Legals & Public Notices: March 7, 2025
City of Sioux Falls, Sioux Falls School District, Baltic, Minnehaha County, Lincoln County, Notices to Creditors, Name Changes, Bid Notices, Pardon Application, Summons, Sheriff Sale
CITY OF SIOUX FALLS
PUBLISH: Feb. 28 & Mar. 7, 2025
BID REQUEST NO. 25-0054
NOTICE TO BIDDERS
The City of Sioux Falls, SD, requests formal bids for a Cab and Chassis Flatbed Body with Hoist.
To participate, you must be registered as a vendor in Bonfire. Register at siouxfalls.bonfirehub.com by selecting “Register” next to the login tab. After you have registered, navigate to the Open Public Opportunities tab to view this invitation for bid. Bids will be electronically submitted through Bonfire and will be received by Bonfire not later than 2 p.m., Central time, March 13, 2025. Immediately thereafter, the bids will be publicly opened and read at 3 p.m., Central time, City Hall, 224 W. 9th St., Sioux Falls, SD 57104. You may watch the bid opening virtually via Webex by utilizing information and links located at www.siouxfalls.gov/purchasing.
There will be a pre-bid meeting held on March 5, 2025, at 9:30 a.m. at the Fleet Conference Room, 1000 E. Chambers Ave., Sioux Falls, SD, 57104, for interested bidders.
It is the vendor’s responsibility to check the Bonfire website for any changes or updates to the invitation for bid, which will be in the form of an addendum posted to the Bonfire website.
Telegraphic, fax, email, and hand-delivered responses will not be accepted unless specifically authorized in the terms and conditions of the solicitation.
The City of Sioux Falls reserves the right to reject any or all bids, waive technicalities, and make award(s) as deemed to be in the best interest of Sioux Falls, SD.
Published twice on Feb. 28 & Mar. 7, 2025, at the approximate cost of $33.33, and may be viewed free of charge at www.sdpublicnotices.com or TheDakotaScout.com.
-
PUBLISH: Feb. 28 & Mar. 7, 2025
BID REQUEST NO. 25-1046
NOTICE TO BIDDERS
The City of Sioux Falls, SD requests formal bids for: Washington Pavilion Public Toilet Room Renovation – Phase 2.
To participate, you must be registered as a vendor in Bonfire. Register at siouxfalls.bonfirehub.com by selecting “New Vendor Registration” under the login tab. After you have registered, navigate to the Open Public Opportunities tab to view this invitation for bid. Bids will be electronically submitted through Bonfire and will be received by Bonfire not later than 2 p.m., Central time, March 20, 2025. Bids will be publicly opened and read at 3 p.m., Central time, City Hall, 224 W. 9th St., Sioux Falls, SD 57104. You may watch the bid opening virtually via Webex by utilizing information and links located at https://www.siouxfalls.gov/business-permits/bids- procurement/purchasing-bid-opening.
It is the bidder’s responsibility to check the Bonfire website for any changes or updates to the Invitation to Bid, which will be in the form of an addendum posted to the Bonfire website.
Telegraphic, fax, email, and hand-delivered responses will not be accepted unless specifically authorized in the terms and conditions of the Invitation to Bid.
The City of Sioux Falls reserves the right to reject any or all bids, waive technicalities, and make Award(s) as deemed to be in the best interest of Sioux Falls, SD.
A Pre-Bid Meeting is scheduled for Monday, March 10, 2025 at 10:00 a.m. at the project site to allow bidders the opportunity to review the existing site conditions. Interested bidders should park on the street (note most parking is metered), enter the main lobby, and assemble in the south area of the lobby. Although attendance is encouraged, it is not a mandatory prerequisite to submitting a bid.
Published twice on Feb. 28 & Mar. 7, 2025, at the approximate cost of $38.14, and may be viewed free of charge at www.sdpublicnotices.com or TheDakotaScout.com.
-
PUBLISH: Feb. 28 & Mar. 7, 2025
BID REQUEST NO. 25-1050
NOTICE TO BIDDERS
The City of Sioux Falls, SD, requests formal bids for Traffic Signal and Pedestrian Improvements, Cliff Avenue and 17th Street.
To participate, you must be registered as a vendor in Bonfire. Register at siouxfalls.bonfirehub.com by selecting “New Vendor Registration” under the login tab. After you have registered, navigate to the Open Public Opportunities tab to view this invitation for bid. Bids will be electronically submitted through Bonfire and will be received by Bonfire not later than 2 p.m., Central time, March 20, 2025. Bids will be publicly opened and read at 3 p.m., Central time, City Hall, 224 W. 9th St., Sioux Falls, SD 57104. You may watch the bid opening virtually via Webex by utilizing information and links located at www.siouxfalls.gov/purchasing.
It is the bidder’s responsibility to check the Bonfire website for any changes or updates to the Invitation to Bid, which will be in the form of an addendum posted to the Bonfire website.
Telegraphic, fax, email, and hand-delivered responses will not be accepted unless specifically authorized in the terms and conditions of the Invitation to Bid.
The City of Sioux Falls reserves the right to reject any or all bids, waive technicalities, and make award(s) as deemed to be in the best interest of Sioux Falls, SD.
Published twice on Feb. 28 & Mar. 7, 2025, at the approximate cost of $30.16, and may be viewed free of charge at www.sdpublicnotices.com or TheDakotaScout.com.
-
PUBLISH: Mar. 7 & Mar. 14, 2025
BID REQUEST NO. 25-0055
NOTICE TO BIDDERS
The City of Sioux Falls, SD, requests formal bids for Pad- and Pole-Mounted Transformers.
To participate, you must be registered as a vendor in Bonfire. Register at siouxfalls.bonfirehub.com by selecting “Register” next to the login tab. After you have registered, navigate to the Open Public Opportunities tab to view this invitation for bid. Bids will be electronically submitted through Bonfire and will be received by Bonfire not later than 2 p.m., Central time, March 20, 2025. Immediately thereafter, the bids will be publicly opened and read at 3 p.m., Central time, City Hall, 224 W. 9th St., Sioux Falls, SD 57104. You may watch the bid opening virtually via Webex by utilizing information and links located at www.siouxfalls.gov/purchasing.
It is the vendor’s responsibility to check the Bonfire website for any changes or updates to the invitation for bid, which will be in the form of an addendum posted to the Bonfire website.
Telegraphic, fax, email, and hand-delivered responses will not be accepted unless specifically authorized in the terms and conditions of the solicitation.
The City of Sioux Falls reserves the right to reject any or all bids, waive technicalities, and make award(s) as deemed to be in the best interest of Sioux Falls, SD.
Published twice on Mar. 7 & Mar. 14, 2025, at the approximate cost of $29.60, and may be viewed free of charge at www.sdpublicnotices.com or TheDakotaScout.com.
-
PUBLISH: Mar. 7 & Mar. 14, 2025
NOTICE OF SALE
NOTICE IS HEREBY GIVEN THAT THE CITY OF SIOUX FALLS WILL HOLD A PUBLIC AUCTION OF SURPLUS PROPERTY ONLINE STARTING MARCH 14, 2025.
Online auction will begin on Friday, March 14, 2025, at www.purplewave.com and will close the bidding on Tuesday, April 15, 2025 at approximately 10:00 A.M.
Auction items can be viewed at www.purplewave.com or https://www.siouxfalls.gov/business-permits/bids-procurement/auction or at the City of Sioux Falls Street Department facility at 1000 E Chambers St, during the Open House on April 11, 2025 from 11:00 a.m. – 1:00 p.m.
All non-titled equipment are subject to sales tax. Items will be available for review at www.purplewave.com on Friday, March 14, 2025. All items are sold as is, where is, and must be removed from the auction site per the City’s direction.
Additional information may be obtained by contacting the Jake Warembourg from Purple Wave at 605-660-8455, or by visiting the Purple Wave website at www.purplewave.com.
Published twice on Mar. 7 & Mar. 14, 2025, at the approximate cost of $24.47, and may be viewed free of charge at www.sdpublicnotices.com or TheDakotaScout.com.
-
PUBLISH: Mar. 7 & Mar. 14, 2025
BID REQUEST NO. 25-1012
NOTICE TO BIDDERS
The City of Sioux Falls, SD, requests formal bids for Asphalt Concrete Crack Sealing and Asphalt Mastic Joint Leveling – Various Locations.
To participate, you must be registered as a vendor in Bonfire. Register at siouxfalls.bonfirehub.com by selecting “New Vendor Registration” under the login tab. After you have registered, navigate to the Open Public Opportunities tab to view this invitation for bid. Bids will be electronically submitted through Bonfire and will be received by Bonfire not later than 2 p.m., Central time, March 27, 2025. Bids will be publicly opened and read at 3 p.m., Central time, City Hall, 224 W. 9th St., Sioux Falls, SD 57104. You may watch the bid opening virtually via Webex by utilizing information and links located at www.siouxfalls.gov/business-permits/bids- procurement/purchasing-bid-opening.
It is the bidder’s responsibility to check the Bonfire website for any changes or updates to the Invitation to Bid, which will be in the form of an addendum posted to the Bonfire website.
Telegraphic, fax, email, and hand-delivered responses will not be accepted unless specifically authorized in the terms and conditions of the Invitation to Bid.
The City of Sioux Falls reserves the right to reject any or all bids, waive technicalities, and make award(s) as deemed to be in the best interest of Sioux Falls, SD.
Published twice on Mar. 7 & Mar. 14, 2025, at the approximate cost of $31.30, and may be viewed free of charge at www.sdpublicnotices.com or TheDakotaScout.com.
-
PUBLISH: Mar. 7 & Mar. 14, 2025
BID REQUEST NO. 25-1020
NOTICE TO BIDDERS
The City of Sioux Falls, SD, requests formal bids for Water Service Concrete Repairs at Various Locations.
To participate, you must be registered as a vendor in Bonfire. Register at siouxfalls.bonfirehub.com by selecting “New Vendor Registration” under the login tab. After you have registered, navigate to the Open Public Opportunities tab to view this invitation for bid. Bids will be electronically submitted through Bonfire and will be received by Bonfire not later than 2 p.m., Central time, March 27, 2025. Bids will be publicly opened and read at 3 p.m., Central time, City Hall, 224 W. 9th St., Sioux Falls, SD 57104. You may watch the bid opening virtually via Webex by utilizing information and links located at www.siouxfalls.gov/purchasing.
It is the bidder’s responsibility to check the Bonfire website for any changes or updates to the Invitation to Bid, which will be in the form of an addendum posted to the Bonfire website.
Telegraphic, fax, email, and hand-delivered responses will not be accepted unless specifically authorized in the terms and conditions of the Invitation to Bid.
The City of Sioux Falls reserves the right to reject any or all bids, waive technicalities, and make award(s) as deemed to be in the best interest of Sioux Falls, SD.
Published twice on Mar. 7 & Mar. 14, 2025, at the approximate cost of $29.60, and may be viewed free of charge at www.sdpublicnotices.com or TheDakotaScout.com.
-
PUBLISH: Mar. 7 & Mar. 14, 2025
BID REQUEST NO. 25-1022
NOTICE TO BIDDERS
The City of Sioux Falls, SD, requests formal bids for South Cliff Avenue Concrete Rehabilitation from Big Sioux River Bridge to Tomar Road.
To participate, you must be registered as a vendor in Bonfire. Register at siouxfalls.bonfirehub.com by selecting “New Vendor Registration” under the login tab. After you have registered, navigate to the Open Public Opportunities tab to view this invitation for bid. Bids will be electronically submitted through Bonfire and will be received by Bonfire not later than 2 p.m., Central time, March 27, 2025. Bids will be publicly opened and read at 3 p.m., Central time, City Hall, 224 W. 9th St., Sioux Falls, SD 57104. You may watch the bid opening virtually via Webex by utilizing information and links located at www.siouxfalls.gov/purchasing.
It is the bidder’s responsibility to check the Bonfire website for any changes or updates to the Invitation to Bid, which will be in the form of an addendum posted to the Bonfire website.
Telegraphic, fax, email, and hand-delivered responses will not be accepted unless specifically authorized in the terms and conditions of the Invitation to Bid.
The City of Sioux Falls reserves the right to reject any or all bids, waive technicalities, and make award(s) as deemed to be in the best interest of Sioux Falls, SD.
Published twice on Mar. 7 & Mar. 14, 2025, at the approximate cost of $30.16, and may be viewed free of charge at www.sdpublicnotices.com or TheDakotaScout.com.
-
PUBLISH: Mar. 7 & Mar. 14, 2025
BID REQUEST NO. 25-1051
NOTICE TO BIDDERS
The City of Sioux Falls, SD, requests formal bids for Sanitary Sewer Repairs for 2025 Street Overlay Program.
To participate, you must be registered as a vendor in Bonfire. Register at siouxfalls.bonfirehub.com by selecting “New Vendor Registration” under the login tab. After you have registered, navigate to the Open Public Opportunities tab to view this invitation for bid. Bids will be electronically submitted through Bonfire and will be received by Bonfire not later than 2 p.m., Central time, March 27, 2025. Bids will be publicly opened and read at 3 p.m., Central time, City Hall, 224 W. 9th St., Sioux Falls, SD 57104. You may watch the bid opening virtually via Webex by utilizing information and links located at www.siouxfalls.gov/business-permits/bids-procurement/purchasing-bid-opening.
It is the bidder’s responsibility to check the Bonfire website for any changes or updates to the Invitation to Bid, which will be in the form of an addendum posted to the Bonfire website.
Telegraphic, fax, email, and hand-delivered responses will not be accepted unless specifically authorized in the terms and conditions of the Invitation to Bid.
The City of Sioux Falls reserves the right to reject any or all bids, waive technicalities, and make award(s) as deemed to be in the best interest of Sioux Falls, SD.
Published twice on Mar. 7 & Mar. 14, 2025, at the approximate cost of $30.74, and may be viewed free of charge at www.sdpublicnotices.com or TheDakotaScout.com.
-
PUBLISH: Mar. 7, 2025
MINUTES
Regular City Council Meeting
Tuesday, March 4, 2025, at 6:00 PM
Carnegie Town Hall, 235 West 10th St., Sioux Falls, South Dakota 57104
CALL TO ORDER
1. MEETING ROLL CALL
Present: Council Member Jennifer Sigette, Council Member Curt Soehl, Council Member Ryan Spellerberg, Council Member Richard L. Thomason, Council Member David Barranco, Council Member Miranda Basye, Council Member Sarah Cole, Council Member Rich Merkouris, Mayor Paul TenHaken
Absent: None
2. INVOCATION
• Dr. Erich McCandless, Empire Baptist Temple
3. PLEDGE OF ALLEGIANCE
CONSENT AGENDA
4. APPROVAL OF THE CONSENT AGENDA
A motion was made by Council Member Soehl and seconded by Council Member Spellerberg to approve the Consent Agenda.
Roll call vote to approve. 8 Yes: Sigette, Soehl, Spellerberg, Thomason, Barranco, Basye, Cole, Merkouris; 0 No: (None). Motion Passed.
5. APPROVAL OF MINUTES
• Informational Meeting of Tuesday, February 18, 2025
• City Council Meeting of Tuesday, February 18, 2025
• Joint City Council / Minnehaha County Commission Meeting of Tuesday, February 18, 2025
COMMUNICATIONS
6. Approval of contracts/agreements over $100K on the memorandum dated February 28, 2025.
7. Approval of a request pursuant to SDCL 35-1-5.5 from Stephanie Justesen to consume, but not sell, alcoholic beverages at the Old Courthouse Museum, 200 W. 6th St., on September 20, 2025.
APPLICATIONS
8. Special One-Day Liquor Licenses for T Slat Inc., to be operated at Augustana University, 2001 South Summit Avenue, for sporting events on March 7, 8, 9 & 15, 2025.
9. Special One-Day Liquor License for Prohibition Bar LLC to be operated at The Social, 301 South Thompson Avenue, for an event on March 22, 2025.
10. Special One-Day Liquor Licenses for Great Bear Recreation Park Inc., to be operated at 5901 East Rice Street (chalet and deck only) for a music festival on July 11 & 12, 2025.
The City Council concurs with the Minnehaha County Commission’s recommendation for approval of the following abatements:
11. Parcel #11608, for 2024 property taxes in the amount of $2,172.09. Reason: An error has been made in any identifying entry or description of the real property, in entering the valuation of the real property or in the extension of the tax, to the injury of the complainant.
12. Parcel #29300, for 2014 property taxes in the amount of $1,965.63. Reason: Applicant qualifies for exemption under SDCL 10-4-40 & 10-4-41 (Disabled Veteran).
13. Parcel #97433, for 2024 property taxes in the amount of $1,476.90. Reason: Applicant qualifies for exemption under SDCL 10-4-40 & 10-4-41 (Disabled Veteran).
14. Parcel #88879, for 2024 property taxes in the amount of $1,965.63. Reason: Applicant qualifies for exemption under SDCL 10-4-40 & 10-4-41 (Disabled Veteran).
15. Parcel #93642, for 2024 property taxes in the amount of $1,965.61. Reason: Applicant qualifies for exemption under SDCL 10-4-40 & 10-4-41 (Disabled Veteran).
16. Parcel #76009, for 2024 property taxes in the amount of $1,965.63. Reason: Applicant qualifies for exemption under SDCL 10-4-40 & 10-4-41 (Disabled Veteran).
17. Parcel #88842, for 2024 property taxes in the amount of $1,638.02. Reason: Applicant qualifies for exemption under SDCL 10-4-40 & 10-4-41 (Disabled Veteran).
18. Parcel #38022, for 2024 property taxes in the amount of $1,965.62. Reason: Applicant qualifies for exemption under SDCL 10-4-40 & 10-4-41 (Disabled Veteran).
19. Parcel #44841, for 2024 property taxes in the amount of $1,965.63. Reason: Applicant qualifies for exemption under SDCL 10-4-40 & 10-4-41 (Disabled Veteran).
20. Parcel #76717, for 2024 property taxes in the amount of $1,972.26. Reason: Applicant qualifies for exemption under SDCL 10-4-40 & 10-4-41 (Disabled Veteran).
21. Parcel #34258, for 2024 property taxes in the amount of $1,149.29. Reason: Applicant qualifies for exemption under SDCL 10-4-40 & 10-4-41 (Disabled Veteran).
22. Parcel #60751, for 2024 property taxes in the amount of $1,965.62. Reason: Applicant qualifies for exemption under SDCL 10-4-40 & 10-4-41 (Disabled Veteran).
23. Parcel #48402, for 2024 property taxes in the amount of $1,476.90. Reason: Applicant qualifies for exemption under SDCL 10-4-40 & 10-4-41 (Disabled Veteran).
24. Parcel #30332, for 2024 property taxes in the amount of $1,965.63. Reason: Applicant qualifies for exemption under SDCL 10-4-40 & 10-4-41 (Disabled Veteran).
25. Parcel #44412, for 2024 property taxes in the amount of $1,965.63. Reason: Applicant qualifies for exemption under SDCL 10-4-40 & 10-4-41 (Disabled Veteran).
26. Parcel #86931, for 2024 property taxes in the amount of $1,965.64. Reason: Applicant qualifies for exemption under SDCL 10-4-40 & 10-4-41 (Disabled Veteran).
27. Parcel #32801, for 2024 property taxes in the amount of $899.37. Reason: Applicant qualifies for exemption under SDCL 10-4-40 & 10-4-41 (Disabled Veteran).
28. Parcel #12096, for 2024 property taxes in the amount of $2,462.25. Reason: Assessment Freeze for the Elderly and Disabled.
29. Parcel #75359, for 2024 property taxes in the amount of $1,476.91. Reason: Applicant qualifies for exemption under SDCL 10-4-40 & 10-4-41 (Disabled Veteran).
30. Parcel #30471, for 2024 property taxes in the amount of $1,476.91. Reason: Applicant qualifies for exemption under SDCL 10-4-40 & 10-4-41 (Disabled Veteran).
31. Parcel #29216, for 2024 property taxes in the amount of $1,965.62. Reason: Applicant qualifies for exemption under SDCL 10-4-40 & 10-4-41 (Disabled Veteran).
32. Parcel #70465, for 2024 property taxes in the amount of $214.24. Reason: Applicant qualifies for exemption under SDCL 10-4-40 & 10-4-41 (Disabled Veteran).
33. Parcel #36093, for 2024 property taxes in the amount of $1,799.13. Reason: Applicant qualifies for exemption under SDCL 10-4-40 & 10-4-41 (Disabled Veteran).
34. Parcel #76735, for 2024 property taxes in the amount of $1,315.79. Reason: Applicant qualifies for exemption under SDCL 10-4-40 & 10-4-41 (Disabled Veteran).
35. Parcel #49500, for 2024 property taxes in the amount of $1,799.14. Reason: Applicant qualifies for exemption under SDCL 10-4-40 & 10-4-41 (Disabled Veteran).
36. Parcel #79906, for 2024 property taxes in the amount of $2,064.54. Reason: Applicant qualifies for exemption under SDCL 10-4-40 & 10-4-41 (Disabled Veteran).
37. Parcel #83943, for 2024 property taxes in the amount of $1,965.62. Reason: Applicant qualifies for exemption under SDCL 10-4-40 & 10-4-41 (Disabled Veteran).
38. Parcel #38048, for 2024 property taxes in the amount of $821.70. Reason: Applicant qualifies for exemption under SDCL 10-4-40 & 10-4-41 (Disabled Veteran).
39. Parcel #95760, for 2024 property taxes in the amount of $1,149.30. Reason: Applicant qualifies for exemption under SDCL 10-4-40 & 10-4-41 (Disabled Veteran).
40. Parcel #30633, for 2024 property taxes in the amount of $1,149.31. Reason: Applicant qualifies for exemption under SDCL 10-4-40 & 10-4-41 (Disabled Veteran).
41. Parcel #64616, for 2024 property taxes in the amount of $1,321.17. Reason: Applicant qualifies for exemption under SDCL 10-4-40 & 10-4-41 (Disabled Veteran).
42. Parcel #74412, for 2024 property taxes in the amount of $821.70. Reason: Applicant qualifies for exemption under SDCL 10-4-40 & 10-4-41 (Disabled Veteran).
43. Parcel #41263, for 2024 property taxes in the amount of $1,799.14. Reason: Applicant qualifies for exemption under SDCL 10-4-40 & 10-4-41 (Disabled Veteran).
44. Parcel #30118, for 2024 property taxes in the amount of $1,054.33. Reason: Applicant qualifies for exemption under SDCL 10-4-40 & 10-4-41 (Disabled Veteran).
45. Parcel #36944, for 2024 property taxes in the amount of $1,476.92. Reason: Applicant qualifies for exemption under SDCL 10-4-40 & 10-4-41 (Disabled Veteran).
46. Parcel #39887, for 2024 property taxes in the amount of $1,965.62. Reason: Applicant qualifies for exemption under SDCL 10-4-40 & 10-4-41 (Disabled Veteran).
47. Parcel #43933, for 2024 property taxes in the amount of $1,851.56. Reason: Applicant qualifies for exemption under SDCL 10-4-40 & 10-4-41 (Disabled Veteran).
48. Parcel #39846, for 2024 property taxes in the amount of $1,965.63. Reason: Applicant qualifies for exemption under SDCL 10-4-40 & 10-4-41 (Disabled Veteran).
49. Parcel #74436, for 2024 property taxes in the amount of $1,965.63. Reason: Applicant qualifies for exemption under SDCL 10-4-40 & 10-4-41 (Disabled Veteran).
50. Parcel #40505, for 2024 property taxes in the amount of $655.21. Reason: Applicant qualifies for exemption under SDCL 10-4-40 & 10-4-41 (Disabled Veteran).
51. Parcel #79372, for 2024 property taxes in the amount of $1,799.14. Reason: Applicant qualifies for exemption under SDCL 10-4-40 & 10-4-41 (Disabled Veteran).
52. Parcel #36107, for 2024 property taxes in the amount of $1,643.39. Reason: Applicant qualifies for exemption under SDCL 10-4-40 & 10-4-41 (Disabled Veteran).
53. Parcel #65154, for 2024 property taxes in the amount of $1,965.64. Reason: Applicant qualifies for exemption under SDCL 10-4-40 & 10-4-41 (Disabled Veteran).
54. Parcel #33196, for 2024 property taxes in the amount of $494.10. Reason: Applicant qualifies for exemption under SDCL 10-4-40 & 10-4-41 (Disabled Veteran).
55. Parcel #80555, for 2024 property taxes in the amount of $1,149.30. Reason: Applicant qualifies for exemption under SDCL 10-4-40 & 10-4-41 (Disabled Veteran).
56. Parcel #40524, for 2024 property taxes in the amount of $494.10. Reason: Applicant qualifies for exemption under SDCL 10-4-40 & 10-4-41 (Disabled Veteran).
57. Parcel #86876, for 2024 property taxes in the amount of $494.10. Reason: Applicant qualifies for exemption under SDCL 10-4-40 & 10-4-41 (Disabled Veteran).
58. Parcel #63846, for 2024 property taxes in the amount of $327.60. Reason: Applicant qualifies for exemption under SDCL 10-4-40 & 10-4-41 (Disabled Veteran).
59. Parcel #43268, for 2024 property taxes in the amount of $1,643.39. Reason: Applicant qualifies for exemption under SDCL 10-4-40 & 10-4-41 (Disabled Veteran).
60. Parcel #81872, for 2024 property taxes in the amount of $1,963.05. Reason: Applicant qualifies for exemption under SDCL 10-4-40 & 10-4-41 (Disabled Veteran).
61. Parcel #56883, for 2024 property taxes in the amount of $494.09. Reason: Applicant qualifies for exemption under SDCL 10-4-40 & 10-4-41 (Disabled Veteran).
62. Parcel #32581, for 2024 property taxes in the amount of $6,779.61. Reason: The property is exempt from the tax.
63. Parcel #42834, for 2024 property taxes in the amount of $129.98. Reason: Applicant qualifies for exemption under SDCL 10-4-40 & 10-4-41 (Disabled Veteran).
64. Parcel #69548, for 2024 property taxes in the amount of $821.70. Reason: Applicant qualifies for exemption under SDCL 10-4-40 & 10-4-41 (Disabled Veteran).
65. Parcel #45572, for 2024 property taxes in the amount of $655.21. Reason: Applicant qualifies for exemption under SDCL 10-4-40 & 10-4-41 (Disabled Veteran).
66. Parcel #91523, for 2024 property taxes in the amount of $925.19. Reason: Applicant qualifies for exemption under SDCL 10-4-40 & 10-4-41 (Disabled Veteran).
67. Parcel #57839, for 2024 property taxes in the amount of $1,315.79. Reason: Applicant qualifies for exemption under SDCL 10-4-40 & 10-4-41 (Disabled Veteran).
68. Parcel #11596, for 2024 property taxes in the amount of $28.49. Reason: The property is exempt from the tax.
69. Parcel #53831, for 2024 property taxes in the amount of $793.01. Reason: The property is exempt from the tax.
70. Parcel #84474, for 2024 property taxes in the amount of $7.18. Reason: The property is exempt from the tax.
71. Parcel #89642, for 2024 property taxes in the amount of $272.86. Reason: The property is exempt from the tax.
72. Parcel #94123, for 2024 property taxes in the amount of $473.92. Reason: The property is exempt from the tax.
73. Parcel #44454, for 2024 property taxes in the amount of $426.70. Reason: The property is exempt from the tax.
74. Parcel #51305, for 2024 property taxes in the amount of $542.00. Reason: The property is exempt from the tax.
75. Parcel #44459, for 2024 property taxes in the amount of $1,444.56. Reason: The property is exempt from the tax.
76. Parcel #79088, for 2024 property taxes in the amount of $99.43. Reason: The property is exempt from the tax.
77. Parcel #48828, for 2024 property taxes in the amount of $590.81. Reason: The property is exempt from the tax.
78. Parcel #53423, for 2024 property taxes in the amount of $421.15. Reason: The property is exempt from the tax.
79. Parcel #53424, for 2024 property taxes in the amount of $705.07. Reason: The property is exempt from the tax.
80. Parcel #53425, for 2024 property taxes in the amount of $1,798.16. Reason: The property is exempt from the tax.
81. Parcel #53428, for 2024 property taxes in the amount of $186.14. Reason: The property is exempt from the tax.
82. Parcel #53429, for 2024 property taxes in the amount of $182.97. Reason: The property is exempt from the tax.
83. Parcel #53430, for 2024 property taxes in the amount of $354.90. Reason: The property is exempt from the tax.
84. Parcel #53431, for 2024 property taxes in the amount of $555.22. Reason: The property is exempt from the tax.
85. Parcel #11592, for 2024 property taxes in the amount of $708.28. Reason: The property is exempt from the tax.
86. Parcel #96079, for 2024 property taxes in the amount of $8,940.48. Reason: The property is exempt from the tax.
87. Parcel #82723, for 2024 property taxes in the amount of $20.72. Reason: The property is exempt from the tax.
88. Parcel #77106, for 2024 property taxes in the amount of $46,571.14. Reason: The property is exempt from the tax.
89. Parcel #67660, for 2024 property taxes in the amount of $556.32. Reason: Applicant qualifies for exemption under SDCL 10-4-40 & 10-4-41 (Disabled Veteran).
90. Parcel #35983, for 2024 property taxes in the amount of $1,403.63. Reason: Assessment Freeze for the Elderly and Disabled.
91. Parcel #29184, for 2024 property taxes in the amount of $763.72. Reason: Assessment Freeze for the Elderly and Disabled.
92. Parcel #89244, for 2024 property taxes in the amount of $657.43. Reason: Applicant qualifies for exemption under SDCL 10-4-40 & 10-4-41 (Disabled Veteran).
93. Parcel #67342, for 2024 property taxes in the amount of $1,965.64. Reason: Applicant qualifies for exemption under SDCL 10-4-40 & 10-4-41 (Disabled Veteran).
94. Parcel #88320, for 2024 property taxes in the amount of $1,068.36. Reason: An error has been made in any identifying entry or description of the real property, in entering the valuation of the real property or in the extension of the tax, to the injury of the complainant.
The City Council concurs with the Lincoln County Commission’s recommendation for approval of the following abatements:
95. Parcel #283.18.06.030, for 2024 property taxes in the amount of $2,291.85. Reason: Applicant qualifies for exemption under SDCL 10-4-40 & 10-4-41 (Disabled Veteran).
NOTICE OF HEARINGS
96. Set a date of hearing for Tuesday, March 18, 2025. New 2025 Retail Wine License for Phil’s Corner, 106 South Indiana Avenue.
97. Set a date of hearing for Tuesday, March 18, 2025. New 2025 Retail Wine License for New Tokyo Cuisine, 4825 South Louise Avenue.
98. Set a date of hearing for Tuesday, March 18, 2025. Transfer of 2025 Retail Liquor License from Ode to Food & Drinks, 300 Cherapa Place, Suite 102, to Ode to Food & Drinks, 200 East 8th Street.
99. Set a date of hearing for Tuesday, March 18, 2025. Transfer of 2024-25 Retail Malt Beverage License and 2025 Retail Wine License from Falls Landing, 200 East 8th Street, to Ode to Food & Drinks, 200 East 8th Street.
100. Set a date of hearing for Tuesday, March 18, 2025. A RESOLUTION OF INTENT TO ENTER INTO A LEASE OF MUNICIPAL REAL PROPERTY.
Sponsor: Mayor
REGULAR AGENDA
101. APPROVAL OF THE REGULAR AGENDA
A motion was made by Council Member Merkouris and seconded by Council Member Barranco to approve the Regular Agenda.
Roll call vote to approve. 8 Yes: Sigette, Soehl, Spellerberg, Thomason, Barranco, Basye, Cole, Merkouris; 0 No: (None). Motion Passed.
UNFINISHED BUSINESS
102. New 2024-25 Retail Malt Beverage License for El Mexicano 7 Inc., 1025 South Cleveland Avenue.
103. New 2025 Retail Wine License for Envy Nails & Spa, 4212 West Empire Place.
104. New 2025 Retail Wine License for Posh Nail Bar & Spa, 7750 South Dakota Hawk Avenue.
105. Transfer of 2024-25 Retail Malt Beverage License, including video lottery placement, from MG Oil Company, 4701 East Arrowhead Parkway, to Second Session LLC, 319 South Whitewood Circle.
106. Special One-Day Malt Beverage License for Presentation Sisters to be operated at 305 East Falls Park Drive, for a fundraiser on May 10, 2025.
A motion was made by Council Member Thomason and seconded by Council Member Soehl to approve Item 102 - 106.
Roll call vote to approve. 8 Yes: Sigette, Soehl, Spellerberg, Thomason, Barranco, Basye, Cole, Merkouris; 0 No: (None). Motion Passed.
INTRODUCTION AND ADOPTION OF ORDINANCES
ORDINANCE SECOND READINGS
107. 2nd Reading: Deferred from the meeting of Tuesday, February 18, 2025; AN ORDINANCE AUTHORIZING THE MAYOR TO ENTER INTO AN AGREEMENT BETWEEN THE CITY OF SIOUX FALLS AND ST. JOSEPH CATHOLIC HOUSING INC., 523 N. DULUTH AVE., SIOUX FALLS, SD 57104.
Sponsor: Mayor
A motion was made by Council Member Soehl and seconded by Council Member Spellerberg to adopt Ordinance No. 12-25.
Roll call vote to adopt. 8 Yes: Sigette, Soehl, Spellerberg, Thomason, Barranco, Basye, Cole, Merkouris; 0 No: (None). Motion Passed.
108. 2nd Reading: AN ORDINANCE OF THE CITY OF SIOUX FALLS, SD, REZONING PROPERTY LOCATED SOUTH OF E. 60TH ST. N. AND EAST OF I-229 FROM THE I-1 LIGHT INDUSTRIAL DISTRICT TO THE I-2 HEAVY INDUSTRIAL DISTRICT, NO. 020674-2025, AND AMENDING THE OFFICIAL ZONING MAP OF THE CITY OF SIOUX FALLS. The Planning Commission recommends approval (7-0).
Private Applicant(s): Sioux Falls Development Foundation – Dean Dziedzic
A motion was made by Council Member Basye and seconded by Council Member Spellerberg to adopt Ordinance No. 13-25.
Roll call vote to adopt. 8 Yes: Sigette, Soehl, Spellerberg, Thomason, Barranco, Basye, Cole, Merkouris; 0 No: (None). Motion Passed.
109. 2nd Reading: AN ORDINANCE OF THE CITY OF SIOUX FALLS, SD, REZONING PROPERTY LOCATED SOUTH OF E. 33RD ST. AND WEST OF VETERANS PKWY. FROM RA-2 APARTMENT RESIDENTIAL—MODERATE DENSITY, RD-2 TOWNHOME RESIDENTIAL—SUBURBAN, RD-1 TWIN HOME/DUPLEX RESIDENTIAL—SUBURBAN, AND RS SINGLE-FAMILY RESIDENTIAL—SUBURBAN DISTRICTS TO THE CN CONSERVATION DISTRICT, NO. 020488-2024, AND AMENDING THE OFFICIAL ZONING MAP OF THE CITY OF SIOUX FALLS. The Planning Commission recommends approval (7-0).
Sponsor: Mayor
A motion was made by Council Member Barranco and seconded by Council Member Basye to adopt Ordinance No. 14-25.
Roll call vote to adopt. 8 Yes: Sigette, Soehl, Spellerberg, Thomason, Barranco, Basye, Cole, Merkouris; 0 No: (None). Motion Passed.
ORDINANCE FIRST READINGS
110. 1st Reading: AN ORDINANCE OF THE CITY OF SIOUX FALLS, SD, AMENDING THE CODE OF ORDINANCES OF THE CITY BY AMENDING CHAPTER 76:TRAFFIC REGULATIONS, CHAPTER 93: NUISANCES, AND CHAPTER 96: STREETS AND SIDEWALKS TO ALLOW RESTRICTED EXHIBITION DRIVING EVENTS.
Sponsors: Council Members Spellerberg and Soehl
A motion was made by Council Member Spellerberg and seconded by Council Member Soehl to set a date of 2nd Reading for Tuesday, March 11, 2025 for Item 110.
Roll call vote to set a date of 2nd Reading. 8 Yes: Sigette, Soehl, Spellerberg, Thomason, Barranco, Basye, Cole, Merkouris; 0 No: (None). Motion Passed.
HEARINGS AND RESOLUTIONS
111. A RESOLUTION DISSOLVING TAX INCREMENT DISTRICT NO. 12.
Sponsor: Mayor
A motion was made by Council Member Cole and seconded by Council Member Barranco to adopt Resolution No. 16-25.
Roll call vote to adopt. 8 Yes: Sigette, Soehl, Spellerberg, Thomason, Barranco, Basye, Cole, Merkouris; 0 No: (None). Motion Passed.
RESOLUTION NO. 16-25
A RESOLUTION DISSOLVING TAX INCREMENT DISTRICT NO. 12.
WHEREAS, on December 5, 2011, the City adopted Resolution No. 107-11 creating the Sioux Falls Tax Increment District No. 12 pursuant to SDCL 11-9; and
WHEREAS, on December 5, 2011, the City adopted Resolution No. 108-11 approving the Project Plan for the Sioux Falls Tax Increment District No. 12 pursuant to SDCL 11-9; and
WHEREAS, the development and improvements occurred as outlined within the Project Plan; and
WHEREAS, a total reimbursement of $1,742,790.65 was remitted;
NOW, THEREFORE, BE IT RESOLVED BY THE CITY OF SIOUX FALLS, SD:
That Sioux Falls Tax Increment District No. 12 is hereby dissolved.
Date adopted: 03/04/25 .
Paul TenHaken, Mayor
ATTEST:
Jermery J. Washington, City Clerk
112. A RESOLUTION ADVISING AND GIVING CONSENT TO THE APPOINTMENT OF MEMBERS TO VARIOUS CITIZEN BOARDS.
Sponsor: Mayor
A motion was made by Council Member Barranco and seconded by Council Member Sigette to adopt Resolution No. 17-25.
Roll call vote to adopt. 8 Yes: Sigette, Soehl, Spellerberg, Thomason, Barranco, Basye, Cole, Merkouris; 0 No: (None). Motion Passed.
RESOLUTION NO. 17-25
A RESOLUTION ADVISING AND GIVING CONSENT TO THE APPOINTMENT OF MEMBERS TO CERTAIN CITIZEN BOARDS.
BE IT RESOLVED BY THE CITY OF SIOUX FALLS, SD:
That it gives its advice and consent to the following Mayoral appointments:
Name Board Term
Baernt Wood Electrical Board of Appeals and Examiners Appointed for a term from March 2025 to March 2028 (replacing Michael Fisher).
Date adopted: 03/04/25 .
Paul TenHaken, Mayor
ATTEST:
Jermery J. Washington, City Clerk
REPORT OF OFFICERS/BOARDS/COMMITTEES/TRANSFERS OF UNENCUMBERED APPROPRIATION BALANCES AMONG PROGRAMS WITHIN A DEPARTMENT OR ORGANIZATIONAL UNIT AS PROVIDED IN THE SIOUX FALLS CITY CHARTER SECTION 5.07(d)
113. NOTICE OF TRANSFER OF APPROPRIATIONS ON THE MEMORANDUM DATED: February 14, 2025.
NEW BUSINESS
There was none.
GENERAL PUBLIC INPUT
There was public comment given on the following: City’s easement ordinance, City’s elected officials, Riverline District, transparency, affordable housing, taxes and tax freeze, audits, homelessness and addiction, the City’s form of government, policy process, City Council voting, the City Council should hire outside legal counsel, previous city administration voting, 2026 election, police calls, mood/tone of the City Council Meeting environment, members of the public being passionate, dialogue vs. monologue, healing and connection, public comment during Council meetings, and freedom of speech.
ADJOURNMENT
A motion was made by Council Member Barranco and seconded by Council Member Sigette to adjourn the meeting at 8:39 p.m.
Voice vote to adjourn. 8 Yes: Sigette, Soehl, Spellerberg, Thomason, Barranco, Basye, Cole, Merkouris; 0 No: (None). Motion Passed.
Jermery J. Washington, City Clerk
Published once on Mar. 7, 2025, at the approximate cost of $253.62, and may be viewed free of charge at www.sdpublicnotices.com or TheDakotaScout.com.
-
PUBLISH: Mar. 7, 2025
NOTICE OF HEARING
LEASE OF REAL PROPERTY
Notice is hereby given that at the regular Sioux Falls City Council meeting to be held at 6 p.m. on Tuesday, March 18, 2025, at the Carnegie Town Hall, 235 W. 10th St., a public hearing will be held regarding a municipal lease.
That the City Council hereby expresses its intent to lease municipally owned real property described as follows:
A portion of Block 11 of the original plat of the City of Sioux Falls, all in Minnehaha County, South Dakota
for a term exceeding one hundred twenty (120) days and for an amount exceeding five hundred dollars ($500) annual value.
Any person interested may appear and be heard.
Published once on Mar. 7, 2025, at the approximate cost of $9.80, and may be viewed free of charge at www.sdpublicnotices.com or TheDakotaScout.com.
-
PUBLISH: Mar. 7, 2025
NOTICE OF HEARING UPON APPLICATIONS FOR SALE OF ALCOHOLIC BEVERAGES
Notice is given that various Alcoholic Beverage Licenses are to be operated at various locations in Sioux Falls, South Dakota, as listed below.
The City Council will consider said applications at Carnegie Town Hall, 235 West Tenth Street, at 6:00 p.m., on March 18, 2025.
Any person interested may appear and be heard.
New 2025 Retail Wine License for Phil’s Corner, 106 South Indiana Avenue.
New 2025 Retail Wine License for New Tokyo Cuisine, 4825 South Louise Avenue.
Transfer of 2025 Retail Liquor License from Ode to Food & Drinks, 300 Cherapa Place, Suite 102, to Ode to Food & Drinks, 200 East 8th Street.
Transfer of 2024-25 Retail Malt Beverage License and 2025 Retail Wine License from Falls Landing, 200 East 8th Street, to Ode to Food & Drinks, 200 East 8th Street.
Jamie L. Palmer
Licensing Specialist
City Attorney’s Office
Published once on Mar. 7, 2025, at the approximate cost of $13.28, and may be viewed free of charge at www.sdpublicnotices.com or TheDakotaScout.com.
-
PUBLISH: Mar. 7, 2025
ORDINANCE NO. 12-25
AN ORDINANCE AUTHORIZING THE MAYOR TO ENTER INTO AN AGREEMENT BETWEEN THE CITY OF SIOUX FALLS AND ST. JOSEPH CATHOLIC HOUSING INC., 523 N. DULUTH AVE., SIOUX FALLS, SD 57104.
WHEREAS, the City of Sioux Falls and St. Joseph Catholic Housing Inc., 523 N. Duluth Ave., Sioux Falls, SD 57104, shall enter into a lease agreement.
WHEREAS, the City of Sioux Falls will lease 121 North Indiana Ave., Sioux Falls, SD 57103 (“Property”).
The legal description of the Property is as follows: N1/2 VAC ALLEY & ALL 1 TO 6 & W 34’ LOT 7 BLOCK 1 PAULTON’S ADDN TO CITY OF SIOUX FALLS, all in Minnehaha County, SD.
NOW, THEREFORE, BE IT ORDAINED BY THE CITY OF SIOUX FALLS, SD:
That the document attached to and made part of this ordinance entitled “121 North Indiana Parking Lease and Improvement Agreement” is hereby approved.
That the Mayor is authorized to sign such agreement.
Date adopted: 03/04/25.
Paul TenHaken, Mayor
ATTEST:
Jermery J. Washington, City Clerk
Published once on Mar. 7, 2025, at the approximate cost of $15.17, and may be viewed free of charge at www.sdpublicnotices.com or TheDakotaScout.com.
-
PUBLISH: Mar. 7, 2025
ORDINANCE NO. 13-25
AN ORDINANCE OF THE CITY OF SIOUX FALLS, SD, REZONING PROPERTY LOCATED SOUTH OF E. 60TH ST. N. AND EAST OF I-229 FROM THE I-1 LIGHT INDUSTRIAL DISTRICT TO THE I-2 HEAVY INDUSTRIAL DISTRICT, NO. 020674-2025, AND AMENDING THE OFFICIAL ZONING MAP OF THE CITY OF SIOUX FALLS.
BE IT ORDAINED BY THE CITY OF SIOUX FALLS, SD:
A Portion of the NW1/4 of Section 35-T102N-R49W, As Shown by Exhibit, City of Sioux Falls, Minnehaha County, SD, is hereby rezoned from the I-1 Light Industrial District to the I 2 Heavy Industrial District located south of E. 60th St. N. and east of I-229, and the official zoning map of the City of Sioux Falls is amended to include the rezoning.
Date adopted: 03/04/25.
Paul TenHaken, Mayor
ATTEST:
Jermery J. Washington, City Clerk
Published once on Mar. 7, 2025, at the approximate cost of $11.70, and may be viewed free of charge at www.sdpublicnotices.com or TheDakotaScout.com.
-
PUBLISH: Mar. 7, 2025
ORDINANCE NO. 14-25
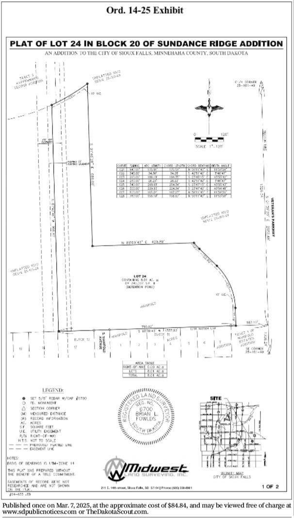
AN ORDINANCE OF THE CITY OF SIOUX FALLS, SD, REZONING PROPERTY LOCATED SOUTH OF E. 33RD ST. AND WEST OF VETERANS PKWY. FROM RA-2 APARTMENT RESIDENTIAL—MODERATE DENSITY, RD-2 TOWNHOME RESIDENTIAL—SUBURBAN, RD-1 TWIN HOME/DUPLEX RESIDENTIAL—SUBURBAN, AND RS SINGLE-FAMILY RESIDENTIAL—SUBURBAN DISTRICTS TO THE CN CONSERVATION DISTRICT, NO. 020488-2024, AND AMENDING THE OFFICIAL ZONING MAP OF THE CITY OF SIOUX FALLS.
BE IT ORDAINED BY THE CITY OF SIOUX FALLS, SD:
A Portion of the N1/2 of the SE1/4 of Section 25-T101N-R49W, As Shown by Exhibit, City of Sioux Falls, Minnehaha County, SD, is hereby rezoned from the RA-2 Apartment Residential—Moderate Density, RD-2 Townhome Residential—Suburban, RD-1 Twin Home/Duplex Residential—Suburban, and RS Single-Family Residential—Suburban Districts to the CN Conservation District, and the official zoning map of the City of Sioux Falls is amended to include the rezoning.
Date adopted: 03/04/25.
Paul TenHaken, Mayor
ATTEST:
Jermery J. Washington, City Clerk
Published once on Mar. 7, 2025, at the approximate cost of $15.17, and may be viewed free of charge at www.sdpublicnotices.com or TheDakotaScout.com.
-
PUBLISH: Mar. 7, 2025
-
PUBLISH: Mar. 7, 2025
-
PUBLISH: Mar. 7, 2025
SIOUX FALLS SCHOOL DISTRICT
PUBLISH: Mar. 7, 2025
NOTICE OF HEARING
DATE: March 4, 2025
TO: Sioux Falls School District Board Members
FROM: Dr. Jane Stavem, Superintendent
RE: Notice of Hearing
A hearing will be held on Monday, March 10, 2025, immediately following the scheduled School Board Meeting, at the Instructional Planning Center, 201 East 38th Street, Sioux Falls, SD 57105, on the recommendation of the Superintendent for an expulsion.
Published once on Mar. 7, 2025, at the approximate cost of $6.96, and may be viewed free of charge at www.sdpublicnotices.com or TheDakotaScout.com.
-
PUBLISH: Feb. 27 & Mar. 7, 2025
ADVERTISEMENT FOR BIDS
Publish Dates: February 28th & March 7th
Sealed bids for Asphalt Repair and Replacement Project at Various Buildings PD #3483 will be received at the Central Services Center, 1101 North Western Avenue, Sioux Falls, South Dakota, 57104, up until 2:00 PM, Thursday, March 20, 2025. Bids will be publicly opened, read, and tabulated 2:00 PM of said day in the Central Services Center. Bids will be presented to the School Board at the next succeeding regular Board meeting, all in accordance with Board policy. All bids shall be made in accordance with forms and specifications attached to and made a part of the proposed contract documents. Contract documents and Specifications have been placed on file at the Central Service Center and may be examined and be obtained at the office of Central Services Center, 1101 North Western Avenue, Sioux Falls, South Dakota. Inquiries should be sent to Jeffrey.Kreiter@k12.sd.us All bids and contracts shall be made in accordance with and subject to SDCL 5-18A, 5-18B, 5-18C, 5-18D, 5-21, 5-22 and the provisions set forth in the specifications. The School Board reserves the right to reject any and all bids or parts thereof, and to waive any irregularities. School Board, Sioux Falls School District 49-5 of Minnehaha County, South Dakota. By:Todd Vik, Business Manager. This notice may be viewed free of charge on a 13 statewide public notice website maintained pursuant to § 17-2-1.
Published twice on Feb. 28 & Mar. 7, 2025, at the approximate cost of $31.87, and may be viewed free of charge at www.sdpublicnotices.com or TheDakotaScout.com.
-
PUBLISH: Feb. 28 & Mar. 7, 2025
ADVERTISEMENT FOR BIDS
Publish Dates: February 28th & March 7th
Sealed bids for Masonry Restoration and Caulking Various Buildings PD #3484 will be received at the Central Services Center, 1101 North Western Avenue, Sioux Falls, South Dakota, 57104, up until 2:30 PM, Thursday, March 20, 2025. Bids will be publicly opened, read, and tabulated 2:30 PM of said day in the Central Services Center. Bids will be presented to the School Board at the next succeeding regular Board meeting, all in accordance with Board policy. All bids shall be made in accordance with forms and specifications attached to and made a part of the proposed contract documents. Contract documents and Specifications have been placed on file at the Central Service Center and may be examined and be obtained at the office of Central Services Center, 1101 North Western Avenue, Sioux Falls, South Dakota. Inquiries should be sent to Jeffrey.Kreiter@k12.sd.us All bids and contracts shall be made in accordance with and subject to SDCL 5-18A, 5-18B, 5-18C, 5-18D, 5-21, 5-22 and the provisions set forth in the specifications. The School Board reserves the right to reject any and all bids or parts thereof, and to waive any irregularities. School Board, Sioux Falls School District 49-5 of Minnehaha County, South Dakota. By:Todd Vik, Business Manager. This notice may be viewed free of charge on a 13 statewide public notice website maintained pursuant to § 17-2-1.
Published twice on Feb. 28 & Mar. 7, 2025, at the approximate cost of $31.87, and may be viewed free of charge at www.sdpublicnotices.com or TheDakotaScout.com.
-
PUBLISH: Mar. 7 & Mar. 14, 2025
ADVERTISEMENT FOR BIDS
Publish Dates: March 7th & 14th
Sealed bids for Anne Sullivan Elementary – Exterior Masonry Upgrades PD #3485 will be received at the Central Services Center, 1101 North Western Avenue, Sioux Falls, South Dakota, 57104, up until 2:00 PM, Thursday, April 3, 2025. Bids will be publicly opened, read, and tabulated 2:00 PM of said day in the Central Services Center. Bids will be presented to the School Board at the next succeeding regular Board meeting, all in accordance with Board policy. All bids shall be made in accordance with forms and specifications attached to and made a part of the proposed contract documents. Contract documents and Specifications have been placed on file at RSA Architects and may be examined and be obtained at the office of RSA Architects, 2307 West 57th St #101, Sioux Falls, SD 57108. Inquiries should be sent to keith@rsa-create.com. All bids and contracts shall be made in accordance with and subject to SDCL 5-18A, 5-18B, 5-18C, 5-18D, 5-21, 5-22 and the provisions set forth in the specifications. The School Board reserves the right to reject any and all bids or parts thereof, and to waive any irregularities. School Board, Sioux Falls School District 49-5 of Minnehaha County, South Dakota. By:Todd Vik, Business Manager. This notice may be viewed free of charge on a 13 statewide public notice website maintained pursuant to § 17-2-1.
Published twice on Mar. 7 & Mar. 14, 2025, at the approximate cost of $30.16, and may be viewed free of charge at www.sdpublicnotices.com or TheDakotaScout.com.
-
PUBLISH: Mar. 7 & Mar. 14, 2025
ADVERTISEMENT FOR BIDS
Publish Dates: March 7th & 14th
Sealed bids for Laura B. Anderson – Loading Dock Renovation PD #3486 will be received at the Central Services Center, 1101 North Western Avenue, Sioux Falls, South Dakota, 57104, up until 2:00 PM, Thursday, March 27, 2025. Bids will be publicly opened, read, and tabulated 2:00 PM of said day in the Central Services Center. Bids will be presented to the School Board at the next succeeding regular Board meeting, all in accordance with Board policy. All bids shall be made in accordance with forms and specifications attached to and made a part of the proposed contract documents. Contract documents and Specifications have been placed on file at TSP, Inc. and may be examined and be obtained at the office of TSP, Inc., 1112 North West Avenue, Sioux Falls, SD 57104. Inquiries should be sent to Jared Nesje - nesjejp@teamtsp.com. All bids and contracts shall be made in accordance with and subject to SDCL 5-18A, 5-18B, 5-18C, 5-18D, 5-21, 5-22 and the provisions set forth in the specifications. The School Board reserves the right to reject any and all bids or parts thereof, and to waive any irregularities. School Board, Sioux Falls School District 49-5 of Minnehaha County, South Dakota. By:Todd Vik, Business Manager. This notice may be viewed free of charge on a 13 statewide public notice website maintained pursuant to § 17-2-1.
Published twice on Mar. 7 & Mar. 14, 2025, at the approximate cost of $30.16, and may be viewed free of charge at www.sdpublicnotices.com or TheDakotaScout.com.
-
PUBLISH: Mar. 7, 2025
SCHOOL BOARD MEETING
The School Board of the Sioux Falls School District 49-5 of Minnehaha County, South Dakota, was called into regular session, pursuant to due notice, on Monday, February 24, 2025, at
5:30 pm in the Instructional Planning Center, 201 East 38th Street, Sioux Falls, South Dakota, with the following members present: Marc Murren, Gail Swenson, Nan Kelly, and Vice President Dawn Marie Johnson. Absent: President, Carly Reiter. Dr. Jane Stavem, Superintendent of Schools, Todd Vik, Business Manager, and Brett Arenz, In-House Counsel, were also present.
DeeAnn Konrad, Community Relations Coordinator, announced that four Sioux Falls Public School Education teachers were nominated for the 2025 Teacher of the Year ceremony, taking place that evening at Ben Reifel Middle School. Elizabeth Herrboldt, Director of Federal Programs, presented the 4th Annual Everybody Reads campaign kickoff. Everybody Reads is a collaborative initiative with Siouxland Libraries, and Augustana University, designed to inspire a love of reading in our schools and the broader community.
Action 39708
A motion was made by Marc Murren and seconded by Gail Swenson, four (4) votes “yes” on roll call, approving the minutes of the meetings held February 10, 2025 which were furnished to Dakota Scout for publication, in unapproved form, all in accordance with SDCL §13-8-35.
Persons Wishing to Address the School Board: Robyn Shores Foster-Banning Cell Phones, and Chad Bishop-DEI and Social Studies Curriculum.
Action 39709
A motion was made by Gail Swenson and seconded by Marc Murren four (4) votes “yes” on roll call, approving the agenda as presented.
Action 39710
A motion was made by Marc Murren and seconded by Nan Kelly four (4) votes “yes” on roll call, approving Items A through H of the consent agenda, as follows:
A. Approving the payment of payroll to all employees of the District for the month of January 2025 in the amount of $18,031,213.44 (see MRF #19549).
B. Approving pages 1 through 11 of list of claims dated February 24, 2025 in the amount of $10,135,649.11; it being understood that in publishing claims the Business Manager shall publish name of each claimant, purpose, and amount of each expenditure as required by SDCL 13-8-35; it is further understood that any claim for Sanford Healthcare System shall be removed from this action and approved by a subsequent action (see MRF #19550)
CLAIMANT DESCRIPTION AMOUNT
INSURANCE TRUST FUN 2-1-25 ER MED/VIS $11,658.36
INSURANCE TRUST FUN 2-1-25 MED/VIS $4,159,854.83
LINCOLN NATIONAL LI 2-1-25 ACT LIFE PRE $33,909.89
LINCOLN NATIONAL LI 2-1-25 ACT ER LIFE $6.60
LINCOLN NATIONAL LI 2-1-25 ACT LTD PREM $5,974.46
LINCOLN NATIONAL LI 2-1-25 ACT STD PREM $6,060.60
S.D. RETIREMENT SYS JAN 25 SDRS WIRE $2,102,575.99
FIDELITY SECURITY L 2/25 VOL VISION WIR $2,519.30
FIDELITY SECURITY L 2/25 NV VISION WIRE $38,874.65
HEALTHEQUITY 1/25 FLEX FEES WIRE $1,696.00
VOYA FINANCIAL 2/2025 STOP LOSS $167,027.00
JEFFERSON CAPITAL S GARNISHMENT $37.81
GIS BENEFITS 1/1/25 METLIFE WIRE $38,863.13
DELTA DENTAL 1-1-25 DEN ENH WIRE $136,290.76
DELTA DENTAL 1-1-25 DEN STAN WIR $217,286.37
GIS BENEFITS PR INTEGRATION FEE $500.00
1PASSWORD EQUIPMENT REPAIR $110.00
A TO Z WORLD LANGUAGES INC INTERPRETER COSTS $490.00
AARON MICHAEL CLARK DUES & FEES $336.31
AB PROPANE INC OTHER SUPPLIES $116.42
ACTIVE DATA SYSTEMS INC OTHER SUPPLIES $28.59
ADVANCED PEST SOLUTIONS OTHER PROPERTY SERVICES $69.00
ADVANCED TELEPHONE SYSTEMS INC TELEPHONE $142.50
ALEC TRAVIS PAULSON IN-DISTRICT MILEAGE $24.37
ALECIA RAE WINKLEMAN IN-DISTRICT MILEAGE $242.09
ALI HEARN COACHING & CONSULTING LLC PROFESSIONAL SERVICES $1,500.00
ALIGN CONTENT STUDIO ADVERTISING $750.00
ALPHAGRAPHICS PRINTING $18.41
AMBER JEWEL COMP DUES & FEES $142.20
AMERICAN INK LLC OTHER SUPPLIES $504.74
ANDERSEN, LUKE PROFESSIONAL SERVICES $355.07
ANDERSON, CYLER PROFESSIONAL SERVICES $100.00
ANN M JUST SOFTWARE, VIDEOS, ETC. $115.76
APPLE INC COMPUTER EQUIP (NON-CAP)
NEW GENERAL EQUIPMENT
NEW COMPUTER EQUIPMENT
EQUIPMENT $49,414.00
ARNESON, EMMA PROFESSIONAL SERVICES $125.00
ARS, A TECTA AMERICA COMPANY, LLC BUILDING IMPROVEMENTS $663.25
ASHLEY NICOLE CROWNOVER PROFESSIONAL SERVICES $70.00
ASPI SOLUTIONS, INC OTHER SUPPLIES $505.40
ASSOC FOR MIDDLE LEVEL EDUC (AMLE) PROFESSIONAL SERVICES $750.00
ATHLETIC DEPT/HWF STUDENT PASSES $40.00
ATI ASSESSMENT TECHNOLOGIES INST LL TEXTBOOKS $115,800.00
AUGUSTANA UNIVERSITY DUES & FEES $735.00
AVERA MCKENNAN PROFESSIONAL SERVICES $411.30
AVI SYSTEMS INC PROFESSIONAL SERVICES $1,975.00
AWEYS ABDI MAALIM PROFESSIONAL SERVICES $630.00
BA STAR LLC OTHER SUPPLIES $1,704.25
BACON, BLAINE PROFESSIONAL SERVICES $202.51
BAUMEISTER, DAVID PROFESSIONAL SERVICES $180.00
BEAL DISTRIBUTING, INC SUPPLIES FOR RESALE $392.20
BEERS, JERRY PROFESSIONAL SERVICES $119.15
BEGEMAN, MIKE PROFESSIONAL SERVICES $120.00
BENCO DENTAL SUPPLY CO CLASSROOM SUPPLIES $2,377.56
BIO HEALTH EDUCATION PROFESSIONAL SERVICES $267.00
BIROZY, HUNTER PROFESSIONAL SERVICES $150.00
BLICK ART MATERIALS CLASSROOM SUPPLIES $83.60
BOE, LUKE PROFESSIONAL SERVICES $140.00
BOHRER, JOHN PROFESSIONAL SERVICES $120.00
BOL, MALUK PROFESSIONAL SERVICES $70.00
BOONE, COLIN PROFESSIONAL SERVICES $100.00
BOOSTER ENTERPRISES, INC. OTHER SUPPLIES $2,000.00
BORDER STATES ELECTRIC SUPPLY CLASSROOM SUPPLIES $4,993.07
BOSCH, RANDI K PROFESSIONAL SERVICES $120.00
BOYS & GIRLS CLUB OF SIOUX EMPIRE PROFESSIONAL SERVICES $138,196.67
BRANDT, CHRIS PROFESSIONAL SERVICES $408.46
BRENCO CORP WAREHOUSE INVENTORY $4,384.80
BROWN, CHRIS PROFESSIONAL SERVICES $190.00
BRUBAKKEN, RICH PROFESSIONAL SERVICES $416.00
BRUFLAT, DAVE PROFESSIONAL SERVICES $70.00
BRUNER LAW GROUP PLLC PROFESSIONAL SERVICES $34,200.00
BSN SPORTS INC OTHER SUPPLIES $3,335.85
BUILDERS SUPPLY COMPANY BUILDING IMPROVEMENTS $8,927.25
CANDACE LEE RECHTENBAUGH IN-DISTRICT MILEAGE $153.27
CASH WA DISTRIBUTORS FOOD PURCHASES $8,070.26
CENGAGE LEARNING INC CLASSROOM SUPPLIES $4,156.90
CHAD E PESICKA PROFESSIONAL SERVICES $490.00
CHELSIE MARIE GIBSON IN-DISTRICT MILEAGE $139.06
CHESS4LIFE LLC PROFESSIONAL SERVICES $868.75
CHILD NUTRITION SERVICE FOOD PURCHASES
FOOD PURCHASES $8,553.20
CHILDREN’S CARE HOSP & SCHOOL PROFESSIONAL SERVICES
TUITION - OTHER INSTITUTN $156,596.69
CHRISTENSON, GUY PROFESSIONAL SERVICES $70.00
CITY GLASS & GLAZING INC BUILDING REPAIR $138.56
CITY OF SIOUX FALLS SANITARY SERVICES $77.52
CLEVELAND ELEMENTARY MISCELLANEOUS $781.09
CMC NEPTUNE LLC PERIODICALS & SUBSCRIPTNS $3,075.00
COCA-COLA BOTTLING CO FOOD PURCHASES $4,971.00
CODY, CASEY PROFESSIONAL SERVICES $120.00
COLD STONE CREAMERY FOOD PURCHASES $1,797.00
COLE PAPERS INC EQUIPMENT REPAIR
REPLACEMENT GENERAL EQUIP
WAREHOUSE INVENTORY $5,661.73
COLE, HAYDEN PROFESSIONAL SERVICES $160.00
COLEMAN, BRAD PROFESSIONAL SERVICES $200.00
COMBINED BUILDING SPECIALTIES INC BLDG REPAIR SUPPLIES
BUILDING IMPROVEMENTS $1,030.00
CORE-MARK US, LLC SUPPLIES FOR RESALE $6,834.86
CORY C CLASEMANN IN-DISTRICT MILEAGE
ADMIN OUT DIST TRAVEL $476.87
CROOKS MUNICIPAL GAS HEAT FOR BLDGS $1,624.18
CROSS, MITCHEL PROFESSIONAL SERVICES $250.00
CULLIGAN WATER CONDITIONING FOOD PURCHASES $56.10
DACOTAH PAPER CO OTHER SUPPLIES $14,539.24
DAKOTA AUTO PARTS CLASSROOM SUPPLIES
SUPPLIES FOR RESALE $954.71
DAKOTA SPORTS OTHER SUPPLIES $3,818.99
DAKOTA SUPPLY GROUP CLASSROOM SUPPLIES $226.44
DAKOTALAND AUTOGLASS CLASSROOM SUPPLIES
SUPPLIES FOR RESALE $1,936.35
DANCE LINE, INC. OTHER SUPPLIES $742.50
DANIEL P KIRSCH PROFESSIONAL SERVICES $210.00
DANIEL, LEROY PROFESSIONAL SERVICES $210.00
DAVENPORT EVANS HURWITZ & SMITH LLP LEGAL SERVICES $9,680.00
DAVID J FLOREY PROFESSIONAL SERVICES $70.00
DEAN E BORCHERS PROFESSIONAL SERVICES $240.00
DEAN, BRADLEY PROFESSIONAL SERVICES $120.00
DECKER INC OTHER SUPPLIES $144.15
DEINERT, ANDY PROFESSIONAL SERVICES $395.89
DELTA DENTAL MEDICAL/DENTAL SERVICES $3,000.00
DILLON THOMAS VANDER-FEEN TEACHER OUT DIST TRAVEL $372.13
DMM SYSTEMS INC PROFESSIONAL SERVICES $9,000.00
DONALD LEE MALATERRE PROFESSIONAL SERVICES $140.00
DOUGLAS CRAIG HENRY PROFESSIONAL SERVICES $210.00
DOUGLAS STEWART CO SUPPLIES FOR RESALE $1,067.26
DOWLING, MIKE PROFESSIONAL SERVICES $150.00
DUNNIGAN, DANIEL PROFESSIONAL SERVICES $75.00
DZIEDZIC, ALEXANDER PROFESSIONAL SERVICES $125.00
ECOLAB, INC. FOOD SVC SMALL EQUIP $1,027.20
EDMAN, ZACH PROFESSIONAL SERVICES $420.00
EDMENTUM INC ONLINE SUBSCRIPTIONS $3,300.00
EFFLING, ROSS PROFESSIONAL SERVICES $160.00
EHRMANTRAUT, BERK PROFESSIONAL SERVICES $150.00
ELECTRIC SUPPLY CO NEW GENERAL EQUIPMENT $2,470.00
EMBE PROFESSIONAL SERVICES $133,684.22
ENGEBRETSON, BENJAMYN PROFESSIONAL SERVICES $310.00
ENGLAND, AUDREY PROFESSIONAL SERVICES $90.00
ESTR PUBLICATIONS LTD OTHER SUPPLIES $328.00
FALLS COMMUNITY DENTAL MEDICAL/DENTAL SERVICES $120.00
FOLLETT CONTENT SOLUTIONS LLC LIBRARY/REFERENCE BOOKS $99.58
FORSSTROM, RYAN J PROFESSIONAL SERVICES $240.00
FOUNDATION BUILDING MATERIALS LLC BLDG REPAIR SUPPLIES $384.96
FOX PRINT INC PRINTING $1,788.94
FOXPROMO PRINTING OTHER SUPPLIES $1,103.21
FRIESSEN CONSTRUCTION INC SNOW REMOVAL $13,556.73
GABRIEL EDWARD DANNENBRING PROFESSIONAL SERVICES $70.00
GALVIN-SIEBENALER, TEKAKAWITNA PROFESSIONAL SERVICES $776.37
GARRY, DEVON PROFESSIONAL SERVICES $120.00
GAU, JORDAN PROFESSIONAL SERVICES $127.54
GAY M ANDERSON ADMIN OUT DIST TRAVEL $160.00
GEITER, GUNNAR PROFESSIONAL SERVICES $150.00
GERRY, BRIAN PROFESSIONAL SERVICES $100.00
GOPHER OTHER SUPPLIES $746.65
GRADY, JEREMY PROFESSIONAL SERVICES $231.32
GREEN EGGS AND RAM INC EQUIPMENT REPAIR $108.50
GREGG ARTHUR TALCOTT PROFESSIONAL SERVICES $70.00
GROSS, ANDREW PROFESSIONAL SERVICES $100.00
HANSEN, ERIK PROFESSIONAL SERVICES $840.00
HARMS, JANELLE PROFESSIONAL SERVICES $100.00
HARRISBURG HIGH SCHOOL DIST ADVERTISING $2,574.00
HASSAN, MOHAMUD ABDIRAHMAN PROFESSIONAL SERVICES $90.00
HAUFF MIDAMERICA SPORTS OTHER SUPPLIES
BUILDING IMPROVEMENTS $23,319.00
HAUS OF LANOUE OTHER SUPPLIES $26,303.11
HEARTLAND GLASS CO LLC BLDG REPAIR SUPPLIES
BUILDING IMPROVEMENTS $2,186.50
HEIDEL, RICHARD PROFESSIONAL SERVICES $719.78
HENDERSON, JOE PROFESSIONAL SERVICES $480.00
HILLYARD OTHER SUPPLIES
WAREHOUSE INVENTORY $10,235.85
HONEY, JASON PROFESSIONAL SERVICES $240.00
HUBERT, DONALD PROFESSIONAL SERVICES $320.00
HUETHER, MIKE PROFESSIONAL SERVICES $360.00
HYVEE FOOD PURCHASES $1,264.00
IDENTIFIX INC SOFTWARE, VIDEOS, ETC. $2,028.00
INNOVATIVE OFFICE SOLUTIONS LLC EQUIPMENT REPAIR
OTHER SUPPLIES
OTHER EQUIPMENT (NON-CAP)
NEW FURNITURE
REPLACEMENT GENERAL EQUIP
WAREHOUSE INVENTORY $77,700.19
IPEVO INC NEW COMPUTER EQUIPMENT $978.05
ISG PROFESSIONAL SERVICES $2,200.00
ISI LLC INTERPRETER COSTS $4,487.50
J RIECK MUSIC EQUIPMENT REPAIR
OTHER SUPPLIES $325.00
J. H. LARSON ELECTRICAL CO. CLASSROOM SUPPLIES $4,967.96
JAEGER, CRYSTAL PROFESSIONAL SERVICES $100.00
JAMES LOUIS NOLD ADMIN OUT DIST TRAVEL $198.53
JAMES W RICKETTS PROFESSIONAL SERVICES $100.00
JAMESON L CLARKE PROFESSIONAL SERVICES
SOFTWARE, VIDEOS, ETC. $185.76
JANISCH, JORDAN PROFESSIONAL SERVICES $100.00
JEFFERSON HIGH SCHOOL DUES & FEES
BOOSTER PASSES $3,783.77
JEFFERSON, MICHAEL PROFESSIONAL SERVICES $100.00
JENZABAR INC SOFTWARE SUPPORT $110,460.00
JOHNSON, DON PROFESSIONAL SERVICES $120.00
JOHNSON, LEE PROFESSIONAL SERVICES $262.49
JOHNSON, NOAH PROFESSIONAL SERVICES $250.00
JOHNSON, OLIVIA PROFESSIONAL SERVICES $250.00
JOHNSON, TIM PROFESSIONAL SERVICES $70.00
JOHNSTONE SUPPLY CLASSROOM SUPPLIES $119.84
JOLENE KAY PENNING TEACHER OUT DIST TRAVEL $883.73
JONES SCHOOL SUPPLY CO INC OTHER SUPPLIES $631.59
JORGENSON, JEFFREY PROFESSIONAL SERVICES $120.00
JOSHUA M FREY PROFESSIONAL SERVICES $100.00
JOSHUA WAYNE JUNKER PROFESSIONAL SERVICES $100.00
JOSTENS INC OTHER SUPPLIES $1,517.03
JULIE AMANDA SMITH SOFTWARE, VIDEOS, ETC. $115.76
JW PEPPER & SON INC CLASSROOM SUPPLIES $1,395.79
KEARIN, BRETT PROFESSIONAL SERVICES $160.00
KEITH, RUSTY PROFESSIONAL SERVICES $125.61
KELLENBERGER, ADAM PROFESSIONAL SERVICES $100.00
KEVIN MATTHEW VANDERWAL SOFTWARE, VIDEOS, ETC. $115.76
KINGSBURY, TUCKER PROFESSIONAL SERVICES $132.18
KOCH HAZARD ARCHITECTS PROFESSIONAL SERVICES $585.10
KOERNER, HERBERT PROFESSIONAL SERVICES $100.00
KONE INC OTHER PROPERTY SERVICES $8,109.66
KOST, KOLBY PROFESSIONAL SERVICES $60.00
KOST, TODD PROFESSIONAL SERVICES $100.00
KRISTEN MICHELLE BAUKOL RECK SOFTWARE, VIDEOS, ETC. $115.76
KRISTIN JENELL LARSEN TEACHER OUT DIST TRAVEL $212.37
KROUPA, JESSE PROFESSIONAL SERVICES $70.00
KUNZMAN, JOE PROFESSIONAL SERVICES $150.00
KURT A SKOGSTAD PROFESSIONAL SERVICES $170.00
KVISTERO, AARON PROFESSIONAL SERVICES $100.00
KVOL, YOM PROFESSIONAL SERVICES $90.00
LADAWN LEIGH NESJE SOFTWARE, VIDEOS, ETC. $115.76
LAKESHORE EQUIPMENT CO OTHER SUPPLIES $94.98
LANGNER, LUKE PROFESSIONAL SERVICES $100.00
LANGUAGE FIRST CLASSROOM SUPPLIES $210.00
LAURA B. ANDERSON ELEMENTARY FIELD TRIPS
OTHER SUPPLIES
FOOD PURCHASES $2,179.15
LEO LOU PERSON PROFESSIONAL SERVICES $90.00
LEO, JONATHAN PROFESSIONAL SERVICES $150.00
LESTER, PAYTON PROFESSIONAL SERVICES $100.00
LIFESCAPE PATHWAYS PROFESSIONAL SERVICES
TUITION - OTHER INSTITUTN $48,885.49
LINDE GAS & EQUIPMENT INC CLASSROOM SUPPLIES $1,896.88
LIU, CATHERINE PROFESSIONAL SERVICES $500.00
LYNN GILLETTE LIFE COACHING PROFESSIONAL SERVICES $1,200.00
LYNN JACKSON SCHULTZ & LEBRUN PC LEGAL SERVICES $650.00
MACK, SCOTT PROFESSIONAL SERVICES $118.68
MANUEL, JAMARI PROFESSIONAL SERVICES $60.00
MARCELLA MARIA PROKOP CLASSIFIED OUT DIST TRAVL $525.95
MARCO INC EQUIPMENT RENTAL
OTHER COMMUNICATION
PRINTING
SOFTWARE SUPPORT
OTHER SUPPLIES
NEW COMPUTER EQUIPMENT $47,521.53
MARGARET ELIZABETH DALTON IN-DISTRICT MILEAGE $401.71
MARK E STRUCK PROFESSIONAL SERVICES $210.00
MARKLEY, HANNAH PROFESSIONAL SERVICES $90.00
MARKLEY, SAMUEL PROFESSIONAL SERVICES $300.00
MARY LYNN GUSTAFSON REPAIR OF CARS AND TRUCKS $10.62
MASLANKA PRESS CLASSROOM SUPPLIES $342.00
MATHESON TRI-GAS INC EQUIPMENT RENTAL $423.45
MAU MAU MUSIC LLC CLASSROOM SUPPLIES $89.00
MCGRAW-HILL EDUCATION INC TEXTBOOKS (LOANED) $724.78
MCKESSON MEDICAL CLASSROOM SUPPLIES
OTHER SUPPLIES $6,929.37
MCKINNEY OLSON INSURANCE PROPERTY INSURANCE
LIABILITY INS PREMIUMS $927.00
MCKOWN, TREVOR PROFESSIONAL SERVICES $480.00
MD ENGRAVING SPECALISTS INC OTHER SUPPLIES $2,497.85
MEDCO SUPPLY COMPANY NEW GENERAL EQUIPMENT $2,294.25
MEDICAL WASTE TRANSPORT INC PROFESSIONAL SERVICES $181.44
MELANIE ERICKSON - ACORN19 PROFESSIONAL SERVICES $335.00
MELANIE LEA SOPER TEACHER OUT DIST TRAVEL $312.13
MENARDS CLASSROOM SUPPLIES $153.01
MERRILL, JEFF PROFESSIONAL SERVICES $120.00
MEYER, PAYTON PROFESSIONAL SERVICES $360.00
MICAH RICHARD NORDIN PROFESSIONAL SERVICES $500.00
MICHAEL G MOORE PROFESSIONAL SERVICES $420.00
MIDCONTINENT COMMUNICATIONS TELEPHONE $16,182.60
MIDSTATES UNIFORM & LETTERING INC OTHER SUPPLIES $1,705.20
MIDWEST ALARM COMPANY INC PROFESSIONAL SERVICES
BUILDING IMPROVEMENTS $13,525.59
MILLER, JAMES PATRCK PROFESSIONAL SERVICES $610.26
MINNEHAHA COUNTY PROFESSIONAL SERVICES $7,952.15
MOUNT IT! NEW COMPUTER EQUIPMENT $56.24
MRG SPORTS AND PROMO OTHER SUPPLIES $301.10
MUTH, JOE PROFESSIONAL SERVICES $180.00
NATHAN LEVOR MALCHOW PRINCIPAL OUT DIST TRAVEL $95.63
NATHANIEL R PETRICH PROFESSIONAL SERVICES $420.00
NATL ART & SCHOOL SUPPLIES CLASSROOM SUPPLIES $341.78
NAVIGATE WELLBEING SOLUTIONS PROFESSIONAL SERVICES $9,130.00
NELSON, GENE PROFESSIONAL SERVICES $300.00
NICHOLAS B SCHNEIDER CLASSIFIED OUT DIST TRAVL $40.00
NICOLE LYNN FETTE TEACHER OUT DIST TRAVEL $326.13
NIMICK, KRISTI PROFESSIONAL SERVICES $540.00
NORTHWESTERN COURT REPORTERS INC DUES & FEES $440.00
NOVAK SANITARY SERVICE SANITARY SERVICES $731.73
OCHSNER, SCOTT PROFESSIONAL SERVICES $60.00
OFFICE OF ATTORNEY GENERAL PROFESSIONAL SERVICES $432.50
ORTHO-CLINICAL DIAGNOSTICS, INC DUES & FEES $15,399.00
ORTMAN, PAUL PROFESSIONAL SERVICES $70.00
ORTMAN, TREY PROFESSIONAL SERVICES $420.00
PAPPAS, KERI PROFESSIONAL SERVICES $180.00
PAPPAS, SAMANTHA PROFESSIONAL SERVICES $180.00
PEARSON, LEVI PROFESSIONAL SERVICES $139.31
PEARSON, LUCAS PROFESSIONAL SERVICES $344.86
PEPSI COLA COMPANY SUPPLIES FOR RESALE
FOOD PURCHASES $4,434.71
PERFORMANCE FOODSERVICE FOOD PURCHASES $280,021.91
PETERSON, ROSS PROFESSIONAL SERVICES $100.00
PHEASANTLAND INDUSTRIES OTHER SUPPLIES $625.58
PIERSON, DON PROFESSIONAL SERVICES $100.00
PISCHKE, JANET PROFESSIONAL SERVICES $90.00
PIZZA RANCH SIOUX FALLS FOOD PURCHASES $4,928.00
PLAHN, BRIAN PROFESSIONAL SERVICES $120.00
PLANK ROAD PUBLISHING INC OTHER SUPPLIES $29.40
POCKET NURSE ENTERPRISES INC CLASSROOM SUPPLIES $618.49
POPPLERS MUSIC STORE INC PROFESSIONAL SERVICES
EQUIPMENT REPAIR
CLASSROOM SUPPLIES
OTHER SUPPLIES $2,771.81
POSTMA, BUD PROFESSIONAL SERVICES $163.89
PROPIO LANGUAGE SERVICES INTERPRETER COSTS $537.73
QUALIFIED PRESORT SERV LLC POSTAGE $6,982.66
R & L SUPPLY LTD CLASSROOM SUPPLIES $1,818.12
REITER, AARON PROFESSIONAL SERVICES $180.00
REKER, ANTHONY PROFESSIONAL SERVICES $240.00
REPUBLIC BUSINESS CREDIT LLC FOOD PURCHASES $21,450.80
RHONE, JEFF PROFESSIONAL SERVICES
TEACHER OUT DIST TRAVEL $911.63
RICH, EIHILIN PROFESSIONAL SERVICES $200.00
RICHARD T JENSEN IN-DISTRICT MILEAGE $30.72
RIDDELL/ALL AMERICAN SPORTS CORP REPLACEMENT GENERAL EQUIP $23,468.80
RISE CUSTOM SOLUTIONS NEW GENERAL EQUIPMENT $2,560.17
RISK ADMINISTRATION SERVICES INC WORKER’S COMPENSATION $96,908.14
RITENOUR, MCKENZIE PROFESSIONAL SERVICES $150.00
RIVERSIDE TECHNOLOGIES INC EQUIPMENT REPAIR
LAPTOPS FOR RESALE
OTHER EQUIPMENT (NON-CAP)
NEW COMPUTER EQUIPMENT $22,622.39
ROCHESTER ARMORED CAR CO INC PROFESSIONAL SERVICES
OTHER TRANSPORTATION $255.83
ROOK, BRIAN PROFESSIONAL SERVICES $298.20
ROOSEVELT HIGH SCHOOL OTHER SUPPLIES
FOOD PURCHASES
DUES & FEES $8,716.40
ROTO-ROOTER PROFESSIONAL SERVICES $185.00
S.D. BOARD OF TECHNICAL EDUCATION DUES & FEES $640.00
S.D. DEPT OF HUMAN SERVICES TUITION - OTHER INSTITUTN $50,350.82
S.D. HEALTH CARE ASSOCIATION DUES & FEES $78.50
S.F. INTERIORS BUILDING IMPROVEMENTS $28,600.00
S.F. UTILITIES WATER AND SEWER
ELECTRICITY $97,611.57
SAMP, JACOB PROFESSIONAL SERVICES $1,200.00
SARA MAE VANDEKAMP CLASSIFIED OUT DIST TRAVL $271.83
SARAH RAE DEHAAI TEACHER OUT DIST TRAVEL $241.94
SATTLER, KLAYTON PROFESSIONAL SERVICES $140.00
SAYRE ASSOCIATES INC PROFESSIONAL SERVICES $17,038.46
SCHEPEL, STEVE PROFESSIONAL SERVICES $455.36
SCHMID, ERIC PROFESSIONAL SERVICES $100.00
SCHMITT MUSIC CLASSROOM SUPPLIES
OTHER SUPPLIES $629.22
SCHOOL BUS INC BUS TRANSPORTATION
EXPRESS SHUTTLE
BUS AIDES
STUDENT TRAVEL
DISTRICT-FUNDED TRAVEL
FIELD TRIPS
OTHER TRANSPORTATION $520,456.06
SCHOOL SPECIALTY LLC OTHER SUPPLIES
WAREHOUSE INVENTORY $555.76
SCHRODER, JEFF PROFESSIONAL SERVICES $240.66
SCOTT W DORMAN CLASSIFIED OUT DIST TRAVL $568.18
SCR CENTRAL DIVISION PROFESSIONAL SERVICES $4,138.98
SHALEE MARLENE BAUER IN-DISTRICT MILEAGE $389.53
SHANE T WUEBBEN STUDENT TRAVEL $267.24
SHIFFLER EQUIP SALES OTHER SUPPLIES $231.38
SIOUX VALLEY ENERGY ELECTRICITY $4,551.00
SISK, MATT PROFESSIONAL SERVICES $300.00
SISSON PRINTING INC PRINTING $636.90
SKECHERS USA, INC CLOTHING FOR RESALE $147.00
SKILES, MACY PROFESSIONAL SERVICES $100.00
SMITH, DAVID PROFESSIONAL SERVICES $240.00
SOLUTION TREE PROFESSIONAL SERVICES $4,560.00
SOUTHEAST TECH FOOD PURCHASES $2,997.14
SPELLMEYER, PATRICK D PROFESSIONAL SERVICES $100.00
SPIEKER, DUSTIN PROFESSIONAL SERVICES $180.00
STANLEY, MARK R PROFESSIONAL SERVICES $210.00
STEKL, ALLEN PROFESSIONAL SERVICES $240.00
STEPHEN RONALD WILLIAMSON CLASSIFIED OUT DIST TRAVL $292.13
STEVE WEISS MUSIC INC CLASSROOM SUPPLIES
OTHER SUPPLIES $604.55
STRUCK, EMMANUEL PROFESSIONAL SERVICES $70.00
STRUCK, MANNY PROFESSIONAL SERVICES $70.00
STUDER, JAKE PROFESSIONAL SERVICES $100.00
STURDEVANT’S AUTO PARTS CORP CLASSROOM SUPPLIES
SUPPLIES FOR RESALE $152.01
STURDEVANT’S REFINISH SUPPLY CENTER CLASSROOM SUPPLIES
SUPPLIES FOR RESALE $659.68
SUMMIT FIRE PROTECTION CO PROFESSIONAL SERVICES $320.00
SWEETWATER SOUND LLC OTHER EQUIPMENT (NON-CAP) $1,560.87
TAYLOR MUSIC INC CLASSROOM SUPPLIES $103.90
TAYLOR, LUCAS PROFESSIONAL SERVICES $229.96
TEACHERS CURRICULUM INSTITUTE LLC TEXTBOOKS (LOANED) $4,662.00
TEAMDYNAMIX SOLUTIONS, LLC PROFESSIONAL SERVICES $2,329.00
THE MUSICIANS CHOICE LLC CLASSROOM SUPPLIES $99.45
THOMAS, JAMIE PROFESSIONAL SERVICES $100.00
TIMOTHY L SORENSEN PROFESSIONAL SERVICES $210.00
TRANE COMPANY OTHER SUPPLIES $1,831.92
TRANSACT CAMPUS INC SOFTWARE SUPPORT $59,386.00
TURBULENT GAMES LLC OTHER SUPPLIES $526.00
TUSCHEN, KYLE PROFESSIONAL SERVICES $240.00
UECKER, TOBY PROFESSIONAL SERVICES $200.00
UNIV OF SOUTH DAKOTA DUES & FEES $2,170.40
UPS POSTAGE $301.53
US BANK PROFESSIONAL SERVICES
LAND & BUILDING RENTAL
TEACHER OUT DIST TRAVEL
ADMIN OUT DIST TRAVEL
CLASSIFIED OUT DIST TRAVL
TEACHER NEGOTIATED TRAVL
STUDENT TRAVEL
DISTRICT-FUNDED TRAVEL
OTHER TRANSPORTATION
TELEPHONE
POSTAGE
OTHER COMMUNICATION
ADVERTISING
PRINTING
EQUIPMENT REPAIR
REPAIR OF CARS AND TRUCKS
UPKEEP OF GRNDS SUPPLIES
EQUIP REPAIR SUPPLIES
BLDG REPAIR SUPPLIES
CLASSROOM SUPPLIES
SOFTWARE, VIDEOS, ETC.
OTHER SUPPLIES
SUPPLIES FOR RESALE
FOOD SVC SMALL EQUIP
GASOLINE AND OIL
TEXTBOOKS
LIBRARY/REFERENCE BOOKS
PERIODICALS & SUBSCRIPTNS
ONLINE SUBSCRIPTIONS
FOOD PURCHASES
COMPUTER EQUIP (NON-CAP)
OTHER EQUIPMENT (NON-CAP)
BUILDING IMPROVEMENTS
NEW GENERAL EQUIPMENT
NEW FURNITURE
REPLACEMENT GENERAL EQUIP
DUES & FEES $183,226.69
VALERIE ROSE ANDERSON IN-DISTRICT MILEAGE $187.33
VANBEEK, ALLEN PROFESSIONAL SERVICES $120.00
VANDEBERG, DARIN PROFESSIONAL SERVICES $100.00
VARSITY SPIRIT FASHIONS & SUPPLIES OTHER SUPPLIES $488.50
VITAL SOURCE TECHNOLOGIES TEXTBOOKS $39,165.09
VOLUNTEERS OF AMERICA PROFESSIONAL SERVICES $86,295.02
VOWAC PUBLISHING CO TEXTBOOKS (LOANED) $316.35
WALHOF, LOGAN PROFESSIONAL SERVICES $120.00
WALSH, STEVE PROFESSIONAL SERVICES $100.00
WARD’S NATURAL SCIENCE ESTABLISHMEN CLASSROOM SUPPLIES $90.00
WASHINGTON HIGH SCHOOL PROFESSIONAL SERVICES
OTHER SUPPLIES
FOOD PURCHASES
DUES & FEES
CREDIT CARD FEES
STUDENT PASSES
BOOSTER PASSES $10,926.50
WASTE MANAGEMENT SANITARY SERVICES $43,579.62
WATERMAN, TONY PROFESSIONAL SERVICES $226.40
WEAVER, MIKE E PROFESSIONAL SERVICES $356.69
WEBER, HEATH PROFESSIONAL SERVICES $472.00
WEIER, NATHAN PROFESSIONAL SERVICES $180.00
WENGER CORPORATION CLASSROOM SUPPLIES $252.05
WEST MUSIC COMPANY INC CLASSROOM SUPPLIES
OTHER SUPPLIES $686.98
WESTERN PSYCH SERVICES CLASSROOM SUPPLIES $731.50
WHITE III, GARY PROFESSIONAL SERVICES $100.00
WHITE, BRANDON PROFESSIONAL SERVICES $70.00
WIEMAN, CARRIE PROFESSIONAL SERVICES $200.00
WILLERT, GABRIELLE PROFESSIONAL SERVICES $90.00
WILSON, BRENDAN PROFESSIONAL SERVICES $310.00
WOODRIVER ENERGY LLC HEAT FOR BLDGS $88,242.07
XCEL ENERGY ELECTRICITY $59,634.23
YMCA PROFESSIONAL SERVICES $118,397.29
ZANER-BLOSER INC TEXTBOOKS (LOANED) $502.26
ZEIGLER, JERRED PROFESSIONAL SERVICES $150.00
$10,135,649.11
C. Acknowledging the administration’s report of the study of bids which have been received during the prior 30 days and were opened, read, and tabulated in the Central Services Center—Purchasing Department and approving the bids of the lowest responsible bidders in accordance with the tabulated lists of contract awards that have been placed on file for reference purposes, as follows:
1. Friessen Construction for Oscar Howe and Discovery Elementary School Parking Lot and Playground Resurfacing (see PD #3477 and FY24 Legal Publication #37) be awarded to Friessen Construction for their lowest responsible bids for a total amount of $346,490.00 and authorizing the Business Manager to issue a contract to be executed by Friessen Construction (see MRF #19551 and Contract 25-005 JK).
2. Schwartzel Construction for Patrick Henry and Edison Middle School Home Economics-Restroom Renovations and Lighting Retrofit (see PD #3473 and FY24 Legal Publication #29) be awarded to Schwartzel Construction for their lowest responsible bids for a total amount of $1,448,398.00 and authorizing the Business Manager to issue a contract to be executed by Schwartzel Construction (see MRF #19552 and Contract 25-006 JK).
3. Various Vendors for Marcella LeBeau Elementary School Fine Arts Equipment and Supplies (see PD #3475 and FY24 Legal Publication #36) be awarded to Various Vendors for their lowest responsible bids for a total amount of $46,860.09 and authorizing the Business Manager to issue a contract to be executed by Various Vendors (see MRF #19553 and Contract 25-007 MLB).
4. Krier and Blain, Inc. for Renberg Elementary School HVAC Replacement (see PD #3476 and FY24 Legal Publication #35) be awarded to Krier and Blain, Inc. for their lowest responsible bids for a total amount of $314,800.00 and authorizing the Business Manager to issue a contract to be executed by Krier and Blain, Inc. (see MRF #19554 and Contract 25-008 JK).
D. Authorizations and Ratifications
D1. Donations
Adopting a resolution, as follows:
RESOLUTION
WHEREAS, gifts have been presented to the Sioux Falls School District 49-5 of Minnehaha County, South Dakota, and the School Board hereby accepts the gifts (see MRF #19555 for listing of gifts) and;
BE IT RESOLVED, that said gifts shall become the property of the Sioux Falls School District, all in accordance with Policy KCD.
D2. Disposal of School District Property
Authorizing the disposal of surplus property by distributing to children or giving to a nonprofit benevolent organization for their use and/or disposal, to sell at private sale, public auction, or sealed bids or to dispose of, in accordance with SDCL §6-13-1, as follows:
Item No. Description Location Appraisers Appraised Value Property File No.
a. 1 Chromebook Cart Harvey Dunn Elementary School Nicole Wolfgang-Wheeler $0 2025-011
b. 13 TI-84 Calculators Ben Reifel Middle School Harpeet Jones Rebecca VanDrongelen Kristin Johnson $0 2025-012
c. 3 Dish Racks, 10 Misc. Cracked Cambro Pans, 10 Broken Lunch Trays Edison Cafe Allison Wessels Marlys Lidner Dawne Poindexter $0 2025-013
d. 4 Refrigerator Delfield 6000 XL, 2 Freezer Delfield 6000 XL CTE Gregory Dafoe Lynn Reding Ben Schumacher $0 2025-014
D3. Authorizing Purchase Order(s)
Authorizing the Business Manager to issue Purchase Order(s) requiring additional approval of the School Board in accordance with Action 39381.C21, adopted 7/8/24, as follows:
P O No. Vendor Description Total Cost
a. S2504334 Classlink Annual License & Server Hosting for Curriculum Services $86,518.20
b. S2504322 Riverside Technologies 125 Elite Mini 800 G9 Computers for Information Technology Services $124,875.00 d. S2504278 Apple Inc. 1400 iPads, 1 MacBook Air, & 57 Mac Mini Computers for Information Technology Services $495,062.00
D4.Approval of Contracts
Authorizing the President and Business Manager to enter into and execute contracts, for and on behalf of the District, as follows:
CONTRACT NUMBER CONTRACTOR PROJECT COST
a. 25-009 Sanford Sports/Frontiers Lease Agreement for Lincoln High School Use of Sanford Sports Complex See Contract
b. 25-010 Sanford Sports/Frontiers Lease Agreement for Jefferson High School Use of Sanford Sports Complex See Contract
c. 25-011 Sanford Sports/Frontiers Lease Agreement for Washington High School Use of Sanford Sports Complex See Contract
d. 25-012 Sanford Sports/Frontiers Lease Agreement for Roosevelt High School Use of Sanford Sports Complex See Contract
D5. Ratifying the Purchase of Real Property
Ratifying the purchase of the real property from sellers, as follows:
528 North Indiana Avenue – Lot 19 Block 6 Dakota Improvement, Cos 2nd ADDN TO CITY OF SIOUX FALLS, Minnehaha County, South Dakota in the amount of $228,000 and further authorizing the Business Manager, or his designee, to execute Purchase Agreements for the properties (see MRF #19556; Property Jacket #184, and Contract 25-013).
502 North Fairfax Avenue-S12 3 & All 2 Block 2 City View ADDN TO CITY OF SIOUX FALLS, Minnehaha County, South Dakota in the amount of $210,000 and further authorizing the Business Manager, or his designee, to execute Purchase Agreements for the properties (see MRF #19557; Property Jacket #185, and Contract 25-014).
And finally authorizing the Business Manager to issue manual checks to complete the property transactions with the understanding that the manual checks will be reported in the manual check report of a subsequent School Board meeting
D6. Acceptance of Contracts
Accepting construction projects, by the Sioux Falls School District 49-5, 201 E. 38th Street, Sioux Falls, SD 57105, as complete, as follows:
CONTRACT
NUMBER
CONTRACTOR
PROJECT
a. 23-073 Krier and Blain, Inc HVAC Upgrades at Various Buildings
D7. Amendment of Previous School Board Action
Amending Action 39695.C7 adopted 1/27/2025, by deleting at the end “with the partnership of Minnehaha County” and adding at the end “using 13 Vote Centers and designating the whole District as one precinct.”
D8. Petitions for Residency Determination Approving the request for assignment of one (1) student to attend John Harris Elementary School, one (1) student to attend Oscar Howe Elementary School, one (1) student to attend Robert Frost Elementary School, one (1) student to attend Whittier Middle School, one (1) student to attend Roosevelt High School, and one (1) student to attend Washington High School.
E. Accepting the Consolidated Report of Trust and Agency Funds of December-Revised for receipts and disbursements through December 2024 stating for the record receipts total $12,447,444.73 and disbursements total $12,390,490.70 (see MRF #19558).
F. Accepting the Business Manager’s Reports of January, 2025 in accordance with SDCL §13-8-35 (see MRF #19559) and directing that detailed statement of receipts and balances on hand, as of January 2025, be published as part of these minutes, in accordance with SDCL §13-8-3 and further accepting the report of Advance Payment – Business Office Account for the period 1-1-2025 through 1-31-2025.
G. Approving financial transactions (see MRF #19560 on file in the Finance Office for reference purposes).
H. Accepting the K-12 Personnel Report, as follows:
H1. RESIGNATIONS. Accepting the resignation of School District Personnel as of the effective date indicated, the personnel having been previously employed by Board Action, as follows:
Name Effective Location/Position Date
Teacher
Cameron, Christopher LHS/Science 05/22/25
Nieman, Angela**** WHS/Dance 05/22/25
Schwartz, Halie R Parks/3rd Grade 05/22/25
Stearns, Megan Discovery/School Psychologist 05/22/25
Employment Contract
Haak, Christine*** A Sullivan/Occupational Therapist 05/22/25
Specialist
Bachtell, Katie Bridges H Mann/Behavior Facilitator 02/21/25
Prodanovich, Bonnie* Learning Lab/Birth-3 Screener 06/30/25
Clerical
Amending Action 39704.F1 adopted February 10, 2025, as it pertains to Janis Fromknecht by deleting resignation date of 02/10/25 and inserting the correct resignation effective date of 02/06/25 for the 2024-2025 School Year. (Anne Sullivan Clerical)
Education Assistant
Bickett, Julie SBA/SpEd-Personal 03/13/25
Brave, Cheyann Bridges H Mann/SpEd-Behavior 02/14/25
Schalesky, Myriaah JFK/SpEd-Rise 02/07/25
Custodian
Oreste-Castillo, Maria RHS/Custodian 02/07/25
Toto, Musa R Parks/Custodian 02/14/25
Extra Duty/Extra Pay
Nieman, Angela WHS/Head Competition Dance Coach 05/22/25
Substitute Teacher
Kjesbo, Allen District Wide 10/11/24
Negash, Martha District Wide 12/05/23
*Retirement
***Retirement, Health Benefits Only
****Retirement, Special Pay/Health
H2. CHANGE OF STATUS
Name Delete Add
Teacher
Mercado-Ford, Angelica WHS/English
FTE 1.0
$54,349.00 Unpaid Leave of Absence
Eff. 08/14/25
Specialist
Alvarez, Bryan D Wide/Substitute
$160.00/day GMMS/Specialist
Behavior Facilitator
FTE 1.0
$22.88/hr
Eff. 02/10/25
Clerical WMS/EMPH
School Student Support
$20.00/hr
Aleman, Georgina WMS/Clerical
Front Desk
$20.15/hr
Eff. 02/06/25
Hurley, Dominique LHS/Lead Clerical
FTE 1.0
$29.79/hr Unpaid Leave of Absence
Eff. 03/25/25
Custodian
Batula, Mirjana RHS/HS Custodian
$20.01/hr MMS/MS Custodian
$20.87/hr
Eff. 02/05/25
Mukala, Beatrice RHS/HS Custodian
$19.80/hr MMS/MS Custodian
$20.65/hr
Eff. 02/17/25
Custodial Manager
Hahn, Patrick Howard Wood/1025
Groundskeeper
$26.44/hr JHS/SFCM
Night Supervisor
$28.34/hr
Eff. 02/18/25
H3. EMPLOYMENT RECOMMENDATIONS
Name Location/Position Effective Date Actual Pay
Name Location/Position Date Pay
Education Assistant, per hour
Gordon, Michael H Dunn/SpEd-Resource 02/10/25 $17.85
Jager, Latrisha Hawthorne/SpEd-Personal 02/19/25 17.85
Mantz, Marley J Harris/LAPOP 02/19/25 17.85
Custodian, per hour
Burns, Jerald WHS/Custodian 02/12/25 $19.80
Contreras, Byron JHS/Custodian 02/19/25 19.80
Lape, Raymond RHS/Custodian 02/18/25 19.80
Rai, Anish LHS/Custodian 02/25/25 19.80
Child Nutrition, per hour
Tegethoff, Nicholas CNS/Equipment Warehouse 02/17/25 $25.60
Community Learning Center, per hour
Amending Action 39704.F4 adopted February 10, 2025, as it pertains to Barbara Steele by deleting the effective date of 01/28/25 and inserting the correct effective date of 01/15/2025 for the 2024-2025 School Year.
Anfinson, Alexis R Frost/CLC Behavior Facilitator 02/07/25 $23.38
Stirling, Codi All City/CLC Tutor 02/17/25 20.80
Substitute Education Assistant, per hour
Rasmussen, Jennfier District Wide 02/05/25 $17.85
Extra Duty/Extra Pay, lump sum
Kyle, Kevin GMMS/Girls Soccer Coach 04/01/25 $1,910.00
CLC CPR Training, lump sum
Bin Farid, Muhammad District Wide/Substitute Teacher 11/07/24 $75.00
Mager, Christy Youth Development Specialist 11/19/24 60.00
CLC SD Orientation to Childcare, lump sum
Bin Farid, Muhammad District Wide/Substitute Teacher 12/09/24 $120.00
LHS Band August Payroll, lump sum
Burns, Julia Summer Help 08/01/24 $3,000.00
Middle School Wrestling Meets, lump sum
Chap, Peter Assistant Coach 02/05/25 $400.00
Substitute Teacher Skills Diploma (February), $50.00 lump sum
Bills, Charles
Boechler, Tara
Bosch, Erin
Brady, Morgan
Brockhouse, Samantha
Brown, Lilly
Chuol, Parna
Dahl, Conrad
Everding, Nichole
Gannott, Tessa
Green, Stanley
Hartford, Colton
Hoff, Emma
Jensen, Sydney
Kaiser, Emmarie
Kaufmann, Morgan
Luther, Nicholas
Marso, Melisa
Meinerts, Michelle
Nguyen, Andrew
Oberman, Rachael
Pudwill, Dorothea
Talberg, Alexandra
Substitute Teacher Safety Training, January 22, 2025, $40.00 lump sum
Bergman, Amber
Bosch, Erin
Boyum, Annie
Brockhouse, Samantha
Bruggeman, Casey
Bucher, Anna
Campbell, Pamela
Chakravarty, Debarati
Clark, Meghan
Cooper, Sam
Decker, Calen
Decker, Ellie
Doyle, Gail
Gann, Janna
Grosvenor, Brent
Handevidt, Payton
Kuchel, Austin
Marso, Melisa
Mateo Diego, Sandra
McAmis-Burger, Abby
Menierts, Michelle
Miller, Jeffrey
Morrison, Genevieve
Ortiz, Yessenia
Ostbye, Olivia
Plucker, Katelyn
Reed, Maia
Smith, Emily
Stanton, Sierra
Talberg, Alexandra
Taylor, Laurie
Temple, James
Substitute Teacher Safety Training, Feb. 5, 2025, $40.00 lump sum
Althoff, Barrett
Bolton, Lanie
Brown, Lilly
Casey, Marian
Crowder, Camdyn
Dahl, Conrad
Debban, Faith
Duncan, Ranae
Erdahl, Katie
Farrow, Morrigan
Janke, Jadon
Kathner-Tucker, Quinn
Keating, Maxon
Mageo, Nefu
Marcotte, Maxwell
Mason, Brennan
Mastalir, Rachel
McGowen, Gina
Nichols, Joshua
Piepho, Erich
Pudwill, Dorothea
Rasmussen, Jennifer
Warkenthien, Jaxen
Weiland, Victoria
Substitute Teacher, $160/day
Althoff, Barrett
Bolton, Lanie
Brown, Lilly
Casey, Marian
Crowder, Camdyn
Dahl, Conrad
Debban, Faith
Duncan, Ranae
Erdahl, Katie
Farrow, Morrigan
Janke, Jadon
Kathner-Tucker, Quinn
Keating, Maxon
Mageo, Nefu
Marcotte, Maxwell
Mason, Brennan
Mastalir, Rachel
McGowen, Gina
Nichols, Joshua
Piepho, Erich
Pudwill, Dorothea
Warkenthien, Jaxon
Weiland, Victoria
Long-term Substitute Teacher
Severson, Kendra Cleveland/ECH
H4. VOLUNTEERS
See MRF #19561
Action 39711
A motion was made by Gail Swenson and seconded by Nan Kelly four (4) votes “yes” on roll call, approving the following claims to Sanford Healthcare Systems.
a. Sanford Health in the amount of $708.00 for Professional Services.
b. Sanford Sports in the amount of $75.00 for Professional Services
c. Sanford Training Center in the amount of $32.00 for Professional Services.
d. Sanford Health Occupational in the amount of $1,003.00 for Professional Services.
Action 39712
Todd Vik, Business Manager, reviewed the administration’s recommended positions on 2025 pending legislation (see MRF #19562) that is currently before the South Dakota legislature and would impact the Sioux Falls School District if enacted into law. Mr. Vik stated that the administration is working closely with the District’s legislators to let them know the District’s position on each of the bills.
Following general discussion, a motion was made by Marc Murren and seconded by
Nan Kelly, four (4) votes “yes” on roll call, acknowledging the update on 2025 pending legislation as presented.
Action 39713
On motion by Gail Swenson and seconded by Marc Murren four (4) votes “yes” on roll call, the School Board adjourned at 6:05 p.m.
DAWN MARIE JOHNSON
Presiding Officer
TODD VIK
Business Manager
Published once on Mar. 7, 2025, at the approximate cost of $584.76, and may be viewed free of charge at www.sdpublicnotices.com or TheDakotaScout.com.
BALTIC
PUBLISH: Feb. 28 & Mar. 7, 2025
NOTICE OF MEETING OF BOARD OF EQUALIZATION
CITY OF BALTIC
SDCL 10-11-13
NOTICE IS HEREBY GIVEN That the governing body, sitting as a Review Board of Equalization for the City of Baltic, Minnehaha County, South Dakota, will meet at the Baltic City Hall, in said taxing jurisdiction on Friday the 21st of March, 2025 at 6:00 pm for the purpose of reviewing and correcting the assessment of said taxing district for the year, 2025.
All persons considering themselves aggrieved by said assessment, are required to notify the Baltic Municipal Finance Officer, in writing, no later than Friday, the 21st of March, 2025 of their intention to appeal their assessment.
City of Baltic, South Dakota
Lacey Harrington
Municipal Finance Officer
Published twice on Feb. 28 & Mar. 7, 2025, at the approximate cost of $18.78, and may be viewed free of charge at www.sdpublicnotices.com or TheDakotaScout.com.
MINNEHAHA COUNTY
PUBLISH: Feb. 28 & Mar. 7, 2025
FACT OF ADOPTION
An ordinance amending MC28-01 the 2001 Revised Joint Zoning Ordinance for Minnehaha County and the City of Dell Rapids.
The Minnehaha County Board of Commissioners adopted Ordinance MC28-20-25 on February 25, 2025. Ordinance MC28-01, the 2001 Revised Joint Zoning Ordinance for Minnehaha County and the City of Dell Rapids was amended to add Vacation Home Rental/Short Term Rental as a conditional use in the A-1 Agriculture District, RR-1 Rural Residential District, RR-5 Rural Residential District, R-1 Residential District, Recreation/Conservation District; Vacation Home Rental/Short Term Rental in the Additional Use Regulations and a definition for Vacation Home Rental/Short Term Rental.
The entire ordinance is on file in the office of the County Auditor and available for inspection during regular business hours.
Leah Anderson,
County Auditor
Published twice on Feb. 28 & Mar. 7, 2025, at the approximate cost of $21.63, and may be viewed free of charge at www.sdpublicnotices.com or TheDakotaScout.com.
-
PUBLISH: Feb. 28 & Mar. 7, 2025
FACT OF ADOPTION
An ordinance amending the 2001 Revised Joint Zoning Ordinance for Minnehaha County and City of Dell Rapids.
The Minnehaha County Board of Commissioners adopted Ordinance MC28-22-25 on February 25, 2025. This ordinance amended Ordinance MC28-01, the 2001 Revised Joint Zoning Ordinance for Minnehaha County and City of Dell Rapids by amending Articles 12.07 Accessory Building and Uses, 12.11 Temporary Use, and Article 26.02 Definitions.
The entire ordinance is on file in the office of the County Auditor and available for inspection during regular business hours.
Leah Anderson,
County Auditor
Published twice on Feb. 28 & Mar. 7, 2025, at the approximate cost of $16.51, and may be viewed free of charge at www.sdpublicnotices.com or TheDakotaScout.com.
-
PUBLISH: Feb. 28 & Mar. 7, 2025
FACT OF ADOPTION
An ordinance amending MC28-01 the 2001 Revised Joint Zoning Ordinance for Minnehaha County and the City of Dell Rapids.
The Minnehaha County Board of Commissioners adopted Ordinance MC28-21-25 on February 25, 2025. Ordinance MC28-01, the 2001 Revised Joint Zoning Ordinance for Minnehaha County and the City of Dell Rapids was amended to add Long Term Lease or Rentals to Article 12 – Additional Use Regulations.
The entire ordinance is on file in the office of the County Auditor and available for inspection during regular business hours.
Leah Anderson,
County Auditor
Published twice on Feb. 28 & Mar. 7, 2025, at the approximate cost of $16.51, and may be viewed free of charge at www.sdpublicnotices.com or TheDakotaScout.com.
-
PUBLISH: Feb. 28 & Mar. 7, 2025
FACT OF ADOPTION
An ordinance amending Ordinance MC30-02, the Revised Joint Zoning Ordinance for Minnehaha County and the City of Sioux Falls.
The Minnehaha County Board of Commissioners and Sioux Falls City Council jointly adopted Ordinance 30-52-25 on February 25, 2025. This ordinance amended Ordinance MC30-02, the Revised Joint Zoning Ordinance for Minnehaha County and the City of Sioux Falls by rezoning property legally described as the SW ¼ NW ¼ of Section 25, T102N, R49W, Minnehaha County, SD and amending the official zoning map referred to in Article 2.03(A) to include the property within the A1-Agricultural District.
The entire ordinance is on file in the office of the County Auditor and available for inspection during regular business hours.
Leah Anderson
County Auditor
Published twice on Feb. 28 & Mar. 7, 2025, at the approximate cost of $19.92, and may be viewed free of charge at www.sdpublicnotices.com or TheDakotaScout.com.
-
PUBLISH: Mar. 7 & Mar. 14, 2025
REQUEST FOR PROPOSALS
MINNEHAHA County, SD Requests Proposals for a Campus Master Plan
Proposals shall be received on April 14, 2025, not later than 12:00 p.m. central time. Proposals shall be publicly opened on or after April 14, 2025.
The RFP is available at https://minnehahacounty.gov/notices/biddersProposals/biddersProposals.php or from the Commission Office at 415 N. Dakota Avenue, Sioux Falls, SD. Cite RFP No MC25-01.
Minnehaha County reserves the right to reject any or al bids, waive technicalities, and make award(s) as deemed in the best interest of Minnehaha County, SD.
Leah Anderson,
County Auditor
Minnehaha County
Published twice on Mar. 7 & Mar. 14, 2025, at the approximate cost of $17.65, and may be viewed free of charge at www.sdpublicnotices.com or TheDakotaScout.com.
-
PUBLISH: Mar. 7 & Mar. 14, 2025
NOTICE TO BIDDERS
Minnehaha County Highway Department requests formal proposals (bids) for “2025-2026 Annual Highway Materials.”
These five separate contracts will consist of furnishing specified materials for the annual term of the contract, generally including:
No. 1—Hot Mix Asphalt (HMA) Concrete Pavement
No. 2—Snow Plow Cutting Edges
No. 3—Rock Salt and Transportation
No. 4—UV CIPP Culvert Lining
Bids may be submitted either through QuestCDN vBid or in paper form (see specific requirements hereinafter). All bids, whether submitted electronically through QuestCDN vBid online bidding or, alternatively, submitted by sealed paper copy must be received by the Minnehaha County Auditor’s Office, 415 N Dakota Avenue, Sioux Falls, SD 57104, not later than 10:15 a.m. Wednesday, March 26, 2025. Bids shall be publicly opened and read at the Auditor’s Office at 10:30am on Wednesday, March 26, 2025. For these contracts, bidding information can be obtained in either of the following ways:
1. By download at www.questcdn.com; or
2. In paper form from the Minnehaha County Highway Department located at 2124 E. 60th Street North, Sioux Falls, South Dakota 57104.
Electronic Bids: Electronic bids will only be received and accepted via the online electronic bid service QuestCDN vBid. Reference QuestCDN project number 9553537. QuestCDN will charge non-refundable fees to download the Request for Proposal and also to place a vBid. Contact QuestCDN Customer Support at 952-233-1632 or info@questcdn.com for assistance in membership registration, downloading digital Request for Proposal information and vBid online bid submittal. Downloading bid documents from QuestCDN will add your company to the Plan Holder List and allow you access to vBid online bidding for the submittal of your proposal (bid).
Sealed Paper Bids: Sealed paper bids must be submitted to the Minnehaha County Auditor’s Office, 415 N Dakota Avenue, Sioux Falls, SD 57104, using only the proposal forms available at the Minnehaha County Highway Department located at 2124 E 60th Street North, Sioux Falls, SD 57104. Paper bids submitted on forms other than the proposal forms provided by the Minnehaha County Highway Department will be deemed irregular and will not be considered.
Minnehaha County reserves the right to reject any or all formal Proposals (Bids), waive technicalities, and make award(s) as deemed to be in the best interest of the County.
Published twice on Mar. 7 & Mar. 14, 2025, at the approximate cost of $54.63, and may be viewed free of charge at www.sdpublicnotices.com or TheDakotaScout.com.
-
PUBLISH: Mar. 7, 2025
THE MINNEHAHA COUNTY COMMISSION
CONVENED AT 9:00 AM on March 4, 2025, pursuant to adjournment on February 25, 2025. COMMISSIONERS PRESENT WERE: Bleyenberg, Heisey, Karsky, and Kippley. Commissioner Beninga was absent. Also present were Kym Christiansen, Commission Recorder, and Eric Bogue, Chief Civil Deputy State’s Attorney.
Chair Karsky called the meeting to order.
MOTION by Heisey, seconded by Kippley, to Approve the Agenda. 4 ayes
CONSENT AGENDA
MOTION by Bleyenberg, seconded by Heisey, to Approve the Consent Agenda. By roll call vote: 4 ayes. The consent agenda includes the following items:
Commission Meeting Minutes for February 25, 2025
Joint Dell Rapids/Minnehaha County Meeting Minutes for February 25, 2025
Joint City of Sioux Falls/Minnehaha County Meeting Minutes for February 25, 2025
Bills to be Paid $655,969.61
3200 RUSSELL LLC Motels $360, A&B BUSINESS SOLUT Lease-Rental Agreement $389.54, A&B BUSINESS SOLUT Maintenance Contracts $398.45, ACTIVE DATA SYSTEMS Records Storage $1500, AIRWAY SERVICE INC Automotive/Small Equipment $3062.55, AIRWAY SERVICE INC Gas Oil & Diesel $301.44, ALL NATIONS INTERPRE Interpreters $7095.95, ANDERSON JONES CORCO Burials $1500, ANDERSON, JENNIFER Bd Evaluations (Minnehaha) $4949.92, ANGEL, EDWARD P Attorney Fees $288.5, APPEARA Program Activities $65.64, ASH LAW OFFICE PLLC Attorney Fees $4369.45, ASTROPHYSICS INC Maintenance Contracts $5650, AVERA HEART HOSPITAL Safety & Rescue Equipment $140, BALOUN LAW PC Child Defense Attorney $98.4, BANKERS EQUIPMENT SV Maintenance Contracts $514, BARNETT LEWIS FUNERA Burials $2000, BEN BAXA Taxable Meal Allowances $28, BILLION AND WEBER LA Attorney Fees $2631, BLACKBURN & STEVENS Attorney Fees $150.23, BOSMAN, JOSEPH Uniform Allowance $194.08, BRYAN, CHRIS Chemicals $40, BULLIS, MATTHEW Investigators Expenses $29.48, CENTURY BUSINESS PRO Lease Principal $719.04, CENTURY BUSINESS PRO Maintenance Contracts $789.63, CHARMTEX INC Child Care Items $59.26, CHARMTEX INC Child Care Uniforms $349.7, CIVIL DESIGN INC Architects & Engineers $1905, CONTROL INSTALLATION HHS Maintenance $235.66, CORRECT RX PHARMACY Contract Services $5.23, CORRECTIONAL MEDICAL Contract Services $233653.52, CREEKSTONE FALLS Welfare Rent $575.34, CYNTOM PROPERTIES AN Welfare Rent $900, DAKOTA EMBALMING & T Transportation $3800, DAKOTA FLUID POWER I Automotive/Small Equipment $109.73, DAKOTA LETTERING ETC Uniform Allowance $5570.25, DATA SYSTEMS INC Office Supplies $227, DENHERDER LAW OFFICE Attorney Fees $175.23, DINGES PARTNERS GROU Safety & Rescue Equipment $36.47, DUST TEX SERVICE INC Janitorial Chemical Supplies $42.9, EICH LAW OFFICE LLC Attorney Fees $3721, EICH LAW OFFICE LLC Child Defense Attorney $1568, ETTERMAN ENTERPRISES Small Tools & Shop Supplies $159.24, EXHAUST PROS OF SIOU Automotive/Small Equipment $189.22, FALLS VIEW Miscellaneous Expense $35, FASTENAL COMPANY Jail Repairs & Maintenance $2.76, FLEETPRIDE INC Truck Repairs & Maintenance $29.48, FRED THE FIXER INC Building Repairs & Maintenance $150, G & R CONTROLS INC Fairgrounds $145, G & R CONTROLS INC Museum Renovations $8660, G & R CONTROLS INC Uniform Allowance $131.09, GOEBEL PRINTING INC Office Supplies $85, GOEBEL PRINTING INC Printing/Forms $137, GOLDEN WEST Telephone $69.95, GRAHAM TIRE CO NORTH Automotive/Small Equipment $584, GRAINGER Hwy Shop Repairs & Maintenance $49.21, GRAINGER Jail Repairs & Maintenance $71.7, GRAINGER Small Tools & Shop Supplies $8.53, GRIESE LAW FIRM Attorney Fees $5141.5, GUNNER, ANDREA Court Reporters $88.8, GUZMAN, SANDRA V Interpreters $335, HANSON, MICHAEL W Attorney Fees $6211, HDR ENGINEERING INC Architects & Engineers $10853.75, HONERMAN, MARK Chemicals $40, HORIZON PLACE Miscellaneous Expense $50, HUGHES COUNTY (SD) S Contract Services $20.9, IDEMIA IDENTITY & SE Maintenance Contracts $2598, INNOVATIVE OFFICE SO Janitorial Chemical Supplies $19733.52, INTERSTATE OFFICE PR Office Supplies $163.4, IOWA SFK LEASING INC Homeland Security $33196, ISI LLC Interpreters $220, JCL SOLUTIONS Inmate Supplies $3788.7, JCL SOLUTIONS JDC Custodial Supplies $742.62, JCL SOLUTIONS JDC Maintenance $30, JCL SOLUTIONS Kitchen/Cleaning Supplies $5527.65, JEFFERSON PARTNERS L Transportation $2046.22, JEO CONSULTING GROUP Architects & Engineers $1543.68, KENNEDY, RENEE S Court Reporters $319.75, KOCH, ELIZABETH J Bd Exp Fees (Minnehaha) $1248, KOLETZKY LAW OFFICE Attorney Fees $241.5, LAUGHLIN LAW LLC Attorney Fees $987.5, LAUGHLIN LAW LLC Child Defense Attorney $2328.5, LIGHT AND SIREN Heavy Equip Repairs & Maint $496.81, LISA CARLSON REPORTI Court Reporters $539, LOPEZ, REBECA Interpreters $660, LOVING, PHILIP Bd Evaluations (Minnehaha) $5866.78, LUTHERAN SOCIAL SVCS Evening Report Center $4998.24, LUTHERAN SOCIAL SVCS Shelter Care/Reception Center $82686.28, MARION COMMUNITY MHP Welfare Rent $1000, MARSH & MCLENNAN LLC Notary Exp $50, MCCUBBIN, JASON Chemicals $40, MELLETTE COUNTY Board of Prisoners-Housing $284, MENARD INC Program Activities $95.52, MICHELS COMMUNICATIO Program Activities $700, MICROFILM IMAGING SY Contract Services $1930.5, MICROFILM IMAGING SY Lease-Rental Agreement $530, MICROFILM IMAGING SY Software $200, MIDAMERICAN ENERGY C Natural Gas $8273.17, MIDCONTINENT COMMUNI Amounts Held For Others $276.78, MIDLAND INC Fairgrounds $111.37, MINNEHAHA CNTY TREAS Miscellaneous Expense $30, MINNEHAHA CONSERVATI Bldg/Yard Repair & Maintenance $3898.26, NAPA AUTO PARTS Automotive/Small Equipment $63.33, NORTH CAROLINA DEPT Contract Services $153.45, NYBERGS ACE HARDWARE Small Tools & Shop Supplies $53.13, OLSON LAW FIRM PLLC Attorney Fees $219.84, OREILLY AUTOMOTIVE S Automotive/Small Equipment $66.84, OVERHEAD DOOR COMPAN Hwy Shop Repairs & Maintenance $423.47, PEGASUS OF SD Welfare Rent $1550, PERSON, RONALD E OR Lease Interest $1347.04, PERSON, RONALD E OR Lease Principal $727.96, PETTY-RUSHING, BREND Professional Services $895, PRIDE NEON, INC Automotive/Small Equipment $710, QUALIFIED PRESORT SE Postage $176.19, QUALIFIED PRESORT SE Printing/Forms $45267.97, QUALITY WELDING & MF Grounds & Parking Repair $314.9, QUALITY WELDING & MF Hwy Shop Repairs & Maintenance $155.1, R&L SUPPLY LTD Heat, Vent & AC Repairs $297.06, RATERMAN, CODY D Attorney Fees $828, RENTOKIL NORTH AMERI Professional Services $81.88, RESOLUTE LAW FIRM IN Attorney Fees $338.7, ROEMEN’S AUTOMOTIVE Automotive/Small Equipment $49.97, SAFE HOME LTD PTNRSH Rent Subsidies $10689, SANFORD Professional Services $165.45, SANFORD CLINIC Lab Costs $886, SANFORD CLINIC Miscellaneous Expense $60, SHAYLA SOLO Misc Revenue $150, SHERWIN WILLIAMS Building Repairs & Maintenance $240.93, SIOUX FALLS CITY Welfare Utilities $207.23, SIOUX FALLS FORD INC Automotive/Small Equipment $1524.66, SISSON PRINTING INC Printing/Forms $1706.85, STAN HOUSTON EQUIPME Fairgrounds $75, STANTEC CONSULTING S Architects & Engineers $22000, STATE OF SOUTH DAKOT Amts Held-Daily Scram $4163, STATE OF SOUTH DAKOT Amts Held-Remote Breath $959, STATE OF SOUTH DAKOT Architects & Engineers $1183.48, STATE OF SOUTH DAKOT Hwy Shop Repairs & Maintenance $240, STATE OF SOUTH DAKOT Inmate Supplies $586.8, STATE OF SOUTH DAKOT Office Supplies $37.87, STATE OF SOUTH DAKOT Printing/Forms $111.25, STREICHERS INC Uniform Allowance $222, STURDEVANTS AUTO PAR Small Tools & Shop Supplies $17.9, STURDEVANTS REFINISH Small Tools & Shop Supplies $102.56, SUMMIT FOOD SERVICE Child Care Food $1416.97, SUMMIT FOOD SERVICE Inmate Supplies $139.47, SUMMIT FOOD SERVICE School Lunch Program $3145.95, THOMPSON ELECTRIC CO Contract Services $1072, TOMACELLI’S TOO Jury Fees $157.44, TRI-STATE NURSING Professional Services $2774.5, TRIANGLE PROPERTIES Welfare Rent $322, TSCHETTER & ADAMS LA Attorney Fees $893.5, TURTLE CREEK Welfare Rent $1200, TYLER TECHNOLOGIES I Contract Services $322.02, TYLER TECHNOLOGIES I Software $898, TZADIK SIOUX FALLS I Welfare Rent $1553, UNIVERSITY PARK LEGA Professional Services $1850, US FOODS INC Other Supplies $71.32, US FOODS INC Professional Services $2221.02, VER BEEK, KELSEY Child Defense Attorney $4337.75, WALL LAKE SANITARY D Water - Sewer $90, WALTER, MAX Attorney Fees $990, WALTON, MARCUS Child Defense Attorney $1782.5, XCEL ENERGY Electricity $20803.89, YANKTON COUNTY Return Of Service $50.
Routine Personnel Actions
1. Jesse Mohr, variable hour Correctional Officer for the 24/7 Program, at $22.55/hour effective 02/28/2025.
2. Delaney Connar, variable hour Juvenile Correctional Worker for the Juvenile Detention Center, at $22.55/hour, effective 03/10/2025.
3. Lindsey Wright, Legal Office Assistant for the Public Advocate’s Office, at $21.42/hour (10/1) effective 03/10/2025.
4. Luke Galloway, Deputy Sheriff for the Sherriff’s Office, at $30.26/hour (17/1) effective 03/10/2025.
Step Increases
1. Jason Gearman, Sheriff’s Office Director of Emergency Management, at $4,491.20/biweekly (21/14) effective 01/28/2025.
3. Maria Munkvold, Sergeant for Emergency Management, at $42.80/hour (20/7) effective 01/07/2025.
3. Betsy Doyle, Chief Deputy Public Defender for the Public Defender’s Office, at $5,470.40/biweekly (25/6) effective 02/22/2025.
4. Joshua Phillips, Captain for the Sheriff’s Office, at $4,601.60/biweekly (23/7) effective 02/02/2025.
5. Jared Terrones, Deputy Sheriff for the Sheriff’s Office, at $40.73/hour (17/11) effective 02/28/2025.
6. Marc Toft, Digital Discovery Technician for the State’s Attorney’s Office, at $31.04/hour (14/6) effective 02/11/2025.
7. Laura Haatvedt, Tax and License Technician for the Treasurer’s Office, at $24.25/hour (10/4) effective 01/27/2025.
Special Personnel Actions
1. To hire Lyndsay DeMatteo as a Senior Deputy Public Defender with the Public Defender’s Office at $4,274.40/biweekly (22/8) effective 03/17/2024.
To record significant employee anniversaries for March 2025: 5 years-Amber Whittington, Kathi Zaddam; 10 years-Albert Chagolla, Erin Herschberger; 15 years-Dean Hodgen; 20 years-Travis Krueger, John Sites, Jeff Thoreson; 25 years-Melissa Godber, Jolynn Harris, Shannon Hemenway, Randy Megard.
To record volunteers in County Departments for February 2025. This list is on file at Human Resources.
Abatement Applications Recommended for Approval by the Director of Equalization
Parcel-93348, Brandon West Mini Storage, LLC, 2022 Property Taxes, $18,212.06
Parcel-93348, Brandon West Mini Storage, LLC, 2023 Property Taxes, $13,771.41
Parcel-93348, State Storage Brandon, LLC, 2024 Property Taxes, $10,197.07
Parcel-55516, KDLT, 2020 Property Taxes, $1,623.75
Parcel-55516, KDLT, 2021 Property Taxes, $1,692.10
Parcel-55516, KDLT, 2022 Property Taxes, $2,133.35
Parcel-55516, KDLT, 2023 Property Taxes, $1,984.18
Parcel-55516, KDLT, 2024 Property Taxes, $1,737.82
PROCLAMATION
The Sioux Falls St. Patrick’s Day Committee has requested a Proclamation from the County Commission for the 45th Annual St. Patrick’s Day Extravaganza in Downtown Sioux Falls. Shawn Clearly introduced Ryan Murphy, head of the St. Patrick’s Day Committee was in attendance to read and receive the proclamation. MOTION by Kippley, seconded by Bleyenberg, to Issue a Proclamation Declaring March 15, 2025, as St. Patrick’s Day in Minnehaha County. 4 ayes.
PRESENTATIONS
Dr. Jeff Luther, Rural Ambulance Quality Assurance Director, provided an overview of 2024 EMS trends. In 2024, overall volume for County EMS increased 2.37% compared to 2023. Even though this isn’t “large” growth by any means, it does continue to outpace actual population growth in the County. Minnehaha County Emergency Medical Services saw very slight increases in response category breakdowns in 2024 for trauma and transfer calls with a percentage point or two above the running average. In 2024, some significant changes in state oversight and regulation of EMS were made. EMTs are now licensed through the State Board of Medical and Osteopathic Examiners rather than the State EMS Office in the Department of Health. The statutory changes made in the 2024 legislative session also resulted in the need for all EMTs and Paramedics to obtain an ambulance driver’s license. The County Emergency Management is tracking all the County EMD providers to assure each has the required licensure. The presentation highlighted the response breakdown by category, incident type breakdown including the top five incident types for each service, and the time-metrics for the County EMS providers. Finally, Dr. Luther presented the EMS report from October 1 to December 31, 2024.
Maria Munkvold, Emergency Management Assistant Director, presented a briefing from Minnehaha County Emergency Management, Rural Ambulance, and Rural Fire Departments. The purpose of the Office of Emergency Management is to provide a workable plan to keep the continuity of federal, state, and local governments during times of disaster or extreme emergency. Accordingly, the Emergency Management Office conducts hazard analysis and develops and updates plans for emergency preparedness, response, recovery, and hazard mitigation. Emergency management also oversees volunteer programs such as the Police Reserve program, Rescue Squad, and Dive Team. Other Emergency Management Services include resource allocation, communications, serving as the weather service liaison, Rural Ambulance, Rural Fire, and SD State Partnership. Finally, the presentation highlighted the upcoming equipment and vehicle needs of the department.
Mike Harstad, Rural Fire Chiefs Association President, provided an update on the Minnehaha County Fire Departments.
Tim Even, Humboldt Ambulance, Curtis Nelson, Garretson Ambulance, and Ryan Sitting, Dell Rapids Ambulance, provided an update on the Minnehaha County Rural Ambulances.
ABATEMENTS
Commissioner Kippley excused himself from the meeting at 10:04 a.m.
Upon the request of Chris Lilla, MOTION by Bleyenberg, seconded by Heisey, to Approve an Abatement Application Recommended for Denial by the Department of Equalization on Parcel 14045 for Year 2024 Property Taxes $98.10 Per SDCL 10-4-19.2, the Exempt Entity did not have Possession of the Property for More than 16 Days of the Month. By roll call vote: 3 ayes.
Commissioner Kippley returned to the meeting at 10:07 a.m.
JOINT POWER FORCE ACCOUNT AGREEMENT
Jacob Maras, Interim Highway Superintendent, was present to authorize the Chair to Re-Sign a Joint Powers Force Account Agreement with the State of Dakota for the Payment of Federal Aid Relief Funds due to June Flooding. This item was originally approved at the November 12, 2024, Commission meeting. The SDDOT has since modified the document to clarify that reimbursements to the county will not occur until the State has received their Federal ER allocation. From June 20 to 22, 2024, Minnehaha County experienced flooding, which damaged several sections of road and various bridges. The proposed agreement provides Federal Aid Emergency Relief Funds for the repair of six sites. These repairs include gravel shouldering, replacement of rip rap, an asphalt overlay, and removal of debris. All repairs have been completed except for rip rap installation for the Big Sioux structure on Holly Boulevard. This work will commence once authorized by the Corps of Engineers. The amount of Federal Aid Reimbursement that is being requested for acceptance is $136,000. MOTION by Heisey, seconded by Bleyenberg, to Authorize the Chair to Re-Sign a Joint Powers Force Account Agreement between Minnehaha County and The State of South Dakota for Payment of Federal Aid Relief Funds due to June Flooding. By roll call vote: 4 ayes.
BID RESULTS
Jacob Maras, Interim Highway Superintendent, reported on the bid opening for MC25-02 Southeast SD County Striping Project held on February 26, 2025. This project, which was previously completed by the SDDOT, consists of retracing existing striping and placing striping on newly surfaced roads in 16 counties in Southeastern South Dakota. Minnehaha County completed the plans and facilitated the bid on behalf of all 16 counties. The following bids were received: Sir Lines-A-Lot with a total bid of $1,044,520.25 and Vogel Traffic Services with a total bid of $1,260,154.40. The Minnehaha County portion of the bid from Sir Lines-A-Lot was $89,443.25. MOTION by Kippley, seconded by Bleyenberg, to Approve Bid Results and Award Recommendation for Project MC25-02 Southeast SD County Striping and Authorize Chair to Sign an Agreement with Sir Lines-A-Lot Traffic Control and Striping at the Contract Price of $89,443.25. By roll call vote: 4 ayes.
REQUEST FOR PROPOSAL
Meredith Jarchow, Assistant Commission Administrative Officer, presented a request to approve the issuance of a Request for Proposal for a Campus Master Plan. As Minnehaha County continues to grow in population, so do our space needs. During the FY2025 budget process, funds were budgeted to conduct a Campus Master Plan to address current and future space needs on the downtown campus. The topic of space needs and current facility conditions at the County were addressed both in 2017 with the USD Master Plan and in 2019 with the Facilities Taskforce. The executive summary of the 2019 Facilities Taskforce stated that the increased demand for services on the downtown campus would outgrow our current facilities by 2032. The Minnehaha County campus has evolved over 130 years to serve the needs of a growing county, with past planning and construction that was made with a view to future needs. This planning has paid off with many original buildings still operational, due in part to our strong maintenance program. The main components of the Campus Master will include: Current Facilities Conditions Assessment; Space and Programming Needs Assessment; Population Growth & Service Needs Analysis; Stakeholder Engagement; Phasing Plan; and Cost Estimation & Financial Capacity. An RFP will allow the County to review proposals and determine final Campus Master Plan components based both on the proposed approach and cost. The proposed deadline for submission is April 14, 2024, with the intent of having a contract for Commission approval in June 2025. The goal is to present the final Campus Master Plan to the Commission by March 2026. Finally, Assistant Commission Administrative Officer Jarchow requested consideration for the appointment of a committee to review the RFPs. There was an initial RFP team formed to help draft the proposed RFP as well as to finalize the draft and those members are recommended to be part of the committee to review the RFPs. In addition to the Assistant Commission Administrative Officer, the proposed committee recommendation is Mark Kriens, Facilities Director; Carey Deaver, Director of Human Resources; Eric Bogue, Chief Civil Deputy State’s Attorney; Susan Beaman, Finance & Budget Officer; Treasurer Kris Swanson; Karl Thoennes, Circuit Court Administrator; and Judge Robin Houwman. MOTION by Kippley, seconded by Heisey, to Approve Issuance of a Request for Proposal for a Campus Master Plan and the Appointment of Members to Review the Request for Proposals for a Campus Master Plan. By roll call vote: 4 ayes.
LEGISLATIVE UPDATE
Meredith Jarchow, Assistant Commission Administrative Officer, provided an update for the 2025 Legislative Session. Some important dates to note regarding the Legislative session are March 6, which is the last day to move required delivery of bills or joint resolutions by a committee to the second house; March 10, which is the last day for a bill or joint resolution to pass both houses; March 13, which is Legislative Day 37; and March 31, which is Legislative Day 38 and the day reserved for consideration of gubernatorial vetoes. The briefing went on to summarize the legislation that the Commission Office is following and included information on various House Bills (HB) and Senate Bills (SB). HB 1119 was deferred to the 41st Legislative Day. HB 1125 was signed by the Governor on February 25. HB 1229 was deferred to the 41st Legislative Day. SB 14, SB 22, and SB 23 were all deferred to the 41st Legislative Day. SB 72 and SB 74 were both delivered to the Governor on February 26. SB 121 was deferred to the 41st Legislative Day. SJR 506 was deferred to the 41st Legislative Day. Assistant Commission Administrative Officer Jarchow provided an update on SB 37, SB 216, SB 191, and HB 1235 as well as HB 1052.
COMMISSIONER LIAISON REPORTS
Commissioner Heisey highlighted the Sioux Empire Water Festival that took place on March 4 and 5.
Commissioner Bleyenberg provided an update on work done by the Community Engagement Division within Minnehaha County Human Services.
Commissioner Karsky reported on the upcoming Sioux Metro Growth Alliance annual meeting.
MOTION by Heisey, seconded by Kippley, to Enter into Executive Session pursuant to SDCL 1-25-2 (1), (3), (4), and (6) at 10:45 a.m. 4 ayes.
Chair Karsky declared the executive session concluded at 12:10 p.m.
MOTION by Kippley, seconded by Heisey, to Adjourn at 12:10 p.m. 4 ayes.
The Commission adjourned until 9:00 p.m. on Tuesday, March 18th, 2025.
APPROVED BY THE COMMISSION:
Dean Karsky
Chair
ATTEST:
Kym Christiansen
Commission Recorder
Published once on Mar. 7, 2025, at the approximate cost of $228.06, and may be viewed free of charge at www.sdpublicnotices.com or TheDakotaScout.com.
-
PUBLISH: Mar. 7, 2025
THE MINNEHAHA COUNTY
BUILDING COMMITTEE
CONVENED AT 8:00 AM on March 4, 2025, pursuant to adjournment on December 3, 2024. COMMISSIONERS PRESENT WERE: Bleyenberg, Karsky, and Kippley; Auditor Anderson, and Director of Facilities and Construction Kriens. Commissioner Beninga and Commission Administrative Officer Greco were absent. Also present were Kym Christiansen, Commission Recorder, and Eric Bogue, Chief Civil Deputy State’s Attorney.
Building Committee Chair Karsky called the meeting to order.
MOTION by Bleyenberg, seconded by Kippley, to Approve the Meeting Minutes from December 3, 2024. 5 ayes.
Commissioner Heisey arrived at 8:01 a.m.
CAMPUS MASTER PLAN
Meredith Jarchow, Assistant Commission Administrative Officer, provided a briefing on the Minnehaha County Campus Master Plan Request for Proposals. The presentation highlighted the master planning process, including the request for proposals timeline, advertisement for the request for proposals, master plan goals, included facilities/departments, scope of work, and selection criteria. The detailed timeline was reviewed, and the submission deadline is April 14, 2025, at 12:00 p.m. with a contract award occurring in May or June. The proposed contract effective date will be June 2025. The RFP will be advertised in the following ways: Minnehaha County Press Release, Minnehaha County Website, Local Newspapers and Directly Notifying Interested Firms. The presentation went on to highlight the following: master plan goals, scope of work, and selection criteria. If the Building Committee has no proposed changes to the RFP, it will be presented during the March 4 Commission Meeting for approval to publish the notice of offerors.
JUVENILE JUSTICE PROJECT
Jamie Gravett, Juvenile Detention Center Director, was present to request approval to assess the feasibility and cost of extending the square footage of the Juvenile Justice Project Phase II footprint. This past fall, the County Commission approved a change order that adjusted the Guaranteed Maximum Price (GMP) from $42,590,000 to $40,287,421. The $2,302,579 reduction in cost was due to favorable project bidding last Spring and the overall project budget of $50,000,000 was likewise reduced by $2,302,579. As a result of the cost savings, the project team recommends that an assessment of the feasibility and cost to extend the square footage of Phase II footprint be conducted. While there is no imminent need for additional space in the currently planned facility, an expansion of Phase II now through the construction of “shell space” could result in significant cost savings in the future. By approving this request, the County may incur professional services costs of up to approximately $10,000 for design and cost estimating. Once the feasibility and cost of an extension are completed, the information will be returned to the Building Committee and County Commission for a final decision. MOTION by Heisey, seconded by Anderson, to Approve a Request to Assess the Feasibility and Cost of Extending the Square Footage of the Juvenile Justice Center Project Phase II Footprint. 6 ayes.
Director Gravett provided an update on the construction process.
MOTION by Kippley, seconded by Heisey, to Adjourn at 8:34 a.m. 6 ayes.
APPROVED BY THE BUILDING COMMITTEE:
Dean Karsky
Building Committee Chair
ATTEST:
Kym Christiansen
Commission Recorder
Published once on Mar. 7, 2025, at the approximate cost of $37.21, and may be viewed free of charge at www.sdpublicnotices.com or TheDakotaScout.com.
LINCOLN COUNTY
PUBLISH: Mar. 7, 2025
LINCOLN COUNTY BOARD OF COMMISSION
Meeting Minutes
February 11, 2025
THE LINCOLN COUNTY BOARD OF COMMISSIONERS convened at on February 11, 2025, with Commissioners Joel Arends, Tiffani Landeen, Betty Otten, Doug Putnam present. Alicia Cafaro, Deputy Auditor, served as Clerk of the Board. Chief Civil Deputy State’s Attorney, Drew DeGroot, was also present.
Chair, Tiffani Landeen, called the meeting to order.
ROUTINE BUSINESS:
MOTION by Joel Arends and seconded by Betty Otten to approve Agenda. Ayes; Joel Arends, Tiffani Landeen, Betty Otten, Doug Putnam, Nays; None. Motion Passed.
Reports:
Mileage Reports
Register of Deeds - January 2025
MOTION by Joel Arends and seconded by Betty Otten to approve Consent Agenda items. Ayes; Joel Arends, Tiffani Landeen, Betty Otten, Doug Putnam, Nays; None. Motion Passed.
CONSENT AGENDA:
MOTION by Joel Arends and seconded by Betty Otten to approve County Commission Minutes: 2.4.25. Ayes; Joel Arends, Tiffani Landeen, Betty Otten, Doug Putnam, Nays; None. Motion Passed.
RESOLUTION: BE IT RESOLVED to approve Lincoln County Claims in the amount of 2,876,997.90: General Fund: Sioux Valley News Inc Publishing 760.03, New Century Press Publishing 255.68, The Dakota Scout LLC Publishing 609.42, Sdacc Sdacc Annual Dues 15,614.00, Canton Chamber Of Commerce 2025 Dues 175.00, Witness Fee And Mileage Witness Fee 20.00 Mileage 33.50 649.30, Peterson Stuart & Klentz, Prof LLC Public Defender Contract 75,694.08, Myers Billion, LLP Contract For Feb 2025 18,025.00, Angel Law, Prof LLC Crt Appt Atty 333.00, Beck Law, Prof LLC Crt Appt Atty 431.00, Beck Law, Prof LLC Crt Appt Atty 1,266.50, Griese Law Firm, Pc Crt Appt Atty 163.50, Griese Law Firm, Pc Crt Appt Atty 1,267.00, Griese Law Firm, Pc Crt Appt Atty 337.70, Griese Law Firm, Pc Crt Appt Atty 81.00, Griese Law Firm, Pc Crt Appt Atty 161.50, Griese Law Firm, Pc Crt Appt Atty 43.50, Griese Law Firm, Pc Crt Appt Atty 205.00, O’Leary Law Office Crt Appt Atty 215.00, O’Leary Law Office Crt Appt Atty 331.00, O’Leary Law Office Crt Appt Atty 82.00, Olson Law Firm, PLLC Crt Appt Atty 184.70, Olson Law Firm, PLLC Crt Appt Atty 46.40, Samp Law Office Crt Appt Atty 780.00, Samp Law Office Crt Appt Atty 656.00, Samp Law Office Crt Appt Atty 546.00, Griese Law Firm, Pc Crt Appt Atty-Juv 2,613.50, Griese Law Firm, Pc Crt Appt Atty-Juv 553.00, Ver Beek Law Prof LLC Crt Appt Atty-Juv 385.20, All Nations Interpreters Inc Interpreting Services 365.00, All Nations Interpreters Inc Interpreting Services 715.00, A To Z World Languages Inc Interpreter 200.00, Isi, LLC Interpreter 100.00, Isi, LLC Interpreter 100.00, Lindahl Md/Phd, Josette Psych Eval 6,000.00, Sandra V. Guzman Interpreter 120.00, Turnwell Mental Health Of South Dakota, Pc Evaluation 2,400.00, Sd State Treasurer Hsc Jan 3,046.52, Pat Beck, Court Reporter Gj Transcript 36.00, Pat Beck, Court Reporter Gj Transcript 63.00, Pat Beck, Court Reporter Gj Transcript 108.00, Juror Fee And Mileage 688.52, Quadient Leasing Usa, Inc Lease Payment 2/25/25-5/24/25, 1,160.79, Pat Beck, Court Reporter Grand Jury 350.00, Pmb 0112, Executive Mgmt Finance Office Access Fees 102.00, Redwood Toxicology Laboratory Lab Testing 57.40, Sd Dept Of Health Lab Testing 6,670.00, Sd Dept Of Health Lab Testing 40.00, Sd Dept Of Health Lab Testing 300.00, Sioux Valley News Inc Supplies 419.10, Thomson Reuters-West Publ Corp Library Plan Charges 19.10, A & B Pure Water Online Corp Drinking Water Machine Contract 207.80, Justice Fire & Safety Inc Fire Extinguisher Inspection And Service - Ec 602.00, Rent-All Inc Lift Rental For Airport Heating Repair. 260.00, Prochem Dynamics LLC Custodial Supplies 1,708.49, Prochem Dynamics LLC Custodial Supplies 76.18, Cintas Corp Rug Cleaning And Exchange - Ch 285.54, Prochem Dynamics LLC Custodial Supplies 54.08, Cintas Corp Rug Exchange And Cleaning - Ec 30.50, Chs Eastern Farmers Propane Utilities - Ec, 1,188.99, City Of Canton Water Utilities - Ch - Low Volume Meter 218.62, City Of Canton Water Utilities - Old Ch 94.57, City Of Canton Water Utilities - Ch - High Volume 91.32, City Of Canton Water Utilities - St 91.32, South Lincoln Rural Water System Water Utilities - Ec 90.20, South Lincoln Rural Water System Water Utilities - Fg 59.00, Xcel Energy Electrical Utilities - Ch, Ec, St, And Fg 7,199.42, Midamerican Energy Co Natural Gas Utilities - Ch 3,298.71, Midamerican Energy Co Natural Gas Utilities - St 440.05, Jw Niederauer Inc Polesaw, Fuel And Spare Chain 826.37, Menards-Sioux Falls West Shelving 199.00, Route 1 Antenna 450.97, Active Data Systems Inc File Director Maintenance 14,298.36, Gworks Pubworks Maintenance 4,623.00, Century Business Products Sheriff Office 53.35, Transunion Risk & Alternative Data Soloutions Inc Over-The-Phone Lookup 75.00, Frantzen Reporting/Pgr8r Inc Transcript 46.50, Frantzen Reporting/Pgr8r Inc Transcript 46.50, Frantzen Reporting/Pgr8r Inc Transcript 42.00, Frantzen Reporting/Pgr8r Inc Transcript 46.50, Frantzen Reporting/Pgr8r Inc Transcript 51.00, Auto Dynamics Inc Oil Change/Tire Rotation 64.00, Auto Dynamics Inc Oil Change/Tire Rotation 80.00, Auto Dynamics Inc Oil Change/Tire Rotation 80.00, Auto Dynamics Inc Oil Change/Tire Rotation 86.00, Auto Dynamics Inc Oil Change/Tire Rotation 100.00, Auto Dynamics Inc Oil Change/Tire Rotation 120.00, Automotive Doctors LLC 21-6 Exhaust Leak 515.61, Tires & More 21-6 Oil Change 83.50, Graham Tire Co LLC-Corp 23-5 Tires 720.00, Dave’s Service & Repair Oil Change And Tire 117.25, Dave’s Service & Repair Oil Change And Tire 25.00, Billion Southtown Inc 22-3 Key Fob 21-5 Oil Change 69.15, Billion Southtown Inc 22-3 Key Fob 21-5 Oil Change 264.67, Voyager Fleet Systems Inc Jan Fuel 1,478.00, Harrisburg Ace Hardware Master Key 3.99, Jack’s Uniforms & Equipment Spike System And Brost Uniform 544.50, Sd Federal Property Agency Blanket For Patrol 210.00, Streicher’s Umthun Rain Jacket 251.00, Swenson, Steven Reimbursement Buy Money 200.00, Sd Dept Of Revenue Tag Renewal 9.00, Jack’s Uniforms & Equipment Spike System And Brost Uniform 1,199.90, Northern Safety Technology, Inc Tahoe Equipment 23,465.64, Nelson, Lowell Reimbursement - Patches & Zipper 31.35, Davison County Sheriff’s Office Jan -Inmate Housing 105.00, Davison County Sheriff’s Office Jan - Inmate Housing 105.00, Minnehaha County Jail Jan Contract & December Overage 211,792.00, Beadle County Sheriff’s Office Inmate Housing 190.00, Minnehaha County Jail December Medical 1,375.22, Sanford Health Inmate Medical 918.12, Avera Medical Group Orthopedics And Sports Medicine Inmate Medical 171.71, Avera Medical Group Orthopedics And Sports Medicine Inmate Medical 192.68, Avera Medical Group Orthopedics And Sports Medicine Inmate Medical 112.75, Avera Medical Group Orthopedics And Sports Medicine Inmate Medical 504.95, Avera Medical Group Hospitalist Sioux Falls Inmate Medical 7.78, Avera Medical Group Hospitalist Sioux Falls Inmate Medical 7.78, Avera Medical Group Hospitalist Sioux Falls Inmate Medical 7.78, Buddi Us LLC January Tagging Days 1,484.00, Jack’s Uniforms & Equipment Swenson-Gloves 117.75, Jack’s Uniforms & Equipment C. Brown - Boots 139.95, Sanford Health Pathology Clinic Coroner Calls - January 2025 1,650.00, Dakota Embalming & Transport Service Inc Removal 950.00, Dakota Embalming & Transport Service Inc Removal 950.00, Dakota Embalming & Transport Service Inc Removal 950.00, Dakota Embalming & Transport Service Inc Removal 950.00, Sanford Health Autopsy + Drug Test (2x) 5,324.00, Sanford Health Coroner 480.00, Sanford Health Pathology Clinic Radiology Exam - Morgue 76.00, Tallgrass Recovery & Sober Living Homes Inc National Opioid Settlement Funds 7,500.00, Kingdom Boundaries Prison Aftercare Ministries Inc National Opioid Settlement Funds 7,500.00, Washed Clean Addiction & Recovery Ministries National Opioid Settlement Funds 7,500.00, The Glory House National Opioid Settlement Funds 7,500.00, Sioux Empire Triage Center Opioid Payment 7,500.00, Keystone Treatment Center Opioid Settlement 7,500.00, Heritage Funeral Home Poor Relief-Funeral 2,500.00, Anderson, Jennifer Marie Mi- Evals 1,081.64, Erin M. Johnson PLLC Mi Board 4,620.00, Fox Law Firm PLLC Mi Hearing-Yankton 132.75, Larson, Valerie Mi Hearing-Yankton 8.00, Katterhagen, Mark Mi Hearing-Yankton 8.00, Phillip Loving Mi Eval 2,841.71, Karla Salem, Qmhp Mi Eval 880.00, Karla Salem, Qmhp Mi Eval 2,200.00, Karla Salem, Qmhp Mi Eval 1,925.00, Schaefer, William Mi Hearing-Yankton 18.00, Sd State Treasurer January 25 Redfield 120.00, Century Business Products Copier 80.85, Embe 2 Masterpiece Fll Competition Game Sets 100.00, Sdae4-Hp Spring Conference 80.00, Sdae4-Hp Spring Conference Registration 80.00, Storo, Tracie January Mileage 139.35, Lincoln Co Conservation District 2025 Budget Allocation 20,000.00, Grossenburg Implement Incorporated Wo1039 222.91, Grossenburg Implement Incorporated Wo1040 62.92, Napa Auto & Truck Parts Of Sioux Falls Wo1042,1027 85.57, Lookout Plan + Code Consulting LLC Fees And Contracts 532.80, Lennox Independent LLC Publishing 18.11, Sweeter, Marlene P&Z Board Mileage 10.40, Jongeling, Jerry P&Z Board Mileage 19.07, Boots, Todd P&Z Board Mileage 23.77, Green, Scott P&Z Board Mileage 20.40, Scott, Erik P&Z Board Mileage 7.65, Otten, Betty P&Z Board Mileage 22.64, Sioux Metro Growth Alliance 2025 Budget Allocation 7,500.00, Road And Bridge Fund: Cintas Corp Mats/Towels/Uniform 240.53, Cintas Corp Uniform 32.50, A-Ox Welding Supply Inc Supplies 56.62, Mulder & Son Inc Wo1041 911.25, Prochem Dynamics LLC Supplies 96.97, Butler Machinery Co Filters 29.76, Butler Machinery Co Wo1016 93.17, Butler Machinery Co Wo1038 28.52, Butler Machinery Co Wo1034 69.66, Dakota Fluid Power Inc Wo1017 408.26, Dakota Fluid Power Inc Wo1028 408.26, Fleetpride, Inc. Wo1019 134.67, Canton Home & Farm Supply Supplies 24.67, Bomgaars Parts 36.66, Butler Machinery Co Wo1016 2,974.41, Butler Machinery Co Filters 13.62, Napa Auto & Truck Parts Of Sioux Falls Wo1037 158.62, Fastenal Company Supplies 132.43, Deans Distributing Supplies 3,118.00, Butler Machinery Co Wo1045 289.24, Napa Auto & Truck Parts Of Sioux Falls Shop Wo1052 33.52, Stan Houston Equip Supplies 277.74, Midwest Motor Supply Co Inc Dba Kimball Midwest Supplies 841.26, Midwest Motor Supply Co Inc Dba Kimball Midwest Supplies 105.00, Midwest Motor Supply Co Inc Dba Kimball Midwest Supplies 280.48, Butler Machinery Co Wo1046 329.44, Sturdevant’s Auto Value Wo1014 69.98, Deans Distributing Supplies 180.95, JFI - Johnson Feed Inc Supplies 48.06, Builders First Source Inc Supplies 36.50, Canton Home & Farm Supply Wo1018 4.95, Midwest Motor Supply Co Inc Dba Kimball Midwest Supplies 802.32, Midwest Motor Supply Co Inc Dba Kimball Midwest Supplies 17.80, Canton Home & Farm Supply Supplies 21.98, Sdachs Shortcourse Reg 300.00, City Of Sioux Falls Public Works Tire Disposal 786.24, Xcel Energy Traffic Lights 124.93, South Lincoln Rural Water System Water 199.40, Midamerican Energy Co Heat 3,555.72, Southeastern Electric Co-Op Inc Electric 2,733.89, Culligan Water Conditioning Corp Water 50.00, Alliance Communications Cooperative Inc Internet 89.95, Verizon Connect Fleet Usa LLC Fleet Gps 950.82, Novak Sanitary Svc Corp Trash 361.00, JFI - Johnson Feed Inc Salt 2,106.11, Sd Dept Of Transportation 04n8 2,378.47, Sd Dept Of Transportation 085c 1,211.07, Sddanr Swd 42-111-170,42-086-170 200.00, JFI - Johnson Feed Inc Salt 2,106.11, JFI - Johnson Feed Inc Salt 2,254.20, JFI - Johnson Feed Inc Salt 2,352.92, JFI - Johnson Feed Inc Salt 2,282.99, JFI - Johnson Feed Inc Salt 2,192.50, JFI - Johnson Feed Inc Salt 2,227.46, Knife River - South Dakota G2 1,658.52, JFI - Johnson Feed Inc Salt 2,067.03, JFI - Johnson Feed Inc Salt 2,110.23, Hoogendoorn Construction Inc Overhead Door Repair 20,681.91 Emergency And Disaster: Interstate Power Systems Inc Water Pump For 911 Generator 2,382.99, Tri-State Emergency Management Association 2025 Dues 20.00, Airport: South Lincoln Rural Water System Water Bill At Legacy Aviation 50.50, Southeastern Electric Co-Op Inc Electric Bill For Lights And Security Gates 326.35, Helms & Associates Airport Improvements 15,154.08, 24/7 Sobriety Fund: Dash 24/7 Gloves 132.43, Ridgway Daniel William Cam Refund 30.00, Roadcap Grant Alexander Cam Refund 24.00, Justice Center Fund: Henry Carlson Construction LLC Lincoln County Justice Center 479,206.00, Statewide Sobriety Fund: Sd Attorney General’s Office 24/7 Program Jan 25 244.00, Sd Attorney General’s Office 24/7 Program Jan 25 2,282.00, Sd Attorney General’s Office 24/7 Program Jan 25 11,248.00, Modern/Preserv/Relief: Sdaco January M & P Sdaco Portion 1,640.00, State Motor Fund: Sd State Treasurer Sd Treasurer Motor Vehicle Excise Tax 561,457.92, Sales Tax Fund: Sd State Treasurer Sd Treasurer Motor Vehicle Excise Tax 1,203,538.98, Births, Deaths, & Titles: Sd State Treasurer January Birth/Death State Portion 780.00. MOTION by Joel Arends and seconded by Betty Otten. Ayes; Joel Arends, Tiffani Landeen, Betty Otten, Doug Putnam, Nays; None. Motion Passed.
RESOLUTION: BE IT RESOLVED to approve the hire of Michelle Burkhart, Finance Manager, in the Auditor’s Office, effective 3/3/2025 at 111/4 $37.29/hr. MOTION by Joel Arends and seconded by Betty Otten. Ayes; Joel Arends, Tiffani Landeen, Betty Otten, Doug Putnam, Nays; None. Motion Passed.
RESOLUTION: BE IT RESOLVED to approve the Step Increase for Todd Baldwin, 911 Communications Director, in the 911 Communications Department, effective the first date of the biweekly pay period following 2/1/2025, 112/13 at $4,102.71/biweekly. MOTION by Joel Arends and seconded by Betty Otten. Ayes; Joel Arends, Tiffani Landeen, Betty Otten, Doug Putnam, Nays; None. Motion Passed.
RESOLUTION: BE IT RESOLVED to approve the Step Increase for David Ekle, Veteran Service Officer, in the Veteran Services Office, effective the first date of the biweekly pay period following 2/5/2025, 107/4 at $28.19/hr. MOTION by Joel Arends and seconded by Betty Otten. Ayes; Joel Arends, Tiffani Landeen, Betty Otten, Doug Putnam, Nays; None. Motion Passed.
RESOLUTION: BE IT RESOLVED to approve the Step Increase for Leah Stroschein, Detective, in the Sheriff’s Office, effective the first date of the biweekly pay period following 2/10/2025, SO1/7 at $35.87/hr. MOTION by Joel Arends and seconded by Betty Otten. Ayes; Joel Arends, Tiffani Landeen, Betty Otten, Doug Putnam, Nays; None. Motion Passed.
RESOLUTION: BE IT RESOLVED to approve the Step Increase for Anthony Von Haden, Deputy Sheriff, in the Sheriff’s Office, effective the first date of the biweekly pay period following 2/12/2025, SO1/2 at $31.71/hr. MOTION by Joel Arends and seconded by Betty Otten. Ayes; Joel Arends, Tiffani Landeen, Betty Otten, Doug Putnam, Nays; None. Motion Passed.
RESOLUTION: BE IT RESOLVED to approve the Step Increase for Israel Perez, Deputy Sheriff, in the Sheriff’s Office, effective the first date of the biweekly pay period following 2/13/2025, SO1/4 at $33.31/hr. MOTION by Joel Arends and seconded by Betty Otten. Ayes; Joel Arends, Tiffani Landeen, Betty Otten, Doug Putnam, Nays; None. Motion Passed.
RESOLUTION: BE IT RESOLVED to approve the Step Increase for Jake Oakland, IT Director, in the Information Technology Department, effective the first date of the biweekly pay period following 2/14/2025, 116/8 at $5,302.80 /biweekly. MOTION by Joel Arends and seconded by Betty Otten. Ayes; Joel Arends, Tiffani Landeen, Betty Otten, Doug Putnam, Nays; None. Motion Passed.
RESOLUTION: BE IT RESOLVED to approve the Step Increase for Matt Nagel, Appraiser, in the Department of Equalization, effective the first date of the biweekly pay period following 2/21/2025, 108/9 at $34.13/hr. MOTION by Joel Arends and seconded by Betty Otten. Ayes; Joel Arends, Tiffani Landeen, Betty Otten, Doug Putnam, Nays; None. Motion Passed.
RESOLUTION: BE IT RESOLVED to approve an automatic budget supplement to the Sheriff’s budget, for unanticipated funds in the amount of $30,000.00. Account 101-4211-33123 in the amount of $30,000.00 and 101-4211-422500 in the amount $30,000.00. MOTION by Joel Arends and seconded by Betty Otten. Ayes; Joel Arends, Tiffani Landeen, Betty Otten, Doug Putnam, Nays; None. Motion Passed.
RESOLUTION: BE IT RESOLVED to approve and authorize the Chair to make payment to Helms & Associates for the administration and construction drawings for the Lincoln County Airport. MOTION by Joel Arends and seconded by Betty Otten. Ayes; Joel Arends, Tiffani Landeen, Betty Otten, Doug Putnam, Nays; None. Motion Passed.
RESOLUTION: BE IT RESOLVED to declare as surplus and remove from Sheriff’s inventory; Glock 43X 9mm with 2 mags Serial # BWUB931. MOTION by Joel Arends and seconded by Betty Otten. Ayes; Joel Arends, Tiffani Landeen, Betty Otten, Doug Putnam, Nays; None. Motion Passed.
REGULAR BUSINESS:
COMMISSIONER BRIEFING: Sheri Lund, County Auditor, introduced David Weilder, Auditor-in-Charge with the Department of Legislative Audit, who gave a presentation regarding the Legislative Audit for the audit year ending 2023 and asked for board action to sign the letter of representation. No public input was heard.
RESOLUTION: BE IT RESOLVED to approve and authorize the Chair and Auditor to sign the letter of representation. MOTION by Betty Otten and seconded by Joel Arends. Ayes; Joel Arends, Tiffani Landeen, Betty Otten, Doug Putnam, Nays; None. Motion Passed.
COMMISSIONER BRIEFING: Jared Narum, Assistant Highway Superintendent, asked for board Action to award the 2025 bridge preservation project. There were three (3) bids submitted for this project; BX Civil and Construction, Inc. submitted a bid for $4,248,000, General Excavating submitted a bid for $3,458,555.50 and Cramer and Associates, Inc. being the low bidder, submitted a bid for $3,213,167.62. The lowest bid came in under the engineer’s estimate and Jared recommended awarding the contract to the lowest bidder, Cramer and Associates, Inc. No public input was heard.
RESOLUTION: BE IT RESOLVED to award the 2025 bridge preservation project to Cramer and Associates, Inc in the amount of $3,213,167,62. MOTION by Betty Otten and seconded by Joel Arends. Ayes; Joel Arends, Tiffani Landeen, Betty Otten, Doug Putnam, Nays; None. Motion Passed.
COMMISSIONER BRIEFING: Traci Humphrey, HR Director, presented a request to approve a two-step increase for an employee in the Sheriff’s Office in the Jail division. No public input was heard.
RESOLUTION: BE IT RESOLVED to approve Jordan Wilcox to receive a step in addition to his anniversary step increase, 106/8 at $29.08/hr effective the first date of the biweekly pay period following 2/12/2025. MOTION by Joel Arends and seconded by Betty Otten. Ayes; Joel Arends, Tiffani Landeen, Betty Otten, Doug Putnam, Nays; None. Motion Passed.
Jim Schmidt entered meeting at 8:43AM.
COMMISSIONER DISCUSSION: Wendy Sweeter, 4-H Director, gave a presentation regarding year-end review of 2024 and looking forward to 2025 & 2026. No public input was heard.
COMMISSIONER DISCUSSION: David Myers, Airport Manager, gave a presentation regarding 2024 year-end review and looking forward to 2025 and 2026. No public input was heard.
COMMISSIONER DISCUSSION: Dr. Kenneth Snell, County Coroner, gave a presentation regarding 2024 year-end review and looking forward to 2025 and 2026. Public input was heard.
OPPORTUNITY FOR PUBLIC COMMENT
No public comment was heard.
COMMISSIONER REPORT (INFORMATIONAL ONLY)
Commissioner’s reports were heard.
EXECUTIVE SESSION:
There was no Executive Session.
ADJOURNMENT
MOTION by Joel Arends and seconded by Jim Schmidt to adjourn at 9:31a.m. until 8:30 a.m. on February 25,2025. Ayes; Joel Arends, Jim Schmidt, Tiffani Landeen, Betty Otten, Doug Putnam, Nays; None. Motion Passed.
Lincoln County Board of Commissioners
Tiffani Landeen, Lincoln County Chair
Attest: ¬¬ Alicia Cafaro, Lincoln County Deputy Auditor
Approved: February 25, 2025
Published once on Mar. 7, 2025, at the approximate cost of $200.79, and may be viewed free of charge at www.sdpublicnotices.com or TheDakotaScout.com.
-
PUBLISH: Mar. 7, 2025
STATE OF SOUTH DAKOTA COUNTY OF LINCOLN
:SS IN CIRCUIT COURT SECOND JUDICIAL CIRCUIT CREDIT COLLECTIONS BUREAU
PO BOX 9490
RAPID CITY SD 57709 PLAINTIFF
VS.
RONALD JAMES BLACKMAN MERCEDES BLACKMAN 1412 W 26TH ST SIOUX FALLS SD 57105 DEFENDANT(S)
NOTICE OF SHERIFF SALE
49CIV23-000343-01
Notice is hereby given that pursuant to an Execution dated December 24th, 2024, to enforce a Judgment dated June 2nd, 2023, in favor of Credit Collections Bureau (creditor), against Ronald James Blackman and Mercedes Blackman (debtors). A levy has been made by the Sheriff of Lincoln County, South Dakota, against the following property:
1. A white 2005 Freightliner Chassis M Line Walk-In Van (Food Truck) bearing VIN
#4UZAARBW55CN86493 and all its contents.
The date of the levy was February 4th, 2025. The amount of the original Judgment is $44,542.44 plus continuing interest, costs and fees.
The Sheriff is making no warranties as to what existing liens, if any, and as to whether they are senior or junior. The property is purchased as is, with no express and/or implied warranties. The terms of the sale shall be cash at the time of the sale. The sale shall be held at the Lincoln County Highway Shop located at 28202 478th Ave, Canton, SD on March 21st, 2025 at 12:00 p.m.
The property will be available for inspection 30 minutes prior to the time of the sale.
Dated this 27th day of February, 2025.
/s/ Chris Hogan
Deputy Chris Hogan
Lincoln County Sheriff’s Office
Published once on Mar. 7, 2025, at the approximate cost of $21.49, and may be viewed free of charge at www.sdpublicnotices.com or TheDakotaScout.com.
-
PUBLISH: Mar. 7, 2025
-
PUBLISH: Feb. 27 & Mar. 7, 2025
NOTICE OF RESPONSIBILITY TO CONTROL NOXIOUS WEEDS AND DECLARED PESTS
NOTICE IS HEREBY GIVEN this 1st day of March 2025 pursuant to SDCL 38-22 as amended to all owners, occupants, agents, and public officials in charge of lands in Lincoln County, South Dakota, that they are responsible for the suppression, control, and eradication of noxious weeds and declared pest infestations that may exist on such lands.
Chemical, biological, and / or cultural control methods used for the suppression, control and eradication of noxious weed and declared pest infestations shall be those approved for such purposes by the Lincoln County Weed and Pest Supervisor, Agronomy Weed Field Specialist, or the South Dakota State University Experiment Station.
Upon failure to observe this notice, the county weed and pest board is required to proceed pursuant to the law and have the noxious weeds or declared pests destroyed by such methods as they may find necessary, the expense of which shall constitute a lien and be entered as a tax against the land, and be collected as other real estate taxes are collected, or by other means as provided by law.
Plant and animals designated as being noxious weeds and declared pests in the state of South Dakota are Absinth Wormwood, Canada Thistle, Hoary Cress, Leafy Spurge, Perennial Sow Thistle, Purple Loosestrife, Salt Cedar, and Gypsy Moth.
In addition, Musk Thistle, Plumeless Thistle, Spotted Knapweed, have been approved by the South Dakota Weed and Pest Control Commission as locally Noxious Weeds and are subject to the same suppression, control, and eradication requirements as the before mentioned plants and animals.
NOTICE IS HEREBY GIVEN that upon establishing probable cause to believe a noxious weed or declared pest infestation exists upon any property in Lincoln County, a representative of the Lincoln County Weed and Pest Control board will enter upon said property for the purpose of inspecting and confirming that such infestation actually exists.
Published twice on Feb. 28 & Mar. 7, 2025, at the approximate cost of $44.96, and may be viewed free of charge at www.sdpublicnotices.com or TheDakotaScout.com.
PUBLIC NOTICE
PUBLISH: Feb. 28 & Mar. 7, 2025
INVITATION TO BID
NEW PARKING LOT – SE CORNER OF 8TH ST AND JACKRABBIT SOUTH DAKOTA STATE UNIVERSITY
OSE # R0325--10X/DEL
Sealed bids will be received by South Dakota State University Facilities & Services, Box 2150, Brookings, South Dakota 57007 until 3:00 PM CT on Tuesday, March 11, 2025 for labor and materials to construct a new parking lot on the campus of South Dakota State University, OSE# R0325--10X/DEL.
Contractors please note: There will NOT be a pre-bid meeting. Campus contact is Reed Leibel, (605) 688-4136, Reed.Leibel@sdstate.edu. Please submit questions to Civil Design Inc, Jason Petersen, (605) 696-3200, jpetersen@civildes.com prior to 3:00 PM CT, March 4, 2025. Each Contractor shall examine the premises and be satisfied as to the existing site conditions before submitting a sealed bid.
Copies of the Plans and Specifications may be obtained by bidders at the office of Civil Design Inc, 609 Main Avenue South, Brookings, South Dakota 57006 phone (605) 696-3200 OR at regional builder’s exchanges. Copies of the Plans and Specifications are on file for viewing purposes at the office of Facilities & Service, at South Dakota State University, Brookings, SD 57007. Anyone requesting, reviewing, or copying plans and specifications for this project (such individual is hereinafter referred to as “bidder”) agrees that they are doing so for the sole purpose of submitting a bid on the project. In consideration of the State of South Dakota providing such plans and specifications for the purpose of preparing a bid, bidder further agrees:
1. The plans and specifications are the sole property of the State;
2. Any copies of the plans and specifications obtained from the State or its agent, will be returned to the office of SDSU Facilities & Services immediately after the State provides notice that the bidder will not be awarded a contract, or thirty (30) days after the bid opening for the project, whichever occurs first;
3. Any copies of the plans and specifications made by the bidder will be destroyed immediately after the State provides notice that the bidder will not be awarded a contract, or thirty (30) days after the bid opening for the project, whichever occurs first;
4. If the bidder does not submit a bid, bidder will fulfill the requirements of 2 and 3 above on or before the date of the bid opening;
5. The plans and specifications are to be used only with respect to this project and are not to be used for any other project or purposes other than preparing a bid for this project;
6. The plans and specifications will not be disseminated to any person or entity for purposes other than obtaining pricing information without the express written approval of the State;
7. All information contained in the plans and specifications is confidential; and
8. Should the bidder disseminate the plans and specifications to an individual or entity for purposes of obtaining pricing information, the bidder will require that individual or entity to adhere to the terms set forth herein. The bidder, however, assumes no liability for the misuse of the plans and specifications by such third party or such third party’s failure to comply with the provisions contained herein.
Should the bidder be awarded a contract for construction of the project, bidder does not need to return or destroy plans and specifications until after completion of the project.
Each bid in excess of $50,000.00 must be accompanied by a certified check, cashier’s check or draft in the amount of 5% of the base bid and all add alternates and drawn on a State or National Bank or a 10% bid bond issued by a surety authorized to do business in the State of South Dakota and made payable to the Board of Regents of the State of South Dakota.
South Dakota State University reserves the right to reject any or all bids and to waive any irregularities therein. Barry Mielke
Facilities & Services
South Dakota State University
Published twice on Feb. 28 & Mar. 7, 2025, at the approximate cost of $80.81, and may be viewed free of charge at www.sdpublicnotices.com or TheDakotaScout.com.
-
PUBLISH: Feb. 28 & Mar. 7, 2025
INVITATION TO BID
NEW UG CHILLED WATER LINES - WEST SIDE USU
UNIVERSITY STUDENT UNION
SOUTH DAKOTA STATE UNIVERSITY
OSE # R0324—12X/DEL
Sealed bids will be received by South Dakota State University Facilities & Services, 1451 Stadium Road, Brookings, South Dakota 57007, until 1:30 PM CT on Thursday March 20, 2025, for labor and materials to install chilled water lines near the Student Union Building on the campus of South Dakota State University, OSE# R0324--12X/DEL.
Contractors please note: There will be an on-site pre-bid meeting at 1:30PM Central Time, Wednesday, March 12, 2025. Contractors shall park and meet at the Facilities and Services Conference Room, on the campus of South Dakota State University in Brookings, SD. Each Contractor shall examine the premises and be satisfied as to the existing site conditions before submitting a sealed bid.
Copies of the Plans and Specifications may be obtained by bidders at the office of HR GREEN, 431 N., Phillips Suite 400 Sioux Falls, SD phone (605)334.4499 OR at regional builder’s exchanges. Copies of the Plans and Specifications are on file for viewing purposes at the office of Facilities & Service, at South Dakota State University, Brookings, SD 57007. Anyone requesting, reviewing, or copying plans and specifications for this project (such individual is hereinafter referred to as “bidder”) agrees that they are doing so for the sole purpose of submitting a bid on the project. In consideration of the State of South Dakota providing such plans and specifications for the purpose of preparing a bid, bidder further agrees:
1. The plans and specifications are the sole property of the State;
2. Any copies of the plans and specifications obtained from the State or its agent, will be returned to the office of SDSU Facilities & Services immediately after the State provides notice that the bidder will not be awarded a contract, or thirty (30) days after the bid opening for the project, whichever occurs first;
3. Any copies of the plans and specifications made by the bidder will be destroyed immediately after the State provides notice that the bidder will not be awarded a contract, or thirty (30) days after the bid opening for the project, whichever occurs first;
4. If the bidder does not submit a bid, bidder will fulfill the requirements of 2 and 3 above on or before the date of the bid opening;
5. The plans and specifications are to be used only with respect to this project and are not to be used for any other project or purposes other than preparing a bid for this project;
6. The plans and specifications will not be disseminated to any person or entity for purposes other than obtaining pricing information without the express written approval of the State;
7. All information contained in the plans and specifications is confidential; and
8. Should the bidder disseminate the plans and specifications to an individual or entity for purposes of obtaining pricing information, the bidder will require that individual or entity to adhere to the terms set forth herein. The bidder, however, assumes no liability for the misuse of the plans and specifications by such third party or such third party’s failure to comply with the provisions contained herein.
Should the bidder be awarded a contract for construction of the project, bidder does not need to return or destroy plans and specifications until after completion of the project.
Each bid in excess of $50,000.00 must be accompanied by a certified check, cashier’s check or draft in the amount of 5% of the base bid and all add alternates and drawn on a State or National Bank or a 10% bid bond issued by a surety authorized to do business in the State of South Dakota and made payable to the Board of Regents of the State of South Dakota.
South Dakota State University reserves the right to reject any or all bids and to waive any irregularities therein.
Barry Mielke
Facilities & Services
South Dakota State University
Published twice on Feb. 28 & Mar. 7, 2025, at the approximate cost of $84.79, and may be viewed free of charge at www.sdpublicnotices.com or TheDakotaScout.com.
-
PUBLISH: Feb. 28 & Mar. 7, 2025
-
PUBLISH: Mar. 7 & Mar. 14, 2025
NOTICE VARIOUS ENGINEERING AND RELATED SERVICES
The South Dakota Department of Transportation (SDDOT) is soliciting statements of interest and qualifications from consulting firms for both State and Local Government projects. The purpose is to select a list of consultants in each category of work, for which the SDDOT will enter into a Pre-Qualified Consultant Retainer Agreement for the years of 2026 - 2028. The SDDOT will determine the number of firms selected in each category of work based on the anticipated workload and the qualifications of the firms submitting SD DOT form 925. Firms will be evaluated using the criteria that follows:
Evaluation Criteria: (1) Specialized expertise, capabilities, and technical competence as demonstrated by the proposed approach and methodology to meet the project requirements. (20 pts possible); (2) Resources available to perform the work, including any specialized services, within the specified time limits for the project. (20 pts possible); (3) Record of past performance, including price and cost data from previous projects, quality of work, ability to meet schedules, cost control, and contract administration. (20 pts possible); (4) Availability to the project locale. (5 pts possible); (5) Familiarity with the project locale. (5 pts possible); (6) Proposed project management techniques. (20 pts possible); (7) Ability and proven history in handling special project constraints. (10 pts possible)
The number following each category represents the anticipated numbers of firms to be accepted for that category. The categories of services include the following:
LOCAL GOVERNMENT CATEGORIES:
Airport Planning and Design – 5
Bridge Design – 27
Bridge Inspections- 19
Geotechnical Services – 5
Roadway Design -28
Transportation Planning - 12
STATE CATEGORIES:
Archaeology/Paleontology – 8
Bridge Design – 12
Bridge Evaluation/Testing – 8
Bridge Hydraulics / Hydrology - 10
Bridge Inspection – 10
Bridge Protective Coating Design – 6
Construction Administration/Inspection/Testing - 35
Environmental Studies – 10
Geotechnical Services – 7
Hazardous Waste/Petroleum Contamination Testing - 5
Historic Preservation – 8
Land Surveying – 35
Landscape Architecture - 5
Photogrammetry and LiDAR Surveys – 4
Public Relations/Public Information – 9
Railroad Planning/Design/Construction Administration – 5
Real Estate Services – 10
Roadway Design – 25
Subsurface Utilities Exploration – 5
Transportation Planning – 12
Unmanned Aerial – 11
Underwater Bridge Inspection – 5
Wetland Delineation/Mitigation – 12
Descriptions of each category can be found at https://dot.sd.gov/doing-business/engineering/design-services/consultant-services.
If interested, the consultant must submit the current DOT-925 electronically in .pdf format to tiffany.karr@state.sd.us for each category of service for which they are qualified. This form may be found at https://dot.sd.gov/doing-business/engineering/design-services/consultant-services. Each category must have a separate Standard Form 925. Please do not combine multiple categories in one pdf file. Please be sure to state if the category is state or local.
The SDDOT also requires that all consultants maintain the following insurance written by a carrier admitted in the State of South Dakota: 1. General Liability; 2. Workers’ Compensation; 3. Automobile; 4. Professional Liability (Errors & Omissions)
The SDDOT reserves the right to reject any or all proposals and to solicit proposals from only those consultants that demonstrate required qualifications and experience. Each firm chosen will be furnished information upon which to base proposals. The SDDOT will afford equal opportunity to all those who submit statements of interest and will not discriminate in its selection of consultants on the grounds of race, sex, color, disability or national origin.
Please use the listing provided above to identify the specific areas of expertise and interest. Each consultant may apply in one or as many categories as they desire.
Statements of interest should be in .pdf form and directed to Tiffany Karr via email at tiffany.karr@state.sd.us, no later than April 18, 2025.
Published twice on Mar. 7 & Mar. 14, 2025, at the approximate cost of $80.43, and may be viewed free of charge at www.sdpublicnotices.com or TheDakotaScout.com.
-
PUBLISH: Mar. 7, Mar. 14 & Mar. 21, 2025
STATE OF SOUTH DAKOTA COUNTY OF MINNEHAHA :SS IN CIRCUIT COURT SECOND JUDICIAL CIRCUIT IN THE MATTER OF THE ESTATE OF
NEAL SHANE KROETCH, DECEASED.
49PRO25-000051
NOTICE TO CREDITORS AND NOTICE OF INFORMAL PROBATE AND APPOINTMENT OF PERSONAL REPRESENTATIVE
Notice is given that on February 21, 2025, Sandra Toner, whose address is 4700 South Cliff Avenue, Apt 204, Sioux Falls, SD 57103, was appointed as personal representative of the estate of Neal Shane Kroetch.
Creditors of decedent must file their claims within four months after the date of the first publication of this notice or their claims may be barred.
Claims may be filed with the personal representative or may be filed with the clerk, and a copy of the claim mailed to the personal representative.
Dated this 27th day of February, 2025.
/s/Sandra Toner
Sandra Toner
4700 South Cliff Avenue
Apt 204
Sioux Falls, SD 57103
(605) 728-2572
Sara E. Show
PROSPERITY LAW FIRM, PLLC
7520 S. Grand Arbor Court, Suite 140
Sioux Falls, SD, 57108
Telephone: (605) 401-6257
Facsimile: (605) 401-6155
sara@prosperitylawfirmsd.com
Published on Mar. 7, Mar. 14 & Mar. 21, 2025, at the approximate cost of $46.88, and may be viewed free of charge at www.sdpublicnotices.com or TheDakotaScout.com.
-
PUBLISH: Mar. 7, 2025
FORM 6 SD DEPARTMENT OF AGRICULTURE AND NATURAL RESOURCES, STATE FAIR DIVISION NOTICE OF PUBLIC HEARING TO ADOPT RULES
A public hearing will be held in Nordby Exhibit Hall, SD State Fairgrounds, 1060 3rd Street, SW, Huron, SD 57350, on April 3, 2025, 9 AM (Central), to consider the amendment of proposed Administrative Rules of South Dakota numbered
§§ 12:02:04:05.
The effect of the rules will restructure how camping fees are assessed, with rates based on campsite location: $40 per night for basic lot rent on the main fairgrounds and $20 per night for basic lot rent in satellite campgrounds.
Additionally, campsites will incur extra fees based on available amenities, including $5 per night for water, $5 per night for sewer, and $15 per night for electricity.
The increase in camping revenues is essential to maintaining financial stability and sustaining annual operations. These additional funds will help cover rising costs associated with facility maintenance, staffing, essential services, and programing.
Persons interested in presenting amendments, data, opinions, and arguments for or against the proposed rules may appear in-person at the hearing or mail them to South Dakota Department of Agriculture and Natural Resources, State Fair Division, 1060 3rd Street SW, Huron, SD 57350 or email peggy.besch@state.sd.us. The deadline to submit any such written comments for consideration by April 14, 2025 (the date should be 10 days after the public hearing.
After the written comment period, the South Dakota Department of Agriculture and Natural Resources will consider all written and oral comments it receives on the proposed rules. The South Dakota Department of Agriculture and Natural Resources may modify or amend a proposed rule at that time to include or exclude matters that are described in this notice.
For Persons with Disabilities: This hearing will be located at a physically accessible place. Please contact South Dakota Department of Agriculture and Natural Resources, State Fair Division, at least 48 hours before the public hearing if you have special needs for which special arrangements can be made by calling (605) 353-7340.
Copies of the proposed rules may be obtained without charge from:
SD Department of Agriculture and Natural Resources, State Fair Division
1060 3rd Street SW
Huron, SD 57350
Email: peggy.besch@state.sd.us
(605) 353-7340
Published once on Mar. 7, 2025, at the approximate cost of $30.97, and may be viewed free of charge at www.sdpublicnotices.com or TheDakotaScout.com.
-
PUBLISH: Mar. 7, 2025
NOTICE OF ANNUAL MEETING OF MEMBERS OF HILLS OF REST CEMETERY
Notice is hereby given that the annual meeting of the members of Hills of Rest Cemetery, a South Dakota corporation, will be held at the offices of the corporation at 300 North Chapel Hill Road, Sioux Falls, South Dakota, on Thursday, the 24th day of April, 2025, at 10:00 o’clock a.m. of said day for the election of directors of the corporation, for election of officers for the corporation, and for such other business as may come before the meeting.
Published once on Mar. 7, 2025, at the approximate cost of $12.90, and may be viewed free of charge at www.sdpublicnotices.com or TheDakotaScout.com
-
PUBLISH: Mar. 7, Mar. 14 & Mar. 21, 2025
ADVERTISEMENT FOR BIDS
Copperwood Estates Road District
Lincoln County, South Dakota
Sealed Bids for the construction of the Copperwood Estates Road District Project will be received at the KLJ Engineering office located at 5110 E 57th Street, Sioux Falls, South Dakota 57108, until March 26th, 2025 at 1:00 PM CST. At that time the Bids received will be publicly opened and read.
The Project includes the following work:
Work includes approximately 2,700 feet of asphalt removal, followed by scarification and recompaction of the underlying base and repaving of Oak Ridge Place from 479th Ave to the end in Harrisburg, South Dakota. Along the road, 3 storm culverts are to be removed and replaced. General items include but are not limited to mailboxes, signage, erosion control, and grass establishment.
The Issuing Office for the Bidding Documents is:
KLJ Engineering
5110 E 57th Street
Sioux Falls, SD 57108
Digital copies of the bidding documents are available at www.questcdn.com for a fee of $22 by inputting Quest #9547781 on the website’s project search page. Contact Quest CDN at (952) 233-1632 or info@questcdn.com for assistance in free membership registration or downloading this information. Quest CDN will be updated periodically with addenda, lists of registered plan holders, reports, and other information relevant to submitting a Bid for the Project. All official notifications, addenda, and other Bidding Documents will be offered only through Quest CDN. Neither Owner nor Engineer will be responsible for Bidding Documents, including addenda, if any, obtained from sources other than Quest CDN.
Prospective Bidders may obtain or examine the Bidding Documents at the Issuing Office on Monday through Friday between the hours of 8 AM to 5 PM and may obtain copies of the Bidding Documents from the Issuing Office. Partial sets of Bidding Documents will not be available from the Issuing Office. Neither Owner nor Engineer will be responsible for full or partial sets of Bidding Documents, including addenda, if any, obtained from sources other than the Issuing Office.
Printed copies of the Bidding Documents may be obtained from the Issuing Office for a non-refundable amount of $77.00 for each set. Make checks for Bidding Documents payable to KLJ Engineering Inc.
For all further requirements regarding bid submittal, qualifications, procedures, and contract award, refer to the Instructions to Bidders that are included in the Bidding Documents.
A virtual pre-bid conference for the Project will be hosted by KLJ Engineering on March 12th, 2025, at 10 AM local time. Attendance at the pre-bid conference is encouraged but not required. Contact eric.landis@kljeng.com for an invitation to the pre-bid conference.
All bids are to be submitted on the basis of cash payment for the work and materials, and each bid shall be accompanied by a separate envelope containing the contractor’s license and bid security. The bid security must be in a sum equal to ten per cent (10%) of the full amount of the bid and must be in the form of a bidder’s bond. A bidder’s bond must be executed by the bidder as principal and by a surety company authorized to do business in this state, conditioned that if the principal’s bid be accepted and the contract awarded to the principal, the principal, within ten (10) days after notice of award, will execute and effect a contract in accordance with the terms of his bid and the bid bond as required by the laws of the State of South Dakota and the regulations and determinations of the governing body. If a successful bidder does not execute a contract within ten (10) days allowed, the bidder’s bond must be forfeited to the governing body and the project awarded to the next lowest responsible bidder.
The successful Bidder will be required to furnish Contract Performance and Payment Bonds in the full amount of the contract.
No Bid will be read or considered which does not fully comply with the above provisions as to Bond and licenses and any deficient Bid submitted will be resealed and returned to the Bidder immediately.
The Project has an expected duration of 45 working days.
Contracts shall be awarded on the basis of the low bid submitted by a responsible and responsive bidder for the aggregate sum of all bid items. A single contract will be awarded for the work.
Dated this 3rd day of March 2025.
This Advertisement is issued by: Todd Ramsey
President
Published on Mar. 7, Mar. 14 & Mar. 21, 2025, at the approximate cost of $143.11, and may be viewed free of charge at www.sdpublicnotices.com or TheDakotaScout.com.
COURTS
PUBLISH: Feb. 14, Feb. 21, Feb. 28 & Mar. 7, 2025
STATE OF SOUTH DAKOTA COUNTY OF MINNEHAHA SS: IN CIRCUIT COURT SECOND JUDICIAL CIRCUIT IN THE MATTER OF THE PETITION OF:
MEENA FAYE FRANCIS BROVELEIT
FOR A CHANGE OF NAME TO:
MILES FRANCIS ALLEN BROVELEIT
CIV:49CIV25-530
NOTICE OF HEARING FOR ADULT NAME CHANGE
Notice is hereby given that a Verified Petition for Adult Name Change has been filed by Meena Faye Francis Broveleit the object and prayer of which is to change Petitioner’s name from Meena Faye Francis Broveleit to Miles Francis Allen Broveleit. On the 25th day of March, 2025, at the hour of 11:00 a.m. said verified petition will be heard by this court before the Honorable Mowery Presiding, at the Court Room in the Minnehaha County Courthouse, City of Sioux Falls, County, South Dakota, or as soon thereafter as is convenient for the court. Anyone may come and appear at that time and place and show reasons, if any, why said name should not be changed as requested.
Dated this 2 day of Feb, 2025 at Sioux Falls, South Dakota
/s/Cathy Arant
Circuit Court Judge or Clerk of Court
Attest:
Clerk of Court
By:
Deputy
Published on Feb. 14, Feb. 21, Feb. 28 & Mar. 7, 2025, at the approximate cost of $58.75, and may be viewed free of charge at www.sdpublicnotices.com or TheDakotaScout.com
-
PUBLISH: Feb. 14, Feb. 21, Feb. 28 & Mar. 7, 2025
STATE OF SOUTH DAKOTA COUNTY OF MINNEHAHA :SS IN CIRCUIT COURT SECOND JUDICIAL CIRCUIT IN THE MATTER OF THE PETITION REGARDING ETHAN DAMIAN DERAS VÁZQUEZ, A MINOR CHILD. FOR A CHANGE OF NAME TO
ETHAN DAMIAN VÁZQUEZ ALVARADO,
PROPOSED NAME.
49CIV24-004481
NOTICE OF HEARING ON PETITION FOR NAME CHANGE
Notice is hereby given that a Petition for Name Change has been filed and a hearing on said Petition has been set at the Minnehaha County Courthouse, Sioux Falls, South Dakota, on April 22, 2025, at 11:00 a.m. CDT, before a Minnehaha County Circuit Court Judge.
Any individual or entity interested in these proceedings may apply for permission to participate at the hearing.
Dated February 10, 2025.
LYNN, JACKSON, SHULTZ & LEBRUN, P.C.
By: Lane S. Haskell
Lane S. Haskell
110 N. Minnesota Avenue,
Suite 400
Sioux Falls, SD 57104
Phone: 605-332-5999
Fax: 605-332-4249
lhaskell@lynnjackson.com
Attorney for Petitioner
Published on Feb. 14, Feb. 21, Feb. 28 & Mar. 7, 2025, at the approximate cost of $56.62, and may be viewed free of charge at www.sdpublicnotices.com or TheDakotaScout.com.
-
Publish: Feb. 21, Feb. 28 & Mar. 7, 2025
STATE OF SOUTH DAKOTA COUNTY OF MINNEHAHA :SS IN CIRCUIT COURT SECOND JUDICIAL CIRCUIT IN THE MATTER OF THE ESTATE OF
MELVIN F. SPINAR, DECEASED.
49PRO25-000033
NOTICE TO CREDITORS
Notice is given that on February 10, 2025, Edward Keith Welch, whose address is 701 S. Phillips Ave., Sioux Falls, SD 57104, was appointed as personal representative of the estate of Melvin F. Spinar.
Creditors of decedent must file their claims within four months after the date of the first publication of this notice or their claims may be barred.
Claims may be filed with the personal representative or may be filed with the Clerk, and a copy of the claim mailed to the personal representative.
Dated this 12th day of February, 2025.
/s/ Edward Keith Welch
Edward Keith Welch
701 S. Phillips Ave.
Sioux Falls, SD 57104
Clerk of Circuit Court
Minnehaha County Courthouse
425 N. Dakota Ave.
Sioux Falls, SD 57104
(605) 367-5900
Michael H. Paulson
Christopherson, Anderson, Paulson & Fideler, LLP
426 E. 8th St.
Sioux Falls, SD 57l03-7025
(605) 336-1030
Attorneys for Personal Representative
Published on Feb. 21, Feb. 28 & Mar. 7, 2025, at the approximate cost of $47.76, and may be viewed free of charge at www.sdpublicnotices.com or TheDakotaScout.com.
-
PUBLISH: Feb. 21, Feb. 28 & Mar. 7, 2025
STATE OF SOUTH DAKOTA COUNTY OF MINNEHAHA :SS IN CIRCUIT COURT SECOND JUDICIAL CIRCUIT IN RE THE ESTATE OF
RONALD LYLE STENSLAND, DECEASED.
49PRO25-000035
NOTICE TO CREDITORS OF INFORMAL PROBATE AND APPOINTMENT OF PERSONAL REPRESENTATIVE
NOTICE IS GIVEN that on the 11th day of February, 2025, the Clerk of the Circuit Court, Second Judicial Circuit, Minnehaha County, South Dakota, appointed Waylon Lyle Stensland as Personal Representative of the Estate of Ronald Lyle Stensland.
Creditors of the Estate of Ronald Lyle Stensland must file their claims within four (4) months after the date of the first publication of this notice or such claims may be barred.
Claims may be filed with the Personal Representative at 5317 W. 100 S., Wabash, IN 46992 or filed with the Minnehaha County Clerk of Courts, with a copy of the claim mailed to the Personal Representative.
Dated this 13th day of February, 2025.
REDSTONE LAW FIRM LLP
/s/ Alexander C. Ellman By: Alexander C. Ellman (4666)
1300 W. 57th St., Ste. 101
Sioux Falls, SD 57108
Phone: (605) 331-2975
Email: alex@redstonelawfirm.com
Attorney for Personal Representative
Published on Feb. 21, Feb. 28 & Mar. 7, 2025, at the approximate cost of $49.41, and may be viewed free of charge at www.sdpublicnotices.com or TheDakotaScout.com.
-
PUBLISH: Feb. 28, Mar. 7 & Mar. 14, 2025
STATE OF SOUTH DAKOTA COUNTY OF MINNEHAHA SS: IN CIRCUIT COURT SECOND JUDICIAL CIRCUIT IN THE MATTER OF THE PETITION OF:
DARLA MAE OGREN
FOR A CHANGE OF NAME TO:
DARLA MAE JANZEN
CIV:49CIV25-855
NOTICE OF HEARING FOR ADULT NAME CHANGE
Notice is hereby given that a Verified Petition for Adult Name Change has been filed by Darla Mae Ogren to change Petitioner’s name from Darla Mae Ogren to Darla Mae Janzen. The petition will be heard on the 1st day of April, 2025, at 11:00 a.m. by the Honorable Judge Clapper at the Minnehaha County Courthouse in the City of Sioux Falls, South Dakota. Anyone may come and appear at that time and place and show reasons, if any, why said name should not be changed.
Dated this 13th day of February, 2025.
Circuit Court Judge or Clerk of Court
Attest:
Clerk of Court
By:
Deputy
Published on Feb. 21, Feb. 28, Mar. 7 & Mar. 14, 2025, at the approximate cost of $50.17, and may be viewed free of charge at www.sdpublicnotices.com or TheDakotaScout.com
-
PUBLISH: Feb. 21, Feb. 28 & Mar. 7, 2025
NOTICE TO CREDITORS OF DECEASED SETTLOR AND SUCCESSOR TRUSTEE
Notice is given that on December 27, 2024, Sandra Mielke died, who was a Settlor of the Mielke Living Trust, dated June 9, 2003, and any amendments thereto.
Brenda White, whose address is 2204 West 70th St. N, Sioux Falls, SD 57107, is the current Tmstee of the Mielke Living Tmst, dated June 9, 2003, and any amendments thereto.
Creditors of the deceased Settlor must file their claims within four (4) months after the date of the first publication of this Notice or any claim or collection efforts which otherwise could have been asserted or enforced against the trust or assets thereof may be barred.
Claims may be submitted to the Trustee by mailing a written statement of the claim to the Trustee at the address above.
Dated this 14 day of February, 2025.
Published on Feb. 21, Feb. 28 & Mar. 7, 2025, at the approximate cost of $35.44, and may be viewed free of charge at www.sdpublicnotices.com or TheDakotaScout.com.
-
PUBLISH: Feb. 28, Mar. 7 & Mar. 14, 2025
NOTICE TO CREDITORS OF DECEASED PERSON
Notice is given that on December, 27, 2024, Fredrick J. Galbraith died. Timothy J. Galbraith, whose address is 1208 S. Lindenwald Dr., Sioux Falls, SD 57106, is the brother of the deceased.
Creditors of the deceased must file their claims within four (4) months after the date of the first publication of this Notice or any claim or collection efforts which otherwise could have been asserted or enforced against the assets thereof may be barred.
Claims may be submitted to Timothy J. Galbraith by mailing a written statement of the claim to him at the address above.
Dated the 14 day of February, 2025.
/s/ Timothy J. Galbraith
Timothy J. Galbraith
1208 S. Lindenwald Dr.
Sioux Falls, SD 57106
(605) 929-7362
PREPARED BY:
Thompson Law, PLLC
5027 S. Western Avenue
Sioux Falls, SD 57108
(605)362-9100
www.cathompsonlaw.com
Published on Feb. 28, Mar. 7 & Mar. 14, 2025, at the approximate cost of $39.54, and may be viewed free of charge at www.sdpublicnotices.com or TheDakotaScout.com.
-
PUBLISH: Feb. 28, Mar. 7, Mar. 14 & Mar. 21, 2025
STATE OF SOUTH DAKOTA COUNTY OF MINNEHAHA SS: IN CIRCUIT COURT SECOND JUDICIAL CIRCUIT IN THE MATTER OF THE PETITION OF:
MONICA SUE HUETHER
FOR A CHANGE OF NAME TO:
MONICA SUE HOLTROP
FILE NO: 49CIV25-957
NOTICE IS HEREBY GIVEN that a Verified Petition for Adult Name Change has been filed by Monica Sue Huether to change Petitioner’s name from Monica Sue Huether to Monica Sue Holtrop. The petition will be heard on the 1st day of April, 2025, at 11:00 am by the Honorable Judge Clapper, at the Minnehaha County Courthouse in the City of Sioux Falls, South Dakota. Anyone may appear at that time and place and show reasons, if any, why Petitioner’s name should not be changed.
Dated this 20th day of February, 2025.
/s/ Brandon Phrommany
Circuit Court Judge of Clerk of Court
Published on Feb. 28, Mar. 7 Mar. 14 & Mar. 21, 2025, at the approximate cost of $45.87, and may be viewed free of charge at www.sdpublicnotices.com or TheDakotaScout.com.
-
PUBLISH: Feb. 28, Mar. 7 & Mar. 14, 2025
STATE OF SOUTH DAKOTA COUNTY OF MINNEHAHA :SS IN CIRCUIT COURT SECOND JUDICIAL CIRCUIT IN THE MATTER OF THE ESTATE OF
CAROL M. BRENNER, DECEASED.
49 PRO 24-345
NOTICE TO CREDITORS
Notice is given that on February 4, 2025, Wayne Bachman, whose address is 4007 S Grand Slam Place #1, Sioux Falls, SD 57110, was appointed as personal representative of the estate of Carol M. Brenner.
Creditors of the decedent must file their claims within four months after the date of the first publication of this notice or their claims may be barred.
Claims may be filed with the personal representative or may be filed with the Clerk, and a copy of the claim mailed to the personal representative.
Dated this 21 day of February, 2025.
/s/Martin P. Oyos
Martin P. Oyos
426 E. 8th St.
Sioux Falls, SD 57103
Clerk of Circuit Court
Minnehaha County Courthouse
425 N. Dakota Ave.
Sioux Falls, SD 57104
(605) 367-5900
Martin P. Oyos
Christopherson, Anderson, Paulson & Fideler, LLP
426 E. 8th St.
Sioux Falls, SD 57103-7025
(605) 336-1030
Attorneys for Personal Representative
Published on Feb. 28, Mar. 7 & Mar. 14, 2025, at the approximate cost of $49.41, and may be viewed free of charge at www.sdpublicnotices.com or TheDakotaScout.com.
-
PUBLISH: Feb. 28, Mar. 7 & Mar. 14, 2025
STATE OF SOUTH DAKOTA COUNTY OF MINNEHAHA :SS IN CIRCUIT COURT SECOND JUDICIAL CIRCUIT IN THE MATTER OF THE ESTATE OF
BONNIE BETTS, DECEASED.
49 PRO 25-04
NOTICE TO CREDITORS
Notice is given that on January 7, 2025, Shirley Olson, whose address is 301 S Spring Ave., #103, Sioux Falls, SD 57104, was appointed as personal representative of the estate of Bonnie Betts.
Creditors of the decedent must file their claims within four months after the date of the first publication of this notice or their claims may be barred.
Claims may be filed with the personal representative or may be filed with the Clerk, and a copy of the claim mailed to the personal representative.
Dated this 21 day of February, 2025.
/s/Martin P. Oyos
Martin P. Oyos
426 E. 8th St.
Sioux Falls, SD 57103
Clerk of Circuit Court
Minnehaha County Courthouse
425 N. Dakota Ave.
Sioux Falls, SD 57104
(605) 367-5900
Martin P. Oyos
Christopherson, Anderson, Paulson & Fideler, LLP
426 E. 8th St.
Sioux Falls, SD 57103-7025
(605) 336-1030
Attorneys for Personal Representative
Published on Feb. 28, Mar. 7 & Mar. 14, 2025, at the approximate cost of $49.41, and may be viewed free of charge at www.sdpublicnotices.com or TheDakotaScout.com.
-
PUBLISH: Feb. 28, Mar. 7 & Mar. 14, 2025
STATE OF SOUTH DAKOTA COUNTY OF MINNEHAHA :SS IN CIRCUIT COURT SECOND JUDICIAL CIRCUIT ESTATE OF ILA JEAN AHRENDT DECEASED
49PRO 25-48
Notice to Creditors and Notice of Informal Probate and Appointment of Personal Representative
Notice is given that on February 19, 2025, in the circuit court of Minnehaha County, South Dakota, Brian T. Ahrendt, whose address is PO Box 161, Sioux Falls, SD 57101, was appointed by the clerk as personal representative of the estate.
Creditors of decedent must file their claims within four months after the date of the first publication of this notice or their claims may be barred.
Claims may be filed with the personal representative or may be filed with the clerk and a copy of the claim mailed to the personal representative.
Dated: February 19, 2025
/s/Brian T. Ahrendt
Brian T. Ahrendt
Prepared by:
Brian T. Ahrendt
P.O. Box 161
Sioux Falls, SD 57101
(605)610-9412
Published on Feb. 28, Mar. 7 & Mar. 14, 2025, at the approximate cost of $41.19, and may be viewed free of charge at www.sdpublicnotices.com or TheDakotaScout.com.
-
PUBLISH: Mar. 7, Mar. 14 & Mar. 21, 2025
STATE OF SOUTH DAKOTA COUNTY OF MINNEHAHA :SS IN CIRCUIT COURT SECOND JUDICIAL CIRCUIT IN THE MATTER OF THE ESTATE OF
DONNA M. KUNZ DECEASED.
49PRO25-000053
NOTICE TO CREDITORS
NOTICE IS GIVEN that on February 25th, 2025, Robert L. Kunz of 4704 South Grinnell Avenue, Sioux Falls, South Dakota 57106, was appointed as Personal Representative of the Estate of Donna M. Kunz.
Creditors of the decedent must file their claims within four (4) months after the date of the first publication of this Notice or their claims may be barred. Claims may be filed with the Personal Representative or with the Clerk and a copy of the claim mailed to the Personal Representative.
Dated this 27th day of February, 2025.
/s/Robert L. Kunz
Robert L. Kunz
DENEVAN FALON LAW FIRM PROF. LLC
Is/ Erin B. Oster
Erin B. 0 ster
Corey T. Denevan
100 S. Dakota Ave.
P.O. Box 127
Sioux Falls, SD 57104
605-219-9465
erin@denevanfalon.com
corey@denevanfalon.com
Attorneys for Robert Kunz
Published on Mar. 7, Mar. 14 & Mar. 21, 2025, at the approximate cost of $44.47, and may be viewed free of charge at www.sdpublicnotices.com or TheDakotaScout.com.
-
PUBLISH: Mar. 7, 2025
STATE OF SOUTH DAKOTA COUNTY OF MINNEHAHA :SS IN CIRCUIT COURT SECOND JUDICIAL CIRCUIT IN THE MATTER OF DB, I B,
ALLEGED ABUSED/ NEGLECTED CHILDREN
JUV23-001907
NOTICE OF ENTRY OF ORDER
TO: Dayde Brooklyn Burwell, Desiree Markle, and all to whom it may concern: You will take notice that on the 3rd day of March, 2025 an Final Dispositional Order
affecting your parental rights was made and entered in the matter entitled above by the above entitled Court and filed with the Clerk and that attached hereto is a true and correct copy thereof.
Dated this 4th day of March, 2025.
/s/Brianna Palomaki
Carrie Mees/Brianna Palomaki/Lyndee Kamrath
Deputy State’s Attorney
Minnehaha County State’s Attorney’s Office
415 N. Dakota Ave.
Sioux Falls, SD 57104
(605) 367-4226
Published once on Mar. 7, 2025, at the approximate cost of $12.96, and may be viewed free of charge at www.sdpublicnotices.com or TheDakotaScout.com.
-
PUBLISH: Mar. 7, 2025
STATE OF SOUTH DAKOTA COUNTY OF MINNEHAHA :SS IN CIRCUIT COURT SECOND JUDICIAL CIRCUIT THE PEOPLE OF THE STATE OF SOUTH DAKOTA, EX REL, SOUTH DAKOTA DEPARTMENT OF SOCIAL SERVICES, IN THE INTEREST OF,
TB, ALLEGED ABUSED/ NEGLECTED CHILD
AND CONCERNING DYANNA JUNE BOWKER UNKNOWN FATHER RESPONDENTS
JUV25-000116
SUMMONS (ALLEGED ABUSED OR NEGLECTED CHILD)
TO: DYANNA JUNE BOWKER, UNKNOWN FATHER, Patrick White Buffalo AND ALL
WHOM IT MAY CONCERN
You are hereby summone to appearb before the above named Court in its courtroom
at the Minnehaha County Courthouse, 425 North Dakota Avenue, Sioux Falls, South Dakota, on April 1, 2025, at 9:00 AM to answer the Petition of BRIANNA PALOMAKI, now on file with the Clerk of said Court, alleging the above named Child to be an abused/neglected Child and praying that said Child be taken from you and that a guardian be appointed with authority to consent to the adoption of said Child. You must appear at the time and place set forth above to show cause, if any you have, why said Child should not be found abused/neglected and the prayer of said Petition granted or said Child otherwise dealt with.
Failure to appear is an admission to the allegation(s) contained in the Petition. You are further notified that the termination of parental rights is a possible remedy of these proceedings and that you and the above-named Child have the right to have an attorney present at all stages of the proceedings.
Dated at Sioux Falls, Minnehaha County, South Dakota, this 5th day of February, 2025.
KARLA KALB, Clerk
BY: /s/ Alyssa Cortez
Deputy
Published once on Mar. 7, 2025, at the approximate cost of $23.07, and may be viewed free of charge at www.sdpublicnotices.com or TheDakotaScout.com.
-
PUBLISH: Mar. 7, 2025
STATE OF SOUTH DAKOTA COUNTY OF MINNEHAHA :SS IN CIRCUIT COURT SECOND JUDICIAL CIRCUIT THE PEOPLE OF THE STATE OF SOUTH DAKOTA, EX REL, SOUTH DAKOTA DEPARTMENT OF SOCIAL SERVICES, IN THE INTEREST OF,
NC, ALLEGED ABUSED/ NEGLECTED CHILD
AND CONCERNING MEGAN HOPE CRAZY BULL UNKNOWN FATHER RESPONDENTS JUV25-000080 SUMMONS (ALLEGED ABUSED OR NEGLECTED CHILD)
TO: MEGAN HOPE CRAZY BULL, UNKNOWN FATHER, Wesley Talkington, AND ALL WHOM IT MAY CONCERN
You are hereby s ummoned to appear before the above-named Court in its courtroom at the Minnehaha County Courthouse, 425 North Dakota Avenue, Sioux Falls, South Dakota, on April 1, 2025, at 9:00 AM to answer the Petition of CARRIE MEES, now on file with the Clerk of said Court, alleging the above named Child to be an abused/neglected Child and praying that said Child be taken from you and that a guardian be appointed with authority to consent to the adoption of said Child. You must appear at the time and place set forth above to show cause, if any you have, why said Child should not be found abused/neglected and the prayer of said Petition granted or said Child otherwise dealt with.
Failure to appear is an admission to the allegation(s) contained in the Petition. You are further notified that the termination of parental rights is a possible remedy of these proceedings and that you and the above-named Child have the right to have an attorney present at all stages of the proceedings.
Dated at Sioux Falls, Minnehaha County, South Dakota, this 5th day of February, 2025.
KARLA KALB, Clerk
BY: /s/ Alyssa Cortez
Deputy
Published once on Mar. 7, 2025, at the approximate cost of $23.07, and may be viewed free of charge at www.sdpublicnotices.com or TheDakotaScout.com.
-
PUBLISH: Mar. 7, 2025
STATE OF SOUTH DAKOTA COUNTY OF MINNEHAHA :SS IN CIRCUIT COURT SECOND JUDICIAL CIRCUIT THE PEOPLE OF THE STATE OF SOUTH DAKOTA, EX REL, SOUTH DAKOTA DEPARTMENT OF SOCIAL SERVICES, IN THE INTEREST OF,
L M, ALLEGED ABUSED/ NEGLECTED CHILD
AND CONCERNING NIKEYA LORRAINE MAXIMO UNKNOWN FATHERS RESPONDENTS
JUV24-000390
3RD AMENDED SUMMONS (ALLEGED ABUSED OR NEGLECTED CHILD)
TO: NIKEYA LORRAINE MAXIMO
UNKNOWN FATHERS
AND ALL WHOM IT MAY CONCERN
You are hereby summoned to appear before the above-named Court in its courtroom at the Minnehaha County Courthouse, 425 North Dakota Avenue, Sioux Falls, South Dakota, on April 14, 2025, at 10:00 AM to answer the Petition of BRIANNA PALOMAKI, now on file with the Clerk of said Court, alleging the above named Child to be an abused/neglected Child and praying that said Child be taken from you and that a guardian be appointed with authority to consent to the adoption of said Child. You must appear at the time and place set forth above to show cause, if any you have, why said Child should not be found abused/neglected and the prayer of said Petition granted or said Child otherwise dealt with. Failure to appear is an admission to the allegation(s) contained in the Petition. You are further notified that the termination of parental rights is a possible remedy of these proceedings and that you and the above-named Child have the right to have an attorney present at all stages of the proceedings.
Dated at Sioux Falls, Minnehaha County, South Dakota, this 5th day of March, 2025.
KARLA KALB, Clerk
BY: /s/ Alyssa Cortez
Deputy
Published once on Mar. 7, 2025, at the approximate cost of $23.70, and may be viewed free of charge at www.sdpublicnotices.com or TheDakotaScout.com.
-
PUBLISH: Mar. 7, 2025
STATE OF SOUTH DAKOTA COUNTY OF MINNEHAHA :SS IN CIRCUIT COURT SECOND JUDICIAL CIRCUIT THE PEOPLE OF THE STATE OF SOUTH DAKOTA, EX REL, SOUTH DAKOTA DEPARTMENT OF SOCIAL SERVICES, IN THE INTEREST OF,
L M, ALLEGED ABUSED/ NEGLECTED CHILD
AND CONCERNING NIKEYA LORRAINE MAXIMO UNKNOWN FATHERS RESPONDENTS
JUV24-000390
4TH AMENDED SUMMONS (ALLEGED ABUSED OR NEGLECTED CHILD)
TO: NIKEYA LORRAINE MAXIMO
UNKNOWN FATHERS
AND ALL WHOM IT MAY CONCERN
You are hereby summoned to appear before the above-named Court in its courtroom at the Minnehaha County Courthouse, 425 North Dakota Avenue, Sioux Falls, South Dakota, on May 7 & 8, 2025, at 9:00 AM to answer the Petition of BRIANNA PALOMAKI, now on file with the Clerk of said Court, alleging the above named Child to be an abused/neglected Child and praying that said Child be taken from you and that a guardian be appointed with authority to consent to the adoption of said Child. You must appear at the time and place set forth above to show cause, if any you have, why said Child should not be found abused/neglected and the prayer of said Petition granted or said Child otherwise dealt with. Failure to appear is an admission to the allegation(s) contained in the Petition. You are further notified that the termination of parental rights is a possible remedy of these proceedings and that you and the above-named Child have the right to have an attorney present at all stages of the proceedings.
Dated at Sioux Falls, Minnehaha County, South Dakota, this 5th day of March, 2025.
KARLA KALB, Clerk
BY: /s/ Alyssa Cortez
Deputy
Published once on Mar. 7, 2025, at the approximate cost of $23.70, and may be viewed free of charge at www.sdpublicnotices.com or TheDakotaScout.com.
-
PUBLISH: Mar. 7, 2025
STATE OF SOUTH DAKOTA COUNTY OF MINNEHAHA :SS IN CIRCUIT COURT SECOND JUDICIAL CIRCUIT THE PEOPLE OF THE STATE OF SOUTH DAKOTA, EX REL, SOUTH DAKOTA DEPARTMENT OF SOCIAL SERVICES, IN THE INTEREST OF,
E N, ALLEGED ABUSED /NEGLECTED CHILDREN
AND CONCERNING LESLIE YAMILET SEGURA ANTHONY NUNEZ RESPONDENTS
JUV24-000772
4TH AMENDED SUMMONS (ALLEGED ABUSED OR NEGLECTED CHILD)
TO: LESLIE YAMILET SEGURA
ANTHONY NUNEZ
AND ALL WHOM IT MAY CONCERN
You are hereby summoned to appear before the above-named Court in its courtroom at the Minnehaha County Courthouse, 425 North Dakota Avenue, Sioux Falls, South Dakota, on April 2, 2025, at 9:00 AM to answer the Petition of BRIANNA PALOMAKI, now on file with the Clerk of said Court, alleging the above named Children to be an abused/neglected Children and praying that said Children be taken from you and that a guardian be appointed with authority to consent to the adoption of said Children. You must appear at the time and place set forth above to show cause, if any you have, why said Children should not be found abused/neglected and the prayer of said Petition granted or said Children otherwise dealt with. Failure to appear is an admission to the allegation(s) contained in the Petition. You are further notified that the termination of parental rights is a possible remedy of these proceedings and that you and the above-named Children have the right to have an attorney present at all stages of the proceedings.
Dated at Sioux Falls, Minnehaha County, South Dakota, this 4th day of March, 2025.
KARLA KALB, Clerk
BY: /s/ Alyssa Cortez
Deputy
Published once on Mar. 7, 2025, at the approximate cost of $23.39, and may be viewed free of charge at www.sdpublicnotices.com or TheDakotaScout.com.
-
PUBLISH: Mar. 7, 2025
STATE OF SOUTH DAKOTA COUNTY OF MINNEHAHA :SS IN CIRCUIT COURT SECOND JUDICIAL CIRCUIT THE PEOPLE OF THE STATE OF SOUTH DAKOTA, EX REL, SOUTH DAKOTA DEPARTMENT OF SOCIAL SERVICES, IN THE INTEREST OF,
I M, K M, ALLEGED ABUSED/ NEGLECTED CHILDREN AND CONCERNING ALEXIS SKY MASON MICHAEL JAMES BENTON JIMMY LANCE BLACKSPOTTEDHORSE RESPONDENTS
JUV24-000578
4TH AMENDED SUMMONS (ALLEGED ABUSED OR NEGLECTED CHILD)
TO: ALEXIS SKY MASON
MICHAEL JAMES BENTON
JIMMY LANCE BLACKSPOTTEDHORSE
AND ALL WHOM IT MAY CONCERN
You are hereby summoned to appear before the above-named Court in its courtroom at the Minnehaha County Courthouse, 425 North Dakota Avenue, Sioux Falls, South Dakota, on April 1, 2025, at 10:00 AM to answer the Petition of BRIANNA PALOMAKI, now on file with the Clerk of said Court, alleging the above named Children to be an abused/neglected Children and praying that said Children be taken from you and that a guardian be appointed with authority to consent to the adoption of said Children. You must appear at the time and place set forth above to show cause, if any you have, why said Children should not be found abused/neglected and the prayer of said Petition granted or said Children otherwise dealt with. Failure to appear is an admission to the allegation(s) contained in the Petition. You are further notified that the termination of parental rights is a possible remedy of these proceedings and that you and the above-named Children have the right to have an attorney present at all stages of the proceedings.
Dated at Sioux Falls, Minnehaha County, South Dakota, this 4th day of March, 2025.
KARLA KALB, Clerk
BY: /s/ Alyssa Cortez
Deputy
Published once on Mar. 7, 2025, at the approximate cost of $24.34, and may be viewed free of charge at www.sdpublicnotices.com or TheDakotaScout.com.
-
PUBLISH: Mar. 7, 2025
STATE OF SOUTH DAKOTA COUNTY OF MINNEHAHA :SS IN CIRCUIT COURT SECOND JUDICIAL CIRCUIT THE PEOPLE OF THE STATE OF SOUTH DAKOTA, EX REL, SOUTH DAKOTA DEPARTMENT OF SOCIAL SERVICES, IN THE INTEREST OF,
K C, K F, ALLEGED ABUSED/ NEGLECTED CHILDREN AND CONCERNING JEAN MARIE COMES FLYING UNKNOWN FATHER KENNETH GLEN FLUTE JR RESPONDENTS
JUV24-000479
SUMMONS (ALLEGED ABUSED OR NEGLECTED CHILD)
TO: JEAN MARIE COMES FLYING
UNKNOWN FATHER
KENNETH GLEN FLUTE JR
AND ALL WHOM IT MAY CONCERN
You are hereby summoned to appear before the above-named Court in its courtroom at the Minnehaha County Courthouse, 425 North Dakota Avenue, Sioux Falls, South Dakota, on April 22nd , 2025, at 10:00 AM to answer the Petition of Carrie Mees/Brianna Palomaki/Lyndee Kamrath, now on file with the Clerk of said Court, alleging the above named Children to be an abused/neglected Children and praying that said Children be taken from you and that a guardian be appointed with authority to consent to the adoption of said Children. You must appear at the time and place set forth above to show cause, if any you have, why said Children should not be found abused/neglected and the prayer of said Petition granted or said Children otherwise dealt with. Failure to appear is an admission to the allegation(s) contained in the Petition. You are further notified that the termination of parental rights is a possible remedy of these proceedings and that you and the above-named Children have the right to have an attorney present at all stages of the proceedings.
Dated at Sioux Falls, Minnehaha County, South Dakota, this 26th day of February, 2025.
KARLA KALB, Clerk
BY:
Deputy
Published once on Mar. 7, 2025, at the approximate cost of $24.34, and may be viewed free of charge at www.sdpublicnotices.com or TheDakotaScout.com.
-
PUBLISH: Mar. 7, 2025
STATE OF SOUTH DAKOTA COUNTY OF MINNEHAHA :SS IN CIRCUIT COURT SECOND JUDICIAL CIRCUIT IN THE MATTER OF
D L, TL, ALLEGED ABUSED/ NEGLECTED CHILDREN JUV24-000155
NOTICE OF ENTRY OF ORDER
TO: Unknown Fathers, Amber Long Soldier, Oglala Sioux Tribe and all to whom it may
concern:
You will take notice that on the 27th day of January, 2025, a Final Dispositional Order
affecting your parental rights was made and entered in the matter entitled above by the above entitled Court and filed with the Clerk and that attached hereto is a true and correct copy thereof.
Dated this 20th day of February, 2025.
/s/Brianna Palomaki
Carrie Mees/Brianna Palomaki/Lyndee Kamrath
Deputy State’s Attorney
Minnehaha County State’s Attorney’s Office
415 N. Dakota Ave.
Sioux Falls, SD 57104
(605) 367-4226
Published once on Mar. 7, 2025, at the approximate cost of $12.96, and may be viewed free of charge at www.sdpublicnotices.com or TheDakotaScout.com.
-
PUBLISH: Mar. 7, 2025
STATE OF SOUTH DAKOTA COUNTY OF MINNEHAHA :SS IN CIRCUIT COURT SECOND JUDICIAL CIRCUIT IN THE MATTER OF
I M, P R, S R, ALLEGED ABUSED/ NEGLECTED CHILDREN
JUV24-000680
NOTICE OF ENTRY OF ORDER
TO: Michael Edward Rich, Jr., Anastasia Muggins, Oglala Sioux Tribe and Rosebud Sioux Tribe and all to whom it may concern:
You will take notice that on the 29th day of January, 2025 the Findings of Fact and Conclusions of Law as to Disposition and Final Dispositional Order affecting your parental rights was made and entered in the matter entitled above by the above entitled Court and filed with the Clerk and that attached hereto is a true and correct copy thereof.
Dated this 20th day of February, 2025.
/s/Brianna Palomaki
Carrie Mees/Brianna Palomaki/Lyndee Kamrath
Deputy State’s Attorney
Minnehaha County State’s Attorney’s Office
415 N. Dakota Ave.
Sioux Falls, SD 57104
(605) 367-4226
Published once on Mar. 7, 2025, at the approximate cost of $13.91, and may be viewed free of charge at www.sdpublicnotices.com or TheDakotaScout.com.
-
PUBLISH: Mar. 7, 2025
STATE OF SOUTH DAKOTA COUNTY OF MINNEHAHA :SS IN CIRCUIT COURT SECOND JUDICIAL CIRCUIT THE PEOPLE OF THE STATE OF SOUTH DAKOTA, EX REL, SOUTH DAKOTA DEPARTMENT OF SOCIAL SERVICES, IN THE INTEREST OF,
J K, ALLEGED ABUSED/ NEGLECTED CHILD
AND CONCERNING NICHOLE LEEANN KENNEDY PIERRE KALOMBO RESPONDENTS
JUV24-000209
3RD AMENDED SUMMONS (ALLEGED ABUSED OR NEGLECTED CHILD)
TO: NICHOLE LEEANN KENNEDY
PIERRE KALOMBO
AND ALL WHOM IT MAY CONCERN
You are hereby summoned to appear before the above-named Court in its courtroom at the Minnehaha County Courthouse, 425 North Dakota Avenue, Sioux Falls, South Dakota, on March 25, 2025, at 10:00 AM to answer the Petition of BRIANNA PALOMAKI, now on file with the Clerk of said Court, alleging the above named Child to be an abused/neglected Child and praying that said Child be taken from you and that a guardian be appointed with authority to consent to the adoption of said Child. You must appear at the time and place set forth above to show cause, if any you have, why said Child should not be found abused/neglected and the prayer of said Petition granted or said Child otherwise dealt with. Failure to appear is an admission to the allegation(s) contained in the Petition. You are further notified that the termination of parental rights is a possible remedy of these proceedings and that you and the above-named Child have the right to have an attorney present at all stages of the proceedings.
Dated at Sioux Falls, Minnehaha County, South Dakota, this 3rd day of March, 2025.
KARLA KALB, Clerk
BY: /s/ Alyssa Cortez
Deputy
Published once on Mar. 7, 2025, at the approximate cost of $23.70, and may be viewed free of charge at www.sdpublicnotices.com or TheDakotaScout.com.
-
PUBLISH: Mar. 7, 2025
STATE OF SOUTH DAKOTA COUNTY OF MINNEHAHA :SS IN CIRCUIT COURT SECOND JUDICIAL CIRCUIT THE PEOPLE OF THE STATE OF SOUTH DAKOTA, EX REL, SOUTH DAKOTA DEPARTMENT OF SOCIAL SERVICES, IN THE INTEREST OF,
P H, A V, C V, ALLEGED ABUSED/ NEGLECTED CHILDREN
AND CONCERNING HANNAH ELIZABETH VOORHEES UNKNOWN FATHERS MICHAEL ALLEN HENDRICKSEN RESPONDENTS
JUV24-000156
4TH AMENDED SUMMONS (ALLEGED ABUSED OR NEGLECTED CHILD)
TO: HANNAH ELIZABETH VOORHEES
UNKNOWN FATHERS
MICHAEL ALLEN HENDRICKSEN
AND ALL WHOM IT MAY CONCERN
You are hereby summoned to appear before the above-named Court in its courtroom at the Minnehaha County Courthouse, 425 North Dakota Avenue, Sioux Falls, South Dakota, on March 25, 2025, at 10:00 AM to answer the Petition of BRIANNA PALOMAKI, now on file with the Clerk of said Court, alleging the above named Children to be an abused/neglected Children and praying that said Children be taken from you and that a guardian be appointed with authority to consent to the adoption of said Children. You must appear at the time and place set forth above to show cause, if any you have, why said Children should not be found abused/neglected and the prayer of said Petition granted or said Children otherwise dealt with. Failure to appear is an admission to the allegation(s) contained in the Petition. You are further notified that the termination of parental rights is a possible remedy of these proceedings and that you and the above-named Children have the right to have an attorney present at all stages of the proceedings.
Dated at Sioux Falls, Minnehaha County, South Dakota, this 3rd day of March, 2025.
KARLA KALB, Clerk
BY: /s/ Alyssa Cortez
Deputy
Published once on Mar. 7, 2025, at the approximate cost of $25.28, and may be viewed free of charge at www.sdpublicnotices.com or TheDakotaScout.com.
-
PUBLISH: Mar. 7, 2025
STATE OF SOUTH DAKOTA COUNTY OF MINNEHAHA :SS IN CIRCUIT COURT SECOND JUDICIAL CIRCUIT THE PEOPLE OF THE STATE OF SOUTH DAKOTA, EX REL, SOUTH DAKOTA DEPARTMENT OF SOCIAL SERVICES, IN THE INTEREST OF,
K I, S I, C W, C W, W W, ALLEGED ABUSED/ NEGLECTED CHILDREN
AND CONCERNING MONTIE LYNNETTE IRON CLOUD UNKNOWN FATHER CALVIN JOSEPH WHITE BUFFALO KYLE WILLLIAMSON RESPONDENTS JUV24-001296
AMENDED SUMMONS (ALLEGED ABUSED OR NEGLECTED CHILD)
TO: MONTIE LYNNETTE IRON CLOUD
UNKNOWN FATHER
CALVIN JOSEPH WHITE BUFFALO
KYLE WILLLIAMSON
AND ALL WHOM IT MAY CONCERN
You are hereby summoned to appear before the above-named Court in its courtroom at the Minnehaha County Courthouse, 425 North Dakota Avenue, Sioux Falls, South Dakota, on May 28, 2025, at 9:00 AM to answer the Petition of BRIANNA PALOMAKI, now on file with the Clerk of said Court, alleging the above named Children to be an abused/neglected Children and praying that said Children be taken from you and that a guardian be appointed with authority to consent to the adoption of said Children. You must appear at the time and place set forth above to show cause, if any you have, why said Children should not be found abused/neglected and the prayer of said Petition granted or said Children otherwise dealt with. Failure to appear is an admission to the allegation(s) contained in the Petition. You are further notified that the termination of parental rights is a possible remedy of these proceedings and that you and the above-named Children have the right to have an attorney present at all stages of the proceedings.
Dated at Sioux Falls, Minnehaha County, South Dakota, this 24th day of February, 2025.
KARLA KALB, Clerk
BY: /s/ Alyssa Cortez
Deputy
Published once on Mar. 7, 2025, at the approximate cost of $25.60, and may be viewed free of charge at www.sdpublicnotices.com or TheDakotaScout.com.
-
PUBLISH: Mar. 7, 2025
STATE OF SOUTH DAKOTA COUNTY OF MINNEHAHA :SS IN CIRCUIT COURT SECOND JUDICIAL CIRCUIT THE PEOPLE OF THE STATE OF SOUTH DAKOTA, EX REL, SOUTH DAKOTA DEPARTMENT OF SOCIAL SERVICES, IN THE INTEREST OF,
J A, I Q, M S, T S, T S, JR., ALLEGED ABUSED/ NEGLECTED CHILDREN
AND CONCERNING SAIGE MARAE QUINN JORDAN BENEDICT ADAMS ARTHUR JAMES EAGLE FEATHER, JR. TYRELL WILSON SHIELDS, SR. RESPONDENTS
JUV24-001295
AMENDED SUMMONS (ALLEGED ABUSED OR NEGLECTED CHILD)
TO: SAIGE MARAE QUINN
JORDAN BENEDICT ADAMS
ARTHUR JAMES EAGLE FEATHER, JR.
TYRELL WILSON SHIELDS, SR.
AND ALL WHOM IT MAY CONCERN
You are hereby summoned to appear before the above-named Court in its courtroom at the Minnehaha County Courthouse, 425 North Dakota Avenue, Sioux Falls, South Dakota, on June 11, 2025, at 9:00 AM to answer the Petition of BRIANNA PALOMAKI, now on file with the Clerk of said Court, alleging the above named Children to be an abused/neglected Children and praying that said Children be taken from you and that a guardian be appointed with authority to consent to the adoption of said Children. You must appear at the time and place set forth above to show cause, if any you have, why said Children should not be found abused/neglected and the prayer of said Petition granted or said Children otherwise dealt with. Failure to appear is an admission to the allegation(s) contained in the Petition. You are further notified that the termination of parental rights is a possible remedy of these proceedings and that you and the above-named Children have the right to have an attorney present at all stages of the proceedings.
Dated at Sioux Falls, Minnehaha County, South Dakota, this 27th day of February, 2025.
KARLA KALB, Clerk
BY: /s/ Alyssa Cortez
Deputy
Published once on Mar. 7, 2025, at the approximate cost of $25.60, and may be viewed free of charge at www.sdpublicnotices.com or TheDakotaScout.com.
-
PUBLISH: Mar. 7, 2025
STATE OF SOUTH DAKOTA COUNTY OF MINNEHAHA :SS IN CIRCUIT COURT SECOND JUDICIAL CIRCUIT THE PEOPLE OF THE STATE OF SOUTH DAKOTA, EX REL, SOUTH DAKOTA DEPARTMENT OF SOCIAL SERVICES, IN THE INTEREST OF,
A H, ALLEGED ABUSED/ NEGLECTED CHILD
AND CONCERNING MICHELLE HEIL DAVID ANTHONY BURGESS RESPONDENTS
JUV24-001668
SUMMONS (ALLEGED ABUSED OR NEGLECTED CHILD)
TO: MICHELLE HEIL
DAVID ANTHONY BURGESS
AND ALL WHOM IT MAY CONCERN
You are hereby summoned to appear before the above-named Court in its courtroom at the Minnehaha County Courthouse, 425 North Dakota Avenue, Sioux Falls, South Dakota, on May 14, 2025, at 9:00 AM to answer the Petition of Carrie Mees/Brianna Palomaki/Lyndee Kamrath, now on file with the Clerk of said Court, alleging the above named Child to be an abused/neglected Child and praying that said Child be taken from you and that a guardian be appointed with authority to consent to the adoption of said Child. You must appear at the time and place set forth above to show cause, if any you have, why said Child should not be found abused/neglected and the prayer of said Petition granted or said Child otherwise dealt with. Failure to appear is an admission to the allegation(s) contained in the Petition. You are further notified that the termination of parental rights is a possible remedy of these proceedings and that you and the above-named Child have the right to have an attorney present at all stages of the proceedings.
Dated at Sioux Falls, Minnehaha County, South Dakota, this 27th day of February, 2025
KARLA KALB, Clerk
BY: /s/ Alyssa Cortez
Deputy
Published once on Mar. 7, 2025, at the approximate cost of $23.07, and may be viewed free of charge at www.sdpublicnotices.com or TheDakotaScout.com.
-
PUBLISH: Mar. 7, 2025
STATE OF SOUTH DAKOTA COUNTY OF MINNEHAHA :SS IN CIRCUIT COURT SECOND JUDICIAL CIRCUIT IN THE MATTER OF
A H, ALLEGED ABUSED/ NEGLECTED CHILD
JUV24-001668
NOTICE OF ENTRY OF ORDER
TO: David Anthony Burgess, Michelle Heil and all to whom it may concern:
You will take notice that on the 25th day of February, 2025 an Order of Adjudication affecting your parental rights was made and entered in the matter entitled above by the above entitled Court and filed with the Clerk and that attached hereto is a true and correct copy thereof.
Dated this 27th day of February, 2025.
/s/Brianna Palomaki
Carrie Mees/Brianna Palomaki/Lyndee Kamrath
Deputy State’s Attorney
Minnehaha County State’s Attorney’s Office
415 N. Dakota Ave.
Sioux Falls, SD 57104
(605) 367-4226
Published once on Mar. 7, 2025, at the approximate cost of $12.96, and may be viewed free of charge at www.sdpublicnotices.com or TheDakotaScout.com.
-
PUBLISH: Mar. 7, Mar. 14 & Mar. 21, 2025
STATE OF SOUTH DAKOTA COUNTY OF MINNEHAHA :SS IN CIRCUIT COURT SECOND JUDICIAL CIRCUIT STATE OF SOUTH DAKOTA, PLAINTIFF,
V.
$1,485 IN AMERICAN CURRENCY, DEFENDANT. 49CIV25-498
SUMMONS
GREETINGS FROM THE STATE OF SOUTH DAKOTA TO THE ABOVE-NAMED DEFENDANT AND LARON DENINE KENT, 9337 SOUTH CHAPPEL AVENUE, CHICAGO, ILLINOIS 60617-3737:
You are hereby summoned and required to serve upon the Attorney General, Plaintiff’s attorney, whose address is the Office of the Attorney General, 1302 East Highway 14, Suite 1, Pierre, South Dakota 57501-8501, a verified Answer to the Complaint, which is herewith served upon you (and will be filed with the Clerk of the Circuit Court of the Second Judicial Circuit at Sioux Falls, County of Minnehaha, State of South Dakota), within thirty (30) days after the service of this Summons and Complaint upon you, exclusive to the date of service. If you fail to file an Answer within thirty (30) days of the date of service upon you, judgment by default will be taken against you for the relief as prayed for in the Complaint. The object of the above action is forfeiture of the above-described property to the State of South Dakota.
Dated this 30th day of January 2025.
/s/ Megan A. Borchert
Megan A. Borchert
Assistant Attorney General
Office of the Attorney General
1302 East Highway 14, Suite 1
Pierre, South Dakota 57501-8501
Telephone: (605) 773-3215
Email: atgservice@state.sd.us
Published on Mar. 7, Mar. 14, Mar. 21 & Mar. 28, 2025, at the approximate cost of $68.83, and may be viewed free of charge at www.sdpublicnotices.com or TheDakotaScout.com.
-
PUBLISH: Mar. 7, 2025
STATE OF SOUTH DAKOTA COUNTY OF MINNEHAHA :SS IN CIRCUIT COURT SECOND JUDICIAL CIRCUIT THE PEOPLE OF THE STATE OF SOUTH DAKOTA, EX REL, SOUTH DAKOTA DEPARTMENT OF SOCIAL SERVICES, IN THE INTEREST OF,
K S, ALLEGED ABUSED/ NEGLECTED CHILD
AND CONCERNING TIARA SKYE SAILS UNKNOWN FATHERS RESPONDENTS
JUV24-001425
AMENDED SUMMONS (ALLEGED ABUSED OR NEGLECTED CHILD)
TO: TIARA SKYE SAILS
UNKNOWN FATHERS
AND ALL WHOM IT MAY CONCERN
You are hereby summoned to appear before the above-named Court in its courtroom at the Minnehaha County Courthouse, 425 North Dakota Avenue, Sioux Falls, South Dakota, on June 26, 2025, at 9:00 AM to answer the Petition of BRIANNA PALOMAKI, now on file with the Clerk of said Court, alleging the above named Child to be an abused/neglected Child and praying that said Child be taken from you and that a guardian be appointed with authority to consent to the adoption of said Child. You must appear at the time and place set forth above to show cause, if any you have, why said Child should not be found abused/neglected and the prayer of said Petition granted or said Child otherwise dealt with. Failure to appear is an admission to the allegation(s) contained in the Petition. You are further notified that the termination of parental rights is a possible remedy of these proceedings and that you and the above-named Child have the right to have an attorney present at all stages of the proceedings.
Dated at Sioux Falls, Minnehaha County, South Dakota, this 3rd day of March, 2025.
KARLA KALB, Clerk
BY: /s/ Alyssa Cortez
Deputy
Published once on Mar. 7, 2025, at the approximate cost of $23.07, and may be viewed free of charge at www.sdpublicnotices.com or TheDakotaScout.com.
-
PUBLISH: Mar. 7, Mar. 14, Mar. 21 & Mar. 28, 2024
STATE OF SOUTH DAKOTA COUNTY OF MINNEHAHA SS: IN CIRCUIT COURT SECOND JUDICIAL CIRCUIT IN THE MATTER OF THE PETITION OF:
RUTH ANN PEREZ
FOR A CHANGE OF NAME TO:
RUTH ANN WRIGHT
FILE NO: 49CIV25-001103
NOTICE OF HEARING FOR ADULT NAME CHANGE
NOTICE IS HEREBY GIVEN that a Verified Petition for Adult Name Change has been filed by Ruth Ann Perez to change Petitioner’s name from Ruth Ann Perez to Ruth Ann Wright. The petition will be heard on the 15 day of April, 2025, at 11:00 am by the Honorable Judge Mowery, at the Minnehaha County Courthouse in the City of Sioux Falls, South Dakota. Anyone may appear at that time and place and show reasons, if any, why Petitioner’s name should not be changed.
Dated this 04 day of March, 2025.
/s/ Mowery
Circuit Court Judge of Clerk of Court
Published on Mar. 7 Mar. 14, Mar. 21 & Mar. 28, 2025, at the approximate cost of $48.00, and may be viewed free of charge at www.sdpublicnotices.com or TheDakotaScout.com.
-
PUBLISH: Mar. 7, Mar. 14 & Mar. 21, 2025
STATE OF SOUTH DAKOTA COUNTY OF MINNEHAHA :SS IN CIRCUIT COURT SECOND JUDICIAL CIRCUIT IN THE MATTER OF THE ESTATE OF
DANIEL T. PULFORD, DECEASED.
49PRO25-000058
NOTICE TO CREDITORS OF APPOINTMENT OF PERSONAL REPRESENTATIVE
Notice is given that on March 4, 2025, Scott A. Pulford, whose address is 850 Country Charm Circle, Oviedo, Florida 32765, was appointed as personal representative of the Estate of Daniel T. Pulford.
Creditors of decedent must file their claims within four (4) months after the date of the first publication of this notice or their claims may be barred.
Claims may be filed with the personal representative or may be filed with the clerk, and a copy of the claim mailed to the personal representative.
/s/ Scott A. Pulford
Scott A. Pulford
850 Country Charm Circle
Oviedo, FL 32765
321-436-5796
Clerk of Courts
Minnehaha County
425 N. Dakota Avenue
Sioux Falls, SD 57104
Lucas J. Carr
Woods, Fuller, Shultz & Smith P.C.
300 South Phillips Avenue, Suite 300
P.O. Box 5027
Sioux Falls, SD 57117-5027
(605) 336-3890
Published on Mar. 7 Mar. 14 & Mar. 21, 2025, at the approximate cost of $48.57, and may be viewed free of charge at www.sdpublicnotices.com or TheDakotaScout.com.
The Dakota Scout is the official newspaper of the city of Sioux Falls, the Sioux Falls School District, Minnehaha and Lincoln counties, and the city of Baltic.








