Legals & Public Notices: January 9, 2026
City of Sioux Falls, Sioux Falls School District, Minnehaha County, Public Notices, Name Changes, Notices to Creditors, Summons
CITY OF SIOUX FALLS
PUBLISH: Jan. 9, 2026
NOTICE OF HEARING CITY COUNCIL
Notice is hereby given that at the regular Sioux Falls City Council meeting to be held at 6 p.m. on January 20, 2026, at the Carnegie Town Hall, 235 W. 10th St., there will be a public hearing on the following amendment(s) to the Zoning Ordinance and other items in accordance with the Zoning Ordinance of the City of Sioux Falls:
1. REZ-022053-2025: Rezoning from the AG Agriculture District to the I-2 Heavy Industrial District located north of I-90 and west of I-29.
Legal Description: Tract 11, Benson’s Addition, Section 13-T102N-R50W, City of Sioux Falls, Minnehaha County, SD.
2. SUB-P-022050-2025: Preliminary Subdivision Plan for Foundation Park North located north of I-90 and west of I-29.
Legal Description: Tract 11, Benson’s Addition, Section 13-T102N-R50W, City of Sioux Falls, Minnehaha County, SD
Published once on Jan. 9, 2026, at the approximate cost of $12.56, and may be viewed free of charge at www.sdpublicnotices.com or TheDakotaScout.com.
PUBLISH: Jan. 9, 2026
NOTICE OF HEARING UPON APPLICATIONS FOR SALE OF ALCOHOLIC BEVERAGES
Notice is given that various Alcoholic Beverage Licenses are to be operated at various locations in Sioux Falls, South Dakota, as listed below.
The City Council will consider said applications at Carnegie Town Hall, 235 West Tenth Street, at 6:00 p.m., on January 20, 2026.
Any person interested may appear and be heard.
Transfer of 2025-26 Retail Malt Beverage License and Transfer of 2026 Retail Wine License from Jacky’s Restaurant LLC, Jacky’s Burrito Express, 3101 West 41st Street, Suite 101, to Jacky’s 41st LLC, Jacky’s Mexican Restaurant, 3101 West 41st Street, Suite 101.
Special One-Day Malt Beverage and Special One-Day Wine License for American Heart Association to be operated at the Canopy by Hilton, 120 East 4th Place, for a Go Red for Women event on January 30, 2026.
Special One-Day Liquor Licenses for Sioux Empire Community Theatre to be operated at The Premiere Playhouse, 300 North Phillips Avenue, Suite 120, for fundraising events on February 19, 20 and 21, 2026.
Special One-Day Malt Beverage and Special One-Day Wine Licenses for Christ the King Parish of Minnehaha County, 1501 West 26th Street, for a fundraising event on March 7, 2026.
Special One-Day Liquor License for Sioux Falls State Theatre, 316 South Phillips Avenue, for a fundraising gala on April 18, 2026.
Jamie L. Palmer
Licensing Specialist
City Attorney’s Office
Published once on Jan. 9, 2026, at the approximate cost of $19.32, and may be viewed free of charge at www.sdpublicnotices.com or TheDakotaScout.com.
-
PUBLISH: Jan. 9, 2026
RESOLUTION NO. 1-26
A RESOLUTION DECLARING THE NECESSITY TO CONSTRUCT SIDEWALK ON E. BENSON RD. AND ASSESSING THE COST TO EACH LOT OR TRACT OF LAND BENEFITING THEREBY.
BE IT RESOLVED BY THE CITY OF SIOUX FALLS, SD:
Section 1. It is necessary to construct sidewalk in accordance with specifications prepared by the Office of the City Engineer and on file in the Office of the City Engineer on the following streets in the city of Sioux Falls, SD, fronting or abutting upon the following described property to be assessed:
E. Benson Rd.
Lot 1, Block 2, Sioux Empire Development Park Three Addition to the City of Sioux Falls, Minnehaha County, South Dakota;
Lot 4, Block 2, Sioux Empire Development Park Three Addition to the City of Sioux Falls, Minnehaha County, South Dakota;
Lot 5, Block 2, Sioux Empire Development Park Three Addition to the City of Sioux Falls, Minnehaha County, South Dakota.
Section 2. The cost and expense of the improvements shall be levied by special assessment upon the above-described property in accordance with Section 96.034 of the Code of Ordinances of Sioux Falls, SD, and SDCL Chapter 9-43. Subject to exceptions described in City ordinance, the improvements shall be assessed upon the above-described property based on the number of linear feet of sidewalk installed, as provided by law.
Section 3. Notice. The City may waive or reduce special assessments levied against owner-occupied single-family dwellings where the head of the household is 65 years of age or older, or is disabled, or where the annual household income is less than $10,000. In order to qualify and be eligible for the waiving or reduction of such special assessments, you must make application on forms provided at the City of Sioux Falls Planning and Development Services, 231 N. Dakota Ave., P.O. Box 7402, Sioux Falls, SD 57117-7402, or call 605-367-8888, prior to the date of the ‘Final Levy of the Assessment Roll’ before the Sioux Falls City Council. Failure to make proper written application prior to this date will disqualify you from being eligible for waiving or reduction of the special assessment.
Section 4. The assessment may be paid in five (5) equal annual installments. If not paid within 30 days after the assessment roll has been filed in the City Accounting Office, the assessment or any installment shall be collected with interest in accordance with the procedure provided by SDCL 9-43-89.
Interest on the assessment or installment will be charged and collected in accordance with law. The rate to be charged will be set by the City Council in the year of assessment.
Section 5. The estimated cost of the above-named improvements is $68.00 per linear foot of sidewalk. Based on the number of linear feet of sidewalk installation fronting or abutting Benson Road, the estimated cost for each parcel is as follows:
Lot 1, Block 2, Sioux Empire Development Park Three Addition to the City of Sioux Falls, Minnehaha County, South Dakota: $21,964.00
Lot 4, Block 2, Sioux Empire Development Park Three Addition to the City of Sioux Falls, Minnehaha County, South Dakota: $13,056.00
Lot 5, Block 2, Sioux Empire Development Park Three Addition to the City of Sioux Falls, Minnehaha County, South Dakota: $1,360.00
Section 6. The assessment will be levied on the above-described property pursuant to Section 96.034 of the Code of Ordinances of Sioux Falls, SD.
Section 7. A copy of the resolution will be recorded at the Register of Deeds Office, Minnehaha County, SD, as a notice to all potential or actual future landowners, of present or future assessment payments on said property.
Date adopted: 01/06/26.
Paul TenHaken, Mayor
ATTEST:
Jermery J. Washington, City Clerk
Published once on Jan. 9, 2026, at the approximate cost of $46.69, and may be viewed free of charge at www.sdpublicnotices.com or TheDakotaScout.com.
-
PUBLISH: Jan. 9, 2026
RESOLUTION NO. 2-26
A RESOLUTION DECLARING THE NECESSITY TO GRADE, GRAVEL, CONSTRUCT ASPHALT SURFACING, SANITARY SEWER, STORM DRAIN, WATER MAIN AND STREETLIGHTS ON W. 46TH ST., AND ASSESSING A PORTION OF THE COST TO EACH LOT OR TRACT OF LAND BENEFITING THEREBY.
BE IT RESOLVED BY THE CITY OF SIOUX FALLS, SD:
Section 1. It is necessary to grade, gravel, construct asphalt surfacing, sanitary sewer, storm drain, water main and streetlights in accordance with specifications prepared by the Office of the City Engineer and on file in the Office of the City Engineer on the following streets in the City of Sioux Falls, SD, fronting or abutting upon the following described property to be assessed:
W. 46th Street from S. Klein Avenue to S. Ellis Road
Lot 1 in Block 1 of Blue Meadows Subdivision in the NW1/4 of Section 34, T101N, R50W of the 5th Principal Meridian, Minnehaha County, South Dakota;
Lot 2 in Block 1 of Blue Meadows Subdivision in the NW1/4 of Section 34, T101N, R50W of the 5th Principal Meridian, Minnehaha County, South Dakota;
Lot 3 in Block 1 of Blue Meadows Subdivision in the NW1/4 of Section 34, T101N, R50W of the 5th Principal Meridian, Minnehaha County, South Dakota;
Lot 4 in Block 1 of Blue Meadows Subdivision in the NW1/4 of Section 34, T101N, R50W of the 5th Principal Meridian, Minnehaha County, South Dakota;
Lot 5 in Block 1 of Blue Meadows Subdivision in the NW1/4 of Section 34, T101N, R50W of the 5th Principal Meridian, Minnehaha County, South Dakota;
Lot 6 in Block 1 of Blue Meadows Subdivision in the NW1/4 of Section 34, T101N, R50W of the 5th Principal Meridian, Minnehaha County, South Dakota;
Lot 7 in Block 1 of Blue Meadows Subdivision in the NW1/4 of Section 34, T101N, R50W of the 5th Principal Meridian, Minnehaha County, South Dakota;
Lot 8 in Block 1 of Blue Meadows Subdivision in the NW1/4 of Section 34, T101N, R50W of the 5th Principal Meridian, Minnehaha County, South Dakota;
Lot 9 in Block 1 of Blue Meadows Subdivision in the NW1/4 of Section 34, T101N, R50W of the 5th Principal Meridian, Minnehaha County, South Dakota;
Lot 10 in Block 1 of Blue Meadows Subdivision in the NW1/4 of Section 34, T101N, R50W of the 5th Principal Meridian, Minnehaha County, South Dakota;
Lot 11 in Block 1 of Blue Meadows Subdivision in the NW1/4 of Section 34, T101N, R50W of the 5th Principal Meridian, Minnehaha County, South Dakota;
Lot 12 in Block 1 of Blue Meadows Subdivision in the NW1/4 of Section 34, T101N, R50W of the 5th Principal Meridian, Minnehaha County, South Dakota;
Lot 1 and the West 1/2 of Lot 2 in Block 2 of Blue Meadows Subdivision in the NW1/4 of Section 34, T101N, R50W of the 5th Principal Meridian, Minnehaha County, South Dakota;
The East 1/2 of Lot 2 and the West 75 Feet of Lot 3 in Block 2 of Blue Meadows Subdivision in the NW1/4 of Section 34, T101N, R50W of the 5th Principal Meridian, Minnehaha County, South Dakota;
The East 25 Feet of Lot 3 and Lot 4 in Block 2 of Blue Meadows Subdivision in the NW1/4 of Section 34, T101N, R50W of the 5th Principal Meridian, Minnehaha County, South Dakota;
Lot 5 in Block 2 of Blue Meadows Subdivision in the NW1/4 of Section 34, T101N, R50W of the 5th Principal Meridian, Minnehaha County, South Dakota;
Lot 6 in Block 2 of Blue Meadows Subdivision in the NW1/4 of Section 34, T101N, R50W of the 5th Principal Meridian, Minnehaha County, South Dakota;
Lot 7 in Block 2 of Blue Meadows Subdivision in the NW1/4 of Section 34, T101N, R50W of the 5th Principal Meridian, Minnehaha County, South Dakota;
Lot 8 in Block 2 of Blue Meadows Subdivision in the NW1/4 of Section 34, T101N, R50W of the 5th Principal Meridian, Minnehaha County, South Dakota;
Lot 9 in Block 2 of Blue Meadows Subdivision in the NW1/4 of Section 34, T101N, R50W of the 5th Principal Meridian, Minnehaha County, South Dakota;
Lot 10 & Lot 11 in Block 2 of Blue Meadows Subdivision in the NW1/4 of Section 34, T101N, R50W of the 5th Principal Meridian, Minnehaha County, South Dakota;
Lot 12 in Block 2 of Blue Meadows Subdivision in the NW1/4 of Section 34, T101N, R50W of the 5th Principal Meridian, Minnehaha County, South Dakota;
Section 2. A portion of the cost and expense of the improvements shall be levied by special assessment upon the above-described property in accordance with Section 96.034 of the Code of Ordinances of Sioux Falls, SD, and SDCL Chapter 9-43. Subject to exceptions described in City ordinance, the improvements shall be assessed upon the above-described property abutting upon the same in proportion to the number of front feet fronting or abutting, as provided by law.
Section 3. Notice. The City may waive or reduce special assessments levied against owner-occupied single-family dwellings where the head of the household is 65 years of age or older, or is disabled, or where the annual household income is less than $10,000. In order to qualify and be eligible for the waiving or reduction of such special assessments, you must make application on forms provided at the City of Sioux Falls Planning and Development Services, 231 N. Dakota Ave., P.O. Box 7402, Sioux Falls, SD 57117-7402, or call 367-8888, prior to the date of the ‘Final Levy of the Assessment Roll’ before the Sioux Falls City Council. Failure to make proper written application prior to this date will disqualify you from being eligible for waiving or reduction of the special assessment.
Section 4. The assessment may be paid in equal annual installments. If not paid within 30 days after the assessment roll has been filed in the City Accounting Office, the assessment or any installment shall be collected with interest in accordance with the procedure provided by SDCL 9-43-89.
Interest on the assessment or installment will be charged and collected in accordance with law. The rate to be charged will be set by the City Council in the year of assessment.
Section 5. Based on the number of feet fronting or abutting 46th Street. The estimated cost for each parcel is as follows:
- Estimated at $170 per front foot
Section 6. The assessment will be levied on the above-described property pursuant to Section 96.034 of the Code of Ordinances of Sioux Falls, SD.
Section 7. A copy of the resolution will be recorded at the Register of Deeds Office, Minnehaha County, SD, as a notice to all potential or actual future landowners, of present or future assessment payments on said property.
Date adopted: 01/06/26.
Paul TenHaken, Mayor
ATTEST:
Jermery J. Washington,
City Clerk
Published once on Jan. 9, 2026, at the approximate cost of $81.47, and may be viewed free of charge at www.sdpublicnotices.com or TheDakotaScout.com.
-
PUBLISH: Jan. 9, 2026
RESOLUTION NO. 3-26
A RESOLUTION DECLARING THE NECESSITY TO GRADE, GRAVEL, CONSTRUCT ASPHALT SURFACING, SANITARY SEWER, STORM DRAIN, WATER MAIN AND STREETLIGHTS ON W. 42ND ST., AND ASSESSING A PORTION OF THE COST TO EACH LOT OR TRACT OF LAND BENEFITING THEREBY.
BE IT RESOLVED BY THE CITY OF SIOUX FALLS, SD:
Section 1. It is necessary to grade, gravel, construct asphalt surfacing, sanitary sewer, storm drain, water main and streetlights in accordance with specifications prepared by the Office of the City Engineer and on file in the Office of the City Engineer on the following streets in the City of Sioux Falls, SD, fronting or abutting upon the following described property to be assessed:
W. 42nd Street from S. Klein Avenue to 1270’ +/- East
Tract 13 in the N1/2 of NW1/4 of Section 34, T101N, R50W of the 5th P.M., Minnehaha County, S. Dak.;
Tract 14 in the N1/2 of NW1/4 of Section 34, T101N, R50W of the 5th P.M., Minnehaha County, S. Dak.;
Tract 15 in the N1/2 of NW1/4 of Section 34, T101N, R50W of the 5th P.M., Minnehaha County, S. Dak.;
Tract 16 in the N1/2 of NW1/4 of Section 34, T101N, R50W of the 5th P.M., Minnehaha County, S. Dak.;
Tract 17 in the N1/2 of NW1/4 of Section 34, T101N, R50W of the 5th P.M., Minnehaha County, S. Dak.;
Tract 18 in the N1/2 of NW1/4 of Section 34, T101N, R50W of the 5th P.M., Minnehaha County, S. Dak.;
Tract 19 in the N1/2 of NW1/4 of Section 34, T101N, R50W of the 5th P.M., Minnehaha County, S. Dak.;
Tract 20 in the N1/2 of NW1/4 of Section 34, T101N, R50W of the 5th P.M., Minnehaha County, S. Dak.;
Tract 21 in the N1/2 of NW1/4 of Section 34, T101N, R50W of the 5th P.M., Minnehaha County, S. Dak.;
ract 22 in the N1/2 of NW1/4 of Section 34, T101N, R50W of the 5th P.M., Minnehaha County, S. Dak.;
Tract 23 in the N1/2 of NW1/4 of Section 34, T101N, R50W of the 5th P.M., Minnehaha County, S. Dak.;
S1/2 of Tract 24 in the N1/2 of NW1/4 of Section 34, T101N, R50W of the 5th P.M., Minnehaha County, S. Dak.;
Tract 25 in the N1/2 of NW1/4 of Section 34, T101N, R50W of the 5th P.M., Minnehaha County, S. Dak.;
Tract 26 in the N1/2 of NW1/4 of Section 34, T101N, R50W of the 5th P.M., Minnehaha County, S. Dak.;
Tract 27 in the N1/2 of NW1/4 of Section 34, T101N, R50W of the 5th P.M., Minnehaha County, S. Dak.;
Tract 28 in the N1/2 of NW1/4 of Section 34, T101N, R50W of the 5th P.M., Minnehaha County, S. Dak.;
Tract 29 in the N1/2 of NW1/4 of Section 34, T101N, R50W of the 5th P.M., Minnehaha County, S. Dak.;
Tract 30 in the N1/2 of NW1/4 of Section 34, T101N, R50W of the 5th P.M., Minnehaha County, S. Dak.;
Tract 31 in the N1/2 of NW1/4 of Section 34, T101N, R50W of the 5th P.M., Minnehaha County, S. Dak.;
Tract 32 in the N1/2 of NW1/4 of Section 34, T101N, R50W of the 5th P.M., Minnehaha County, S. Dak.;
Tract 33 in the N1/2 of NW1/4 of Section 34, T101N, R50W of the 5th P.M., Minnehaha County, S. Dak.;
Tract 34 in the N1/2 of NW1/4 of Section 34, T101N, R50W of the 5th P.M., Minnehaha County, S. Dak.;
Tract 35 in the N1/2 of NW1/4 of Section 34, T101N, R50W of the 5th P.M., Minnehaha County, S. Dak.;
Tract 36 in the N1/2 of NW1/4 of Section 34, T101N, R50W of the 5th P.M., Minnehaha County, S. Dak.;
Section 2. A portion of the cost and expense of the improvements shall be levied by special assessment upon the above-described property in accordance with Section 96.034 of the Code of Ordinances of Sioux Falls, SD, and SDCL Chapter 9-43. Subject to exceptions described in City ordinance, the improvements shall be assessed upon the above-described property abutting upon the same in proportion to the number of front feet fronting or abutting, as provided by law.
Section 3. Notice. The City may waive or reduce special assessments levied against owner-occupied single-family dwellings where the head of the household is 65 years of age or older, or is disabled, or where the annual household income is less than $10,000. In order to qualify and be eligible for the waiving or reduction of such special assessments, you must make application on forms provided at the City of Sioux Falls Planning and Development Services, 231 N. Dakota Ave., P.O. Box 7402, Sioux Falls, SD 57117-7402, or call 367-8888, prior to the date of the ‘Final Levy of the Assessment Roll’ before the Sioux Falls City Council. Failure to make proper written application prior to this date will disqualify you from being eligible for waiving or reduction of the special assessment.
Section 4. The assessment may be paid in equal annual installments. If not paid within 30 days after the assessment roll has been filed in the City Accounting Office, the assessment or any installment shall be collected with interest in accordance with the procedure provided by SDCL 9-43-89.
Interest on the assessment or installment will be charged and collected in accordance with law. The rate to be charged will be set by the City Council in the year of assessment.
Section 5. Based on the number of feet fronting or abutting 42nd Street. The estimated cost for each parcel is as follows:
- Estimated at $170 per front foot
Section 6. The assessment will be levied on the above-described property pursuant to Section 96.034 of the Code of Ordinances of Sioux Falls, SD.
Section 7. A copy of the resolution will be recorded at the Register of Deeds Office, Minnehaha County, SD, as a notice to all potential or actual future landowners, of present or future assessment payments on said property.
Date adopted: 01/06/26.
Paul TenHaken, Mayor
ATTEST:
Jermery J. Washington,
City Clerk
Published once on Jan. 9, 2026, at the approximate cost of $69.56, and may be viewed free of charge at www.sdpublicnotices.com or TheDakotaScout.com.
-
PUBLISH: Jan. 9, 2026
RESOLUTION NO. 4-26
A RESOLUTION OF THE CITY OF SIOUX FALLS APPROVING THE PRELIMINARY PLAN OF GEMINI ADDITION.
BE IT RESOLVED BY THE CITY OF SIOUX FALLS, SD:
Section 1. That the preliminary plan of Gemini’s Addition to the City of Sioux Falls, Minnehaha County, SD, is hereby approved with the below condition, and the City Clerk of the City of Sioux Falls is hereby directed to endorse on such plan a copy of this resolution and certify the same thereon.
Section 2. The above-described subdivision shall adhere to the following condition.
1. Any proposed data center will be limited to domestic water usage determined by meter size.
Date adopted: 01/06/26 .
Paul TenHaken, Mayor
ATTEST:
Jermery J. Washington,
City Clerk
Published once on Jan. 9, 2026, at the approximate cost of $11.27, and may be viewed free of charge at www.sdpublicnotices.com or TheDakotaScout.com.
-
PUBLISH: Jan. 9, 2026
RESOLUTION NO. 5-26
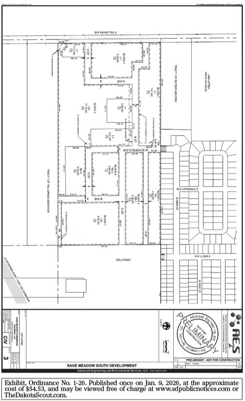
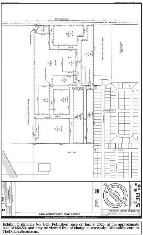
A RESOLUTION OF THE CITY OF SIOUX FALLS APPROVING THE PRELIMINARY PLAN OF SAGE MEADOWS ADDITION.
BE IT RESOLVED BY THE CITY OF SIOUX FALLS, SD:
That the preliminary plan of Sage Meadow’s Addition to the City of Sioux Falls, Lincoln County, SD, is hereby approved, and the City Clerk of the City of Sioux Falls is hereby directed to endorse on such plan a copy of this resolution and certify the same thereon.
Date adopted: 01/06/26.
Paul TenHaken, Mayor
ATTEST:
Jermery J. Washington,
City Clerk
Published once on Jan. 9, 2026, at the approximate cost of $8.70, and may be viewed free of charge at www.sdpublicnotices.com or TheDakotaScout.com.
-
PUBLISH: Jan. 9, 2026
RESOLUTION NO. 6-26
RESOLUTION ADVISING AND GIVING CONSENT TO THE APPOINTMENT OF MEMBERS TO CERTAIN CITIZEN BOARDS.
BE IT RESOLVED BY THE CITY OF SIOUX FALLS, SD:
That it gives its advice and consent to the following Mayoral appointments:
Name
Angela Schoffelman
Board
Parks and Recreation Board
Term
Appointed for a term from January 2026 to January 2031.
Date adopted: 01/06/26.
Paul TenHaken, Mayor
ATTEST:
Jermery J. Washington,
City Clerk
Published once on Jan. 9, 2026, at the approximate cost of $9.34, and may be viewed free of charge at www.sdpublicnotices.com or TheDakotaScout.com.
-
PUBLISH: Jan. 9, 2026
RESOLUTION NO. 7-26
A RESOLUTION ADVISING AND GIVING CONSENT TO THE APPOINTMENT OF VERNON BROWN TO THE SOUTH EASTERN COUNCIL OF GOVERNMENTS (SECOG).
BE IT RESOLVED BY THE CITY OF SIOUX FALLS, SD:
That it gives its advice and consent to the following City Council appointments:
Name
Vernon Brown
Board
SECOG
Term
Appointed for a term to expire June 30, 2026.
Date adopted: 01/06/26.
Paul TenHaken, Mayor
ATTEST:
Jermery J. Washington,
City Clerk
Published once on Jan. 9, 2026, at the approximate cost of $9.66, and may be viewed free of charge at www.sdpublicnotices.com or TheDakotaScout.com.
-
PUBLISH: Jan. 9, 2026
ORDINANCE NO. 1-26
AN ORDINANCE OF THE CITY OF SIOUX FALLS, SD, REZONING PROPERTY LOCATED SOUTH OF W. 85TH ST. AND EAST OF S. TALLGRASS AVE. FROM THE AG AGRICULTURE DISTRICT TO THE CN CONSERVATION, RS SINGLE-FAMILY RESIDENTIAL—SUBURBAN, RD-1 TWIN HOME/DUPLEX RESIDENTIAL—SUBURBAN, RA-3 APARTMENT RESIDENTIAL—HIGH, LW LIVE-WORK, AND I-1 LIGHT INDUSTRIAL DISTRICTS, NO. 021954-2025, AND AMENDING THE OFFICIAL ZONING MAP OF THE CITY OF SIOUX FALLS.
BE IT ORDAINED BY THE CITY OF SIOUX FALLS, SD:
A portion of the N1/2 of the SW1/4, Section 20-T100N-R50W, As Shown by Exhibit, City of Sioux Falls, Lincoln County, SD, is hereby rezoned from the AG Agriculture District to the CN Conservation, RS Single-Family Residential—Suburban, RD-1 Twin Home/Duplex Residential—Suburban, RA-3 Apartment Residential—High, LW Live-Work, and I-1 Light Industrial Districts and the official zoning map of the City of Sioux Falls is amended to include the rezoning.
Date adopted: 01/06/26.
Paul TenHaken, Mayor
ATTEST:
Jermery J. Washington,
City Clerk
Published once on Jan. 9, 2026, at the approximate cost of $19.32, and may be viewed free of charge at www.sdpublicnotices.com or TheDakotaScout.com.
-
PUBLISH: Jan. 9, 2026
-
PUBLISH: Jan. 9, 2026
ORDINANCE NO. 2-26
AN ORDINANCE OF THE CITY OF SIOUX FALLS, SD, REZONING PROPERTY LOCATED AT 2011 W. 26TH ST. FROM THE RD-1 TWIN HOME/DUPLEX RESIDENTIAL—SUBURBAN DISTRICT TO THE C-2 COMMERCIAL—NEIGHBORHOOD AND THE STREETCAR DISTRICT NO. 021983-2025, AND AMENDING THE OFFICIAL ZONING MAP OF THE CITY OF SIOUX FALLS.
BE IT ORDAINED BY THE CITY OF SIOUX FALLS, SD:
The North 17’ of Lot 12, All of Lots 13-16 (Except Lot H-1), and Lots 1-4, Block 4 Weston’s 1st Addition, City of Sioux Falls, Minnehaha County, SD, is hereby rezoned from the RD-1 Twin Home/Duplex Residential—Suburban District to the C-2 Commercial—Neighborhood and Streetcar District and the official zoning map of the City of Sioux Falls is amended to include the rezoning.
Date adopted: 01/06/26.
Paul TenHaken, Mayor
ATTEST:
Jermery J. Washington,
City Clerk
Published once on Jan. 9, 2026, at the approximate cost of $12.88, and may be viewed free of charge at www.sdpublicnotices.com or TheDakotaScout.com.
-
PUBLISH: Jan. 9, 2026
ORDINANCE NO. 3-26
AN ORDINANCE OF THE CITY OF SIOUX FALLS, SD, REZONING PROPERTY LOCATED AT 2008 W. 33RD ST. FROM THE RS SINGLE-FAMILY RESIDENTIAL—SUBURBAN DISTRICT TO THE O OFFICE DISTRICT, NO. 022017-2025, AND AMENDING THE OFFICIAL ZONING MAP OF THE CITY OF SIOUX FALLS.
BE IT ORDAINED BY THE CITY OF SIOUX FALLS, SD:
Lot 8A, Block 21, Pettigrew & Tates 4th Addition, City of Sioux Falls, Minnehaha County, SD hereby rezoned from the RS Single-Family Residential—Suburban District to the O Office District and the official zoning map of the City of Sioux Falls is amended to include the rezoning.
Date adopted: 01/06/26.
Paul TenHaken, Mayor
ATTEST:
Jermery J. Washington,
City Clerk
Published once on Jan. 9, 2026, at the approximate cost of $11.27, and may be viewed free of charge at www.sdpublicnotices.com or TheDakotaScout.com.
-
PUBLISH: Jan. 9, 2026
ORDINANCE NO. 4-26
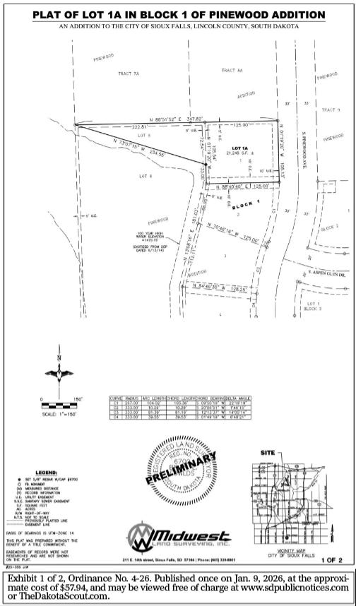
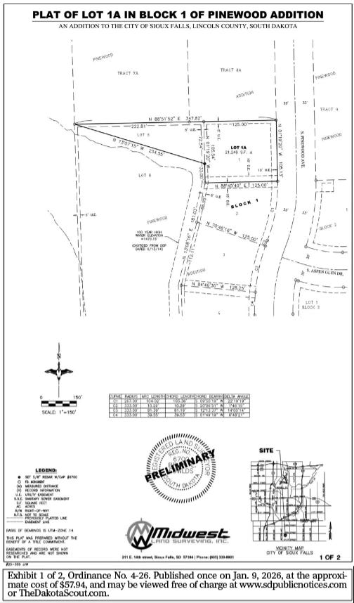
AN ORDINANCE OF THE CITY OF SIOUX FALLS, SD, REZONING PROPERTY LOCATED AT 7809 S. PINEWOOD AVE. FROM THE CN CONSERVATION DISTRICT TO THE RS SINGLE-FAMILY RESIDENTIAL—SUBURBAN DISTRICT, NO. 022046-2025, AND AMENDING THE OFFICIAL ZONING MAP OF THE CITY OF SIOUX FALLS.
BE IT ORDAINED BY THE CITY OF SIOUX FALLS, SD:
A portion of Lot 8, Block 1, Pinewood Addition, As Shown by Exhibit, City of Sioux Falls, Lincoln County, SD, is hereby rezoned from the CN Conservation District to the RS Single-Family Residential—Suburban District, and the official zoning map of the City of Sioux Falls is amended to include the rezoning.
Date adopted: 01/06/26 .
Paul TenHaken, Mayor
ATTEST:
Jermery J. Washington,
City Clerk
Published once on Jan. 9, 2026, at the approximate cost of $11.60, and may be viewed free of charge at www.sdpublicnotices.com or TheDakotaScout.com.
-
PUBLISH: Jan. 9, 2026
-
PUBLISH: Jan. 9, 2026
-
PUBLISH: Jan. 9, 2026
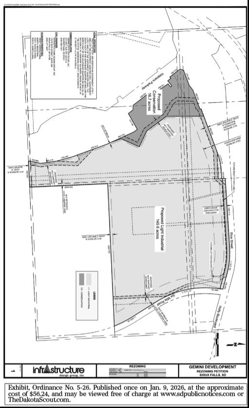
ORDINANCE NO. 5-26
AN ORDINANCE OF THE CITY OF SIOUX FALLS, SD, REZONING PROPERTY LOCATED SOUTH OF E. RICE ST. AND EAST OF VETERANS PKWY FROM THE AG AGRICULTURE DISTRICT TO THE CN CONSERVATION AND I-1 LIGHT INDUSTRIAL DISTRICT, NO. 022049-2025, AND AMENDING THE OFFICIAL ZONING MAP OF THE CITY OF SIOUX FALLS.
BE IT ORDAINED BY THE CITY OF SIOUX FALLS, SD:
Section 1. A Portion of Tract 2, NSP 2nd Addition in Government Lots 1 and 2 in the SW1/4 and Government Lots 1 and 2 in the NW1/4, and the S1/2 of the NE1/4, and the N1/2 of the SE1/4, As Shown by Exhibit, Section 31-T102N-R48W, City of Sioux Falls, Minnehaha County, SD is hereby rezoned from the AG Agriculture District to the CN Conservation and I-1 Light Industrial District and the official zoning map of the official zoning map of the City of Sioux Falls is amended to include the rezoning.
Section 2. The above-described property shall adhere to the following conditions.
1. That the minimum setback shall be 45’ with a level D buffer yard from the south property line;
2. That the minimum setback shall be 50’ with a level D buffer yard along E. Rice St. for all accessory structures;
3. That the minimum setback shall be 200’ with a level D buffer yard for E. Rice St. for any primary structure;
4. That a minimum setback shall be 200’ with a level D buffer yard for all structures and parking lots along N. Six Mile Rd.;
5. That an alternative landscape plan shall be required to be approved by the Planning Commission prior to the issuance of a building permit;
6. That all exterior mechanical yards and equipment storage yards shall be oriented toward the interior of the site or screened from the right of way with a minimum of a 12’ berm or wall.
Date adopted: 01/06/26.
Paul TenHaken, Mayor
ATTEST:
Jermery J. Washington,
City Clerk
Published once on Jan. 9, 2026, at the approximate cost of $24.48, and may be viewed free of charge at www.sdpublicnotices.com or TheDakotaScout.com.
-
PUBLISH: Jan. 9, 2026
-
PUBLISH: Jan. 9 & Jan. 16, 2026
BID REQUEST NO.: 26-1049
NOTICE TO BIDDERS
The City of Sioux Falls, SD, requests formal bids for 2026 Inlet Rehabilitation.
To participate, you must be registered as a vendor on the e-procurement portal. Register at siouxfalls.bonfirehub.com by selecting “New Vendor Registration” next to the login tab. After you have registered, navigate to the Open Public Opportunities tab to view this invitation for bid. Bids will be electronically submitted through the e-procurement portal and will be received by the portal not later than 2 p.m., Central time, January 29, 2026. Bids will be publicly opened and read at 3 p.m., Central time, City Hall, 224 W. 9th St., Sioux Falls, SD 57104. You may watch the bid opening virtually via Webex by utilizing information and links located at www.siouxfalls.gov/business-permits/bids-procurement/purchasing-bid-opening.
It is the bidder’s responsibility to check the e-procurement portal for any changes or updates to the Invitation to Bid, which will be in the form of an addendum posted to the portal.
Telegraphic, fax, email, and hand-delivered responses will not be accepted unless specifically authorized in the terms and conditions of the Invitation to Bid.
The City of Sioux Falls reserves the right to reject any or all bids, waive technicalities, and make award(s) as deemed to be in the best interest of Sioux Falls, SD.
Published twice on Jan. 9 & Jan. 16, 2026, at the approximate cost of $32.49, and may be viewed free of charge at www.sdpublicnotices.com or TheDakotaScout.com.
-
PUBLISH: Jan. 9 & Jan. 16, 2026
BID REQUEST NO.: 26-1046
NOTICE TO BIDDERS
The City of Sioux Falls, SD, requests formal bids for Event Center Building Improvements – High Efficiency Boiler Replacement.
To participate, you must be registered as a vendor on the e-procurement portal. Register at siouxfalls.bonfirehub.com by selecting “New Vendor Registration” next to the login tab. After you have registered, navigate to the Open Public Opportunities tab to view this invitation for bid. Bids will be electronically submitted through the e-procurement portal and will be received by the portal not later than 2 p.m., Central time, January 29, 2026. Bids will be publicly opened and read at 3 p.m., Central time, City Hall, 224 W. 9th St., Sioux Falls, SD 57104. You may watch the bid opening virtually via Webex by utilizing information and links located at www.siouxfalls.gov/business-permits/bids-procurement/purchasing-bid-opening.
A Pre-Bid meeting will be held on January 21, 2026, at 10 AM. The meet will take place at the Denny Sanford Premier Center, 1021 N. West Avenue, Sioux Falls, SD. Interested bidders shall meet in the KELOLAND Box Office Lobby. Attendance is encouraged but is not a mandatory prerequisite to submitting a bid.
It is the bidder’s responsibility to check the e-procurement portal for any changes or updates to the Invitation to Bid, which will be in the form of an addendum posted to the portal.
Telegraphic, fax, email, and hand-delivered responses will not be accepted unless specifically authorized in the terms and conditions of the Invitation to Bid.
The City of Sioux Falls reserves the right to reject any or all bids, waive technicalities, and make award(s) as deemed to be in the best interest of Sioux Falls, SD.
Published twice on Jan. 9 & Jan. 16, 2026, at the approximate cost of $40.03, and may be viewed free of charge at www.sdpublicnotices.com or TheDakotaScout.com.
-
PUBLISH: Jan. 9 & Jan. 16, 2026
BID REQUEST NO.: 26-1026
NOTICE TO BIDDERS
The City of Sioux Falls, SD, requests formal bids for Water Reclamation Facility Expansion: Dewatering, Gravity Thickener & Chemical Building Improvements.
To participate, you must be registered as a vendor on the e-procurement portal. Register at siouxfalls.bonfirehub.com by selecting “New Vendor Registration” next to the login tab. After you have registered, navigate to the Open Public Opportunities tab to view this invitation for bid. Bids will be electronically submitted through the e-procurement portal and will be received by the portal not later than 2 p.m., Central time, February 5, 2026. Bids will be publicly opened and read at 3 p.m., Central time, City Hall, 224 W. 9th St., Sioux Falls, SD 57104. You may watch the bid opening virtually via Webex by utilizing information and links located at www.siouxfalls.gov/business-permits/bids-procurement/purchasing-bid-opening.
A Pre-Bid meeting will be held on January 29, 2026, at 10 AM. The meeting will take place at the Water Reclamation Facility Administration Building, 4500 N. Sycamore Avenue, Sioux Falls, SD.
It is the bidder’s responsibility to check the e-procurement portal for any changes or updates to the Invitation to Bid, which will be in the form of an addendum posted to the portal.
Telegraphic, fax, email, and hand-delivered responses will not be accepted unless specifically authorized in the terms and conditions of the Invitation to Bid.
The City of Sioux Falls reserves the right to reject any or all bids, waive technicalities, and make award(s) as deemed to be in the best interest of Sioux Falls, SD.
Federal financial assistance will be used to fund all or a portion of the contract. The contractor will comply with all applicable Federal laws, regulations, executive orders, Federal policies, procedures, and directives including, but not limited to 2 CFR
§§200.318-200.327.
The City of Sioux Falls has adopted a Disadvantaged Business Enterprise Plan. This Plan expresses the commitment of the City of Sioux Falls that disadvantaged business enterprises have the maximum opportunity to compete for and perform federally assisted contracts and subcontracts.
The City of Sioux Falls has available the latest Disadvantaged Business Enterprise directory in the Finance Department to facilitate identifying those certified disadvantaged business enterprises within the state of South Dakota.
Bidders for this work will be required to comply with the President’s Executive Order Nos. 11246 as amended, 11518 and 11625 as amended. The requirements for bidders and contractors under these orders are explained in the specifications.
Bidders on this work will be required to comply with Title 40 CFR 33 and Executive Order 12138. The requirements for bidders and contractors under this regulation which concerns utilization of Disadvantaged/Minority Business Enterprises (DBE/MBE) and Women’s Business Enterprises (WBE) are explained in the specifications. The DBE/MBE and WBE goals for participation in this contract in terms of percentage of contract value are as follows: MBE 1.0 percent; WBE 4.0 percent.
Davis Bacon and Related Acts wages apply to this project. All provisions relative to those Acts must be met.
All bidders must be registered in the System for Award Management (SAM.gov), provide their Unique Entity Id (UEI), and have an active status.
To be considered a responsive bidder, the bidder must certify to compliance with the American Iron and Steel provision of the Consolidated Appropriations Act of 2014. This certification form may be found on page AIS-21 of the State Revolving Fund (SRF) General Conditions and must be included in the bid proposal.
Please be advised that waivers or exemptions from the American Iron and Steel provision that cite International Trade Agreements DO NOT comply with the Consolidated Appropriations Act of 2014 as it applies to the SRF programs. Claims from suppliers that the American Iron and Steel provision do not apply to certain products based on the International Trade Agreement exemptions of the Consolidated Appropriations Act of 2014 will not be accepted.
The low responsive bidder must assure compliance with the requirements of Public Law 115-232, Section 889, Prohibition on Certain Telecommunications and Video Surveillance Services or Equipment. Contractors must assure that telecommunications equipment produced by Huawei Technologies Company or ZTE Corporation (or any subsidiary or affiliate of such entities), and video surveillance and telecommunications equipment produced by Hytera Communications Corporation, Hangzhou Hikvision Digital Technology Company, or Dahua Technology Company (or any subsidiary or affiliate of such entities) WILL NOT be supplied for the project.
Your special attention is invited to the attached Bidders Activity Report (BAR), Forms A and B, and Debar-2 form. The BAR form must be completed and submitted with your bid proposal, along with either Form A or Form B, and Debar 2 form. Failure to submit the Form BAR, appropriate form A or B, and Debar 2 form will cause the bid to be rejected. Completion of the Bidders Activity Report is necessary in order to fulfill the requirements of obtaining a complete list of contractors contacted with regard to this project, in accordance with 49 CFR 26.11c. Statistical information used from the Bidders Activity Report will be used in the calculation of the next year’s DBE goals. By completing Form A, you are advising the City how the contract goal will be met. In the event you believe you will be unable to meet the goals, the attached Form B must be completed and submitted with the Bid Proposal. Please be advised that good-faith efforts will be subjected to close scrutiny and if the good-faith effort submission is unacceptable, your bid will be rejected.
Published twice on Jan. 9 & Jan. 16, 2026, at the approximate cost of $124.70, and may be viewed free of charge at www.sdpublicnotices.com or TheDakotaScout.com.
-
PUBLISH: Jan. 9 & Jan. 16, 2026
BID REQUEST NO.: 26-1017
NOTICE TO BIDDERS
The City of Sioux Falls, SD, requests formal bids for Concrete Repairs for 2026 Overlay Program Project 2 – Various Locations.
To participate, you must be registered as a vendor on the e-procurement portal. Register at siouxfalls.bonfirehub.com by selecting “New Vendor Registration” next to the login tab. After you have registered, navigate to the Open Public Opportunities tab to view this invitation for bid. Bids will be electronically submitted through the e-procurement portal and will be received by the portal not later than 2 p.m., Central time, January 29, 2026. Bids will be publicly opened and read at 3 p.m., Central time, City Hall, 224 W. 9th St., Sioux Falls, SD 57104. You may watch the bid opening virtually via Webex by utilizing information and links located at www.siouxfalls.gov/business-permits/bids-procurement/purchasing-bid-opening.
It is the bidder’s responsibility to check the e-procurement portal for any changes or updates to the Invitation to Bid, which will be in the form of an addendum posted to the portal.
Telegraphic, fax, email, and hand-delivered responses will not be accepted unless specifically authorized in the terms and conditions of the Invitation to Bid.
The City of Sioux Falls reserves the right to reject any or all bids, waive technicalities, and make award(s) as deemed to be in the best interest of Sioux Falls, SD.
Published twice on Jan. 9 & Jan. 16, 2026, at the approximate cost of $33.65, and may be viewed free of charge at www.sdpublicnotices.com or TheDakotaScout.com.
-
PUBLISH: Jan. 9 & Jan. 16, 2026
BID REQUEST NO.: 26-1005
NOTICE TO BIDDERS
The City of Sioux Falls, SD, requests formal bids for Sioux Falls Water Purification Plant Lime Transfer System Electrical & Control Improvements.
To participate, you must be registered as a vendor on the e-procurement portal. Register at siouxfalls.bonfirehub.com by selecting “New Vendor Registration” next to the login tab. After you have registered, navigate to the Open Public Opportunities tab to view this invitation for bid. Bids will be electronically submitted through the e-procurement portal and will be received by the portal not later than 2 p.m., Central time, January 29, 2026. Bids will be publicly opened and read at 3 p.m., Central time, City Hall, 224 W. 9th St., Sioux Falls, SD 57104. You may watch the bid opening virtually via Webex by utilizing information and links located at www.siouxfalls.gov/business-permits/bids-procurement/purchasing-bid-opening.
A Pre-Bid meeting will be held on January 20, 2026, at 2 PM. The meeting will take place at the Water Purification Plant, 2100 N. Minnesota Avenue, Sioux Falls, SD.
It is the bidder’s responsibility to check the e-procurement portal for any changes or updates to the Invitation to Bid, which will be in the form of an addendum posted to the portal.
Telegraphic, fax, email, and hand-delivered responses will not be accepted unless specifically authorized in the terms and conditions of the Invitation to Bid.
The City of Sioux Falls reserves the right to reject any or all bids, waive technicalities, and make award(s) as deemed to be in the best interest of Sioux Falls, SD.
Published twice on Jan. 9 & Jan. 16, 2026, at the approximate cost of $37.13, and may be viewed free of charge at www.sdpublicnotices.com or TheDakotaScout.com.
-
PUBLISH: Jan. 2 & Jan. 9, 2026
BID REQUEST NO.: 26-1016
NOTICE TO BIDDERS
The City of Sioux Falls, SD, requests formal bids for Concrete Repairs for 2026 Overlay Program Project 1 – Various Locations.
To participate, you must be registered as a vendor on the e-procurement portal. Register at siouxfalls.bonfirehub.com by selecting “New Vendor Registration” next to the login tab. After you have registered, navigate to the Open Public Opportunities tab to view this invitation for bid. Bids will be electronically submitted through the e-procurement portal and will be received by the portal not later than 2 p.m., Central time, January 22, 2026. Bids will be publicly opened and read at 3 p.m., Central time, City Hall, 224 W. 9th St., Sioux Falls, SD 57104. You may watch the bid opening virtually via Webex by utilizing information and links located at www.siouxfalls.gov/business-permits/bids-procurement/purchasing-bid-opening.
It is the bidder’s responsibility to check the e-procurement portal for any changes or updates to the Invitation to Bid, which will be in the form of an addendum posted to the portal.
Telegraphic, fax, email, and hand-delivered responses will not be accepted unless specifically authorized in the terms and conditions of the Invitation to Bid.
The City of Sioux Falls reserves the right to reject any or all bids, waive technicalities, and make award(s) as deemed to be in the best interest of Sioux Falls, SD.
Published twice on Jan. 2 & Jan. 9, 2026, at the approximate cost of $32.49, and may be viewed free of charge at www.sdpublicnotices.com or TheDakotaScout.com.
-
PUBLISH: Jan. 2 & Jan. 9, 2026
BID REQUEST NO.: 26-1015
NOTICE TO BIDDERS
The City of Sioux Falls, SD, requests formal bids for Veterans Parkway – Pavement Marking Improvements.
To participate, you must be registered as a vendor on the e-procurement portal. Register at siouxfalls.bonfirehub.com by selecting “New Vendor Registration” next to the login tab. After you have registered, navigate to the Open Public Opportunities tab to view this invitation for bid. Bids will be electronically submitted through the e-procurement portal and will be received by the portal not later than 2 p.m., Central time, January 22, 2026. Bids will be publicly opened and read at 3 p.m., Central time, City Hall, 224 W. 9th St., Sioux Falls, SD 57104. You may watch the bid opening virtually via Webex by utilizing information and links located at www.siouxfalls.gov/business-permits/bids-procurement/purchasing-bid-opening.
It is the bidder’s responsibility to check the e-procurement portal for any changes or updates to the Invitation to Bid, which will be in the form of an addendum posted to the portal.
Telegraphic, fax, email, and hand-delivered responses will not be accepted unless specifically authorized in the terms and conditions of the Invitation to Bid.
The City of Sioux Falls reserves the right to reject any or all bids, waive technicalities, and make award(s) as deemed to be in the best interest of Sioux Falls, SD.
Published twice on Jan. 2 & Jan. 9, 2026, at the approximate cost of $31.90, and may be viewed free of charge at www.sdpublicnotices.com or TheDakotaScout.com.
-
PUBLISH: Jan. 2 & Jan. 9, 2026
BID REQUEST NO.: 26-1013A
NOTICE TO BIDDERS
The City of Sioux Falls, SD, requests formal bids for Sioux Falls Convention Center Roof Drain Repair - REBID.
To participate, you must be registered as a vendor on the e-procurement portal. Register at siouxfalls.bonfirehub.com by selecting “New Vendor Registration” next to the login tab. After you have registered, navigate to the Open Public Opportunities tab to view this invitation for bid. Bids will be electronically submitted through the e-procurement portal and will be received by the portal not later than 2 p.m., Central time, January 15, 2026. Bids will be publicly opened and read at 3 p.m., Central time, City Hall, 224 W. 9th St., Sioux Falls, SD 57104. You may watch the bid opening virtually via Webex by utilizing information and links located at www.siouxfalls.gov/business-permits/bids-procurement/purchasing-bid-opening.
It is the bidder’s responsibility to check the e-procurement portal for any changes or updates to the Invitation to Bid, which will be in the form of an addendum posted to the portal.
Telegraphic, fax, email, and hand-delivered responses will not be accepted unless specifically authorized in the terms and conditions of the Invitation to Bid.
The City of Sioux Falls reserves the right to reject any or all bids, waive technicalities, and make award(s) as deemed to be in the best interest of Sioux Falls, SD.
Published twice on Jan. 2 & Jan. 9, 2026, at the approximate cost of $33.07, and may be viewed free of charge at www.sdpublicnotices.com or TheDakotaScout.com.
-
PUBLISH: Jan. 2 & Jan. 9, 2026
BID REQUEST NO.: 26-1007
NOTICE TO BIDDERS
The City of Sioux Falls, SD, requests formal bids for Minnesota Avenue Phase 2 – 2nd Street to 7th Street.
To participate, you must be registered as a vendor on the e-procurement portal. Register at siouxfalls.bonfirehub.com by selecting “New Vendor Registration” next to the login tab. After you have registered, navigate to the Open Public Opportunities tab to view this invitation for bid. Bids will be electronically submitted through the e-procurement portal and will be received by the portal not later than 2 p.m., Central time, January 22, 2026. Bids will be publicly opened and read at 3 p.m., Central time, City Hall, 224 W. 9th St., Sioux Falls, SD 57104. You may watch the bid opening virtually via Webex by utilizing information and links located at www.siouxfalls.gov/business-permits/bids-procurement/purchasing-bid-opening.
It is the bidder’s responsibility to check the e-procurement portal for any changes or updates to the Invitation to Bid, which will be in the form of an addendum posted to the portal.
Telegraphic, fax, email, and hand-delivered responses will not be accepted unless specifically authorized in the terms and conditions of the Invitation to Bid.
The City of Sioux Falls reserves the right to reject any or all bids, waive technicalities, and make award(s) as deemed to be in the best interest of Sioux Falls, SD.
Published twice on Jan. 2 & Jan. 9, 2026, at the approximate cost of $33.07, and may be viewed free of charge at www.sdpublicnotices.com or TheDakotaScout.com.
-
PUBLISH: Jan. 2 & Jan. 9, 2026
BID REQUEST NO.: 26-1006
NOTICE TO BIDDERS
The City of Sioux Falls, SD, requests formal bids for 57th Street Water Tower Reconditioning.
To participate, you must be registered as a vendor on the e-procurement portal. Register at siouxfalls.bonfirehub.com by selecting “New Vendor Registration” next to the login tab. After you have registered, navigate to the Open Public Opportunities tab to view this invitation for bid. Bids will be electronically submitted through the e-procurement portal and will be received by the portal not later than 2 p.m., Central time, January 22, 2026. Bids will be publicly opened and read at 3 p.m., Central time, City Hall, 224 W. 9th St., Sioux Falls, SD 57104. You may watch the bid opening virtually via Webex by utilizing information and links located at www.siouxfalls.gov/business-permits/bids-procurement/purchasing-bid-opening.
A mandatory Pre-Bid Conference Call will be held at 1:30 PM, on January 14, 2026. The purpose of this meeting is to discuss the scope of the project with the Owner’s representatives, Engineer & prospective bidders. An on-site visit can be arranged for bidders by contacting the Engineer. This meeting is a mandatory pre-requisite to submitting a bid. Interested bidders shall call 1-612-351-3093 and use Access Code 434056 to join the call.
It is the bidder’s responsibility to check the e-procurement portal for any changes or updates to the Invitation to Bid, which will be in the form of an addendum posted to the portal.
Telegraphic, fax, email, and hand-delivered responses will not be accepted unless specifically authorized in the terms and conditions of the Invitation to Bid.
The City of Sioux Falls reserves the right to reject any or all bids, waive technicalities, and make award(s) as deemed to be in the best interest of Sioux Falls, SD.
Published twice on Jan. 2 & Jan. 9, 2026, at the approximate cost of $42.35, and may be viewed free of charge at www.sdpublicnotices.com or TheDakotaScout.com.
-
PUBLISH: Jan. 2 & Jan. 9, 2026
BID REQUEST NO. 26-0017
NOTICE TO BIDDERS
The City of Sioux Falls, SD, requests formal bids for Smoke Alarms and Combination Smoke Alarm Carbon Monoxide Detectors..
To participate, you must be registered as a vendor in the e-procurement portal. Register at the e-procurement portal by selecting “Register” next to the login tab. After you have registered, navigate to the Open Public Opportunities tab to view this invitation for bid. Bids will be electronically submitted through the e-procurement portal and will be received by the portal not later than 2 p.m., Central time, January 15, 2026. Immediately thereafter, the bids will be publicly opened and read at 3 p.m., Central time, City Hall, 224 W. 9th St., Sioux Falls, SD 57104. You may watch the bid opening virtually via Webex by utilizing information and links located at www.siouxfalls.gov/purchasing.
It is the vendor’s responsibility to check the e-procurement portal for any changes or updates to the invitation for bid, which will be in the form of an addendum posted to the e-procurement portal.
Telegraphic, fax, email, and hand-delivered responses will not be accepted unless specifically authorized in the terms and conditions of the solicitation.
The City of Sioux Falls reserves the right to reject any or all bids, waive technicalities, and make award(s) as deemed to be in the best interest of Sioux Falls, SD.
Published twice on Jan. 2 & Jan. 9, 2026, at the approximate cost of $32.49, and may be viewed free of charge at www.sdpublicnotices.com or TheDakotaScout.com.
SIOUX FALLS SCHOOL DISTRICT
PUBLISH: Jan. 9, 2026
NOTICE OF PUBLIC HEARING
WAIVER REQUESTS FOR EXEMPTION OF PLAN OF INTENT
Notice is hereby given that the School Board of the Sioux Falls School District 49-5 will conduct a public hearing on the exemption request for Administrative Rule 24:43:02:08 - Plan of Intent. The District is requesting a Plan of Intent waiver to allow teachers an additional year to finish the coursework and/or Praxis test requirements for certification in applicant shortage areas.
The School Board will hold the public hearing January 12,2026, at 5:30 p.m.
Todd Vik, Business Manager
SIOUX FALLS SCHOOL DISTRICT 49-5
Sioux Falls, South Dakota
Published once on Jan. 9, 2026, at the approximate cost of $9.66, and may be viewed free of charge at www.sdpublicnotices.com or TheDakotaScout.com.
MINNEHAHA COUNTY
PUBLISH: Jan. 9, 2026
THE MINNEHAHA COUNTY COMMISSION CONVENED
AT 9:00 AM on January 6, 2026, pursuant to adjournment on December 23, 2025. COMMISSIONERS PRESENT WERE: Beninga, Bleyenberg, Heisey, and Karsky. Commissioner Kippley was absent. Also present were Kym Christiansen, Commission Recorder, and Eric Bogue, Chief Civil Deputy State’s Attorney.
Chair Karsky called the meeting to order.
MOTION by Bleyenberg, seconded by Heisey, to Approve the Agenda. 4 ayes.
ELECTION OF 2026 CHAIR AND VICE CHAIR
2025 Commission Chair Karsky called for nominations for the 2026 Commission Chairperson. MOTION by Bleyenberg, seconded by Beninga, to Nominate Dean Karsky as Commission Chairperson for 2026. Roll Call Vote to Elect Dean Karsky as the 2026 Commission Chairperson. By roll call vote: 4 ayes.
Chair Karsky called for nominations for the 2026 Commission Vice-Chairperson. MOTION by Beninga, seconded by Heisey, to Nominate Jen Bleyenberg as Commission Vice-Chairperson for 2026. Roll Call Vote to Elect Jen Bleyenberg as the 2026 Commission Vice-Chairperson. By roll call vote: 4 ayes.
DESIGNATION OF OFFICIAL NEWSPAPERS
Meredith Jarchow, Assistant Commission Administrative Officer, was present to report on the proposals received from the Argus Leader, Brandon Valley Journal, Garretson Gazette, Minnehaha Messenger, and The Dakota Scout for designation as official newspapers. The proposal from Argus Leader includes a rate of $.30 per line and $.24 subsequent Pre-July 1 and $.306 per line and $.2448 subsequent Post-July 1. The proposal from the Brandon Valley Journal includes a rate of $.3195 per line for minutes and $.355 per line for other notices Pre-July 1 and $.33228 per line for minutes and $.3692 per line for other notices Post-July 1. The proposals from the Garretson Gazette and Minnehaha Messenger each include a rate of $.3258 per line for minutes and $.362 per line for other notices Pre-July 1 and $.33228 per line for minutes and $.3692 per line for other notices Post-July 1. The proposal from The Dakota Scout includes a rate of $.290 per line for minutes and $.322 per line for other notices Pre-July 1 and $.29376 per line for minutes and $.3264 per line for other notices Post-July 1. Garrick Moritz, Garretson Gazette Owner; Lisa Miller, New Century Press General Manager; and Jill Meier, Brandon Valley Journal Publisher/General Manager, were present and stated their appreciation for the consideration of their publications as official newspapers. MOTION by Beninga, seconded by Bleyenberg, to Designate the Brandon Valley Journal, Garretson Gazette, Minnehaha Messenger, and The Dakota Scout as the Official Newspapers for Minnehaha County in 2026. By roll call vote: 4 ayes.
RECORD OF NON-ELECTED DPEARTMENT HEADS
Upon the request of Tom Greco, Commission Administrative Officer, MOTION by Heisey, seconded by Bleyenberg, to Record the Following Individuals as Non-Elected Department Heads, as of January 1, 2026: Tom Greco-Commission Office; Chris Lilla-Equalization; Mark Kriens-Facilities; Jacob Maras-Highway; Carey Jo Deaver-Human Resources; Kari Benz-Human Services; Monte Watembach-Information Technology; Jamie Gravett-Juvenile Detention Center; Bill Hoskins-Museum; Scott Anderson-Planning & Zoning/Parks; Julie Hofer-Public Advocate; and Traci Smith-Public Defender. By roll call vote: 4 ayes.
CORONER APPOINTMENT
Upon the request of Meredith Jarchow, Assistant Commission Administrative Officer, MOTION by Bleyenberg, seconded by Heisey, to Authorize the Appointment of Dr. Kenneth S. Snell for Minnehaha County Coroner for 2026 and Approve Resolution MC26-01. By roll call vote: 4 ayes.
RESOLUTION MC26-01
AUTHORIZING THE APPOINTMENT OF THE MINNEHAHA COUNTY CORONER
WHEREAS, the Legislature of the State of South Dakota adopted SDCL § 7-7-1.4 which established that the board of county commissioners in a county may appoint, by resolution, a coroner who shall serve at the pleasure of the board; and
WHEREAS, the Minnehaha County Board of Commissioners previously appointed Dr. Kenneth S. Snell, a duly qualified medical pathologist, to perform the duties of the Minnehaha County Coroner and to serve in the capacity of Medical Examiner for a one-year term in 2025; and
WHEREAS, the Minnehaha County Board of Commissioners wish to re-appoint Dr. Snell in 2026 to satisfy the intent of the statutes for Coroner; and
NOW THEREFORE, BE IT RESOLVED, that the Minnehaha County Board of Commissioners herby appoint Dr. Kenneth S. Snell as Coroner for Minnehaha County for a one-year term beginning on January 1, 2026 and ending on December 31, 2026.
Dated this 6th day of January, 2026
APPROVED BY THE COMMISSION:
Dean Karsky
Commission Chair
ATTEST: Leah Anderson, Auditor
Kym Christiansen
Deputy Auditor
COMMISSIONER SALARY
Upon the request of Tom Greco, Commission Administrative Officer, MOTION by Heisey, seconded by Bleyenberg, to Elect a Salary and Approve Resolution MC26-02. By roll call vote: 4 ayes. Public Comment was received from Gary Meyer, Jean Childs, Penny BayBridge, and Jennifer Foss.
Resolution MC 26-02
A RESOLUTION ESTABLISHING 2026 ANNUAL SALARIES FOR MINNEHAHA COUNTY COMMISSIONERS
WHEREAS, during the first regular meeting of 2026 the Minnehaha County Board of Commissioners considered and approved the following action regarding Commission salaries pursuant to SDCL 7-7-5;
NOW THEREFORE, BE IT RESOLVED by the Minnehaha County Board of Commissioners that the following annual salaries for members of said Board are approved for 2026:
$40,268.80 for Commissioners who do not serve as either Chairperson or Vice-Chairperson;
$41,787.20 for the Chairperson;
$41,288.00 for the Vice-Chairperson.
Dated this 6th Day of January, 2026
APPROVED BY THE COMMISSION
Dean Karksy
CHAIRPERSON
ATTEST: Leah Anderson, Auditor
Kym Christiansen
Deputy Auditor
CONSENT AGENDA
MOTION by Beninga, seconded by Heisey, to Approve the Consent Agenda. By roll call vote: 4 ayes. The consent agenda includes the following items:
Commission Meeting Minutes for December 23, 2025
Bills to be Paid $2,861,450.47
1J HOMES LLC Sign Deposits $50, 3200 RUSSELL LLC Motels $1950, A TO Z WORLD LANGUAG Interpreters $150, A&B BUSINESS SOLUT Furniture & Office Equipment $3575, A&B BUSINESS SOLUT Lease-Rental Agreement $182.76, A&B BUSINESS SOLUT Maintenance Contracts $734.46, A&B BUSINESS SOLUT Office Supplies $36.95, AARON GEORGE PROPERT Welfare Rent $2098, ACCREDITATION AUDIT Subscriptions $150, AEGIS LLC Welfare Rent $700, AFFORDABLE HOUSING S Welfare Rent $400, AIRGAS USA LLC Small Tools & Shop Supplies $423.69, AIRWAY SERVICE INC Automotive/Small Equipment $863.37, AIRWAY SERVICE INC Gas Oil & Diesel $539.68, ALL NATIONS INTERPRE Interpreters $1859.35, ALPINE REAL ESTATE Welfare Rent $1000, AMAZON CAPITAL SERVI Furniture & Office Equipment $172.32, AMERICAN INK LLC Uniform Allowance $193.15, ANDERSON, AUBREY Business Travel $100.8, ANGEL, EDWARD P Attorney Fees $1956, APLAND CAPITAL Welfare Rent $1700, APPEARA Program Activities $226.75, ARCHITECTURE INC Administration Bldg $40000, AUTOMATIC BUILDING C Jail Repairs & Maintenance $252.04, AVERA MCKENNAN Hospitals $37621, AVERA MCKENNAN Other Medical Services $3812.65, AVERA MCKENNAN Professional Services $87.51, BALOUN LAW PC Child Defense Attorney $1173.3, BANGS,MCCULLEN,BUTLE Attorney Fees $3096, BECK, JEFFREY R Attorney Fees $381, BIERSCHBACH EQUIPMEN Automotive/Small Equipment $153.28, BOB BARKER COMPANY I Inmate Supplies $2184, BRANDON HEIGHTS II L Welfare Rent $400, BRICKSTONE LLC Welfare Rent $875, BRUCE SWAN Jury Fees $30.95, BUILDERS SUPPLY COMP Building Repairs & Maintenance $5311.2, BUILDERS SUPPLY COMP HHS Maintenance $261.83, BUILDERS SUPPLY COMP Jail Repairs & Maintenance $10, C & R SUPPLY INC Truck Repairs & Maintenance $9.6, CANFIELD BUSINESS IN Furniture & Office Equipment $16684.7, CDW GOVERNMENT Data Processing Supplies $1631.25, CENTURY BUSINESS PRO Maintenance Contracts $458.71, CENTURYLINK Data Communications $2132.7, CENTURYLINK LONG DIS Telephone $29.29, CHAGOLLA, ALBERT Interpreters $390, CHAKS LLC Welfare Rent $1000, CINTAS CORPORATION Janitorial Chemical Supplies $279.45, CINTAS CORPORATION Uniform Allowance $113.38, CLEAR LAKE TOWNSHIP Pipe & Culvert Inventory $2714.4, CONSTELLATION Natural Gas $21955.77, CORRECTIONAL MEDICAL Contract Services $357123.28, CRAFTMASTER HARDWARE Jail Repairs & Maintenance $674, DAKOTA AUTO PARTS Truck Repairs & Maintenance $542.04, DAKOTA FLUID POWER I Automotive/Small Equipment $26.37, DAKOTA FLUID POWER I Hwy Shop Repairs & Maintenance $1195.01, DAKOTA RIDGE Welfare Rent $500, DAKOTA TOOL & SHARPE Program Activities $136.45, DATA SYSTEMS INC Maintenance Contracts $4000, DECASTRO LAW OFFICE Attorney Fees $25254.5, DERHAGOPIAN LAW PROF Attorney Fees $2208, DOCKENDORF EQUIPMENT Outside Repair $295, DOUGLAS DYNAMICS INC Parts Inventory $1070.2, DREXLER, RUSSELL Uniform Allowance $498.84, DUST TEX SERVICE INC Janitorial Chemical Supplies $43.59, DYNAMIC SERVICES LLC Professional Services $3100, DYNAMIC SERVICES LLC Welfare Rent $1000, EAST RIVER PSYCHOLOG Psych Evals $2500, ED STIVERS FORD INC Automobiles $144846, EICH LAW OFFICE LLC Attorney Fees $1668, FALL LINE FORENSICS Expert Witness Fees & Expenses $6975, FALLS VIEW Welfare Rent $509.03, FASTENAL COMPANY Sign Supply Inventory $59.15, FASTENAL COMPANY Small Tools & Shop Supplies $1149.91, FIRST DAKOTA NATIONA Lease Interest $122.19, FIRST DAKOTA NATIONA Lease Principal $3931.83, FLATS AT PRAIRIE Welfare Rent $700, FRISBEES PLBG HVAC E Heat, Vent & AC Repairs $514.86, G & R CONTROLS INC Museum Renovations $1302, GALLS PARENT HOLDING Uniform Allowance $335.75, GEOTEK ENGINEERING & Architects & Engineers $3088.75, GIBSON, DANIEL Welfare Rent $625, GOLDEN WEST Telephone $63.95, GOVEXEC HOLDINGS LLC Education & Training $1000, GOVEXEC HOLDINGS LLC Professional Services $5000, GRAHAM TIRE CO NORTH Automotive/Small Equipment $552, GRAINGER Heat, Vent & AC Repairs $310.88, GRAINGER Sign Supply Inventory $715.04, GUZMAN, SANDRA V Interpreters $90, HALCYON PROPERTIES Welfare Rent $500, HANSON TOWNHOUSE LLC Welfare Rent $700, HATTERVIG, CLAIR Uniform Allowance $15.01, HIGH POINT NETWORKS Software $2451, HIGH POINT NETWORKS Subscriptions $12.66, HILLVIEW APARTMENTS Welfare Rent $1600, HOFFMAN, DUSTIN Welfare Rent $900, HORIZON PLACE Welfare Rent $538, HUB INTERNATIONAL GR Hazard Insurance (Bldgs) $6373, HYVEE ACCOUNTS RECEI Jury Fees $130.44, HYVEE ACCOUNTS RECEI Pharmacies $106.56, I STATE TRUCK INC Truck Repairs & Maintenance $201.39, I STATE TRUCK INC Trucks/Tractors/Trailers $102865, IMEG CORP Architects & Engineers $847.89, INNOVATIVE OFFICE SO Furniture & Office Equipment $3178.7, INNOVATIVE OFFICE SO HHS Custodial Supplies $238.4, INNOVATIVE OFFICE SO Janitorial Chemical Supplies $238.4, INSTITUTIONS SERVICE Jail Repairs & Maintenance $1806.31, INTERSTATE OFFICE PR Office Supplies $122.55, INTERSTATE POWER SYS Automotive/Small Equipment $520, INTERSTATE POWER SYS Maintenance Contracts $474.43, IRVING CENTER APARTM Welfare Rent $788, IS RESTAURANT EQUIP Jail Repairs & Maintenance $901.6, ISI LLC Interpreters $220, JCL SOLUTIONS Inmate Supplies $1748.6, JCL SOLUTIONS Kitchen/Cleaning Supplies $4014.59, JD PROPERTY SOLUTION Welfare Rent $700, JEFFERSON PARTNERS L Transportation $1514.19, JEO CONSULTING GROUP Architects & Engineers $28743.75, JIM & RONS SERVICE I Professional Services $95, JONAS, DARRELL Uniform Allowance $200.21, KARPEL COMPUTER SYST Software $50600, KNECHT, ANDREW J Child Defense Attorney $5551.5, KRUSE LAW OFFICE Attorney Fees $3500, KURITA AMERICA HOLDI Heat, Vent & AC Repairs $4651.05, KYLE NEU Business Travel $168, LACEY RENTALS INC Lease-Rental Agreement $140, LEXIPOL LLC Education & Training $2400, LIGHTNING TOWING Professional Services $305, LISA CARLSON REPORTI Court Reporters $112.7, LOPEZ, REBECA Interpreters $365, LUNDY, TYLER Uniform Allowance $205, LUTHER, JEFF Medical Director $2833.33, LUTHERAN SOCIAL SVCS Evening Report Center $7538.04, LUTHERAN SOCIAL SVCS Shelter Care/Reception Center $111183.58, MARION COMMUNITY MHP Welfare Rent $635, MATTSON, MIKE Uniform Allowance $124.34, MCGOVERN, MIKE Uniform Allowance $15.12, MCJ INC Janitorial Chemical Supplies $69.95, MCKINNEY, JAMES Program Activities $400, MENARD INC Truck Repairs & Maintenance $44.71, MIDAMERICAN ENERGY C Natural Gas $8868.36, MIDCONTINENT COMMUNI Amounts Held For Others $145.39, MIDCONTINENT COMMUNI Subscriptions $91.39, MIDWAY SERVICE INC Gas Oil & Diesel $14349.19, MIDWEST ALARM COMPAN Maintenance Contracts $1337.17, MIDWEST ALARM COMPAN Professional Services $1337.17, MIDWEST OIL COMPANY Fuel Oil $2616.84, MIDWESTERN MECHANICA Coliseum $125, MIDWESTERN MECHANICA Contract Services $1140, MIDWESTERN MECHANICA HHS Maintenance $265, MIDWESTERN MECHANICA Jail Repairs & Maintenance $790, MRG HAUFF LLC Uniform Allowance $30, MURRAY APARTMENTS Welfare Rent $540, MYERS, HEATHER Uniform Allowance $321.48, NAPA AUTO PARTS Automotive/Small Equipment $836.79, NAPA AUTO PARTS Parts Inventory $1525.88, NAPA AUTO PARTS Small Tools & Shop Supplies $-33.74, NATIONAL 4-H COUNCIL Other Supplies $86.23, NORTHEAST INVESTMENT Welfare Rent $900, NYBERGS ACE HARDWARE Road Maint & Material $542.98, NYBERGS ACE HARDWARE Small Tools & Shop Supplies $39.89, OLSON OIL CO. Automotive/Small Equipment $250, OLSON, DAWN Court Reporters $1365.65, OLSON, ROBERT Taxable Meal Allowances $36, OREILLY AUTOMOTIVE S Small Tools & Shop Supplies $119.9, OSBORN, ROXANE R Court Reporters $63.75, PALLUCK, ETHAN Taxable Meal Allowances $36, PARADISE PROPERTIES Welfare Rent $650, PARK VIEW APTS Welfare Rent $369.99, PFEIFER IMPLEMENT CO Heavy Equip Repairs & Maint $843.49, PFEIFLE, SAM Welfare Rent $1800, PIONEER ENTERPRISES Burials $7000, POINT GUARD Welfare Rent $500, PRECISE MRM LLC Software $360, PRECISION KIOSK TECH Testing Supplies $4500, QUALIFIED PRESORT SE Postage $220.91, R&L SUPPLY LTD Plumbing & Welding $2.2, RATERMAN, CODY D Attorney Fees $1056, REFINED AUTO Sign Deposits $50, REYNOLDS LAW LLC Attorney Fees $5586.5, RISTY, MAXINE J Court Reporters $94.35, RJ KOOL MIDWEST INC Jail Repairs & Maintenance $2168.85, RUNNING SUPPLY INC JDC Maintenance $458.22, SAFARI LTD Store Inventory $433.78, SAFE HOME LTD PTNRSH Rent Subsidies $10639, SAMS CLUB - MEMBERSH Memberships $49.81, SAMS CLUB - MEMBERSH Miscellaneous Expense $114.8, SANFORD Other Medical Services $3110.8, SANFORD CLINIC Contract Services $31004.51, SANFORD CLINIC Professional Services $80.94, SCHAUNAMAN, KURT Uniform Allowance $128.63, SCHUMACHER ELEVATOR Jail Repairs & Maintenance $3716.67, SD ASSOC OF COUNTY C Memberships $48034, SD ASSOC OF COUNTY O Memberships $14402.38, SD HUMAN SERVICES CE Psych Evals $1200, SD PUBLIC ASSURANCE Comprehensive Gen Liability $235832.31, SD SHERIFFS ASSOC Memberships $6416.42, SD SYMPHONY ORCHESTR Program Activities $400, SDML WORKERS COMPENS Workers Compensation $528289, SECOG Miscellaneous Expense $28002, SHERWIN WILLIAMS Jail Repairs & Maintenance $128.79, SHORT ELLIOTT HENDRI Architects & Engineers $26521.94, SIOUX EMPIRE FAIR AS Miscellaneous Expense $12500, SIOUX FALLS CITY Electricity $8894.59, SIOUX FALLS CITY Miscellaneous Expense $351357.69, SIOUX FALLS CITY Professional Services $86600.8, SIOUX FALLS CITY Water - Sewer $938.05, SIOUX FALLS FORD INC Gas Oil & Diesel $68.25, SIOUX RIVER MENTAL H Psych Evals $4000, SPROLES, KEN Welfare Rent $280, SSC Welfare Rent $1400, STATE OF SOUTH DAKOT Amts Held-Daily Scram $7400, STATE OF SOUTH DAKOT Amts Held-Remote Breath $1705, STATE OF SOUTH DAKOT Architects & Engineers $5862.39, STATE OF SOUTH DAKOT Construction Safety $303, STATE OF SOUTH DAKOT Extension Background Checks $30, STATE OF SOUTH DAKOT Federal Grants $3015.8, STATE OF SOUTH DAKOT Other Supplies $20.93, STATE OF SOUTH DAKOT Safety & Rescue Equipment $208, STATE OF SOUTH DAKOT Sign Supply Inventory $4714.53, STATE OF SOUTH DAKOT Uniform Allowance $157.75, STATE STEEL OF SD Small Tools & Shop Supplies $220, STRANGE FARRELL JOHN Attorney Fees $349.88, STREICHERS INC Uniform Allowance $283.99, SUMMIT FOOD SERVICE Board Of Prisoners-Meals $141551.86, SUMMIT FOOD SERVICE Child Care Food $1633.97, SUMMIT FOOD SERVICE Donations $458.88, SUMMIT FOOD SERVICE Inmate Supplies $212.96, SUMMIT FOOD SERVICE School Lunch Program $3533.48, SUNSET LAW ENFORCEME Ammunition $3981.25, TAB LIBERTY Welfare Rent $695, TEEL, CLYDE Program Activities $300, THINK 3D SOLUTIONS MacArthur SJC Grant $26250, TIM GUSTAFSON Business Travel $168, TOWER OF DAVID Welfare Rent $398, TRAFFIC AND PARKING Sign Supply Inventory $1197.48, TRANE Heat, Vent & AC Repairs $1311.86, TRANSOURCE TRUCK & E Parts Inventory $1449.4, TRANSOURCE TRUCK & E Truck Repairs & Maintenance $37.66, TRI-STATE NURSING Professional Services $3311.5, TRIANGLE PROPERTIES Welfare Rent $700, TURNWELL MENTAL HEAL Attorney Fees $2407, TWO WAY SOLUTIONS IN Communication Equipment $755.9, TZADIK SIOUX FALLS P Welfare Rent $1709.04, TZADIK SIOUX FALLS P Welfare Utilities $638, US FOODS INC Other Supplies $71.11, US FOODS INC Professional Services $2217.22, VANDERRIGHT LLC Welfare Rent $700, VB FALLS TERRACE Welfare Rent $968, VERTIV Jail Repairs & Maintenance $14213.97, WALL LAKE SANITARY D Water - Sewer $90, WALTER, MAX Attorney Fees $2414, WALTON, MARCUS Child Defense Attorney $1725, WEERHEIM LAW OFFICE Bd Exp Fees (Minnehaha) $6204, WEERHEIM LAW OFFICE Crisis Intervention Program $72, WELLS, KIMBERLY Attorney Fees $429, WILLOWS EDGE Welfare Rent $700, WOODS FULLER SHULTZ Child Defense Attorney $72, WYNN REALTY LLC Welfare Rent $700, XCEL ENERGY Electricity $55483, XCEL ENERGY Road Maint & Material $31.95, XCEL ENERGY INC Welfare Utilities $1028.81.
December 2025 Commission Salaries
COMMISSION Salaries $40,022.27
AUDITOR Salaries $68,479.07
TREASURER Salaries $116,813.84
INFORMATION TECHNOLOGY Salaries $106,577.27
STATES ATTORNEY Salaries $558,080.66
PUBLIC DEFENDER Salaries $364,718.71
PUBLIC ADVOCATE Salaries $103,578.08
FACILITIES Salaries $72,280.44
EQUALIZATION Salaries $134,599.05
REGISTER OF DEEDS Salaries $51,290.65
HUMAN RESOURCES Salaries $44,016.37
SHERIFF Salaries $1,696,335.58
JUVENILE DETENTION CENTER Salaries $276,236.68
HIGHWAY Salaries $187,134.96
HUMAN SERVICES Salaries $183,180.11
MUSEUM Salaries $100,964.65
PLANNING Salaries $51,820.00
EXTENSION Salaries $4,201.00
The following report was received and placed on file in the Auditor’s Office:
South Dakota Game, Fish and Parks 2025 Annual Wildlife Damage Program Report
Routine Personnel Actions
New Hires
1. Melvin Carter, Juvenile Correctional Officer for the Juvenile Detention Center, at $27.57/hour (306/1) effective 1/5/26.
2. Elijah Fenner, variable hour Juvenile Correctional Worker for the Juvenile Detention Center, at $25.00/hour effective 1/5/26.
3. Katrin Hafner, variable hour Juvenile Correctional Worker for the Juvenile Detention Center, at $25.00/hour effective 1/5/26.
4. Madisyn Walls, Juvenile Correctional Officer for the Juvenile Detention Center, at $27.57/hour (306/1) effective 1/8/26.
5. Scarlett McGuinness, variable hour Museum Aide for the Museum, at $16.25/hour effective 1/9/26.
Promotions
1. Victoria Reker, Senior Deputy Public Advocate to Supervising Attorney for the Public Advocate’s Office, at $5,772.00/biweekly (316/7) effective 1/3/26.
Step Increases
1. Lindy DeGroot, Correctional Systems Operator for the Jail, at $27.31/hour (304/5) effective 12/14/25.
2. Benjamin Burns, Paralegal for the Public Defender’s Office, at $35.26/hour (307/6) effective 12/11/25.
3. Sarah Kerkvliet, Paralegal Supervisor for the Public Defender’s Office, at $45.36/hour (308/12) effective 12/26/25.
To record significant employee anniversaries for January, 2026: 5 years-Daniel Haggar, Kristin Swanson, Allen Wolf; 10 years-Darin Gonsor; 25 years-Jill VanVeldhuiz; 30 years-Kevin Gansz.
To record volunteers in County Departments for December 2025. This list is on file at Human Resources.
Notices and Requests
South Dakota Department of Agriculture and Natural Resources Notice of General Air Quality Operating Permit for Concrete Plants Operating in South Dakota
Items within Policy Guidelines
RESOLUTION MC26-03
WHEREAS, a County Lien exists in favor of Minnehaha County and against DPNO 81583 in the amount of $2,618.30; and
WHEREAS, upon review, the Minnehaha County Auditor has determined that one lien entry identified as R-File 102038 in the amount of $2,327.30 is incorrect; and
WHEREAS, based upon information and belief, the Minnehaha County Auditor believes the lien entry identified as R-File 102038 in the amount of $2,327.30 should be released from the lienee pursuant to SDCL § 23A-40-16;
NOW, THEREFORE, BE IT RESOLVED that after due consideration of the above circumstances and the need to release lien entry identified as R-File 102038, the Board of County Commissioners finds it advisable and proper to authorize the Chair of the Board of Commissioners to execute and the County Auditor to attest the following:
Pursuant to SDCL § 23A-40-16, the Minnehaha County Board of Commissioners directs that correction be made to the lien in DPNO 81583 by releasing the lien entry identified as R-File 102038 in the amount of $2,327.30, resulting in a revised total County Lien in favor of Minnehaha County and against DPNO 81583 in the amount of $291.00.
Dated at Sioux Falls, South Dakota, this 6th day of January, 2026.
APPROVED BY THE BOARD OF COMMISSIONERS:
Dean Karsky
Chair
ATTEST: Leah Anderson, County Auditor
Kym Christiansen
Deputy Auditor
RESOLUTION MC26-04
WHEREAS, a County Lien exists in favor of Minnehaha County and against DPNO 115221 in the amount of $819.60, DPNO 100809 in the amount of $302.30, DPNO 114905 in the amount of 151.50, and DPNO 106685 in the amount of $1,282.90; and
WHEREAS, based upon information and belief, the Minnehaha County Auditor believes the liens were incorrectly entered against the lienees and concludes that the liens listed above should be released from the lienees pursuant to SDCL § 23A-40-16;
NOW, THEREFORE, BE IT RESOLVED that after due consideration of the above circumstances and the need to release the liens identified as DPNO 115221, DPNO 100809, DPNO 114905, and DPNO 106685, the Board of County Commissioners finds it advisable and proper to authorize the Chair of the Board of Commissioners to execute and the County Auditor to attest the following:
Pursuant to SDCL § 23A-40-16, the Minnehaha County Board of Commissioners directs that correction be made to the liens in DPNO 115221 in the amount of $819.60, DPNO 100809 in the amount of $302.30, DPNO 114905 in the amount of 151.50, and DPNO 106685 in the amount of $1,282.90, by releasing the lien entries resulting in a revised total County Lien in favor of Minnehaha County of $0.00 for each of the respective liens listed above.
Dated at Sioux Falls, South Dakota, this 6th day of January, 2026.
APPROVED BY THE BOARD OF COMMISSIONERS:
Dean Karsky
Chair
ATTEST: Leah Anderson, County Auditor
Kym Christiansen
Deputy Auditor
REQUEST FOR STATE AID FOR SALARY OF COUNTY VETERANS SERVICE OFFICER
Upon the request of Brett Johnson, Community Services Engagement Manager, MOTION by Beninga, seconded by Heisey, to Authorize the Chair to Sign a Request for State Aid for Salary of County Veterans Service Officer Application. By roll call vote: 4 ayes.
ELECTION RESOLUTIONS
Upon the request of Leah Anderson, Auditor, MOTION by Bleyenberg, seconded by Beninga, to Approve Resolution MC26-05 To Establish Rates of Pay for Election Workers and Rental Rate for Polling Locations for the 2026 Election Cycle. By roll call vote: 4 ayes.
RESOLUTION MC26-05
TO ESTABLISH RATES OF PAY FOR ELECTION WORKERS AND RENTAL RATE FOR POLLING LOCATIONS
WHEREAS, it may be necessary to appoint election officials in 2026; and
WHEREAS, pursuant to SDCL §12-15-11, the fee paid to election officials shall be established annually by the Board of County Commissioners at its first meeting in January; now, therefore, be it
RESOLVED by the Minnehaha County Board of Commissioners that for the year 2026, election officials shall be paid as follows:
Precinct Superintendent $250.00 per day
Precinct Deputy $200.00 per day
Absentee Precinct Superintendent $18.50 per hour
Absentee Board, Absentee Assistants, Resolution Board $17.00 per hour
and Counting Center Assistants
Precinct setup (Paid to Supt. & Deputy) $15.00 per session
Precinct tear down (Paid to Supt. & Deputy) $15.00 per session
Election School attendance paid to all attendees. $25.00 flat rate
Ballot Box Pickup $15.00 flat rate
Personal Cell phone use at precinct $10.00 flat rate
Mileage reimbursement for delivering pollbooks and ballot boxes (At applicable rate pursuant to SDCL § 12-15-11 and § 3-9-1)
Post-Election Audit Board (Training & Conducting Audit) $18.00 per hour
(ARSD 05:02:23:15)
Rate of rent for polling locations. $200 flat rate
Dated this 6th day of January, 2026.
APPROVED BY THE COMMISSION:
Dean Karsky
Chair
ATTEST: Leah Anderson, Auditor
Kym Christiansen
Deputy Auditor
Upon the request of Leah Anderson, Auditor, MOTION by Beninga, seconded by Bleyenberg, to Approve Resolution MC25-06 Establishing Record of 2026 Minnehaha County Designated Polling Places. By roll call vote: 4 ayes.
RESOLUTION MC26-06
ESTABLISH RECORD OF 2026 MINNEHAHA COUNTY DESIGNATED POLLING PLACES
WHEREAS, pursuant to SDCL § 12-12-1 and § 12-14-1 the County Auditor shall give notice of all designated polling places prior to any election he or she is charged with conducting, and
WHEREAS, the Minnehaha County Auditor’s Office intends to make a record of all designated polling places in the County for 2026 elections, now
THEREFORE, BE IT RESOLVED BY the Minnehaha County Commission that the following locations will serve as polling places in 2026:
Precinct Polling Place Address
01-04 Active Generations – Main Campus 2300 W 46th St
01-05 Active Generations – Main Campus 2300 W 46th St
01-06 Sunnycrest United Methodist Church 4801 W 41st St
01-09 Peace Lutheran Church 5509 W 41st St
01-10 LifeChange Church 6300 W 41st St
01-17 LifeChange Church 6300 W 41st St
01-19 De Dios Es El Poder Church 1605 W 51st St
02-01 De Dios Es El Poder Church 1605 W 51st St
02-02 Southern Hills United Methodist Church 3400 E 49th St
02-03 Harvey Dunn Elementary School 2400 S Bahnson Ave
02-06 Westminster Presbyterian Church 3801 E 26th St
02-08 Embrace Church 2800 E 57th St
02-09 Embrace Church 2800 E 57th St
02-14 Gloria Dei Lutheran Church 5500 E 57th St
02-17 Gloria Dei Lutheran Church 5500 E 57th St
02-18 Eastside Baptist Church 6101 E 49th St
03-01 Asbury United Methodist Church 2425 S Western Ave
03-05 SD Military Heritage Alliance Inc 1600 W Russell St
03-09 Saint Michael’s Catholic Church 1600 S Marion Rd
03-10 Good News Church 1800 S Valley View Rd
03-11 Church at the Gate 6820 W 26th St
03-12 Career & Technical Education Academy 4700 W Career Cir
03-13 Oscar Howe Elementary School 2801 S Valley View Rd
03-14 George McGovern Middle School 6221 W Maple St
03-15 Connection Church 2201 S Marion Rd
03-16 Memorial Middle School 1401 S Sertoma Ave
03-17 Memorial Middle School 1401 S Sertoma Ave
03-18 George McGovern Middle School 6221 W Maple St
03-19 Prairie West Library 7630 W 26th St
03-20 McCrossan Visitor Center 47135 260th St
04-02 Emmanuel Baptist Church 1600 E 12th St
04-03 East Side Lutheran Church (Barn) 1300 E 10th St
04-04 Wesley United Methodist Church 1700 E 6th St
04-05 The Word of Life Pentecostal Church 3513 N 10th Ave
04-06 Faith Lutheran Church 601 N Cliff Ave
04-07 Anne Sullivan Elementary School 3701 E 3rd St
04-08 Saint Lambert’s Catholic Church 1000 S Bahnson Ave
04-09 Grace Lutheran Church 3300 E 18th St
04-10 Active Generations – East Campus 5500 E Active Generations Pl
04-11 Wild Flower Presbyterian Church 4800 E 6th St
04-12 Hilltop United Methodist Church 1312 S Bahnson Ave
04-13 Grace Lutheran Church 3300 E 18th St
04-15 Lord of Life Lutheran Church 2600 S Sycamore Ave
04-16 The Word of Life Pentecostal Church 3513 N 10th Ave
04-17 Ben Reifel Middle School 6700 E 41st St
04-18 Ben Reifel Middle School 6700 E 41st St
04-19 Anne Sullivan Elementary School 3701 E 3rd St
05-01 First Lutheran Church 327 S Dakota Ave
05-02 First Lutheran Church 327 S Dakota Ave
05-03 Zion Lutheran Church 1400 S Duluth Ave
05-04 DakotAbilities 1116 S 4th Ave
05-06 Hope Lutheran Church 1700 S Cliff Ave
05-07 All Souls Church 2222 S Cliff Ave
05-08 Instructional Planning Center 201 E 38th St
05-09 Our Savior’s Lutheran Church 909 W 33rd St
05-12 Instructional Planning Center 201 E 38th St
05-15 Sioux Falls Downtown Library 200 N Dakota Ave
05-16 Sioux Falls Downtown Library 200 N Dakota Ave
05-18 Faith Family Church 127 N Spring Ave
05-19 Saint Mark’s Lutheran Church 2001 S Elmwood Ave
05-20 Garfield Elementary School 2421 W 15th St
05-21 18th Street Church 2400 W 18th St
05-22 SD Military Heritage Alliance Inc 1600 W Russell St
05-23 Sioux Falls Downtown Library 200 N Dakota Ave
VP-1 Valley Springs American Legion Club 615 Broadway Ave (Valley Springs)
VP-2 Split Rock Fire Station 7201 E Arrowhead Pkwy
VP-3 Brandon Golf Course 2100 E Aspen Blvd (Brandon)
VP-4 Mapleton Township Hall 47419 258th St (Renner)
VP-5 Brandon City Hall 308 S Main Ave (Brandon)
VP-6 Risen Hope Baptist Church 8545 W 26th St
VP-7 Hartford Senior Center 119 N Main Ave (Hartford)
VP-8 Humboldt Community Center 201 S Main St (Humboldt)
VP-9 Baltic Elementary (Old) Gymnasium 500 3rd St (Baltic)
VP-10 American Legion (Garretson) 504 N Main Ave (Garretson)
VP-11 Lutheran Church of Dell Rapids 701 N Orleans Ave (Dell Rapids)
VP-13 Taopi Community Hall 102 E 3rd St (Colton)
VP-15 Brandon Fire Station 401 N Sioux Blvd (Brandon)
VP-16 Crooks Community Center 701 S West Ave (Crooks)
VP-17 Wall Lake Township Hall 26452 463rd Ave (Hartford)
VP-21 Riverside Event Center (Dell Rapids City Hall) 317 E 4th Street (Dell Rapids)
Dated this 6th day of January 2026
APPROVED BY THE COMMISSION:
Dean Karsky
Chair
ATTEST: Leah Anderson, Auditor
Kym Christiansen
Deputy Auditor
MEETING DATE CHANGE
Upon the request of Tom Greco, Commission Administrative Officer, MOTION by Bleyenberg, seconded by Heisey, to Reschedule the 2026 Commission Meetings as follows: June 2nd to June 9th; June 23rd to June 30th; September 15th to September 8th; and November 3rd to November 10th. 4 ayes.
OPPORTUNITY FOR PUBLIC COMMENT
Gary Meyer, Hartford, SD, spoke about the increases in the Commissioner’s salary.
NON-ACTION COMMISSION DISCUSSION
Commissioner Heisey brought up the potential consideration of rescheduling the last meeting in December.
MOTION by Beninga, seconded by Heisey, to enter into Executive Session pursuant to SDCL 1-25-2 (1), (3), (4), and (6) at 9:55 a.m. 4 ayes.
Chair Karsky declared the executive session concluded at 10:16 a.m.
MOTION by Heisey, seconded by Beninga, to adjourn at 10:17 a.m. 4 ayes.
The Commission adjourned until 9:00 a.m. on Tuesday, January 20th, 2026.
APPROVED BY THE COMMISSION:
Dean Karsky
Chair
ATTEST:
Kym Christiansen
Commission Recorder
Published once on Jan. 9, 2026, at the approximate cost of $363.95, and may be viewed free of charge at www.sdpublicnotices.com or TheDakotaScout.com.
PUBLIC NOTICE
PUBLISH: Jan. 9, 2026
ABANDONED VEHICLE
This 2002 Chrysler 300M, VIN 2C3HE66G22H266554 was abandoned at 5018 S Bahnson Ave, Sioux Falls, SD, 57108. This vehicle can be redeemed at 1309 E Walnut St in Sioux Falls, SD with proof of ownership and payment of towing and storage charges. (605) 332-8984 aplus-towing@outlook.com
Published once on Jan. 9, 2026, at the approximate cost of $10.80, and may be viewed free of charge at www.sdpublicnotices.com or TheDakotaScout.com.
-
PUBLISH: Jan. 9, 2026
ADVERTISEMENT FOR PRE-QUALIFICATION
Weitz/Journey, A Joint Venture, will receive Statement of Qualifications (also referred to as Preapproval Forms herein) for construction of Sioux Falls Regional Airport Terminal Concourse Expansion Phase 1 Project in Sioux Falls, South Dakota. The project consists of site improvements, and the construction of a new approximately 30,000 square foot two story building addition to the existing Sioux Falls Regional Airport Terminal. The project is located at:
Sioux Falls Regional Airport
2801 Jaycee Lane
Sioux Falls, South Dakota 57104
Preapproval Form Submission
Statement of Qualifications Preapproval Forms must be filled out, compiled, and submitted by or before 2:00 PM, January 29, 2026. Any submissions received after this time will not be accepted nor opened. All Statements of Qualification Preapproval Forms must be submitted electronically to the Building Connected website. Submitters are to contact Brett Smith at brett.smith@weitzjourney.com to request setup and access to the Building Connected website for Preapproval Form submission. In your email, please indicate for which work package(s) you are interested in prequalifying.
***Only contractors meeting or exceeding minimum scoring criteria and approved through this qualification process shall be deemed an approved bidder for the project***
Listing Of Work Scope Packages
Preapproval Forms are only being accepted for the work scope packages contained in Bid Package #3 as listed below:
Rough & Finish Carpentry
Casework, Millwork, & Countertops
Ceramic Tile
Acoustical and Wood Ceilings
Carpet & Resilient Flooring
Terrazzo
Painting and Wall Coverings
Building Specialties – Vendor
Signage
Metal Panel Artwork
Site Concrete
Pre-Submission Informational Session
An Informational Session to overview the Statement of Qualifications Preapproval Manual and forms will be held virtually on January 15, 2026 at 11:30 AM. The virtual meeting access information will be published on Building Connected.
Document Availability
Statement of Qualification Preapproval Documents may be accessed at the following locations:
Document Download Via Web Access:
Building Connected – Contact Brett Smith at brett.smith@weitzjourney.com to request access to the Building Connected website to download documents. In your email, please indicate which work package(s) you are interested in prequalifying.
Plan Room Review Location(s):
Aberdeen, SD: Aberdeen Builders Exchange, 302 N Jackson St
Rapids City, SD: Construction Industry Center, 2771 Plant Street
Fargo, ND: Fargo Moorhead Builders Exchange, 1010 Page Drive
Lincoln, NE: Lincoln Builders Bureau, 5910 S 58th St C
Sioux Falls, SD: Plains Builders Exchange, 220 N Kiwanis Ave
Sioux Falls, SD: Sioux Falls Builders Exchange, 1418 N C Ave
Des Moines, IA: Master Builders of Iowa, 4100 Westown Parkway.
Minneapolis, MN: Minneapolis Builders Exchange, 1123 Glenwood Ave.
Kansas City, MO: The Builders, a chapter of the AGC, 720 Oak Street
Submission Procedure
Completed Preapproval Form submissions shall only be accepted electronically via upload to project’s Building Connected website. Contact Brett Smith at brett.smith@weitzjourney.com to request access to the Building Connected website.
Submission Withdrawal
Submissions may be withdrawn by submitter upon written request any time prior to the submission.
Submission Acceptance
The Construction Manager and/or Owner will review and score submitted Preapproval Forms based upon an objective scoring process and statutory criteria. Submissions meeting or exceeding minimum scoring criteria shall be deemed as an approved bidder for the project. The Construction Manager and/or Owner retain the rights to reject any/all submission documents if documentation is deemed flawed, incomplete, or insufficient to properly score.
All submitters must complete and submit the correct Prequalification Forms and supporting documentation to be considered responsive.
Question / Clarification Requests
Any/all questions are to be submitted electronically via Building Connected website. Questions can be submitted at any time but must be submitted no later than 12:00 PM on January 23, 2026. Responses to questions received will be published as a clarification document and posted to Building Connected by 5:00 PM on January 27, 2026.
Published twice on Jan. 9 & Jan. 16, 2026, at the approximate cost of $104.40, and may be viewed free of charge at www.sdpublicnotices.com or TheDakotaScout.com.
-
PUBLISH: Jan. 9, 2026
INVITATION TO BID
AES Machine Shed
SOUTH DAKOTA STATE UNIVERSITY
OSE # R0326-13X/DEL
Sealed bids will be received by South Dakota State University Facilities & Services, Box 2150, Brookings, South Dakota 57007 until 2:00 PM CT on Wednesday, January 28th, 2026, for labor and materials to construct a large cold storage building on the campus of South Dakota State University, OSE# R0326--13X/DEL. Bid opening to be held at South Dakota State University Facilities and Services Building Room 111.
Contractors please note: There will be an on-site pre-bid meeting at 10AM Central Time on Wednesday, January 14th, 2026. Contractors shall meet on site at 600 30th Street Brookings SD, north of the campus of South Dakota State University in Brookings, SD. Each Contractor shall examine the premises and be satisfied as to the existing site conditions before submitting a sealed bid.
Copies of the Plans and Specifications may be obtained by bidders at the office of designArc group 434 5th street, Brookings SD 57006. Copies of the Plans and Specifications are on file for viewing purposes at the office of Facilities & Service, at South Dakota State University, Brookings, SD 57007. Anyone requesting, reviewing, or copying plans and specifications for this project (such individual is hereinafter referred to as “bidder”) agrees that they are doing so for the sole purpose of submitting a bid on the project. In consideration of the State of South Dakota providing such plans and specifications for the purpose of preparing a bid, bidder further agrees:
1. The plans and specifications are the sole property of the State;
2. Any copies of the plans and specifications obtained from the State or its agent, will be returned to the office of SDSU Facilities & Services immediately after the State provides notice that the bidder will not be awarded a contract, or thirty (30) days after the bid opening for the project, whichever occurs first;
3. Any copies of the plans and specifications made by the bidder will be destroyed immediately after the State provides notice that the bidder will not be awarded a contract, or thirty (30) days after the bid opening for the project, whichever occurs first;
4. If the bidder does not submit a bid, bidder will fulfill the requirements of 2 and 3 above on or before the date of the bid opening;
5. The plans and specifications are to be used only with respect to this project and are not to be used for any other project or purposes other than preparing a bid for this project;
6. The plans and specifications will not be disseminated to any person or entity for purposes other than obtaining pricing information without the express written approval of the State;
7. All information contained in the plans and specifications is confidential; and
8. Should the bidder disseminate the plans and specifications to an individual or entity for purposes of obtaining pricing information, the bidder will require that individual or entity to adhere to the terms set forth herein. The bidder, however, assumes no liability for the misuse of the plans and specifications by such third party or such third party’s failure to comply with the provisions contained herein.
Should the bidder be awarded a contract for construction of the project, bidder does not need to return or destroy plans and specifications until after completion of the project.
Each bid in excess of $50,000.00 must be accompanied by a certified check, cashier’s check or draft in the amount of 5% of the base bid and all add alternates and drawn on a State or National Bank or a 10% bid bond issued by a surety authorized to do business in the State of South Dakota and made payable to the Board of Regents of the State of South Dakota.
South Dakota State University reserves the right to reject any or all bids and to waive any irregularities therein.
Barry Mielke, Associate Vice President
Facilities & Services
South Dakota State University
Published Jan. 9, Jan. 16 & Jan. 23, 2026 at the approximate cost of $124.88, and may be viewed free of charge at www.sdpublicnotices.com or TheDakotaScout.com.
COURTS
PUBLISH: Jan. 2, Jan. 9, Jan. 16 & Jan. 23, 2026
STATE OF SOUTH DAKOTA
COUNTY OF MINNEHAHA
IN CIRCUIT COURT
SECOND JUDICIAL CIRCUIT
IN THE MATTER OF THE
PETITION OF:
DURON FENNELL
FOR A CHANGE OF NAME TO:
DURON ROSHEBA DADE
FILE NO: 49CIV25-5622
NOTICE OF HEARING FOR ADULT NAME CHANGE
NOTICE IS HEREBY GIVEN that a Verified Petition for Adult Name Change has been filed by Duron Rosheba Fennell to change Petitioner’s name from Duron Rosheba Fennell to Duron Rosheba Dade. The petition will be heard on the 10th day of February, 2026, at 11:00 am by the Honorable Judge Jeff Clapper, at the Minnehaha County Courthouse, in the City of Sioux Falls, South Dakota. Anyone may appear at that time and place and show reasons, if any, why Petitioner’s name should not be changed.
Dated this 22 day of December, 2025.
/s/
Clerk of Court
Published Jan. 2, Jan. 9, Jan. 16 & Jan. 23, 2026 at the approximate cost of $49.95, and may be viewed free of charge at www.sdpublicnotices.com or TheDakotaScout.com.
-
PUBLISH: Jan. 2, Jan. 9 & Jan. 16, 2026
STATE OF SOUTH DAKOTA
COUNTY OF MINNEHAHA
:SS IN CIRCUIT COURT
SECOND JUDICIAL CIRCUIT
IN THE MATTER OF THE ESTATE OF
ARLENE ANNETTE HINZ, DECEASED.
49PRO25-000243
NOTICE TO CREDITORS
Notice is hereby given that on the 7th day of October, 2025, Renae L. Hartsook, whose address is 205 E. 5th Street, Apt. 206, Hartford, South Dakota, 57033, was appointed as Personal Representative of the Estate of Arlene Annette Hinz, deceased.
Creditors of the decedent must present their claims within four months after the date of the first publication of this notice or their claims may be barred.
Claims may be delivered to or mailed to the Personal Representative or may be filed with the Clerk of the Circuit Court, and a copy of the claim mailed or delivered to the Personal Representative.
Dated this 7th day of October, 2025.
/s/ RENAE L. HARTSOOK
Renae L. Hartsook - Personal Representative
205 E. 5th Street, Apt. 206
Hartford, South Dakota 57033
KARLA KALB
Clerk of Circuit Court
Minnehaha County Courthouse
425 N. Dakota Avenue
Sioux Falls, South Dakota 57104
(605) 367-5900
Dell Rapids Law Firm
P. O. Box 100
Dell Rapids, SD 57022-0100
(605) 428-5444
Attorneys for Personal Representative
Published Jan. 2, Jan. 9 & Jan. 16, 2026 at the approximate cost of $54.46, and may be viewed free of charge at www.sdpublicnotices.com or TheDakotaScout.com.
-
PUBLISH: Jan. 2, Jan. 9 & Jan. 16, 2026
STATE OF SOUTH DAKOTA
COUNTY OF MINNEHAHA
:SS IN CIRCUIT COURT
SECOND JUDICIAL CIRCUIT
IN THE MATTER OF THE ESTATE OF
AMBER W. GAUGER, DECEASED
PRO. 25-302
NOTICE TO CREDITORS
Notice is hereby given that on the 22nd day of December, 2025, Deedra Koenecke and Guy Gauger, whose post office addresses are 4109 N. Olympia Drive, Sioux Falls, South Dakota, 57107, and 18350 SD Highway 15, Clear Lake, South Dakota, 57226, respectively, were appointed as Personal Representatives of the Estate of Amber W. Gauger, deceased.
Creditors of the decedent must present their claims within four months after the date of the first publication of this notice or their claims may be barred.
Claims may be delivered to or mailed to the Personal Representatives or may be filed with the Clerk of the Circuit Court, and a copy of the claim mailed or delivered to the Personal Representatives.
Dated this 22nd day of December, 2025.
/s/ Deedra Koenecke
Deedra Koenecke -
Personal Representative
4109 N. Olympia Drive
Sioux Falls, South Dakota 57107
/s/ Guy Gauger
Guy Gauger -
Personal Representative
18350 SD Highway 15
Clear Lake, South Dakota 57226
Karla Kalb
Clerk of Circuit Court
Minnehaha County Courthouse
425 N. Dakota Ave.
Sioux Falls, South Dakota 57104
(605) 367-5900
Dell Rapids Law Firm
P.O. Box 100
Dell Rapids, South Dakota 57022-0100
(605) 428-5444
Attorneys for Personal Representatives
Published Jan. 2, Jan. 9 & Jan. 16, 2026 at the approximate cost of $63.66, and may be viewed free of charge at www.sdpublicnotices.com or TheDakotaScout.com.
-
PUBLISH: Jan. 2, Jan. 9 & Jan. 16, 2026
STATE OF SOUTH DAKOTA
IN CIRCUIT COURT
SECOND JUDICIAL CIRCUIT
MINNEHAHA COUNTY
IN THE MATTER OF THE ESTATE OF
REILY DALE JUNKERMEIER,
DECEDENT.
49PRO25-000300
NOTICE TO CREDITORS AND NOTICE
OF INFORMAL PROBATE AND
APPOINTMENT OF PERSONAL
REPRESENTATIVES
Notice is given that on December 23, 2025, Dennis Dale Junkermeier whose address is 1947 Knollwood Drive, Fairmont, MN 56031 and Shelley Louise Junkermeier whose address is 1947 Knollwood Drive, Fairmont, Minnesota 56031, were appointed as personal representatives of the estate of REILY DALE JUNKERMEIER.
Creditors of decedent must file their claims within four (4) months after the date of the first publication of this notice or their claims may be barred unless the creditor has received notice via First Class Mail, in which event the creditor must comply with the notice received.
Claims may be filed with the personal representative or the Clerk of Courts for the Second Judicial Circuit in Minnehaha County at 425 N. Dakota Avenue Sioux Falls, SD 57104.
A copy of the claim must be mailed to the personal representatives at the address noted above.
Dated this 23rd day of December 2025.
Thomas J. (TJ) Johnson, Attorney Prof. LLC
/s/ TJ Johnson
PO Box 1396
Sioux Falls, SD 57101
Bar No. 877
Phone: (605) 360-0375
Email: TJ@TJJAttorney.com
Published Dec. 26, 2025 & Jan. 2 & Jan. 9, 2026 at the approximate cost of $57.81, and may be viewed free of charge at www.sdpublicnotices.com or TheDakotaScout.com.
-
PUBLISH: Dec. 19 & Dec. 26, 2025 & Jan. 2 & Jan. 9, 2026
STATE OF SOUTH DAKOTA
COUNTY OF MINNEHAHA
IN CIRCUIT COURT
SECOND JUDICIAL CIRCUIT
IN THE MATTER OF THE
PETITION OF:
ELISIA HIBNER
FOR A CHANGE OF NAME TO:
ELISIA PALOMO
FILE NO: 49CIV25-2713
*AMENDED*
NOTICE OF HEARING FOR ADULT NAME CHANGE
NOTICE IS HEREBY GIVEN that a Verified Petition for Adult Name Change has been filed by Elisia Hibner to change Petitioner’s name from Elisia Hibner to Elisia Palomo. The petition will be heard on the 13th day of Jan, 2026, at 11:00 am by the Honorable Judge Mandi Mowery TBD, at the Minnehaha County Courthouse, in the City of Sioux Falls, South Dakota. Anyone may appear at that time and place and show reasons, if any, why Petitioner’s name should not be changed.
Dated this 15 day of December, 2025.
/s/ Cathy Arant
Clerk of Court
Published Dec. 19 & Dec. 26, 2025 & Jan. 2 & Jan. 9, 2026 at the approximate cost of $52.15, and may be viewed free of charge at www.sdpublicnotices.com or TheDakotaScout.com.
-
PUBLISH: Dec. 19 & Dec. 26, 2025 & Jan. 2 & Jan. 9, 2026
STATE OF SOUTH DAKOTA
COUNTY OF MINNEHAHA
IN CIRCUIT COURT
SECOND JUDICIAL CIRCUIT
IN THE MATTER OF THE
PETITION OF:
GIOVAUGHNI DAVID LEE ELSMERE
FOR A CHANGE OF NAME TO:
GIOVAUGHNI LANDGRAVE SHILLITO
FILE NO: 49CIV25-5479
NOTICE OF HEARING FOR ADULT NAME CHANGE
NOTICE IS HEREBY GIVEN that a Verified Petition for Adult Name Change has been filed by Giovaughni David Lee Elsmere to change Petitioner’s name from Giovaughni David Lee Elsmere to Giovaughni Landgrave Shillito. The petition will be heard on the 27 day of Jan, 2026, at 11:00 am by the Honorable Judge Mowery, at the Minnehaha County Courthouse, in the City of Sioux Falls, South Dakota. Anyone may appear at that time and place and show reasons, if any, why Petitioner’s name should not be changed.
Dated this 12 day of December, 2025.
/s/ Cathy Arant
Clerk of Court
Published Dec. 19 & Dec. 26, 2025 & Jan. 2 & Jan. 9, 2026 at the approximate cost of $52.15, and may be viewed free of charge at www.sdpublicnotices.com or TheDakotaScout.com.
-
PUBLISH: Dec. 19 & Dec. 26, 2025 & Jan. 2 & Jan. 9, 2026
STATE OF SOUTH DAKOTA
COUNTY OF MINNEHAHA
IN CIRCUIT COURT
SECOND JUDICIAL CIRCUIT
IN THE MATTER OF THE
PETITION OF:
EMILY THERESA ORTMANN
FOR A CHANGE OF NAME TO:
EMILY THERESA MOE
FILE NO: CIV25-5491
NOTICE OF HEARING FOR ADULT NAME CHANGE
NOTICE IS HEREBY GIVEN that a Verified Petition for Adult Name Change has been filed by Emily Theresa Ortmann to change Petitioner’s name from Emily Theresa Ortmann to Emily Theresa Moe. The petition will be heard on the 10 day of February, 2026, at 11:00 am by the Honorable Judge Jeff Clapper, at the Minnehaha County Courthouse, in the City of Sioux Falls, South Dakota. Anyone may appear at that time and place and show reasons, if any, why Petitioner’s name should not be changed.
Dated this 12 day of December, 2025.
Karla Kalb
Clerk of Court
Published Dec. 19 & Dec. 26, 2025 & Jan. 2 & Jan. 9, 2026 at the approximate cost of $48.84, and may be viewed free of charge at www.sdpublicnotices.com or TheDakotaScout.com.
-
PUBLISH: Jan. 9, Jan. 16 & Jan. 23, 2026
STATE OF SOUTH DAKOTA
COUNTY OF MINNEHAHA
:SS IN CIRCUIT COURT
SECOND JUDICIAL CIRCUIT
IN THE MATTER OF THE ESTATE
JEWEL MELVA WATTIER, A/K/A
JEWEL M. WATTIER
DECEASED.
49PRO25-000306
Notice to creditors of informal probate and appointment of personal representative
Notice is given that on December 30, 2025, Jerry L. Wattier, whose address is 1708 N. Marlowe Ave., Sioux Falls, SD 57110, was appointed as Personal Representative of the estate of Jewel Melva Wattier, a/k/a Jewel M. Wattier.
Creditors of decedent must file their claims within four months after the date of the first publication of this notice or their claims may be barred.
Claims may be filed with the Personal Representative or may be filed with the Clerk, and a copy of the claim mailed to the Personal Representative.
Dated this 5th day of January, 2026.
/s/ Jerry L. Wattier
Jerry L. Wattier
1708 N. Marlowe Ave.
Sioux Falls, SD 57110
Karla Kalb
Minnehaha County Clerk of Courts
425 N.Dakota Ave.
Sioux Falls, SD 57104
605-782-3004
A. Jason Rumpca
Riter Rogers, LLP
Attorneys at Law
319 S. Coteau-P.O. Box 280
Pierre, SD 57501-0280
(605) 224-5825
Published Jan. 9, Jan. 16 & Jan. 23, 2026 at the approximate cost of $53.62, and may be viewed free of charge at www.sdpublicnotices.com or TheDakotaScout.com.
-
PUBLISH: Jan. 9, Jan. 16 & Jan. 23, 2026
STATE OF SOUTH DAKOTA
COUNTY OF MINNEHAHA
:SS IN CIRCUIT COURT
SECOND JUDICIAL CIRCUIT
IN THE MATTER OF THE ESTATE OF
DOROTHY R. ANDERSON,
DECEASED.
49PRO25-000305
NOTICE TO CREDITORS OF APPOINTMENT OF PERSONAL REPRESENTATIVE
Notice is given that on December 30, 2025 , Carlee R. Knudson, whose address is 6320 N. Boulder Avenue, Sioux Falls, South Dakota 57104, was appointed as personal representative of the Estate of Dorothy R. Anderson.
Creditors of decedent must file their claims within four (4) months after the date of the first publication of this notice or their claims may be barred.
Claims may be filed with the personal representative or may be filed with the clerk, and a copy of the claim mailed to the personal representative.
Carlee Knudson
6320 N. Boulder A venue
Sioux Falls, SD 57104
(605) 351-7426
Minnehaha County Clerk of Court
425 N. Dakota Avenue
Sioux Falls, SD 57104
Lisa J. Maguire
Woods, Fuller, Shultz & Smith P.C.
300 South Phillips Avenue, Suite 300
P.O. Box 5027
Sioux Falls, SD 57117-5027
(605) 336-3890
Published Jan. 9, Jan. 16 & Jan. 23, 2026 at the approximate cost of $49.43, and may be viewed free of charge at www.sdpublicnotices.com or TheDakotaScout.com.
-
PUBLISH: Jan. 9, 2026
STATE OF SOUTH DAKOTA
COUNTY OF MINNEHAHA
:SS IN CIRCUIT COURT
SECOND JUDICIAL CIRCUIT
IN THE MATTER OF
B H,
ALLEGED ABUSED/NEGLECTED CHILD
JUV25-001288
NOTICE OF ENTRY OF ORDER
TO: Rodolfo Herrera, and all to whom it may concern:
You will take notice that on the 30th of December, 2025 an Order of Adjudication
affecting your parental rights was made and entered in the matter entitled above by the
above entitled Court and filed with the Clerk and that attached hereto is a true and correct
copy thereof.
Dated this 31st day of December, 2025.
/s/Brianna Palomaki
Carrie Mees/Brianna Palomaki/Lyndee Kamrath
Deputy State’s Attorney
Minnehaha County State’s Attorney’s Office
415 N. Dakota Ave.
Sioux Falls, SD 57104
(605) 367-4226
Published once on Jan. 9, 2026, at the approximate cost of $13.21, and may be viewed free of charge at www.sdpublicnotices.com or TheDakotaScout.com.
-
PUBLISH: Jan. 9, 2026
STATE OF SOUTH DAKOTA
COUNTY OF MINNEHAHA
:SS IN CIRCUIT COURT
SECOND JUDICIAL CIRCUIT
THE PEOPLE OF THE STATE OF SOUTH DAKOTA EX REL, SOUTH DAKOTA DEPARTMENT OF SOCIAL SERVICES, IN THE INTEREST OF,
S T,
ALLEGED ABUSED/NEGLECTED CHILD
AND CONCERNING
ARIANA RAIN TWISS
UNKNOWN FATHER
RESPONOENTS
JUV25-001594
SUMMONS
(ALLEGED ABUSED OR NEGLECTED CHILD)
TO: ARIANA RALN TWISS, UNKNOWN FATHER, Andrew Bad Warrior, AND ALL WHOM IT MAY CONCERN
You are hereby summoned to appear before the above-named Court in its courtroom at the Minnehaha County Courthouse, 425 North Dakota Avenue, Sioux Falls, South Dakota, on February 10, 2026, at 9:00 AM to answer the Petition of CARRIE MEES, now on file with the Clerk of said Court, alleging the above named Child to be an abused/neglected Child and praying that said Child be taken from you and that a guardian be appointed with authority to consent to the adoption of said Child. You must appear at the time and place set forth above to show cause, if any you have, why said Child should not be found abused/neglected and the prayer of said Petition granted or said Child otherwise dealt with. Failure to appear is an admission to the allegation(s) contained in the Petition. You are further notified that the termination of parental rights is a possible remedy of these proceedings and that you and the above-named Child have the right to have an attorney present at all stages of the proceedings.
Dated at Sioux Falls, Minnehaha County, South Dakota, this 17th day of December, 2025.
KARLA KALB, Clerk
BY: /s/ Alyssa King (Cortez)
Deputy
Published once on Jan. 9, 2026, at the approximate cost of $23.83, and may be viewed free of charge at www.sdpublicnotices.com or TheDakotaScout.com.
-
PUBLISH: Jan. 9, 2026
STATE OF SOUTH DAKOTA
COUNTY OF MINNEHAHA
:SS IN CIRCUIT COURT
SECOND JUDICIAL CIRCUIT
THE PEOPLE OF THE STATE OF SOUTH DAKOTA
EX REL, SOUTH DAKOTA DEPARTMENT OF SOCIAL SERVICES, IN THE INTEREST OF,
A W, JR., D W,
ALLEGED ABUSED/NEGLECTED CHILDREN
AND CONCERNING
DALONNE RAE CATCHES
ALLEN RAY WELLS
RESPONDENTS
JUV24-001558
5TH AMENDED
SUMMONS
(ALLEGED ABUSED OR NEGLECTED CHILD)
TO: DALONNE RAE CATCHES
ALLEN RAY WELLS
AND ALL WHOM IT MAY CONCERN
You are hereby summoned to appear before the above-named Court in its courtroom at the Minnehaha County Courthouse, 425 North Dakota Avenue, Sioux Falls, South Dakota, on January 27, 2026, at 9:00 AM to answer the Petition of BRIANNA PALOMAKI, now on file with the Clerk of said Court, alleging the above named Children to be an abused/neglected Children and praying that said Children be taken from you and that a guardian be appointed with authority to consent to the adoption of said Children. You must appear at the time and place set forth above to show cause, if any you have, why said Children should not be found abused/neglected and the prayer of said Petition granted or said Children otherwise dealt with. Failure to appear is an admission to the allegation(s) contained in the Petition. You are further notified that the termination of parental rights is a possible remedy of these proceedings and that you and the above-named Children have the right to have an attorney present at all stages of the proceedings.
Dated at Sioux Falls, Minnehaha County, South Dakota, this 5th day of January, 2026.
KARLA KALB, Clerk
BY: /s/ Alyssa King (Cortez)
Deputy
Published once on Jan. 9, 2026, at the approximate cost of $24.48, and may be viewed free of charge at www.sdpublicnotices.com or TheDakotaScout.com.
-
PUBLISH: Jan. 9, 2026
STATE OF SOUTH DAKOTA
COUNTY OF MINNEHAHA
:SS IN CIRCUIT COURT
SECOND JUDICIAL CIRCUIT
THE PEOPLE OF THE STATE OF SOUTH DAKOTA
EX REL, SOUTH DAKOTA DEPARTMENT OF SOCIAL SERVICES, IN THE INTEREST OF,
A J,
ALLEGED ABUSED/NEGLECTED CHILD
AND CONCERNING
CASHARAYIA JOHNSON
UNKNOWN FATHER
RESPONDENTS
JUV25-000479
SUMMONS
(ALLEGED ABUSED OR NEGLECTED CHILD)
TO: CASHARAYIA JOHNSON
UNKNOWN FATHER
KENNETH TURNER
AND ALL WHOM IT MAY CONCERN
You are hereby summoned to appear before the above-named Court in its courtroom at the Minnehaha County Courthouse, 425 North Dakota Avenue, Sioux Falls, South Dakota, on February 24th , 2026, at 10:00 AM to answer the Petition of Carrie Mees/Brianna Palomaki/Lyndee Kamrath, now on file with the Clerk of said Court, alleging the above named Child to be an abused/neglected Child and praying that said Child be taken from you and that a guardian be appointed with authority to consent to the adoption of said Child. You must appear at the time and place set forth above to show cause, if any you have, why said Child should not be found abused/neglected and the prayer of said Petition granted or said Child otherwise dealt with. Failure to appear is an admission to the allegation(s) contained in the Petition. You are further notified that the termination of parental rights is a possible remedy of these proceedings and that you and the above-named Child have the right to have an attorney present at all stages of the proceedings.
Dated at Sioux Falls, Minnehaha County, South Dakota, this 5th day of January, 2026.
KARLA KALB, Clerk
BY: /s/ Alyssa King (Cortez)
Deputy
Published once on Jan. 9, 2026, at the approximate cost of $24.15, and may be viewed free of charge at www.sdpublicnotices.com or TheDakotaScout.com.
-
PUBLISH: Jan. 9, 2026
STATE OF SOUTH DAKOTA
COUNTY OF MINNEHAHA
:SS IN CIRCUIT COURT
SECOND JUDICIAL CIRCUIT
THE PEOPLE OF THE STATE OF SOUTH DAKOTA
EX REL, SOUTH DAKOTA DEPARTMENT OF SOCIAL SERVICES, IN THE INTEREST OF,
S A, C B, A D,
ALLEGED ABUSED/NEGLECTED CHILDREN
AND CONCERNING
MODEBB CHARLES ALFORD
CARLOS A DURAN GARCIA
RESPONDENTS
JUV25-001313
SUMMONS
(ALLEGED ABUSED OR NEGLECTED CHILD)
TO: MODEBB CHARLES ALFORD
CARLOS A DURAN GARCIA
AND ALL WHOM IT MAY CONCERN
You are hereby summoned to appear before the above-named Court in its courtroom at the Minnehaha County Courthouse, 425 North Dakota Avenue, Sioux Falls, South Dakota, on February 4, 2026, at 9:00 AM to answer the Petition of Carrie Mees/Brianna Palomaki/Lyndee Kamrath, now on file with the Clerk of said Court, alleging the above named Children to be an abused/neglected Children and praying that said Children be taken from you and that a guardian be appointed with authority to consent to the adoption of said Children. You must appear at the time and place set forth above to show cause, if any you have, why said Children should not be found abused/neglected and the prayer of said Petition granted or said Children otherwise dealt with. Failure to appear is an admission to the allegation(s) contained in the Petition. You are further notified that the termination of parental rights is a possible remedy of these proceedings and that you and the above-named Children have the right to have an attorney present at all stages of the proceedings.
Dated at Sioux Falls, Minnehaha County, South Dakota, this 6th day of January, 2026.
KARLA KALB, Clerk
BY: /s/ Alyssa King (Cortez)
Deputy
Published once on Jan. 9, 2026, at the approximate cost of $24.48, and may be viewed free of charge at www.sdpublicnotices.com or TheDakotaScout.com.
The Dakota Scout is the official newspaper of the city of Sioux Falls, the Sioux Falls School District, the Harrisburg School District, Minnehaha and Lincoln counties, and the city of Baltic.







