Legals & Public Notices: February 6, 2026
City of Sioux Falls, Sioux Falls School District, Minnehaha County, Lincoln County, Public Notices, Name Changes, Notices to Creditors, Summons, Foreclosure Sales
CITY OF SIOUX FALLS
PUBLISH: Feb. 6, 2026
NOTICE OF HEARING UPON APPLICATIONS
FOR SALE OF ALCOHOLIC BEVERAGES
Notice is given that various Alcoholic Beverage Licenses are to be operated at various locations in Sioux Falls, South Dakota, as listed below.
The City Council will consider said applications at Carnegie Town Hall, 235 West Tenth Street, at 6:00 p.m., on February 17, 2026.
Any person interested may appear and be heard.
New 2026 Package Delivery License for Cellar 54 LLC, 716 South Highline Place.
Special One-Day Malt Beverage License for St Michael’s Parish, 1600 South Marion Road, for a fundraising event on February 28, 2026.
Special One-Day Malt Beverage Licenses for St Mary’s Church, 2109 South 5th Avenue, for fundraising events on February 20, March 6 & 20, 2026.
Jamie L. Palmer
Licensing Specialist
City Attorney’s Office
Published once on Feb. 6, 2026, at the approximate cost of $12.56, and may be viewed free of charge at www.sdpublicnotices.com or TheDakotaScout.com.
PUBLISH: Feb. 6, 2026
ORDINANCE NO. 10-26
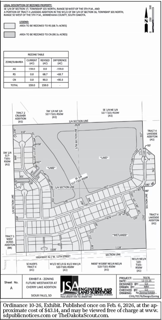
AN ORDINANCE OF THE CITY OF SIOUX FALLS, SD, REZONING PROPERTY LOCATED NORTH OF W. 12TH ST. AND WEST OF S. ELLIS RD. TO THE CN CONSERVATION AND RS SINGLE-FAMILY RESIDENTIAL—SUBURBAN DISTRICTS, NO. 022161-2025, AND AMENDING THE OFFICIAL ZONING MAP OF THE CITY OF SIOUX FALLS.
BE IT ORDAINED BY THE CITY OF SIOUX FALLS, SD:
Section 1. The SE1/4 of Section 17 and A Portion of Tract 4, Lakeside Addition all in T101N-R50W, As Shown by Exhibit, City of Sioux Falls, Minnehaha County, SD is hereby rezoned from the AG Agriculture District to the CN Conservation and RS Single-Family Residential—Suburban Districts and the official zoning map of the official zoning map of the City of Sioux Falls is amended to include the rezoning.
Date adopted: 02/02/26.
Vanessa Gomez for Paul TenHaken, Mayor
ATTEST:
Jermery J. Washington, City Clerk
Published once on Feb. 6, 2026, at the approximate cost of $13.21, and may be viewed free of charge at www.sdpublicnotices.com or TheDakotaScout.com.
-
PUBLISH: Feb. 6, 2026
-
PUBLISH: Feb. 6, 2026
ORDINANCE NO. 11-26
AN ORDINANCE OF THE CITY OF SIOUX FALLS, SD, REZONING PROPERTY LOCATED SOUTH OF E. 57TH ST. AND WEST OF VETERANS PKWY. FROM THE LW LIVE-WORK DISTRICT TO THE RA-3 APARTMENT RESIDENTIAL—HIGH DENSITY DISTRICT, NO. 022182-2025, AND AMENDING THE OFFICIAL ZONING MAP OF THE CITY OF SIOUX FALLS.
BE IT ORDAINED BY THE CITY OF SIOUX FALLS, SD:
Section 1. A portion of Tract 2, Hobson’s Addition in Section 8-T100N-R49W, As Shown by Exhibit, City of Sioux Falls, Lincoln County, SD is hereby rezoned from THE LW LIVE-WORK DISTRICT TO THE RA-3 APARTMENT RESIDENTIAL—HIGH DENSITY DISTRICT and the official zoning map of the official zoning map of the City of Sioux Falls is amended to include the rezoning.
Date adopted: 02/02/26.
Vanessa Gomez for Paul TenHaken, Mayor
ATTEST:
Jermery J. Washington, City Clerk
Published once on Feb. 6, 2026, at the approximate cost of $13.21, and may be viewed free of charge at www.sdpublicnotices.com or TheDakotaScout.com.
-
PUBLISH: Feb. 6, 2026
-
PUBLISH: Feb. 6 & Feb. 14, 2026
BID REQUEST NO.: 26-1059
NOTICE TO BIDDERS
The City of Sioux Falls, SD, requests formal bids for Event Center Building Improvements - Interior Renovations.
To participate, you must be registered as a vendor on the e-procurement portal. Register at siouxfalls.bonfirehub.com by selecting “New Vendor Registration” next to the login tab. After you have registered, navigate to the Open Public Opportunities tab to view this invitation for bid. Bids will be electronically submitted through the e-procurement portal and will be received by the portal not later than 2 p.m., Central time, February 26, 2026. Bids will be publicly opened and read at 3 p.m., Central time, City Hall, 224 W. 9th St., Sioux Falls, SD 57104. You may watch the bid opening virtually via Webex by utilizing information and links located at www.siouxfalls.gov/business-permits/bids-procurement/purchasing-bid-opening.
A Pre-Bid Meeting is scheduled for Tuesday, February 17, 2026, at 8:30 AM at the project site: Denny Sanford Premier Center, 1021 N. West Avenue, Sioux Falls, SD 57104. Interested bidders should assemble at the KELOLAND Box Office Lobby. Although attendance is encouraged, it is not a mandatory prerequisite to submitting a bid.
It is the bidder’s responsibility to check the e-procurement portal for any changes or updates to the Invitation to Bid, which will be in the form of an addendum posted to the portal.
Telegraphic, fax, email, and hand-delivered responses will not be accepted unless specifically authorized in the terms and conditions of the Invitation to Bid.
The City of Sioux Falls reserves the right to reject any or all bids, waive technicalities, and make award(s) as deemed to be in the best interest of Sioux Falls, SD.
Published twice on Feb. 6 & Feb. 13, 2026, at the approximate cost of $40.03, and may be viewed free of charge at www.sdpublicnotices.com or TheDakotaScout.com.
-
PUBLISH: Feb. 6 & Feb. 14, 2026
BID REQUEST NO. 26-0031
NOTICE TO BIDDERS
The City of Sioux Falls, SD, requests formal bids for the purchase of Compact Pickup Trucks.
To participate, you must be registered as a vendor in the e-procurement portal. Register at siouxfalls.bonfirehub.com by selecting “Register” next to the login tab. After you have registered, navigate to the Open Public Opportunities tab to view this invitation for bid. Bids will be electronically submitted through the e-procurement portal and will be received by the portal not later than 2 p.m., Central time, February 19, 2026. Immediately thereafter, the bids will be publicly opened and read at 3 p.m., Central time, City Hall, 224 W. 9th St., Sioux Falls, SD 57104. You may watch the bid opening virtually via Webex by utilizing information and links located at www.siouxfalls.gov/purchasing.
There will be a pre-bid meeting held on February 10, 2026, at 4 p.m. at the Fleet Conference Room, 1000 E. Chambers Ave., Sioux Falls, SD, 57104, for interested bidders.
It is the vendor’s responsibility to check the e-procurement portal for any changes or updates to the invitation for bid, which will be in the form of an addendum posted to the portal.
Telegraphic, fax, email, and hand-delivered responses will not be accepted unless specifically authorized in the terms and conditions of the solicitation.
The City of Sioux Falls reserves the right to reject any or all bids, waive technicalities, and make award(s) as deemed to be in the best interest of Sioux Falls, SD.
Published twice on Feb. 6 & Feb. 13, 2026, at the approximate cost of $40.03, and may be viewed free of charge at www.sdpublicnotices.com or TheDakotaScout.com.
-
PUBLISH: Feb. 6 & Feb. 14, 2026
BID REQUEST NO.: 26-1003
NOTICE TO BIDDERS
The City of Sioux Falls, SD, requests formal bids for 42nd & 46th Streets - Street & Utility Improvements.
To participate, you must be registered as a vendor on the e-procurement portal. Register at siouxfalls.bonfirehub.com by selecting “New Vendor Registration” next to the login tab. After you have registered, navigate to the Open Public Opportunities tab to view this invitation for bid. Bids will be electronically submitted through the e-procurement portal and will be received by the portal not later than 2 p.m., Central time, February 19, 2026. Bids will be publicly opened and read at 3 p.m., Central time, City Hall, 224 W. 9th St., Sioux Falls, SD 57104. You may watch the bid opening virtually via Webex by utilizing information and links located at www.siouxfalls.gov/business-permits/bids-procurement/purchasing-bid-opening.
It is the bidder’s responsibility to check the e-procurement portal for any changes or updates to the Invitation to Bid, which will be in the form of an addendum posted to the portal.
Telegraphic, fax, email, and hand-delivered responses will not be accepted unless specifically authorized in the terms and conditions of the Invitation to Bid.
The City of Sioux Falls reserves the right to reject any or all bids, waive technicalities, and make award(s) as deemed to be in the best interest of Sioux Falls, SD.
Published twice on Feb. 6 & Feb. 13, 2026, at the approximate cost of $33.07, and may be viewed free of charge at www.sdpublicnotices.com or TheDakotaScout.com.
-
PUBLISH: Feb. 6 & Feb. 14, 2026
BID REQUEST NO.: 26-1010
NOTICE TO BIDDERS
The City of Sioux Falls, SD, requests formal bids for W. Russell Street Concrete Rehabilitation - N. Louise Drive to N. Minnesota Avenue.
To participate, you must be registered as a vendor on the e-procurement portal. Register at siouxfalls.bonfirehub.com by selecting “New Vendor Registration” next to the login tab. After you have registered, navigate to the Open Public Opportunities tab to view this invitation for bid. Bids will be electronically submitted through the e-procurement portal and will be received by the portal not later than 2 p.m., Central time, February 26, 2026. Bids will be publicly opened and read at 3 p.m., Central time, City Hall, 224 W. 9th St., Sioux Falls, SD 57104. You may watch the bid opening virtually via Webex by utilizing information and links located at www.siouxfalls.gov/business-permits/bids-procurement/purchasing-bid-opening.
It is the bidder’s responsibility to check the e-procurement portal for any changes or updates to the Invitation to Bid, which will be in the form of an addendum posted to the portal.
Telegraphic, fax, email, and hand-delivered responses will not be accepted unless specifically authorized in the terms and conditions of the Invitation to Bid.
The City of Sioux Falls reserves the right to reject any or all bids, waive technicalities, and make award(s) as deemed to be in the best interest of Sioux Falls, SD.
Published twice on Feb. 6 & Feb. 13, 2026, at the approximate cost of $33.65, and may be viewed free of charge at www.sdpublicnotices.com or TheDakotaScout.com.
-
PUBLISH: Feb. 6 & Feb. 14, 2026
BID REQUEST NO.: 26-1023
NOTICE TO BIDDERS
The City of Sioux Falls, SD, requests formal bids for 20th Street Reconstruction - 7th Avenue to Cliff Avenue.
To participate, you must be registered as a vendor on the e-procurement portal. Register at siouxfalls.bonfirehub.com by selecting “New Vendor Registration” next to the login tab. After you have registered, navigate to the Open Public Opportunities tab to view this invitation for bid. Bids will be electronically submitted through the e-procurement portal and will be received by the portal not later than 2 p.m., Central time, February 26, 2026. Bids will be publicly opened and read at 3 p.m., Central time, City Hall, 224 W. 9th St., Sioux Falls, SD 57104. You may watch the bid opening virtually via Webex by utilizing information and links located at www.siouxfalls.gov/business-permits/bids-procurement/purchasing-bid-opening.
It is the bidder’s responsibility to check the e-procurement portal for any changes or updates to the Invitation to Bid, which will be in the form of an addendum posted to the portal.
Telegraphic, fax, email, and hand-delivered responses will not be accepted unless specifically authorized in the terms and conditions of the Invitation to Bid.
The City of Sioux Falls reserves the right to reject any or all bids, waive technicalities, and make award(s) as deemed to be in the best interest of Sioux Falls, SD.
Published twice on Feb. 6 & Feb. 13, 2026, at the approximate cost of $33.07, and may be viewed free of charge at www.sdpublicnotices.com or TheDakotaScout.com.
-
PUBLISH: Feb. 6 & Feb. 14, 2026
BID REQUEST NO.: 26-1035
NOTICE TO BIDDERS
The City of Sioux Falls, SD, requests formal bids for 2026 Sidewalk Repairs - Project 2.
To participate, you must be registered as a vendor on the e-procurement portal. Register at siouxfalls.bonfirehub.com by selecting “New Vendor Registration” next to the login tab. After you have registered, navigate to the Open Public Opportunities tab to view this invitation for bid. Bids will be electronically submitted through the e-procurement portal and will be received by the portal not later than 2 p.m., Central time, February 26, 2026. Bids will be publicly opened and read at 3 p.m., Central time, City Hall, 224 W. 9th St., Sioux Falls, SD 57104. You may watch the bid opening virtually via Webex by utilizing information and links located at www.siouxfalls.gov/business-permits/bids-procurement/purchasing-bid-opening.
It is the bidder’s responsibility to check the e-procurement portal for any changes or updates to the Invitation to Bid, which will be in the form of an addendum posted to the portal.
Telegraphic, fax, email, and hand-delivered responses will not be accepted unless specifically authorized in the terms and conditions of the Invitation to Bid.
The City of Sioux Falls reserves the right to reject any or all bids, waive technicalities, and make award(s) as deemed to be in the best interest of Sioux Falls, SD.
Published twice on Feb. 6 & Feb. 13, 2026, at the approximate cost of $32.59, and may be viewed free of charge at www.sdpublicnotices.com or TheDakotaScout.com.
-
PUBLISH: Jan. 30 & Feb. 6, 2026
BID REQUEST NO. 26-0029
NOTICE TO BIDDERS
The City of Sioux Falls, SD, requests formal bids for the sale of 9,000 Cubic Yards of Wood Chips (Biomass).
To participate, you must be registered as a vendor in the e-procurement portal. Register at siouxfalls.bonfirehub.com by selecting “Register” next to the login tab. After you have registered, navigate to the Open Public Opportunities tab to view this invitation for bid. Bids will be electronically submitted through the e-procurement portal and will be received by the portal not later than 2 p.m., Central time, February 12, 2026. Immediately thereafter, the bids will be publicly opened and read at 3 p.m., Central time, City Hall, 224 W. 9th St., Sioux Falls, SD 57104. You may watch the bid opening virtually via Webex by utilizing information and links located at www.siouxfalls.gov/purchasing.
It is the vendor’s responsibility to check the e-procurement portal for any changes or updates to the invitation for bid, which will be in the form of an addendum posted to the portal.
Telegraphic, fax, email, and hand-delivered responses will not be accepted unless specifically authorized in the terms and conditions of the solicitation.
The City of Sioux Falls reserves the right to reject any or all bids, waive technicalities, and make award(s) as deemed to be in the best interest of Sioux Falls, SD.
Published twice on Jan. 30 & Feb. 6, 2026, at the approximate cost of $31.90, and may be viewed free of charge at www.sdpublicnotices.com or TheDakotaScout.com.
-
PUBLISH: Jan. 30 & Feb. 6, 2026
BID REQUEST NO.: 26-0030
NOTICE TO BIDDERS
The City of Sioux Falls, SD, requests formal bids for Patrol Vehicles.
To participate, you must be registered as a vendor on the e-procurement portal. Register at siouxfalls.bonfirehub.com by selecting “New Vendor Registration” next to the login tab. After you have registered, navigate to the Open Public Opportunities tab to view this invitation for bid. Bids will be electronically submitted through the e-procurement portal and will be received by the portal not later than 2 p.m., Central time, February 12, 2026. Bids will be publicly opened and read at 3 p.m., Central time, City Hall, 224 W. 9th St., Sioux Falls, SD 57104. You may watch the bid opening virtually via Webex by utilizing information and links located at www.siouxfalls.gov/business-permits/bids-procurement/purchasing-bid-opening.
It is the bidder’s responsibility to check the e-procurement portal for any changes or updates to the Invitation to Bid, which will be in the form of an addendum posted to the portal.
Telegraphic, fax, email, and hand-delivered responses will not be accepted unless specifically authorized in the terms and conditions of the Invitation to Bid.
The City of Sioux Falls reserves the right to reject any or all bids, waive technicalities, and make award(s) as deemed to be in the best interest of Sioux Falls, SD.
Published twice on Jan. 30 & Feb. 6, 2026, at the approximate cost of $32.49, and may be viewed free of charge at www.sdpublicnotices.com or TheDakotaScout.com.
-
PUBLISH: Jan. 30 & Feb. 6, 2026
BID REQUEST NO.: 26-1019
NOTICE TO BIDDERS
The City of Sioux Falls, SD, requests formal bids for 2026 Slurry Seal for Sioux Falls & Surrounding Communities.
To participate, you must be registered as a vendor on the e-procurement portal. Register at siouxfalls.bonfirehub.com by selecting “New Vendor Registration” next to the login tab. After you have registered, navigate to the Open Public Opportunities tab to view this invitation for bid. Bids will be electronically submitted through the e-procurement portal and will be received by the portal not later than 2 p.m., Central time, February 19, 2026. Bids will be publicly opened and read at 3 p.m., Central time, City Hall, 224 W. 9th St., Sioux Falls, SD 57104. You may watch the bid opening virtually via Webex by utilizing information and links located at www.siouxfalls.gov/business-permits/bids-procurement/purchasing-bid-opening.
It is the bidder’s responsibility to check the e-procurement portal for any changes or updates to the Invitation to Bid, which will be in the form of an addendum posted to the portal.
Telegraphic, fax, email, and hand-delivered responses will not be accepted unless specifically authorized in the terms and conditions of the Invitation to Bid.
The City of Sioux Falls reserves the right to reject any or all bids, waive technicalities, and make award(s) as deemed to be in the best interest of Sioux Falls, SD.
Published twice on Jan. 30 & Feb. 6, 2026, at the approximate cost of $33.07, and may be viewed free of charge at www.sdpublicnotices.com or TheDakotaScout.com.
-
PUBLISH: Feb. 6, 2026
MINUTES
Regular City Council Meeting
Monday, February 2, 2026, at 6:00 PM
Carnegie Town Hall, 235 West 10th St., Sioux Falls, South Dakota 57104
CALL TO ORDER
1. MEETING ROLL CALL
Present: Council Member Curt Soehl, Council Member Ryan Spellerberg, Council Member Richard L. Thomason, Council Member David Barranco (via telecom), Council Member Miranda Basye, Council Member Vernon Brown (via telecom), Council Member Rich Merkouris, Council Member Jennifer Sigette
Absent: Mayor Paul TenHaken
2. INVOCATION
• Dr. Ron Tottingham, Empire Baptist Temple
3. PLEDGE OF ALLEGIANCE
CONSENT AGENDA
4. APPROVAL OF THE CONSENT AGENDA
A request was made by Council Member Basye to place the following item from the Consent Agenda onto the Regular Agenda for Council discussion: Agenda Item 6: Sub-Item 8, Contract 26-1025.
Due to technical issues, Councilors Barranco and Brown were unable to vote.
A motion was made by Council Member Basye and seconded by Council Member Thomason to approve the Consent Agenda.
Roll call vote to approve. 6 Yes: Soehl, Spellerberg, Thomason, Basye, Merkouris, Sigette; 0 No: (None). Motion Passed.
5. APPROVAL OF MINUTES
• City Council Meeting of Tuesday, January 20, 2026
• Informational Meeting of Tuesday, January 27, 2026
COMMUNICATIONS
6. Approval of contracts/agreements over $100K on the memorandum dated January 30, 2026.
A motion was made by Council Member Basye and seconded by Council Member Spellerberg to approve Sub-Item 8; Contract 26-1025; Parks & Recreation; Aquatic Facilities Improvements: Westside Recreation Center - Roof Maintenance & Replacement - To Award a Bid; Van Buskirk Construction, Inc.; $1,124,800.
Roll call vote to approve. 6 Yes: Soehl, Spellerberg, Thomason, Basye, Merkouris, Sigette; 0 No: (None). Motion Passed.
7. Approval of surplus property disposition on the memorandum dated December 31, 2025.
8. Approval of a request pursuant to SDCL 35-1-5.5 from History Club of Sioux Falls to consume, but not sell, alcoholic beverages at the History Club, 758 S. Phillips Ave., on February 3, March 3, April 7, May 5, and June 2, 2026.
9. Approval of a request pursuant to SDCL 35-1-5.5 from Augustana University to consume, but not sell, alcoholic beverages at Rydell School of Business, 2301 S. Summit Ave., on April 27, 2026.
10. Approval of a request pursuant to SDCL 35-1-5.5 from Augustana University to consume, but not sell, alcoholic beverages at Rydell School of Business, 2301 S. Summit Ave., on May 14, 2026.
11. Approval of the SIOUXPERHERO Committee’s recommendation that the City Council award the SIOUXPERHERO Citizen Recognition Award to: Lieutenant Kurt Schaunaman.
APPLICATIONS
12. Special One-Day Liquor Licenses for T Slat Inc., to be operated at the Midco Arena, 2510 South Grange Avenue, for club hockey on February 6, 7, 13 & 14, 2026.
13. Special One-Day Malt Beverage License for T Slat Inc., to be operated at Elmen Center, 2505 South Grange Avenue, for wrestling on February 6, 2026.
14. Special One-Day Liquor License for T Slat Inc., to be operated at Avera Specialty Hospital, 6100 South Louise Avenue, for Hearts in Healing on February 7, 2026.
15. Special One-Day Liquor License for T Slat Inc., to be operated at JJ’s Axes & Ales, 3016 West 57th Street, for a holiday party on February 7, 2026.
16. Special One-Day Malt Beverage Licenses for T Slat Inc., to be operated at Elmen Center, 2505 South Grange Avenue, for basketball games on February 12 & 14, 2026.
17. Special One-Day Malt Beverage and Special One-Day Wine Licenses for a MR2T LLC to be operated at First Bank & Trust, 110 North Minnesota Avenue Unit 100, for a Chamber mixer on March 10, 2026.
18. Special One-Day Malt Beverage and Special One-Day Wine Licenses for MR2T LLC to be operated at Cherapa Place Interconnect, 300 North Cherapa Place, for a reunion on June 20, 2026.
19. Special One-Day Liquor Licenses for True North Sports LLC, to be operated at 1111 North West Avenue (portion of lot located directly south of stadium), for the Lally Cooler Festival on July 10 & 11, 2026.
The City Council concurs with the Minnehaha County Commission’s recommendation for approval of the following abatements:
20. Parcel #39304, for 2023 property taxes in the amount of $173.40. Reason: Applicant qualifies for exemption under SDCL 10-4-40 & 10-4-41 (Disabled Veteran).
21. Parcel #39304, for 2024 property taxes in the amount of $1,965.63. Reason: Applicant qualifies for exemption under SDCL 10-4-40 & 10-4-41 (Disabled Veteran).
22. Parcel #39304, for 2025 property taxes in the amount of $2,602.73. Reason: Applicant qualifies for exemption under SDCL 10-4-40 & 10-4-41 (Disabled Veteran).
23. Parcel #28829, for 2025 property taxes in the amount of $1,962.01. Reason: Applicant qualifies for exemption under SDCL 10-4-40 & 10-4-41 (Disabled Veteran).
24. Parcel #31888, for 2025 property taxes in the amount of $1,841.01. Reason: Applicant qualifies for exemption under SDCL 10-4-40 & 10-4-41 (Disabled Veteran).
25. Parcel #33739, for 2025 property taxes in the amount of $2,602.74. Reason: Applicant qualifies for exemption under SDCL 10-4-40 & 10-4-41 (Disabled Veteran).
26. Parcel #35391, for 2025 property taxes in the amount of $2,602.73. Reason: Applicant qualifies for exemption under SDCL 10-4-40 & 10-4-41 (Disabled Veteran).
27. Parcel #36788, for 2025 property taxes in the amount of $2,602.74. Reason: Applicant qualifies for exemption under SDCL 10-4-40 & 10-4-41 (Disabled Veteran).
28. Parcel #37012, for 2025 property taxes in the amount of $990.65. Reason: Applicant qualifies for exemption under SDCL 10-4-40 & 10-4-41 (Disabled Veteran).
29. Parcel #39745, for 2025 property taxes in the amount of $2,602.74. Reason: Applicant qualifies for exemption under SDCL 10-4-40 & 10-4-41 (Disabled Veteran).
30. Parcel #40874, for 2025 property taxes in the amount of $440.58. Reason: Applicant qualifies for exemption under SDCL 10-4-40 & 10-4-41 (Disabled Veteran).
31. Parcel #45399, for 2025 property taxes in the amount of $2,602.76. Reason: Applicant qualifies for exemption under SDCL 10-4-40 & 10-4-41 (Disabled Veteran).
NOTICE OF HEARINGS
32. Set a date of hearing for Tuesday, February 17, 2026. New 2026 Package Delivery License for Cellar 54 LLC, 716 South Highline Place.
33. Set a date of hearing for Tuesday, February 17, 2026. Special One-Day Malt Beverage License for St Michael’s Parish, 1600 South Marion Road, for a fundraising event on February 28, 2026.
34. Set a date of hearing for Tuesday, February 17, 2026. Special One-Day Malt Beverage Licenses for St Mary’s Church, 2109 South 5th Avenue, for fundraising events on February 20, March 6 & 20, 2026.
REGULAR AGENDA
35. APPROVAL OF THE REGULAR AGENDA
A motion was made by Council Member Thomason and seconded by Council Member Basye to recess for five minutes to work on the technology issues.
Voice vote to recess. 6 Yes: Soehl, Spellerberg, Thomason, Basye, Merkouris, Sigette; 0 No: (None). Motion Passed.
During the recess, the sound was muted. The technology issues were not resolved and Councilors Barranco and Brown were unable to participate in the meeting.
A motion was made by Council Member Sigette and seconded by Council Member Spellerberg to approve the Regular Agenda.
A motion was made by Council Member Soehl and seconded by Council Member Spellerberg to amend by moving Item 44 after Item 41.
Roll call vote to amend. 6 Yes: Soehl, Spellerberg, Thomason, Basye, Merkouris, Sigette; 0 No: (None). Motion Passed.
Roll call vote to approve, as amended. 6 Yes: Soehl, Spellerberg, Thomason, Basye, Merkouris, Sigette; 0 No: (None). Motion Passed.
UNFINISHED BUSINESS
Item 6 was heard at this time. See item for action taken.
The sound resumed at this time.
36. New 2026 Retail Wine License for Oh My Cupcakes LLC, 5015 South Western Avenue, Suite 290.
37. Transfer of 2025-26 Retail Malt Beverage License, including video lottery placement, from Sandtrap Inc., 811 South Marion Road, to MG Oil Company, 811 South Marion Road.
38. Special One-Day Liquor License for Sioux Empire Community Theatre, to be operated at the Premiere Playhouse, 300 North Phillips Avenue, Suite 120, for a fundraising event on February 11, 2026.
39. Transfer of 2025-26 Retail Malt Beverage License, including video lottery placement, from Sandtrap Inc., 815 South Marion Road, to MG Oil Company, 815 South Marion Road.
40. Special One Day Malt Beverage License for Siouxland Heritage Museums to be operated at the Old Courthouse Museum, 200 West 6th Street, for a dance on March 17, 2026.
A motion was made by Council Member Spellerberg and seconded by Council Member Basye to approve Items 36 - 40.
Roll call vote to approve. 6 Yes: Soehl, Spellerberg, Thomason, Basye, Merkouris, Sigette; 0 No: (None). Motion Passed.
INTRODUCTION AND ADOPTION OF ORDINANCES
ORDINANCE SECOND READINGS
41. 2nd Reading: AN ORDINANCE OF THE CITY OF SIOUX FALLS, SD, REZONING PROPERTY LOCATED NORTH OF W. 12TH ST. AND WEST OF S. ELLIS RD. TO THE CN CONSERVATION AND RS SINGLE-FAMILY RESIDENTIAL—SUBURBAN DISTRICTS, NO. 022161-2025, AND AMENDING THE OFFICIAL ZONING MAP OF THE CITY OF SIOUX FALLS. The Planning Commission recommends approval (5-0).
Private Applicant(s): Crusher Investment Company, LLC – Jim Soukup
A motion was made by Council Member Sigette and seconded by Council Member Basye to adopt Ordinance No. 10-26.
Roll call vote to adopt. 6 Yes: Soehl, Spellerberg, Thomason, Basye, Merkouris, Sigette; 0 No: (None). Motion Passed.
42. 2nd Reading: AN ORDINANCE OF THE CITY OF SIOUX FALLS, SD, REZONING PROPERTY LOCATED SOUTH OF E. 57TH ST. AND WEST OF VETERANS PKWY. FROM THE LW LIVE-WORK DISTRICT TO THE RA-3 APARTMENT RESIDENTIAL—HIGH DENSITY DISTRICT, NO. 022182-2025, AND AMENDING THE OFFICIAL ZONING MAP OF THE CITY OF SIOUX FALLS. The Planning Commission recommends approval (5-0).
Private Applicant(s): 5711, LLC – Brady Hyde
A motion was made by Council Member Basye and seconded by Council Member Spellerberg to adopt Ordinance No. 11-26.
Roll call vote to adopt. 6 Yes: Soehl, Spellerberg, Thomason, Basye, Merkouris, Sigette; 0 No: (None). Motion Passed.
ORDINANCE FIRST READINGS
43. 1st Reading: AN ORDINANCE OF THE CITY OF SIOUX FALLS, SD, AUTHORIZING THE MAYOR TO ENTER INTO A “CONDITIONAL GIFTING AND NAMING AGREEMENT FOR A FUTURE CASH GIFT FOR THE CONSTRUCTION OF THE FRANK OLSON RECREATION CENTER LOCATED AT FRANK OLSON PARK.”
Sponsor: Mayor
A motion was made by Council Member Spellerberg and seconded by Council Member Basye to set a date of 2nd Reading for Tuesday, February 10, 2026 for Item 43.
Roll call vote to set a date of 2nd Reading. 6 Yes: Soehl, Spellerberg, Thomason, Basye, Merkouris, Sigette; 0 No: (None). Motion Passed.
HEARINGS AND RESOLUTIONS
44. A RESOLUTION OF THE CITY OF SIOUX FALLS APPROVING THE PRELIMINARY PLAN OF WESTWATER AT CHERRY LAKE ADDITION. The Planning Commission recommends approval (5-0).
Private Applicant(s): Crusher Investment Company, LLC – Jim Soukup
A motion was made by Council Member Sigette and seconded by Council Member Basye to adopt Resolution No. 10-26.
Roll call vote to adopt. 6 Yes: Soehl, Spellerberg, Thomason, Basye, Merkouris, Sigette; 0 No: (None). Motion Passed.
RESOLUTION NO. 10-26
A RESOLUTION OF THE CITY OF SIOUX FALLS APPROVING THE PRELIMINARY PLAN OF WESTWATER AT CHERRY LAKE ADDITION.
BE IT RESOLVED BY THE CITY OF SIOUX FALLS, SD:
That the preliminary plan of Westwater at Cherry Lake Addition to the City of Sioux Falls, Minnehaha County, SD, is hereby approved, and the City Clerk of the City of Sioux Falls is hereby directed to endorse on such plan a copy of this resolution and certify the same thereon.
Date adopted: 02/02/26.
Vanessa Gomez
for Paul TenHaken, Mayor
ATTEST:
Jermery J. Washington, City Clerk
45. RESOLUTION ADVISING AND GIVING CONSENT TO THE APPOINTMENT OF MEMBERS TO CERTAIN CITIZEN BOARDS.
Sponsor: Mayor
A motion was made by Council Member Basye and seconded by Council Member Spellerberg to adopt Resolution No. 11-26.
Roll call vote to adopt. 6 Yes: Soehl, Spellerberg, Thomason, Basye, Merkouris, Sigette; 0 No: (None). Motion Passed.
RESOLUTION NO. 11-26
RESOLUTION ADVISING AND GIVING CONSENT TO THE APPOINTMENT OF MEMBERS TO CERTAIN CITIZEN BOARDS.
BE IT RESOLVED BY THE CITY OF SIOUX FALLS, SD:
That it gives its advice and consent to the following Mayoral appointments:
Name Board Term
Brian Eich Plumbing Board of Appeals and Examiners Reappointed for a term from January 2026 to January 2029.
Christopher Litterick Plumbing Board of Appeals and Examiners Appointed for a term from January 2026 to January 2029.
Wendy Butler-Boyesen Public Transit Advisory Board Appointed for a term from February 2026 to February 2029.
Sam Cooper
Solid Waste Planning Board Appointed for a term from February 2026 to February 2029 (Citizen representative).
Date adopted: 02/02/26.
Vanessa Gomez
for Paul TenHaken, Mayor
ATTEST:
Jermery J. Washington, City Clerk
46. A RESOLUTION APPROVING THE FALLS PARK MASTER PLAN.
Sponsor: Mayor
A motion was made by Council Member Sigette and seconded by Council Member Basye to adopt Resolution No. 12-26.
Roll call vote to adopt. 5 Yes: Spellerberg, Thomason, Basye, Merkouris, Sigette; 1 No: Soehl. Motion Passed.
RESOLUTION NO. 12-26
A RESOLUTION APPROVING THE FALLS PARK MASTER PLAN.
WHEREAS, Sioux Falls Parks and Recreation has prepared a master plan for Falls Park; and
WHEREAS, on January 21, 2026, the Sioux Falls Parks and Recreation Board recommended that the City Council approval the master plan for Falls Park; and
WHEREAS, the master plan for Falls Park has merit and is of benefit to the City and its systems of parks;
NOW, THEREFORE, BE IT RESOLVED BY THE CITY OF SIOUX FALLS, SD:
1. That the City approves the master plan for Falls Park, which is attached hereto and made part of this resolution.
2. That the City shall publish this resolution, without attachment, after its passage. The attachment is on file and available for inspection in the office of the City Clerk.
Date adopted: 02/02/26 .
Vanessa Gomez
for Paul TenHaken, Mayor
ATTEST:
Jermery J. Washington, City Clerk
REPORT OF OFFICERS/BOARDS/COMMITTEES/TRANSFERS OF UNENCUMBERED APPROPRIATION BALANCES AMONG PROGRAMS WITHIN A DEPARTMENT OR ORGANIZATIONAL UNIT AS PROVIDED IN THE SIOUX FALLS CITY CHARTER SECTION 5.07(d)
47. NOTICE OF TRANSFER OF APPROPRIATIONS ON THE MEMORANDUM DATED: December 31, 2025.
NEW BUSINESS
There was none.
GENERAL PUBLIC INPUT
The following items were discussed: the Let Sioux Falls Vote petition drive; how people showed up in below zero temperatures, to gather 5,012 signatures; people looking for leadership; lack of trust in federal, state, and local government; how there needs to be transparency in local government; how the terrorism in Minnesota is also happening in Sioux Falls; and the health concerns generated from data centers.
ADJOURNMENT
A motion was made by Council Member Sigette and seconded by Council Member Basye to adjourn at 6:52 p.m.
Voice vote to adjourn. 6 Yes: Soehl, Spellerberg, Thomason, Basye, Merkouris, Sigette; 0 No: (None). Motion Passed.
Denise D. Tucker, MMC, Assistant City Clerk
Published once on Feb. 6, 2026, at the approximate cost of $177.19, and may be viewed free of charge at www.sdpublicnotices.com or TheDakotaScout.com.
SIOUX FALLS SCHOOL DISTRICT
PUBLISH: Feb. 6, 2026
ADVERTISEMENT FOR BIDS
Publish Dates: February 6th & 13th
Sealed bids for Asphalt Repair and Replacement Project at Various Buildings PD #3527 will be received at the Central Services Center, Purchasing Department, 1101 N. Western Ave., Sioux Falls, South Dakota, 57104, up until 2:00 PM, Thursday, February 26, 2026. Bids will be publicly opened, read, and tabulated 2:00 PM of said day in the Central Services Center. Bids will be presented to the School Board at the next succeeding regular Board meeting, all in accordance with Board policy. Specifications and Bid Forms may be obtained at https://www.sf.k12.sd.us/page/pending-bids-and-request-for-proposals or the Purchasing Department in the Central Services Center, 1101 N. Western Ave., Sioux Falls, South Dakota. Inquiries should be sent to Jeffrey.Kreiter@k12.sd.us. All bids and contracts shall be made in accordance with and subject to SDCL 5-18A, 5-18B, 5-18C, 5-18D, 5-21, 5-22 and the provisions set forth in the specifications. The School Board reserves the right to reject any and all bids or parts thereof, and to waive any irregularities. School Board, Sioux Falls School District 49-5 of Minnehaha County, South Dakota. By: Todd Vik, Business Manager, Finance. This notice may be viewed free of charge on a 13 statewide public notice website maintained pursuant to § 17-2-1.
Published twice on Feb. 6 & Feb. 13, 2026, at the approximate cost of $31.33, and may be viewed free of charge at www.sdpublicnotices.com or TheDakotaScout.com.
-
PUBLISH: Feb. 6, 2026
ADVERTISEMENT FOR BIDS
Publish Dates: February 6th & 13th
Sealed bids for John F Kennedy Elementary Drop-off Lane Reconstruction PD # 3528 will be received at the Central Services Center, 1101 North Western Avenue, Sioux Falls, South Dakota, 57104, up until 2:00 PM, Thursday, February 19, 2026. Bids will be publicly opened, read, and tabulated 2:00 PM of said day in the Central Services Center. Bids will be presented to the School Board at the next succeeding regular Board meeting, all in accordance with Board policy. All bids shall be made in accordance with forms and specifications attached to and made a part of the proposed contract documents. Contract documents, plans, and specifications are available by contacting Sayre Associates, Inc. at (605) 332-7211 or online at plans.sayreassociates.com. All bids and contracts shall be made in accordance with and subject to SDCL 5-18A, 5-18B, 5-18C, 5-18D, 5-21, 5-22 and the provisions set forth in the specifications. The School Board reserves the right to reject any and all bids or parts thereof, and to waive any irregularities. School Board, Sioux Falls School District 49-5 of Minnehaha County, South Dakota. By:Todd Vik, Business Manager. This notice may be viewed free of charge on a 13 statewide public notice website maintained pursuant to § 17-2-1.
Published twice on Feb. 6 & Feb. 13, 2026, at the approximate cost of $31.33, and may be viewed free of charge at www.sdpublicnotices.com or TheDakotaScout.com.
-
PUBLISH: Feb. 6, 2026
ADVERTISEMENT FOR BIDS
Publish Dates: February 6th & 13th
Sealed bids for Floor Finish PD #3529 will be received at the Central Services Center, Purchasing Department, 1101 North Western Avenue, Sioux Falls, South Dakota, 57104, up until 11:00 AM, Friday, February 20, 2026. Bids will be publicly opened, read, and tabulated 11:00 AM of said day in the Central Services Center. Bids will be presented to the School Board at the next succeeding regular Board meeting, all in accordance with Board policy. Specifications and Bid Forms may be obtained at https://www.sf.k12.sd.us/page/pending-bids-and-request-for-proposals or the Purchasing Department in the Central Services Center, 1101 North Western Avenue, Sioux Falls, South Dakota. All bids and contracts shall be made in accordance with and subject to SDCL 5-18A, 5-18B, 5-18C, 5-18D, 5-21, 5-22 and the provisions set forth in the specifications. The School Board reserves the right to reject any and all bids or parts thereof, and to waive any irregularities. School Board, Sioux Falls School District 49-5 of Minnehaha County, South Dakota. By: Todd Vik, Business Manager. This notice may be viewed free of charge on a 13 statewide public notice website maintained pursuant to § 17-2-1.
Published twice on Feb. 6 & Feb. 13, 2026, at the approximate cost of $29.59, and may be viewed free of charge at www.sdpublicnotices.com or TheDakotaScout.com.
-
PUBLISH: Feb. 6, 2026
ADVERTISEMENT FOR BIDS
Publish Dates: February 6th & 13th
Sealed bids for Cleaning Chemical Dilution System PD #3530 will be received at the Central Services Center, Purchasing Department, 1101 North Western Avenue, Sioux Falls, South Dakota, 57104, up until 11:00 AM, Monday, February 23, 2026. Bids will be publicly opened, read, and tabulated 11:00 AM of said day in the Central Services Center. Bids will be presented to the School Board at the next succeeding regular Board meeting, all in accordance with Board policy. Specifications and Bid Forms may be obtained at https://www.sf.k12.sd.us/page/pending-bids-and-request-for-proposals or the Purchasing Department in the Central Services Center, 1101 North Western Avenue, Sioux Falls, South Dakota. All bids and contracts shall be made in accordance with and subject to SDCL 5-18A, 5-18B, 5-18C, 5-18D, 5-21, 5-22 and the provisions set forth in the specifications. The School Board reserves the right to reject any and all bids or parts thereof, and to waive any irregularities. School Board, Sioux Falls School District 49-5 of Minnehaha County, South Dakota. By: Todd Vik, Business Manager. This notice may be viewed free of charge on a 13 statewide public notice website maintained pursuant to § 17-2-1.
Published twice on Feb. 6 & Feb. 13, 2026, at the approximate cost of $30.17, and may be viewed free of charge at www.sdpublicnotices.com or TheDakotaScout.com.
-
PUBLISH: Jan. 30 & Feb. 6, 2026
ADVERTISEMENT FOR BIDS
Publish Dates: January 30th & February 6th
Sealed bids for Roof Repair and Replacement Project at Various Buildings PD #3526 will be received at the Central Services Center, Purchasing Department, 1101 N. Western Ave., Sioux Falls, South Dakota, 57104, up until 2:00 PM, Tuesday, February 24, 2026. Bids will be publicly opened, read, and tabulated 2:00 PM of said day in the Central Services Center. Bids will be presented to the School Board at the next succeeding regular Board meeting, all in accordance with Board policy. Specifications and Bid Forms may be obtained at https://www.sf.k12.sd.us/page/pending-bids-and-request-for-proposals or the Purchasing Department in the Central Services Center, 1101 N. Western Ave., Sioux Falls, South Dakota. Inquiries should be sent to Jeffrey.Kreiter@k12.sd.us. All bids and contracts shall be made in accordance with and subject to SDCL 5-18A, 5-18B, 5-18C, 5-18D, 5-21, 5-22 and the provisions set forth in the specifications. The School Board reserves the right to reject any and all bids or parts thereof, and to waive any irregularities. School Board, Sioux Falls School District 49-5 of Minnehaha County, South Dakota. By: Todd Vik, Business Manager, Finance. This notice may be viewed free of charge on a 13 statewide public notice website maintained pursuant to § 17-2-1.
Published twice on Jan. 30 & Feb. 6, 2026, at the approximate cost of $31.33, and may be viewed free of charge at www.sdpublicnotices.com or TheDakotaScout.com.
MINNEHAHA COUNTY
PUBLISH: Feb. 6, 2026
NOTICE OF HEARING
Notice is hereby given that on February 24, 2026 at or after 9:00 a.m. the Minnehaha County Board of Commissioners will conduct a public hearing on the following amendments to Ordinance MC16-90 the 1990 Revised Zoning Ordinance for Minnehaha County. Such hearing will be part of the regularly scheduled meeting to be held in the Commission Room of the County Administration Building, 415 N Dakota Ave., Sioux Falls, SD.
REZONE from the A-1 Agricultural District to the C Commercial District, property legally described as: Lot 3 Milstead Addition in the NE¼ SE¼ of Section 21 T101-R51W, Minnehaha County, SD.
All interested persons may appear and be heard.
Meeting Assistance: Accommodations for meetings will be provided for persons with disabilities upon request. Please contact the County Commission Office at (605) 367-4206 (Voice or TDD) 24 hours in advance of the meeting.
Published once on Feb. 6, 2026, at the approximate cost of $12.56, and may be viewed free of charge at www.sdpublicnotices.com or TheDakotaScout.com.
-
PUBLISH: Feb. 6, 2026
NOTICE OF HEARING
Notice is hereby given that on February 24, 2026 at 9:00 a.m. the Minnehaha Board of County Commissioners will conduct a public hearing on the following amendment to Ordinance MC16-90 1990 Revised Zoning Ordinance for Minnehaha County. Such hearing will be part of the scheduled meeting to be held in the Commission Room of the County Administration Building, 415 N. Dakota Ave., Sioux Falls, SD.
REZONE from A1 Agriculture District to the Ransom Planned Development District on the property legally described as: Tract B & Tract C Schreurs’ Addition (Ex. H-1) S½ SE¼ Section 23 T103N-R49W Sverdrup Township, Minnehaha County, SD.
All interested persons may appear and be heard.
Meeting Assistance: Accommodations for meetings will be provided for persons with disabilities upon request. Please contact the County Commission Office at (605) 367-4206 (Voice or TDD) 24 hours in advance of the meeting.
Dated: February 2, 2026
Leah Anderson, County Auditor
Published once on Feb. 6, 2026, at the approximate cost of $13.85, and may be viewed free of charge at www.sdpublicnotices.com or TheDakotaScout.com.
-
PUBLISH: Feb. 6, 2026
THE MINNEHAHA COUNTY COMMISSION CONVENED
AT 9:00 AM on February 3, 2026, pursuant to adjournment on January 27, 2026. COMMISSIONERS PRESENT WERE: Beninga, Bleyenberg, Heisey, Karsky, and Kippley. Also present were Kym Christiansen, Commission Recorder, and Eric Bogue, Chief Civil Deputy State’s Attorney.
Chair Karsky called the meeting to order.
MOTION by Kippley, seconded by Heisey, to Approve the Agenda. 5 ayes
CONSENT AGENDA
MOTION by Heisey, seconded by Beninga, to Approve the Consent Agenda. By roll call vote: 5 ayes. The consent agenda includes the following items:
Commission Meeting Minutes for January 27, 2026
Bills to be Paid $473,781.97
3200 RUSSELL LLC Motels $2640, 5POINT CAPITAL LLC Welfare Rent $842.68, A&B BUSINESS SOLUT Lease-Rental Agreement $101.75, A&B BUSINESS SOLUT Maintenance Contracts $291.61, A&B BUSINESS SOLUT Office Supplies $36.95, AARON GEORGE PROPERT Welfare Rent $1550, ABN ARMY SURPLUS COR Uniform Allowance $300, ACTIVE DATA SYSTEMS Records Storage $1510, ADVANCED TECH INC Data Processing Equipment $30456.04, AFFORDABLE HOUSING S Welfare Rent $828, AIRWAY SERVICE INC Automotive/Small Equipment $2128.71, AIRWAY SERVICE INC Gas Oil & Diesel $126.97, AJ PROPERTY Welfare Rent $795, ALL NATIONS INTERPRE Interpreters $7591.75, AMAZON CAPITAL SERVI Furniture & Office Equipment $546.08, ANDERSON, JENNIFER Bd Evaluations (Minnehaha) $4134.08, ANDERSON, MICHAEL Welfare Rent $700, ARI SHOW Program Activities $100, AVERA MCKENNAN Hospitals $6111, BANGS,MCCULLEN,BUTLE Attorney Fees $3848, BEAMAN, SUSAN Business Travel $102.2, BECK, JEFFREY R Attorney Fees $7562, BLACKBURN & STEVENS Attorney Fees $631.56, BOARD OF POLICE COMM Expert Witness Fees & Expenses $1023, BOB BARKER COMPANY I Inmate Supplies $1420.16, BOUNDARY PHASE 2 LLC Welfare Rent $2800, BRANDON HEIGHTS LTD Welfare Rent $900, BRIDGEWOOD APARTMENT Welfare Rent $500, BROUWER, RICHARD Welfare Rent $325, BURNS, JASON Investigators Expenses $127.4, C & R SUPPLY INC Truck Repairs & Maintenance $42.6, CENTURY BUSINESS PRO Data Processing Equipment $4075.55, CENTURY BUSINESS PRO Maintenance Contracts $254.59, CERTIFIED LANGUAGES Interpreters $255.75, CHAGOLLA, ALBERT Interpreters $250, CINTAS CORPORATION Janitorial Chemical Supplies $177.31, CINTAS CORPORATION Uniform Allowance $50.7, COMPUTER FORENSIC RE Child Defense Attorney $299.16, COUNTRY MEADOWS SF L Welfare Rent $1736, COUNTRY VIEW LLC Welfare Rent $1400, CPI/GUARDIAN Inmate Supplies $7345.54, DAKOTA EMBALMING & T Transportation $13600, DAKOTA SPLASH Water - Sewer $188.3, DAKOTALAND AUTOGLASS Automotive/Small Equipment $119.98, DAKOTALAND AUTOGLASS Truck Repairs & Maintenance $299.98, DECASTRO LAW OFFICE Attorney Fees $2928, DELL MARKETING LP Data Processing Equipment $1633.66, DERHAGOPIAN LAW PROF Attorney Fees $1008, DERHAGOPIAN LAW PROF Child Defense Attorney $2016, EH HOSPITALITY LLC Welfare Rent $600, EICH LAW OFFICE LLC Attorney Fees $3792.4, ENVIRONMENTAL BUILDI Building Repairs & Maintenance $976.15, EXHAUST PROS OF SIOU Automotive/Small Equipment $546.25, FLEETPRIDE INC Truck Repairs & Maintenance $6.19, GAME STOP Juvenile Diversion Restitution $119.99, GOEBEL PRINTING INC Printing/Forms $1438.09, GOLDEN CREEK Welfare Rent $1000, GOLDEN WEST Telephone $63.95, GREAT PLAINS Welfare Rent $500, GUARDIAN RFID Safety & Rescue Equipment $17.7, GUZMAN, SANDRA V Interpreters $600, HANSON, MICHAEL W Attorney Fees $780, HAUGAARD LAW OFFICE Child Defense Attorney $1024, HUNTINGTON VILLAGE Welfare Rent $800, HYVEE ACCOUNTS RECEI Jury Fees $293.44, INTERSTATE OFFICE PR Office Supplies $1036.61, ISI LLC Interpreters $460, JACK HEILMAN Sign Deposits $50, JCL SOLUTIONS Inmate Supplies $5139.6, JCL SOLUTIONS Kitchen/Cleaning Supplies $6790.37, JKM TRAINING, INC Education & Training $112.86, JOHNSON, RICHARD L Attorney Fees $2375, KNECHT, ANDREW J Attorney Fees $960, LABRI APARTMENTS Welfare Rent $370, LACEY RENTALS INC Lease-Rental Agreement $145, LAUGHLIN LAW LLC Child Defense Attorney $1428, LEWIS DRUGS INC Pharmacies $255.08, LOCATORS & SUPPLIES Parts Inventory $302.19, LOPEZ, REBECA Interpreters $1155, LOVING, PHILIP Bd Evaluations (Minnehaha) $1659.19, LUTHERAN SOCIAL SVCS Evening Report Center $2289.95, LUTHERAN SOCIAL SVCS Shelter Care/Reception Center $122247.98, M&T FIRE AND SAFETY, Safety & Rescue Equipment $855.99, MCLEODS PRINTING & O Printing/Forms $3349, MIDAMERICAN ENERGY C Natural Gas $8982.42, MIDAMERICAN ENERGY C Welfare Utilities $340.62, MIDCONTINENT COMMUNI Amounts Held For Others $290.78, MIDSTATES UNIFORM & Printing/Forms $71.2, MIDWAY SERVICE Sign Deposits $50, MINNEHAHA CNTY FAMIL Memberships $20, NAPA AUTO PARTS Automotive/Small Equipment $40.17, NAPA AUTO PARTS Parts Inventory $64.16, NESSEIM, JESSIE Program Activities $14, NEW EDGE Welfare Rent $900, NYBERGS ACE HARDWARE Bridge Repair & Maintenance $85.47, NYBERGS ACE HARDWARE Tea-Ellis Range $38.93, NYHAUG, ADAM Program Activities $108.5, OLSON, DAWN Court Reporters $25.5, OSBORN, ROXANE R Court Reporters $3682.35, PANTHER GRAPHICS LLC Printing/Forms $48, PARK VIEW APTS Welfare Rent $700, PFEIFER IMPLEMENT CO Heavy Equip Repairs & Maint $43.44, PIONEER ENTERPRISES Burials $9000, PRAIRIE WYNN PROPERT Welfare Rent $1000, PRECISE MRM LLC Software $400, PRICE LAND & CATTLE Welfare Rent $450, PRICE, THOMAS L Professional Services $600, PRICE, THOMAS L Psych Evals $4200, PURPLE COMMUNICATION Interpreters $1716.5, QE LLC Welfare Rent $500, QUAESTUS Welfare Rent $1400, QUALSETH, RYAN Investigators Expenses $54.6, RATHS, RATHS & JOHNS Architect, Engineers, and PMgt $2420, RIDGEVIEW APTS LLC Welfare Rent $900, RISTY, MAXINE J Court Reporters $965.85, RIVERVIEW PARK LTD Welfare Rent $252, ROOSEVELT ESTATES OF Welfare Rent $2100, SAFE HOME LTD PTNRSH Rent Subsidies $10420, SALBERG, AARON DEAN Attorney Fees $9463.2, SALBERG, AARON DEAN Child Defense Attorney $2220, SALEM, KARLA R Bd Evaluations (Minnehaha) $7590, SAMS CLUB - MEMBERSH Other Supplies $64.32, SANFORD CLINIC Lab Costs $291, SD HUMAN SERVICES CE Psych Evals $1200, SENTRY SECURITY FAST Safety & Rescue Equipment $214, SHELLY SJOVOLD Program Activities $14, SIOUX FALLS CITY Contracted Homeless Coordinator $26630.93, SIOUX FALLS CITY Welfare Utilities $145.88, SIOUX RIVER MENTAL H Psych Evals $4000, STATE OF SOUTH DAKOT Amts Held-Daily Scram $3303, STATE OF SOUTH DAKOT Amts Held-Remote Breath $788, STATE OF SOUTH DAKOT Blood/Chemical Analysis $100, STATE OF SOUTH DAKOT Child Care Items $729.5, STATE OF SOUTH DAKOT Data Communications $200, STATE OF SOUTH DAKOT Other Supplies $6, STATE OF SOUTH DAKOT Telephone $720, STRANGE FARRELL JOHN Attorney Fees $708, STREICHERS INC Other Supplies $441, STREICHERS INC Uniform Allowance $111.99, SUMMIT FIRE PROTECTI Safety & Rescue Equipment $42, SUMMIT FOOD SERVICE Board Of Prisoners-Meals $35170.09, SUMMIT FOOD SERVICE Child Care Food $883.12, SUMMIT FOOD SERVICE Inmate Supplies $258.42, SUMMIT FOOD SERVICE School Lunch Program $1979.09, SUNSET LAW ENFORCEME Ammunition $9998.68, TAFOLLA, MIRANDA RAE Court Reporters $951.8, THE COUNSELING CAFE Psych Evals $1750, TRC 41ST Welfare Rent $900, TRC VISTA Welfare Rent $1582, TRI-STATE NURSING Professional Services $5638.5, TSCHETTER & ADAMS LA Child Defense Attorney $1344.24, TZADIK SIOUX FALLS I Welfare Rent $700, TZADIK SIOUX FALLS P Welfare Rent $700, TZADIK TAYLORS PLACE Welfare Rent $1000, ULINE Furniture & Office Equipment $446.58, UNIVERSITY PARK LEGA Professional Services $1550, US FOODS INC Other Supplies $0, US FOODS INC Professional Services $1943.05, VANDERRIGHT LLC Welfare Rent $900, VITAL RECORDS Records Storage $2554.36, WEERHEIM LAW OFFICE Bd Exp Fees (Minnehaha) $7152, WEERHEIM LAW OFFICE Crisis Intervention Program $60, WEST POINTE LIMITED Welfare Rent $870, WHITNEY Welfare Rent $500, WILLIAMSBURG LIMITED Welfare Rent $900, WILLOW 36 LLC Welfare Rent $850, WINDSOR HEIGHTS APAR Welfare Rent $700, XCEL ENERGY Electricity $4.8, XCEL ENERGY INC Welfare Utilities $276.89, YANKTON COUNTY Return Of Service $100.
The following reports were received and placed on file in the Auditor’s Office:
Opioid Settlement Annual Report - Year 2025
Human Services 4th Quarter Report for 2025
Routine Personnel Actions
New Hires
1. Samantha Swoboda, Legal Administrative Specialist for the State’s Attorney’s Office, at $26.80/hour (305/2) effective 2/5/26.
Step Increases
1. Keith Wynia, Air Guard Division Supervisor for the Air Guard, at $54.39/hour (311/10) effective 2/8/26.
To record significant employee anniversaries for February 2026: 5 years-Rhonda Bennett; 10 years-Jessica Halling, Lori Monits; 15 years-Jared Terrones; 25 years-Kristi Osterloo.
To record volunteers in County Departments for January 2026. This list is on file at Human Resources.
Abatement Applications Recommended for Approval by the Director of Equalization.
Parcel-69239, Veteran Exempt PT10-4-40, 2025 Property Taxes, $1,312.06
Parcel-78389, Veteran Exempt PT10-4-40, 2025 Property Taxes, $1,747.04
Parcel-75889, Veteran Exempt PT10-4-40, 2025 Property Taxes, $1,747.04
Parcel-74536, Veteran Exempt PT10-4-40, 2025 Property Taxes, $1,747.04
Parcel-75913, Veteran Exempt PT10-4-40, 2025 Property Taxes, $1,747.04
Parcel-77500, Thomas Montoya Living Trust, 2025 Property Taxes, $946.21
Parcel-81697, Veteran Exempt PT10-4-40, 2025 Property Taxes, $1,754.40
Parcel-86951, Veteran Exempt PT10-4-40, 2025 Property Taxes, $2,613.71
Parcel-86952, Veteran Exempt PT10-4-40, 2025 Property Taxes, $1,969.23
Parcel-80210, Veteran Exempt PT10-4-40, 2025 Property Taxes, $2,182.01
Parcel-85109, Veteran Exempt PT10-4-40, 2025 Property Taxes, $1,091.01
Parcel-89496, Veteran Exempt PT10-4-40, 2025 Property Taxes, $2,566.74
Parcel-86494, Veteran Exempt PT10-4-40, 2025 Property Taxes, $1,091.01
Parcel-82186, Veteran Exempt PT10-4-40, 2025 Property Taxes, $1,960.97
Parcel-64240, Veteran Exempt PT10-4-40, 2025 Property Taxes, $2,566.74
Parcel-62038, Veteran Exempt PT10-4-40, 2025 Property Taxes, $2,031.02
Parcel-68839, Veteran Exempt PT10-4-40, 2025 Property Taxes, $2,747.72
Parcel-65923, Veteran Exempt PT10-4-40, 2025 Property Taxes, $2,602.74
Parcel-69122, Veteran Exempt PT10-4-40, 2025 Property Taxes, $2,602.73
Parcel-69552, Veteran Exempt PT10-4-40, 2025 Property Taxes, $2,602.73
Parcel-65774, Veteran Exempt PT10-4-40, 2025 Property Taxes, $2,602.74
Parcel-75496, Veteran Exempt PT10-4-40, 2025 Property Taxes, $2,602.74
Parcel-62944, Veteran Exempt PT10-4-40, 2025 Property Taxes, $2,182.02
Parcel-72953, Veteran Exempt PT10-4-40, 2025 Property Taxes, $656.04
Parcel-71903, Veteran Exempt PT10-4-40, 2025 Property Taxes, $1,312.08
Parcel-79230, Veteran Exempt PT10-4-40, 2025 Property Taxes, $2,602.73
Parcel-75226, Veteran Exempt PT10-4-40, 2025 Property Taxes, $1,722.89
Parcel-77246, Veteran Exempt PT10-4-40, 2025 Property Taxes, $1,722.89
Parcel-76549, Veteran Exempt PT10-4-40, 2025 Property Taxes, $2,602.73
Parcel-77309, Veteran Exempt PT10-4-40, 2025 Property Taxes, $2,695.72
Parcel-73151, Veteran Exempt PT10-4-40, 2025 Property Taxes, $1,312.06
Parcel-78649, Veteran Exempt PT10-4-40, 2025 Property Taxes, $3,061.66
Parcel-81953, Veteran Exempt Surviving Spouse, 2025 Property Taxes, $2,121.39
Parcel-80618, Veteran Exempt PT10-4-40, 2025 Property Taxes, $2,381.68
Parcel-86581, Veteran Exempt PT10-4-40, 2025 Property Taxes, $2,922.25
Parcel-89688, Veteran Exempt PT10-4-40, 2025 Property Taxes, $2,602.73
Parcel-88409, Veteran Exempt PT10-4-40, 2025 Property Taxes, $2,381.68
Parcel-95253, Veteran Exempt PT10-4-40, 2025 Property Taxes, $221.06
Parcel-97759, Veteran Exempt PT10-4-40, 2025 Property Taxes, $1,754.41
Parcel-95492, Veteran Exempt PT10-4-40, 2025 Property Taxes, $2,702.55
Parcel-90318, Veteran Exempt PT10-4-40, 2025 Property Taxes, $1,969.24
Parcel-90506, Veteran Exempt PT10-4-40, 2025 Property Taxes, $1,312.07
Parcel-92856, Veteran Exempt PT10-4-40, 2025 Property Taxes, $2,463.24
Parcel-93200, Veteran Exempt PT10-4-40, 2025 Property Taxes, $1,974.67
Parcel-97329, Veteran Exempt PT10-4-40, 2025 Property Taxes, $1,747.04
Parcel-58199, Veteran Exempt Surviving Spouse, 2025 Property Taxes, $1,605.77
Parcel-90644, Veteran Exempt PT10-4-40, 2025 Property Taxes, $2,191.23
Parcel-93874, Veteran Exempt PT10-4-40, 2025 Property Taxes, $1,600.38
Parcel-90888, Veteran Exempt PT10-4-40, 2025 Property Taxes, $2,182.02
Parcel-98132, Veteran Exempt PT10-4-40, 2025 Property Taxes, $2,938.17
Parcel-93757, Veteran Exempt PT10-4-40, 2025 Property Taxes, $2,602.73
Parcel-18330, Kimberly Trende-Johnson, 2025 Property Taxes, $2,255.88
Parcel-14710, Dale Larson, 2025 Property Taxes, $140.32
Parcel-28370, Cristen Klein, 2025 Property Taxes, $532.23
Parcel-36740, Bradley & Anna Iverson, 2025 Property Taxes, $1,950.16
PLANNING AND ZONING NOTICES
Scott Anderson, Planning Director, presented the first reading of rezoning #26-02, an amendment to the 1990 Revised Zoning Ordinance for Minnehaha County to rezone from A1 Agricultural District to the C Commercial District, property legally described as Lot 3 Milstead Addition in the NE 1/4 SE 1/4 of Section 21-T101-R51W, Minnehaha County, SD. MOTION by Bleyenberg, seconded by Kippley, to Authorize the Auditor to Publish Notice of Hearing for Rezoning #26-02 to be held on February 24, 2026, at or after 9:00 a.m. at a Meeting of the Minnehaha County Commission. 5 ayes.
Scott Anderson, Planning Director, presented the first reading of rezoning #26-03, an amendment to the 1990 Revised Zoning Ordinance for Minnehaha County to rezone from A1 Agricultural District to Ransom Planned Development District, property legally described as Tract B & Tract C Schreurs’ Addition (Ex H-1) S1/2 SE 1/4 Section 23-T103N-R49W, Sverdrup Township, Minnehaha County, SD. MOTION by Beninga, seconded by Heisey, to Authorize the Auditor to Publish Notice of Hearing for Rezoning #26-03 to be held on February 24, 2026, at or after 9:00 a.m. at a Meeting of the Minnehaha County Commission. 5 ayes.
ELECTION SUPPLY PURCHASE
Upon the request of Leah Anderson, Auditor, MOTION by Kippley, seconded by Beninga, to Authorize the Auditor to Purchase Election Supplies in excess of $25,000. 5 ayes.
LEGISLATIVE UPDATE
Meredith Jarchow, Assistant Commission Administrative Officer, gave a briefing on the 101st Legislative Session and summarized the legislation that the Commission is following and which was provided with the online agenda. Discussion followed on the upcoming important dates and on House Bills 1107 and 1252 as well as Senate Bills 97, 85, and 207. Public comment was received from Auditor Anderson on Senate Bill 171.
COMMISSIONER LIAISON REPORTS
Commissioner Bleyenberg reported on a partnership between the South Dakota Lions and the Juvenile Detention Center.
Commissioner Karsky reported on the recent meeting of the Greater Sioux Falls Chamber of Commerce.
MOTION by Beninga, seconded by Bleyenberg, to Enter into Executive Session pursuant to SDCL 1-25-2 (1), (3), (4), and (6) at 9:35 a.m. 5 ayes.
Chair Karsky declared the executive session concluded at 10:07 a.m.
MOTION by Beninga, seconded by Kippley, to Adjourn at 10:08 a.m. 5 ayes.
The Commission adjourned until 9:00 a.m. on Tuesday, February 17th, 2026.
APPROVED BY THE COMMISSION:
Dean Karsky
Chair
ATTEST:
Kym Christiansen
Commission Recorder
Published once on Feb. 6, 2026, at the approximate cost of $178.06, and may be viewed free of charge at www.sdpublicnotices.com or TheDakotaScout.com.
LINCOLN COUNTY
PUBLISH: Feb. 6, 2026
NOTICE OF PUBLIC HEARING
NOTICE IS HEREBY GIVEN that the Lincoln County Board of Commissioners will hold a public hearing between 6:30 p.m. and adjournment of the February 24, 2026, County Commission meeting to consider the adoption of a resolution putting a moratorium on the permitting and construction of AI hyperscale data centers pursuant to SDCL 11-2-10.
The public hearing is open to all interested parties. Anyone unable to attend the public hearing may submit written comments to the Lincoln County Auditor at 104 N. Main, Ste. 110, Canton, SD 57013. Written comments will be reported to the County Commission on the date of the hearing. Individuals needing special accommodations are asked to contact the Lincoln County Auditor at least 48 hours prior to the hearing.
Sheri Lund
Lincoln County Auditor
Published once on Feb. 6, 2026, at the approximate cost of $11.92, and may be viewed free of charge at www.sdpublicnotices.com or TheDakotaScout.com.
-
PUBLISH: Feb. 6, 2026
NOTICE OF PUBLIC HEARING
LINCOLN COUNTY, SOUTH DAKOTA
REGARDING PROPOSED ISSUANCE OF TAX-EXEMPT REFUNDING BONDS
Notice is hereby given of a public hearing to be held by the County of Lincoln, South Dakota (the “Issuer”) on February 24, 2026 at 6:30 p.m. in the offices of the Issuer in connection with a proposed plan of financing involving the issuance by the Issuer of its revenue bonds (the “Bonds”) in one or more series pursuant to a plan of finance in an aggregate principal amount not to exceed $35,000,000.
Project Owner and Occupant: Augustana College Association d/b/a Augustana University, a South Dakota nonprofit corporation and a tax-exempt organization described in Section 501(c)(3) of the Internal Revenue Code of 1986, as amended (the “Code”). If issued, the Bonds are intended to be qualified 501(c)(3) Bonds pursuant to Section 145 of the Code.
Project Description: The project is proposed to include A) $9.2-million issued to refinance the hockey arena on 33rd & Grange Ave., B) $12-million for the construction of the new apartment building at the corner of 28th & Grange Ave., C) $8M for the renovation of the Old Main building on campus for the new Engineering program, D) up to $5M for the renovation of East Hall and Tuve Hall (residential halls for students).
Location of Project: The Augustana University campus, with its administrative offices located at 2001 South Summit Avenue, Sioux Falls, South Dakota 57197. The approximately 100-acre campus is generally bounded by University Place (north), West 33rd Street (south), South Summit Avenue (east), and South Grange Avenue (west), with additional athletic and other university facilities located across West 33rd Street, situated within West 33rd Street (north) and West 37th Street (south), South Lake Avenue (west), and South Prairie Avenue (east).
The Bonds are limited obligations that are repayable from revenues of Augustana University. The Bonds will not constitute a debt or obligation of the County of Lincoln, the City of Sioux Falls, or the State of South Dakota (the “State”). Neither the credit nor the taxing power of the State or of any political subdivision thereof (including, but not limited to the County of Lincoln and the City of Sioux Falls) will be pledged or obligated for payment of the Bonds.
At the public hearing, any and all persons in attendance will be afforded an opportunity to comment on the proposed project and/or the issuance by the Issuer of the Bonds.
Written comments may be submitted prior to the hearing to the Lincoln County Auditor, 104 N. Main Street, Suite 100, Canton, South Dakota 57013, or by email to auditor@lincolncountysd.gov
This notice is published, and the public hearing is being held by and on behalf of the Issuer as the issuer of the Bonds, as well as the City of Sioux Falls, as required by Section 147(f) of the Code, and regulations promulgated thereunder.
Dated: Feb. 6, 2026
LINCOLN COUNTY, SOUTH DAKOTA
Published once on Feb. 6, 2026, at the approximate cost of $36.39, and may be viewed free of charge at www.sdpublicnotices.com or TheDakotaScout.com.
-
PUBLISH: Feb. 6, 2026
NOTICE OF HEARING UPON APPLICATION
FOR SPECIAL ONE-DAY
ALCOHOLIC BEVERAGE LICENSE
NOTICE IS HEREBY GIVEN that a hearing will be held in the Lincoln County Commission Meeting Room, 104 N. Main Street, Canton, South Dakota 57013 on the 24th day of February 2026, between 6:30 P.M. and adjournment of said meeting, to consider the application for the following Special On-Sale Liquor License:
APPLICANT: Boondocks Bar (K & G Entertainment, Inc.) 109 Main St, Worthing, SD 57077
EVENT LOCATION: Broughton Building, 47189 US Hwy 18, Worthing SD, 57108
EVENT DATE: March 7, 2026
At which time and place any interested person may appear to state their objections to the granting of the same.
Dated at Canton, South Dakota, this 20th day of January 2026.
Sheri Lund
Lincoln County Auditor
Published once on Feb. 6, 2026, at the approximate cost of $12.24, and may be viewed free of charge at www.sdpublicnotices.com or TheDakotaScout.com.
-
PUBLISH: Feb. 6, 2026
NOTICE OF HEARING UPON APPLICATION
FOR SPECIAL ON-SALE LIQUOR LICENSE
NOTICE IS HEREBY GIVEN that a hearing will be held in the Lincoln County Commission Meeting Room, 104 N. Main Street, Canton, South Dakota 57013 on the 24th day of February 2026, between 6:30 P.M. and adjournment of said meeting, to consider the application for the following Special On-Sale Liquor License:
APPLICANT: Lincoln County Fairground Foundation, 27711 Hwy 17, Lennox, SD 57039
EVENT LOCATION: Lincoln County Fairgrounds, 27711 Hwy 17, Lennox, SD 57039 34.12 Acres in NE Quarter including Railroad Property Section 29-Township 99-N Range 51 West of the 5th principal meridian Lincoln County SD.
EVENT DATE: March 7, 2026.
At which time and place any interested person may appear to state their objections to the granting of the same.
Dated at Canton, South Dakota, this 20th day of January 2026.
Sheri Lund
Lincoln County Auditor
Published once on Feb. 6, 2026, at the approximate cost of $13.53, and may be viewed free of charge at www.sdpublicnotices.com or TheDakotaScout.com.
-
PUBLISH: Feb. 6 & Feb. 13, 2026
REQUEST FOR BIDS: HIGHWAY SUPPLIES & MATERIALS
The Lincoln County Highway Department requests sealed bids for the following highway supplies and materials for the 2025-2026 contract year beginning March 1, 2026 and ending February 28, 2027.
1. Concrete Products
2. Crushed Concrete
3. Cutting Edges
4. Fuel
5. Mag Chloride (Dust Control)
6. Plant Mixed Asphalt Materials
7. Quartzite Rip Rap
8. Rock Salt (includes Transportation)
9. Weed Control Chemicals
Sealed bids are due to the Lincoln County Highway Shop by 2:30pm on February 18, 2026; bids will be opened and read to the public on February 18 at 2:45pm. Bids not received by the deadline will not be opened and returned to the bidder.
The bid packet can be downloaded from the Lincoln County Bids & RFPs webpage at www.lincolncountysd.gov or received via email from highway@lincolncountysd.gov. Bids submitted on forms other than those supplied by the Lincoln County Highway Department will not be considered. Bidders do not need to bid for all items listed on the bid form. For questions about bid items, please email highway@lincolncountysd.gov or call (605) 764-5841.
Bids will be awarded February 24 to the vendor offering the lowest net cost who meets or exceeds the specifications, with preference given to materials, products and supplies found or produced within the State of South Dakota. Lincoln County Commissioners reserve the right to reject any or all bids, waive technicalities, and make awards as deemed to be in the best interest of the county. The bid tab will be posted on the Lincoln County Bids & RFPs webpage.
Published twice on Feb. 6 & Feb. 13, 2026, at the approximate cost of $39.45, and may be viewed free of charge at www.sdpublicnotices.com or TheDakotaScout.com.
-
PUBLISH: Feb. 6, 2026
LINCOLN COUNTY BOARD OF COMMISSION
Meeting Minutes
January 13, 2026
THE LINCOLN COUNTY BOARD OF COMMISSIONERS convened at 8:30 a.m. on January 13, 2026, with Commissioners Joel Arends, Jim Schmidt, Tiffani Landeen, Betty Otten, Doug Putnam present. Alicia Cafaro, Deputy Auditor, served as Clerk of the Board. Chief Civil Deputy State’s Attorney, Drew DeGroot, was also present.
Chair, Tiffani Landeen, called the meeting to order.
ROUTINE BUSINESS:
MOTION by Betty Otten and seconded by Joel Arends Board to remove Item #1 from Regular Business and move Item #7 in Regular Business to #1 and approve Agenda. Ayes; Joel Arends, Jim Schmidt, Tiffani Landeen, Betty Otten, Doug Putnam, Nays; None. Motion Passed.
Reports:
December 2025 Register of Deeds Report
Commission Report - US Bank Department Expense Report
MOTION by Joel Arends and seconded by Betty Otten to approve Consent Agenda items. Ayes; Joel Arends, Jim Schmidt, Tiffani Landeen, Betty Otten, Doug Putnam, Nays; None. Motion Passed.
CONSENT AGENDA:
MOTION by Joel Arends and seconded by Betty Otten to approve County Commission Minutes: 01.06.2026. Ayes; Joel Arends, Jim Schmidt, Tiffani Landeen, Betty Otten, Doug Putnam, Nays; None. Motion Passed.
MOTION by Joel Arends and seconded by Betty Otten to approve Lincoln County Claims in the amount of: $1,695,373.57 - General: Symetra Life Insurance Company, Basic Life, $ 7.96 Tony’s Catering, 108 Mal, $ 1,737.56 All Nations Interpreters Inc, Interpreter Services, $ 545.20 Beck Law, Prof LLC, Crt Appt Atty, $ 4,650.00 Juror/Witness Fees, Daily Fees & Mileage , $ 1,377.40 Compass Consulting Engineers Pc, Consulting Expert, $ 9,506.25 Computer Forensic Resources Inc, Computer Forensic Expert, $ 1,500.00 Duncan Law Firm, Crt Appt Atty, $ 8,572.00 Eich Law Office Prof LLC, Crt Appt Atty, $ 960.80 Frantzen Reporting/Pgr8r Inc, Transcript, $ 234.00 Isi, LLC, Interpreter Services, $ 110.00 Kading, Kunstle & Goodhope Llp, Crt Appt Atty-Juv, $ 276.00 O’leary Law Office, Crt Appt Atty, $ 704.00 Pat Beck, Court Reporter, Gj Tranx, $ 67.50 Salberg, Aaron, Crt Appt Atty, $ 7,520.00 Samp Law Office, Crt Appt Atty, $ 2,853.00 Sd Human Services Center, Medical Records, $ 6.20 Stephanie Moen & Associates, Gj Transcript, $ 23.40 Strange, Farrell, Johnson & Brewers Pc, Crt Appt Atty, $ 13,333.78 Thomas L. Price Inc, Competency Eval, $ 4,800.00 Tschetter & Adams Law Office, Pc, Crt Appt Atty, $ 801.00 Symetra Life Insurance Company, Basic Life, $ 10.70 Sdaco, 2026 Sdaco County Membership Dues, $ 1,719.57 Healthpartners, Cobra, $ 951.48 Symetra Life Insurance Company, Basic Life, $ 16.20 Dakota Data Shred, Document Shredding, $ 57.19 Century Business Products, Copier Maint, $ 85.19 Sdaco, 2026 Sdaco County Membership Dues, $ 1,719.55 Avera, Professional Examinations, $ 114.04 Cannabis Chemlab, LLC, Lab Testing, $ 2,405.00 Century Business Products, Copier Contract, $ 50.00 Jena Skorczewski, Court Reporter, Transcript - Wallenstein, $ 97.75 Paragon Health & Wellness, December Blood Draws, $ 3,076.40 Pat Beck, Court Reporter, Grand Jury Proceedings, $ 400.00 Riverside Technologies Inc, Toner, $ 198.00 Sanford Health, Sane Exams, $ 996.90 Sanford Health Pathology Clinic, Forensic Consultation - Ledbetter, $ 733.55 Symetra Life Insurance Company, Basic Life, $ 45.00 Thomas L. Price Inc, Competency Evaluation - Ledbetter, $ 2,400.00 Thomson Reuters-West Publ Corp, Online Subscription Charges, $ 986.41 A & B Pure Water Online Corp, Acct #Lc75, $ 207.80 Chs Eastern Farmers, Customer # 180492, $ 1,117.09 Cintas (First Aid), Payer #21078014, $ 174.34 City Of Canton, County Building Utilities , $ 507.07 G & R Controls Inc, Acct #Lic100, $ 5,262.00 Grainger, Acct #879306108, $ 865.78 Hillyard/Sioux Falls, Cust. #205685, $ 197.23 Johnstone Supply, Customer #0017334, $ 282.78 Midamerican Energy Co, Acct #48001-35014, $ 4,339.90 Novak Sanitary Svc Corp, Acct #3031-69903-001, $ 680.90 Prochem Dynamics LLC, Acct #236, $ 67.18 South Lincoln Rural Water System, Acct # 4177.00, $ 150.75 Sturdevant’s Auto Value, Acct #81406633, $ 190.99 Symetra Life Insurance Company, Basic Life, $ 14.40 Usa Containers, Invoice #478782, $ 4,851.45 Xcel Energy, Acct # 51-6177129-3, $ 6,161.35 Symetra Life Insurance Company, Basic Life, $ 25.20 Symetra Life Insurance Company, Basic Life, $ 7.20 Pmb 0112, Executive Mgmt Finance Office, Microfilm, $ 100.05 Sdaco, 2026 Sdaco County Membership Dues, $ 1,719.55 Symetra Life Insurance Company, Basic Life, $ 1.80 Symetra Life Insurance Company, Basic Life, $ 3.60 Symetra Life Insurance Company, Basic Life, $ 5.40 Symetra Life Insurance Company, Basic Life, $ 3.60 Tasc, Invoice #In3615295, $ 1,272.11 Well365, LLC, Online Wellness Portal Online Wellness Portal, $ 2,355.00 Symetra Life Insurance Company, Basic Life, $ 63.55 Mid-States Organized Crime Info Cntr, Membership For 26-50 Ft Sworn, $ 200.00 Sioux Falls Area Humane Society, 45992, $ 3,168.40 Frantzen Reporting/Pgr8r Inc, Transcripts, $ 206.40 Century Business Products, Sheriff Copier Contract, $ 45.34 Lincoln Co Treasurer, 2026 Tahoe Tags, $ 57.40 Jack’s Uniforms & Equipment, Personnel Uniform, $ 2,164.68 Don LLC D/B/A Don Fee, Fleet Equipment Installation, $ 5,025.00 Merakai, Department Supples , $ 9,025.41 Symetra Life Insurance Company, Basic Life, $ 12.60 Aj’s Automotive LLC, 23-6 Oil Change 12/31/25, $ 77.72 Sturdevant’s Auto Value, Washer Fluid 24-7, $ 3.79 Davison County Sheriff’s Office, Inmate Housing, $ 315.00 Minnehaha County Jail, December Contract & Nov Overage, $ 168,784.00 Pennington County Jail, November Transports, $ 559.93 Minnehaha County Jail, Inmate Medical November 2025, $ 1,012.73 Med-Star Paramedic Ambulance Inc, Inmate Transport 2nd Payment , $ 5,776.64 Buddi Us LLC, December Tagging Days, $ 948.00 Jack’s Uniforms & Equipment, Banerje Equipment 132373a, $ 534.50 Midwest Fire & Safety, Annual Inspection Inv 183864, $ 431.54 Sanford Health Pathology Clinic, Coroner Calls, $ 300.00 Dakota Embalming & Transport Service Inc, Transport - Lc25-97, $ 950.00 Sd Dept Of Health, Blood Draws - Coroner, $ 265.00 Minnehaha Co Regional Jdc, December Juvenile Housing, $ 52,663.97, Sd Human Services Center, 12.2025 - Yankton Sdhsc, $ 2,407.06 Anderson, Jennifer Marie, Mi Eval, $ 522.48 Dover, Sena, Mi Hearing, $ 32.00 Coomes, Sue Ann, Mi Hearing, $ 101.33 Erin M. Johnson PLLC, Mi Board, $ 2,100.00 Katie Johnson PLLC, Mi Board, $ 5,226.00 Phillip Loving, Mi Evals, $ 1,136.69 Phillip Loving, Mi Evals, $ 1,356.70 Van Beek Linda , Mi Hearing, $ 43.00 Sd State Treasurer, 12.2025 - Redfield , $ 120.00 Symetra Life Insurance Company, Basic Life, $ 3.60 Storo, Tracie, December Mileage, $ 91.80 Symetra Life Insurance Company, Basic Life, $ 1.80 Symetra Life Insurance Company, Basic Life, $ 7.20 Secog, 2026 Secog Dues, $ 20,954.00 Symetra Life Insurance Company, Basic Life, $ 34.20 Healthpartners, Cobra, $ 951.48 Matheson Tri-Gas Inc, Cylinder Rental, $ 140.40 Cintas Corp, Towels, Uniform, $ 132.86 Butler Machinery Co, Wo1495, $ 1,686.72 Graham Tire Co LLC-Corp, Wo1496, $ 4,664.88 Johnson Feed Inc, Wo1472, $ 250.92 Sdachs, 2026 Nace And Sdachs Dues, $ 600.00 Cintas (First Aid), Supplies, $ 83.20 Kimball Midwest, Parts, $ 1,012.98 Prochem Dynamics LLC, Supplies, $ 108.01 Transource Truck & Equipment Inc, Wo1472, $ 67.12 Napa Auto & Truck Parts Of Sioux Falls, Wo1312, $ 751.70 Bomgaars, Wo1494, $ 18.86 Sturdevant’s Auto Value, Wo1479, $ 110.68 Rdo Equipment Co, Wo1312, $ 734.55 Dakota Supply Group, Supplies, $ 164.85 Sdltap, Asphalt Conference, $ 250.00 South Lincoln Rural Water System, Water, $ 280.60 Culligan Water Conditioning Corp, Water, $ 50.00 Novak Sanitary Svc Corp, Trash, $ 445.40 Midamerican Energy Co, Gas, $ 4,318.89 Verizon Connect Fleet Usa LLC, Fleet Gps, $ 955.54 Southeastern Electric Co-Op Inc, Electric, $ 4,312.49 Xcel Energy, Traffic Lights, $ 111.14 Sd Dept Of Transportation, 085c, $ 2,234.76 E911 Communications: Symetra Life Insurance Company, Basic Life, $ 23.40 Bluepeak, Lennox/Sf 911 Circuit Trunk, $ 1,036.37 Rural Fire Protection: Alcester Rural Fire Assoc, 2025 2nd Allocation , $ 3,453.30 Beresford Rural Fire Assoc, 2025 2nd Allocation, $ 6,331.05 Canton Rural Fire Assoc, 2025 2nd Allocation, $ 6,331.05 Centerville Rural Fire, 2025 2nd Allocation, $ 3,453.30 Fairview Rural Fire Assoc, 2025 2nd Allocation, $ 6,331.05 Harrisburg Rural Fire Assoc, 2025 2nd Allocation, $ 6,331.05 Hudson Rural Fire Assoc, 2025 2nd Allocation, $ 6,331.05 Lennox Rural Fire Assoc, 2025 2nd Allocation, $ 6,331.05 Tea Rural Fire Assoc, 2025 2nd Allocation , $ 6,331.05 Worthing Rural Fire Assoc, 2025 2nd Allocation, $ 6,331.05 Emergency And Disaster: Symetra Life Insurance Company, Basic Life, $ 0.55 Sdema - Sd Emergency Management Association, Sdema Annual Dues, $ 50.00 Airport: Symetra Life Insurance Company, Basic Life, $ 1.80 Lincoln Co Rural Water, Water For The Airport, $ 287.50 Menards-Sioux Falls West, Towing Chain, Shovel And Nylon Pull Strap, $ 127.96 Lincoln Co Rural Water, Water For The Airport, $ 50.50 24/7 Fund: Symetra Life Insurance Company, Basic Life, $ 1.80 Intoximeters Inc, Supplies, $ 409.75 Redwood Toxicology Laboratory, Supplies Inv864568, $ 621.00 Rentz, Connor, Refund, $ 144.00 Hampton, Casey, Refund, $ 78.00 Gertsman, Louis, Refund, $ 44.00 Campbell, Jonathon, Refund, $ 135.00 Schwarting, Deanna , Refund, $ 23.00 Cypher, Andrew, Refund , $ 85.00 Register Of Deeds-Modern/Preserv/Relief: Century Business Products, Printer/Copy Fees, $ 35.73 Statewide Sobriety: Sd Attorney General’s Office, 24/7 Program Fees, $ 10,610.00 State Modern/Preserv/Relief: Sdaco, December M & P State Fund, $ 1,938.00 State Motor: Sd State Treasurer, $ 1,204,441.80 Births, Deaths, Titles: Sd State Treasurer, $ 710.00. Ayes; Joel Arends, Jim Schmidt, Tiffani Landeen, Betty Otten, Doug Putnam, Nays; None. Motion Passed.
MOTION by Joel Arends and seconded by Betty Otten to approve out-of-state travel for the GIS department to send one employee to attend the Esri User Conference in San Diego, CA, from July 13-17, 2026. Ayes; Joel Arends, Jim Schmidt, Tiffani Landeen, Betty Otten, Doug Putnam, Nays; None. Motion Passed.
MOTION by Joel Arends and seconded by Betty Otten to approve and authorize the Chair and Auditor to execute the quarterly single signature sheet for the Local Emergency Management Performance Grant. Ayes; Joel Arends, Jim Schmidt, Tiffani Landeen, Betty Otten, Doug Putnam, Nays; None. Motion Passed.
MOTION by Joel Arends and seconded by Betty Otten to authorize the fourth quarter 2025 Highway Fund Transfer Request -- Fuel/Materials & Parts/Labor cost transferred to the Highway Fund from and in the amounts as follows: Auditor (Elections) - $26.74; Buildings & Grounds - $2744.25; Emergency Management - $434.42; Equalization - $1179.10; Planning & Zoning - $665.99; State’s Attorney - $693.24; Sheriff - $14,210.46; Airport - $204.44; Weed Control - $117.27. Transfer effective 12.31.2025. Ayes; Joel Arends, Jim Schmidt, Tiffani Landeen, Betty Otten, Doug Putnam, Nays; None. Motion Passed.
MOTION by Joel Arends and seconded by Betty Otten to transfer the following inventory from the Sheriff’s Office to the State’s Attorneys Office: Item #:7312, 2021 Ford Explorer, 124,121 miles, VIN# 1FM5K8AC1MNA08863. Ayes; Joel Arends, Jim Schmidt, Tiffani Landeen, Betty Otten, Doug Putnam, Nays; None. Motion Passed.
MOTION by Joel Arends and seconded by Betty Otten to approve the Step Increase for Toby Brown, Planning Director, in the Planning & Zoning Department, effective the first date of the biweekly pay period following 01/25/2026, 116/9 at $5,571.95 bi-weekly. Ayes; Joel Arends, Jim Schmidt, Tiffani Landeen, Betty Otten, Doug Putnam, Nays; None. Motion Passed.
MOTION by Joel Arends and seconded by Betty Otten to approve the Step Increase for David Erdmann, Appraiser, in the Department of Equalization, effective the first date of the biweekly pay period following 01/22/2026, 108/8 at $34.15/hr. Ayes; Joel Arends, Jim Schmidt, Tiffani Landeen, Betty Otten, Doug Putnam, Nays; None. Motion Passed.
MOTION by Joel Arends and seconded by Betty Otten to approve the Step Increase for Seth Rozeboom, Deputy Sheriff, in the Sheriff’s Department, effective the first date of the biweekly pay period following 01/17/2026, SO1/4 at $34.31/hr. Ayes; Joel Arends, Jim Schmidt, Tiffani Landeen, Betty Otten, Doug Putnam, Nays; None. Motion Passed.
MOTION by Joel Arends and seconded by Betty Otten to set the date and time for a PUBLIC HEARING to occur between 6:30 p.m. and adjournment of the January, 27, 2026, Board of Commissioners Meeting regarding the intent to enter into a lease with Ryan Good Aviation site P3, Ryan Good Aviation site S1, James Huntimer site L1, THP Partners site M, John Muhle site K7, Bryan Bost/ Brian Neeves site N, Steve and Alice Rokahr site Q8, Tow’s Cold LLC site M4, Greg Alvine site A for a term exceeding 120 days and an amount exceeding $500.00 at the Marv Skie/Lincoln County Airport. Ayes; Joel Arends, Jim Schmidt, Tiffani Landeen, Betty Otten, Doug Putnam, Nays; None. Motion Passed.
MOTION by Joel Arends and seconded by Betty Otten to approve compromise of the following County liens of at-least-5-years deceased as of January 1, 2026 as follows (lien number, amount, date of death) 01-05960, $24.00, 06.26.2020; 01-04862, $2,500.00, 10.10.2020; 01-00401, $15.69, 02.19.2020; 01-01978, $1,573.53, 01.10.2020; 01-04855, $2,500.00, 07.09.2020; 01-02522, $216.43, 02.07.2020; 01-02843, $76.00, 05.30.2020; 01-00354, $3.63, 09.10.2020; 01-02271, $2,051.08, 09.10.2020; 01-00121, $213.99, 03.06.2020; 01-06791, $126.10, 12.16.2020. Ayes; Joel Arends, Jim Schmidt, Tiffani Landeen, Betty Otten, Doug Putnam, Nays; None. Motion Passed.
MOTION by Joel Arends and seconded by Betty Otten to declare as surplus and remove from inventory the following items from the State’s Attorney’s Office; Item #5924, 2018 Dodge Charger, VIN#: 2C3CDXKT4JH297936 and authorize the Auditor to advertise and proceed with the online auction. Ayes; Joel Arends, Jim Schmidt, Tiffani Landeen, Betty Otten, Doug Putnam, Nays; None. Motion Passed.
REGULAR BUSINESS:
COMMISSIONER BRIEFING: Drew DeGroot, Chief Civil Deputy State’s Attorney, discussed with the Board the current public comments policies. Public input was heard.
MOTION by Joel Arends and seconded by Doug Putnam to approve the Lincoln County Board of Commissioner Public Comment Policies with the following changes; comments are limited to five (5) minutes per speaker and there will be no limit to the number of speakers wishing to speak on the same topic. Ayes; Joel Arends, Jim Schmidt, Tiffani Landeen, Betty Otten, Doug Putnam, Nays; None. Motion Passed.
COMMISSIONER DISCUSSION: Jamie Gravett, Director of the Minnehaha County Juvenile Detention Center, gave an update on Lincoln County’s agreement for detention services with Minnehaha County and what resources were utilized by Lincoln County juveniles in Minnehaha’s Detention Center during 2025. Public input was heard.
Chair Landeen exited the meeting at 9:06 and Commissioner Arends stood in as Chair for remainder.
COMMISSIONER BRIEFING: Terry Fluit, Highway Superintendent, asked the Board to approve the 2026 Spring Load Limits and for the Chair to sign the resolution stating the load limits. Fluit also asked the Chair to sign a letter requesting assistance from South Dakota Carrier Services for the enforcement of load limits in Lincoln County, to award Rural Access Infrastructure Fund grants and authorize the highway superintendent advertise for the annual supply bids for the Highway Department. No public input was heard.
MOTION by Betty Otten and seconded by Jim Schmidt to approve the resolution stating: Whereas, seasonal climatic changes can be detrimental to our Highways and create dangerous driving conditions and, Whereas, the Lincoln County Board of County Commissioners desires to protect existing Lincoln County Highways, Ultimately saving tax dollars and, Whereas, The Lincoln County Board of County Commissioners, Desire the enforcement of weight limitations on Lincoln County Highways as set forth and posted by the Lincoln County Highway Department. NOW THEREFORE BE IT RESOLVED; Whereas the limits on Lincoln County Highways shall be set at seven (7) tons per axle (40 Ton Max) on designated asphalt surfaced roads and six (6) tons per axle on designated gravel roads, during the spring thaw period and when load limit signs are in place and that the South Dakota Motor Carrier Services is herby requested to enforce said reduced weight limitations on Lincoln County Highways. BE IT FURTHER RESOLVED, that the penalty for the violation of the load restrictions shall be set forth in SDCL 32-22-55. Ayes; Joel Arends, Jim Schmidt, Betty Otten, Doug Putnam, Nays; None. Motion Passed.
MOTION by Jim Schmidt and seconded by Betty Otten to authorize the chair to sign a letter requesting assistance from South Dakota Carrier Services for the enforcement of load limits in Lincoln County. Ayes; Joel Arends, Jim Schmidt, Betty Otten, Doug Putnam, Nays; None. Motion Passed.
MOTION by Betty Otten and seconded by Jim Schmidt to approve and award Rural Access Infrastructure Fund grant to the following township for the listed structure and grant cap amount: Norway Township structure # 42-1396-2679, grant of $112,000.00. Ayes; Joel Arends, Jim Schmidt, Betty Otten, Doug Putnam, Nays; None. Motion Passed.
MOTION by Doug Putnam and seconded by Betty Otten to authorize the highway superintendent advertise for the annual supply bids for the Highway Department. Ayes; Joel Arends, Jim Schmidt, Betty Otten, Doug Putnam, Nays; None. Motion Passed.
OPPORTUNITY FOR PUBLIC COMMENT
Public comments were heard.
COMMISSIONER REPORT (INFORMATIONAL ONLY)
Commission reports were given.
EXECUTIVE SESSION:
No Executive Session was needed.
ADJOURNMENT
MOTION by Doug Putnam and seconded by Betty Otten to adjourn at 9:25 a.m. until 6:30 p.m. on January 27, 2026. Ayes; Joel Arends, Jim Schmidt, Betty Otten, Doug Putnam, Nays; None. Motion Passed.
Lincoln County Board of Commissioners
Tiffani Landeen, Lincoln County Chair
Attest:
Alicia Cafaro, Deputy Auditor
Published once on Feb. 6, 2026, at the approximate cost of $192.56, and may be viewed free of charge at www.sdpublicnotices.com or TheDakotaScout.com.
PUBLIC NOTICE
PUBLISH: Feb. 6 & Feb. 13, 2026
NOTICE OF ANNUAL WAYNE TOWNSHIP MEETING
Notice is given that the annual Township Minnehaha County, South Dakota will be held at the Sioux Falls Fire and Rescue facility located at 320 S whitewood Circle, Sioux Falls, SD 57106 starting at 5:00 PM on Tuesday March 3, 2026. The purpose of the meeting is annual election of Township officers and to do any business proper to be done at said meeting when convened. Positions to be filled are Township Supervisor, three-year term; treasurer, one-year term; and clerk, one-year term period. Nominations for these positions will be taken and voted on at the meeting. Nominating petitions are not required. (In case of inclement weather, this meeting will be rescheduled for the following: Tuesday, March 10th at the same time and location). Given under my hand this 28th day of February 2026
/S/ Dawnette E.
Elsinger Dawnette E. Elsinger Township clerk 02/28/2026
Published twice on Feb. 6 & Feb. 13, 2026, at the approximate cost of $28.20, and may be viewed free of charge at www.sdpublicnotices.com or TheDakotaScout.com.
-
PUBLISH: Feb. 6, 2026
NOTICE OF MEETING OF LOCAL EQUALIZATION BOARD SDCL 10-11-13 FOR WAYNE TOWNSHIP
NOTICE IS HEREBY GIVEN that the governing body, sitting as a Review Board of Equalization for Wayne Township, Minnehaha County, South Dakota, will meet at Fire Station #10 located at 320 S. Whitewood Circle, Sioux Falls, SD in said taxing jurisdiction on the 16th day of March, 2026 at 5:30pm, for the purpose of reviewing and correcting the assessment of said taxing district for the year, 2025.
All persons considering themselves aggrieved by said assessment are required to notify the clerk of the local board by written notice no later than March 12, 2026 of their intention to appeal their assessment.
Dawn E. Elsinger
46680 268th St
Sioux Falls, SD 57106
Wayne Township Clerk
Dated January 28, 2026
Published twice on Feb. 6 & Feb. 13, 2026, at the approximate cost of $26.47, and may be viewed free of charge at www.sdpublicnotices.com or TheDakotaScout.com.
-
PUBLISH: Feb. 6 & Feb. 13, 2026
PUBLIC NOTICE
The South Dakota Department of Transportation, Office of Air, Rail and Transit is accepting applications for rural public transportation funding (Section 5339 and Section 5310), provided through financial assistance grants from the Federal Transit Administration.
Applications can be found on the SD Department of Transportation Public Transit website:
https://dot.sd.gov/transportation/public-transit/general-information#listItemLink_1540 under the Applications heading titled 2027 Capital Grant application.
Applications are to be submitted through https://sddot.blackcattransit.com. If you do not currently have access to the BlackCat System but would like to apply, please reach out to Monte Meier with the SDDOT Office of Air, Rail and Transit. Monte.Meier@state.sd.us or (605)773-4169.
Applications are due March 2nd, 2026.
Published twice on Feb. 6 & Feb. 13, 2026, at the approximate cost of $22.63, and may be viewed free of charge at www.sdpublicnotices.com or TheDakotaScout.com.
-
PUBLISH: Feb. 6 & Feb. 13, 2026
INVITATION TO RE-BID
AES MACHINE SHED
SOUTH DAKOTA STATE UNIVERSITY
OSE # R0326-13X/DEL
Sealed bids will be received by South Dakota State University Facilities & Services, Box 2150, Brookings, South Dakota 57007 until 1:00 PM CT on Tuesday, February 17th, 2026, for labor and materials to construct a large cold storage building on the campus of South Dakota State University, OSE# R0326--13X/DEL. Bid opening to be held at South Dakota State University Facilities and Services Building Room 103.
Copies of the Plans and Specifications may be obtained by bidders at the office of designArc group 434 5th street, Brookings SD 57006. Copies of the Plans and Specifications are on file for viewing purposes at the office of Facilities & Service, at South Dakota State University, Brookings, SD 57007. Anyone requesting, reviewing, or copying plans and specifications for this project (such individual is hereinafter referred to as “bidder”) agrees that they are doing so for the sole purpose of submitting a bid on the project. In consideration of the State of South Dakota providing such plans and specifications for the purpose of preparing a bid, bidder further agrees:
1. The plans and specifications are the sole property of the State;
2. Any copies of the plans and specifications obtained from the State or its agent, will be returned to the office of SDSU Facilities & Services immediately after the State provides notice that the bidder will not be awarded a contract, or thirty (30) days after the bid opening for the project, whichever occurs first;
3. Any copies of the plans and specifications made by the bidder will be destroyed immediately after the State provides notice that the bidder will not be awarded a contract, or thirty (30) days after the bid opening for the project, whichever occurs first;
4. If the bidder does not submit a bid, bidder will fulfill the requirements of 2 and 3 above on or before the date of the bid opening;
5. The plans and specifications are to be used only with respect to this project and are not to be used for any other project or purposes other than preparing a bid for this project;
6. The plans and specifications will not be disseminated to any person or entity for purposes other than obtaining pricing information without the express written approval of the State;
7. All information contained in the plans and specifications is confidential; and
8. Should the bidder disseminate the plans and specifications to an individual or entity for purposes of obtaining pricing information, the bidder will require that individual or entity to adhere to the terms set forth herein. The bidder, however, assumes no liability for the misuse of the plans and specifications by such third party or such third party’s failure to comply with the provisions contained herein.
Should the bidder be awarded a contract for construction of the project, bidder does not need to return or destroy plans and specifications until after completion of the project.
Each bid in excess of $50,000.00 must be accompanied by a certified check, cashier’s check or draft in the amount of 5% of the base bid and all add alternates and drawn on a State or National Bank or a 10% bid bond issued by a surety authorized to do business in the State of South Dakota and made payable to the Board of Regents of the State of South Dakota.
South Dakota State University reserves the right to reject any or all bids and to waive any irregularities therein.
Barry Mielke, Associate Vice President
Facilities & Services
South Dakota State University
Published twice on Feb. 6 & Feb. 13, 2026, at the approximate cost of $77.73, and may be viewed free of charge at www.sdpublicnotices.com or TheDakotaScout.com.
-
PUBLISH: Jan 30 & Feb. 6, 2026
DOCUMENT 001116
INVITATION TO BID
DEPUY MILITARY HALL REROOF
SOUTH DAKOTA STATE UNIVERSITY
SDSU# 26-169292 BROOKINGS, SD
1.1 INVITATION: Sealed bids will be received by South Dakota State University Facilities & Services, Box 2150, Brookings, South Dakota 57007 until 2:00 PM CT on Tuesday, February 17, 2026 for labor and materials to construct a roof replacement for the campus of South Dakota State University, SDSU# 26-169292.
Contractors please note: There will be an on-site pre-bid meeting on Thursday, February 5, 2026 at 2:00 PM CT. The pre-bid meeting is optional but is the bidder’s only opportunity to review the site. Campus contact is Reed Leibel, (605) 688-4136, reed.leibel@sdstate.edu. Please submit questions to victoria@designarcgroup.com, prior to 3:00 PM CT, February 12, 2026. Each Contractor shall examine the premises and be satisfied as to the existing site conditions before submitting a sealed bid.
1.2 PLANS AND SPECIFICATIONS: Copies of the Plans and Specifications may be obtained by bidders at the office of designArc Group, 434 5th Street Suite 1, Brookings, South Dakota 57006, (605) 910-7348 OR at regional builder’s exchanges. Copies of the Plans and Specifications are on file for viewing purposes at the office of Facilities & Service, at South Dakota State University, Brookings, SD 57007. Anyone requesting, reviewing, or copying plans and specifications for this project (such individual is hereinafter referred to as “bidder”) agrees that they are doing so for the sole purpose of submitting a bid on the project. In consideration of the State of South Dakota providing such plans and specifications for the purpose of preparing a bid, bidder further agrees:
1. The plans and specifications are the sole property of the State;
2. Any copies of the plans and specifications obtained from the State or its agent, will be
returned to the office of SDSU Facilities & Services immediately after the State provides notice that the bidder will not be awarded a contract, or thirty (30) days after the bid opening for the project, whichever occurs first;
3. Any copies of the plans and specifications made by the bidder will be destroyed immediately after the State provides notice that the bidder will not be awarded a contract, or thirty (30) days after the bid opening for the project, whichever occurs first;
4. If the bidder does not submit a bid, bidder will fulfill the requirements of 2 and 3 above on or before the date of the bid opening;
5. The plans and specifications are to be used only with respect to this project and are not to be used for any other project or purposes other than preparing a bid for this project;
6. The plans and specifications will not be disseminated to any person or entity for purposes other than obtaining pricing information without the express written approval of the State;
7. All information contained in the plans and specifications is confidential; and.
8. Should the bidder disseminate the plans and specifications to an individual or entity for purposes of obtaining pricing information, the bidder will require that individual or entity to adhere to the terms set forth herein. The bidder, however, assumes no liability for the misuse of the plans and specifications by such third party or such third party’s failure to comply with the provisions contained herein.
Should the bidder be awarded a contract for construction of the project, bidder does not need to return or destroy plans and specifications until after completion of the project.
1.3 BID SECURITY: Each bid in excess of $50,000.00 must be accompanied by a certified check, cashier’s check or draft in the amount of 5% of the base bid and all add alternates and drawn on a State or National Bank or a 10% bid bond issued by a surety authorized to do business in the State of South Dakota and made payable to the Board of Regents of the State of South Dakota.
1.4 NOTIFICATION
This Invitation for Bids document is authorized by Barry Mielke, Facilities & Services, South Dakota State University. South Dakota State University reserves the right to reject any or all bids and to waive any irregularities therein.
Published twice on Jan. 30 & Feb. 6, 2026, at the approximate cost of $89.90, and may be viewed free of charge at www.sdpublicnotices.com or TheDakotaScout.com.
COURTS
PUBLISH: Feb. 6, Feb. 13 & Feb. 20, 2026
STATE OF SOUTH DAKOTA
COUNTY OF MINNEHAHA
:SS IN CIRCUIT COURT
SECOND JUDICIAL CIRCUIT
IN THE MATTER OF THE ESTATE OF
RANDALL DEE ROSKENS,
DECEASED.
49PRO25-000272
NOTICE TO CREDITORS AND NOTICE OF INFORMAL PROBATE AND APPOINTMENT OF PERSONAL REPRESENTATIVE
Notice is given that on November 19, 2025, Tracy L. Roskens and Kelly R. Roskens, whose address is 35446 Mockingbird Loop, Pearl River, LA 70452, were appointed as personal representative of the Estate of Randall Dee Roskens.
Creditors of decedent must file their claims within four months after the date of the first publication of this notice or their claims may be barred.
Claims may be filed with the personal representative or may be filed with the clerk, and a copy of the claim mailed to the personal representative.
Dated January 13, 2026.
/s/ Tracy Roskens
Tracy L. Roskens
35446 Mockingbird Loop
Pearl River, LA 70452
/s/ Kelly Roskens
Kelly R. Roskens
204 Park Drive
Crooks, SD 57020
(504) 460-1917
Sara E. Show
PROSPERITY LAW FIRM, PLLC
7520 S. Grand Arbor Court, Suite 140
Sioux Falls, SD, 57108
Telephone: (605) 401-6257
Facsimile: (605) 401-6155
sara@prosperitylawfirmsd.com
Published Feb. 6, Feb. 13 & Feb. 20, 2026 at the approximate cost of $49.46, and may be viewed free of charge at www.sdpublicnotices.com or TheDakotaScout.com.
-
PUBLISH: Feb. 6, Feb. 13 & Feb. 20, 2026
STATE OF SOUTH DAKOTA
COUNTY OF MINNEHAHA
:SS IN CIRCUIT COURT
SECOND JUDICIAL CIRCUIT
IN THE MATTER OF THE ESTATE OF
WILLIAM R. MURRAY,
DECEASED.
49PRO26-000017
NOTICE TO CREDITORS AND NOTICE OF INFORMAL PROBATE AND APPOINTMENT OF PERSONAL REPRESENTATIVE
Notice is given that on January 29, 2026, Therese Berg and Kathleen Dylla, whose address is c/o Nicholas R. Walter, 110 N. Minnesota Ave., Ste. 400 Sioux Falls, South Dakota 57104, were informally appointed as Co-Personal Representatives of the Estate of William R. Murray.
Creditors of Decedent must file their claims within four (4) months after the date of the first publication of this Notice, or their claims may be barred.
Claims may be filed with the Co-Personal Representatives or may be filed with the Clerk, and a copy of the claim mailed to the Co-Personal Representatives.
Dated this 3rd day of February, 2026.
LYNN, JACKSON, SHULTZ & LEBRUN, P.C.
/s/ Nicholas R. Walter
Nicholas R. Walter
110 N. Minnesota Ave., Suite 400
Sioux Falls, SD 57104
Phone: (605) 332-5999
Fax: (605) 332-4249
nwalter@lynnjackson.com
Attorney for Co-Personal Representatives
Published Feb. 6, Feb. 13 & Feb. 20, 2026 at the approximate cost of $51.94, and may be viewed free of charge at www.sdpublicnotices.com or TheDakotaScout.com.
-
PUBLISH: Feb. 6 & Feb. 13, 2026
IN THE STATE OF
SOUTH DAKOTA,
COUNTY OF MINNEHAHA
IN CIRCUIT COURT,
SECOND JUDICIAL CIRCUIT COURT
IDAHO HOUSING AND FINANCE ASSOCIATION,
PLAINTIFF,
V.
ADAM ANDERSON AND SOUTH DAKOTA HOUSING DEVELOPMENT AUTHORITY, AND ALL PERSONS UNKNOWN CLAIMING ANY ESTATE OR INTEREST IN, OR LIEN OR ENCUMBRANCE UPON, THE PROPERTY DESCRIBED IN THE COMPLAINT , AND ANY PERSON IN POSSESSION,
DEFENDANTS.
NOTICE OF REAL ESTATE SALE ON FORECLOSURE
CIVIL NUMBER: 49CIV25-002059
A Non-Monetary Judgment of Foreclosure was entered in favor of Plaintiff and against Defendants, which judgment was filed with the Clerk of Courts of Minnehaha County, South Dakota, on January 6, 2026, in the amount of $314,116.22, for the foreclosure of a real estate mortgage.
Notice is hereby given pursuant to said judgment that the real property described in
the Real Estate Mortgage dated November 3, 2023, and recorded in the office of the Register of Deeds of Minnehaha County, South Dakota, on November 13, 2023, in Book 1977 of Mtgs, at Page 555, as Instrument Number R120692. which Adam Anderson, mortgagor, executed and delivered to Mortgage Electronic Registration Systems, Inc., as Mortgagee, as nominee for First International Bank & Trust, its successors and assigns, mortgagee, for the property located at 812 E 10TH ST, Dell Rapids, SD 57022, and legally described as:
Lots 14, 15 and 16, and the South Half (S½) of the Vacated alley lying adjacent thereto, all in Block 64 of the City of Dell Rapids, Minnehaha County, South Dakota, according to the recorded plat thereof
in order to realize the amount of the above-referenced judgment, plus interest accruing thereafter on said amount, together with the costs and expenses of sale, will be sold subject to redemption as provided by law as one parcel of land at public auction, subject to easements and restrictio2026,f record, to the highest bidder for cash under the direction of the Minnehaha County Sheriff, at the Law Enforcement Center located at 320 West 4th Street, Sioux Falls, SD 57104, on March 25, 2026 at 11:00 AM.
Dated this 26th day of January 2026.
Michael Milstead SHERIFF OF MINNEHAHA COUNTY
By: Deputy Corrie Alexander 856
Name: Corrie Alexander
Halliday, Watkins & Mann, P.C.
By /s/ Zachary Nesbit
Zachary Nesbit
Attorneys for Plaintiff
376 East 400 South, Suite 300
Salt Lake City, UT 84111
Tel: 801-355-2886
Email: zach@hwmlawfirm.com
Published twice on Feb. 6 & Feb. 13, 2026 at the approximate cost of $66.49, and may be viewed free of charge at www.sdpublicnotices.com or TheDakotaScout.com.
-
PUBLISH: Feb. 6 & Feb. 13, 2026
IN THE STATE OF
SOUTH DAKOTA,
COUNTY OF MINNEHAHA
IN CIRCUIT COURT,
SECOND JUDICIAL CIRCUIT COURT
US BANK TRUST NATIONAL ASSOCIATION, NOT IN ITS INDIVIDUAL CAPACITY BUT SOLELY AS OWNER TRUSTEE FOR VRMTG ASSET TRUST,
PLAINTIFF,
V.
CHARLENE M. SCHULTZ AND JEFFERY DEAN SCHULTZ A/K/A JEFFREY DEAN SCHULTZ AND HEIRS & DEVISEES OF THE ESTATE OF CHARLENE M. SCHULTZ AND RICHARD W. BECKFIELD, PERSONAL REPRESENTATIVE OF THE ESTATE OF CHARLENE MARIE SCHULTZ AND ALL PERSONS UNKNOWN WHO MAY CLAIM AN INTEREST AND ACCOUNTS MANAGEMENT, INC. AND CITY OF SIOUX FALLS, AND ANY PERSON IN POSSESSION,
DEFENDANTS.
NOTICE OF REAL ESTATE SALE ON FORECLOSURE
CIVIL NUMBER: 49CIV22-000522
A Non-Monetary Judgment of Foreclosure was entered in favor of Plaintiff and against Defendants, which judgment was filed with the Clerk of Courts of Minnehaha County, South Dakota, on August 13, 2024 in the amount of $78,673.39, for the foreclosure of a real estate mortgage.
Notice is hereby given pursuant to said judgment that the real property described in
the Real Estate Mortgage dated May 4, 2001, and recorded in the office of the Register of Deeds of Minnehaha County, South Dakota, on May 15, 2001, in Book 1353, at Page 169, as Instrument Number R113205. which Charlene M. Schultz, mortgagor, executed and delivered to Edward Jones Mortgage, LLC, mortgagee, for the property located at 909 South Jessica Avenue, Sioux Falls, SD 57103, and legally described as:
Lot 26 of Ronning’s Subdivision of Part of Van Eps 2nd Addition to Sioux Falls, Minnehaha County, South Dakota, according to the recorded plat thereof
in order to realize the amount of the above-referenced judgment, plus interest accruing thereafter on said amount, together with the costs and expenses of sale, will be sold subject to redemption as provided by law as one parcel of land at public auction, subject to easements and restrictions of record, to the highest bidder for cash under the direction of the Minnehaha County Sheriff, at the Law Enforcement Center located at 320 West 4th Street, Sioux Falls, SD 57104, on March 11, 2026 at 11:00 AM.
Dated this 26th day of January 2026
Michael Milstead
SHERIFF OF MINNEHAHA COUNTY
By: Deputy Corrie Alexander 856
Name: Corrie Alexander
Halliday, Watkins & Mann, P.C.
By /s/Jason Tingle
Jason Tingle
Attorneys for Plaintiff
376 East 400 South, Suite 300
Salt Lake City, UT 84111
Tel: 801-355-2886
Email: jtingle@hwmlawfirm.com
Published twice on Feb. 6 & Feb. 13, 2026 at the approximate cost of $69.39, and may be viewed free of charge at www.sdpublicnotices.com or TheDakotaScout.com.
-
PUBLISH: Feb. 6, Feb. 13, Feb. 20 & Feb. 27, 2026
NOTICE OF NAME CHANGE HEARING
Noah Ezekiel Krasley petitions to change his name to Noah Ezekiel Brunz.
Case No. 49CIV26-338.
Hearing: March 10, 2026, 11:00 a.m., Minnehaha County Courthouse, Sioux Falls, SD.
Any person may appear and object.
Published Feb. 6, Feb. 13, Feb. 20 & Feb. 27, 2026 at the approximate cost of $23.65, and may be viewed free of charge at www.sdpublicnotices.com or TheDakotaScout.com.
-
PUBLISH: Feb. 6, Feb. 13, Feb. 20 & Feb. 27, 2026
NOTICE OF NAME CHANGE HEARING
Hezekiah Robert Krasley petitions to change his name to Hezekiah Robert Brunz.
Case No. 49CIV26-339.
Hearing: March 10, 2026, 11:00 a.m., Minnehaha County Courthouse, Sioux Falls, SD.
Any person may appear and object.
Published Feb. 6, Feb. 13, Feb. 20 & Feb. 27, 2026 at the approximate cost of $23.65, and may be viewed free of charge at www.sdpublicnotices.com or TheDakotaScout.com.
-
PUBLISH: Jan. 30, Feb. 6 & Feb. 13, 2026
STATE OF SOUTH DAKOTA
COUNTY OF MINNEHAHA
:SS IN CIRCUIT COURT
SECOND JUDICIAL CIRCUIT
IN THE MATTER OF THE ESTATE OF
MAE LOU TUMBLESON,
DECEASED.
PRO. 24-207
NOTICE TO CREDITORS
Notice is given that on June 18, 2024, Maralee R. Jones, 2400 E. Baxter Circle, Sioux Falls, South Dakota 57108 was informally appointed as personal representative of the ESTATE OF MAE LOU TUMBLESON.
Creditors of decedent must file their claims within four months after the date of the first publication of this notice or their claims may be barred.
Claims may be filed with the personal representative or may be filed with the Clerk, and a copy of the claim mailed to the personal representative.
DATED this 18 day of June, 2024.
/s/Maralee R. Jones
MARALEE R. JONES
Personal Representative
Gregory T. Brewers
Strange, Farrell, Johnson & Brewers, P.C.
4420 South Technology Drive
Sioux Falls, SD 57106
605-339-4500
Published Jan. 30, Feb. 6 & Feb. 13, 2026 at the approximate cost of $41.89, and may be viewed free of charge at www.sdpublicnotices.com or TheDakotaScout.com.
-
PUBLISH: Jan. 30, Feb. 6, Feb. 13 & Feb. 20, 2026
IN THE STATE OF
SOUTH DAKOTA,
COUNTY OF MINNEHAHA
IN THE CIRCUIT COURT,
SECOND JUDICIAL CIRCUIT COURT
IDAHO HOUSING AND FINANCE ASSOCIATION,
PLAINTIFF,
V.
CRYSTAL LACER AND ERIC LACER AND AAA COLLECTIONS INC. AND CALVARY SPV I, LLC AND LVNV FUNDING LLC AND MIDLAND CREDIT MANAGEMENT, INC. AND UNITED STATES OF AMERICA, ACTING BY AND THROUGH THE SECRETARY OF HOUSING AND URBAN DEVELOPMENT, AND ANY PERSON IN POSSESSION,
DEFENDANTS.
SUMMONS
CIVIL NUMBER:
1. To the above mentioned Defendant and all persons unknown, claiming any estate or interest in, or lien or encumbrance upon, the real property described in the complaint.
2. You are hereby summoned to appear and defend against the Complaint in this action, which has been filed with the Clerk of Court and is herewith served upon you, by serving upon the undersigned a copy of an Answer or other proper response within thirty (30) days after the service of this Summons upon you, exclusive of the day of service. If you fail to do so, Judgment by default will be taken against you for the relief demanded in the Complaint. The original Complaint is filed with the Clerk of the Circuit Court in the County in which this action is commenced.
3. This action relates to the foreclosure of a mortgage upon the following described real property located in the County of Minnehaha, State of South Dakota:
The South Half (S1/2) of Lot 8, all of Lot 9 and the North 5 1/2 feet of Lot 10 in Block 8 of Gerrish and Lord’s Addition to Sioux Falls, Minnehaha County, South Dakota, according to the recorded plat thereof.
Property Address: 1937 S Grange Ave, Sioux Falls, SD 57105
4. The Plaintiff is not seeking a personal judgment against the above-named Defendants.
Date: November 20, 2025
/s/ Zachary Nesbit
Zachary Nesbit
Halliday, Watkins & Mann, P.C.
376 East 400 South, Suite 300
Salt Lake City, UT 84111
Tel: 801-355-2886
Fax: 801-328-9714
Email: zach@hwmlawfirm.com
Bar Number: 4161
HWM: SD22740
Published Jan. 30, Feb. 6, Feb. 13 & Feb. 20, 2026 at the approximate cost of $103.64, and may be viewed free of charge at www.sdpublicnotices.com or TheDakotaScout.com.
-
PUBLISH: Jan. 30 & Feb. 6, 2026
IN THE STATE OF
SOUTH DAKOTA,
COUNTY OF MINNEHAHA
IN CIRCUIT COURT,
SECOND JUDICIAL CIRCUIT COURT
PENNYMAC LOAN SERVICES, LLC,
PLAINTIFF,
V.
SPENCER SCHENK A/K/A SPENCER R. SCHENK AND SCHENK FAMILY FARMS, LLC AND A.A.A. COLLECTIONS, INC. AND MANLEY TIRE & OIL SERVICE, INC. AND FIRST RATE EXCAVATE, INC., AND ANY PERSON IN POSSESSION,
DEFENDANTS.
NOTICE OF REAL ESTATE SALE ON FORECLOSURE
CIVIL NUMBER:
49CIV25-001636
A Non-Monetary Judgment of Foreclosure was entered in favor of Plaintiff and against Defendants, which judgment was filed with the Clerk of Courts of Minnehaha County, South Dakota, on September 8, 2025 in the amount of $248,976.14, for the foreclosure of a real estate mortgage.
Notice is hereby given pursuant to said judgment that the real property described in the Real Estate Mortgage dated November 17, 2023, and recorded in the office of the Register of Deeds of Minnehaha County, South Dakota, on November 22, 2023, in Book 1978 of Mtgs, at Page 12, as Instrument Number R121436 which Spencer Schenk, mortgagor, executed and delivered to Mortgage Electronic Registration Systems, Inc., as Mortgagee, as nominee for Reliabank Dakota, its successors and assigns, for the property located at 26358 486th Ave, Valley Springs, SD 57068, and legally described as:
Tract 1 of Bonander’s Addition in the Northwest Quarter of the Southwest Quarter (NW1/4 SW1/4) of Section 9, Township 101 North, Range 47 West of the 5th P.M., Minnehaha County, South Dakota, according to the recorded plat thereof
in order to realize the amount of the above-referenced judgment, plus interest accruing thereafter on said amount, together with the costs and expenses of sale, will be sold subject to redemption as provided by law as one parcel of land at public auction, subject to easements and restrictions of record, to the highest bidder for cash under the direction of the Minnehaha County Sheriff, at the Law Enforcement Center located at 320 West 4th Street, Sioux Falls, SD 57104, on February 25, 2026 at 11:00 AM.
Dated this 15th day of December, 2025
Michael Milstead SHERIFF OF MINNEHAHA COUNTY
By Deputy Corrie Alexander
Name: Corrie Alexander
Halliday, Watkins & Mann, P.C.
By/s/Jason Tingle
Jason Tingle
Attorneys for Plaintiff
376 East 400 South, Suite 300
Salt Lake City, UT 84111
Tel: 801-355-2886
Email: jtingle@hwmlawfirm.com
Published twice on Jan. 30 & Feb. 6, 2026 at the approximate cost of $65.90, and may be viewed free of charge at www.sdpublicnotices.com or TheDakotaScout.com.
-
PUBLISH: Jan. 30 & Feb. 6, 2026
IN THE STATE OF
SOUTH DAKOTA,
COUNTY OF MINNEHAHA
IN CIRCUIT COURT,
SECOND JUDICIAL CIRCUIT COURT
U.S. BANK TRUST NATIONAL ASSOCIATION, NOT IN ITS INDIVIDUAL CAPACITY BUT SOLELY AS OWNER TRUSTEE FOR RCAF ACQUISITION TRUST,
PLAINTIFF,
V.
LINDSEY FLAYTON A/K/A LINDSEY MARIE FLAYTON AND BRAD FLAYTON A/K/A BRADLEY JOHN FLAYTON AND AAA COLLECTIONS INC. AND LEVO FEDERAL CREDIT UNION, AND ANY PERSON IN POSSESSION,
DEFENDANTS.
NOTICE OF REAL ESTATE SALE ON FORECLOSURE
CIVIL NUMBER:
49CIV25-003085
A Non-Monetary Judgment of Foreclosure was entered in favor of Plaintiff and against Defendants, which judgment was filed with the Clerk of Courts of Minnehaha County, South Dakota, on December 5, 2025, in the amount of $330,757.20, for the foreclosure of a real estate mortgage.
Notice is hereby given pursuant to said judgment that the real property described in
the Real Estate Mortgage dated May 21, 2019, and recorded in the office of the Register of Deeds of Minnehaha County, South Dakota, on May 29, 2019, in Book 1859 of Mtgs, at Page 836, as Instrument Number R910250, which Brad Flayton and Lindsey Flayton, mortgagor, executed and delivered to Mortgage Electronic Registration Systems, Inc., as Mortgagee, as nominee for First Premier Bank, its successors and assigns , mortgagee, for the property located at 1613 S Moneticello Ave, Sioux Falls, SD 57106-5104, and legally described as:
Lot 9 in Block 4 of Discovery Park, an Addition to the City of Sioux Falls, Minnehaha County, South Dakota, according to the recorded plat thereof
in order to realize the amount of the above-referenced judgment, plus interest accruing thereafter on said amount, together with the costs and expenses of sale, will be sold subject to redemption as provided by law as one parcel of land at public auction, subject to easements and restrictions of record, to the highest bidder for cash under the direction of the Minnehaha County Sheriff, at the Law Enforcement Center located at 320 West 4th Street, Sioux Falls, SD 57104, on March 11, 2026 at 11:00 AM.
Dated 15th day of January 2026
Michael Milstead
SHERIFF OF MINNEHAHA COUNTY
By: Deputy Corrie Alexander 856
Name: Corrie Alexander
Halliday, Watkins & Mann, P.C.
By /s/ Zachary Nesbit
Zachary Nesbit
Attorneys for Plaintiff
376 East 400 South, Suite 300
Salt Lake City, UT 84111
Tel: 801-355-2886
Email: zach@hwmlawfirm.com
Published twice on Jan. 30 & Feb. 6, 2026 at the approximate cost of $65.90, and may be viewed free of charge at www.sdpublicnotices.com or TheDakotaScout.com.
-
PUBLISH: Jan. 30 & Feb. 6, 2026
IN THE STATE OF
SOUTH DAKOTA,
COUNTY OF MINNEHAHA
IN CIRCUIT COURT,
SECOND JUDICIAL CIRCUIT COURT
NEWREZ LLC DBA SHELLPOINT MORTGAGE SERVICING,
PLAINTIFF,
V.
NICHOLE BECK, AND ANY PERSON IN POSSESSION,
DEFENDANTS.
NOTICE OF REAL ESTATE SALE ON FORECLOSURE
CIVIL NUMBER:
49CIV25-001743
A Non-Monetary Judgment of Foreclosure was entered in favor of Plaintiff and against Defendants, which judgment was filed with the Clerk of Courts of Minnehaha County, South Dakota, on December 4, 2025 in the amount of $404,372.76, for the foreclosure of a real estate mortgage.
Notice is hereby given pursuant to said judgment that the real property described in
the Real Estate Mortgage dated July 26, 2021, and recorded in the office of the Register of Deeds of Minnehaha County, South Dakota, on July 28, 2021, in Book 1929 of Mtgs, at Page 608, as Instrument Number R126035 which Nichole Beck, mortgagor, executed and delivered to Mortgage Electronic Registration Systems, Inc., as Mortgagee, as nominee for Sioux Falls Federal Credit Union, its successors and assigns, for the property located at 7700 E 39th Street, Sioux Falls, SD 57110, and legally described as:
Lot 5 in Block 2 of Pine Hill, an Addition in the Southwest Quarter of the Southwest Quarter (SW1/4SW1/4) of Section 29, Township 101 North, Range 48 West of the 5th P.M., Minnehaha County, South Dakota, according to the Recorded Plat thereof, except Lot H-2 contained therein
in order to realize the amount of the above-referenced judgment, plus interest accruing thereafter on said amount, together with the costs and expenses of sale, will be sold subject to redemption as provided by law as one parcel of land at public auction, subject to easements and restrictions of record, to the highest bidder for cash under the direction of the Minnehaha County Sheriff, at the Law Enforcement Center located at 320 West 4th Street, Sioux Falls, SD 57104, on March 11, 2026 at 11:00 AM.
Dated this 5th day of January, 2026
Michael Milstead
SHERIFF OF MINNEHAHA COUNTY
By Deputy Corrie Alexander 856
Name: Corrie Alexander
Halliday, Watkins & Mann, P.C.
By/s/Jason Tingle
Jason Tingle
Attorneys for Plaintiff
376 East 400 South, Suite 300
Salt Lake City, UT 84111
Tel: 801-355-2886
Email: jtingle@hwmlawfirm.com
Published twice on Jan. 30 & Feb. 6, 2026 at the approximate cost of $66.59, and may be viewed free of charge at www.sdpublicnotices.com or TheDakotaScout.com.
-
PUBLISH: Jan. 30, Feb. 6, Feb. 13 & Feb. 20, 2026
IN THE STATE OF
SOUTH DAKOTA,
COUNTY OF MINNEHAHA
IN THE CIRCUIT COURT,
SECOND JUDICIAL CIRCUIT COURT
IDAHO HOUSING AND FINANCE ASSOCIATION,
PLAINTIFF,
V.
KAREN R. HENRY AND MERLE A. HENRY AND AAA COLLECTIONS INC. AND HEIRS AND DEVISEES OF THE ESTATE OF MERLE A. HENRY, AND ANY PERSON IN POSSESSION,
DEFENDANTS.
SUMMONS
CIVIL NUMBER:
1. To the above mentioned Defendant and all persons unknown, claiming any estate or interest in, or lien or encumbrance upon, the real property described in the complaint.
2. You are hereby summoned to appear and defend against the Complaint in this action, which has been filed with the Clerk of Court and is herewith served upon you, by serving upon the undersigned a copy of an Answer or other proper response within thirty (30) days after the service of this Summons upon you, exclusive of the day of service. If you fail to do so, Judgment by default will be taken against you for the relief demanded in the Complaint. The original Complaint is filed with the Clerk of the Circuit Court in the County in which this action is commenced.
3. This action relates to the foreclosure of a mortgage upon the following described real property located in the County of Minnehaha, State of South Dakota:
Lots 16 and 17 of Olson’s Addition to Renner, Minnehaha County, South Dakota, according to the recorded plat thereof.
Property Address: 47440 258th St, Renner, SD 57055
4. The Plaintiff is not seeking a personal judgment against the above-named Defendants.
Date: September 10, 2025
/s/ Zachary Nesbit
Zachary Nesbit
Halliday, Watkins & Mann, P.C.
376 East 400 South, Suite 300
Salt Lake City, UT 84111
Tel: 801-355-2886
Fax: 801-328-9714
Email: zach@hwmlawfirm.com
Bar Number: 4161
HWM: SD22602
Published Jan. 30, Feb. 6, Feb. 13 & Feb. 20, 2026 at the approximate cost of $94.89, and may be viewed free of charge at www.sdpublicnotices.com or TheDakotaScout.com.
-
PUBLISH: Jan. 23, Jan. 30, Feb. 6 & Feb. 13, 2026
STATE OF SOUTH DAKOTA
COUNTY OF MINNEHAHA
SS IN CIRCUIT COURT
SECOND JUDICIAL CIRCUIT
IN THE MATTER OF THE PETITION OF:
JESSICA RAE KAISER
FOR A CHANGE OF NAME TO
JESSICA RAE EVJEN
49CIV26-230
NOTICE OF HEARING
FOR ADULT NAME CHANGE
NOTICE IS HEREBY GIVEN that a Verified Petition for Adult Name Change has been filed by Jessica Rae Kaiser to change Petitioner’s name from Jessica Rae Kaiser to Jessica Rae Evjen. The Petition will be heard on the 24th day of February, 2026, at 11:00 a.m. by the Honorable Judge Pekas, at the Minnehaha County Courthouse, in the City of Sioux Falls, South Dakota. Anyone may appear at that time and place and show reasons, if any, why Petitioner’s name should not be changed.
Dated this 15th day of January, 2026.
/s/ Hannah Ludlow
Clerk of Court
Attest:
Karla Kalb
Clerk of Court
/s/ Hannah Ludlow
Deputy
Published Jan. 23, Jan. 30, Feb. 6 & Feb. 13, 2026 at the approximate cost of $55.43, and may be viewed free of charge at www.sdpublicnotices.com or TheDakotaScout.com.
-
PUBLISH: Jan. 23, Jan 30 & Feb. 6, 2026
STATE OF SOUTH DAKOTA
COUNTY OF MINNEHAHA
:SS IN CIRCUIT COURT
SECOND JUDICIAL CIRCUIT
IN RE THE ESTATE OF LINDA MARIE STOOPS,
DECEASED.
49PRO26-000004
NOTICE TO CREDITORS OF INFORMAL APPOINTMENT OF PERSONAL REPRESENTATIVE IN INTESTACY
NOTICE IS GIVEN that on the 7th day of January, 2026, the Clerk of the Circuit Court, Second Judicial Circuit, Minnehaha County, South Dakota, appointed Richard Galen Stoops, 2912 S. Orchard Ave., Sioux Falls, South Dakota, as Personal Representative of the Estate of Linda Marie Stoops.
Creditors of the Estate of Linda Marie Stoops must file their claims within four (4) months after the date of the first publication of this notice or such claims may be barred.
Claims may be filed with the Personal Representative or filed with the Minnehaha County Clerk of Courts, with a copy of the claim mailed to the Personal Representative.
Dated this 14th day of January, 2026.
REDSTONE LAW FIRM LLP
/s/ Alexander C. Ellman
By: Alexander C. Ellman (4666)
1300 W. 57th St., Ste. 101
Sioux Falls, SD 57108
Phone: (605) 331-2975
Email: alex@redstonelawfirm.com
Attorney for Personal Representative
Published Jan. 23, Jan. 30 & Feb. 6, 2026 at the approximate cost of $51.09, and may be viewed free of charge at www.sdpublicnotices.com or TheDakotaScout.com.
-
PUBLISH: Jan. 23, Jan 30 & Feb. 6, 2026
STATE OF SOUTH DAKOTA
COUNTY OF MINNEHAHA
:SS IN CIRCUIT COURT
SECOND JUDICIAL CIRCUIT
IN THE MATTER OF THE ESTATE OF
VICKI LEE SUEVERKRUEBBE,
DECEASED.
PRO. 26-11
NOTICE TO CREDITORS
Notice is given that on January 16, 2026, Nicole Stegner, whose address is 4112 South Palisade Lane, Sioux Falls, SD 57106, and Alison Brunz, whose address is 3141 East Juanita Avenue, Gilbert, AZ 85234, were informa11y appointed as co-personal representatives of the ESTATE OF VICKI L. SUEVERKRUEBBE.
Creditors of decedent must file their claims within four months after the date of the first publication of this notice or their claims may be barred.
Claims may be filed with the personal representatives or may be filed with the Clerk, and a copy of the claim mailed to the personal representatives.
DATED this 16 day of January, 2026.
/s/ Nicole Stegner
Nicole Stegner
Personal Representative
/s/ Alison Brunz
ALISON BRUNZ
Personal Representative
Eric A. Lovro
Strange, Farrell, Johnson &
Brewers, P .C.
4420 South Technology Drive
Sioux Falls, SD 57106
605-339-4500
Published Jan. 23, Jan. 30 & Feb. 6, 2026 at the approximate cost of $49.43, and may be viewed free of charge at www.sdpublicnotices.com or TheDakotaScout.com.
-
PUBLISH: Jan. 23, Jan 30 & Feb. 6, 2026
STATE OF SOUTH DAKOTA
COUNTY OF MINNEHAHA
:SS IN CIRCUIT COURT
SECOND JUDICIAL CIRCUIT
IN THE MATTER OF THE ESTATE OF
KAREN A. VIETOR, DECEASED.
49PRO26-000010
NOTICE TO CREDITORS
Notice is hereby given that on the 14th day of January, 2026, Genell K. Schuh, whose address is 2912 Witterton Place, Raleigh, North Carolina, 27614, was appointed as Personal Representative of the Estate of Karen A. Vietor, deceased.
Creditors of the decedent must present their claims within four months after the date of the first publication of this notice or their claims may be barred.
Claims may be delivered to or mailed to the Personal Representative or may be filed with the Clerk of the Circuit Court, and a copy of the claim mailed or delivered to the Personal Representative.
Dated this 14th day of January, 2026.
/s/ GENELL K. SCHUH
Genell K. Schuh - Personal Representative
2912 Witterton Place
Raleigh, North Carolina 27614
KARLA KALB
Clerk of Circuit Court
Minnehaha County Courthouse
425 N. Dakota Avenue
Sioux Falls, South Dakota 57104
(605) 367-5900
Dell Rapids Law Firm
P. O. Box 100
Dell Rapids, SD 57022-0100
(605) 428-5444
Attorneys for Personal Representative
Published Jan. 23, Jan. 30 & Feb. 6, 2026 at the approximate cost of $53.62, and may be viewed free of charge at www.sdpublicnotices.com or TheDakotaScout.com.
-
PUBLISH: Jan. 23, Jan. 30, Feb. 6, Feb. 13 & Feb. 20, 2026
LET IT BE KNOWN TO ALL PEOPLE OF UNITED STATES OF AMERICA –
This is public notice and affirmation that a baby boy has been born on the land in a mortal body to the Reichow family. The family welcomed their baby earthside on the land of the geographical location commonly known as [Sioux Falls, South Dakota Republic, united states of America] North America on the 25th day of December in the calendar year 2022 AD. He is happy, healthy and thriving!
LET IT BE KNOWN TO ALL PEOPLE OF UNITED STATES OF AMERICA – This is public notice and affirmation that a baby girl has been born on the land in a mortal body to the Reichow family. The family welcomed their baby earthside on the land of the geographical location commonly known as [Sioux Falls, South Dakota Republic, united states of America] North America on the 19th day of July in the calendar year 2024 AD. She is happy, healthy and thriving!
Published Jan. 23, Jan. 30, Feb. 6, Feb. 13 & Feb. 20, 2026 at the approximate cost of $59.16, and may be viewed free of charge at www.sdpublicnotices.com or TheDakotaScout.com.
-
PUBLISH: Jan. 16, Jan. 23, Jan. 30 & Feb. 6, 2026
STATE OF SOUTH DAKOTA
COUNTY OF MINNEHAHA
SS IN CIRCUIT COURT
SECOND JUDICIAL CIRCUIT
IN THE MATTER OF THE PETITION OF:
IRENE ELAINE ATCHISON
A/K/A RENE ELAINE ATCHISON
FOR A CHANGE OF NAME TO
RENE ELAINE JOHNSON
49CIV25-005605
NOTICE OF HEARING
FOR ADULT NAME CHANGE
NOTICE IS HEREBY GIVEN that a Verified Petition for Name Change of an Adult has been filed by Irene Elaine Atchison a/k/a Rene Elaine Atchison, to change Petitioner’s name from Irene Elaine Atchison a/k/a Rene Elaine Atchison to Rene Elaine Johnson. The Petition will be heard on the 17th day of February, 2026, at the hour of 11:00 a.m. by the Honorable Judge Ann Hoffman, at the Minnehaha County Courthouse, in the City of Sioux Falls, South Dakota. Anyone may appear at that time and place and show reasons, if any, why Petitioner’s name shall not be changed.
Dated this 7th day of January, 2026 at Sioux Falls, South Dakota.
/s/ Amy L. Walsh
Amy L. Walsh
Attorney for Petitioner
300 N. Dakota Avenue, Ste. 505
Sioux Falls, SD 57104
(605) 274-1717
Published Jan. 16, Jan. 23, Jan. 30 & Feb. 6, 2026 at the approximate cost of $62.01, and may be viewed free of charge at www.sdpublicnotices.com or TheDakotaScout.com.
-
PUBLISH: Jan. 16, Jan. 23, Jan. 30 & Feb. 6, 2026
TO BOYD WILLIAM LECLAIRE
You are place on notice of the Complaint filed against you by Krystle Rae LeClaire, in the Circuit Court, Second Judicial Court, Minnehaha County, South Dakota, Case 41DIV25-000089. You must submit an Answer to the Complaint within 60 days of the last date of publication of this Notice. If you fail to do so default judgment will be entered against you.
A copy of the divorce complaint is viewable at the Minnehaha County Courthouse you can contact Ms. LeClaire’s attorney at 605-444-3704.
Published Jan. 16, Jan. 23, Jan. 30 & Feb. 6, 2026 at the approximate cost of $33.51, and may be viewed free of charge at www.sdpublicnotices.com or TheDakotaScout.com.
-
PUBLISH: Jan. 16, Jan. 23, Jan. 30 & Feb. 6, 2026
IN THE STATE OF SOUTH DAKOTA,
COUNTY OF MINNEHAHA
IN THE CIRCUIT COURT,
SECOND JUDICIAL
CIRCUIT COURT
WILMINGTON SAVINGS FUND SOCIETY, FSB, NOT IN
ITS INDIVIDUAL CAPACITY, BUT SOLELY AS OWNER TRUSTEE OF CSMC 2019-RPLLL TRUST,
PLAINTIFF,
V.
JACQUELINE MORGAN AND JERRY E. MORGAN A/K/A
JERRY MORGAN A/K/A GERALD MORGAN AND SIOUX EMPIRE FEDERAL CREDIT UNION AND A.A.A. COLLECTIONS, INC. AND ACCOUNTS MANAGEMENT,
INC. AND HEIRS & DEVISEES OF THE ESTATE OF JERRY E. MORGAN, AND ANY PERSON IN POSSESSION, DEFENDANTS.
SUMMONS
CIVIL NUMBER:
1. To the above mentioned Defendant and all persons unknown, claiming any estate or interest in, or lien or encumbrance upon, the real property described in the complaint.
2. You are hereby summoned to appear and defend against the Complaint in this action, which has been filed with the Clerk of Court and is herewith served upon you, by serving upon the undersigned a copy of an Answer or other proper response within thirty (30) days after the service of this Summons upon you, exclusive of the day of service. If you fail to do so, Judgment by default will be taken against you for the relief demanded in the Complaint. The original Complaint is filed with the Clerk of the Circuit Court in the County in which this action is commenced.
3. This action relates to the foreclosure of a mortgage upon the following described real property located in the County of Minnehaha, State of South Dakota:
The West Half (W 1/2) of Tract 2 In the Northwest Quarter of the Northeast Quarter (NW 1/4 NE 1/4) of Section 22, Township 101 North, Range 50 West of the 5th P.M., Minnehaha County, South Dakota, according to the recorded plat thereof, except Lot H-1 contained therein.
Property Address: 7405 West 12th Street, Sioux Falls, SD 57106
4. The Plaintiff is not seeking a personal judgment against the above-named Defendants.
Date: October 29, 2024
/s/ Zachary Nesbit
Zachary Nesbit
Halliday, Watkins & Mann, P.C.
376 East 400 South, Suite 300
Salt Lake City, UT 84111
Tel: 801-355-2886
Fax: 801-328-9714
Email: zach@hwmlawfirm.com
Bar Number: 4161
HWM: SD10845
Published Jan. 16, Jan. 23, Jan. 30 & Feb. 6, 2026 at the approximate cost of $111.33, and may be viewed free of charge at www.sdpublicnotices.com or TheDakotaScout.com.
-
PUBLISH: Jan. 23, Jan. 30, Feb. 6 & Feb. 13, 2026
STATE OF SOUTH DAKOTA
COUNTY OF MINNEHAHA
:SS IN CIRCUIT COURT
SECOND JUDICIAL CIRCUIT
IN THE MATTER OF TERMINATION OF PARENTAL RIGHTS OVER
CHARLOTTE KAY CLARK,
MINOR CHILD.
ADP. 25-91
NOTICE OF HEARING
NOTICE IS HERBY GIVEN, that a hearing on the Petition for Termination of Parental Rights will be heard on the 13th day of March, 2026, at the hour of 9:00 AM before the Honorable Judge Ann Hoffman presiding, at the Minnehaha County Courthouse, located at 425 North Dakota Avenue, Sioux Falls, South Dakota, or as soon thereafter as is convenient for the court.
Dated this 21st day of January, 2026, at Sioux Falls, South Dakota.
STRANGE, FARRELL,
Johnson & Brewers, P.C.
/s/ Amber J. Eggert
Amber J. Eggert
4420 South Technology Drive
Sioux Falls, SD 57106
(605)339-4500 Phone
amber@strangelaw.com
Published Jan. 23, Jan. 30, Feb. 6 & Feb. 13, 2026 at the approximate cost of $49.95, and may be viewed free of charge at www.sdpublicnotices.com or TheDakotaScout.com.
-
PUBLISH: Feb. 6, 2026
STATE OF SOUTH DAKOTA
COUNTY OF MINNEHAHA
:SS IN CIRCUIT COURT
SECOND JUDICIAL CIRCUIT
IN THE MATTER OF
D H, D H, K H, K H, K H, R H, D M
ALLEGED ABUSED/NEGLECTED CHILDREN
JUV24-001342
NOTICE OF ENTRY OF ORDER
TO: Unknown Fathers, Thomas Hare, Minona Means, Northern Arapahoe Tribe of Wyoming, Yankton Sioux Tribe and all to whom it may concern:
You will take notice that Findings of Fact and Conclusions of Law for Disposition and Final Dispositional Order as to the fathers and voluntary termination paperwork as to the mother affecting your parental rights was made and entered in the matter entitled above by the above entitled Court and filed with the Clerk and that attached hereto is a true and correct copy thereof.
Dated this 14th day of January, 2026.
/s/Brianna Palomaki
Carrie Mees/Brianna Palomaki/Lyndee Kamrath
Deputy State’s Attorney
Minnehaha County State’s Attorney’s Office
415 N. Dakota Ave.
Sioux Falls, SD 57104
(605) 367-4226
Published once on Feb. 6, 2026, at the approximate cost of $15.78, and may be viewed free of charge at www.sdpublicnotices.com or TheDakotaScout.com.
-
PUBLISH: Feb. 6, 2026
STATE OF SOUTH DAKOTA
COUNTY OF MINNEHAHA
:SS IN CIRCUIT COURT
SECOND JUDICIAL CIRCUIT
IN THE MATTER OF
A N,
ALLEGED ABUSED/NEGLECTED CHILD
JUV24-001281
NOTICE OF ENTRY OF ORDER
TO: Adolphus Garley Zarway, Secretaire Nandamira and all to whom it may concern:
You will take notice that Findings of Fact and Conclusions of Law for Disposition and Final Dispositional Order affecting your parental rights was made and entered in the matter entitled above by the above entitled Court and filed with the Clerk and that attached hereto is a true and correct copy thereof.
Dated this 15th day of January, 2026.
/s/Brianna Palomaki
Carrie Mees/Brianna Palomaki/Lyndee Kamrath
Deputy State’s Attorney
Minnehaha County State’s Attorney’s Office
415 N. Dakota Ave.
Sioux Falls, SD 57104
(605) 367-4226
Published once on Feb. 6, 2026, at the approximate cost of $13.53, and may be viewed free of charge at www.sdpublicnotices.com or TheDakotaScout.com.
-
PUBLISH: Feb. 6, 2026
STATE OF SOUTH DAKOTA
COUNTY OF MINNEHAHA
:SS IN CIRCUIT COURT
SECOND JUDICIAL CIRCUIT
THE PEOPLE OF THE STATE OF SOUTH DAKOTA
EX REL, SOUTH DAKOTA DEPARTMENT OF SOCIAL SERVICES, IN THE INTEREST OF,
M H, N L, JR., J N,
ALLEGED ABUSED/NEGLECTED CHILDREN
AND CONCERNING
ELITA GIVENS
UNKNOWN FATHER
JACOB J NEAULT
RESPONDENTS
JUV25-000673
SUMMONS
(ALLEGED ABUSED OR NEGLECTED CHILD)
TO: ELITA GIVENS
UNKNOWN FATHER
JACOB J NEAULT
MARKCUS WILLIAMS
AND ALL WHOM IT MAY CONCERN
You are hereby summoned to appear before the above-named Court in its courtroom at the Minnehaha County Courthouse, 425 North Dakota Avenue, Sioux Falls, South Dakota, on April 21, 2026, at 10:00 AM to answer the Petition of Carrie Mees, now on file with the Clerk of said Court, alleging the above named Children to be an abused/neglected Children and praying that said Children be taken from you and that a guardian be appointed with authority to consent to the adoption of said Children. You must appear at the time and place set forth above to show cause, if any you have, why said Children should not be found abused/neglected and the prayer of said Petition granted or said Children otherwise dealt with. Failure to appear is an admission to the allegation(s) contained in the Petition. You are further notified that the termination of parental rights is a possible remedy of these proceedings and that you and the above-named Children have the right to have an attorney present at all stages of the proceedings.
Dated at Sioux Falls, Minnehaha County, South Dakota, this 30th day of January, 2026.
KARLA KALB, Clerk
BY: /s/ Alyssa King (Cortez)
Deputy
Published once on Feb. 6, 2026, at the approximate cost of $25.12, and may be viewed free of charge at www.sdpublicnotices.com or TheDakotaScout.com.
-
PUBLISH: Feb. 6, 2026
STATE OF SOUTH DAKOTA
COUNTY OF MINNEHAHA
:SS IN CIRCUIT COURT
SECOND JUDICIAL CIRCUIT
THE PEOPLE OF THE STATE OF SOUTH DAKOTA
EX REL, SOUTH DAKOTA DEPARTMENT OF SOCIAL SERVICES, IN THE INTEREST OF,
C S
ALLEGED ABUSED/NEGLECTED CHILD
AND CONCERNING
SAMANTHA LYNN SILK
UNKNOWN FATHER
RESPONDENTS
JUV26-000108
SUMMONS
(ALLEGED ABUSED OR NEGLECTED CHILD)
TO: SAMANTHA LYNN SILK, UNKNOWN FATHER, Braulio Garcia AND ALL WHOM IT MAY CONCERN
You are hereby summoned to appear before the above-named Court in its courtroom at the Minnehaha County Courthouse, 425 North Dakota Avenue, Sioux Falls, South Dakota, on March 24, 2026, at 9:00 AM to answer the Petition of CARRIE MEES, now on file with the Clerk of said Court, alleging the above named Child to be an abused/neglected Child and praying that said Child be taken from you and that a guardian be appointed with authority to consent to the adoption of said Child. You must appear at the time and place set forth above to show cause, if any you have, why said Child should not be found abused/neglected and the prayer of said Petition granted or said Child otherwise dealt with. Failure to appear is an admission to the allegation(s) contained in the Petition. You are further notified that the termination of parental rights is a possible remedy of these proceedings and that you and the above-named Child have the right to have an attorney present at all stages of the proceedings.
Dated at Sioux Falls, Minnehaha County, South Dakota, this 28th day of January, 2026.
KARLA KALB, Clerk
BY: /s/ Alyssa King (Cortez)
Deputy
Published once on Feb. 6, 2026, at the approximate cost of $23.83, and may be viewed free of charge at www.sdpublicnotices.com or TheDakotaScout.com.
-
PUBLISH: Feb. 6, 2026
STATE OF SOUTH DAKOTA
COUNTY OF MINNEHAHA
:SS IN CIRCUIT COURT
SECOND JUDICIAL CIRCUIT
THE PEOPLE OF THE STATE OF SOUTH DAKOTA
EX REL, SOUTH DAKOTA DEPARTMENT OF SOCIAL SERVICES, IN THE INTEREST OF,
M S,
ALLEGED ABUSED/NEGLECTED CHILD
AND CONCERNING
CASSANDRA MARIE SILK
UNKNOWN FATHER
RESPONDENTS
JUV26-000109
AMENDED
SUMMONS
(ALLEGED ABUSED OR NEGLECTED CHILD)
TO: CASSANDRA MARIE SILK, UNKNOWN FATHER, Matthew Beeken
AND ALL WHOM IT MAY CONCERN
You are hereby summoned to appear before the above-named Court in its courtroom at the Minnehaha County Courthouse, 425 North Dakota Avenue, Sioux Falls, South Dakota, on March 24, 2026, at 9:00 AM to answer the Petition of CARRIE MEES, now on file with the Clerk of said Court, alleging the above named Child to be an abused/neglected Child and praying that said Child be taken from you and that a guardian be appointed with authority to consent to the adoption of said Child. You must appear at the time and place set forth above to show cause, if any you have, why said Child should not be found abused/neglected and the prayer of said Petition granted or said Child otherwise dealt with. Failure to appear is an admission to the allegation(s) contained in the Petition. You are further notified that the termination of parental rights is a possible remedy of these proceedings and that you and the above-named Child have the right to have an attorney present at all stages of the proceedings.
Dated at Sioux Falls, Minnehaha County, South Dakota, this 2nd day of February, 2026.
KARLA KALB, Clerk
BY: /s/ Alyssa King (Cortez)
Deputy
Published once on Feb. 6, 2026, at the approximate cost of $24.15, and may be viewed free of charge at www.sdpublicnotices.com or TheDakotaScout.com.
-
PUBLISH: Feb. 6, 2026
STATE OF SOUTH DAKOTA
COUNTY OF MINNEHAHA
:SS IN CIRCUIT COURT
SECOND JUDICIAL CIRCUIT
THE PEOPLE OF THE STATE OF SOUTH DAKOTA
EX REL, SOUTH DAKOTA DEPARTMENT OF SOCIAL SERVICES, IN THE INTEREST OF,
N D, E M, K M, E Z,
ALLEGED ABUSED/NEGLECTED CHILDREN
AND CONCERNING
IYUNG WASTE WIN ZEPHIER
LAWRENCE DAMIEN DE’SERSA, JR
UNKNOWN FATHER
ANTHONY JAMES MARTINEZ
RESPONDENTS
JUV25-001157
AMENDED
SUMMONS
(ALLEGED ABUSED OR NEGLECTED CHILD)
TO: IYUNG WASTE WIN ZEPHIER, LAWRENCE DAMIEN DE’SERSA, JR, UNKNOWN FATHER, ANTHONY JAMES MARTINEZ AND ALL WHOM IT MAY CONCERN
You are hereby summoned to appear before the above-named Court in its courtroom at the Minnehaha County Courthouse, 425 North Dakota Avenue, Sioux Falls, South Dakota, on May 20, 2026, at 9:00 AM to answer the Petition of BRIANNA PALOMAKI, now on file with the Clerk of said Court, alleging the above named Children to be an abused/neglected Children and praying that said Children be taken from you and that a guardian be appointed with authority to consent to the adoption of said Children. You must appear at the time and place set forth above to show cause, if any you have, why said Children should not be found abused/neglected and the prayer of said Petition granted or said Children otherwise dealt with. Failure to appear is an admission to the allegation(s) contained in the Petition. You are further notified that the termination of parental rights is a possible remedy of these proceedings and that you and the above-named Children have the right to have an attorney present at all stages of the proceedings.
Dated at Sioux Falls, Minnehaha County, South Dakota, this 2nd day of February, 2026.
KARLA KALB, Clerk
BY: /s/ Alyssa King (Cortez)
Deputy
Published once on Feb. 6, 2026, at the approximate cost of $26.09, and may be viewed free of charge at www.sdpublicnotices.com or TheDakotaScout.com.
-
PUBLISH: Feb. 6, 2026
STATE OF SOUTH DAKOTA
COUNTY OF MINNEHAHA
:SS IN CIRCUIT COURT
SECOND JUDICIAL CIRCUIT
THE PEOPLE OF THE STATE OF SOUTH DAKOTA
EX REL, SOUTH DAKOTA DEPARTMENT OF SOCIAL SERVICES, IN THE INTEREST OF,
R M, JR.,
ALLEGED ABUSED/NEGLECTED CHILD
AND CONCERNING
ILLYANNA ALORA MARTIN
UNKNOWN FATHER
RESPONDENTS
JUV25-001204
AMENDED
SUMMONS
(ALLEGED ABUSED OR NEGLECTED CHILD)
TO: ILLYANNA ALORA MARTIN, UNKNOWN FATHER, Russell Bordeaux
AND ALL WHOM IT MAY CONCERN
You are hereby summoned to appear before the above-named Court in its courtroom at the Minnehaha County Courthouse, 425 North Dakota Avenue, Sioux Falls, South Dakota, on May 27, 2026, at 9:00 AM to answer the Petition of BRIANNA PALOMAKI, now on file with the Clerk of said Court, alleging the above named Child to be an abused/neglected Child and praying that said Child be taken from you and that a guardian be appointed with authority to consent to the adoption of said Child. You must appear at the time and place set forth above to show cause, if any you have, why said Child should not be found abused/neglected and the prayer of said Petition granted or said Child otherwise dealt with. Failure to appear is an admission to the allegation(s) contained in the Petition. You are further notified that the termination of parental rights is a possible remedy of these proceedings and that you and the above-named Child have the right to have an attorney present at all stages of the proceedings.
Dated at Sioux Falls, Minnehaha County, South Dakota, this 30th day of January, 2026.
KARLA KALB, Clerk
BY: /s/ Alyssa King (Cortez)
Deputy
Published once on Feb. 6, 2026, at the approximate cost of $24.15, and may be viewed free of charge at www.sdpublicnotices.com or TheDakotaScout.com.
-
PUBLISH: Feb. 6, 2026
STATE OF SOUTH DAKOTA
COUNTY OF MINNEHAHA
:SS IN CIRCUIT COURT
SECOND JUDICIAL CIRCUIT
THE PEOPLE OF THE STATE OF SOUTH DAKOTA
EX REL, SOUTH DAKOTA DEPARTMENT OF SOCIAL SERVICES, IN THE INTEREST OF,
N R,
ALLEGED ABUSED/NEGLECTED CHILD
AND CONCERNING
DAVID WARFIELD RICHARDS, JR.
ELIZABETH EMMA BELT
RESPONDENTS
JUV25-000626
2ND AMENDED
SUMMONS
(ALLEGED ABUSED OR NEGLECTED CHILD)
TO: ELIZABETH EMMA BELT
DAVID WARFIELD RICHARDS, JR.
AND ALL WHOM IT MAY CONCERN
You are hereby summoned to appear before the above-named Court in its courtroom at the Minnehaha County Courthouse, 425 North Dakota Avenue, Sioux Falls, South Dakota, on February 25, & 26, 2026, at 9:00 AM to answer the Petition of CARRIE MEES, now on file with the Clerk of said Court, alleging the above named Child to be an abused/neglected Child and praying that said Child be taken from you and that a guardian be appointed with authority to consent to the adoption of said Child. You must appear at the time and place set forth above to show cause, if any you have, why said Child should not be found abused/neglected and the prayer of said Petition granted or said Child otherwise dealt with. Failure to appear is an admission to the allegation(s) contained in the Petition. You are further notified that the termination of parental rights is a possible remedy of these proceedings and that you and the above-named Child have the right to have an attorney present at all stages of the proceedings.
Dated at Sioux Falls, Minnehaha County, South Dakota, this 2nd day of February, 2026.
KARLA KALB, Clerk
BY: /s/ Alyssa King (Cortez)
Deputy
Published once on Feb. 6, 2026, at the approximate cost of $24.80, and may be viewed free of charge at www.sdpublicnotices.com or TheDakotaScout.com.
-
PUBLISH: Feb. 6, 2026
STATE OF SOUTH DAKOTA
COUNTY OF MINNEHAHA
:SS IN CIRCUIT COURT
SECOND JUDICIAL CIRCUIT
THE PEOPLE OF THE STATE OF SOUTH DAKOTA
EX REL, SOUTH DAKOTA DEPARTMENT OF SOCIAL SERVICES, IN THE INTEREST OF,
D H, G H, M H, A T,
ALLEGED ABUSED/NEGLECTED CHILDREN
AND CONCERNING
ELDOTH LOUISE LECLAIRE
KEVIN FOSTER HUBBELING
MICHAEL ALLEN LECLAIRE
CHRISTOPHER WAYNE THUNDERHORSE
RESPONDENTS
JUV25-001609
SUMMONS
(ALLEGED ABUSED OR NEGLECTED CHILD)
TO: ELDOTH LOUISE LECLAIRE
KEVIN FOSTER HUBBELING
MICHAEL ALLEN LECLAIRE
CHRISTOPHER WAYNE THUNDERHORSE
AND ALL WHOM IT MAY CONCERN
You are hereby summoned to appear before the above-named Court in its courtroom at the Minnehaha County Courthouse, 425 North Dakota Avenue, Sioux Falls, South Dakota, on February 24, 2026, at 9:00 AM to answer the Petition of Carrie Mees/Brianna Palomaki/Lyndee Kamrath, now on file with the Clerk of said Court, alleging the above named Children to be an abused/neglected Children and praying that said Children be taken from you and that a guardian be appointed with authority to consent to the adoption of said Children. You must appear at the time and place set forth above to show cause, if any you have, why said Children should not be found abused/neglected and the prayer of said Petition granted or said Children otherwise dealt with. Failure to appear is an admission to the alleqatiorus) contained in the Petition. You are further notified that the termination of parental rights is a possible remedy of these proceedings and that you and the above named Children have the right to have an attorney present at all stages of the proceedings.
Dated at Sioux Falls, Minnehaha County, South Dakota, this 31st day of December, 2025.
KARLA KALB, Clerk
BY: /s/ Alyssa King (Cortez)
Deputy
Published once on Feb. 6, 2026, at the approximate cost of $27.05, and may be viewed free of charge at www.sdpublicnotices.com or TheDakotaScout.com.
-
PUBLISH: Feb. 6, 2026
STATE OF SOUTH DAKOTA
COUNTY OF MINNEHAHA
:SS IN CIRCUIT COURT
SECOND JUDICIAL CIRCUIT
IN THE MATTER OF
N R,
ALLEGED ABUSED/NEGLECTED CHILD
JUV25-000626
NOTICE OF ENTRY OF ORDER
TO: David Warfield Richards, Jr., Elizabeth Emma Belt, Oglala Sioux Tribe and all to whom it may concern:
You will take notice Orders of Adjudication affecting your parental rights was made and entered in the matter entitled above by the above entitled Court and filed with the Clerk and that attached hereto is a true and correct copy thereof.
Dated this 3rd day of February, 2026.
/s/Brianna Palomaki
Carrie Mees/Brianna Palomaki/Lyndee Kamrath
Deputy State’s Attorney
Minnehaha County State’s Attorney’s Office
415 N. Dakota Ave.
Sioux Falls, SD 57104
(605) 367-4226
Published once on Feb. 6, 2026, at the approximate cost of $12.88, and may be viewed free of charge at www.sdpublicnotices.com or TheDakotaScout.com.
The Dakota Scout is the official newspaper of the city of Sioux Falls, the Sioux Falls School District, the Harrisburg School District, Minnehaha and Lincoln counties, and the city of Baltic.





