mag Floor Plate 01, Follower Or, $210.00; Griese Law Firm, Pc, Crt Appt Atty, $585.00; Harrisburg Ace Hardware, Supplies, $112.45; Hughes Co Jail, Sep-25, $345.00; Interstate Office Products, Supplies, $323.48; Jack’s Uniforms & Equipment, B891 Custom Badge-2-9/16w X 2-9/16h Hi-Glo Finish, $636.99; Juror/Witnesses, Fees/Mileage, $6,299.60; Jw Niederauer Inc, Sheetrocking Hardware, $66.50; Kading, Kunstle & Goodhope LLP, Crt Appt Atty-Juv, $4,550.50; Karla Salem, Qmhp, Mi Eval, $4,290.00; Katterhagen, Mark, Mi Hearing-Yankton, $24.00; Kirbside Car Wash, 5 Car Washes, $62.00; Law Enforcement Risk Management Group, Training, $900.00; Lennox Independent LLC, Publishing, $1,247.06; Lewno Law Office, Lucy M Lewno, Atty, Mi Board-Yankton, $210.74; Maxine Risty Court Reporting, Transcript, $68.00; Menards-Sioux Falls West, Sheetrocking Supplies And Materials, $86.63; Minnehaha County Jail, Blood Draws, $650.00; Motorola Solutions Inc, Software License Digital Smartzone, $10,184.75; O’leary Law Office, Crt Appt Atty, $906.00; Pat Beck, Court Reporter, Gj Transcript, $929.70; Pennington County Jail, Hogan, Patrick 02/23/72, $515.67; Phillip Loving, Mi Eval, $1,127.52; Redwood Toxicology Laboratory, Lab Testing, $127.19; Riverside Technologies Inc, Phone/Firewall/Supplies, $31,155.70; Safety Benefits Inc, Safety Conference Registration, $75.00; Samp Law Office, Crt Appt Atty, $3,450.00; Sanford Health, Public Health Service, $1,250.00; Schaefer, William, Mi Hearing-Yankton, $24.00; Sd Dept Of Labor & Regulation, Unemployment - Brandt, $6,916.00; Sd Division Of Criminal Investigation, Criminal Record Checks, $43.25; SD Secretary Of State, Notary Application, $30.00; Sdml Workers’ Compensation Fund, Worker’s Comp, $112,680.00; Sioux Falls Ford, Oil Change And Service Of 2022 Ford F-150 (804), $92.63; South Dakota Public Assurance Alliance, Insurance Premiums, $191,113.22; Sturdevant’s Auto Value, Supplies, $109.53; Syverson Tricia L, Mi Hearing, $208.00; Tipton Digging LLC, Fix Underground Water Leak/Replace Flush Hydrant, $2,550.00; Tires And More, Oil Changes/Repairs, $1,234.00; Tschetter & Adams Law Office, Pc, Crt Appt Atty, $5,974.35; Ty Large+Josh Dekramer+Spencer Bartling, Interior Detail Services, $480.00; Tyler Technologies Inc, Ptm Training, $435.00; Van Beek Linda, Mi Hearing, $240.00; Wernke, Laurie A, Mi Hearing, $64.00; Yankton Co Sheriff’s Office, Mi Served Papers-Yankton, $100.00; ROAD AND BRIDGE: Blackstrap Inc, Salt, $4,244.79; Bomgaars, Wo1353, $522.55; Butler Machinery Co, Filters, $587.45; Cintas Corp, Mats, Towels, Uniform, $164.46; Cramer And Associates, Inc, 09m0 Pay App 5f, $228,953.56; Diamond Mowers LLC, Wo1353, $414.24; Equipment Blades Inc, Wo1369, $1,261.00; Fastenal Company, Supplies, $16.79; Geotek Engineering & Testing Services Inc, 09m0 Ce, $6,087.50; Graham Tire Co LLC-Corp, Wo1365, $3,469.36; Grossenburg Implement Incorporated, Wo1353, $57.99; HealthPartners, H Fischer Cobra October 2025, $890.66; IMEG Corp, 09m0 Ce Final, $58,239.73; Jfi - Johnson Feed Inc, Propane, $59.33; L. G. Everist, Inc., Sand, $8,534.32; Light And Siren, Wo1354, $3,633.10; Micheal’s Purple Petunia, Pump, $414.00; Myrl & Roys Paving Inc, G2, $543.37; Napa Auto & Truck Parts Of Sioux Falls, Wo1349, $232.23; Presto-X, Pest Control, $627.28; Sdml Workers’ Compensation Fund, Worker’s Comp , $42,770.00; South Dakota Public Assurance Alliance, Insurance Premiums, $96,532.12; Sturdevant’s Auto Value, Wo1353, $13.99; Transource Truck & Equipment Inc, Wo1342, , $418.73; Varitech Industries Inc, Wo1326, $100.85; White Cap Lp, Supplies, $119.24; 911: Bluepeak, Lennox/Sf 911 Circuit Trunk, $1,036.37; Century Business Products, Contract Base Rate Charge For This Billing Period, $25.68; Language Line Services Inc, Over-The-Phone Interpretation, $105.64; Motorola Solutions Inc, Software License Digital Smartzone, $2,000.00; Sdml Workers’ Compensation Fund, Worker’s Comp, $1,761.00; South Dakota Public Assurance Alliance, Insurance Premiums, $230.26; EMERGENCY AND DISASTER: Elite Truck, Equipment Add-Ons – Topper, $7,203.00; Sdml Workers’ Compensation Fund, Worker’s Comp, $1,975.00; South Dakota Public Assurance Alliance, Insurance Premiums, $1,866.70; AIRPORT: A-1 Pumping & Excavating Inc, Pumping Septic At The Fbo, $287.50; Lennox Independent LLC, Publishing , $34.76; Lincoln Co Rural Water, Water Bill For The Airport, $56.00; Sdml Workers’ Compensation Fund, Worker’s Comp , $1,652.00; South Dakota Public Assurance Alliance, Insurance Premiums, $5,192.92; 24/7 SOBRIETY: Sdml Workers’ Compensation Fund, Worker’s Comp, $1,183.00; MODERN/PRESERV/RELIEF: Century Business Products, Monthly Printer/Copy Fees, $30.00; RAIF: Ap-Brooklyn Township, Raif Reimbursement - Brooklyn Township, $188,033.88; Ap-Canton Township, Raif Reimbursement - Canton Twnshp, $137,394.05; JUSTICE CENTER: Geotek Engineering & Testing Services Inc, Justice Center Inc: 0082705 $7,577.50; Henry Carlson Construction LLC, Lc Justice Center – 18, $2,064,629.00; Jlg Architects, Justice Center - Inv 21030-38, $59,691.33; Tegra Group, 436.1025 Lc Justice Center Pmt 12 Of 21, $12,500.00; DEBT SERVICE-TIF #8: City Of Harrisburg, Tif #8 Disbursement September 2025, $9,207.75. Ayes; Joel Arends, Jim Schmidt, Tiffani Landeen, Betty Otten, Doug Putnam, Nays; None. Motion Passed.
OPPORTUNITY FOR PUBLIC COMMENT
No public comments were heard.
ADJOURNMENT
MOTION by Joel Arends and seconded by Betty Otten to adjourn at 7:19 p.m. until 8:30 a.m. on November 4, 2025. Ayes; Joel Arends, Jim Schmidt, Tiffani Landeen, Betty Otten, Doug Putnam, Nays; None. Motion Passed.
Lincoln County Board of Commissioners
Tiffani Landeen, Lincoln County Chair
Attest: Alicia Cafaro, Deputy Auditor
Approved: November 4, 2025
Published online on Nov. 14, 2025, at the approximate cost of $104.69, and may be viewed free of charge at www.sdpublicnotices.com or TheDakotaScout.com.
PUBLIC NOTICE
PUBLISH: Nov. 14, 2025
-
PUBLISH: Nov. 7 & Nov. 14, 2025
-
PUBLISH: Nov. 7, Nov. 14 & Nov. 21, 2025
REQUEST FOR STATEMENT OF INTEREST
UNIVERSITY STUDENT UNION – MECHANICAL SYSTEM UPGRADES
SOUTH DAKOTA STATE UNIVERSITY
BROOKINGS, SOUTH DAKOTA
OSE#R0326-17X/DEL
SDSU PROJ#26-1542
South Dakota State University is looking for firms interested in providing professional Engineering services for the design, bidding, and construction administration for the UNIVERSITY STUDENT UNION MECHANICAL UPGRADES PROJECT (OSE # R0326-17X/DEL) at South Dakota State University in Brookings, South Dakota, 57007.
Services will include a comprehensive systems review, documentation of existing conditions, design development, preparation of bid documents, and construction administration. The project scope will be prioritized based on the findings from the investigation and documentation of facility needs, with construction activities scheduled to occur in multiple phases.
Current considerations include connecting the building to the campus chilled water distribution system (piping connections are already in place within the building), upgrading or replacing air handling units, implementing building control system upgrades, and replacing sanitary piping systems. Additional improvements may be identified and incorporated as part of the ongoing planning process.
Firms wishing to be considered for this project should send a statement of interest that outlines the qualifications and experience as it pertains to this project. Statements of Interest should at a minimum include the following:
1. Specialized expertise, capabilities, and technical competence as demonstrated by the team’s capabilities, proposed approach and methodology to meet the project requirements. (35%)
2. Resources available to perform the work, including any specialized services, within the specified time limits for the project. (15%)
3. Record of past performance, including price and cost data from previous projects, quality of work, ability to meet schedules, cost control, and contract administration. (20%)
4. Availability to project locale. (5%)
5. Familiarity with project locale. (5%)
6. Proposed project management techniques. (5%)
7. Ability and project history in handling special project constraints. (15%)
A technical review committee will select the firm based on the criteria shown.
Copies of the statement of interest must be submitted by 3:00 PM CT on Wednesday, November 26, 2025. Please send electronic copies to each of the following: (1 electronic copy) Dave Law, Project Manager , South Dakota State University, Facilities & Services Bldg. 100, Box 2150, Brookings SD, 57007; Phone: 605.688.4136; E-mail: david.law@sdstate.edu
To request additional site/project information contact the SDSU Project Manager, Dave Law at 605-688-4136 or at the email listed above. Thank you for your interest in this project; we look forward to working with you.
Respectfully,
David Law
Director of Project Management
Facilities and Services
South Dakota State University
CC:
Michaela Willis, SDSU
Jennifer Novotny, SDSU
Barry Mielke, SDSU
Published Nov. 7, Nov. 14 & Nov. 21, 2025, at the approximate cost of $106.31, and may be viewed free of charge at www.sdpublicnotices.com or TheDakotaScout.com.
-
PUBLISH: Nov. 7, Nov. 14 & Nov. 21, 2025
REQUEST FOR STATEMENT OF INTEREST
HANSEN HALL – WEST CAMPUS DINING
SOUTH DAKOTA STATE UNIVERSITY
BROOKINGS, SOUTH DAKOTA
OSE#R0326-19X/DEL
South Dakota State University (SDSU) is seeking qualified architectural and engineering firms to provide professional services for the project referenced above. The scope of work will include design, bidding, and construction administration services.
Design services will include documentation of existing conditions, design development, preparation of bid documents, and construction administration for the renovation of the existing C-Store in Hansen Hall. The project will transform a portion of the space into a hot-food dining concept and will include the build-out of a small kitchen area within an existing storage room, complete with associated equipment, exhaust hood, and dishwashing facilities. The scope will also include site design elements to support service access for product deliveries and waste handling.
Firms wishing to be considered for this project should send a statement of interest that outlines the qualifications and experience as it pertains to this project. Statements of Interest should at a minimum include the following:
1. Specialized expertise, capabilities, and technical competence as demonstrated by the team’s capabilities, proposed approach and methodology to meet the project requirements. (35%)
2. Resources available to perform the work, including any specialized services, within the specified time limits for the project. (15%)
3. Record of past performance, including price and cost data from previous projects, quality of work, ability to meet schedules, cost control, and contract administration. (20%)
4. Availability to project locale. (5%)
5. Familiarity with project locale. (5%)
6. Proposed project management techniques. (5%)
7. Ability and project history in handling special project constraints. (15%)
A technical review committee will select the firm based on the criteria shown.
Copies of the statement of interest must be submitted by 3:00 PM CT on Wednesday, November 26, 2025. Please send electronic copies to each of the following: (1 electronic copy) Dave Law, Project Manager, South Dakota State University, Facilities & Services Bldg. 100, Box 2150, Brookings SD, 57007; Phone: 605.688.4136; E-mail: david.law@sdstate.edu
To request additional site/project information contact the SDSU Project Manager, Dave Law at 605-688-4136 or at the email listed above. Thank you for your interest in this project; we look forward to working with you.
Respectfully,
David Law
Director of Project Management
Facilities and Services
South Dakota State University
CC:
Michaela Willis, SDSU
Jennifer Novotny, SDSU
Barry Mielke, SDSU
Published Nov. 7, Nov. 14 & Nov. 21, 2025, at the approximate cost of $106.31, and may be viewed free of charge at www.sdpublicnotices.com or TheDakotaScout.com.
COURTS
PUBLISH: Nov. 14, Nov. 21, Nov. 28 & Dec. 5, 2025
STATE OF SOUTH DAKOTA
COUNTY OF MINNEHAHA
IN CIRCUIT COURT
SECOND JUDICIAL CIRCUIT
IN THE MATTER OF THE PETITION OF:
TYLER MICHAEL JOHNSON
FOR A CHANGE OF NAME TO:
TYLER MICHAEL JOHNSON ZIMNEY
49CIV25-4922
NOTICE OF HEARING FOR ADULT NAME CHANGE
NOTICE IS HEARBY GIVEN that a Verified Petition for Adult Name Change has been filed by Tyler Michael Johnson to change Petitioner’s name from Tyler Michael Johnson
to Tyler Michael Johnson Zimney. The petition will be heard on the 16 day of December, 2025, at 11:00 am by the Honorable Judge Pekas, at the Minnehaha County Courthouse, in the City of Sioux Falls, South Dakota. Anyone may appear at that time and place and show reasons, if any, why Petitioner’s name should not be changed.
Dated this 3rd day of November, 2025.
/s/ Hannah Ludlow
Clerk of Court
Attest: Karla Kalb
Clerk of Court
By: /s/ Hannah Ludlow
Deputy
Published Nov. 14, Nov. 21, Nov. 28 & Dec. 5, 2025, at the approximate cost of $56.53, and may be viewed free of charge at www.sdpublicnotices.com or TheDakotaScout.com.
-
PUBLISH: Nov. 14, Nov. 21, Nov. 28 & Dec. 5, 2025
STATE OF SOUTH DAKOTA
COUNTY OF MINNEHAHA
:SS IN CIRCUIT COURT
SECOND JUDICIAL CIRCUIT
LISA ENYEART,
PLAINTIFF,
VS.
ROBERT E. SHARITS II,
DEFENDANT.
49CIV25-2227
SUMMONS
THE STATE OF SOUTH DAKOTA TO THE ABOVE-NAMED DEFENDANTS,
GREETINGS:
You, and each of you, are hereby summoned and required to answer the Complaint of the Plaintiff in the above-entitled action, a copy of which said Complaint is hereunto annexed and herewith served upon you, and to serve a copy of your Answer to said Complaint upon the subscribers, The Duncan Law Firm, LLP, 515 West Landscape Place, Suite 101, Sioux Falls, Lincoln.County, South Dakota, within thirty (30) days after the service of this Summons upon you, exclusive of the day of such service; and you, and each of you, will hereby take notice that in case of your failure to answer said Complaint, judgment by default may be rendered against you as requested in the said Complaint.
Dated this 12 day of May, 2025.
/s/ Shon Dougherty
Shon Dougherty
THE DUNCAN LAW FIRM, LLP
515 W. Landscape Place, Suite 101
Sioux Falls, SD 57108
(605) 361-9840
shon@ddlawsd.com
Published Nov. 14, Nov. 21, Nov. 28 & Dec. 5, 2025, at the approximate cost of $66.39, and may be viewed free of charge at www.sdpublicnotices.com or TheDakotaScout.com.
-
PUBLISH: Nov. 14 & Nov. 21, 2025
IN THE STATE OF SOUTH DAKOTA,
COUNTY OF MINNEHAHA
IN CIRCUIT COURT,
SECOND JUDICIAL CIRCUIT COURT
PENNYMAC LOAN SERVICES, LLC,
PLAINTIFF,
V.
TYLER SCHMIDT AND UNITED STATES OF AMERICA, ACTING BY AND THROUGH THE SECRETARY OF HOUSING AND URBAN DEVELOPMENT AND A.A.A. COLLECTIONS, INC. AND COUNTY OF MINNEHAHA AND FEDERAL HOME LOAN BANK OF CHICAGO AND FLANAGAN STATE BANK, AND ANY PERSON IN POSSESSION,
DEFENDANTS.
NOTICE OF REAL ESTATE SALE ON FORECLOSURE
CIVIL NUMBER: 49CIV25-002844
A Non-Monetary Judgment of Foreclosure was entered in favor of Plaintiff and against Defendants, which judgment was filed with the Clerk of Courts of Minnehaha County, South Dakota, on September 24, 2025 in the amount of $182,328.75, for the foreclosure of a real estate mortgage.
Notice is hereby given pursuant to said judgment that the real property described in
the Real Estate Mortgage dated July 12, 2018, and recorded in the office of the Register of Deeds of Minnehaha County, South Dakota, on July 13, 2018, in Book 1843 of Mtgs, at Page 664, as Instrument Number R816206 which Tyler Schmidt, mortgagor, executed and delivered to Mortgage Electronic Registration Systems, Inc., as mortgagee, as nominee for Flanagan State Bank, its successors and assigns, for the property located at 112 S Menlo Avenue, Sioux Falls, SD 57104, and legally described as:
Lot 15 in Block 33 of Pettigrew’s Addition to Sioux Falls, Minnehaha County, South Dakota, according to the Recorded Plat thereof
in order to realize the amount of the above-referenced judgment, plus interest accruing thereafter on said amount, together with the costs and expenses of sale, will be sold subject to redemption as provided by law as one parcel of land at public auction, subject to easements and restrictions of record, to the highest bidder for cash under the direction of the Minnehaha County Sheriff, at the Law Enforcement Center located at 320 West 4th Street, Sioux Falls, SD 57104, on January 21, 2026 at 11:00 AM.
Dated this 31st day of October, 2025
SHERIFF OF MINNEHAHA COUNTY
By: Michael Brenden #578
Name: Michael Brenden
Deputy Sheriff
Halliday, Watkins & Mann, P.C.
By/s/Jason Tingle
Jason Tingle
Attorneys for Plaintiff
376 East 400 South, Suite 300
Salt Lake City, UT 84111
Tel: 801-355-2886
Email: jtingle@hwmlawfirm.com
Published twice on Nov. 14 & Nov. 21, 2025, at the approximate cost of $64.75, and may be viewed free of charge at www.sdpublicnotices.com or TheDakotaScout.com.
-
PUBLISH: Nov. 14, Nov. 21 & Nov. 28, 2025
STATE OF SOUTH DAKOTA
COUNTY OF MINNEHAHA
:SS IN CIRCUIT COURT
SECOND JUDICIAL CIRCUIT
IN THE MATTER OF THE ESTATE OF
JOHN PAUL GOSSMAN, DECEASED.
49PRO25-000256
NOTICE TO CREDITORS
Notice is given that on the 29th day of October, 2025, the Clerk of Courts of the Second Judicial Circuit, Minnehaha County, South Dakota, informally appointed Melody Luverene Gossman of 320 N. Indiana Avenue, Sioux Falls, South Dakota 57103, as Personal Representative of the above-captioned estate.
Creditors of Decedent must file their claims within four months after the date of the first publication of this notice or their claims may be barred.
Claims may be filed with the Personal Representative at her address listed above or with the Minnehaha County Clerk of Courts at 425 North Dakota Avenue, Sioux Falls, SD 57104, with a copy to the Personal Representative.
Dated this 3rd day of November, 2025.
HALBACH|SZWARC LAW FIRM
By: /s/ Elizabeth Overmoe
Elizabeth Overmoe
108 S. Grange Ave.
Sioux Falls, SD 57104
P: (605) 910-8317
betho@halbachlawfirm.com
Attorneys for Personal Representative Melody Luverene Gossman
Published on Nov. 14, Nov. 21 & Nov. 28, 2025, at the approximate cost of $45.27, and may be viewed free of charge at www.sdpublicnotices.com or TheDakotaScout.com.
-
PUBLISH: Nov. 14, Nov. 21 & Nov. 28, 2025
STATE OF SOUTH DAKOTA
COUNTY OF MINNEHAHA
:SS IN CIRCUIT COURT
SECOND JUDICIAL CIRCUIT
IN THE MATTER OF THE ESTATE OF
KAREN LOUISA SOLI, DECEASED.
PRO. 25-261
NOTICE TO CREDITORS
Notice is given that on November 6, 2025, Joseph G. Holt, Sr., whose address is 810 W. 6th St., Sioux Falls, SD 57104, was appointed as personal representative of the estate of Karen Louisa Soli.
Creditors of decedent must file their claims within four months after the date of the first publication of this notice or their claims may be barred.
Claims may be filed with the personal representative or may be filed with the Clerk, and a copy of the claim mailed to the personal representative.
Dated this 6 day of November, 2025.
/s/ Joseph G. Holt, Sr.
810 W. 6th St.
Sioux Falls, SD 57104
Clerk of Circuit Court
Minnehaha County Courthouse
425 N. Dakota Ave.
Sioux Falls, SD 57104
(605) 367-5900
Michael H. Paulson
Christopherson, Anderson,
Paulson & Fideler, LLP
426 E. 8th St.
Sioux Falls, SD 57I03-7025
(605) 336-1030
Attorneys for Personal Representative
Published on Nov. 14, Nov. 21 & Nov. 28, 2025, at the approximate cost of $52.78, and may be viewed free of charge at www.sdpublicnotices.com or TheDakotaScout.com.
-
PUBLISH: Nov. 14, Nov. 21 & Nov. 28, 2025
STATE OF SOUTH DAKOTA
COUNTY OF MINNEHAHA
:SS IN CIRCUIT COURT
SECOND JUDICIAL CIRCUIT
IN THE MATTER OF THE ESTATE OF
ANDREW ZACHARIAS, DECEASED.
49PRO 25-000260
NOTICE TO CREDITORS AND NOTICE OF INFORMAL PROBATE AND APPOINTMENT OF PERSONAL REPRESENTATIVE
Notice is given that on November 5, 2025, Jaime Spomer and Jarad Zacharias, whose address is c/o Kraig L. Kronaizl, 110 N. Minnesota Ave., Ste. 400 Sioux Falls, South Dakota 57104, were informally appointed as Co-Personal Representatives of the Estate of Andrew Zacharias.
Creditors of Decedent must file their claims within four (4) months after the date of the first publication of this Notice, or their claims may be barred.
Claims may be filed with the Co-Personal Representatives or may be filed with the Clerk, and a copy of the claim mailed to the Co-Personal Representatives.
Dated this 5th day of November, 2025.
LYNN, JACKSON, SHULTZ & LEBRUN, P.C.
/s/ Kraig L. Kronaizl
Kraig L. Kronaizl
110 N. Minnesota Ave., Suite 400
Sioux Falls, SD 57104
Phone: (605) 332-5999
Fax: (605) 332-4249
kkronaizl@lynnjackson.com
Attorney for Co-Personal Representatives
Published on Nov. 14, Nov. 21 & Nov. 28, 2025, at the approximate cost of $52.78, and may be viewed free of charge at www.sdpublicnotices.com or TheDakotaScout.com.
-
PUBLISH: Nov. 14 & Nov. 21, 2025
IN THE STATE OF SOUTH DAKOTA,
COUNTY OF MINNEHAHA
IN CIRCUIT COURT,
SECOND JUDICIAL
CIRCUIT COURT
IDAHO HOUSING AND FINANCE ASSOCIATION,
PLAINTIFF,
V.
CORY DEMERS A/K/A CORY A. DEMERS A/K/A CORY ALLAN DEMERS AND UNITED STATES OF AMERICA ACTING BY AND THROUGH THE SECRETARY OF HOUSING AND URBAN DEVELOPMENT AND STATE OF SOUTH DAKOTA, DEPARTMENT OF REVENUE AND CITY OF SIOUX FALLS AND AAA COLLECTIONS INC AND ACCOUNTS MANAGEMENT INC. AND CORY ALLAN DEMERS, AND ANY PERSON IN POSSESSION,
DEFENDANTS.
NOTICE OF REAL ESTATE SALE ON FORECLOSURE
CIVIL NUMBER: 49CIV25-001550
A Non-Monetary Judgment of Foreclosure was entered in favor of Plaintiff and against Defendants, which judgment was filed with the Clerk of Courts of Minnehaha County, South Dakota, on September 23, 2025, in the amount of $120,072.13, for the foreclosure of a real estate mortgage.
Notice is hereby given pursuant to said judgment that the real property described in
the Real Estate Mortgage dated December 13, 2016, and recorded in the office of the Register of Deeds of Minnehaha County, South Dakota, on December 16, 2016, in Book 1810 of Mtgs, at Page 609, as Instrument Number R630308, which Cory Demers, mortgagor, executed and delivered to Mortgage Electronic Registration Systems, Inc., as Mortgagee, as nominee for Plains Commerce Bank, a Corporation, its successors and assigns, mortgagee, for the property located at 2325 S Norton Ave, Sioux Falls, SD 57105, and legally described as:
Lot 7 in Block 29 of University Third Addition to the City of Sioux Falls, Minnehaha County, South Dakota, according to the recorded plat thereof
in order to realize the amount of the above-referenced judgment, plus interest accruing thereafter on said amount, together with the costs and expenses of sale, will be sold subject to redemption as provided by law as one parcel of land at public auction, subject to easements and restrictions of record, to the highest bidder for cash under the direction of the Minnehaha County Sheriff, at the Law Enforcement Center located at 320 West 4th Street, Sioux Falls, SD 57104, on January 21, 2026 at 11:00 AM.
Dated this 5th day of November, 2025
SHERIFF OF MINNEHAHA COUNTY
By: Michael Brenden
Name: Michael Brenden
Halliday, Watkins & Mann, P.C.
By_/s/ Zachary Nesbit
Zachary Nesbit
Attorneys for Plaintiff
376 East 400 South, Suite 300
Salt Lake City, UT 84111
Tel: 801-355-2886
Email: zach@hwmlawfirm.com
Published twice on Nov. 14 & Nov. 21, 2025, at the approximate cost of $68.80, and may be viewed free of charge at www.sdpublicnotices.com or TheDakotaScout.com.
-
PUBLISH: Nov. 7, Nov. 14 & Nov. 21, 2025
STATE OF SOUTH DAKOTA
COUNTY OF MINNEHAHA
:SS IN CIRCUIT COURT
SECOND JUDICIAL CIRCUIT
IN THE MATTER OF THE ESTATE OF
NICHOLAS JOHN SKORKA, DECEASED.
49PRO25-257
NOTICE TO CREDITORS AND NOTICE OF INFORMAL PROBATE AND APPOINTMENT OF PERSONAL REPRESENTATIVE
Notice is given that on the 30th day of October, 2025, Micheal Skorka, whose address is, 14709 W Burnsville Pkwy Lot 40, Burnsville, MN 55306 was appointed as personal representative of the estate of Nicholas John Skorka.
Creditors of decedent must file their claims within four months after the date of the first publication of this notice or their claims may be barred.
Claims may be filed with the personal representative or may be filed with the clerk of courts, and a copy of the claim mailed to the personal representative.
Dated this 31st day of October, 2025.
/s/ Micheal Skorka
Micheal Skorka
14709 W Burnsville Pkwy, Lot 40,
Burnsville, MN 55306
Karla Kalb, Clerk of Courts
Minnehaha County
425 N Dakota Ave
Sioux Falls, SD 57104
Ph: (605) 367-5900
Brent W. Matter
Attorney at Law
P.O. Box 335
Vermillion, SD 57069
Ph: (605) 624-4262
Published Nov. 7, Nov. 14 & Nov. 21, 2025, at the approximate cost of $53.62, and may be viewed free of charge at www.sdpublicnotices.com or TheDakotaScout.com.
-
PUBLISH: Oct. 31, Nov. 7 & Nov. 14, 2025
NOTICE TO CREDITORS OF DECEASED SETTLOR AND SUCCESSOR TRUSTEE
Notice is given that on September 29, 2025, Robert Messner died, who was a Settlor of the Messner Living Trust, dated October 13, 2004.
Julie Horst, whose address is 27255 472nd Ave. Harrisburg, SD 57032, is the current Trustee of the Messner Living Trust, dated October 13, 2004.
Creditors of the deceased Settlor must file their claims within four (4) months after the date of the first publication of this Notice or any claim or collection efforts which otherwise could have been asserted or enforced against the trust or assets thereof may be barred.
Claims may be submitted to the Trustee by mailing a written statement of the claim to the Trustee at the address above.
Dated this 28th day of October, 2025.
/s/ Julie Horst
Julie Horst
27255 472nd Ave.
Harrisburg, SD 57032
PREPARED BY:
Thompson Law, PLLC
5027 S. Western Avenue
Sioux Falls, SD 57108
(605) 362-9100
www.cathompsonlaw.com
Published Oct. 31, Nov. 7 & Nov. 14, 2025, at the approximate cost of $42.71, and may be viewed free of charge at www.sdpublicnotices.com or TheDakotaScout.com.
-
PUBLISH: Oct. 31, Nov. 7 & Nov. 14, 2025
STATE OF SOUTH DAKOTA
COUNTY OF MINNEHAHA
:SS IN CIRCUIT COURT
SECOND JUDICIAL CIRCUIT
IN THE MATTER OF THE ESTATE OF
LINDA JOANN KRAFT, DECEASED.
49PRO25-000255
NOTICE TO CREDITORS AND NOTICE OF INFORMAL PROBATE AND APPOINTMENT OF PERSONAL REPRESENTATIVE
Notice is given that on October 27, 2025, Robert S. Kraft, whose address is c/o Kraig L. Kronaizl, 110 N. Minnesota Ave., Ste. 400 Sioux Falls, South Dakota 57104, was informally appointed as Personal Representative of the Estate of Linda Joann Kraft.
Creditors of Decedent must file their claims within four (4) months after the date of the first publication of this Notice, or their claims may be barred.
Claims may be filed with the Personal Representative or may be filed with the Clerk, and a copy of the claim mailed to the Personal Representative.
Dated this 28th day of October, 2025.
LYNN, JACKSON, SHULTZ & LEBRUN, P.C.
/s/ Kraig L. Kronaizl
Kraig L. Kronaizl
110 N. Minnesota Ave., Suite 400
Sioux Falls, SD 57104
Phone: (605) 332-5999
Fax: (605) 332-4249
kkronaizl@lynnjackson.com
Attorney for Personal Representative
Published Oct. 31, Nov. 7 & Nov. 14, 2025, at the approximate cost of $51.94, and may be viewed free of charge at www.sdpublicnotices.com or TheDakotaScout.com.
-
PUBLISH: Oct. 31, Nov. 7, Nov. 14 & Nov. 21, 2025
STATE OF SOUTH DAKOTA
COUNTY OF MINNEHAHA
IN CIRCUIT COURT
SECOND JUDICIAL CIRCUIT
IN THE MATTER OF THE PETITION OF:
ARIEL ANN STRACHOTA
FOR A CHANGE OF NAME TO:
ROSALYNN UNIQUE WALLACE
49CIV25-4821
NOTICE OF HEARING FOR ADULT NAME CHANGE
NOTICE IS HEARBY GIVEN that a Verified Petition for Adult Name Change has been filed by Ariel Ann Strachota to change Petitioner’s name from Ariel Ann Strachota to Rosalynn Unique Wallace. The petition will be heard on the 9th day of December, 2025, at 11:00 am by the Honorable Judge Clapper, at the Minnehaha County Courthouse, in the City of Sioux Falls, South Dakota. Anyone may appear at that time and place and show reasons, if any, why Petitioner’s name should not be changed.
Dated this 27 day of October, 2025.
/s/
Clerk of Court
Attest: Karla Kalb
Published Oct. 31, Nov. 7, Nov. 14 & Nov. 21, 2025, at the approximate cost of $52.15, and may be viewed free of charge at www.sdpublicnotices.com or TheDakotaScout.com.
-
PUBLISH: Oct. 31, Nov. 7, Nov. 14 & Nov. 21, 2025
STATE OF SOUTH DAKOTA
COUNTY OF MINNEHAHA IN CIRCUIT COURT SECOND JUDICIAL CIRCUIT
IN THE MATTER OF THE PETITION OF:
TEYA ELENA DEAS
FOR A CHANGE OF NAME TO:
TEYA ELENA SWANSON
49CIV25-4819
NOTICE OF HEARING FOR ADULT NAME CHANGE
NOTICE IS HEARBY GIVEN that a Verified Petition for Adult Name Change has been filed by Teya Elena Deas to change Petitioner’s name from Teye Elena Deas to Teya Elena Swanson. The petition will be heard on the 9th day of Deccember, 2025, at 11:00 am by the Honorable Judge Clapper, at the Minnehaha County Courthouse, in the City of Sioux Falls, South Dakota. Anyone may appear at that time and place and show reasons, if any, why Petitioner’s name should not be changed.
Dated this 27 day of October, 2025.
/s/Cathy Arant
Clerk of Court
Published Oct. 31, Nov. 7, Nov. 14 & Nov. 21, 2025, at the approximate cost of $51.05, and may be viewed free of charge at www.sdpublicnotices.com or TheDakotaScout.com.
-
PUBLISH: Oct. 24, Oct. 31, Nov. 7 & Nov. 14, 2025
STATE OF SOUTH DAKOTA
COUNTY OF MINNEHAHA
IN CIRCUIT COURT
SECOND JUDICIAL CIRCUIT
IN THE MATTER OF THE PETITION OF:
JESSICA RUHL WILLHOFF
FOR A CHANGE OF NAME TO:
JESSE ALEXANDER KNIGHT
49CIV25-4662
NOTICE OF HEARING FOR ADULT NAME CHANGE
NOTICE IS HEARBY GIVEN that a Verified Petition for Adult Name Change has been filed by Jessica Ruhl Willhoff to change Petitioner’s name from Jessica Ruhl Willhoff to Jesse Alexander Knight. The petition will be heard on the 2nd day of Dec., 2025, at 11:00 am by the Honorable Judge Clapper, at the Minnehaha County Courthouse, in the City of Sioux Falls, South Dakota. Anyone may appear at that time and place and show reasons, if any, why Petitioner’s name should not be changed.
Dated this 17 day of October, 2025.
Karla Kalb
Clerk of Court
Attest: Karla Kalb
Clerk of Court
By: /s/
Deputy
Published Oct. 24, Oct. 31, Nov. 7 & Nov. 14, 2025, at the approximate cost of $55.43, and may be viewed free of charge at www.sdpublicnotices.com or TheDakotaScout.com.
-
PUBLISH: Oct. 24, Oct. 31, Nov. 7 & Nov. 14, 2025
STATE OF SOUTH DAKOTA
COUNTY OF MINNEHAHA
IN CIRCUIT COURT
SECOND JUDICIAL CIRCUIT
IN THE MATTER OF THE PETITION OF:
TANIS DAWN PLACEWAY
FOR A CHANGE OF NAME TO:
TANIS DAWN ROZEVELD
49CIV25-4683
NOTICE OF HEARING FOR ADULT NAME CHANGE
NOTICE IS HEARBY GIVEN that a Verified Petition for Adult Name Change has been filed by Tanis Dawn Placeway to change Petitioner’s name from Tanis Dawn Placeway to Tanis Dawn Rozeveld. The petition will be heard on the 2nd day of Dec., 2025, at 11:00 am by the Honorable Judge Clapper, at the Minnehaha County Courthouse, in the City of Sioux Falls, South Dakota. Anyone may appear at that time and place and show reasons, if any, why Petitioner’s name should not be changed.
Dated this 21 day of October, 2025.
Karla Kalb
Clerk of Court
Attest: Karla Kalb
Clerk of Court
By: /s/
Deputy
Published Oct. 24, Oct. 31, Nov. 7 & Nov. 14, 2025, at the approximate cost of $55.43, and may be viewed free of charge at www.sdpublicnotices.com or TheDakotaScout.com.
-
PUBLISH: Oct. 24, Oct. 31, Nov. 7 & Nov. 14, 2025
STATE OF SOUTH DAKOTA
COUNTY OF MINNEHAHA
:SS IN CIRCUIT COURT
SECOND JUDICIAL CIRCUIT
DWAYNE JACOBSON, PLAINTIFF,
VS.
ESTATE OF RALPH F. GARDNER, DEFENDANT.
49CIV25-003490
SUMMONS BY PUBLICATION
TO THE ESTATE OF RALPH F. GARDNER AND ALL INDIVIDUALS OR ENTITIES THAT HAVE AN INTEREST IN THE REAL PROPERTY COVERED BY THE FOLLOWING LEGAL DESCRIPTION:
All of County Auditor’s Tract No. 1 of the Northwest Quarter (NW1/4) of Section Twenty (20), Township One Hundred Three (103) North, Range Forty-seven (47), West of the Fifth Principal Meridian, except that portion of said tract lying west of the forty (40) foot strip referred to as reserved for street purposes in that certain warranty deed filed for record in the office of the Register of Deeds of Minnehaha County, South Dakota, on July 18th, 1890, and recorded in Book 36 of Deeds, on page 375 thereof, the portion of said County Auditor’s Tract 1 hereby conveyed being otherwise described as follows: Beginning at the Northeast corner of Block Seventeen (17) Royce’s Third Addition to Garretson, thence North Eighty (80) feet, thence West forty-eight and eight tenths (48.8) feet, thence Northeast thirty-six (36) feet, along the West line of Block Sixteen (16) of Royce’s Fourth Addition to Garretson, thence West to Railroad Right-of-way, thence south-west along Railroad Right-of-way to a point in line with the North line of Block Seventeen (17), thence East to the point of beginning, all in the City of Garretson, Minnehaha County
Please be advised that the above-named Plaintiff has initiated a lawsuit for adverse possession of the above-described real property. You are hereby summoned and required to file to file an Answer or appearance to the Complaint, which was filed with the Minnehaha Clerk of Courts, 425 N Dakota Ave, Suite 202, Sioux Falls, SD 57104 on August 5, 2025, and to serve a copy of your Answer on the attorneys for Plaintiff, no later than January 1, 2026.
If you fail to do so, judgment by default may be rendered against you as requested in the Complaint thirty (30) days after expiration of such time.
Dated October 17, 2025.
HALBACH|SZWARC LAW FIRM
/s/ Robert D. Trzynka
Robert D. Trzynka
108 S. Grange Ave.
Sioux Falls, SD 57104
Phone: (605) 910-7645
Email: BobT@HalbachLawfirm.com
Attorneys for Plaintiff
Published Oct. 24, Oct. 31, Nov. 7 & Nov. 14, 2025, at the approximate cost of $110.23, and may be viewed free of charge at www.sdpublicnotices.com or TheDakotaScout.com.
-
PUBLISH: Nov. 7 & Nov. 14, 2025
IN THE STATE OF SOUTH DAKOTA,
COUNTY OF MINNEHAHA
IN CIRCUIT COURT,
SECOND JUDICIAL CIRCUIT COURT
IDAHO HOUSING AND FINANCE ASSOCIATION, PLAINTIFF,
V.
CHRIS BEATTY A/K/A CHRIS W. BEATTY A/K/A CHRISTOPHER WAYNE BEATTY AND THORSON HEATING INC. AND UNITED STATES OF AMERICA ACTING BY AND THROUGH THE SECRETARY OF HOUSING AND URBAN DEVELOPMENT, AND ANY PERSON IN POSSESSION, DEFENDANTS.
NOTICE OF REAL ESTATE SALE ON FORECLOSURE CIVIL NUMBER: 49CIV25-001895
A Non-Monetary Judgment of Foreclosure was entered in favor of Plaintiff and against Defendants, which judgment was filed with the Clerk of Courts of Minnehaha County, South Dakota, on September 11, 2025, in the amount of $155,187.61, for the foreclosure of a real estate mortgage.
Notice is hereby given pursuant to said judgment that the real property described in
the Real Estate Mortgage dated July 19, 2017, and recorded in the office of the Register of Deeds of Minnehaha County, South Dakota, on July 21, 2017, in Book 1822 of Mtgs, at Page 675, as Instrument Number R716467. which Chris Beatty, mortgagor, executed and delivered to Mortgage Electronic Registration Systems, Inc., as Mortgagee, as nominee for Reliabank Dakota, its successors and assigns, mortgagee, for the property located at 2100 W 31st St, Sioux Falls, SD 57105, and legally described as:
The South 14 Feet of Lot 5 and all of Lot 6 in Block 2 of Morstad’s Addition to Sioux Falls, Minnehaha County, South Dakota, according to the recorded plat thereof
in order to realize the amount of the above-referenced judgment, plus interest accruing thereafter on said amount, together with the costs and expenses of sale, will be sold subject to redemption as provided by law as one parcel of land at public auction, subject to easements and restrictions of record, to the highest bidder for cash under the direction of the Minnehaha County Sheriff, at the Law Enforcement Center located at 320 West 4th Street, Sioux Falls, SD 57104, on January 21, 2026 at 11:00 AM.
Dated this 24th day of October, 2025
SHERIFF OF MINNEHAHA COUNTY
By: Jared Terrones
Name: Dep. Terrones #991
Halliday, Watkins & Mann, P.C.
By /s/ Zachary Nesbit
Zachary Nesbit
Attorneys for Plaintiff
376 East 400 South, Suite 300
Salt Lake City, UT 84111
Tel: 801-355-2886
Email: zach@hwmlawfirm.com
Published twice on Nov. 7 & Nov. 14, 2025, at the approximate cost of $63.59, and may be viewed free of charge at www.sdpublicnotices.com or TheDakotaScout.com.
-
PUBLISH: Nov. 7 & Nov. 14, 2025
IN THE STATE OF SOUTH DAKOTA,
COUNTY OF MINNEHAHA
IN CIRCUIT COURT,
SECOND JUDICIAL CIRCUIT COURT
CITIZENS BANK NA F/K/A RBS CITIZENS NA, PLAINTIFF,
V.
TERESA M. FETTERS AND A.A.A. COLLECTIONS, INC., AND ANY PERSON IN POSSESSION, DEFENDANTS.
NOTICE OF REAL ESTATE SALE ON FORECLOSURE
CIVIL NUMBER: 49CIV24-002702
A Non-Monetary Judgment of Foreclosure was entered in favor of Plaintiff and against Defendants, which judgment was filed with the Clerk of Courts of Minnehaha County, South Dakota, on September 17, 2025, in the amount of $153,190.64, for the foreclosure of a real estate mortgage.
Notice is hereby given pursuant to said judgment that the real property described in
the Real Estate Mortgage dated December 28, 2020, and recorded in the office of the Register of Deeds of Minnehaha County, South Dakota, on January 7, 2021, in Book 1910 of Mtgs, at Page 664, as Instrument Number R100913, which Teresa M. Fetters, mortgagor, executed and delivered to Mortgage Electronic Registration Systems, Inc., as Mortgagee, as nominee for First Premier Bank, its successors and assigns, mortgagee, for the property located at 2313 E 18th Street, Sioux Falls, SD 57103, and legally described as:
Lot 4 in Block 1 of Subdivision of Lots 11 and 12 and Part of Lots 1 and 15 of Riverview Addition in Part of the Southeast Quarter (SE1/4) of Section 22, Township 101 North, Range 49 West of the 5th P.M., Minnehaha County, South Dakota, according to the recorded plat thereof
in order to realize the amount of the above-referenced judgment, plus interest accruing thereafter on said amount, together with the costs and expenses of sale, will be sold subject to redemption as provided by law as one parcel of land at public auction, subject to easements and restrictions of record, to the highest bidder for cash under the direction of the Minnehaha County Sheriff, at the Law Enforcement Center located at 320 West 4th Street, Sioux Falls, SD 57104, on January 07, 2026 at 11:00 AM.
Dated this 24th day of October, 2025
SHERIFF OF MINNEHAHA COUNTY
By: Jared Terrones
Name: Dep. Torrones #991
Halliday, Watkins & Mann, P.C.
By /s/ Zachary Nesbit
Zachary Nesbit
Attorneys for Plaintiff
376 East 400 South, Suite 300
Salt Lake City, UT 84111
Tel: 801-355-2886
Email: zach@hwmlawfirm.com
Published twice on Nov. 7 & Nov. 14, 2025, at the approximate cost of $63.59, and may be viewed free of charge at www.sdpublicnotices.com or TheDakotaScout.com.
-
PUBLISH: Nov. 7 & Nov. 14, 2025
IN THE STATE OF SOUTH DAKOTA,
COUNTY OF MINNEHAHA
IN CIRCUIT COURT,
SECOND JUDICIAL CIRCUIT COURT
NATIONSTAR MORTGAGE LLC, PLAINTIFF,
V.
JASON WALZ AND ACCOUNTS MANAGEMENT, INC. , AND ANY PERSON IN POSSESSION, DEFENDANTS.
NOTICE OF REAL ESTATE SALE ON FORECLOSURE
CIVIL NUMBER: 49CIV24-000534
A Non-Monetary Judgment of Foreclosure was entered in favor of Plaintiff and against Defendants, which judgment was filed with the Clerk of Courts of Minnehaha County, South Dakota, on August 1, 2025 in the amount of $186,341.56, for the foreclosure of a real estate mortgage.
Notice is hereby given pursuant to said judgment that the real property described in
the Real Estate Mortgage dated November 8, 2018, and recorded in the office of the Register of Deeds of Minnehaha County, South Dakota, on November 14, 2018, in Book 1850 of Mtgs, at Page 577, as Instrument Number R826743 which Jason Walz, mortgagor, executed and delivered to Mortgage Electronic Registration Systems, Inc., as mortgagee, as nominee for Bank Midwest, its successors and assigns, mortgagee, for the property located at 909 S Colleen Lane, Sioux Falls, SD 57106, and legally described as:
Lot 10A in Block 1 of River Run Addition to the City of Sioux Falls, Minnehaha County, South Dakota, according to the Recorded Plat thereof
in order to realize the amount of the above-referenced judgment, plus interest accruing thereafter on said amount, together with the costs and expenses of sale, will be sold subject to redemption as provided by law as one parcel of land at public auction, subject to easements and restrictions of record, to the highest bidder for cash under the direction of the Minnehaha County Sheriff, at the Law Enforcement Center located at 320 West 4th Street, Sioux Falls, SD 57104, on January 14, 2026 at 11:00 AM.
Dated this 31st day of October, 2025
SHERIFF OF MINNEHAHA COUNTY
By: Michael Brendan #578Name: Michael Brendan
Deputy Sheriff
Halliday, Watkins & Mann, P.C.
By/s/Jason Tingle _
Jason Tingle
Attorneys for Plaintiff
376 East 400 South, Suite 300
Salt Lake City, UT 84111
Tel: 801-355-2886
Email: jtingle@hwmlawfirm.com
Published twice on Nov. 7 & Nov. 14, 2025, at the approximate cost of $60.10, and may be viewed free of charge at www.sdpublicnotices.com or TheDakotaScout.com.
-
PUBLISH: Nov. 7 & Nov. 14, 2025
IN THE STATE OF SOUTH DAKOTA,
COUNTY OF MINNEHAHA
IN CIRCUIT COURT,
SECOND JUDICIAL CIRCUIT COURT
IDAHO HOUSING AND FINANCE ASSOCIATION, PLAINTIFF,
V.
TODD S. FLETCHER AND A.A.A. COLLECTIONS, INC. AND CITY OF BRANDON, SOUTH DAKOTA AND SOUTH DAKOTA HOUSING DEVELOPMENT AUTHORITY, AND ANY PERSON IN POSSESSION, DEFENDANTS.
NOTICE OF REAL ESTATE SALE ON FORECLOSURE
CIVIL NUMBER: 49CIV23-001877
A Non-Monetary Judgment of Foreclosure was entered in favor of Plaintiff and against Defendants, which judgment was filed with the Clerk of Courts of Minnehaha County, South Dakota, on August 30, 2024, in the amount of $214,762.73, for the foreclosure of a real estate mortgage.
Notice is hereby given pursuant to said judgment that the real property described in
the Real Estate Mortgage dated October 23, 2020, and recorded in the office of the Register of Deeds of Minnehaha County, South Dakota, on November 18, 2020, in Book 1905 of Mtgs, at Page 733, as Instrument Number R039996, which Todd S. Fletcher, mortgagor, executed and delivered to Mortgage Electronic Registration Systems, Inc., as Mortgagee, as nominee for Fairway Independent Mortgage Corporation, its successors and assigns, mortgagee, for the property located at 205 S 4th Avenue, Brandon, SD 57005, and legally described as:
Lot 2 in Block 6 of Brandon Terraces in the West Half of the Southeast Quarter of Section 34, Township 102 North, Range 48 West of the 5th P.M., Minnehaha County, South Dakota, according to the Recorded Plat thereof
in order to realize the amount of the above-referenced judgment, plus interest accruing thereafter on said amount, together with the costs and expenses of sale, will be sold subject to redemption as provided by law as one parcel of land at public auction, subject to easements and restrictions of record, to the highest bidder for cash under the direction of the Minnehaha County Sheriff, at the Law Enforcement Center located at 320 West 4th Street, Sioux Falls, SD 57104, on January 7, 2026 at 11:00 AM.
Dated this 20th day of October, 2025
Michael Milstead
SHERIFF OF MINNEHAHA COUNTY
By Deputy Corrie Alexander 856
Name: Corrie Alexander
Halliday, Watkins & Mann, P.C.
By /s/ Zachary Nesbit
Zachary Nesbit
Attorneys for Plaintiff
376 East 400 South, Suite 300
Salt Lake City, UT 84111
Tel: 801-355-2886
Email: zach@hwmlawfirm.com
Published twice on Nov. 7 & Nov. 14, 2025, at the approximate cost of $65.33, and may be viewed free of charge at www.sdpublicnotices.com or TheDakotaScout.com.
-
PUBLISH: Nov. 7 & Nov. 14, 2025
IN THE STATE OF SOUTH DAKOTA,
COUNTY OF MINNEHAHA
IN CIRCUIT COURT,
SECOND JUDICIAL CIRCUIT COURT IDAHO HOUSING AND FINANCE ASSOCIATION, PLAINTIFF,
V.
JESSICA MAY AND ACCOUNTS MANAGEMENT, INC. AND COUNTY OF MINNEHAHA AND SOUTH DAKOTA HOUSING DEVELOPMENT AUTHORITY AND UNITED STATES OF AMERICA ACTING BY AND THROUGH THE SECRETARY OF HOUSING AND URBAN DEVELOPMENT, AND ANY PERSON IN POSSESSION, DEFENDANTS.
NOTICE OF REAL ESTATE SALE ON FORECLOSURE
CIVIL NUMBER: 49CIV25-000818
A Non-Monetary Judgment of Foreclosure was entered in favor of Plaintiff and against Defendants, which judgment was filed with the Clerk of Courts of Minnehaha County, South Dakota, on September 11, 2025, in the amount of $196,361.29, for the foreclosure of a real estate mortgage.
Notice is hereby given pursuant to said judgment that the real property described in
the Real Estate Mortgage dated September 17, 2021, and recorded in the office of the Register of Deeds of Minnehaha County, South Dakota, on September 28, 2021, in Book 1935 of Mtgs, at Page 439, as Instrument Number R133986, which Jessica May, mortgagor, executed and delivered to Mortgage Electronic Registration Systems, Inc., as Mortgagee, as Nominee, for Service First Federal Credit Union, its successors and assigns, mortgagee, for the property located at 509 S Thompson Avenue, Sioux Falls, SD 57103, and legally described as:
Lot 230 of Eastview Extension in the Northwest Quarter of the Northwest Quarter (NW1/4NW1/4) of Section 23, Township 101 North, Range 49 West of the 5th P.M., Minnehaha County, South Dakota, according to the recorded Plat thereof
in order to realize the amount of the above-referenced judgment, plus interest accruing thereafter on said amount, together with the costs and expenses of sale, will be sold subject to redemption as provided by law as one parcel of land at public auction, subject to easements and restrictions of record, to the highest bidder for cash under the direction of the Minnehaha County Sheriff, at the Law Enforcement Center located at 320 West 4th Street, Sioux Falls, SD 57104, on January 14, 2026 at 11:00 AM.
Dated this 27th day of October, 2025
SHERIFF OF MINNEHAHA COUNTY
By: Michael Milstead
Name: Corrie Alexander
Halliday, Watkins & Mann, P.C.
By /s/ Zachary Nesbit
Zachary Nesbit
Attorneys for Plaintiff
376 East 400 South, Suite 300
Salt Lake City, UT 84111
Tel: 801-355-2886
Email: zach@hwmlawfirm.com
Published twice on Nov. 7 & Nov. 14, 2025, at the approximate cost of $68.23, and may be viewed free of charge at www.sdpublicnotices.com or TheDakotaScout.com.
-
PUBLISH: Nov. 7 & Nov. 14, 2025
IN THE STATE OF SOUTH DAKOTA,
COUNTY OF MINNEHAHA
IN CIRCUIT COURT,
SECOND JUDICIAL CIRCUIT COURT
PENNYMAC LOAN SERVICES, LLC, PLAINTIFF,
V.
DOROTHY A. CLYDE AND HEIRS & DEVISEES OF THE ESTATE OF DOROTHY A. CLYDE AND ALL PERSONS UNKNOWN, CLAIMING ANY ESTATE OR INTEREST IN, OR LIEN OR ENCUMBRANCE UPON, THE REAL ESTATE DESCRIBED IN THE COMPLAINT, AND ANY PERSON IN POSSESSION, DEFENDANTS.
NOTICE OF REAL ESTATE SALE ON FORECLOSURE
CIVIL NUMBER: 49CIV24-003504
A Non-Monetary Judgment of Foreclosure was entered in favor of Plaintiff and against Defendants, which judgment was filed with the Clerk of Courts of Minnehaha County, South Dakota, on September 5, 2025 in the amount of $52,268.74, for the foreclosure of a real estate mortgage.
Notice is hereby given pursuant to said judgment that the real property described in
the Real Estate Mortgage dated April 25, 2017, and recorded in the office of the Register of Deeds of Minnehaha County, South Dakota, on May 3, 2017, in Book 1817 of Mtgs, at Page 730, as Instrument Number R709230 which Dorothy A. Clyde, mortgagor, executed and delivered to Mortgage Electronic Registration Systems, Inc., as Mortgagee, as nominee for Plains Commerce Bank, its successors and assigns, for the property located at 2104 E Russell Street, Sioux Falls, SD 57103, and legally described as:
Lots 9, 10 and 11 in Block 2 of Dow’s Subdivision of Tract 7 of Mason’s Addition to Sioux Falls, Minnehaha County, South Dakota, according to the recorded plat thereof
in order to realize the amount of the above-referenced judgment, plus interest accruing thereafter on said amount, together with the costs and expenses of sale, will be sold subject to redemption as provided by law as one parcel of land at public auction, subject to easements and restrictions of record, to the highest bidder for cash under the direction of the Minnehaha County Sheriff, at the Law Enforcement Center located at 320 West 4th Street, Sioux Falls, SD 57104, on January 14, 2026 at 11:00 AM.
Dated this 27th day of October, 2025
SHERIFF OF MINNEHAHA COUNTY
By: Michael Milstead
Name: Corrie Alexander
Halliday, Watkins & Mann, P.C.
By/s/Jason Tingle
Jason Tingle
Attorneys for Plaintiff
376 East 400 South, Suite 300
Salt Lake City, UT 84111
Tel: 801-355-2886
Email: jtingle@hwmlawfirm.com
Published twice on Nov. 7 & Nov. 14, 2025, at the approximate cost of $64.75, and may be viewed free of charge at www.sdpublicnotices.com or TheDakotaScout.com.
-
PUBLISH: Nov. 7 & Nov. 14, 2025
IN THE STATE OF SOUTH DAKOTA,
COUNTY OF MINNEHAHA
IN CIRCUIT COURT,
SECOND JUDICIAL CIRCUIT COURT
LAND HOME FINANCIAL SERVICES, INC., PLAINTIFF,
V.
TAMMIE LYNN STRONG AND AAA COLLECTIONS INC. AND ACCOUNTS MANAGEMENT, INC. AND CONNELLY WATER CONDITIONING OF SIOUX FALLS, INC. DBA CULLIGAN WATER CONDITIONING AND UNITED STATES OF AMERICA ACTING BY AND THROUGH THE SECRETARY OF HOUSING AND URBAN DEVELOPMENT, AND ANY PERSON IN POSSESSION, DEFENDANTS.
NOTICE OF REAL ESTATE SALE ON FORECLOSURE
CIVIL NUMBER: 49CIV25-002432
A Non-Monetary Judgment of Foreclosure was entered in favor of Plaintiff and against Defendants, which judgment was filed with the Clerk of Courts of Minnehaha County, South Dakota, on September 2, 2025, in the amount of $111,038.76, for the foreclosure of a real estate mortgage.
Notice is hereby given pursuant to said judgment that the real property described in
the Real Estate Mortgage dated August 25, 2017, and recorded in the office of the Register of Deeds of Minnehaha County, South Dakota, on August 29, 2017, in Book 1825 of Mtgs, at Page 251, as Instrument Number R720077, which Tammie Lynn Strong, mortgagor, executed and delivered to Mortgage Electronic Registration Systems, Inc., as Mortgagee, as nominee for Land Home Financial Services, Inc, its successors and assigns, mortgagee, for the property located at 2921 N. Highland Ave, Sioux Falls, SD 57104, and legally described as:
Tract 53 of Norton Tract Subdivision in the South Half (S1/2) of Section 3, Township 101 North, Range 49 West of the 5th P.M., Minnehaha County, South Dakota, according to the recorded plat thereof, except the West 200 feet thereof
in order to realize the amount of the above-referenced judgment, plus interest accruing thereafter on said amount, together with the costs and expenses of sale, will be sold subject to redemption as provided by law as one parcel of land at public auction, subject to easements and restrictions of record, to the highest bidder for cash under the direction of the Minnehaha County Sheriff, at the Law Enforcement Center located at 320 West 4th Street, Sioux Falls, SD 57104, on January 21, 2026 at 11:00 AM.
Dated this 27th day of October, 2025
SHERIFF OF MINNEHAHA COUNTY
By: Michael Milstead
Name: Corrie Alexander
Halliday, Watkins & Mann, P.C.
By /s/ Zachary Nesbit
Zachary Nesbit
Attorneys for Plaintiff
376 East 400 South, Suite 300
Salt Lake City, UT 84111
Tel: 801-355-2886
Email: zach@hwmlawfirm.com
Published twice on Nov. 7 & Nov. 14, 2025, at the approximate cost of $67.65, and may be viewed free of charge at www.sdpublicnotices.com or TheDakotaScout.com.
-
PUBLISH: Nov. 7 & Nov. 14, 2025
IN THE STATE OF SOUTH DAKOTA,
COUNTY OF MINNEHAHA
IN CIRCUIT COURT,
SECOND JUDICIAL CIRCUIT COURT
WELLS FARGO BANK, N.A., PLAINTIFF,
V.
KELLY D. EMMONS, AND ANY PERSON IN POSSESSION, DEFENDANTS.
NOTICE OF REAL ESTATE SALE ON FORECLOSURE
CIVIL NUMBER: 49CIV23-001448
A Non-Monetary Judgment of Foreclosure was entered in favor of Plaintiff and against Defendants, which judgment was filed with the Clerk of Courts of Minnehaha County, South Dakota, on June 3, 2025, in the amount of $204,998.87, for the foreclosure of a real estate mortgage.
Notice is hereby given pursuant to said judgment that the real property described in
the Real Estate Mortgage dated March 4, 2019, and recorded in the office of the Register of Deeds of Minnehaha County, South Dakota, on March 5, 2019, in Book 1855 of Mtgs, at Page 648, as Instrument Number R904067, which Kelly D. Emmons, mortgagor, executed and delivered to Mortgage Electronic Registration Systems, Inc., as Mortgagee, as nominee for Sioux Falls Federal Credit Union, its successors and assigns, mortgagee, for the property located at 2904 E 19th Street, Sioux Falls, SD 57103, and legally described as:
Lot 33, and the Northeasterly 10 feet of Lot 34 being parallel to and adjacent to the Southwesterly line of Lot 33, in Block 3 of Hilltop Heights, an Addition to the City of Sioux Falls, Minnehaha County, South Dakota, according to the Recorded Plat thereof
in order to realize the amount of the above-referenced judgment, plus interest accruing thereafter on said amount, together with the costs and expenses of sale, will be sold subject to redemption as provided by law as one parcel of land at public auction, subject to easements and restrictions of record, to the highest bidder for cash under the direction of the Minnehaha County Sheriff, at the Law Enforcement Center located at 320 West 4th Street, Sioux Falls, SD 57104, on January 14, 2026 at 11:00 AM.
Dated this 29th day of October, 2025
SHERIFF OF MINNEHAHA COUNTY
By Michael Milstead
Name: Deputy Corrie Alexander
Halliday, Watkins & Mann, P.C.
By /s/ Zachary Nesbit
Zachary Nesbit
Attorneys for Plaintiff
376 East 400 South, Suite 300
Salt Lake City, UT 84111
Tel: 801-355-2886
Email: zach@hwmlawfirm.com
Published twice on Nov. 7 & Nov. 14, 2025, at the approximate cost of $61.27, and may be viewed free of charge at www.sdpublicnotices.com or TheDakotaScout.com.
-
PUBLISH: Nov. 7 & Nov. 14, 2025
IN THE STATE OF SOUTH DAKOTA,
COUNTY OF MINNEHAHA
IN CIRCUIT COURT,
SECOND JUDICIAL CIRCUIT COURT
ROCKET MORTGAGE, LLC F/K/A QUICKEN LOANS, LLC, PLAINTIFF,
V.
JESSE PETERSON AND A.A.A. COLLECTIONS, INC. AND ACCOUNTS MANAGEMENT, INC. AND UNITED STATES OF AMERICA ACTING BY AND THROUGH THE SECRETARY OF HOUSING AND URBAN DEVELOPMENT, AND ANY PERSON IN POSSESSION, DEFENDANTS.
NOTICE OF REAL ESTATE SALE ON FORECLOSURE
CIVIL NUMBER: 49CIV25-002537
A Non-Monetary Judgment of Foreclosure was entered in favor of Plaintiff and against Defendants, which judgment was filed with the Clerk of Courts of Minnehaha County, South Dakota, on September 3, 2025, in the amount of $257,945.67, for the foreclosure of a real estate mortgage.
Notice is hereby given pursuant to said judgment that the real property described in
the Real Estate Mortgage dated August 18, 2022, and recorded in the office of the Register of Deeds of Minnehaha County, South Dakota, on August 19, 2022, in Book 1958 of Mtgs, at Page 170, as Instrument Number R121797, which Jesse Peterson, mortgagor, executed and delivered to Mortgage Electronic Registration Systems, Inc., as mortgagee, as nominee for Rocket Mortgage, LLC, its successors and assigns, mortgagee, for the property located at 201 Nidaros Ave, Baltic, SD 57003, and legally described as:
LOTS 8 AND 9 IN BLOCK 5 OF LANGNESS’ FIRST ADDITION TO BALTIC, MINNEHAHA COUNTY, SOUTH DAKOTA, ACCORDING TO THE RECORDED PLAT THEREOF
in order to realize the amount of the above-referenced judgment, plus interest accruing thereafter on said amount, together with the costs and expenses of sale, will be sold subject to redemption as provided by law as one parcel of land at public auction, subject to easements and restrictions of record, to the highest bidder for cash under the direction of the Minnehaha County Sheriff, at the Law Enforcement Center located at 320 West 4th Street, Sioux Falls, SD 57104, on January 07, 2026 at 11:00 AM.
Dated this 22nd day of October, 2025
SHERIFF OF MINNEHAHA COUNTY
By: Michael Milstead
Name: Corrie Alexander
Halliday, Watkins & Mann, P.C.
By /s/ Zachary Nesbit
Zachary Nesbit
Attorneys for Plaintiff
376 East 400 South, Suite 300
Salt Lake City, UT 84111
Tel: 801-355-2886
Email: zach@hwmlawfirm.com
Published twice on Nov. 7 & Nov. 14, 2025, at the approximate cost of $64.75, and may be viewed free of charge at www.sdpublicnotices.com or TheDakotaScout.com.
-
PUBLISH: Nov. 7 & Nov. 14, 2025
IN THE STATE OF SOUTH DAKOTA,
COUNTY OF MINNEHAHA
IN CIRCUIT COURT,
SECOND JUDICIAL CIRCUIT COURT
U.S. BANK NATIONAL ASSOCIATION, PLAINTIFF,
V.
MARK A. SEVERSON AND FAWN TWOEAGLES AND CONVENIENT LOAN AND CREDICO, INC. D/B/A CREDIT COLLECTIONS BUREAU AS ASSIGNEE OF THE MONEY STATION AND GENTRY FINANCE AND MIDLAND FUNDING LLC AND PORTFOLIO RECOVERY ASSOCIATES, L.L.C. AND AAA COLLECTIONS, INC. AS ASSIGNEE OF RUSHMORE SERVICE CENTER, LLC AND STATE OF SOUTH DAKOTA, DEPARTMENT OF REVENUE AND STATE OF SOUTH DAKOTA, DEPARTMENT OF REVENUE AND SURETY FINANCE AND MINNEHAHA COUNTY, SOUTH DAKOTA, AND ANY PERSON IN POSSESSION, DEFENDANTS.
NOTICE OF REAL ESTATE SALE ON FORECLOSURE
CIVIL NUMBER: 49CIV19-001107
A Non-Monetary Judgment of Foreclosure was entered in favor of Plaintiff and against Defendants, which judgment was filed with the Clerk of Courts of Minnehaha County, South Dakota, on August 21, 2025, in the amount of $120,111.60, for the foreclosure of a real estate mortgage.
Notice is hereby given pursuant to said judgment that the real property described in
the Real Estate Mortgage dated June 1, 2012, and recorded in the office of the Register of Deeds of Minnehaha County, South Dakota, on June 4, 2012, in Book 1706 of Mtgs, at Page 76, as Instrument Number R215246, which Mark A. Severson and Fawn Twoeagles, mortgagor, executed and delivered to First Bank & Trust, mortgagee, for the property located at 3604 North 6th Avenue, Sioux Falls, SD 57104, and legally described as:
The North Half (N1/2) of Tract 131 of County Auditor’s Subdivision of the Northeast Quarter (NE1/4) of Section 4, Township 101 North, Range 49 West of the 5th P.M., Minnehaha County, South Dakota, according to the recorded plat thereof
in order to realize the amount of the above-referenced judgment, plus interest accruing thereafter on said amount, together with the costs and expenses of sale, will be sold subject to redemption as provided by law as one parcel of land at public auction, subject to easements and restrictions of record, to the highest bidder for cash under the direction of the Minnehaha County Sheriff, at the Law Enforcement Center located at 320 West 4th Street, Sioux Falls, SD 57104, on January 07, 2026 at 11:00 AM.
Dated this________day of _____________, 2025
SHERIFF OF MINNEHAHA COUNTY
By: Michael Milstead
Name: Corrie Alexander
Halliday, Watkins & Mann, P.C.
By /s/ Zachary Nesbit
Zachary Nesbit
Attorneys for Plaintiff
376 East 400 South, Suite 300
Salt Lake City, UT 84111
Tel: 801-355-2886
Email: zach@hwmlawfirm.com
Published twice on Nov. 7 & Nov. 14, 2025, at the approximate cost of $70.55, and may be viewed free of charge at www.sdpublicnotices.com or TheDakotaScout.com.
-
PUBLISH: Oct. 31, Nov. 7, Nov. 14 & Nov. 21, 2025
IN THE STATE OF SOUTH DAKOTA,
COUNTY OF MINNEHAHA
IN THE CIRCUIT COURT,
SECOND JUDICIAL CIRCUIT COURT
MCLP ASSET COMPANY, INC., PLAINTIFF,
V.
TONI MARIE UNDERBERG-REIL A/K/A TONI M. UNDERBERG-REIL AND CHAD REIL A/K/A CHAD MICHAEL REIL AND A. P. GENTRY D/B/A CONVENIENT LOAN A/K/A CONVENIENT LOANS AND GENTRY FINANCE CORP. OF SOUTH DAKOTA D/B/A CONVENIENT LOAN A/K/A CONVENIENT LOANS AND A.A.A. COLLECTIONS, INC. AND CREDICO, INC. D/B/A CREDIT COLLECTIONS BUREAU AND QUALITY LENDERS, INC. AND SECURITY CREDIT SERVICES, LLC, AS ASSIGNEE OF STERLING JEWELERS (KAY JEWELERS) AND TCS, INC. AND COUNTY OF MINNEHAHA, SOUTH DAKOTA AND STATE OF SOUTH DAKOTA, ACTING BY AND THROUGH THE DEPARTMENT OF LABOR AND REGULATION, REEMPLOYMENT ASSISTANCE (FORMER UNEMPLOYMENT INSURANCE) DIVISION AND HEIRS & DEVISEES OF THE ESTATE OF TONI M. UNDERBERG-REIL AND ALL PERSONS UNKNOWN, CLAIMING ANY ESTATE OR INTEREST IN, OR LIEN OR ENCUMBRANCE UPON, THE REAL ESTATE DESCRIBED IN THE COMPLAINT, AND ANY PERSON IN POSSESSION, DEFENDANTS.
SUMMONS
CIVIL NUMBER: 49CIV24-002050
1. To the above mentioned Defendant and all persons unknown, claiming any estate or interest in, or lien or encumbrance upon, the real property described in the complaint.
2. You are hereby summoned to appear and defend against the Complaint in this action, which has been filed with the Clerk of Court and is herewith served upon you, by serving upon the undersigned a copy of an Answer or other proper response within thirty (30) days after the service of this Summons upon you, exclusive of the day of service. If you fail to do so, Judgment by default will be taken against you for the relief demanded in the Complaint. The original Complaint is filed with the Clerk of the Circuit Court in the County in which this action is commenced.
3. This action relates to the foreclosure of a mortgage upon the following described real property located in the County of Minnehaha, State of South Dakota:
Lot 15, Block 2 of Lacey Park Addition to the City of Sioux Falls, Minnehaha County, South Dakota, according to the Recorded Plat thereof.
Property Address: 3038 N Presentation Court, Sioux Falls, SD 57104
4. The Plaintiff is not seeking a personal judgment against the above-named Defendants.
Date: May 22, 2024
/s/ Zachary Nesbit
Zachary Nesbit
Halliday, Watkins & Mann, P.C.
376 East 400 South, Suite 300
Salt Lake City, UT 84111
Tel: 801-355-2886
Fax: 801-328-9714
Email: zach@hwmlawfirm.com
Bar Number: 4161
HWM: 47548
Published on Oct. 31, Nov. 7, Nov. 14 & Nov. 21, 2025, at the approximate cost of $137.63, and may be viewed free of charge at www.sdpublicnotices.com or TheDakotaScout.com.
-
PUBLISH: Oct. 31, Nov. 7, Nov. 14 & Nov. 21, 2025
STATE OF SOUTH DAKOTA
COUNTY OF MINNEHAHA
:SS IN CIRCUIT COURT
SECOND JUDICIAL CIRCUIT
IN THE MATTER OF THE PETITION RE:
TAMARA JO REMPFER
FOR A CHANGE OF NAME TO:
TAMARA JO FRENCH
49CIV25-4696
NOTICE OF HEARING FOR ADULT NAME CHANGE
NOTICE IS HEREBY GIVEN that a Verified Petition for Adult Name Change has been filed by Tamara Jo Rempfer to change Petitioner’s name from Tamara Jo Rempfer to Tamara Jo French. The petition will be heard on the 9th day of December, 2025, at 11:00 a.m at the Minnehaha County Courthouse, in the City of Sioux Falls, South Dakota. Anyone may appear at that time and place and show reasons, if any, why Petitioner’s name should not be changed.
Dated this October 24, 2025.
HALBACH|SZWARC LAW FIRM
By: /s/ Alex S. Halbach
Alex S. Halbach
Halbach|Szwarc Law Firm
108 S. Grange Ave
Sioux Falls, SD 57104
P: (605) 910-7645
alexh@halbachlawfirm.com
Attorney for Petitioner
Published on Oct. 31, Nov. 7, Nov. 14 & Nov. 21, 2025, at the approximate cost of $57.63, and may be viewed free of charge at www.sdpublicnotices.com or TheDakotaScout.com.
-
PUBLISH: Nov. 14, 2025
STATE OF SOUTH DAKOTA
COUNTY OF MINNEHAHA
:SS IN CIRCUIT COURT
SECOND JUDICIAL CIRCUIT
IN THE MATTER OF
T D,
ALLEGED ABUSED/NEGLECTED CHILD
JUV25-000290
NOTICE OF ENTRY OF ORDER
TO: Unknown Father and all to whom it may concern:
You will take notice that on the 5th day of November, 2025 a Final Dispositional Order affecting your parental rights was made and entered in the matter entitled above by the above entitled Court and filed with the Clerk and that attached hereto is a true and correct copy thereof.
Dated this 10th day of November, 2025
/s/Brianna Palomaki
Carrie Mees/Brianna Palomaki/Lyndee Kamrath
Deputy State’s Attorney
Minnehaha County State’s Attorney’s Office
415 N. Dakota Ave.
Sioux Falls, SD 57104
(605) 367-4226
Published once on Nov. 14, 2025, at the approximate cost of $12.88, and may be viewed free of charge at www.sdpublicnotices.com or TheDakotaScout.com.
-
PUBLISH: Nov. 14, 2025
STATE OF SOUTH DAKOTA
COUNTY OF MINNEHAHA
:SS IN CIRCUIT COURT
SECOND JUDICIAL CIRCUIT
THE PEOPLE OF THE STATE OF SOUTH DAKOTA
EX REL, SOUTH DAKOTA DEPARTMENT OF SOCIAL SERVICES, IN THE INTEREST OF,
K K, S M,
ALLEGED ABUSED/NEGLECTED CHILDREN
AND CONCERNING
NATASHA LEE KNOX
UNKNOWN FATHER
CORY NOLAN MARSHALL
RESPONDENTS
JUV24-001221
SUMMONS
(ALLEGED ABUSED OR NEGLECTED CHILD)
TO: NATASHA LEE KNOX
UNKNOWN FATHER
CORY NOLAN MARSHALL
AND ALL WHOM IT MAY CONCERN
You are hereby summoned to appear before the above-named Court in its courtroom at the Minnehaha County Courthouse, 425 North Dakota Avenue, Sioux Falls, South Dakota, on December 30, 2025, at 10:00 AM to answer the Petition of Carrie Mees/Brianna Palomaki/Lyndee Kamrath, now on file with the Clerk of said Court, alleging the above named Children to be an abused/neglected Children and praying that said Children be taken from you and that a guardian be appointed with authority to consent to the adoption of said Children. You must appear at the time and place set forth above to show cause, if any you have, why said Children should not be found abused/neglected and the prayer of said Petition granted or said Children otherwise dealt with. Failure to appear is an admission to the allegation(s) contained in the Petition. You are further notified that the termination of parental rights is a possible remedy of these proceedings and that you and the above-named Children have the right to have an attorney present at all stages of the proceedings.
Dated at Sioux Falls, Minnehaha County, South Dakota, this 10th day of November, 2025.
KARLA KALB, Clerk
BY: /s/ Alyssa King (Cortez)
Deputy
Published once on Nov. 14, 2025, at the approximate cost of $25.12, and may be viewed free of charge at www.sdpublicnotices.com or TheDakotaScout.com.
-
PUBLISH: Nov. 21, 2025
STATE OF SOUTH DAKOTA
COUNTY OF MINNEHAHA
:SS IN CIRCUIT COURT
SECOND JUDICIAL CIRCUIT
THE PEOPLE OF THE STATE OF SOUTH DAKOTA
EX REL, SOUTH DAKOTA DEPARTMENT OF SOCIAL SERVICES, IN THE INTEREST OF,
E D, F D, K H, K H,
ALLEGED ABUSED/NEGLECTED CHILDREN
AND CONCERNING
TAMARA JO HAS NO HORSE
ANTHONY EARL DUBRAY JR
UNKNOWN FATHERS
RESPONDENTS
JUV24-001689
SUMMONS
(ALLEGED ABUSED OR NEGLECTED CHILD)
TO: TAMARA JO HAS NO HORSE
ANTHONY EARL DUBRAY JR
UNKNOWN FATHERS
KYLE WILLIAMSON
AND ALL WHOM IT MAY CONCERN
You are hereby summoned to appear before the above-named Court in its courtroom at the Minnehaha County Courthouse, 425 North Dakota Avenue, Sioux Falls, South Dakota, on Janaury 27th, 2026, at 10:00 AM to answer the Petition of Carrie Mees/Brianna Palomaki/Lyndee Kamrath, now on file with the Clerk of said Court, alleging the above named Children to be an abused/neglected Children and praying that said Children be taken from you and that a guardian be appointed with authority to consent to the adoption of said Children. You must appear at the time and place set forth above to show cause, if any you have, why said Children should not be found abused/neglected and the prayer of said Petition granted or said Children otherwise dealt with. Failure to appear is an admission to the allegation(s) contained in the Petition. You are further notified that the termination of parental rights is a possible remedy of these proceedings and that you and the above-named Children have the right to have an attorney present at all stages of the proceedings.
Dated at Sioux Falls, Minnehaha County, South Dakota, this 10th day of November, 2025.
KARLA KALB, Clerk
BY: /s/ Alyssa King (Cortez)
Deputy
Published once on Nov. 14, 2025, at the approximate cost of $26.41, and may be viewed free of charge at www.sdpublicnotices.com or TheDakotaScout.com.
-
PUBLISH: Nov. 14, 2025
STATE OF SOUTH DAKOTA
COUNTY OF MINNEHAHA
:SS IN CIRCUIT COURT
SECOND JUDICIAL CIRCUIT
IN THE MATTER OF
K H, ALLEGED ABUSED/NEGLECTED CHILD
JUV25-000374
NOTICE OF ENTRY OF ORDER
TO: Unknown Father, and all to whom it may concern:
You will take notice that on the 3rd day of November, 2025 an Order of Adjudication affecting your parental rights was made and entered in the matter entitled above by the above entitled Court and filed with the Clerk and that attached hereto is a true and correct copy thereof.
Dated this 10th day of November, 2025.
/s/Brianna Palomaki
Carrie Mees/Brianna Palomaki/Lyndee Kamrath
Deputy State’s Attorney
Minnehaha County State’s Attorney’s Office
415 N. Dakota Ave.
Sioux Falls, SD 57104
(605) 367-4226
Published once on Nov. 14, 2025, at the approximate cost of $12.88, and may be viewed free of charge at www.sdpublicnotices.com or TheDakotaScout.com.
-
PUBLISH: Nov. 14, 2025
STATE OF SOUTH DAKOTA
COUNTY OF MINNEHAHA
:SS IN CIRCUIT COURT
SECOND JUDICIAL CIRCUIT
THE PEOPLE OF THE STATE OF SOUTH DAKOTA
EX REL, SOUTH DAKOTA DEPARTMENT OF SOCIAL SERVICES, IN THE INTEREST OF,
J B, S R, S R, T R, ALLEGED ABUSED/NEGLECTED CHILDREN
AND CONCERNING
MELISSA STEWART ROSS
HOWARD LEON BRITTON
HEATH LEROY RALLS
RESPONDENTS
JUV24-000453
7TH AMENDED
SUMMONS
(ALLEGED ABUSED OR NEGLECTED CHILD)
TO: MELISSA STEWART ROSS
HOWARD LEON BRITTON
HEATH LEROY RALLS
AND ALL WHOM IT MAY CONCERN
You are hereby summoned to appear before the above-named Court in its courtroom at the Minnehaha County Courthouse, 425 North Dakota Avenue, Sioux Falls, South Dakota, on December 1, 2025, at 10:00 AM to answer the Petition of BRIANNA PALOMAKI, now on file with the Clerk of said Court, alleging the above named Children to be an abused/neglected Children and praying that said Children be taken from you and that a guardian be appointed with authority to consent to the adoption of said Children. You must appear at the time and place set forth above to show cause, if any you have, why said Children should not be found abused/neglected and the prayer of said Petition granted or said Children otherwise dealt with. Failure to appear is an admission to the allegation(s) contained in the Petition. You are further notified that the termination of parental rights is a possible remedy of these proceedings and that you and the above-named Children have the right to have an attorney present at all stages of the proceedings.
Dated at Sioux Falls, Minnehaha County, South Dakota, this 12th day of November 2025.
KARLA KALB, Clerk
BY: /s/ Alyssa King (Cortez)
Deputy
Published once on Nov. 14, 2025, at the approximate cost of $25.44, and may be viewed free of charge at www.sdpublicnotices.com or TheDakotaScout.com.
-
PUBLISH: Nov. 14, 2025
STATE OF SOUTH DAKOTA
COUNTY OF MINNEHAHA
:SS IN CIRCUIT COURT
SECOND JUDICIAL CIRCUIT
THE PEOPLE OF THE STATE OF SOUTH DAKOTA
EX REL, SOUTH DAKOTA DEPARTMENT OF SOCIAL SERVICES, IN THE INTEREST OF,
N T, ALLEGED ABUSED/NEGLECTED CHILD
AND CONCERNING
BRIANE FAITH TURNER
NORMAN BROWN
RESPONDENTS
JUV25-000977
AMENDED SUMMONS
(ALLEGED ABUSED OR NEGLECTED CHILD)
TO: BRIANE FAITH TURNER
NORMAN BROWN
AND ALL WHOM IT MAY CONCERN
You are hereby summoned to appear before the above-named Court in its courtroom at the Minnehaha County Courthouse, 425 North Dakota Avenue, Sioux Falls, South Dakota, on April 1, 2026, at 9:00 AM to answer the Petition of BRIANNA PALOMAKI, now on file with the Clerk of said Court, alleging the above named Child to be an abused/neglected Child and praying that said Child be taken from you and that a guardian be appointed with authority to consent to the adoption of said Child. You must appear at the time and place set forth above to show cause, if any you have, why said Child should not be found abused/neglected and the prayer of said Petition granted or said Child otherwise dealt with. Failure to appear is an admission to the allegation(s) contained in the Petition. You are further notified that the termination of parental rights is a possible remedy of these proceedings and that you and the above-named Child have the right to have an attorney present at all stages of the proceedings.
Dated at Sioux Falls, Minnehaha County, South Dakota, this 7th day of November, 2025.
KARLA KALB, Clerk
BY: /s/ Alyssa King (Cortez)
Deputy
Published once on Nov. 14, 2025, at the approximate cost of $23.83, and may be viewed free of charge at www.sdpublicnotices.com or TheDakotaScout.com.
The Dakota Scout is the official newspaper of the city of Sioux Falls, the Sioux Falls School District, the Harrisburg School District, Minnehaha and Lincoln counties, and the city of Baltic.









