Legals & Public Notices: April 10, 2026
City of Sioux Falls, Sioux Falls School District, City of Baltic, Minnehaha County, Lincoln County, Name Changes, Notices to Creditors, Foreclosure Sales, Summons, Abandoned Vehicle
CITY OF SIOUX FALLS
PUBLISH: Apr. 10, 2026
NOTICE OF HEARING UPON APPLICATIONS
FOR SALE OF ALCOHOLIC BEVERAGES
Notice is given that various Alcoholic Beverage Licenses are to be operated at various locations in Sioux Falls, South Dakota, as listed below.
The City Council will consider said applications at Carnegie Town Hall, 235 West Tenth Street, at 6:00 p.m., on April 21, 2026.
Any person interested may appear and be heard.
New 2026 Retail Wine License and New 2026-27 Retail Malt Beverage License for Modern Meze, 1524 South Sycamore Avenue.
New 2026-27 Retail Malt Beverage License for Tienda Mi Chapina LLC, 317 North West Avenue.
New 2026 Retail Wine License for Sheger, 600 North Cliff Avenue.
Transfer of 2025-26 Retail Malt Beverage License from Amsale Geberhiwot, Sheger Addis, 329 South Minnesota Avenue, to Sheger LLC, Sheger, 600 North Cliff Avenue.
Transfer of 2026 Package Liquor License from Casey’s, 1705 West Burnside Street, to Casey’s 2200 North Marion Road.
Transfer of 2026 Retail Liquor License from Granite Development LLC, Clarion Pointe Sioux Falls Airport, 5410 North Granite Lane, to Access Entertainment Group, Connexions Casino, 3235 South Sycamore Avenue, Suite A.
Transfer of 2025-26 Retail Malt Beverage License, including video lottery placement, from MG Oil Company, 777 Marion A, 811 South Marion Road, to MG Oil Company, 777 Marion C, 815 South Marion Road, Suite 100.
Transfer of 2026 Retail Liquor License from MG Oil Company, Detour Bar, 2501 West 10th Street, to MG Oil Company, 777 Marion A, 811 South Marion Road.
Special One-Day Wine Licenses for Downtown Sioux Falls, to be operated at the following locations: MK Threads, 222 South Phillips Avenue; Coffea Roasterie, 200 South Phillips Avenue; Adorn Piercing, 701 North Phillips Avenue, Unit 145; Bloom & Branch, 421 North Phillips Avenue, Unit 102; Studio 20/20, 311 South Phillips Avenue, Suite 100; Threads, 401 East 8th Street, Unit 102; Mint + Basil, 207 South Phillips Avenue; El’s Gallery, 330 South Phillips Avenue; Great Outdoor Store, 201 East 10th Street; Rehfeld’s Modern, 431 North Phillips Avenue; Fig & Fir Resale, 421 North Phillips Avenue, Unit 123; Spice & Tea Exchange, 328 South Phillips Avenue; Envive Chiropractic, 412 South 1st Avenue; Bechtold Jewelry, 325 South Phillips Avenue; Say Anything Jewelry, 225 South Phillips Avenue; Simply Perfect, 401 East 8th Street, Suite 108; JLG Architects, 232 South Main Avenue; Sticks & Steel, 401 East 8th Street, Suite 118; Canopy by Hilton, 120 East 4th Place; Matchbox Candle Company, 124 South Phillips Avenue; 8th & Railroad Center, 401 East 8th Street, Suite 200A; Hotel on Phillips, 100 North Phillips Avenue; Combine, 345 North Reid Place, Unit 122; Klein’s Office, 100 South Dakota Avenue, The One2 Apartments, 205 East 12th Street; Terra Shepherd Boutique, 218 South Phillips Avenue, for an Art & Wine Walk on May 1, 2026.
Special One-Day Malt Beverage and Special One-Day Wine Licenses for the Cathedral of Saint Joseph to be operated at 523 North Duluth Avenue for a concert reception on May 1, 2026.
Special One-Day Liquor License for the Zoological Society of Sioux Falls to be operated at the Great Plains Zoo, 805 South Kiwanis Avenue, for Zoofari on June 25, 2026.
Jamie L. Palmer
Licensing Specialist
City Attorney’s Office
Published once on Apr. 10, 2026, at the approximate cost of $42.19, and may be viewed free of charge at www.sdpublicnotices.com or TheDakotaScout.com.
PUBLISH: Apr. 10 & Apr. 17, 2026
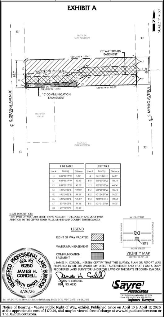
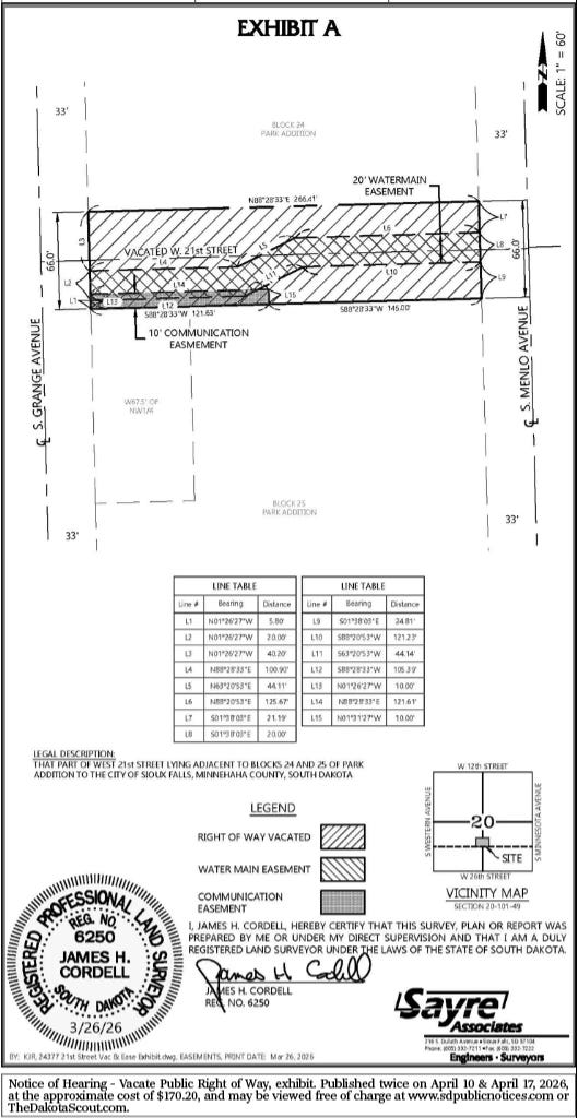
NOTICE OF HEARING –
VACATE PUBLIC RIGHT-OF-WAY
Notice is given that a petition has been filed by the owners of Block 24 of Park Addition to the City of Sioux Falls, Minnehaha County, South Dakota; Block 25 of Park Addition to the City of Sioux Falls, Minnehaha County, South Dakota, except the West 67.5’ of the Northwest Quarter (NW1/4) of Block 25; and The West 67.5’ of the Northwest Quarter (NW1/4), Block 25 of Park Addition to the City of Sioux Falls, Minnehaha County, South Dakota requesting the vacation of the West 21st Street right-of-way bounded by South Grange Avenue and South Menlo Avenue, as shown on Exhibit A..
The Council will consider said vacation at the Carnegie Town Hall, 235 W Tenth St., at 6 p.m., Tuesday, May 5, 2026.
Any person interested may appear and be heard.
Jermery J. Washington
City Clerk
Date: April 7, 2026
Published twice on Apr. 10 & Apr. 17, 2026, at the approximate cost of $22.63, and may be viewed free of charge at www.sdpublicnotices.com or TheDakotaScout.com.
-
PUBLISH: Apr. 10 & Apr. 17, 2026
-
PUBLISH: Apr. 10, 2026
NOTICE OF HEARING
JOINT COUNTY COMMISSION
AND CITY COUNCIL
Notice is hereby given that the Joint Minnehaha County Commission/Sioux Falls City Council and the Joint Lincoln County Commission/Sioux Falls City Council will meet on Tuesday, April 28, 2026, at 5 p.m., at Carnegie Town Hall, 235 W. 10th St., Sioux Falls. During this meeting, there will be a public hearing to consider recommendation for adoption and update to the Shape Sioux Falls 2050 Comprehensive Plan. The plan is on file with City Planning and Building Services located at City Center, 231 N. Dakota Ave. and on the City of Sioux Falls’ website at siouxfalls.gov/shapesf2050.
Published once on Apr. 10, 2026, at the approximate cost of $9.66, and may be viewed free of charge at www.sdpublicnotices.com or TheDakotaScout.com.
-
PUBLISH: Apr. 10, 2026
NOTICE OF HEARING
ZONING BOARD OF ADJUSTMENT
Notice is given that at the regular board meeting of the Sioux Falls City Board of Adjustment to be held at 6 p.m. on Monday, April 20, 2026, in Carnegie Town Hall, there will be a public hearing on the following variances to the 2013 Shape Places Zoning Ordinance:
Item BOA-022643-2026: Variance in the required (1) rear yard setback from 15’ to 2’; and (2)side yard setback from 5’ to 2’ to allow for a detached garage.
LOT 3 BLOCK 7 BEL AIRE ADDN TO CITY OF SIOUX FALLS
(1409 E. 24th St.)
Item BOA-022645-2026: Variance in the required (232 N. Nesmith Ave.) (1) front yard setback from 12’ to 2.6’; (2) side yard setback from 2’ to 1.7’; (3) front yard setback from 20’ to 8.6’ to allow for a garage that has direct access to the street; (4) rear yard setback from 10’ to 5.3’; (707 E. 7th St.) (5) front yard setback from 10’ to 5.1’; and (6) rear yard setback from 10’ to 1.1’ to allow for each existing house to be on its own lot.
LOT 9 BLOCK 7 DAKOTA IMPROVEMENTS CO’S ADDN TO CITY OF SIOUX FALLS
(232 N. Nesmith Ave.)
Item BOA-022691-2026: Variance in the required front yard setback from 25’ to 10’ to allow for a parking lot and a 6’ fence.
LOT 5 BLOCK 4 OF JANSMICK ADDN TO CITY OF SIOUX FALLS
(4500 N. Jansmick Cir.)
Item BOA-022724-2026: Variance in the required (1) front yard setback from 25’ to 0’; and (2)number of front yard trees from 7 to 0.
BLK 1 & LOT 1 BLOCK 4 PEN MOR ADDN TO CITY OF SIOUX FALLS
(2901 W. 7th St.)
The above-referenced variances are on file with City Zoning and Development Services located at the City Center, 231 N. Dakota Ave.
Published once on Apr. 10, 2026, at the approximate cost of $22.22, and may be viewed free of charge at www.sdpublicnotices.com or TheDakotaScout.com.
-
PUBLISH: Apr. 10 & Apr. 17, 2026
BID REQUEST NO.: 26-1080
NOTICE TO BIDDERS
The City of Sioux Falls, SD, requests formal bids for Light, Power & Traffic Campus Asphalt Paving.
To participate, you must be registered as a vendor on the e-procurement portal. Register at siouxfalls.bonfirehub.com by selecting “Register” next to the login tab. After you have registered, navigate to the Open Public Opportunities tab to view this Invitation to Bid. Bids will be electronically submitted through the e-procurement portal and will be received by the e-procurement portal not later than 2 p.m., Central time, April 30, 2026. Bids will be publicly opened and read at 3 p.m., Central time, City Hall, 224 W. 9th St., Sioux Falls, SD 57104. You may watch the bid opening virtually via Webex by utilizing information and links located at www.siouxfalls.gov/business-permits/bids-procurement/purchasing-bid-opening.
It is the bidder’s responsibility to check the e-procurement portal for any changes or updates to the Invitation to Bid, which will be in the form of an addendum posted to the e-procurement portal.
Telegraphic, fax, email, and hand-delivered responses will not be accepted unless specifically authorized in the terms and conditions of the Invitation to Bid.
The City of Sioux Falls reserves the right to reject any or all bids, waive technicalities, and make award(s) as deemed to be in the best interest of Sioux Falls, SD.
Published twice on Apr. 10 & Apr. 17, 2026, at the approximate cost of $32.49, and may be viewed free of charge at www.sdpublicnotices.com or TheDakotaScout.com.
-
PUBLISH: Apr. 10 & Apr. 17, 2026
BID REQUEST NO.: 26-1079
NOTICE TO BIDDERS
The City of Sioux Falls, SD, requests formal bids for 2026 Facilities On-Call Concrete Repairs.
To participate, you must be registered as a vendor on the e-procurement portal. Register at siouxfalls.bonfirehub.com by selecting “Register” next to the login tab. After you have registered, navigate to the Open Public Opportunities tab to view this Invitation to Bid. Bids will be electronically submitted through the e-procurement portal and will be received by the e-procurement portal not later than 2 p.m., Central time, April 30, 2026. Bids will be publicly opened and read at 3 p.m., Central time, City Hall, 224 W. 9th St., Sioux Falls, SD 57104. You may watch the bid opening virtually via Webex by utilizing information and links located at www.siouxfalls.gov/business-permits/bids-procurement/purchasing-bid-opening.
It is the bidder’s responsibility to check the e-procurement portal for any changes or updates to the Invitation to Bid, which will be in the form of an addendum posted to the e-procurement portal.
Telegraphic, fax, email, and hand-delivered responses will not be accepted unless specifically authorized in the terms and conditions of the Invitation to Bid.
The City of Sioux Falls reserves the right to reject any or all bids, waive technicalities, and make award(s) as deemed to be in the best interest of Sioux Falls, SD.
Published twice on Apr. 10 & Apr. 17, 2026, at the approximate cost of $32.49, and may be viewed free of charge at www.sdpublicnotices.com or TheDakotaScout.com.
-
PUBLISH: Apr. 10 & Apr. 17, 2026
BID REQUEST NO. 26-1000
NOTICE TO BIDDERS
The City of Sioux Falls, SD, requests formal bids for Transmission System
Improvements: 12th Street Water Main Installation – Phase 2A.
To participate, you must be registered as a vendor in the e-procurement portal. Register at siouxfalls.bonfirehub.com by selecting “Register” next to the login tab. After you have registered, navigate to the Open Public Opportunities tab to view this Invitation to Bid. Bids will be electronically submitted through the e-procurement portal and will be received by the e-procurement portal not later than 2 p.m., April 30, 2026. Bids will be publicly opened and read at 3 p.m., Central time, City Hall, 224 W. 9th St., Sioux Falls, SD 57104. You may watch the bid opening virtually via Webex by utilizing information and links located at www.siouxfalls.gov/purchasing.
It is the bidder’s responsibility to check the e-procurement portal for any changes or updates to the Invitation to Bid, which will be in the form of an addendum posted to the e-procurement portal.
The City of Sioux Falls reserves the right to reject any or all bids, waive technicalities, and make award(s) as deemed to be in the best interest of Sioux Falls, SD.
Federal financial assistance will be used to fund all or a portion of the contract. The contractor will comply with all applicable federal laws, regulations, executive orders, federal policies, procedures, and directives including, but not limited to 2 CFR §§200.318-200.327.
The City of Sioux Falls has adopted a Disadvantaged Business Enterprise Plan. This plan expresses the commitment of the City of Sioux Falls that disadvantaged business enterprises have the maximum opportunity to compete for and perform federally assisted contracts and subcontracts.
The City of Sioux Falls Program Administrator will be available to assist in the facilitation of identifying those certified disadvantaged business enterprises, if any, within the state of South Dakota.
Bidders for this work will be required to comply with the President’s Executive Order No(s). 11518 and 11625 as amended. The requirements for bidders and contractors under these orders are explained in the specifications.
Bidders on this work will be required to comply with Title 40 CFR 33 and Executive Order 12138. The requirements for bidders and contractors under this regulation, which concerns utilization of Disadvantaged Business Enterprises (DBE), are explained in the specifications. The DBE goals for participation in this contract in terms of percentage of contract value are as follows: MBE 1.5 percent; WBE 2.4 percent.
Only firms certified at the time of the letting and included on the DBE Directory, will count toward DBE participation.
Davis-Bacon and Related Acts wages DO NOT apply to this project.
All bidders must be registered in the System for Award Management (SAM.gov), provide their Unique Entity Identifier (UEI), and have an active status.
Bidders must also certify that they are in compliance with all federal requirements applicable to the assistance received (including those imposed by the Infrastructure Investment and Jobs Act (“IIJA”), Public Law No. 117-58, which the bidder understands includes, but is not limited to, the following requirements: that all of the iron and steel, manufactured products, and construction materials used in the project are to be produced in the United States (“Build America, Buy America Requirements”). Bidders must also comply with all record-keeping and reporting requirements under all applicable legal authorities, including any reports required by the funding authority (such as EPA and/or a state), such as performance indicators for program deliverables, cost information, and project progress.
Please be advised that waivers or exemptions from the Build America, Buy America Act provision that cites International Trade Agreements DO NOT comply with the Build America, Buy America Act as it applies to the SRF programs. Claims from suppliers that the Build America, Buy America Act provision do not apply to certain products based on the International Trade Agreement exemptions of the Build America, Buy America Act (Public Law No. 117-58) will not be accepted.
The low responsive bidder must assure compliance with the requirements of Public Law 115-232, Section 889, Prohibition on Certain Telecommunications and Video Surveillance Services or Equipment. Contractors must assure that telecommunications equipment produced by Huawei Technologies Company or ZTE Corporation (or any subsidiary or affiliate of such entities), and video surveillance and telecommunications equipment produced by Hytera Communications Corporation, Hangzhou Hikvision Digital Technology Company, or Dahua Technology Company (or any subsidiary or affiliate of such entities) WILL NOT be supplied for the project.
Your special attention is invited to the attached Bidders Activity Report (BAR), Forms A and B, and Debar-2 form. The BAR form must be completed and submitted with your bid proposal, along with either Form A or Form B, and Debar-2 form. Failure to submit the Form BAR, appropriate form A or B, and Debar-2 form will cause the bid to be rejected. Completion of the Bidders Activity Report is necessary in order to fulfill the requirements of obtaining a complete list of contractors contacted with regard to this project, in accordance with 49 CFR 26.11c. Statistical information used from the Bidders Activity Report will be used in the calculation of the next year’s DBE goals. By completing Form A, you are advising the City how the contract goal will be met. In the event you believe you will be unable to meet the goals, the attached Form B must be completed and submitted with the Bid Proposal. Please be advised that good-faith efforts will be subjected to close scrutiny and if the good-faith effort submission is unacceptable, your bid will be rejected.
Information regarding a project sign for the Bipartisan Infrastructure Law (BIL) for the State Revolving Fund Programs for BIL-funded projects must be included. Information for the BIL project sign requirements may be found at https://danr.sd.gov/Funding/docs/BIL%20Guidelines.pdf.
The City of Sioux Falls, upon request, shall furnish at least one copy of the plans and specifications, without charge, to each contractor resident in South Dakota who intends, in good faith, to bid upon the public improvement.
A Prebid Conference will be held on Thursday, April 23, 2026, at 10:30 AM. The Prebid conference will be held virtually via Webex. The link for the meeting is listed below:
https://siouxfalls.webex.com/siouxfalls/j.php?MTID=m6d836e9ce0898dce16ee3fbb5c93eda7
Published twice on Apr. 10 & Apr. 17, 2026, at the approximate cost of $141.53, and may be viewed free of charge at www.sdpublicnotices.com or TheDakotaScout.com.
-
PUBLISH: Apr. 10 & Apr. 17, 2026
BID REQUEST NO. 26-0064
NOTICE TO BIDDERS
The City of Sioux Falls, SD, requests formal bids for the purchase of Truck-mounted Utility Body with Crane and Installation.
To participate, you must be registered as a vendor in the e-procurement portal. Register at siouxfalls.bonfirehub.com by selecting “Register” next to the login tab. After you have registered, navigate to the Open Public Opportunities tab to view this invitation for bid. Bids will be electronically submitted through the e-procurement portal and will be received by the portal not later than 2 p.m., Central time, April 23, 2026. Immediately thereafter, the bids will be publicly opened and read at 3 p.m., Central time, City Hall, 224 W. 9th St., Sioux Falls, SD 57104. You may watch the bid opening virtually via Webex by utilizing information and links located at www.siouxfalls.gov/purchasing.
There will be a pre-bid meeting held on April 16, 2026, at 11:00 a.m. at the Fleet Conference Room, 1000 E. Chambers Ave., Sioux Falls, SD, 57104, for interested bidders.
It is the vendor’s responsibility to check the e-procurement portal for any changes or updates to the invitation for bid, which will be in the form of an addendum posted to the portal.
Telegraphic, fax, email, and hand-delivered responses will not be accepted unless specifically authorized in the terms and conditions of the solicitation.
The City of Sioux Falls reserves the right to reject any or all bids, waive technicalities, and make award(s) as deemed to be in the best interest of Sioux Falls, SD.
Published twice on Apr. 10 & Apr. 17, 2026, at the approximate cost of $35.97, and may be viewed free of charge at www.sdpublicnotices.com or TheDakotaScout.com.
-
PUBLISH: Apr. 10 & Apr. 17, 2026
BID REQUEST NO. 26-0062
NOTICE TO BIDDERS
The City of Sioux Falls, SD, requests formal bids for the purchase of Liftgates and Snowplows.
To participate, you must be registered as a vendor in the e-procurement portal. Register at siouxfalls.bonfirehub.com by selecting “Register” next to the login tab. After you have registered, navigate to the Open Public Opportunities tab to view this invitation for bid. Bids will be electronically submitted through the e-procurement portal and will be received by the portal not later than 2 p.m., Central time, April 23, 2026. Immediately thereafter, the bids will be publicly opened and read at 3 p.m., Central time, City Hall, 224 W. 9th St., Sioux Falls, SD 57104. You may watch the bid opening virtually via Webex by utilizing information and links located at www.siouxfalls.gov/purchasing.
There will be a pre-bid meeting held on April 15, 2026, at 10 a.m. at the Fleet Conference Room, 1000 E. Chambers Ave., Sioux Falls, SD, 57104, for interested bidders.
It is the vendor’s responsibility to check the e-procurement portal for any changes or updates to the invitation for bid, which will be in the form of an addendum posted to the portal.
Telegraphic, fax, email, and hand-delivered responses will not be accepted unless specifically authorized in the terms and conditions of the solicitation.
The City of Sioux Falls reserves the right to reject any or all bids, waive technicalities, and make award(s) as deemed to be in the best interest of Sioux Falls, SD.
Published twice on Apr. 10 & Apr. 17, 2026, at the approximate cost of $35.39, and may be viewed free of charge at www.sdpublicnotices.com or TheDakotaScout.com.
-
PUBLISH: Apr. 3 & Apr. 10, 2026
BID REQUEST NO.: 26-1074
NOTICE TO BIDDERS
The City of Sioux Falls, SD, requests formal bids for Fire Station No. 2 – Driveway Replacement.
To participate, you must be registered as a vendor on the e-procurement portal. Register at siouxfalls.bonfirehub.com by selecting “Register” next to the login tab. After you have registered, navigate to the Open Public Opportunities tab to view this Invitation to Bid. Bids will be electronically submitted through the e-procurement portal and will be received by the e-procurement portal not later than 2 p.m., Central time, April 23, 2026. Bids will be publicly opened and read at 3 p.m., Central time, City Hall, 224 W. 9th St., Sioux Falls, SD 57104. You may watch the bid opening virtually via Webex by utilizing information and links located at www.siouxfalls.gov/business-permits/bids-procurement/purchasing-bid-opening.
It is the bidder’s responsibility to check the e-procurement portal for any changes or updates to the Invitation to Bid, which will be in the form of an addendum posted to the e-procurement portal.
Telegraphic, fax, email, and hand-delivered responses will not be accepted unless specifically authorized in the terms and conditions of the Invitation to Bid.
The City of Sioux Falls reserves the right to reject any or all bids, waive technicalities, and make award(s) as deemed to be in the best interest of Sioux Falls, SD.
Published twice on Apr. 3 & Apr. 10, 2026, at the approximate cost of $32.49, and may be viewed free of charge at www.sdpublicnotices.com or TheDakotaScout.com.
-
PUBLISH: Apr. 3 & Apr. 10, 2026
BID REQUEST NO. 26-0059
NOTICE TO BIDDERS
The City of Sioux Falls, SD, requests formal bids for a Tandem Axle Semi Tractor.
To participate, you must be registered as a vendor in the e-procurement portal. Register at siouxfalls.bonfirehub.com by selecting “Register” next to the login tab. After you have registered, navigate to the Open Public Opportunities tab to view this invitation for bid. Bids will be electronically submitted through the e-procurement portal and will be received by the portal not later than 2 p.m., Central time, April 16, 2026. Immediately thereafter, the bids will be publicly opened and read at 3 p.m., Central time, City Hall, 224 W. 9th St., Sioux Falls, SD 57104. You may watch the bid opening virtually via Webex by utilizing information and links located at www.siouxfalls.gov/purchasing.
There will be a pre-bid meeting held on April 9, 2026, at 9 a.m. at the Fleet Conference Room, 1000 E. Chambers Ave., Sioux Falls, SD, 57104, for interested bidders.
It is the vendor’s responsibility to check the e-procurement portal for any changes or updates to the invitation for bid, which will be in the form of an addendum posted to the portal.
Telegraphic, fax, email, and hand-delivered responses will not be accepted unless specifically authorized in the terms and conditions of the solicitation.
The City of Sioux Falls reserves the right to reject any or all bids, waive technicalities, and make award(s) as deemed to be in the best interest of Sioux Falls, SD.
Published twice on Apr. 3 & Apr. 10, 2026, at the approximate cost of $34.80, and may be viewed free of charge at www.sdpublicnotices.com or TheDakotaScout.com.
-
PUBLISH: Apr. 3 & Apr. 10, 2026
BID REQUEST NO. 26-0032
REQUEST FOR PROPOSALS
The City of Sioux Falls, SD, requests competitive sealed proposals for Fats, Oils, and Greases (FOG) and Digester Gas Pre-Design and Facility Plan.
To participate, proposers must be registered as a vendor in the e-procurement portal. Register at siouxfalls.bonfirehub.com by selecting “Register” next to login tab. After you have registered, navigate to the Open Public Opportunities tab to view the solicitation. Proposals will be electronically submitted through the e-procurement portal and will be received by the portal not later than 2 p.m., Central time, May 7, 2026. Proposals will be publicly opened but not read at 3 p.m., Central time, City Hall, 224 W. 9th St., Sioux Falls, SD 57104. You may watch the bid opening virtually via Webex by utilizing information and links located at www.siouxfalls.gov/purchasing.
It is the vendor’s responsibility to check the e-procurement portal for any changes or updates to the Competitive Sealed Proposal, which will be in the form of an addendum posted to the solicitation in the e-procurement portal.
Telegraphic, fax, email, and hand-delivered responses will not be accepted unless specifically authorized in the terms and conditions of the solicitation.
The City of Sioux Falls reserves the right to reject any or all bids or proposals, waive technicalities, and make award(s) as deemed to be in the best interest of Sioux Falls, SD.
Published twice on Apr. 3 & Apr. 10, 2026, at the approximate cost of $33.65, and may be viewed free of charge at www.sdpublicnotices.com or TheDakotaScout.com.
-
PUBLISH: Apr. 10, 2026
ORDINANCE NO. 20-26
AN ORDINANCE OF THE CITY OF SIOUX FALLS, SD, REZONING PROPERTY LOCATED AT 5800 S. SYCAMORE AVE. FROM THE RS SINGLE-FAMILY RESIDENTIAL—SUBURBAN AND RD-1 TWIN HOME/DUPLEX RESIDENTIAL—SUBURBAN DISTRICTS TO THE CN CONSERVATION AND RCD RESIDENTIAL CLUSTER DEVELOPMENT PUD DISTRICTS, NO. 22350-2026, AND AMENDING THE OFFICIAL ZONING MAP OF THE CITY OF SIOUX FALLS.
BE IT ORDAINED BY THE CITY OF SIOUX FALLS, SD:
A Portion of the SW1/4 of the SW1/4 in Section 8-T100N-R49W, As Shown by Exhibit, City of Sioux Falls, Lincoln County, SD is hereby rezoned from the RS Single-Family Residential—Suburban and RD-1 Twin Home/Duplex Residential—Suburban Districts to the CN Conservation and RCD Residential Cluster Development PUD Districts located at 5800 S. Sycamore Ave., and the official zoning map of the City of Sioux Falls is amended to include the rezoning.
Date adopted: 04/07/26.
Paul TenHaken, Mayor
ATTEST:
Jermery J. Washington,
City Clerk
Published once on Apr. 10, 2026, at the approximate cost of $14.82, and may be viewed free of charge at www.sdpublicnotices.com or TheDakotaScout.com.
-
PUBLISH: Apr. 10, 2026
-
PUBLISH: Apr. 10, 2026
ORDINANCE NO. 21-26
AN ORDINANCE OF THE CITY OF SIOUX FALLS, SD, REZONING PROPERTY LOCATED NORTH OF E. 41ST ST. AND WEST OF S. SIX MILE RD. FROM THE RS SINGLE-FAMILY RESIDENTIAL—SUBURBAN DISTRICT TO THE RD 2 TOWNHOME RESIDENTIAL—SUBURBAN DISTRICT, NO. 22469-2026, AND AMENDING THE OFFICIAL ZONING MAP OF THE CITY OF SIOUX FALLS.
BE IT ORDAINED BY THE CITY OF SIOUX FALLS, SD:
A portion of Tract 2, Iverson Estates, Section 30-T101N-R48W, as Shown by Exhibit, City of Sioux Falls, Minnehaha County, SD, is hereby rezoned from the RS Single-Family Residential—Suburban District to the RD-2 Townhome Residential—Suburban District located north of E. 41st St. and west of S. Six Mile Rd., and the official zoning map of the City of Sioux Falls is amended to include the rezoning.
Date adopted: 04/07/26.
Paul TenHaken, Mayor
ATTEST:
Jermery J. Washington,
City Clerk
Published once on Apr. 10, 2026, at the approximate cost of $13.21, and may be viewed free of charge at www.sdpublicnotices.com or TheDakotaScout.com.
-
PUBLISH: Apr. 10, 2026
-
PUBLISH: Apr. 10, 2026
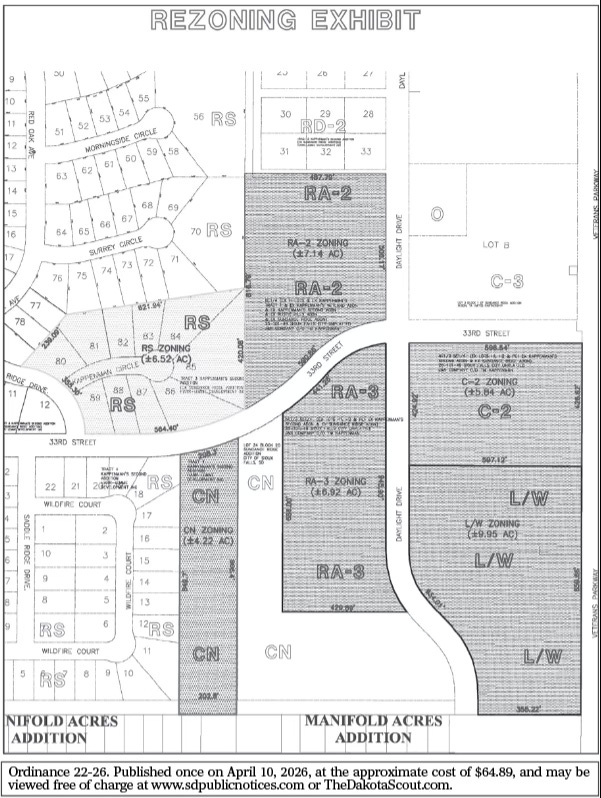
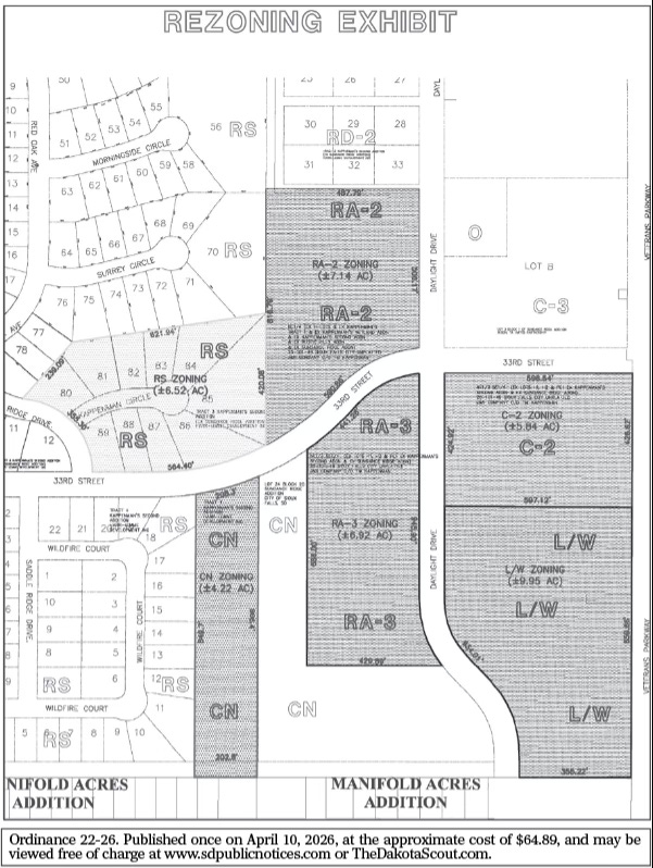
ORDINANCE NO. 22-26
AN ORDINANCE OF THE CITY OF SIOUX FALLS, SD, REZONING PROPERTY LOCATED SOUTH OF E. 33RD AND WEST OF VETERANS PKWY. FROM THE RS SINGLE-FAMILY RESIDENTIAL—SUBURBAN, RD-1 TWIN HOME/DUPLEX RESIDENTIAL—SUBURBAN, RD-2 TOWNHOME RESIDENTIAL—SUBURBAN, RA 2 APARTMENT RESIDENTIAL—MODERATE DENSITY, AND C-2 COMMERCIAL—NEIGHBORHOOD AND STREETCAR DISTRICTS TO THE CN CONSERVATION, RS SINGLE-FAMILY RESIDENTIAL—SUBURBAN, RA-2 APARTMENT RESIDENTIAL—MODERATE DENSITY, RA-3 APARTMENT RESIDENTIAL—HIGH DENSITY, AND LW LIVE-WORK DISTRICTS, NO. 22473-2026, AND AMENDING THE OFFICIAL ZONING MAP OF THE CITY OF SIOUX FALLS.
BE IT ORDAINED BY THE CITY OF SIOUX FALLS, SD:
Portions of Tract 1, 3, and 4, Kappenman’s Second Addition and Portions of Section 25 T101N-R49W, As Shown by Exhibit, City of Sioux Falls, Minnehaha County, SD, is hereby rezoned from the RS Single-Family Residential—Suburban, RD-1 Twin Home/Duplex Residential—Suburban, RD-2 Townhome Residential—Suburban, RA 2 Apartment Residential—Moderate Density, and C-2 Commercial—Neighborhood and Streetcar Districts to the CN Conservation, RS Single-Family Residential—Suburban, RA-2 Apartment Residential—Moderate Density, RA-3 Apartment Residential—High Density, and LW Live-Work Districts located south of E. 33rd and west of Veterans Pkwy., and the official zoning map of the City of Sioux Falls is amended to include the rezoning.
Date adopted: 04/07/26.
Paul TenHaken, Mayor
ATTEST:
Jermery J. Washington,
City Clerk
Published once on Apr. 10, 2026, at the approximate cost of $21.90, and may be viewed free of charge at www.sdpublicnotices.com or TheDakotaScout.com.
-
PUBLISH: Apr. 10, 2026
-
PUBLISH: Apr. 10, 2026
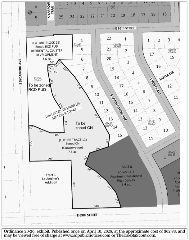
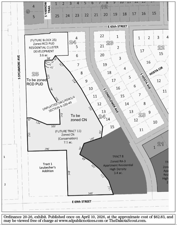
ORDINANCE NO. 23-26
AN ORDINANCE OF THE CITY OF SIOUX FALLS, SD, REZONING PROPERTY LOCATED SOUTH OF E. 69TH ST. AND WEST OF S. SYCAMORE AVE. FROM THE CN CONSERVATION, RT-2 TOWNHOME RESIDENTIAL—TRADITIONAL, AND RA 2 APARTMENT RESIDENTIAL—MODERATE DENSITY DISTRICTS TO THE RD 2 TOWNHOME RESIDENTIAL—SUBURBAN DISTRICT, NO. 22484-2026, AND AMENDING THE OFFICIAL ZONING MAP OF THE CITY OF SIOUX FALLS.
BE IT ORDAINED BY THE CITY OF SIOUX FALLS, SD:
A Portion of the W1/2 of the NE1/4 in Section 18-T100N-R49W, As Shown by Exhibit, City of Sioux Falls, Lincoln County, SD, is hereby rezoned from the CN Conservation, RT-2 Townhome Residential—Traditional, and RA-2 Apartment Residential—Moderate Density Districts to the RD-2 Townhome Residential—Suburban District located south of E. 69th St. and west of S. Sycamore Ave., and the official zoning map of the City of Sioux Falls is amended to include the rezoning.
Date adopted: 04/07/26.
Paul TenHaken, Mayor
ATTEST:
Jermery J. Washington,
City Clerk
Published once on Apr. 10, 2026, at the approximate cost of $15.14 and may be viewed free of charge at www.sdpublicnotices.com or TheDakotaScout.com.
-
PUBLISH: Apr. 10, 2026
-
PUBLISH: Apr. 10, 2026
MINUTES
Regular City Council Meeting
Tuesday, April 7, 2026, at 6:00 PM
Carnegie Town Hall, 235 West 10th St., Sioux Falls, South Dakota 57104
CALL TO ORDER
1. MEETING ROLL CALL
Present: Council Member Rich Merkouris, Council Member Jennifer Sigette, Council Member Curt Soehl, Council Member Ryan Spellerberg, Council Member Richard L. Thomason, Council Member Miranda Basye, Mayor Paul TenHaken
Absent: Council Member David Barranco, Council Member Vernon Brown
2. INVOCATION
• Jen Luke, Director of Congregational Life, First Congregational United Church of Christ
3. PLEDGE OF ALLEGIANCE
CONSENT AGENDA
4. APPROVAL OF THE CONSENT AGENDA
A motion was made by Council Member Merkouris and seconded by Council Member Basye to approve the Consent Agenda.
A motion was made by Council Member Merkouris and seconded by Council Member Sigette to amend by withdrawing Item 48.
Roll call vote to amend. 6 Yes: Merkouris, Sigette, Soehl, Spellerberg, Thomason, Basye; 0 No: (None). Motion Passed.
Roll call vote to approve, as amended. 6 Yes: Merkouris, Sigette, Soehl, Spellerberg, Thomason, Basye; 0 No: (None). Motion Passed.
5. APPROVAL OF MINUTES
• City Council Meeting of Tuesday, March 17, 2026
COMMUNICATIONS
6. Approval of contracts/agreements over $100K on the memorandum dated April 3, 2026.
7. Approval of a request pursuant to SDCL 35-1-5.5 from Mckenzie Ochsner and Rayn Light to consume, but not sell, alcoholic beverages at the Mary Jo Wegner Arboretum, 1900 S. Perry Pl., on May 2, 2026.
8. Approval of a request pursuant to SDCL 35-1-5.5 from the SDSU Alumni & Foundation to consume, but not sell, alcoholic beverages at Arrowhead House, 2100 S. River Bluff Rd, on August 6, 2026.
9. Approval of the SIOUXPERHERO Committee’s recommendation that the City Council award the SIOUXPERHERO Citizen Recognition Award to: Pastor Jeff Hayes.
APPLICATIONS
10. Special One-Day Liquor License for T Slat Inc., to be operated at the Sandford Event Barn, 2510 East 54th Street North, for a social hour on April 9, 2026.
11. Special One-Day Liquor License for T Slat Inc., to be operated at Montgomery’s, 1725 West 41st Street, for a Chamber Mixer on April 14, 2026.
12. Special One-Day Liquor Licenses for Someday Café & Doghouse Bar LLC to be operated at The Social, 301 South Thompson Avenue, for special events on May 2 and June 6, 2026.
13. Special One-Day Malt Beverage and Special One-Day Wine Licenses for Interstate House of Pancakes Inc., to be operated at the Old Courthouse Museum, 200 West 6th Street, for a fundraiser on May 27, 2026.
14. Special One-Day Liquor License for Interstate House of Pancakes Inc., to be operated at the Mosaic, 500 North Main Avenue, for a wedding on July 11, 2026.
15. Special One-Day Liquor Licenses for Great Bear Recreation Park Inc., 5901 East Rice Street, for weddings on August 8, 22 and 29, 2026.
16. Special One-Day Liquor License for Interstate House of Pancakes to be operated at the Old Courthouse Museum, 200 West 6th Street, for a wedding on April 3, 2027.
The City Council concurs with the Minnehaha County Commission’s recommendation for approval of the following abatements:
17. Parcel #28492, for 2025 property taxes in the amount of $707.72. Reason: Assessment Freeze for the Elderly and Disabled.
18. Parcel #30311, for 2025 property taxes in the amount of $1,206.55. Reason: Assessment Freeze for the Elderly and Disabled.
19. Parcel #33545, for 2025 property taxes in the amount of $1,092.50. Reason: Assessment Freeze for the Elderly and Disabled.
20. Parcel #40122, for 2025 property taxes in the amount of $1,416.80. Reason: Assessment Freeze for the Elderly and Disabled.
21. Parcel #40122, for 2025 property taxes in the amount of $1,416.80. Reason: Assessment Freeze for the Elderly and Disabled.
22. Parcel #40850, for 2025 property taxes in the amount of $651.38. Reason: Assessment Freeze for the Elderly and Disabled.
23. Parcel #44064, for 2025 property taxes in the amount of $434.98. Reason: Applicant qualifies for exemption under SDCL 10-4-40 & 10-4-41 (Disabled Veteran).
24. Parcel #59585, for 2025 property taxes in the amount of $2,602.73. Reason: Applicant qualifies for exemption under SDCL 10-4-40 & 10-4-41 (Disabled Veteran).
25. Parcel #68139, for 2025 property taxes in the amount of $223.00. Reason: Mobile home was sold and moved to another county.
26. Parcel #78279, for 2024 property taxes in the amount of $825.35. Reason: Applicant qualifies for exemption under SDCL 10-4-40 & 10-4-41 (Disabled Veteran).
27. Parcel #78279, for 2025 property taxes in the amount of $2,602.73. Reason: Applicant qualifies for exemption under SDCL 10-4-40 & 10-4-41 (Disabled Veteran).
28. Parcel #80763, for 2025 property taxes in the amount of $1,095.61. Reason: Applicant qualifies for exemption under SDCL 10-4-40 & 10-4-41 (Disabled Veteran).
29. Parcel #97503, for 2024 property taxes in the amount of $4,366.84. Reason: An error has been made in any identifying entry or description of the real property, in entering the valuation of the real property or in the extension of the tax, to the injury of the complainant.
30. Parcel #97503, for 2025 property taxes in the amount of $4,302.65. Reason: An error has been made in any identifying entry or description of the real property, in entering the valuation of the real property or in the extension of the tax, to the injury of the complainant.
31. Parcel #15155, for 2025 property taxes in the amount of $476.22. Reason: The property is exempt from the tax.
32. Parcel #35037, for 2025 property taxes in the amount of $1,306.86. Reason: Assessment Freeze for the Elderly and Disabled.
33. Parcel #35438, for 2025 property taxes in the amount of $1,214.80. Reason: Assessment Freeze for the Elderly and Disabled.
34. Parcel #36880, for 2025 property taxes in the amount of $2,895.44. Reason: Assessment Freeze for the Elderly and Disabled.
35. Parcel #37697, for 2025 property taxes in the amount of $770.16. Reason: Assessment Freeze for the Elderly and Disabled.
36. Parcel #38754, for 2025 property taxes in the amount of $1,820.81. Reason: Assessment Freeze for the Elderly and Disabled.
37. Parcel #45839, for 2025 property taxes in the amount of $1,283.50. Reason: Assessment Freeze for the Elderly and Disabled.
38. Parcel #48185, for 2025 property taxes in the amount of $979.81. Reason: Assessment Freeze for the Elderly and Disabled.
39. Parcel #62511, for 2025 property taxes in the amount of $656.04. Reason: Applicant qualifies for exemption under SDCL 10-4-40 & 10-4-41 (Disabled Veteran).
40. Parcel #64891, for 2025 property taxes in the amount of $1,210.68. Reason: Assessment Freeze for the Elderly and Disabled.
41. Parcel #68949, for 2025 property taxes in the amount of $856.11. Reason: Assessment Freeze for the Elderly and Disabled.
42. Parcel #69415, for 2025 property taxes in the amount of $352.33. Reason: The property is exempt from the tax.
43. Parcel #89311, for 2025 property taxes in the amount of $1,408.55. Reason: Assessment Freeze for the Elderly and Disabled.
44. Parcel #94175, for 2025 property taxes in the amount of $49.82. Reason: The property is exempt from the tax.
45. Parcel #67139, for 2025 property taxes in the amount of $0.0. Reason: Assessment Freeze for the Elderly and Disabled.
46. Parcel #68384, for 2025 property taxes in the amount of $0.0. Reason: Assessment Freeze for the Elderly and Disabled.
The City Council concurs with the Lincoln County Commission’s recommendation for approval of the following abatements:
47. Parcel #100.50.30.A190, for 2025 property taxes in the amount of $966.20. Reason: The property is exempt from the tax.
NOTICE OF HEARINGS
48. Set a date of hearing for Tuesday, April 21, 2026. New 2026 Retail Wine License and New 2025-26 Retail Malt Beverage License for Luxe Lounge and Kitchen LLC, 114 North Indiana Avenue.
49. Set a date of hearing for Tuesday, April 21, 2026. New 2026 Retail Wine License and New 2026-27 Retail Malt Beverage License for Modern Meze, 1524 South Sycamore Avenue.
50. Set a date of hearing for Tuesday, April 21, 2026. New 2025-26 Retail Malt Beverage License for Tienda Mi Chapina LLC, 317 North West Avenue.
51. Set a date of hearing for Tuesday, April 21, 2026. New 2026 Retail Wine License for Sheger, 600 North Cliff Avenue.
52. Set a date of hearing for Tuesday, April 21, 2026. Transfer of 2025-26 Retail Malt Beverage License from Amsale Geberhiwot, Sheger Addis, 329 South Minnesota Avenue, to Sheger LLC, Sheger, 600 North Cliff Avenue.
53. Set a date of hearing for Tuesday, April 21, 2026. Transfer of 2026 Package Liquor License from Casey’s, 1705 West Burnside Street, to Casey’s 2200 North Marion Road.
54. Set a date of hearing for Tuesday, April 21, 2026. Transfer of 2026 Retail Liquor License from Granite Development LLC, Clarion Pointe Sioux Falls Airport, 5410 North Granite Lane, to Access Entertainment Group, Connexions Casino, 3235 South Sycamore Avenue, Suite A.
55. Set a date of hearing for Tuesday, April 21, 2026. Transfer of 2025-26 Retail Malt Beverage License, including video lottery placement, from MG Oil Company, 777 Marion A, 811 South Marion Road, to MG Oil Company, 777 Marion C, 815 South Marion Road, Suite 100.
56. Set a date of hearing for Tuesday, April 21, 2026. Transfer of 2026 Retail Liquor License from MG Oil Company, Detour Bar, 2501 West 10th Street, to MG Oil Company, 777 Marion A, 811 South Marion Road.
57. Set a date of hearing for Tuesday, April 21, 2026. Special One-Day Wine Licenses for Downtown Sioux Falls, to be operated at the following locations: MK Threads, 222 South Phillips Avenue; Coffea Roasterie, 200 South Phillips Avenue; Adorn Piercing, 701 North Phillips Avenue, Unit 145; Bloom & Branch, 421 North Phillips Avenue, Unit 102; Studio 20/20, 311 South Phillips Avenue, Suite 100; Threads, 401 East 8th Street, Unit 102; Mint + Basil, 207 South Phillips Avenue; El’s Gallery, 330 South Phillips Avenue; Great Outdoor Store, 201 East 10th Street; Rehfeld’s Modern, 431 North Phillips Avenue; Fig & Fir Resale, 421 North Phillips Avenue, Unit 123; Spice & Tea Exchange, 328 South Phillips Avenue; Envive Chiropractic, 412 South 1st Avenue; Bechtold Jewelry, 325 South Phillips Avenue; Say Anything Jewelry, 225 South Phillips Avenue; Simply Perfect, 401 East 8th Street, Suite 108; JLG Architects, 232 South Main Avenue; Sticks & Steel, 401 East 8th Street, Suite 118; Canopy by Hilton, 120 East 4th Place; Matchbox Candle Company, 124 South Phillips Avenue; 8th & Railroad Center, 401 East 8th Street, Suite 200A; Hotel on Phillips, 100 North Phillips Avenue; Combine, 345 North Reid Place, Unit 122; Klein’s Office, 100 South Dakota Avenue, The One2 Apartments, 205 East 12th Street; Terra Shepherd Boutique, 218 South Phillips Avenue, for an Art & Wine Walk on May 1, 2026.
58. Set a date of hearing for Tuesday, April 21, 2026. Special One-Day Malt Beverage and Special One-Day Wine Licenses for the Cathedral of Saint Joseph to be operated at 523 North Duluth Avenue for a concert reception on May 1, 2026.
59. Set a date of hearing for Tuesday, April 21, 2026. Special One-Day Liquor License for the Zoological Society of Sioux Falls to be operated at the Great Plains Zoo, 805 South Kiwanis Avenue, for Zoofari on June 25, 2026.
REGULAR AGENDA
60. APPROVAL OF THE REGULAR AGENDA
A motion was made by Council Member Basye and seconded by Council Member Spellerberg to approve the Regular Agenda.
Roll call vote to approve. 6 Yes: Merkouris, Sigette, Soehl, Spellerberg, Thomason, Basye; 0 No: (None). Motion Passed.
UNFINISHED BUSINESS
61. New 2025-26 Retail Malt Beverage License for Sanctuary Goods LLC, 421 North Phillips Avenue, Suite 116.
62. New 2025-26 Retail Malt Beverage License and New 2026 Retail Wine License for Granite Development LLC, Clarion Point Hotel, 5410 North Granite Lane.
63. New 2025-26 Retail Malt Beverage License and New 2026 Retail Wine License for Yummy Crab SD Inc., 4224 West Empire Place.
64. New 2026 Retail Wine License for K & K Beauty LLC, Envy Nails & Spa, 611 South Highline Place.
65. New 2026 Retail Wine License for Giving Hope Inc., 1605 West Burnside Street.
66. Transfer of 2025-26 Retail Malt Beverage License, including video lottery placement, from ACE Capital LLC, 2310 West 41st Street, Suite 101, to Jacky’s Restaurant LLC, 3308 East 10th Street.
67. Transfer of 2025-26 Retail Malt Beverage License, including video lottery placement, from OTB LLC, 2310 South Marion Road, Suite 110, to Ace Capital LLC, 2310 West 41st Street, Suite 101.
68. Transfer of 2026 Retail Liquor License from OTB LLC, 2310 South Marion Road, Suite 100, to Aruma Sioux Falls LLC, 2310 South Marion Road, Suite 100.
69. Transfer of 2026 Retail Liquor License from The Hideout LLC, 1213 North Cliff Avenue, to Brass Rail Bar LLC, 1213 North Cliff Avenue.
70. Transfer of 2026 Package Liquor License from Mapletree Inc., 4110 West Maple Street, Suite 105, to Golden Coin Casino Inc., 4110 West Maple Street, Suite 105.
71. Transfer of 2025-26 Retail Malt Beverage License, including video lottery placement, from Mapletree Inc., 4110 West Maple Street, Suite 105, to Golden Coin Casino Inc., 4110 West Maple Street, Suite 105.
72. Transfer of 2025-26 Retail Malt Beverage License, including video lottery placement, from Golden Coin Casino Inc., 2704 South Ellis Road, Suite 101, to Golden Coin Casino Inc., 2704 South Ellis Road, Suite 104.
73. Transfer of 2026 Package Liquor License from Arsiya Inc., 1605 West Burnside Street, to Golden Coin Casino Inc., 2704 South Ellis Road, Suite 102.
74. Transfer of 2026 Package Liquor License from Marion Investments LLC, 5021 West 62nd Street North, to Golden Coin Casino Inc., 4103 West 57th Street, Suite 101.
75. Transfer of 2025-26 Retail Malt Beverage License, including video lottery placement, from Mapletree Inc., 4701 West 12th Street, Stuie 101, to Golden Coin Casino Inc., 4619 East 54th Street, Suite 101.
76. Transfer of 2025-26 Retail Malt Beverage License, including video lottery placement, from Mapletree Inc., 4701 West 12th Street, Suite 102, to Golden Coin Casino Inc., 4619 East 54th Street, Suite 102.
77. Transfer of 2025-26 Retail Malt Beverage License, including video lottery placement, from Arsiya Inc., 1605 West Burnside Street, to Golden Coin Casino Inc., 4619 East 54th Street, Suite 103.
78. Transfer of 2025-26 Retail Malt Beverage License, including video lottery placement, from Arsiya Inc., 1605 West Burnside Street, Suite 100, to Golden Coin Casino Inc., 4615 East 54th Street.
A motion was made by Council Member Sigette and seconded by Council Member Spellerberg to withdraw Item 61.
Roll call vote to withdraw. 6 Yes: Merkouris, Sigette, Soehl, Spellerberg, Thomason, Basye; 0 No: (None). Motion Passed.
A motion was made by Council Member Merkouris and seconded by Council Member Basye to approve the remaining items.
Roll call vote to approve. 6 Yes: Merkouris, Sigette, Soehl, Spellerberg, Thomason, Basye; 0 No: (None). Motion Passed.
INTRODUCTION AND ADOPTION OF ORDINANCES
ORDINANCE SECOND READINGS
79. 2nd Reading: AN ORDINANCE OF THE CITY OF SIOUX FALLS, SD, REZONING PROPERTY LOCATED AT 5800 S. SYCAMORE AVE. FROM THE RS SINGLE-FAMILY RESIDENTIAL—SUBURBAN AND RD-1 TWIN HOME/DUPLEX RESIDENTIAL—SUBURBAN DISTRICTS TO THE CN CONSERVATION AND RCD RESIDENTIAL CLUSTER DEVELOPMENT PUD DISTRICTS, NO. 22350-2026, AND AMENDING THE OFFICIAL ZONING MAP OF THE CITY OF SIOUX FALLS. The Planning Commission recommends approval (6-0).
Private Applicant(s): Veldco Holdings, LLC – Caleb Veldhouse
A motion was made by Council Member Spellerberg and seconded by Council Member Basye to adopt Ordinance No. 20-26.
Roll call vote to adopt. 6 Yes: Merkouris, Sigette, Soehl, Spellerberg, Thomason, Basye; 0 No: (None). Motion Passed.
80. 2nd Reading: AN ORDINANCE OF THE CITY OF SIOUX FALLS, SD, REZONING PROPERTY LOCATED NORTH OF E. 41ST ST. AND WEST OF S. SIX MILE RD. FROM THE RS SINGLE-FAMILY RESIDENTIAL—SUBURBAN DISTRICT TO THE RD 2 TOWNHOME RESIDENTIAL—SUBURBAN DISTRICT, NO. 22469-2026, AND AMENDING THE OFFICIAL ZONING MAP OF THE CITY OF SIOUX FALLS. The Planning Commission recommends approval (6-0).
Private Applicant(s): Ronning Enterprises, Inc – Blaine Davis
A motion was made by Council Member Basye and seconded by Council Member Merkouris to adopt Ordinance No. 21-26.
Roll call vote to adopt. 6 Yes: Merkouris, Sigette, Soehl, Spellerberg, Thomason, Basye; 0 No: (None). Motion Passed.
81. 2nd Reading: AN ORDINANCE OF THE CITY OF SIOUX FALLS, SD, REZONING PROPERTY LOCATED SOUTH OF E. 33RD AND WEST OF VETERANS PKWY. FROM THE RS SINGLE-FAMILY RESIDENTIAL—SUBURBAN, RD-1 TWIN HOME/DUPLEX RESIDENTIAL—SUBURBAN, RD-2 TOWNHOME RESIDENTIAL—SUBURBAN, RA 2 APARTMENT RESIDENTIAL—MODERATE DENSITY, AND C-2 COMMERCIAL—NEIGHBORHOOD AND STREETCAR DISTRICTS TO THE CN CONSERVATION, RS SINGLE-FAMILY RESIDENTIAL—SUBURBAN, RA-2 APARTMENT RESIDENTIAL—MODERATE DENSITY, RA-3 APARTMENT RESIDENTIAL—HIGH DENSITY, AND LW LIVE-WORK DISTRICTS, NO. 22473-2026, AND AMENDING THE OFFICIAL ZONING MAP OF THE CITY OF SIOUX FALLS. The Planning Commission recommends approval (7-1).
Private Applicant(s): Harr Lemme Development – Gary Harr
A motion was made by Council Member Sigette and seconded by Council Member Basye to adopt Ordinance No. 22-26.
Roll call vote to adopt. 6 Yes: Merkouris, Sigette, Soehl, Spellerberg, Thomason, Basye; 0 No: (None). Motion Passed.
82. 2nd Reading: AN ORDINANCE OF THE CITY OF SIOUX FALLS, SD, REZONING PROPERTY LOCATED SOUTH OF E. 69TH ST. AND WEST OF S. SYCAMORE AVE. FROM THE CN CONSERVATION, RT-2 TOWNHOME RESIDENTIAL—TRADITIONAL, AND RA 2 APARTMENT RESIDENTIAL—MODERATE DENSITY DISTRICTS TO THE RD 2 TOWNHOME RESIDENTIAL—SUBURBAN DISTRICT, NO. 22484-2026, AND AMENDING THE OFFICIAL ZONING MAP OF THE CITY OF SIOUX FALLS. The Planning Commission recommends approval (6-0).
Private Applicant(s): South Loop, LLC – Brady Hyde
A motion was made by Council Member Spellerberg and seconded by Council Member Basye to adopt Ordinance No. 23-26.
Roll call vote to adopt. 6 Yes: Merkouris, Sigette, Soehl, Spellerberg, Thomason, Basye; 0 No: (None). Motion Passed.
ORDINANCE FIRST READINGS
83. 1st Reading: AN ORDINANCE OF THE CITY OF SIOUX FALLS, SOUTH DAKOTA (THE “CITY”), AUTHORIZING THE ISSUANCE OF ITS SALES TAX REFUNDING REVENUE BONDS (THE “REFUNDING BONDS”) TO REFUND ALL OR A PORTION OF ONE OR MORE OF ITS OUTSTANDING (A) SALES TAX REVENUE BONDS, SERIES 2016A, AND (B) SALES TAX REVENUE BONDS, SERIES 2012A BONDS IN AN AMOUNT SUFFICIENT (1) TO FUND A DEPOSIT OF BOND PROCEEDS TO THE APPLICABLE REDEMPTION ACCOUNTS TO REDEEM ANY SUCH REFUNDED BONDS AND (2) TO PAY THE COST OF ISSUANCE THEREOF; AUTHORIZING THE PLEDGING A PORTION OF THE SALES AND USE TAX PROCEEDS OF THE CITY TO THE PAYMENT OF SAID REFUNDING BONDS; FIXING THE TERMS OF SUCH REFUNDING BONDS; AUTHORIZING THE EXECUTION AND DELIVERY OF ONE OR MORE SUPPLEMENTAL INDENTURES TO THE JUNIOR LIEN INDENTURE OF TRUST ENTERED INTO BY THE CITY TO SECURE THE REFUNDING BONDS; AND AUTHORIZING THE SALE, EXECUTION, AND DELIVERY OF SUCH REFUNDING; AND AMENDING ORDINANCE NO. 01-25 SO THAT THE FINAL MATURITY DATE FOR THE NEW SERIES OF BONDS MAY BE NO LATER THAN NOVEMBER 15, 2046.
Sponsor: Mayor
A motion was made by Council Member Soehl and seconded by Council Member Spellerberg to set a date of 2nd Reading for Tuesday, April 14, 2026 for Item 83.
Roll call vote to set a date of 2nd Reading. 6 Yes: Merkouris, Sigette, Soehl, Spellerberg, Thomason, Basye; 0 No: (None). Motion Passed.
84. 1st Reading: AN ORDINANCE OF THE CITY OF SIOUX FALLS, SD, AMENDING THE CODE OF ORDINANCES OF THE CITY BY AMENDING CHAPTER 30: CITY COUNCIL; SUBCHAPTER: ORGANIZATION AND PROCEDURE; SECTION 30.013 ORDER OF BUSINESS.
Sponsors: Council Members Sigette and Merkouris
A motion was made by Council Member Merkouris and seconded by Council Member Sigette to set a date of 2nd Reading for Tuesday, April 14, 2026 for Item 84.
Roll call vote to set a date of 2nd Reading. 6 Yes: Merkouris, Sigette, Soehl, Spellerberg, Thomason, Basye; 0 No: (None). Motion Passed.
85. 1st Reading: AN ORDINANCE OF THE CITY OF SIOUX FALLS, SD, AMENDING CHAPTER 30 OF THE CODE OF ORDINANCES BY AMENDING SECTION 30.008 PRESIDING OFFICER; DUTIES; ELECTION OF CHAIR, VICE CHAIR, AND AUDIT COMMITTEE CHAIR.
Sponsors: Council Members Merkouris and Sigette
A motion was made by Council Member Merkouris and seconded by Council Member Sigette to set a date of 2nd Reading for Tuesday, April 14, 2026 for Item 85.
Roll call vote to set a date of 2nd Reading. 6 Yes: Merkouris, Sigette, Soehl, Spellerberg, Thomason, Basye; 0 No: (None). Motion Passed.
HEARINGS AND RESOLUTIONS
86. A RESOLUTION OF INTENT TO ENTER INTO A LEASE OF MUNICIPAL REAL PROPERTY.
Sponsor: Mayor
A motion was made by Council Member Basye and seconded by Council Member Merkouris to adopt Resolution No. 24-26.
Roll call vote to adopt. 6 Yes: Merkouris, Sigette, Soehl, Spellerberg, Thomason, Basye; 0 No: (None). Motion Passed.
RESOLUTION NO. 24-26
A RESOLUTION OF INTENT TO ENTER INTO A LEASE OF MUNICIPAL REAL PROPERTY.
WHEREAS, pursuant to SDCL 9-12-5.2, if the governing body decides to lease any municipally owned property for a term exceeding one hundred twenty (120) days and for an amount exceeding five hundred dollars ($500) annual value to any private person, it shall adopt a Resolution of Intent to enter into such a lease; and
WHEREAS, the City contemplates leasing municipally owned real property, described in this Resolution and Notice of Hearing referenced below; and
WHEREAS, Notice of Hearing on this Resolution of Intent was published in the official newspaper of the city of Sioux Falls once at least ten (10) days prior to the hearing;
NOW, THEREFORE, BE IT RESOLVED BY THE CITY OF SIOUX FALLS:
That the City Council hereby expresses its intent to lease municipally owned real property described as follows:
FARM LEASES—TILLABLE CROPLAND, PASTURE, AND HAYING LEASES—ONE YEAR LEASES
• Tract 1 and Tract 2 of Sencore Addition to City of Sioux Falls in the S1/2 of Section 6 T101N-R49W of the 5th P.M., Minnehaha County, SD
• Tract 1, except Bluegrass Addition, in the S1/2SE1/4 of Section 26-T101N-R49W, AND Lot 5, Block 1, Brady Estates East Addition to the City of Sioux Falls, Minnehaha County, SD
• Tract 12, Webster Grove Addition to City of Sioux Falls in the SW1/4 of Section 14 T101N R50W of the 5th P.M., Minnehaha County, SD
• Tract 2, Tract 7, Tract 8, and Tract 10 all in the SW1/4 of Section 36-T102N-R50W of the 5th P.M., Minnehaha County, SD
• Tract 1 and Tract 2, Thelin Addition to City of Sioux Falls in the N1/2NW1/4 of Section 1 T101N-R50W of the 5th P.M., Minnehaha County, SD
• Tract 1 of Iverson Park Addition in the SW1/4 of Section 21-T101N-R48W of the 5th P.M., Minnehaha County, SD
• That part of the SE1/4NW1/4 lying south of SD Hwy 42 in Section 28-T101N-R48W of the 5th P.M., Minnehaha County, SD
• That part of Tracts 4 and 5 of G. H. Perry Addition of the N1/2 of Section 28-T101N-R48W of the 5th P.M., Minnehaha County, SD, lying west of the Big Sioux River and north of SD Hwy 42
• Tract 2 in the SE1/4 of Section 29-T102N-R49W of the 5th P.M., Minnehaha County, SD, lying west of Ditch Road and north of 60th Street North
• Tract 1 of Sioux Falls Landfill Addition in the E1/2 of Section 34-T101N-R51W of the 5th P.M., AND Tract 1 of Sioux Falls Landfill Addition in Section 35-T101-R51W of the 5th P.M., all in Minnehaha County, SD, AND Lot 2 of Luden’s Tract 4 in the E1/2E1/2 of fractional Section 12 T100N R52W of the 5th P.M., AND Lots 1, 3, 4, 5, 6, 7 and platted drive of Luden’s Tract 4 in the E1/2E1/2 of fractional Section 12-T100N-R52W of the 5th P.M., all in Turner County, SD, AND Tract 1, Tipton’s Addition in the NW1/4 of Section 7-T100N-R51W of the 5th P.M., Lincoln County, SD
• W1/2SE1/4 and E1/2SW1/4, now known as Wellfield 1st Addition in the S1/2 of Section 8 T102N-R49W of the 5th P.M., Minnehaha County, SD
• That part of the W1/2SW1/4 lying east of railroad right-of-way in Section 4-T102N-R49W of the 5th P.M., Minnehaha County, SD
• Nesheim 2nd Addition in the E1/2NE1/4 of Section 20-T103N-R49W of the 5th P.M., Minnehaha County, SD
• Tract 1 of NW1/4, and Tract 1D of NE1/4, and NE1/4 (except Swartz’s Addition and except all H Lots), and Tract 1 (access road) of SE1/4 all in Section 28-T103N-R49W of the 5th P.M., AND Tract 1 (access road) of SW1/4 in Section 27-T103N-R49W of the 5th P.M., all in Minnehaha County, SD
• E1/2SW1/4 (except H Lots) and SE1/4 (except Tracts 1, 2, and 3 of Swartz’s Additions and except H Lots) all in Section 21-T103N-R49W of the 5th P.M., Minnehaha County, SD
• NE1/4 and N1/2SE1/4 (except areas east of county road along Slipup Creek) all in Section 23 T102N-R49W of the 5th P.M., Minnehaha County, SD
• W1/2NE1/4 and E1/2NW1/4 in Section 12-T102N-R49W of the 5th P.M., Minnehaha County, SD
• Tract 1 and Tract 2 of Slipup Creek Watershed Addition in the SE1/4 and SW1/4 in Section 1 T102N-R49W of the 5th P.M., Minnehaha County, SD
• N1/2SE1/4 (lying east of county road along Slipup Creek) in Section 23-T102N-R49W of the 5th P.M., AND NW1/4SW1/4 of Section 24-T102N-R49W of the 5th P.M., Minnehaha County, SD
• N1/2NE1/4 (except Fredericksen Tract 1 contained therein, and except County Auditor’s Lot H-1 contained therein) of Section 14-T102N-R49W of the 5th P.M., Minnehaha County, SD
• Rogers Tract 2 in the NW1/4 of Section 4-T102N-R49W of the 5th P.M., Minnehaha County, SD
• W1/2NE1/4 (except Tract 1) and E1/2NW1/4 of Section 20-T102N-R49W of the 5th P.M., Minnehaha County, SD
• Tract 6B County Auditor’s Subdivision and part of the NW1/4NE1/4 (except Lot E-1) all in the NE1/4 of Section 32-T102N-R49W of the 5th P.M., AND a portion of Lot E-3 and Tract 2, both of County Auditor’s Subdivision in the NW1/4 of Section 33-T102N-R49W of the 5th P.M., all in Minnehaha County, SD
• Northwest Tower Addition in the SW1/4 of Section 24-T102N-R50W of the 5th P.M., Minnehaha County, SD
• SW1/4SE1/4 in Section 7-T103N-R50W of the 5th P.M., Minnehaha County, SD
• NE1/4SE1/4, and the access strip of land 16.5 feet in width known as Tract 1, all in the SE1/4SE1/4 of Section 31-T104N-R50W of the 5th P.M., Minnehaha County, SD
• Vander Woude Tract 2 in the NW1/4 of Section 2-T101N-R50W of the 5th P.M., Minnehaha County, SD
• Tract 1 of Golden Gateway Addition to the City of Sioux Falls, Minnehaha County, SD
• Tract A of Sioux Empire Development Park 8 Addition to the City of Sioux Falls in Section 35 T102N-R49W of the 5th P.M., Minnehaha County, SD
• N1/2NW1/4 & SW1/4NW1/4 & SE1/4NW1/4 & NW1/4NE1/4 all in Section 36-T102N-R49W of the 5th P.M., AND SW1/4 & SW1/4NE1/4 lying west of the Big Sioux River, all in Section 36 T102N-R49W of the 5th P.M., AND NW1/4 & SW1/4 lying north and west of the Big Sioux River in Section 1-T101N-R49W of the 5th P.M., AND Tract 1 Knabach Addition to the City of Sioux Falls, Minnehaha County, SD, AND Tract 2 of East Benson Addition to the City of Sioux Falls, Minnehaha County, SD
• W1/2NE1/4 (EX R-1 & EX S200), Section 34-T101N-R51W of the 5th P.M., Minnehaha Co., SD, physical address of 46369 267th St., Hartford, SD 57033
• That portion of the West Half of the Northwest Quarter (W1/2 NW1/4) lying East of the Railroad Right-of-Way, of Section 9, Township 102 North, Range 49 West of the 5th P.M., Minnehaha County, SD; AND The East Half of the Northwest Quarter (E1/2 NW1/4), except the South 2 Rods thereof and except the North 33 feet of the East Half of the Northwest Quarter (E1/2 NW1/4) of Section 9, Township 102 North, Range 49 West of the 5th P.M., Lying South of and immediately adjacent to Lot 4, except the East 178.3 feet of said Lot 4 measured along the South line thereof, of Nessans Subdivision of Tract 1 of County Auditors plat of Tracts 1 and 2 of the Southeast Quarter of the Southwest Quarter (SE1/4 SW1/4) of Section 4, Township 104 North, Range 49 West of the 5th P.M., all of Section 9, Township 102 North, Range 49 West of the 5th P.M., Minnehaha County, SD; AND The North Half of the Northeast Quarter (N1/2 NE1/4) except Lot H-1 contained therein and except the Silver Creek Estates Replat, of Section 9, Township 102 North, Range 49 West of the 5th P.M., Minnehaha County, SD
• SW1/4 lying east of Big Sioux River (except Swanson’s Tract 1) & W1/2SE1/4 (except Sweetman Tract 1), all in Section 20-T102N-R49W of the 5th P.M., Minnehaha County, SD
GREEN SPACE LEASES—LEASED BY NEIGHBORING OWNER IN EXCHANGE FOR WEED CONTROL/LAWN MAINTENANCE—ONE-YEAR LEASES
• Lot 4, Block 2, Fox Run Addition, an Addition to the City of Sioux Falls, Minnehaha County, SD
• Tract 2, Great Northern Second Addition to the City of Sioux Falls, Minnehaha County, SD
• Lot 1 in Tract B, Sycamore Crossing Addition to the City of Sioux Falls, Minnehaha County, SD
DRAINAGE PROPERTY—PORTION LEASED FOR CONCRETE PAD PARKING AND DUMPSTER ENCLOSURE—ONE-YEAR LEASE
• Tract 1 of Great Northern First Addition to the City of Sioux Falls, Minnehaha County, SD
TOWER PROPERTY—PORTION LEASED FOR COMMUNICATION TOWER MULTIYEAR LEASE
• Lot 2A of the replat of part of Block 4 of Lewis Heights Addition to the City of Sioux Falls, Minnehaha, County, SD
• 57th Street Elevated Water Storage Tank Space located within Lot 1 of Bakker Tract No. 1 in Government Lots 2 and 3 of Section 12-T100N-R50W of the 5th P.M., Lincoln County, SD, commonly known as 2201 E. 57th St.
• Menlo Avenue Elevated Water Storage Tank Space located within Block 23, Sage’s Subdivision of Blocks 7, 10, and 23, of Park Addition to Sioux Falls, Minnehaha County, SD, commonly known as 1200 S. Menlo Ave.
• Melanie Lane Elevated Water Storage Tank located within Tract 2, Sycamore Hill Addition to the City of Sioux Falls, Minnehaha County, SD, commonly known as 1900 S. Melanie Ln.
• Western Heights Elevated Water Storage Tank located within Lot A in Tract 1 of Public School Addition to the City of Sioux Falls, Minnehaha County, SD, commonly known as 3201 S. Kuehn Park Rd.
Date adopted: 04/07/26 .
Paul TenHaken, Mayor
ATTEST:
Jermery J. Washington, City Clerk
87. A RESOLUTION OF NECESSITY AUTHORIZING THE COMMENCEMENT OF CONDEMNATION PROCEEDINGS FOR ACQUISITION OF REAL PROPERTY LOCATED IN SIOUX FALLS, LINCOLN COUNTY, SOUTH DAKOTA, FOR PUBLIC USE.
Sponsor: Mayor
A motion was made by Council Member Soehl and seconded by Council Member Spellerberg to adopt Resolution No. 25-26.
Roll call vote to adopt. 6 Yes: Merkouris, Sigette, Soehl, Spellerberg, Thomason, Basye; 0 No: (None). Motion Passed.
RESOLUTION NO. 25-26
A RESOLUTION OF NECESSITY AUTHORIZING THE COMMENCEMENT OF CONDEMNATION PROCEEDINGS FOR ACQUISITION OF REAL PROPERTY LOCATED IN SIOUX FALLS, LINCOLN COUNTY, SOUTH DAKOTA, FOR PUBLIC USE.
WHEREAS, the City of Sioux Falls (the “City”) is authorized and proposes to undertake and carry out for public use a roadway construction project to construct South Veterans Parkway in southern Sioux Falls as the final segment of a limited-access corridor connecting Interstate 29 and Interstate 90 (the “Project”). The Project preserves the function and performance of the area’s future road system, and includes additional reconstruction of minor and principal arterial roadways perpendicular to the South Veterans Parkway corridor; and
WHEREAS, in connection with the Project, it is necessary to acquire rights-of-way from the landowners and parcels listed below; and
WHEREAS, a portion of the construction of the Project will require the acquisition of additional land for rights-of-way and construction, which may include control of access, borrow pits, cut slopes, fill slopes, impoundments, and channel changes, either by purchase or condemnation; and
WHEREAS, the Project phase that affects the landowners and parcels listed below is scheduled for construction in 2027–2028; and
WHEREAS, in connection with such acquisition, the City has obtained independent real estate appraisals to determine fair market value, which appraisals have been reviewed by an independent real estate appraiser; and
WHEREAS, purchase offers at fair market value based on the appraisals have been made by the City for the rights-of-way; and
WHEREAS, the City has been unable to acquire, by voluntary purchase or agreement, the rights of-way and temporary easements described below that are necessary for the construction of the Project; and
WHEREAS, it is deemed necessary and in the best interest of the City that the acquisition of the Project rights-of-way proceed expeditiously; and
WHEREAS, SDCL § 9-27-1 authorizes a municipality to acquire real property by condemnation for any purpose authorized by law when approved by a two-thirds majority vote;
NOW, THEREFORE, BE IT RESOLVED BY THE CITY OF SIOUX FALLS, SD:
Section 1. That it is necessary to acquire the following rights-of-way and temporary easements by condemnation in accordance with the provisions of SDCL Ch. 21-35 and Ch. 31-19, which may include filing a declaration of taking pursuant to SDCL § 31-19-23:
Landowner: Brenkevco Properties, LLC
Property: Parcel 48:
The East Half of the Northeast Quarter (E1/2 NE1/4), of Section 17, Township 100 North, Range 49 West of the 5th P.M., except Lot H1 and except the South 360 Feet of the East 438 Feet of said East Half of the Northeast Quarter (E1/2 NE1/4), Lincoln County, South Dakota.
Parcel 51, 51x:
The Southeast Quarter of the Southeast Quarter (SE1/4 SE1/4), of Section 8, Township 100 North, Range 49 West of the 5th P.M., except Tract 1 of Weber Addition, and except Lot H1 therein, Lincoln County, South Dakota.
Rights-of-Way: Parcel 48:
Lots H2 and H3 in the East Half of the Northeast Quarter (E1/2 NE1/4), of Section 17, Township 100 North, Range 49 West of the 5th P.M., Lincoln County, South Dakota, according to the plat shown in Attachment 1. Said Lot H2 containing 397,577 sq. ft. (9.13 acres), more or less, and said lot H3 containing 155,918 sq. ft. (3.58 acres), more or less.
Lot H4 in the East Half of the Northeast Quarter (E1/2 NE1/4), of Section 17, Township 100 North, Range 49 West of the 5th P.M., Lincoln County, South Dakota, according to the plat shown in Attachment 2. Said Lot H4 containing 1,518 sq. ft. (0.03 acres), more or less.
Lot A in the East Half of the Northeast Quarter (E1/2 NE1/4), of Section 17, Township 100 North, Range 49 West of the 5th P.M., Lincoln County, South Dakota, according to the plat shown in Attachment 3. Said Lot A containing 62,036 sq. ft. (1.42 acres), more or less.
Parcel 51:
Lot H2 in the Southeast Quarter of the Southeast Quarter (SE1/4 SE1/4), of Section 8, Township 100 North, Range 49 West of the 5th P.M., Lincoln County, South Dakota, according to the plat shown in Attachment 4. Said Lot H2 containing 200,609 sq. ft. (4.61 acres), more or less.
Temporary Easement: Parcel 48:
A parcel in the East Half of the Northeast Quarter (E1/2 NE1/4), of Section 17, Township 100 North, Range 49 West of the 5th P.M., except Lot H1 and except the South 360 Feet of the East 438 Feet of said East Half of the Northeast Quarter (E1/2 NE1/4), Lincoln County, South Dakota, as shown in Attachment 5. The parcel contains 7,427 sq. ft. (0.2 acres), more or less.
A parcel in the East Half of the Northeast Quarter (E1/2 NE1/4), of Section 17, Township 100 North, Range 49 West of the 5th P.M., except Lot H1 and except the South 360 Feet of the East 438 Feet of said East Half of the Northeast Quarter (E1/2 NE1/4), Lincoln County, South Dakota, as shown in Attachment 5. The parcel contains 15,743 sq. ft. (0.4 acres), more or less.
A parcel in the East Half of the Northeast Quarter (E1/2 NE1/4), of Section 17, Township 100 North, Range 49 West of the 5th P.M., except Lot H1 and except the South 360 Feet of the East 438 Feet of said East Half of the Northeast Quarter (E1/2 NE1/4), Lincoln County, South Dakota, as shown in Attachment 5. The parcel contains 11,205 sq. ft. (0.3 acres), more or less.
A parcel in the East Half of the Northeast Quarter (E1/2 NE1/4), of Section 17, Township 100 North, Range 49 West of the 5th P.M., except Lot H1 and except the South 360 Feet of the East 438 Feet of said East Half of the Northeast Quarter (E1/2 NE1/4), Lincoln County, South Dakota, as shown in Attachment 6. The parcel contains 2,550 sq. ft. (0.1 acres), more or less.
A parcel in the East Half of the Northeast Quarter (E1/2 NE1/4), of Section 17, Township 100 North, Range 49 West of the 5th P.M., except Lot H1 and except the South 360 Feet of the East 438 Feet of said East Half of the Northeast Quarter (E1/2 NE1/4), Lincoln County, South Dakota, as shown in Attachment 6. The parcel contains 546 sq. ft. (0.1 acres), more or less.
Parcel 51, 51X:
A parcel in the Southeast Quarter of the Southeast Quarter (SE1/4 SE1/4), of Section 8, Township 100 North, Range 49 West of the 5th P.M., except Tract 1 of Weber Addition and except Lot H1 therein, Lincoln County, South Dakota, as shown in Attachment 7. The parcel contains 6,096 sq. ft. (0.1 acres), more or less.
A parcel in the Southeast Quarter of the Southeast Quarter (SE1/4 SE1/4), of Section 8, Township 100 North, Range 49 West of the 5th P.M., except Tract 1 of Weber Addition and except Lot H1 therein, Lincoln County, South Dakota, as shown in Attachment 7. The parcel contains 4,793 sq. ft. (0.1 acres), more or less.
Section 2. That the City shall publish this resolution, without attachments, after its passage. The attachments are on file and available for inspection in the office of the City Clerk.
Date adopted: 04/07/26 .
Paul TenHaken, Mayor
ATTEST:
Jermery J. Washington,
City Clerk
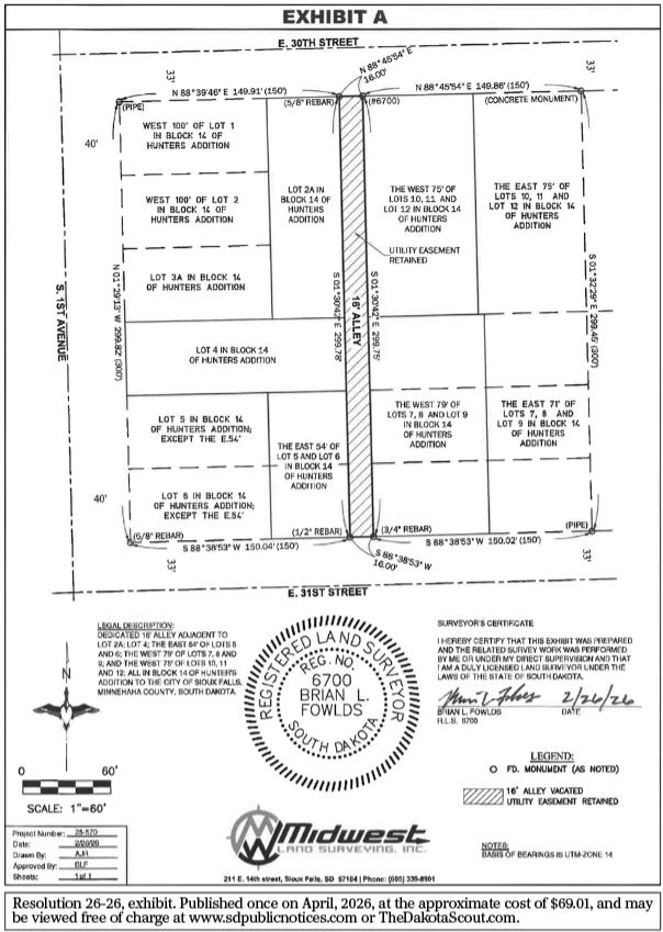
88. A RESOLUTION VACATING THE 16-FOOT ALLEY RIGHT-OF-WAY FROM THE SOUTH RIGHT-OF-WAY LINE OF E. 30TH STREET TO THE NORTH RIGHT-OF-WAY LINE OF E. 31ST STREET WITHIN HUNTER’S ADDITION, AS SHOWN ON EXHIBIT A.
Sponsor: Mayor
A motion was made by Council Member Sigette and seconded by Council Member Spellerberg to adopt Resolution No. 26-26.
Roll call vote to adopt. 6 Yes: Merkouris, Sigette, Soehl, Spellerberg, Thomason, Basye; 0 No: (None). Motion Passed.
RESOLUTION NO. 26-26
A RESOLUTION VACATING THE 16-FOOT ALLEY RIGHT-OF-WAY FROM THE SOUTH RIGHT-OF-WAY LINE OF E. 30TH STREET TO THE NORTH RIGHT-OF-WAY LINE OF E. 31ST STREET WITHIN HUNTER’S ADDITION, AS SHOWN ON EXHIBIT A.
WHEREAS, a petition to vacate city right-of-way has been filed by the owners of the following described property:
Lot 2A, Block 14, Hunter’s Addition to the City of Sioux Falls, Minnehaha County, South Dakota, according to the recorded plat thereof;
Lot 4, Block 14, Hunter’s Addition to the City of Sioux Falls, Minnehaha County, South Dakota, according to the recorded plat thereof;
The East 54’ of Lots 5 and 6, Block 14, Hunter’s Addition to the City of Sioux Falls, Minnehaha County, South Dakota;
The West 79’ of Lots 7, 8 and 9, Block 14, Hunter’s Addition to the City of Sioux Falls, Minnehaha County, South Dakota;
The West 75’ of Lots 10, 11 and 12, Block 14, Hunter’s Addition to the City of Sioux Falls, Minnehaha County, South Dakota.
WHEREAS, the hearing was held on April 7, 2026, and the petition has been duly examined and investigated by the City Council of the City of Sioux Falls. Testimony of said petition has been heard. Said property, as shown upon the plats attached to and made a part of said petition, has not been used as a street, alley, or public ground and no longer serves a useful public purpose.
NOW, THEREFORE, BE IT RESOLVED BY THE CITY OF SIOUX FALLS, SD:
That the 16-foot alley right-of-way as shown on Exhibit A, be and the same hereby is declared vacated, and subject to an easement reserved by the City of Sioux Falls in, over, and upon such vacated property as shown on Exhibit A for access, drainage, sewer, water, and gas mains, electric, telephone lines, cable TV, and all public utility uses required or authorized by the City of Sioux Falls, and that the City Clerk shall cause to be filed with the Register of Deeds, Minnehaha County, SD, a duly certified transcript of this resolution.
Date adopted: 04/07/26 .
Paul TenHaken, Mayor
ATTEST:
Jermery J. Washington,
City Clerk
89. A RESOLUTION APPROVING THE RELEASE OF A PERMANENT DRAINAGEWAY EASEMENT LOCATED WITHIN TRACT 7 OF ELMEN ADDITION TO THE CITY OF SIOUX FALLS, MINNEHAHA COUNTY, SOUTH DAKOTA, AS SHOWN ON EXHIBIT A.
Private Applicant(s): Mayor Public Works, Drainage
A motion was made by Council Member Sigette and seconded by Council Member Basye to adopt Resolution No. 27-26.
Roll call vote to adopt. 6 Yes: Merkouris, Sigette, Soehl, Spellerberg, Thomason, Basye; 0 No: (None). Motion Passed.
RESOLUTION NO. 27-26
A RESOLUTION APPROVING THE RELEASE OF A PERMANENT DRAINAGEWAY EASEMENT LOCATED WITHIN TRACT 7 OF ELMEN ADDITION TO THE CITY OF SIOUX FALLS, MINNEHAHA COUNTY, SOUTH DAKOTA, AS SHOWN ON EXHIBIT A.
WHEREAS, the City of Sioux Falls, SD, no longer needs the permanent drainageway easement across the above-described real property, as shown on Exhibit A. Signed approvals from all public and private utilities are on file with the office of the City Engineer.
WHEREAS, the drainageway easement was established by agreement and filed in Book 214 of Miscellaneous on pages 484–485 in the office of the Register of Deeds for Minnehaha County, SD, on December 29, 1993.
NOW, THEREFORE, BE IT RESOLVED BY THE CITY OF SIOUX FALLS, SD:
That it approves the release of part of the permanent drainageway easement, as shown on attached Exhibit A, and affecting the real property described as Tract 7 of Elmen Addition to the City of Sioux Falls, Minnehaha County, South Dakota, and that the City Clerk shall cause to be recorded with the Register of Deeds, Minnehaha County, South Dakota, a duly certified transcript of this resolution.
Date adopted: 04/07/26 .
Paul TenHaken, Mayor
ATTEST:
Jermery J. Washington, City Clerk
90. A RESOLUTION APPROVING THE RELEASE OF A PERMANENT EASEMENT AND RIGHT-OF-WAY LOCATED WITHIN TRACT 8A OF ELMEN ADDITION TO THE CITY OF SIOUX FALLS, MINNEHAHA COUNTY, SOUTH DAKOTA, AS SHOWN ON EXHIBIT A.
Private Applicant(s): Mayor Public Works, Drainage
A motion was made by Council Member Soehl and seconded by Council Member Spellerberg to adopt Resolution No. 28-26.
Roll call vote to adopt. 6 Yes: Merkouris, Sigette, Soehl, Spellerberg, Thomason, Basye; 0 No: (None). Motion Passed.
RESOLUTION NO. 28-26
A RESOLUTION APPROVING THE RELEASE OF A PERMANENT EASEMENT AND RIGHT-OF-WAY LOCATED WITHIN TRACT 8A OF ELMEN ADDITION TO THE CITY OF SIOUX FALLS, MINNEHAHA COUNTY, SOUTH DAKOTA, AS SHOWN ON EXHIBIT A.
WHEREAS, the City of Sioux Falls, SD, no longer needs the permanent right-of-way easement across the above-described real property, as shown on Exhibit A. Signed approvals from all public and private utilities are on file with the office of the City Engineer.
WHEREAS, the right-of-way easement was established by agreement and filed in Book 215 of Miscellaneous on pages 853–855 in the office of the Register of Deeds for Minnehaha County, SD, on March 10, 1994. The right-of-way easement was reaffirmed by plat and filed in Book 61 of Plats on page 157 in the office of the Register of Deeds for Minnehaha County, SD, on August 19, 1999.
NOW, THEREFORE, BE IT RESOLVED BY THE CITY OF SIOUX FALLS, SD:
That it approves the release of the right-of-way easement, as shown on attached Exhibit A, and affecting the real property described as Tract 8A of Elmen Addition to the City of Sioux Falls, Minnehaha County, South Dakota, and that the City Clerk shall cause to be recorded with the Register of Deeds, Minnehaha County, South Dakota, a duly certified transcript of this resolution.
Date adopted: 04/07/26 .
Paul TenHaken, Mayor
ATTEST:
Jermery J. Washington,
City Clerk
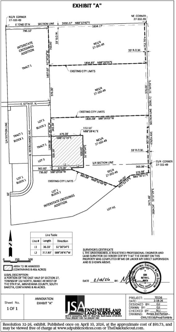
91. A RESOLUTION INCLUDING CERTAIN CONTIGUOUS TERRITORY WITHIN THE CORPORATE LIMITS OF THE CITY OF SIOUX FALLS, SOUTH DAKOTA. ANNEXATION 022482-2026—Sunset Creek 2nd Addition
Sponsor: Mayor
A motion was made by Council Member Soehl and seconded by Council Member Spellerberg to adopt Resolution No. 29-26.
Roll call vote to adopt. 6 Yes: Merkouris, Sigette, Soehl, Spellerberg, Thomason, Basye; 0 No: (None). Motion Passed.
RESOLUTION NO. 29-26
ANNEXATION 022482-2026—Sunset Creek 2nd Addition
A RESOLUTION INCLUDING CERTAIN CONTIGUOUS TERRITORY WITHIN THE CORPORATE LIMITS OF THE CITY OF SIOUX FALLS, SOUTH DAKOTA.
WHEREAS, there has been presented to the City Council of the City of Sioux Falls and filed with the City Clerk, a Petition in writing signed by the owners and otherwise in compliance with the provisions of SDCL Chapter 9-4, requesting that the territory hereinafter described be included within the municipality;
WHEREAS, there has been an analysis completed in regard to the territory hereinafter described and it has been found that:
1. The property has been properly described and is contiguous to the current city limits.
2. The proposed land uses and densities are generally consistent with the Shape Sioux Falls 2050 Comprehensive Plan.
3. There will be access to the property from W. Liam St., S. Jake Ave., W. Colton St., and future access from 26th St. and 22nd St.
4. Property is adjacent to City water for connection.
5. Property can be served by sanitary sewer adjacent.
NOW, THEREFORE, BE IT RESOLVED BY THE CITY OF SIOUX FALLS, SD:
That the following described properties are and the same hereby are included within the corporate limits of the city of Sioux Falls, Minnehaha County, and the boundary of the city is hereby extended to include such territory:
The W 1/2 of the S 1/2 of the NE 1/4 and the NW 1/4 of the NW 1/4 of Section 28, Township 101 North, Range 50 West, and the SW 1/4 of the SW 1/4 of Section 21, Township 101 North, Range 50 West, and the W 50’ of the S 1/2 of the SE 1/4 of section 20, Township 101 North, Range 50 West, and including adjacent 266th Street right-of-way adjacent thereto, all in Minnehaha County, South Dakota
And that the City Clerk shall cause to be filed with the Register of Deeds, Minnehaha County, South Dakota, a duly certified transcript of this resolution.
Date adopted: 04/07/26 .
Paul TenHaken, Mayor
ATTEST:
Jermery J. Washington, City Clerk
92. A RESOLUTION INCLUDING CERTAIN CONTIGUOUS TERRITORY WITHIN THE CORPORATE LIMITS OF THE CITY OF SIOUX FALLS, SOUTH DAKOTA. ANNEXATION 022514-2026—Foundation Park North Residential
Sponsor: Mayor
A motion was made by Council Member Sigette and seconded by Council Member Spellerberg to adopt Resolution No. 30-26.
Roll call vote to adopt. 6 Yes: Merkouris, Sigette, Soehl, Spellerberg, Thomason, Basye; 0 No: (None). Motion Passed.
RESOLUTION NO. 30-26
ANNEXATION 022514-2026—Foundation Park North Residential
A RESOLUTION INCLUDING CERTAIN CONTIGUOUS TERRITORY WITHIN THE CORPORATE LIMITS OF THE CITY OF SIOUX FALLS, SOUTH DAKOTA.
WHEREAS, there has been presented to the City Council of the City of Sioux Falls and filed with the City Clerk, a Petition in writing signed by the owners and otherwise in compliance with the provisions of SDCL Chapter 9-4, requesting that the territory hereinafter described be included within the municipality;
WHEREAS, there has been an analysis completed in regard to the territory hereinafter described and it has been found that:
1. The property has been properly described and is contiguous to the current city limits.
2. The proposed land uses and densities are generally consistent with the Shape Sioux Falls 2050 Comprehensive Plan.
3. The property will be included with the already annexed land adjacent to it and will have access from the south off of W. Memory Lane and N. Dawson Road to the east.
4. Property is adjacent to City water for connection.
5. Property can be served by sanitary sewer adjacent to parcel.
NOW, THEREFORE, BE IT RESOLVED BY THE CITY OF SIOUX FALLS, SD:
That the following described properties are and the same hereby are included within the corporate limits of the city of Sioux Falls, Minnehaha County, and the boundary of the city is hereby extended to include such territory:
Tracts 2, 4, and 7 of Walkers Addition in the N 1/2 of the NW 1/4 of Section 13, Township 102 North, Range 50 West, and Tracts 1 and 9 of Benson’s Addition in the NE 1/4 of Section 13, Township 102 North, Range 50 West, all in Minnehaha County, South Dakota.
And that the City Clerk shall cause to be filed with the Register of Deeds, Minnehaha County, South Dakota, a duly certified transcript of this resolution.
Date adopted: 04/07/26 .
Paul TenHaken, Mayor
ATTEST:
Jermery J. Washington, City Clerk
93. A RESOLUTION INCLUDING CERTAIN CONTIGUOUS TERRITORY WITHIN THE CORPORATE LIMITS OF THE CITY OF SIOUX FALLS, SOUTH DAKOTA. ANNEXATION 022486-2026—265th St. and 467th Ave.
Sponsor: Mayor
A motion was made by Council Member Sigette and seconded by Council Member Basye to adopt Resolution No. 31-26.
Roll call vote to adopt. 6 Yes: Merkouris, Sigette, Soehl, Spellerberg, Thomason, Basye; 0 No: (None). Motion Passed.
RESOLUTION NO. 31-26
ANNEXATION 022486-2026—265th St. and 467th Ave.
A RESOLUTION INCLUDING CERTAIN CONTIGUOUS TERRITORY WITHIN THE CORPORATE LIMITS OF THE CITY OF SIOUX FALLS, SOUTH DAKOTA.
WHEREAS, there has been presented to the City Council of the City of Sioux Falls and filed with the City Clerk, a Petition in writing signed by the owners and otherwise in compliance with the provisions of SDCL Chapter 9-4, requesting that the territory hereinafter described be included within the municipality;
WHEREAS, there has been an analysis completed in regard to the territory hereinafter described, and it has been found that:
1. The property has been properly described and is contiguous to the current city limits.
2. The proposed land uses and densities are generally consistent with the Shape Sioux Falls 2050 Comprehensive Plan.
3. There will be access to the property on 265th St. and 467th Ave. from a future road network through the property.
4. Property is adjacent to City water for connection.
5. Property can be served by sanitary sewer adjacent to the parcel.
NOW, THEREFORE, BE IT RESOLVED BY THE CITY OF SIOUX FALLS, SD:
That the following described properties are and the same hereby are included within the corporate limits of the city of Sioux Falls, Minnehaha County, and the boundary of the city is hereby extended to include such territory:
The W 1/2 of the NE 1/4 (except Lots H-1 & H-2 & Tract 4 Schuer’s Tracts) and the N 1/2 of the NW 1/4 (except Schuer’s Tracts and Tract 1 SIBS LCRWS Addition) of Section 20, Township 101 North, Range 50 West and Tract 1 SIBS LCRWS Addition in the N 1/2 of the NW 1/4 of Section 20, Township 101 North, Range 50 West; and including adjacent 265th Street and 467th Avenue right-of-way adjacent thereto, all in Minnehaha County, South Dakota
And that the City Clerk shall cause to be filed with the Register of Deeds, Minnehaha County, South Dakota, a duly certified transcript of this resolution.
Date adopted: 04/07/26 .
Paul TenHaken, Mayor
ATTEST:
Jermery J. Washington, City Clerk
94. A RESOLUTION INCLUDING CERTAIN CONTIGUOUS TERRITORY WITHIN THE CORPORATE LIMITS OF THE CITY OF SIOUX FALLS, SOUTH DAKOTA. ANNEXATION 022571-2026—Interstate Crossing
Sponsor: Mayor
A motion was made by Council Member Basye and seconded by Council Member Merkouris to adopt Resolution No. 32-26.
Roll call vote to adopt. 6 Yes: Merkouris, Sigette, Soehl, Spellerberg, Thomason, Basye; 0 No: (None). Motion Passed.
RESOLUTION NO. 32-26
ANNEXATION 022571-2026—Interstate Crossing
A RESOLUTION INCLUDING CERTAIN CONTIGUOUS TERRITORY WITHIN THE CORPORATE LIMITS OF THE CITY OF SIOUX FALLS, SOUTH DAKOTA.
WHEREAS, there has been presented to the City Council of the City of Sioux Falls and filed with the City Clerk, a Petition in writing signed by the owners and otherwise in compliance with the provisions of SDCL Chapter 9-4, requesting that the territory hereinafter described be included within the municipality;
WHEREAS, there has been an analysis completed in regard to the territory hereinafter described and it has been found that:
1. The property has been properly described and is contiguous to the current city limits.
2. The proposed land uses and densities are generally consistent with the Shape Sioux Falls 2050 Comprehensive Plan.
3. The property will be accessed by N. Interchange Ave.
4. Property is adjacent to City water for connection.
5. Sanitary sewer is currently not available to this site; however, the applicant is not requesting sewer at this time because the parcel will be used as outdoor storage with no buildings.
NOW, THEREFORE, BE IT RESOLVED BY THE CITY OF SIOUX FALLS, SD:
That the following described properties are and the same hereby are included within the corporate limits of the city of Sioux Falls, Minnehaha County, and the boundary of the city is hereby extended to include such territory:
A portion of the East half of Section 27, Township 102 North, Range 49 West of the 5th P.M., as described by Exhibit A, Minnehaha County, South Dakota
And that the City Clerk shall cause to be filed with the Register of Deeds, Minnehaha County, South Dakota, a duly certified transcript of this resolution.
Date adopted: 04/07/26 .
Paul TenHaken, Mayor
ATTEST:
Jermery J. Washington, City Clerk
95. A RESOLUTION ADOPTING THE 2026 CITY COUNCIL POLICIES AND PROCEDURES.
Sponsors: Council Members Sigette and Merkouris
A motion was made by Council Member Sigette and seconded by Council Member Merkouris to adopt Resolution No. 33-26.
Roll call vote to adopt. 6 Yes: Merkouris, Sigette, Soehl, Spellerberg, Thomason, Basye; 0 No: (None). Motion Passed.
RESOLUTION NO. 33-26
A RESOLUTION ADOPTING THE 2026 CITY COUNCIL POLICIES AND PROCEDURES.
BE IT RESOLVED BY THE CITY OF SIOUX FALLS, SD:
That the document attached to and part of this resolution entitled “2026 City Council Policies and Procedures” is hereby adopted.
Date adopted: 04/07/26 .
Paul TenHaken, Mayor
ATTEST:
Jermery J. Washington, City Clerk
96. A RESOLUTION ESTABLISHING PREFERRED PEER COMMUNITIES FOR MUNICIPAL BENCHMARKING AND COMPARATIVE ANALYSIS.
Sponsors: Council Members Sigette and Merkouris
A motion was made by Council Member Sigette and seconded by Council Member Soehl to adopt Resolution No. 34-26.
Roll call vote to adopt. 6 Yes: Merkouris, Sigette, Soehl, Spellerberg, Thomason, Basye; 0 No: (None). Motion Passed.
RESOLUTION NO. 34-26
A RESOLUTION ESTABLISHING PREFERRED PEER COMMUNITIES FOR MUNICIPAL BENCHMARKING AND COMPARATIVE ANALYSIS.
WHEREAS, comparing the City to similarly situated communities promotes transparency, informed decision-making, and sound fiscal management; and
WHEREAS, the City Council desires to establish a consistent group of preferred peer communities for benchmarking purposes while maintaining flexibility to include other communities as appropriate;
NOW, THEREFORE, BE IT RESOLVED BY THE CITY OF SIOUX FALLS, SD:
Section 1: For purposes of benchmarking, the City Council designates the following communities as preferred peer cities:
• Cedar Rapids, IA
• Des Moines, IA
• Fargo, ND
• Fort Collins, CO
• Fort Wayne, IN
• Grand Rapids, MI
• Lincoln, NE
• Madison, WI
• Overland Park, KS
• Rapid City, SD
Section 2: It is the policy of the City Council that the above-listed communities serve as the primary comparator cities in reports, studies, and presentations to the City Council. In the event a preferred comparator community is not included in a report, study, or presentation, the City Council expresses its expectation that the basis for such omission be identified or explained to the Council.
Section 3: Nothing in this Resolution shall prohibit the inclusion of additional communities when, in the professional judgment of the city administration, such comparisons would provide relevant, accurate, or improved analysis.
Date adopted: 04/07/26 .
Paul TenHaken, Mayor
ATTEST:
Jermery J. Washington, City Clerk
NOTICE OF HEARINGS FOR STREET VACATIONS
97. A RESOLUTION VACATING THE WEST 21st STREET RIGHT-OF-WAY BOUNDED BY SOUTH GRANGE AVENUE AND SOUTH MENLO AVENUE, AS SHOWN ON EXHIBIT A.
Recommendation: Set a date of hearing for Tuesday, May 5, 2026.
Private Applicant(s): Mayor Sanford Health
A motion was made by Council Member Merkouris and seconded by Council Member Sigette to set a date of hearing for Tuesday, May 5, 2026 for Item 97.
Roll call vote to set a date of hearing. 6 Yes: Merkouris, Sigette, Soehl, Spellerberg, Thomason, Basye; 0 No: (None). Motion Passed.
REPORT OF OFFICERS/BOARDS/COMMITTEES/TRANSFERS OF UNENCUMBERED APPROPRIATION BALANCES AMONG PROGRAMS WITHIN A DEPARTMENT OR ORGANIZATIONAL UNIT AS PROVIDED IN THE SIOUX FALLS CITY CHARTER SECTION 5.07(d)
98. NOTICE OF TRANSFER OF APPROPRIATIONS ON THE MEMORANDUM DATED: March 17, 2026.
NEW BUSINESS
There was none.
GENERAL PUBLIC INPUT
The following item was discussed: bike trail expansion.
ADJOURNMENT
A motion was made by Council Member Sigette and seconded by Council Member Basye to adjourn at 7:01 p.m.
Voice vote to adjourn. 6 Yes: Merkouris, Sigette, Soehl, Spellerberg, Thomason, Basye; 0 No: (None). Motion Passed.
Denise D. Tucker, MMC,
Assistant City Clerk
Published once on Apr. 10, 2026, at the approximate cost of $644.67, and may be viewed free of charge at www.sdpublicnotices.com or TheDakotaScout.com.
-
PUBLISH: Apr. 10, 2026
-
PUBLISH: Apr. 10, 2026
-
PUBLISH: Apr. 10, 2026
-
PUBLISH: Apr. 10, 2026
SIOUX FALLS SCHOOL DISTRICT
PUBLISH: Apr. 10, 2026
-
PUBLISH: Apr. 10 & Apr. 17, 2026
INVITATION TO BID
Sealed bids for construction of the Southeast Technical College House Construction Lab will be received at the Administrative Conference Room #230 in the Hub at Southeast Technical College, 2001 N. Career Avenue, Sioux Falls, South Dakota, 57107, until 11:00 AM, Tuesday, April 28, 2026, at which time the bids will be opened and read aloud. Bids will be presented to Southeast Technical College Board and the Sioux Falls School District Board for their consideration at the next succeeding regular School Board meeting, all in accordance with Board policy.
All bidders shall take note of the AIA Document A701 “Instruction to Bidders”, the AIA Document A201 “General Conditions of the Contract for Construction”, the Sioux Falls School District’s “General Specifications For Public Improvement Contracts”, and the Sioux Falls School District’s “Special Conditions”, which are all part of the Construction Documents.
Plans and Specifications may be obtained by all Prime Bidders and major subcontractors through CADD Engineering Supply (CES), located at 615 South Lyons Avenue, Suite 100, Sioux Falls, South Dakota; Prime Bidders and major subcontractors should contact Derek Gors at (605) 332-2550 or print@cescolor.com.
Plans and Specifications may be examined at the office of Erik Vanlaecken, V.P. Technical and Operations, Southeast Technical College, 2320 N. Career Avenue, Sioux Falls, South Dakota, and will be made available at the office of Architecture Incorporated, 415 South Main Avenue, Sioux Falls, South Dakota.
Addenda will be uploaded to the Architecture Incorporated website at www.architectureinc.com under the ‘Projects Out for Bid’ section as they are issued. All bidders are encouraged to check the website regularly for the most current addendum information. Questions may be directed to Steve Jastram, AIA, Architecture Incorporated, stevejastram@architecturinc.com, 605-339-1711, extension 1060.
Each bidder must deposit bid security with the bid. Such security shall be based upon the amount of the base bid and shall consist of a Bid Bond for ten percent (10%) of the amount of the bid or a certified check, cashiers check or draft in the amount of five percent (5%) of the base bid and drawn on a State or National Bank. Such Bid Bond shall be issued by a surety authorized to do business in the state of South Dakota and payable to the Owner. The Bid Bond shall guarantee the execution of the contract by the successful bidder and shall be held by the Owner until said contract is executed.
No bidder may withdraw a bid for 30 days following the bid opening without a written request explaining the cause of the withdrawal and without written consent of the Owner after reviewing the cause.
Liquidated damages shall be in effect for this project. See Bid Form, Agreement for Construction and the Sioux Falls School District’s ‘Special Conditions’ for details.
The Owner reserves the right to reject any and all bids or parts hereof, and to waive any irregularities of any bid. The Owner also reserves the right to award the Contract to the lowest responsible bidder as may be determined by the Owner.
Published twice on Apr. 10 & Apr. 17, 2026, at the approximate cost of $68.45, and may be viewed free of charge at www.sdpublicnotices.com or TheDakotaScout.com.
-
PUBLISH: Apr. 3 & Apr. 10, 2026
ADVERTISEMENT FOR BIDS
Publish Dates: April 3rd & 10th
Sealed bids for Transport Cabinets – Child Nutrition PD #3542, will be received at the Central Services Center, Purchasing Department, 1101 North Western Avenue, Sioux Falls, South Dakota, 57104, up until 11:00 AM, Friday, April 17, 2026. Bids will be publicly opened, read, and tabulated 11:00 AM of said day in the Central Services Center. Bids will be presented to the School Board at the next succeeding regular Board meeting, all in accordance with Board policy. Specifications and Bid Forms may be obtained at https://www.sf.k12.sd.us/page/pending-bids-and-request-for-proposals or the Purchasing Department in the Central Services Center, 1101 North Western Avenue, Sioux Falls, South Dakota. All bids and contracts shall be made in accordance with and subject to SDCL 5-18A, 5-18B, 5-18C, 5-18D, 5-21, 5-22 and the provisions set forth in the specifications. The School Board reserves the right to reject any and all bids or parts thereof, and to waive any irregularities. School Board, Sioux Falls School District 49-5 of Minnehaha County, South Dakota. By: Todd Vik, Business Manager. This notice may be viewed free of charge on a 13 statewide public notice website maintained pursuant to § 17-2-1.
Published twice on Apr. 3 & Apr. 10, 2026, at the approximate cost of $30.17, and may be viewed free of charge at www.sdpublicnotices.com or TheDakotaScout.com.
-
PUBLISH: Apr. 3 & Apr. 10, 2026
NOTICE OF AUDIT OF THE FISCAL AFFAIRS OF
SIOUX FALLS SCHOOL DISTRICT NO. 49-5
Notice is hereby given that the records and books of account of Sioux Falls School District No. 49-5 of Minnehaha County, South Dakota, have been audited by Eide Bailly LLP for the fiscal year ended June 30, 2025, and that a detailed report thereon is filed with the governing board, the Director of Finance, and the Department of Legislative Audit, 427 South Chapelle, Pierre, South Dakota, for public inspection.
This notice is published in compliance with the provisions of SDCL 4-11-7.2.
Finding 2025-001 Audit Adjustments and Passed Audit Adjustments
Material Weakness
Criteria: The School District’s internal control structure should be designed to provide for the preparation of and recording and processing of all entries to the financial statements being audited in accordance with generally accepted accounting principles.
Condition: During our audit procedures, we identified certain misstatements as a result of our audit procedures brought to the attention of and corrected by management. We also identified certain misstatements, deemed to be immaterial individually and in the aggregate to the financial statements as a whole, that were passed on for adjustment by management. We, as the auditor, were requested to maintain the GASB 87 and 96 lease and SBITA schedules for the School District as a nonattest service and made the necessary adjustments as part of the audit for lease and SBITA activities under GASB 87 and 96, which are included as part of the corrected identified misstatements.
Cause: The School District’s internal controls did not identify and detect the misstatements noted during our audit, or in the case of GASB 87 and GASB 96 maintenance of schedules and calculation, the School District requested these to be performed by the auditor as a nonattest service; internal control would be to review and approve the result of the nonattest service provided. The School District, as a cost/benefit consideration, requested the maintenance of GASB 87 and GASB 96 schedules and calculations to be performed as a nonattest service with any proposed adjustments posted by the auditor.
Effect: The presence of identified audit adjustments and passed audit adjustments, or reliance on the auditor for certain adjustments, may affect the condition of financial information throughout the year being used by management in analysis and decision making and increase the risk that potential misstatements remain present in the financial statements.
Recommendation: We recommend management perform a thorough review of the account balances in each fund to ensure all necessary adjustments are reflected in the financial statements in accordance with generally accepted accounting principles. Furthermore, we recommend thorough review of all auditor-proposed adjustments from nonattest services provided prior to management approval.
Views of Responsible Officials: Management agrees with the finding. The School District, based upon consideration of certain cost and benefit factors of maintaining the lease and SBITA schedules internally and preparation of the related adjustments, determined requesting the auditor to maintain and prepare the schedules and proposed adjustments as the best use of current resources.
2025-002 Department of Education
Student Financial Aid Cluster
Federal Financial Assistance Listing 84.268 – Federal Direct Student Loans, 84.063 - Federal
Pell Grant Program, 84.007 – FSEOG Program
2024-2025 Award Year
Special Tests and Provision – Disbursements to or on Behalf of Students
Significant Deficiency in Internal Controls over Compliance
Criteria: When Title IV funds are credited to a student account and they exceed the amount of tuition and fees, food and housing, and other authorized charges assessed the student, a credit balance is created. The institution must pay the resulting credit balance directly to the student or parent borrower within 14 days after (1) the first day of class of a payment period if the credit balance occurred on or before that day, or (2) the balance occurred if that was after the first day of class. Also, as allowed under 34 CFR 668.164(c)(3), a school may pay prior award year charges up to $200. If over $200, student authorization is required to apply the payments to a prior-year balance.
Condition: During testing over credit balances, one student did not receive the refund on a timely basis.
Cause: The student was awarded aid at an off time in the semester, and the refund was not provided within the 14-day window.
Effect: The students were not given the refund in a timely manner.
Questioned Costs: None.
Context/Sampling: A nonstatistical sample of 60 students who received Title IV disbursements out of 1,903 students who received aid.
Repeat Finding from Prior Year(s): Yes.
Recommendation: We recommend disbursements made be reviewed to ensure that the refunds are being provided to students on a timely basis.
Views of Responsible Officials: Management agrees with the finding.
2025-003 Department of Education
Student Financial Aid Cluster
Federal Financial Assistance Listing 84.268 – Federal Direct Student Loans
2024-2025 Award Year
Special Tests and Provision – NSLDS Reporting
Significant Deficiency in Internal Controls over Compliance
Criteria: 34 CFR section 685.309 sets forth the criteria for administrative and fiscal control and fund accounting requirements for schools participating in the Direct Loan Program in regard to enrollment reporting requirements.
Condition: We identified through our testing over enrollment reporting one instance of a student’s program begin date incorrectly reported to NSLDS.
Cause: An error in entry of the date was made in the system which is used to report to NSLDS, so the date was incorrectly reported.
Effect: The error in reporting resulted in incorrect program start date for the student.
Questioned Costs: None.
Context/Sampling: A nonstatistical sample of 60 students with a change in status out of approximately 820 students with a change in status were selected for testing of enrollment reporting requirements.
Repeat Finding from Prior Year(s): Yes.
Recommendation: We recommend the financial aid and registrar’s offices review controls over information being entered into the software for dates and other academic information that is required to be reported to ensure that status changes and other academic information are certified within 60 days of the effective date.
Views of Responsible Officials: Management agrees with the finding.
Published twice on Apr. 3 & Apr. 10, 2026, at the approximate cost of $146.75, and may be viewed free of charge at www.sdpublicnotices.com or TheDakotaScout.com.
-
PUBLISH: Apr. 3 & Apr. 10, 2026
NOTICE OF PUBLIC HEARING -
FOR IMMEDIATE RELEASE
In accordance with the U.S. Department of Education guidelines under Title VI (Indian Education), Part A, subpart 1 of the ESEA, as amended by Every Child Succeeds Act (ESSA), a public hearing will be held to discuss the Sioux Falls School District’s application for formula grants to local education agencies (CFDA 84.060) for the 2026-27 Title academic year. All parents of Native American students and interested community members are invited to attend.
Date: Thursday, April 23, 2026
Time: 5:30 p.m.
Place Instructional Planning Center, Center Room 2
Contact: Anna Brokenleg, Supervisor of Indian Education
Office of Indian Education
IPC – 201 E. 38th St.
Sioux Falls, SD 57105
Phone: (605)367-4282
Email: Anna.Brokenleg@k12.sd.us
Published twice on Apr. 3 & Apr. 10, 2026, at the approximate cost of $21.47, and may be viewed free of charge at www.sdpublicnotices.com or TheDakotaScout.com.
-
PUBLISH: Apr. 10, 2026
SCHOOL BOARD MEETING
The School Board of the Sioux Falls School District 49-5 of Minnehaha County, South Dakota, was called into special session, pursuant to due notice, on Wednesday, April 1, 2026, at 3:00 p.m. in the Instructional Planning Center, 201 East 38th Street, Sioux Falls, South Dakota, with the following members present: Elizabeth Duffy, Gail Swenson, and President Nan Kelly. Absent: Dawn Marie Johnson and Vice President Marc Murren. Dr. James Nold, Superintendent of Schools, Todd Vik, Business Manager, Daniel Conrad, Assistant Superintendent, Dr. Kirk Zeeck, Assistant Superintendent, were also present.
Public Input on Agenda Items: none.
The purpose of this work session was to answer any questions regarding the proposed FY27 budget and discuss any changes since the last budget work session. Dr. James Nold, gave an overview of the proposed budget for FY27.
Board member committee reports: none.
Action 39928
On motion by Elizabeth Duffy and seconded by Gail Swenson three (3) votes “yes” on roll call, the School Board adjourned at 3:46 p.m.
NAN KELLY
Presiding Officer
TODD VIK
Business Manager
Published once on Apr. 10, 2026, at the approximate cost of $15.08, and may be viewed free of charge at www.sdpublicnotices.com or TheDakotaScout.com.
-
PUBLISH: Apr. 10, 2026
SCHOOL BOARD MEETING
Wednesday, April 1, 2026
The School Board of the Sioux Falls School District 49-5 of Minnehaha County, South Dakota, was called into regular session, pursuant to due notice, on Wednesday, April 1, 2026, at 4:00 p.m. in the Instructional Planning Center, 201 East 38th Street, Sioux Falls, South Dakota, with the following members present: President Nan Kelly, Gail Swenson, Elizabeth Duffy.
Action ST01004 A motion was made by Gail Swenson and seconded by Elizabeth Duffy, three (3) votes “yes” on roll call approving the minutes of meetings held on March 4, 2026, and which were furnished to the Sioux Falls Argus leader for publication, in unapproved form, all in accordance with SDCL §13-8-35.
Action ST01005 A motion was made by Elizabeth Duffy and seconded by Gail Swenson, three (3) votes “yes” on roll call, approving the agenda as presented.
President Kelly asked about any conflicts of interest. None were brought forward.
Action ST01006 A motion was made by Elizabeth Duffy and seconded by Gail Swenson, three (3) votes “yes” on roll call, approving Item A through C on the consent agenda as follows:
A. Approving the Authorizations and Ratifications, as follows:
A.1. Approval of Contract Rescission
Authorizing the President to rescind the existing Beverage Services contract with PepsiCo in accordance with contract terms, for an and on behalf of the Southeast Technical College. (MRF #ST731).
B. Approving the Consolidated Report of Trust and Agency Funds of April 1, 2026, and stating for the record that as of February 28, 2026, receipts total $45,321,710.63 and disbursements total $40,365,635.52 (MRF #ST732).
C. Accepting the Southeast Tech Personnel Report, as follows:
C1. Resignations.
Accepting the resignation of School District Personnel as of the effective date indicated, the personnel having been previously employed by Board Action, as follows:
Name Location/Position Effective Date
Employee, Full-Time, Hourly
Nelson, Danial Custodian 02-25-26
Mendoza, Domingo Custodian 02-27-26
Other Help, Part-Time, Hourly
Lingren, Peter Testing Center 11-20-25
Instructor, Adjunct, Hourly & Per Credit Hour
Baker Jr. Lanny Nursing & Health 02-15-26
Fjeldheim, Elizabeth Nursing & Health 02-19-26
Galvin-Siebenaler, Teka Nursing & Health 02-23-26
Schreurs, Katie Nursing & Health 02-27-26
Saeger, Amanda Nursing & Health 03-10-26
Dvanajscak, Amanda Nursing & Health 03-12-26
Stafford, Emily Nursing & Health 03-12-26
Vierhuf, Sabrina Nursing & Health 03-12-26
Claussen, Jaclyn Nursing & Health 03-12-26
Newcomb, Theresa Nursing & Health 03-12-26
Kannegieter, Tawni Nursing & Health 03-12-26
C2. Employment Recommendations
Name Location/Position Effective Date Amount
Instructor, Adjunct, Hourly
Ramsdell, Darin Nursing & Health 03-17-26 $34.00
Student Help, Part-Time, Hourly
Nilson, Jocelyn Engineering 03-12-26 $20.00
Robinson, Hunter Trades 03-17-26 $15.00
Employee, Full-Time, Hourly
Miller, Logan Enterprise Application Administrator 12- Month, 1.0 FTE Level 8, Step 2 03-02-26 $30.44
Fedderson-Nelson, R. Campus Visit Coordinator And Admissions Assistant 12-Month, 1.0 FTE Level 9, Step 1 03-16-26 $24.16
Employee, Full-Time, Salaried
Hoy, Miles Admissions Representative 12-Month, 1.0 FTE Level 7, Step 1 87 days prorated 03-02-26 $19,139.67
Venekamp, Brianna Perkins Consortium Director 12-Month, 1.0 FTE Level 9, Step 11 65 days prorated $19,460.90 C3. Change of Status
Name Delete Add Effective Date
Stubbe, Scott Adjunct Mechanical Engineering Instructor Part-Time, Adjunct Exempt $821.50/credit hour to Health Simulation Lab Technician 210-Day, 1.0 FTE Level 8, Step 6 Exempt $20,973.47/annual 76 days prorated 02-09-26
Kock, Breanna Cardiovascular Sonography Instructor 206-Day, 1.0 FTE Level 2, Step 9 $70,597 to Cardiovasular SOnoghraphy Intructor 226-Day, 1.0 FTE Level 2, Step 9 $36,326.58 106 days prorated 2/1/2026
Wentworth, Nichole Adjunct Cardiovascular Sonography Instructor Part-Time $34.00/hour to Cardiovascular Sonography Instructor 206-Day, 1.0 FTE Level 3, Step 10 $27,336.77 75 days prorated 03-16-26
C4. Employee Temporary Stipend, Additional Pay Per Day/Hour While Covering for Those Employees Out on a Leave of Absence
Name Location/Position Effective Date Amount
Fjelland, Lauren Registrar 12-22-25 $22.10/day
Strouth, Erica Registrar 12-22-25 $9.85/hour
C5. Employee Lump Sum Payment/Stipend
Name Location/Position Effective Date Amount
Schuette, Amanda Foundation 03-01-26 $500.00
VanBriesen, Tonya Finance 03-01-26 $500.00
Beck, Kelly Nursing & Health 03-01-26 $500.00
Larson, Jim Finance 03-01-26 $500.00
Muhs, Jon Financial Aid 02-27-26 $3,932.00
Buseman, Nathan Financial Aid 02-27-26 $3,932.00
Schwartz, Colette Nursing & Health 04-01-26 $1,000.00
Mekelburg, Erin General Education 04-01-26 $1,000.00
Vande Kamp, Sara Academic Affairs 04-01-26 $1,000.00
Huizing, Susanne Student Success 04-01-26 $1,000.00
Action ST01007 STC Vice President of Academic Affairs Fenecia Homan presented a comprehensive Faculty Workload Plan. (MRF #ST733). The plan reflects the work of a Calendar Taskforce in Summer 2025 and a Faculty Taskforce in Fall 2025, and culminates in the Spring 2026 rollout. The primary goal is to establish a consistent, transparent, and equitable framework for defining and calculating faculty workload across academic programs.
Following general discussion, a motion was made by Gail Swenson and seconded by Elizabeth Duffy, three (3) votes “yes” on roll call to acknowledging the Faculty Workload Plan.
Action ST01008 STC President Cory Clasemann provided an update on the community engagement survey. (MRF #ST734). In January and February, Southeast Technical College (STC) worked with Chamberlin Dun LLC to administer our first community engagement survey. It went to 132 stakeholders in private business, government, philanthropy, non-profits, K-12, and higher education, with a 35% response rate. Survey responses used a 5-point Likert-style scale.
Overall takeaways included:
• Responses from these community members indicate STC is excelling at its core functions of economic/workforce alignment and impact and student learning opportunities
• STC can celebrate that all responding community members said it is true that Southeast Tech has a strong connection with the community
• Reputation and presence is a bit lower, and there may be opportunity for STC to highlight its alumni presence and impact in the community. Following general discussion, a motion was made by Gail Swenson and seconded by Elizabeth Duffy, three (3) votes “yes” on roll call to acknowledge the Community Engagement Survey Update.
Action ST01009 STC Director of Workforce Development, Dr. Sara M. Vande Kamp provided an overview of Southeast Technical College’s strategic approach to launching a phased, sustainable Alumni Association, aligned with the college’s Workforce Development office and Institutional Goal #4: Strengthen relationships and institutional impact through alumni engagement, partnerships, and regional economic development. (MRF #ST735). Southeast Technical College is taking intentional steps to build a coordinated alumni engagement structure that reflects the college’s mission, strengthens regional workforce outcomes, and deepens long term relationships with graduates. A subcommittee within Institutional Goal #4 of the Strategic Plan developed this framework under the leadership of Dr. Sara Vande Kamp. While alumni have long contributed to STC’s reputation and employer partnerships, the absence of a formalized engagement model has created an opportunity to establish a more aligned, strategic, and scalable approach.
The resulting phased framework prioritizes infrastructure before programming. Phase 1 focuses on launching a centralized alumni web presence, building a reliable alumni database, strengthening identity through storytelling, and initiating low barrier engagement opportunities, including a proposed spring alumni event aimed at gathering early feedback and building momentum. These foundational elements support accurate alumni data collection, stronger workforce based storytelling, and clear pathways for future alumni involvement.
This work is deeply aligned with STC’s mission: preparing students for thriving careers through innovative, industry driven pathways and strong community partnerships to inspire lifelong success. Alumni are among the college’s strongest workforce assets, representing tangible program outcomes and employer partnerships across the region. As the framework evolves, Phase 2 (6–18 months) will focus on establishing an alumni advisory group, increasing alumni involvement in panels and workforce related events, and expanding communication strategies. Long term planning includes developing a fully realized Alumni Association with consistent engagement, sustained institutional partnerships, and opportunities for mentorship, advocacy, and philanthropy. This phased approach positions alumni engagement as a strategic investment in both STC’s graduates and the region’s workforce ecosystem.
Following general discussion, a motion was made by Gail Swenson and seconded by Elizabeth Duffy, three (3) votes “yes” on roll call for to acknowledge the Southeast Technical College Alumni Association Framework and its alignment with Institutional Goal #4 and workforce development priorities.
Action ST01010 STC Vice President of Finance Christine Goldsmith presented the proposed fiscal year 2027 Tuition and Fees at Southeast Technical College (MRF #ST736).
A motion was made by Gail Swenson and seconded by Elizabeth Duffy, three (3) votes “yes” on roll call, approving Tuition and Fees Report from the VP of Finance. As follows:
Required Tuition & Fees:
State Tuition Rate $134.00 per credit
Dual Credit Tuition Rate $78.48 per credit
Concurrent Tuition Rate $40.00 per credit
State Facility Fee $36.00 per credit
State Maintenance & Repair Fee $8.00 per credit
Institute Fee $82.00 per credit
Technology Fee $15.00 per credit
Maintenance & Repair Fee $5.00 per credit
Student Activity Fee $2.00 per credit
Registration Fees $75.00 annual fee
Graduation Fee $25.00 per program
Program-Specific Fees:
Program (A–Z) Amounts
Architectural Engineering $5.00 per credit
Auto Body & Collision $50.00 per credit
Auto Mechanic Specialist $27.50 per credit
Mechanical Engineering $15.00 per credit
Behavioral and Mental Health Trajecsys Subscription $100.00 per year
Cardiovascular Sonography $33.00 per credit. Board and SPI Exams: $275.00 - 300.00 per exam Trajecsys Subscription: $100.00 - $250.00 per student (Annual and clinical) UltraLinq: $100 per year
Certified Nursing Assistant $125 - $175 per course
Civil Engineering $10.00 per credit
Community Health Worker $15.00 per credit
Construction Management $27.50 per credit
Dental Assisting $34.50 per credit Trajecsys Subscription: $50.00 per semester
Diagnostic Medical Sonography $33.00 per credit Board & SPI Exams: $275.00 - 300.00 per exam
Trajecsys Subscription: $100.00 per year UltraLinq: $90 per year
Diesel Mechanic $27.50 per credit
Electrician $50.00 per credit
HVAC $27.50 per credit
Horticulture $27.50 per credit
Invasive Cardiovascular Sonography $33.00 per credit Trajecsys Subscription: $250.00 per year
Land Surveying $10.00 per credit
Law Enforcement $12.00 per credit
Licensed Practical Nursing (LPN) $77.00 per credit ATI Subscription: $2,100.00 per student
Mechatronics $22.00 per credit
Medical Assistant $33.00 per credit CPR Training Certification: $8.00 per student EHR Go Subscription: $163.00 per year McGraw Hill All Access Subscription: $100.00 per year Trajecsys Subscription: $50.00 per semester
Medical Coding Cengage Unlimited Subscription: $230.00 per year
EHR Go Subscription: $128.00 - $293.00 (Certificate/Diploma/Associates) per year
AAPC & Exams: $688 - $908 per student
Medical Lab Technician $40.00 per credit CPR Training Certification: $8.00 per student Trajecsys Subscription: $75.00 per year
Paramedic $33.00 per credit Brightspace Subscription: $90.00 per student
EMCE Subscription: $129.00 per student
Phlebotomy $33.00 per credit CPR Training Certification: $8.00 per student Trajecsys Subscription: $50.00 per semester
Plumbing $50.00 per credit
Registered Nursing (RN) $77.00 per credit ATI Subscription: $2,300.00 per student
Respiratory Therapy $40.00 per credit Trajecsys Subscription: $150.00 per year
Sports Turf Management $20.00 per credit
Surgical Technology $50.00 per credit AST Gold Bundle Subscription: $247.00 per year Trajecsys Subscription: $150.00 per year
Vet Tech $50.00 per credit
Welding $50.00 per credit
Other Costs and Fees
Laptops $1,100 - $3,500 per unit
Laptop Rental $10 - $200 per semester
Help Desk Support Fee-Student Provided Laptops $50.00 per hour
Testing Fees $35 - $400 per test
Course Test Out Fees $50.00 per course
Exam Proctor Fee $35.00 - $50.00 per hour
Payment Plan Registration $25.00 per plan
Returned Payment Fee $30.00 per incident
Late Payment Fees (3 – months maximum) $25.00 per month
Replacement Student ID/Clinical Badge $20.00 per replacement
Printing Charges (B&W, Color) $0.15/$0.25 per image
Transcript Fee (Paper copy) $10.00 each
Diploma Fees (Duplicate) $15.00 each
Childcare Rates:
Up to 20 contracted hours $140.00 per week
Up to 30 contracted hours $195.00 per week
Up to 40 contracted hours $250.00 per week
Up to 50 contracted hours $300.00 per week
Hourly (Above contracted amount) $7.00 per hour
Hourly (Drop In) $10.00 per hour
Registration Fee $50.00 per family
Corporate Education Rates:
CDL – Class A $6,000.00 per course
CDL – CMV Inspection Overview $250.00 per course
CDL – Class A Final Drive $300.00 per course
CDL – Class B Final Drive $200.00 per course
CDL – FMCSA ELDT Theory $530.00 per course
CDL – ELDT Class B: BTW $1,200.00 per course
CDL – ELDT Class A: BTW – Range $1,500.00 per course
CDL – ELDT Class A: BTW – Open Road $1,500.00 per course
CDL – Class A: BTW Range, OTR Training $3,000.00 per course
CDL – Retrain/Retest $750.00 per course
CDL – Train the Trainer $250.00 per course
CDL – CMV Passenger Endorsement $150 - $200 per course
Commercial Learner’s Permit $200.00 per course
DRD – Dental Radiology Course $660.00 per course
Computer Training $80 – $400 per course
CPR Course Fee $60.00 per course
Customized Classes $0 - $1,500 per course
Dental – Perioperative Training Course $340.00 per course
Dental – Radiology Course $450.00 per course
HAT Course Fee $450 - $825 per course
Welding Certification Courses/Certification $100 - $1,000 per course
Action ST01011 Vice President of Finance Christine Goldsmith provided the Financial Update Report (MRF #ST737). Highlights of the report included high-level year-to-date revenues and expenses and an overview of 4-year comparison of combined fund balances.
Following general discussion, a motion was made by Elizabeth Duffy and seconded by Gail Swenson, three (3) votes “yes” on roll call acknowledging the Financial Update Report.
Action ST01012 STC Vice President of Academic Affairs Fenecia Homan presented four academic changes designed to respond to workforce demand, increase student access and flexibility, and improve program efficiency while maintaining academic quality. (MRF #ST738). The proposed changes include the addition of two new certificates, a Landscaping Certificate and an Advanced Emergency Medical Technician (AEMT) Certificate, that build on existing degree programs and align with documented industry and regional workforce needs. The Landscaping Certificate responds to student and employer demand by providing a focused credential for students already enrolled in the Horticulture AAS or Sports Turf AAS, requiring minimal additional credits. The AEMT Certificate runs concurrently with the January-start Paramedic Program and creates a stackable pathway into advanced EMS practice, particularly supporting rural and volunteer EMS systems.
In addition, STC proposes a Credit for Prior Learning degree completion option within the Paramedic Science AAS. This option recognizes nationally registered and state-licensed paramedics’ existing certifications and professional experience, allowing degree completion through 12 credits of new coursework that equate to 44 credits of the current program. This change supports workforce retention, career advancement, and leadership development in Emergency Medical Services.
Finally, the College recommends reorganizing the existing Entrepreneurship AAS by offering entrepreneurship coursework as a program emphasis within the Business Administration AAS, consistent with advisory board and accreditor (ACBSP) guidance. This change involves no modification to coursework, credit hours, or learning outcomes, and improves alignment, efficiency, and student flexibility.
Collectively, these proposals strengthen workforce responsiveness, expand stackable credential pathways, and optimize institutional resources while preserving academic rigor and accreditation standards.
A motion was made by Elizabeth Duffy and seconded by Gail Swenson, three (3) votes “yes” on roll call, approving Academic Program Changes.
Action ST01013 STC President Cory Clasemann provided an update on this year’s state legislative session (MRFST#739). This year South Dakota legislative session ended on March 12, 2026. This year’s session resulted in some notable funding increases for STC:
• SB 79 will provide $6 million in one-time funding to support the construction of the James Abdnor Center for Advanced Manufacturing.
• The per student allocation (PSA), which is the largest source of state funding to the college, will increase for FY27 from $6,324.04 per FTE to $6,412.57. This will result in approximately $400,000 in additional revenue for STC.
• Maintenance & repair (M&R) funding will increase to $916,658 in FY27, an increase of nearly $325,000 from FY26. This is a combination of on-going and one-time funds.
In other bills of note, Governor Rhoden signed SB 63 into law, which creates the Office of Apprenticeship within the Department of Labor and Regulation.
Following general discussion, a motion was made by Gail Swenson and seconded by Elizabeth Duffy, three (3) votes “yes” on roll call acknowledging the Legislative Update.
Action ST01014 A motion was made by Gail Swenson and seconded by Elizabeth Duffy, three (3) votes “yes” on roll call, approving the review/revise or withdrawal of policies and accompanying regulations (MRF #ST740), as follows:
A. STC 201 – School Board Operational Goals
B. STC 441 – Quantity Purchasing
C. STC 512 – Key Control/Access to Buildings
D. STC 712 – Drug and Alcohol Testing for Commercial Driver/Student
E. STC 841 – Acceptable and Ethical Use of Technology Resources
Action ST01015 A motion was made by Gail Swenson and seconded by Elizabeth Duffy, three (3) votes “yes” on roll call, approving the first reading of the following (MRF #ST741) as follows:
A. STC 503 – Equal Opportunity, Harassment, and Nondiscrimination
Action ST01016 A motion by Gail Swenson and seconded by Elizabeth Duffy, three (3) votes, “yes” on roll call, authorizing a recess from 5:40 – 5:45 before entering an executive session.
Action ST01017 A motion by Gail Swenson and seconded by Elizabeth Duffy, three (3) votes, “yes” on roll call, authorizing an executive session of the School Board at 5:46 p.m. to discuss contract negotiations, in accordance with SDCL §1-25-2(3). The School Board resumed regular session at 6:21 p.m.
Action ST01018 On motion by Gail Swenson and seconded by Elizabeth Duffy, three (3) votes “yes” on roll call, the School Board adjourned at 6:21 p.m.
NAN KELLY
Presiding Officer
TODD VIK
Business Manager
Published once on Apr. 10, 2026, at the approximate cost of $228.23, and may be viewed free of charge at www.sdpublicnotices.com or TheDakotaScout.com.
CITY OF BALTIC
PUBLISH: Apr. 10, 2026
UNAPPROVED MINUTES
BALTIC PLANNING & ZONING MEETING
MARCH 30, 2026
7:00 PM BALTIC CITY HALL
130 ST. OLAF AVENUE BALTIC, SOUTH DAKOTA
CALL TO ORDER
Planning & Zoning President, Craig Johnson called the P&Z meeting to order at 7:00 PM in the Baltic City Hall, 130 St Olaf Avenue. Answering roll call were P&Z Members Steve Boeve, Nikki Oien, Zach Utecht, and President, Craig Johnson. Also, in attendance were Finance Officer, Lauren Utecht and Public Works Supervisor, Paul Osthus, and ISG Engineer, Justin Heim.
PLEDGE OF ALLEGIANCE
Craig Johnson led the meeting of the Pledge of Allegiance.
APPROVAL OF MINUTES
Nikki Oien made a motion to approve 1/26/26 Meeting Minutes and 10/27/25 Meeting Minutes. Seconded by Steve Boeve. All ayes.
PUBLIC HEARING
No one came forward.
Revision of R3 Zoning Ordinance. Motion to approve. Steve Boeve made a motion to approve recommendation to Revision of R3 Zoning Ordinance, seconded by Nikki Oien, all ayes. Motion carried.
No one came forward.
ADJOURNMENT
Steve Boeve made a motion to adjourn at 7:18pm. Oien seconded, all ayes, motion carried.
Lauren Utecht
Finance Officer
Craig Johnson
Planning & Zoning President
Published once on Apr. 10, 2026, at the approximate cost of $15.66, and may be viewed free of charge at www.sdpublicnotices.com or TheDakotaScout.com.
MINNEHAHA COUNTY
PUBLISH: Apr. 10, 2026
NOTICE OF HEARING
Notice is hereby given that on April 28, 2026, at or after 9:00 a.m. the Minnehaha County Board of County Commissioners will conduct a joint public hearing with the City of Dell Rapids to consider the following amendments to MC28-01, the 2001 Revised Joint Zoning Ordinance for Minnehaha County and City of Dell Rapids. Such hearing will be part of the regularly scheduled meeting to be held in the Commission Meeting Room of the County Administration Building, 415 N Dakota Ave., Sioux Falls, SD.
ZONING TEXT AMENDMENT related to the following:
Article 24.00 – To amend and add fees and requirements related to various application requests related to the zoning ordinance.
All interested persons may appear and be heard.
Meeting Assistance: Accommodations for meetings will be provided for persons with disabilities upon request. Please contact the County Commission Office at (605) 367-4206 (Voice or TDD) 24 hours in advance of the meeting.
Dated: April 7, 2026
Published once on Apr. 10, 2026, at the approximate cost of $14.17, and may be viewed free of charge at www.sdpublicnotices.com or TheDakotaScout.com.
-
PUBLISH: Apr. 10, 2026
NOTICE OF HEARING
Notice is hereby given that on April 28, 2026, at or after 9:00 a.m. the Minnehaha County Board of County Commissioners will conduct a joint public hearing with the City of Dell Rapids to consider the following amendments to MC28-01, the 2001 Revised Joint Zoning Ordinance for Minnehaha County and City of Dell Rapids. Such hearing will be part of the regularly scheduled meeting to be held in the Commission Meeting Room of the County Administration Building, 415 N Dakota Ave., Sioux Falls, SD.
ZONING TEXT AMENDMENT related to the following:
Article 3.04 – To add Accessory Dwelling Unit (ADU)
Article 4.04 – To add Accessory Dwelling Unit (ADU)
Article 4A.04 – To add Accessory Dwelling Unit (ADU)
Article 5.04 – To add Accessory Dwelling Unit (ADU)
Article 9.04 – To add Accessory Dwelling Unit (ADU)
Article 12.16 – To add requirements related to Accessory Dwelling Units (ADU)
Article 26.02 – To add and amend definitions related to Accessory Dwelling Units (ADU)
All interested persons may appear and be heard.
Meeting Assistance: Accommodations for meetings will be provided for persons with disabilities upon request. Please contact the County Commission Office at (605) 367-4206 (Voice or TDD) 24 hours in advance of the meeting.
Dated: April 7, 2026
Published once on Apr. 10, 2026, at the approximate cost of $17.39, and may be viewed free of charge at www.sdpublicnotices.com or TheDakotaScout.com.
-
PUBLISH: Apr. 10, 2026
NOTICE OF HEARING
Notice is hereby given that on April 28, 2026, at or after 9:00 a.m. the Minnehaha County Board of County Commissioners will conduct a joint public hearing with the City of Dell Rapids to consider the following amendments to MC28-01, the 2001 Revised Joint Zoning Ordinance for Minnehaha County and City of Dell Rapids. Such hearing will be part of the regularly scheduled meeting to be held in the Commission Meeting Room of the County Administration Building, 415 N Dakota Ave., Sioux Falls, SD.
ZONING TEXT AMENDMENT related to the following:
Article 3.04 – To amend requirements for transferring a building eligibility
Article 9.04 – To amend requirements for transferring a building eligibility
All interested persons may appear and be heard.
Meeting Assistance: Accommodations for meetings will be provided for persons with disabilities upon request. Please contact the County Commission Office at (605) 367-4206 (Voice or TDD) 24 hours in advance of the meeting.
Dated: April 7, 2026
Published once on Apr. 10, 2026, at the approximate cost of $14.49, and may be viewed free of charge at www.sdpublicnotices.com or TheDakotaScout.com.
-
PUBLISH: Apr. 10, 2026
NOTICE OF HEARING
Notice is hereby given that on April 28, 2026 at or after 5:00 p.m. the Minnehaha County Board of County Commissioners will conduct a joint public hearing with the City of Sioux Falls to consider the following amendments to MC30-02, the Revised Joint Zoning Ordinance for Minnehaha County and City of Sioux Falls. Such hearing will be part of the regularly scheduled meeting to be held in Carnegie Town Hall, 235 W. 10th Street, Sioux Falls, SD.
ZONING TEXT AMENDMENT related to the following:
Article 22.00 – To amend and add fees and requirements related to various application requests related to the zoning ordinance.
All interested persons may appear and be heard.
Meeting Assistance: Accommodations for meetings will be provided for persons with disabilities upon request. Please contact the County Commission Office at (605) 367-4206 (Voice or TDD) 24 hours in advance of the meeting.
Dated: April 7, 2026
Published once on Apr. 10, 2026, at the approximate cost of $13.53, and may be viewed free of charge at www.sdpublicnotices.com or TheDakotaScout.com.
-
PUBLISH: Apr. 10, 2026
NOTICE OF HEARING
Notice is hereby given that on April 28, 2026 at or after 5:00 p.m. the Minnehaha County Board of County Commissioners will conduct a joint public hearing with the City of Sioux Falls to consider the following amendments to MC30-02, the Revised Joint Zoning Ordinance for Minnehaha County and City of Sioux Falls. Such hearing will be part of the regularly scheduled meeting to be held in Carnegie Town Hall, 235 W. 10th Street, Sioux Falls, SD.
ZONING TEXT AMENDMENT related to the following:
Article 22.00 – To amend and add fees and requirements related to various application requests related to the zoning ordinance.
All interested persons may appear and be heard.
Meeting Assistance: Accommodations for meetings will be provided for persons with disabilities upon request. Please contact the County Commission Office at (605) 367-4206 (Voice or TDD) 24 hours in advance of the meeting.
Dated: April 7, 2026
Published once on Apr. 10, 2026, at the approximate cost of $13.53, and may be viewed free of charge at www.sdpublicnotices.com or TheDakotaScout.com.
-
PUBLISH: Apr. 10, 2026
NOTICE OF HEARING
Notice is hereby given that on April 28, 2026 at or after 9:00 a.m. the Minnehaha County Board of County Commissioners will conduct a public hearing to consider the following amendments to MC16-90, the 1990 Revised Zoning Ordinance for Minnehaha County. Such hearing will be part of the regularly scheduled meeting to be held in the Commission Meeting Room of the County Administration Building, 415 N Dakota Ave., Sioux Falls, SD.
ZONING TEXT AMENDMENTS related to the following:
Article 24.00 – To amend and add fees and requirements related to various application requests related to the zoning ordinance.
All interested persons may appear and be heard.
Meeting Assistance: Accommodations for meetings will be provided for persons with disabilities upon request. Please contact the County Commission Office at (605) 367-4206 (Voice or TDD) 24 hours in advance of the meeting.
Dated: April 7, 2026
Published once on Apr. 10, 2026, at the approximate cost of $12.88, and may be viewed free of charge at www.sdpublicnotices.com or TheDakotaScout.com.
-
PUBLISH: Apr. 10, 2026
NOTICE OF HEARING
Notice is hereby given that on April 28, 2026, at or after 9:00 a.m. the Minnehaha County Board of Commissioners will conduct a public hearing on the following amendments to Ordinance MC16-90 the 1990 Revised Zoning Ordinance for Minnehaha County. Such hearing will be part of the regularly scheduled meeting to be held in the Commission Room of the County Administration Building, 415 N Dakota Ave., Sioux Falls, SD.
REZONE from the A-1 Agricultural District to the C Commercial District, property legally described as the West 200 Feet of Tract 2 Otterby’s Addition (Except Lot H-2) NE¼ Section 12 T102N-R50W, Minnehaha County, SD
All interested persons may appear and be heard.
Meeting Assistance: Accommodations for meetings will be provided for persons with disabilities upon request. Please contact the County Commission Office at (605) 367-4206 (Voice or TDD) 24 hours in advance of the meeting.
Published once at the total approximate cost of:
Dated: April 7, 2026
Published once on Apr. 10, 2026, at the approximate cost of $13.85, and may be viewed free of charge at www.sdpublicnotices.com or TheDakotaScout.com.
-
PUBLISH: Apr. 10 & Apr. 17, 2026
APRIL NOTICE OF SALE
OF COUNTY SURPLUS PROPERTY
Notice is hereby given that Minnehaha County will hold a public auction of surplus property at www.purplewave.com. The online auction will take place on April 28, 2026.
The following items will be auctioned:
A 2011 Chevy Tahoe with VIN: 1GNSK2E00BR223734, a 2015 Dodge Charger with VIN: 2C3CDXKT0FH806625, a 2021 Ford Explorer with VIN: 1FM5K8AB7MGB99958, a 2023 Ford Explorer with VIN: 1FM5K8AB2PGA06765, and a 2014 Chevy Malibu with VIN: 1G11A5SL5EF220771.
Items will be available for review at www.purplewave.com. All items are subject to sales tax. All items are sold as is, where is, and must be removed from the auction site and payment made as per Purplewave’s direction.
Additional information may be obtained by contacting the Minnehaha Sheriff’s Office at 605-978-5522, or by visiting the Purplewave webpage at www.purplewave.com and viewing the April 28, 2026 sale information.
Dated this 7th day of April, 2026
Leah Anderson
County Auditor
Published twice on Apr. 10 & Apr. 17, 2026, at the approximate cost of $27.27, and may be viewed free of charge at www.sdpublicnotices.com or TheDakotaScout.com.
-
PUBLISH: Apr. 10, 2026
NOTICE OF HEARING
Notice is hereby given that a meeting of the Minnehaha County Planning Commission will be held at 7:00 p.m. on April 27, 2026, in the Commission Room of the County Administration Building, 415 N Dakota Ave., Sioux Falls, SD., where there will be a public hearing to consider the following amendments to the 1990 Revised Zoning Ordinance for Minnehaha County.
ZONING TEXT AMENDMENT related to the following:
Article 23.00 Building Permits – To amend the regulations and requirements for building and zoning permit requests related to the zoning ordinance and to change the title of the article to “Other Permits”.
All interested persons may appear and be heard.
Meeting Assistance: Accommodations for meetings will be provided for persons with disabilities upon request. Please contact the County Commission Office at (605) 367-4206 (Voice or TDD) 24 hours in advance of the meeting.
Published once at the total approximate cost of:
Dated: April 7, 2026
Published once on Apr. 10, 2026, at the approximate cost of $13.53, and may be viewed free of charge at www.sdpublicnotices.com or TheDakotaScout.com.
-
PUBLISH: Apr. 10, 2026
NOTICE OF HEARING
Notice is hereby given that a joint meeting of the Dell Rapids and Minnehaha County Planning Commissions to be held at 7:00 p.m. on April 27, 2026, in the Commission Room of the County Administration Building, 415 N Dakota Ave., Sioux Falls, SD., where there will be a public hearing to consider the following amendments to the 2001 Revised Joint Zoning Ordinance for Minnehaha County and the City of Dell Rapids.
ZONING TEXT AMENDMENT related to the following:
Article 23.00 Building Permits – To amend the regulations and requirements for building and zoning permit requests related to the zoning ordinance and to change the title of the article to “Other Permits”.
All interested persons may appear and be heard.
Meeting Assistance: Accommodations for meetings will be provided for persons with disabilities upon request. Please contact the County Commission Office at (605) 367-4206 (Voice or TDD) 24 hours in advance of the meeting.
Published once at the total approximate cost of:
Dated: April 7, 2026
Published once on Apr. 10, 2026, at the approximate cost of $14.17, and may be viewed free of charge at www.sdpublicnotices.com or TheDakotaScout.com.
-
PUBLISH: Apr. 10, 2026
NOTICE OF HEARING
Notice is hereby given that a joint meeting of the Sioux Falls and Minnehaha County Planning Commissions will be held at 7:00 p.m. on April 27, 2026, in the Commission Room of the County Administration Building, 415 N Dakota Ave., Sioux Falls, SD, where there will be a public hearing to consider the following amendments to the Revised Joint Zoning Ordinance for Minnehaha County and the City of Sioux Falls.
ZONING TEXT AMENDMENTS related to the following:
Article 23.00 General Provisions – To amend the regulations and requirements for building and zoning permit requests to the zoning ordinance.
All interested persons may appear and be heard.
Meeting Assistance: Accommodations for meetings will be provided for persons with disabilities upon request. Please contact the County Commission Office at (605) 367-4206 (Voice or TDD) 24 hours in advance of the meeting.
Published once at the total approximate cost of:
Dated: April 7, 2026
Published once on Apr. 10, 2026, at the approximate cost of $13.85, and may be viewed free of charge at www.sdpublicnotices.com or TheDakotaScout.com.
-
PUBLISH: Apr. 10, 2026
THE MINNEHAHA COUNTY COMMISSION CONVENED
AT 9:00 AM on April 7, 2026, pursuant to adjournment on March 24, 2026. COMMISSIONERS PRESENT WERE: Beninga, Karsky, and Kippley. Commissioners Bleyenberg and Heisey were absent. Also present were Kym Christiansen, Commission Recorder, and Eric Bogue, Chief Civil Deputy State’s Attorney.
Chair Karsky called the meeting to order.
MOTION by Beninga, seconded by Kippley, to Approve the Agenda. 3 ayes
CONSENT AGENDA
MOTION by Beninga, seconded by Kippley, to Approve the Consent Agenda. By roll call vote: 3 ayes. The consent agenda includes the following items:
Commission Meeting Minutes for March 24, 2026
Bills to be Paid $676,820.65
3200 RUSSELL LLC Motels $480, 3D SPECIALTIES INC Sign Supply Inventory $1183.47, A BAR K INC Truck Repairs & Maintenance $19.5, A&B BUSINESS SOLUT Data Processing Supplies $4743.41, A&B BUSINESS SOLUT Lease-Rental Agreement $417.53, A&B BUSINESS SOLUT Maintenance Contracts $470.07, A&B BUSINESS SOLUT Office Supplies $36.95, AARON GEORGE PROPERT Welfare Rent $700, ACTIVE DATA SYSTEMS Records Storage $6385, ADVANCED TECH INC Telephone $991, AHRENDT, CYNTHIA J Attorney Fees $6567.4, AIRGAS USA LLC Small Tools & Shop Supplies $21.32, AIRWAY SERVICE INC Automotive/Small Equipment $1391.55, AIRWAY SERVICE INC Gas Oil & Diesel $1033.19, ALCOHOL MONITORING S Electronic Monitoring $1245, ALEX AIR APPARATUS 2 Safety & Rescue Equipment $370, ALL NATIONS INTERPRE Interpreters $2352, ALPHAGRAPHICS Publishing Fees $496.68, AMERICAN ALLIANCE OF Memberships $100, ANDERSON, JENNIFER Bd Evaluations (Minnehaha) $3510.8, ASTROPHYSICS INC Maintenance Contracts $5650, AUTOMATIC SECURITY C Professional Services $1070, AVERA MCKENNAN Hospitals $36771.88, BANKSUPPLIES INC Office Supplies $106.91, BARRY BERG Misc Revenue $1230, BILLION EMPIRE MOTOR Automotive/Small Equipment $1603.65, BITTERMAN, TREVOR Business Travel $92, BLACKBURN & STEVENS Attorney Fees $232.58, BOB BARKER COMPANY I Inmate Supplies $1523.6, BOYD, MICHELLE Business Travel $196, BRIAN JONES Sign Deposits $50, BRYAN, CHRIS Business Travel $92, CASEY OR SARAH DELAN Sign Deposits $50, CDW GOVERNMENT Data Processing Equipment $474.33, CDW GOVERNMENT Software $254.5, CENTURY BUSINESS PRO Maintenance Contracts $181.25, CENTURYLINK Data Communications $91.05, CHARMTEX INC Miscellaneous Expense $254.9, CINTAS CORPORATION Janitorial Chemical Supplies $302.96, CINTAS CORPORATION Uniform Allowance $163.18, CITIZENS BANK Welfare Rent $761.42, CLIMATE SYSTEMS INC Jail Repairs & Maintenance $3536.1, COMMAND SOURCING INC Safety & Rescue Equipment $1657.12, CONSTELLATION Natural Gas $32369.03, CONSTRUCTION PRODUCT Road Maint & Material $280.65, COUNTRY ACRES TREE F Park & Recreation Material $500, CRITERION Welfare Rent $700, CUSTOM NIGHT VISION Homeland Security $10625, CUSTOM NIGHT VISION Uniform Allowance $260, DACOTAH PAPER CO Janitorial Chemical Supplies $173.64, DAKOTA EMBALMING & T Transportation $5000, DAKOTA SUPPLY GROUP Jail Repairs & Maintenance $150, DAKOTALAND AUTOGLASS Automotive/Small Equipment $595, DAKOTALAND AUTOGLASS HIDTA Grant $59.99, DATAVANT Attorney Fees $68.61, DELL MARKETING LP Data Processing Equipment $1870.95, DERHAGOPIAN LAW PROF Attorney Fees $8199.24, DGR ENGINEERING Architects & Engineers $2016, DIGITAL COMMUNITY HO Maintenance Contracts $450, DOUGLAS DYNAMICS INC Truck Repairs & Maintenance $625.37, DUST TEX SERVICE INC Janitorial Chemical Supplies $44.3, EAST RIVER PSYCHOLOG Psych Evals $2500, EH HOSPITALITY LLC Motels $1735.48, EICH LAW OFFICE LLC Attorney Fees $1378.6, ELECTRIC CONSTRUCTIO Building Repairs & Maintenance $153.06, ELECTRIC SUPPLY CO I Data Processing Supplies $496.58, ENGBRECHT, ROGER Welfare Rent $500, ETTERMAN ENTERPRISES Small Tools & Shop Supplies $195.95, FALLS VIEW Welfare Rent $896, FASTENAL COMPANY Jail Repairs & Maintenance $298.18, FEY INDUSTRIES INC Small Tools & Shop Supplies $390, FIT MY FEET Uniform Allowance $100, FOX, DANIEL Bd Exp Fees (Yankton) $195.57, G & R CONTROLS INC Jail Repairs & Maintenance $13.8, G&H DISTRIBUTING I Jail Repairs & Maintenance $47.5, GALLS PARENT HOLDING Uniform Allowance $842.07, GEOTEK ENGINEERING & Architects & Engineers $615, GIRARD, JENNA Business Travel $48, GLOBAL TEL LINK (GT Telephone $2.88, GOEBEL PRINTING INC Printing/Forms $82, GOLDEN WEST Telephone $63.95, GRAHAM TIRE CO NORTH Truck Repairs & Maintenance $845.7, GRAINGER Truck Repairs & Maintenance $44.28, GRAND MEADOW TOWNSHI Miscellaneous Expense $84449.42, GRAYBAR ELECTRIC COM Building Repairs & Maintenance $1620.96, GRAYBAR ELECTRIC COM Jail Repairs & Maintenance $319.86, GRIESE LAW FIRM Attorney Fees $345.6, GRIESE LAW FIRM Child Defense Attorney $6846.8, GUZMAN, SANDRA V Interpreters $385, HANSON, MICHAEL W Attorney Fees $4207.1, HARTFORD’S BEST PAIN Automotive/Small Equipment $8408.4, HAYDEN POINTE Welfare Rent $698, HOFF, JAEDON Business Travel $92, HYVEE ACCOUNTS RECEI Program Activities $62.84, IMEG CORP Architects & Engineers $5021.99, INTERSTATE ALL BATTE Automotive/Small Equipment $162.95, INTERSTATE ALL BATTE Truck Repairs & Maintenance $155.95, INTERSTATE OFFICE PR Office Supplies $1476.87, JAYMAR Printing/Forms $151.9, JCL SOLUTIONS Inmate Supplies $1703.43, JCL SOLUTIONS Kitchen/Cleaning Supplies $2262.62, KATTERHAGEN, MARK Bd Exp Fees (Yankton) $140, KENNEDY, RENEE S Court Reporters $30, KIESLER POLICE SUPPL Safety & Rescue Equipment $988.2, KNECHT, ANDREW J Attorney Fees $6431.6, KNECHT, ANDREW J Child Defense Attorney $1288.2, KRINGEN, MAGGIE JANE Professional Services $1500, KURT SCHAUNAMAN Business Travel $224, LACEY RENTALS INC Lease-Rental Agreement $145, LARSON, VALERIE Bd Exp Fees (Yankton) $140, LAUGHLIN LAW LLC Child Defense Attorney $30, LEWIS DRUGS INC Pharmacies $67.66, LEWNO LAW OFFICE Bd Exp Fees (Yankton) $1321.69, LINDAHL, JOSETTE S Attorney Fees $12500, LISA CARLSON REPORTI Court Reporters $78.4, LOCKWOOD & ZAHRBOCK Child Defense Attorney $4263.8, LOPEZ, REBECA Interpreters $450, LOVING, PHILIP Bd Evaluations (Minnehaha) $6343.44, LUNDY, TYLER Uniform Allowance $41.96, LYNN, JACKSON, SHULT Attorney Fees $2249.4, MAC’S HARDWARE Small Tools & Shop Supplies $58.48, MALLOY ELECTRIC Heat, Vent & AC Repairs $42.09, MALLOY ELECTRIC Hwy Shop Repairs & Maintenance $99.36, MARAS, JACOB Business Travel $60, MARSH & MCLENNAN LLC Notary Exp $178.75, MENARD INC Janitorial Chemical Supplies $51.41, MIDAMERICAN ENERGY C Natural Gas $5444.8, MIDAMERICAN ENERGY C Welfare Utilities $33, MIDCONTINENT COMMUNI Subscriptions $81.65, MIDLAND INC Small Tools & Shop Supplies $59.61, MIDSTATES UNIFORM & Uniform Allowance $90.81, MINNEHAHA COMMUNITY Water - Sewer $70, MINNEHAHA COUNTY Prisoner/Bond Accounts $60, NAPA AUTO PARTS Automotive/Small Equipment $117.08, NAPA AUTO PARTS Small Tools & Shop Supplies $76.96, NATIONAL ASSOCIATION Education & Training $895, NEWMAN SIGNS INC Sign Supply Inventory $2088.35, NGUYEN, LAM Interpreters $60, NORTHERN SAFETY TECH Truck Repairs & Maintenance $221.17, NOVAK Office Supplies $22.35, NYBERGS ACE HARDWARE Building Repairs & Maintenance $13.99, NYBERGS ACE HARDWARE Other Supplies $69.11, OFFICE DEPOT INC Data Processing Supplies $782.72, OLIVIER MILES HOLTZ Attorney Fees $3166.16, OLSON PAINTING & WAL Building Repairs & Maintenance $8469.4, PANTHER GRAPHICS LLC Publishing Fees $425, PARK VIEW APTS Welfare Rent $700, PATRICIA K HANTEN-DU Sign Deposits $50, PECHOUS, COREY Business Travel $92, PEOPLEFACTS Recruitment $87.44, PIONEER ENTERPRISES Burials $6500, PRECISE MRM LLC Software $420, PRECISION KIOSK TECH Testing Supplies $4500, PRICE LAND & CATTLE Welfare Rent $700, PRIDE NEON, INC Automotive/Small Equipment $770, QE LLC Welfare Rent $500, QUALIFIED PRESORT SE Postage $274.11, R&L SUPPLY LTD Jail Repairs & Maintenance $84.93, R&L SUPPLY LTD Plumbing & Welding $670.35, RELM PARTNERS LLC Welfare Rent $700, RENTOKIL NORTH AMERI Professional Services $92.25, RESOLUTE LAW FIRM IN Child Defense Attorney $3387.3, REYNOLDS LAW LLC Child Defense Attorney $3148.5, RONNING COMMERCIAL Welfare Rent $700, RUNNING SUPPLY INC Jail Repairs & Maintenance $747.18, SAFE HOME LTD PTNRSH Rent Subsidies $9478, SALBERG, AARON DEAN Attorney Fees $2618.4, SALBERG, AARON DEAN Child Defense Attorney $2123.4, SAMP, ROLLYN H Attorney Fees $1002.6, SAMS CLUB - MEMBERSH Other Supplies $107.4, SAMS CLUB - MEMBERSH Professional Services $263.22, SANFORD Professional Services $211.45, SANFORD CLINIC Lab Costs $291, SCHUT Welfare Rent $500, SD ASSOC OF COUNTY O Due To Other Governments $3696, SD ASSOC OF COUNTY O Education & Training $40, SD HUMAN SERVICES CE Psych Evals $1800, SHERMAN AVENUE PROPE Welfare Rent $293, SHERWIN WILLIAMS Building Repairs & Maintenance $122.74, SIOUX FALLS CITY Clinics - Auxiliary Services $90, SIOUX FALLS CITY Welfare Utilities $559.99, SIOUX VALLEY ENERGY Tea-Ellis Range $278.68, SITZMAN, ABBY Business Travel $74, SOUTHEASTERN BEHAVIO Drug Court $5000, SOUTHEASTERN BEHAVIO Mental Health Court $5000, ST FRANCIS HOUSE Motels $1350, STATE OF SOUTH DAKOT Data Communications $200, STATE OF SOUTH DAKOT Education & Training $5100, STATE OF SOUTH DAKOT Extension Background Checks $60, STATE OF SOUTH DAKOT Inmate Supplies $2347.2, STATE OF SOUTH DAKOT Miscellaneous Expense $88, STATE OF SOUTH DAKOT Printing/Forms $254.8, STATE OF SOUTH DAKOT Road Maint & Material $1864.75, STATE OF SOUTH DAKOT Sign Supply Inventory $21, STATE OF SOUTH DAKOT Uniform Allowance $271, STONEYCREEKPEN Welfare Rent $700, STRANGE FARRELL JOHN Child Defense Attorney $749.83, STREICHERS INC Uniform Allowance $7535.97, SUMMIT FIRE PROTECTI Jail Repairs & Maintenance $795, SUMMIT FIRE PROTECTI JDC Maintenance $-183.35, SUMMIT FOOD SERVICE Board Of Prisoners-Meals $74504.22, SUMMIT FOOD SERVICE Child Care Food $875.59, SUMMIT FOOD SERVICE Inmate Supplies $237, SUMMIT FOOD SERVICE School Lunch Program $1921.74, SUPER8 41ST Motels $208, TESSMAN SEED COMP Grounds & Parking Repair $621, TEXT CONTROL Maintenance Contracts $1349, THE LODGE AT DEADWOO Business Travel $840, THOMSON REUTERS - WE Legal Research $1523.01, TIRES TIRES TIRES IN Gas Oil & Diesel $55.88, TOMACELLI’S TOO Jury Fees $464.31, TOP NOTCH TREE SERVI Road Maint & Material $1500, TRANE Contract Services $2095, TRANSOURCE TRUCK & E Heavy Equip Repairs & Maint $1909.57, TRANSWEST TRUCK OF Automotive/Small Equipment $77.63, TRI-STATE NURSING Professional Services $5390, TRITECH INC Blood Withdrawal $4776, TWO WAY SOLUTIONS IN Communication Equipment $4309.69, TWO WAY SOLUTIONS IN Communication Equipment Repair $228.98, TZADIK SIOUX FALLS I Welfare Rent $853, TZADIK SIOUX FALLS P Welfare Rent $2725, TZADIK WOODLAKE Welfare Rent $900, ULTEIG ENGINEERS INC Architects & Engineers $33275, US FOODS INC Professional Services $2530.56, VARITECH INDUSTRIES Truck Repairs & Maintenance $563.82, VERIZON CONNECT FLEE Subscriptions $239.25, VOGEL MOTORS LLC Automotive/Small Equipment $42, VOGEL MOTORS LLC Gas Oil & Diesel $106, WALL LAKE SANITARY D Water - Sewer $90, WASHINGTON DEPARTMEN Copy Fees $15, WEGNER AUTO COMP INC Automobiles $39497, WESTVIEW HEIGHTS Welfare Rent $570, WOHLWEND, AARON Business Travel $92, WOODS FULLER SHULTZ Child Defense Attorney $348, XCEL ENERGY Electricity $61035.53, XCEL ENERGY Road Maint & Material $18.99, XCEL ENERGY INC Welfare Utilities $1536.57, XIGENT SOLUTIONS LLC Maintenance Contracts $5002, YANKTON COUNTY Return Of Service $250, YOUNGBERG Attorney Fees $1781.2.
The following reports were received and placed on file in the Auditor’s Office:
Mobile Crisis Team Statistics for February 2026
March 2026 Building Permit Report
Routine Personnel Actions
New Hires
1. Douglas Grinsell, Election Worker for the Auditor’s Office at $17.25/hour effective 4/6/26.
2. Mark Finnegan, Election Worker for the Auditor’s Office at $17.75/hour effective 4/7/26.
3. Joshua Romero, Laborer for the Highway at $19.25/hour effective 3/30/26.
4. Brent Kavanagh, Juvenile Correctional Officer for the Juvenile Detention Center at $27.57/hour (306/1) effective 3/28/26.
5. Zoe Knock, Juvenile Correctional Officer for the Juvenile Detention Center at $27.57/hour (306/1) effective 3/28/26.
6. Gordon Stewart, Juvenile Correctional Worker for the Juvenile Detention Center at $25.00/hour effective 3/30/26.
7. Mya Wilson, Juvenile Correctional Officer for the Juvenile Detention Center at $27.57/hour (306/1) effective 3/30/26.
8. Cindy Rogich, Records Technician for the Register of Deed’s Office at $23.64/hour (304/1) effective 3/31/26.
9. Seth Miller, Correctional Officer for the 24/7 Sobriety Program at $25.00/hour effective 4/2/26.
10. Connie Ideker, Election for the Auditor’s Office at $17.75/hour effective 4/14/26.
11. Julie Irvine, Election Worker for the Auditor’s Office at $17.25/hour effective 4/14/26.
Promotions
1. Holly Even, from Accounting Specialist to Accountant for the Treasurer’s Office at $32.16/hour (308/1) effective 4/6/26.
Step Increases
1. Michael Haugaard, Air Guard Security Officer for the Air Guard, at $31.83/hour (305/7) effective 4/4/26.
2. Derek Thomas, Certified Air Guard Security Officer for the Air Guard, at $32.72/hour (306/5) effective 4/2/26.
3. Kym Christiansen, Commission Recorder for the Auditor’s Office, at $33.53/hour (306/6) effective 4/2/26.
4. Tyler Grong, Assistant Director of Facilities for Facilities, at $46.76/hour (310/7) effective 4/2/26.
5. Julie Amdahl, Administrative Assistant for Human Services, at $28.05/hour (304/5) effective 4/4/26.
6. Brent Albers, Sergeant for the Jail, at $51.76/hour (311/8) effective 4/8/26.
7. Anthony Stransky, Corporal for the Jail, at $38.16/hour (308/5) effective 3/19/26.
8. Vicki Fuglsby, Assistant Register of Deeds for the Register of Deed’s Office at $45.49/hour (309/9) effective 3/18/26.
9. Damain Kardas, Deputy Sheriff for the Sheriff’s Office, at $39.11/hour (308/6) effective 4/2/26.
10. Matthew Larson, Deputy Sheriff for the Sheriff’s Office, at $39.11/hour (308/6) effective 4/2/26.
11. Joshua Patterson, Deputy Sheriff for the Sheriff’s Office, at $39.11/hour (308/6) effective 4/2/26.
12. Ashley Ostrem, Victim Witness Assistant for the State’s Attorney’s Office, at $36.21/hour (307/6) effective 4/2/26.
Other Salary Changes
To correct the effective date of hire for David Mentele, Election Worker for the Auditor’s Office, from 3/30/26 to 4/6/26.
To record significant employee anniversaries for April 2026: 5 years - Matthew Johannsen, James Sadkovich; 10 years - Justin Duchene; 25 years - Kimberly Colwill.
To record volunteers in County Departments for March 2026. This list is on file at Human Resources.
Abatement Applications Recommended for Approval by the Director of Equalization:
Parcel-30262, Veteran Exempt PT10-4-40, 2023 Property Taxes, $173.40
Parcel-30262, Veteran Exempt PT10-4-40, 2024 Property Taxes, $1,965.62
Parcel-30262, Veteran Exempt PT10-4-40, 2025 Property Taxes, $2,112.16
Parcel-53570, City of Sioux Falls, 2025 Property Taxes, $46.63
Parcel-51005, City of Sioux Falls, 2025 Property Taxes, $6.18
Parcel-84852, City of Sioux Falls, 2025 Property Taxes, $105.33
Parcel-94437, City of Sioux Falls, 2025 Property Taxes, $4,820.46
Parcel-45155, City of Sioux Falls, 2025 Property Taxes, $6.37
Parcel-97651, City of Sioux Falls, 2025 Property Taxes, $87.21
Parcel-51304, City of Sioux Falls, 2025 Property Taxes, $1,901.96
Parcel-51011, City of Sioux Falls, 2025 Property Taxes, $3,260.34
Parcel-33228, City of Sioux Falls, 2025 Property Taxes, $1,236.75
Parcel-48864, City of Sioux Falls, 2025 Property Taxes, $189.18
Parcel-51313, City of Sioux Falls, 2025 Property Taxes, $311.65
Parcel-65717, City of Sioux Falls, 2025 Property Taxes, $1,656.41
Parcel-87483, City of Sioux Falls, 2025 Property Taxes, $294.80
Parcel-34930, Assessment Freeze, 2025 Property Taxes, $1,646.30
Parcel-42665, Assessment Freeze, 2025 Property Taxes, $1,849.69
Parcel-28966, Assessment Freeze, 2025 Property Taxes, $1,368.71
Parcel-75288, Assessment Freeze, 2025 Property Taxes, $335.29
Parcel-66775, Dennis Yungwirth, 2025 Property Taxes, $1,623.99
Parcel-85927, Assessment Freeze, 2025 Property Taxes, $1,624.31
Parcel-45315, Assessment Freeze, 2025 Property Taxes, $1,070.50
Parcel-61314, Assessment Freeze, 2025 Property Taxes, $2,080.55
Parcel-35532, Assessment Freeze, 2025 Property Taxes, $1,779.60
Parcel-67920, Assessment Freeze, 2025 Property Taxes, $0
Parcel-38998, Assessment Freeze, 2025 Property Taxes, $849.26
Parcel-99446, Paul & Brenda Scott, 2025 Property Taxes, $784.69
Parcel-62572, Assessment Freeze, 2025 Property Taxes, $1,550.10
Parcel-49173, Assessment Freeze, 2025 Property Taxes, $1,199.69
Parcel-23568, Assessment Freeze, 2025 Property Taxes, $1,431.62
Parcel-34501, Assessment Freeze, 2025 Property Taxes, $1,315.11
Parcel-48141, Assessment Freeze, 2025 Property Taxes, $1,416.81
Parcel-29205, Assessment Freeze, 2025 Property Taxes, $399.90
Parcel-30972, Assessment Freeze, 2025 Property Taxes, $994.94
Parcel-42357, Boulevard Properties LLC, 2025 Property Taxes, $5,844.56
Parcel-33581, Assessment Freeze, 2025 Property Taxes, $1,864.80
Parcel-23161, Veteran Exempt PT10-4-40, 2025 Property Taxes, $716.95
Parcel-28759, Assessment Freeze, 2025 Property Taxes, $887.74
Parcel-97459, Joseph & Vanessa Vandewiele, 2025 Property Taxes, $1,099.86
Parcel-96538, Assessment Freeze, 2025 Property Taxes, $1,998.32
Parcel-31510, Assessment Freeze, 2025 Property Taxes, $1,819.45
Parcel-49081, Assessment Freeze, 2025 Property Taxes, $747.57
Parcel-60191, Veteran Exempt PT10-4-40, 2025 Property Taxes, $875.93
Parcel-40927, Veteran Exempt Surviving Spouse, 2025 Property Taxes, $609.45
Parcel-21741, Assessment Freeze, 2025 Property Taxes, $2,376.39
Parcel-42817, Boever Brothers LLC, 2023 Property Taxes, $213.74
Parcel-42817, Boever Brothers LLC, 2024 Property Taxes, $201.04
Parcel-42817, Boever Brothers LLC, 2025 Property Taxes, $195.58
Parcel-28023, Assessment Freeze, 2025 Property Taxes, $1,616.07
Parcel-26883, Joshua & Jennifer Ryan, 2025 Property Taxes, $1,486.90
Items within Policy Guidelines
Approve the 2026 Minnehaha County Jail Bed Per Diem Contract with Clay County
PRESENTATION
Alison Pratt and Amy Witt, Lutheran Social Services, presented the Lutheran Social Services Family Violence Project presentation. Discussion followed on individualized assessments completed in FY2026 and through the first two quarters in FY2026; and information related to the abusive partner intervention groups and case management services.
RESOLUTION
Upon the request of Susan Beaman, Finance & Budget Officer, MOTION by Beninga, seconded by Kippley, to Approve Resolution MC26-15 Authorizing the Refinancing of the 2017 Certificates of Participation. By roll call vote: 3 ayes.
RESOLUTION MC26-15
RESOLUTION RELATING TO ISSUING CERTIFICATES OF PARTICIPATION TO REFUND THE 2017 CERTIFICATES OF PARTICIPATION; AUTHORIZING THE EXECUTION AND DELIVERY OF ONE OR MORE LEASE-PURCHASE AGREEMENTS AND APPROVING AND AUTHORIZING EXECUTION OF RELATED DOCUMENTS
BE IT RESOLVED by the Board of Commissioners of Minnehaha County, South Dakota (the “County”), as follows:
Section 1 Recitals.
1.1 The County is authorized by South Dakota Codified Laws, Chapter 7-25, inclusive, as amended (the “Act”), to enter into lease-purchase agreements for acquisition of real or personal property that the governing body considers necessary or appropriate to carry out its governmental and proprietary functions.
1.2 Pursuant to the Act, the governing body has heretofore found and determined that it was necessary and appropriate to enter into to a Ground Lease Agreement, dated as of September 1, 1992, as amended and supplemented (the “Ground Lease”) between the County and U.S. Bank National Association (the “Original Trustee”) and the U.S. Bank Trust Company, National Association, as successor to the Original Trustee (the “Trustee”) has heretofore acquired certain interests in real properly (the “Land”) from the County, and the Trustee has leased back to the County its interest in the Land and has leased and agreed to sell to the County the Facilities to be acquired, renovated, constructed and equipped thereon to the County pursuant to a Lease-Purchase Agreement, dated as of September 1, 1992 (the “Original Lease”), as heretofore amended and supplemented most recently by that certain Twentieth Amendment to Lease dated as of April 1, 2023 (the Original Lease as so amended and supplemented, as now or hereafter amended and supplemented, the Lease”).
1.3 To finance the acquisition, construction, improvement and equipping of the Facilities, the County and the Trustee have executed and delivered that certain Declaration of Trust dated as of September 1, 1992 (the “Original Trust”), as most recently amended and supplemented by that certain Twentieth Supplemental Declaration of Trust dated as of April 1, 2023 (the Original Trust as so amended and supplemented, as now or hereafter amended or supplemented, the “Trust Agreement”) pursuant to which the Trustee has from time to time issued various series of Certificates of Participation (as defined in the Trust Agreement, the “Certificates”) in the lease payments to be made by the County under the Lease.
1.4 The governing body of the County finds it necessary and appropriate to carry out its governmental and proprietary functions to provide for the issuance of Certificates of Participation (Limited Tax General Obligation) in one or more series to execute and deliver a Supplemental Declaration of Trust which will supplement and amend the Trust Agreement for the purpose of issuing Refunding Certificates of Participation (the “Refunding Certificates”) to refund on a current basis all or any portion of the Certificates of Participation, Series 2017 which are currently outstanding in the aggregate principal amount of $33,460,000 (the “Certificates to be Refunded”) which refunding of the Certificates to be Refunded is expected to provide a reduction in the lease payments associated with the Certificates to be Refunded.
1.5 The governing body further finds and determines it to be necessary and appropriate, and in the public interest, to execute and deliver one or more Supplemental Declaration of Trust (collectively, the “Refunding Supplemental Trust”), which will supplement and amend the Trust Agreement pursuant to which the Trustee will (i) issue one or more series of Certificates of Participation (the “Refunding Certificates”) in the lease payments to be made by the County under the Lease, as amended by one or more Amendments to Lease-Purchase Agreement (each “Refunding Amendment to Lease”) and (ii) receive, hold and invest the proceeds of the sale of the Refunding Certificates and deposit the proceeds temporarily in an optional redemption account (the “Refunding Account”) pending application, together with any available funds on hand, to redeem the Certificates to be Refunded. The Refunding Certificates may be divided and issued into more than one series in which case they shall be designated and identified by designation of years and/or letters (e.g. Series 2026A, Series 2026B, Series 2026C, etc.) and each Refunding Amendment to Lease and Refunding Supplemental Trust shall be designated numerically in sequence (e.g., Twenty-First, Twenty-Second etc.).
1.6 The Refunding Certificates authorized hereunder will be offered pursuant to an Official Statement (separately or collectively, the “Official Statement”).
1.7 Forms of the following documents relating to the Refunding Certificates are directed to be prepared by Perkins Coie LLP, as Bond Counsel, and submitted to the County and are hereby directed to be filed with and approved by the County Auditor and the Deputy State’s Attorney: (a) the Refunding Amendment to Lease, (b) the Refunding Supplemental Trust and (c) the Certificate Purchase Agreement and (d) a Continuing Disclosure Undertaking with respect to the Refunding Certificates (the “Continuing Disclosure Undertaking” and, together with the Refunding Amendment to Lease, the Refunding Supplemental Trust, the Certificate Purchase Agreement and any and all related documents, certificates, and other instruments in connection with the Refunding Certificates herein referred to as the “Documents”). The appointment of Bond Counsel pursuant to that certain letter agreement dated March 5, 2019, is hereby ratified and confirmed.
Section 2 Authorization of Documents.
2.1 Authorization and Approval of the Documents for the Refunding Certificates. The refunding of the Certificates to be Refunded described above is found to be in the public interest and favorable to the County and its residents and is hereby approved. The Chairman and County Auditor are authorized to approve the principal amount of a Refunding Amendment to Lease and related series of Certificates to refund the Certificates to be Refunded in an aggregate principal amount not to exceed $33,800,000 by providing for a deposit in the Refunding Account sufficient to refund and redeem all of the Certificates to be Refunded. The term for the Refunding Certificates shall not exceed twelve (12) years from the date of the related Amendment to Lease and the interest rate or rates thereon shall not exceed a rate equivalent to a bond yield (calculated consistent with the arbitrage regulations currently applicable to tax exempt bonds pursuant to Section 148 of the Code) of 3.5% per annum. The Refunding Certificates are to be sold to the Underwriter pursuant to a negotiated sale to be evidenced by a Certificate Purchase Agreement (the “Certificate Purchase Agreement”) between the County and Collier Securities (the “Underwriter”), which Certificate Purchase Agreement shall specify a purchase price of not less than 99.2%.
2.2 The Documents for the Refunding Certificates are hereby approved if the County Auditor deems them appropriate and the Documents are approved by the Deputy State’s Attorney. The Chairman and the County Auditor are directed to execute the Documents if approved by the County Auditor. Copies of all Documents shall be delivered, filed and recorded as provided therein. The Chairman and the County Auditor and the Deputy State’s Attorney are also authorized and directed to execute such other instruments as may be required to give effect to the transactions therein contemplated. The County will cooperate in the issuance of the Refunding Certificates and the Chairman, the County Auditor and the Deputy State’s Attorney shall execute such other instruments as are necessary to the issuance of the Refunding Certificates.
Section 3 Modification, Absence of Officers. The approval hereby given to the Documents includes an approval of such additional details therein as may be necessary and appropriate and such modifications thereto, deletions therefrom and additions thereto as may be necessary and appropriate and approved by the Deputy State’s Attorney prior to the execution of the Documents. The execution of any instrument by the appropriate officer or officers of the County herein authorized shall be conclusive evidence of the approval of such documents in accordance with the terms hereof. In the absence of the Chairman or the County Auditor, any of the Documents authorized by this resolution to be executed may be executed by such officer as, in the opinion of the Deputy State’s Attorney, may execute documents in their stead.
Section 4 Payment of Lease Payments. The County will pay to the Trustee promptly when due, all of the Lease Payments (as defined in the Lease) and other amounts required by the Lease. To provide moneys to make such payments the County will include in its annual budget, for each fiscal year during the term of the Lease, moneys sufficient to pay and for the purpose of paying all Lease Payments and other amounts payable under the Lease, and will take all other actions necessary to provide moneys for the payment of the obligations or the County under the Lease from sources of the County lawfully available for this purpose, including the levy of such taxes as may be necessary therefor, including levies under SDCL §10-13-35, subject only to the limitations on such levies imposed by South Dakota law.
The County agrees and covenants to include in its annual budget for each fiscal year during the term of the Lease moneys sufficient to pay and for the purpose of paying the Lease Payments pursuant to the Lease, as amended and supplemented by the Refunding Amendment to Lease, and to levy a tax pursuant to SDCL §7-25-1, and in conformity with the SDCL §10-13-35 and South Dakota Constitution Article XIII Section 5, in an amount which will generate an amount sufficient and for the purpose of paying the Lease Payments pursuant to the Refunding Amendment to Lease, to the extent permitted by law and to take all other actions necessary to provide moneys for the payment of the Lease Payments pursuant to the Refunding Amendment to Lease from sources of the County lawfully available for such purpose.
Section 5 Tax Matters. The County covenants and agrees with the Trustee and the registered owners from time to time of the Refunding Certificates that it will not take or permit to be taken by any of its officers, employees or agents any action which would cause the interest on the Refunding Certificates to become subject to taxation under the Internal Revenue Code of 1986, as amended (the “Code”), and applicable Treasury Regulations (the “Regulations”), and covenants to take any and all actions within its powers to ensure that the interest on the Refunding Certificates will not become subject to taxation under the Code and the Regulations. The County will cause to be filed with the Secretary of the Treasury an information reporting statement in the form and at the time prescribed by the Code. The County will comply with the provisions of Section 148(f) of the Code, relating to the rebate of arbitrage profits to the United States, if and to the extent that such provisions are applicable to the Lease and the Refunding Certificates.
Section 6 Arbitrage Certification. The Chairman and the County Auditor, being the officers of the County charged with the responsibility for issuing the Refunding Certificates pursuant to this Resolution, are authorized and directed to execute and deliver to the Trustee a Tax Regulatory Agreement or certificate in accordance with the provisions of Section 148 of the Code and Sections 1.148-1 et al of the Regulations, stating the facts, estimates and circumstances in existence on the date of issue and delivery of the Refunding Certificates which make it reasonable to expect that the proceeds of the Refunding Certificates will not be used in a manner that would cause the Lease or the Refunding Certificates to be arbitrage bonds within the meaning of the Code and Regulations.
Section 7 Official Statement. The County will participate in the preparation of the Preliminary Official Statement and the final Official Statement relating to the Refunding Certificates and hereby authorizes the County Auditor to consent to the distribution of the Official Statement by the purchaser of the Refunding Certificates in connection with the sale of the Refunding Certificates. The Preliminary Official Statement, except for Permitted Omissions, will be deemed final by the County when authorized by the County Auditor as of its date within the meaning of Rule 15c2-12 of the Securities and Exchange Commission under the Securities Exchange Act of 1934. As used herein, “Permitted Omissions” shall mean the offering price(s), interest rate(s), selling compensation, aggregate principal amount, principal amount per maturity, delivery dates, rating, if any, and other terms of the Refunding Certificates depending on such matters.
Section 8 Amendment. This resolution may be amended from time to time, prior to the issuance of the Refunding Certificates, by an administrative resolution adopted by this Board.
Section 9 Date Resolution Becomes Effective. This resolution shall become effective twenty days after publication in accordance with South Dakota Codified Laws Section 7-18A-8.
Adopted this 7th day of April, 2026.
MINNEHAHA COUNTY
By: Dean Karsky, Chair
ATTEST:
By: Leah Anderson, Auditor
AGREEMENT
Upon the request of Mike Mattson, Warden, MOTION by Kippley, seconded by Beninga, to Authorize the Chair to Sign a Purchase Quote Agreement with 4Sight Labs for 15 Biometric Sensor Monitors for the Jail. By roll call vote: 3 ayes.
SURPLUS DECLARATION
Upon the request of Joe Bosman, Captain, MOTION by Kippley, seconded by Beninga, to Declare a 2011 Chevy Tahoe VIN #1GNSK2E00BR223734, 2015 Dodge Charger VIN #2C3CDXKT0FH806625, 2021 Ford Explorer VIN #1FM5K8AB7MGB99958, 2023 Ford Explorer VIN #1FM5K8AB2PGA06765, and 2014 Chevy Malibu VIN #1G11A5SL5EF220771 as Surplus for Disposal by Online Auction and Authorize the Auditor to Publish Notice of Sale. By roll call vote: 3 ayes.
VEHICLE PURCHASE
Upon the request of Joe Bosman, Captain, MOTION by Kippley, seconded by Beninga, to Authorize the Sheriff’s Office to Purchase Six 2026 Ford F150 Responder Vehicles from Lamb Motors with a Price of $48,096.00 Per Vehicle and a Total Purchase Price of $288,576.00. By roll call vote: 3 ayes.
GRANT APPLICATION
Upon the request of Joe Bosman, Captain, MOTION by Beninga, seconded by Kippley, to Authorize the Sheriff’s Office to Submit an Application for the 2027 South Dakota Highway Safety Grant. By roll call vote: 3 ayes.
GRANT ACCEPTANCE
Upon the request of Kari Benz, Human Services Director, MOTION by Kippley, seconded by Beninga, to Accept Grant Funding from Sioux Falls Area Community Foundation for Heart of Service 2.0 in the Amount of $30,000.00. By roll call vote: 3 ayes.
ABATEMENT APPLICATION
Upon the request of Chris Lilla, Director of Equalization, MOTION by Beninga, seconded by Kippley, to Approve an Abatement Application Recommended for Denial by the Department of Equalization on Parcel-030606 for year 2025 Property Taxes $2,147.64 Due to Requirements of Owner Occupancy. By roll call vote: 3 ayes.
TRANSFER
Upon the request of Bill Hoskins, Museum Director, MOTION by Beninga, seconded by Kippley, to Approve a Transfer of $10,000 from the Museum Store Fund to the Museum Special Enterprise Fund in Accordance with the 2026 Budget. By roll call vote: 3 ayes.
PROCLAMATION
Upon the request of Carey Deaver, Human Resources Director, MOTION by Kippley, seconded by Beninga, to Issue a Proclamation Recognizing April 19-25, 2026, as Volunteer Week in Minnehaha County. 3 ayes.
PLANNING & ZONING NOTICES
Mason Steffen, Planner, presented the first reading of rezoning #26-04, an amendment to the 1990 Revised Zoning Ordinance for Minnehaha County to rezone from A-1 Agricultural District to C Commercial District, property legally described as the West 200 feet of Tract 2 Otterby’s Addition (Except Lot H-2) NE1/4 Section 12-T102N-R50W, Benton Township. MOTION by Kippley, seconded by Beninga, to Authorize the Auditor to Publish Notice of Hearing for Rezoning #26-04 to be held on April 28, 2026, at or after 9:00 a.m. at a Meeting of the Minnehaha County Commission. 3 ayes.
Kevin Hoekman, Planner, gave the first reading and requested authorization for the Auditor to publish a Notice of Hearing on April 28, 2026, to consider a text amendment to the Revised Joint Zoning Ordinance for Minnehaha County and the City of Dell Rapids to update Article 24.00 fees. MOTION by Beninga, seconded by Kippley, to Authorize the Auditor to Publish a Notice of Public Hearing for a Text Amendment to the Revised Joint Zoning Ordinance for Minnehaha County and the City of Dell Rapids to be held on April 28, 2026, at or after 9:00 a.m. at a Joint Meeting of the Minnehaha County Commission and Dell Rapids City Council. 3 ayes.
Kevin Hoekman, gave the first reading and requested authorization for the Auditor to publish a Notice of Hearing on April 28, 2026, for a zoning text amendment to amend the 2001 Revised Joint Zoning Ordinance for Minnehaha County and the City of Dell Rapids to add Accessory Dwelling Unit (ADU) regulations. MOTION by Beninga, seconded by Kippley, to Authorize the Auditor to Publish a Notice of Public Hearing for a Text Amendment to the Revised Joint Zoning Ordinance for Minnehaha County and the City of Dell Rapids to be held on April 28, 2026, at or after 9:00 a.m. at a Joint Meeting of the Minnehaha County Commission and Dell Rapids City Council. 3 ayes.
Kevin Hoekman, Planner, gave the first reading and requested authorization for the Auditor to publish a Notice of Hearing on April 28, 2026, to consider a text amendment to the Revised Joint Zoning Ordinance for Minnehaha County and the City of Dell Rapids to change the transfer of building eligibility regulations. MOTION by Beninga, seconded by Kippley, to Authorize the Auditor to Publish a Notice of Public Hearing for a Text Amendment to the Revised Joint Zoning Ordinance for Minnehaha County and the City of Dell Rapids to be held on April 28, 2026, at or after 9:00 a.m. at a Joint Meeting of the Minnehaha County Commission and Dell Rapids City Council. 3 ayes.
Kevin Hoekman, Planner, gave the first reading and requested authorization for the Auditor to publish a Notice of Hearing on April 28, 2026, to consider a text amendment to the Revised Joint Zoning Ordinance for Minnehaha County and the City of Sioux Falls to update Article 22.00 fees. MOTION by Kippley, seconded by Beninga, to Authorize the Auditor to Publish a Notice of Public Hearing for a Text Amendment to the Revised Joint Zoning Ordinance for Minnehaha County and the City of Sioux Falls to be held on April 28, 2026, at or after 5:00 p.m. at a Joint Meeting of the Minnehaha County Commission and Sioux Falls City Council. 3 ayes.
Kevin Hoekman, Planner, gave the first reading and requested authorization for the Auditor to publish a Notice of Hearing on April 28, 2026, for a zoning text amendment to the Revised Joint Zoning Ordinance for Minnehaha and the City of Sioux Falls to update the sign regulations within Article 14.00, 15.00, 17.00, 17A.00 & 24.00. MOTION by Beninga, seconded by Kippley, to Authorize the Auditor to Publish a Notice of Public Hearing for a Text Amendment to the Revised Joint Zoning Ordinance for Minnehaha County and the City of Sioux Falls to be held on April 28, 2026, at or after 5:00 p.m. at a Joint Meeting of the Minnehaha County Commission and the Sioux Falls City Council. 3 ayes.
Kevin Hoekman, Planner, gave the first reading and requested authorization for the Auditor to publish a Notice of Hearing on April 28, 2026, to consider a text amendment to the 1990 Revised Zoning Ordinance for Minnehaha County to update Article 24.00 Fees. MOTION by Kippley, seconded by Beninga, to Authorize the Auditor to Publish a Notice of Public Hearing for a Text Amendment to the Revised Joint Zoning Ordinance for Minnehaha County to be held on April 28, 2026, at or after 9:00 a.m. at a Meeting of the Minnehaha County Commission. 3 ayes.
EQUIPMENT PURCHASE
Upon the request of Jacob Maras, Highway Superintendent, MOTION by Beninga, seconded by Kippley, to Authorize the Highway Department to Purchase a Landoll 440-48 Equipment Trailer under GSA Procurement Contract #47QMCA21D000C in the Amount of $79,706.45 and Authorize Chair to Sign Purchase Agreement. By roll call vote: 3 ayes.
BID RESULTS
Jacob Maras, Highway Superintendent, reported on the bid opening for Used Bucket Truck held on March 18, 2026. The following bids were received: Infrastructure Equipment Group (IEG) with a total bid of $109,692.76; Truck Site with a total bid of $124,470.00; and Carco Automotive Inc with a bid of $128,875.00. MOTION by Beninga, seconded by Kippley, to Approve Bid Results and Award Recommendation for Used Bucket Truck and Authorize Chair to Sign an Agreement with Infrastructure Equipment Group. By roll call vote: 3 ayes.
Jacob Maras, Highway Superintendent, reported on the bid opening for Project MC26-05 Southeast South Dakota County Striping held on March 11, 2026. The following bids were received: Sir Lines-A-Lot with a total bid of $1,038,608.25; and Vogel Traffic Services with a total bid of $1,219.995.24. MOTION by Kippley, seconded by Beninga, to Approve Bid Results and Award Recommendation for Project MC26-05 Southeast SD County Striping and Authorize Chair to Sign an Agreement with Sir Lines-A-Lot Traffic Control and Striping. By roll call vote: 3 ayes.
Jacob Maras, Highway Superintendent, reported on the bid opening for Project MC26-01 Highway 151 Improvements held on March 11, 2026. The following bids were received: Central Specialties, Inc with a total bid of $3,313,280.13; Soukup Construction with a total bid of $3,405,405.00; Black-Top Paving with a total bid of $3,506,211.00; Zacharias Construction Inc with a total bid of $3,531,116.57; Asphalt Surfacing Co with a total bid of $3,595,550.50; Duininck Inc with a total bid of $3,614,081.99; Bituminous Paving with a total bid of $3,639,182.75; Double H Paving Inc with a total bid of $3,669,514.00; Loiseau Construction, Inc with a total bid of $3,591,042.29; Seal Pro, Inc with a total bid of $4,006,606.19; and Hulstein Excavating with a total bid of $4,025,345.79. MOTION by Kippley, seconded by Beninga, to Approve Bid Results and Award Recommendation for Project MC26-01 Hwy 151 Improvements and Authorize Chair to Sign an Agreement with Central Specialties, Inc. By roll call vote: 3 ayes.
Jacob Maras, Highway Superintendent, reported on the bid opening for Project MC24-05 Structure 50-149-140 Replacement held on March 25, 2026. The following bids were received: BX Civil and Construction with a total bid of $597,000.00; Katzer Concrete with a total bid of $651,141.01; Prahm Construction Inc with a total bid of $837,966.03; Journey Group Companies with a total bid of $876,683.24; and Nolz Dragline & Construction with a total bid of $1,181,218.74. MOTION by Beninga, seconded by Kippley, to Approve Bid Results and Award Recommendation for Project MC24-05 Structure 50-149-140 Replacement and Authorize Chair to Sign an Agreement with BX Civil and Construction, Inc. By roll call vote: 3 ayes.
Jacob Maras, Highway Superintendent, reported on the bid opening for the annual highway materials held on March 25, 2026. MOTION by Beninga, seconded by Kippley, to Approve Bid Results and Award Recommendation for Annual Materials Letting and Authorize the Chair to Sign the Vendor Agreements with Myrl & Roy’s Paving Inc for Hot Mix Asphalt (HMA) Concrete Pavement; DMC Wear Parts for Snowplow Cutting Edges; Blackstrap Inc for Rock Salt and Transportation; and Subsurface Inc for UV CIPP Culvert Lining. By roll call vote: 3 ayes.
SURPLUS DECLARATION
Upon the request of Jacob Maras, Highway Superintendent, MOTION by Joe Kippley, seconded by Gerald Beninga, to Declare a 2010 Mustang 2086DJ VIN #MMC02086DD00004413 as Surplus and to Authorize Disposal by Transfer to the Minnehaha County Facilities Department. By roll call vote: 3 ayes.
PRESENTATIONS
Jacob Maras, Highway Superintendent, presented the Highway Department Annual Presentation. Discussion followed about the emerging needs and issues including the phase 2 building project, stretching Bridge Improvement Grant funds, and annexation of rights-of-way; progress update on overweight-oversize permits, snow removal, road and bridge construction, BIG grants, Safety Grants, and BIP grants, and information related to 2025 construction, structures, pavement preservation, AMG milling, Highway 149 construction, and 2026 Construction.
Jamie Gravett, Juvenile Detention Center Director, presented the annual presentation for the Juvenile Detention Center. Discussion followed on the 2025 positives, which included the building project and continued collaboration with local service partners; the challenges including possibilities regarding legislation and medical/mental health; and the good and bad for the year including retirements, violence, and average daily population.
OPPORTUNITY FOR PUBLIC COMMENT
Penny BayBridge, Sioux Falls, SD, spoke about issues with vehicle registrations for new residents of South Dakota.
Jeff Barth, Sioux Falls, SD, spoke about general county issues and the work done by the Commission.
COMMISSIONER LIAISON REPORTS
Commissioner Kippley reported on a recent quarterly meeting with Unified Judicial System.
MOTION by Kippley, seconded by Beninga, to Adjourn at 10:40 a.m. 3 ayes.
The Commission adjourned until 9:00 a.m. on Tuesday, April 21st, 2026.
APPROVED BY THE COMMISSION:
Dean Karsky
Chair
ATTEST:
Kym Christiansen
Commission Recorder
Published once on Apr. 10, 2026, at the approximate cost of $488.94, and may be viewed free of charge at www.sdpublicnotices.com or TheDakotaScout.com.
LINCOLN COUNTY
PUBLISH: Apr. 10, 2026
NOTICE OF HEARING UPON APPLICATION
FOR SPECIAL ONE-DAY
ALCOHOLIC BEVERAGE LICENSE
NOTICE IS HEREBY GIVEN that a hearing will be held in the Lincoln County Commission Meeting Room, 104 N. Main Street, Canton, South Dakota 57013 on the 28th day of April 2026, between 6:30 P.M. and adjournment of said meeting, to consider the application for the following Special On-Sale Liquor License:
APPLICANT: Sioux Falls Area Community Foundation, 200 N Cherapa Pl., Sioux Falls, SD 57103
EVENT LOCATION: AutoWerks, 1725 Mindy St., Tea, SD 57064
EVENT DATE: May 7, 2026
At which time and place any interested person may appear to state their objections to the granting of the same.
Dated at Canton, South Dakota, this 20th day of March 2026.
Sheri Lund
Lincoln County Auditor
Published once on Apr. 10, 2026, at the approximate cost of $12.24, and may be viewed free of charge at www.sdpublicnotices.com or TheDakotaScout.com.
-
PUBLISH: Apr. 3 & Apr. 10, 2026
NOTICE TO BIDDERS
Sealed bids will be received by the County Auditor of, Lincoln County, SD, 104 N. Main Street, Suite 110, Canton, SD 57103, at the office of the County Auditor of said County 2:00 PM (local time) on the 21st day of April, 2026, and then be publicly opened and read, for furnishing all equipment, labor, and materials as set forth in the specifications and performing all work, incidental thereto for Hangar Area Expansion, Marv Skie-Lincoln County Airport, Tea, South Dakota.
Base Bid
Primary Work: Approximately 8,703 CuYd Unclassified Excavation, 2,478 Disposal of Excess Material, 1,962 CuYd Subbase Course, 3,211 SqYd Geotextile Separator Fabric, 500 SqYd, Geogrid, 471 CuYd Aggregate Base Course, 611.5 Ton Asphalt Base/Surface Course, 45.9 Ton Asphalt Binder (PG 64-34), 3.6 Ton Emulsified Prime Coat, 1.2 Ton Emulsified Tack Coat, Pavement Markings, 137 Ft 12” RCP, 348 Ft 15’RCP, 1 Each RCP Flared End, 1,637 Ft 4” Perforated Underdrain Piping, 8 Each Underdrain Cleanout, 6 Each Connect Underdrain to Storm Sewer, 2 Each 2’ x 3’ Type B Inlet w/ Type E Casting and 6’ x 6’ Concrete Apron, 4.2 Acre Seeding and Fertilizing, 1,779 CuYd Topsoiling (Removed from Stockpile), 19,995 SqYd Mulching, 840 Ft Remove and Dispose Existing Barb Wire Fence, 1,065 Ft Furnish and Install New 5 Wire Barbed Wire Fence, Culvert Protection, High Flow Silt Fence, and various other items of related construction.
1. Plans and Specifications: Copies of the Plans and Specifications are available for inspection at:
Office of Lincoln County Auditor, Canton South Dakota, or at the Office of Helms and Associates, 416 Production Street, Aberdeen, South Dakota.
Plans and Specifications may be obtained, at the Office of the latter, upon payment to Helms and Associates for shipping and handling in the amount of $100 for an 11” x 17” size set of plans and specifications.
Plans and Specifications may be retrieved by registering with the Issuing Office at http://www.helmsengineering.com/biddocs.html. Following registration, complete sets of Plans and Specifications may be downloaded as portable document format (PDF) files. Users who have downloaded the Plans and Specifications will be mailed an invoice of $20.00. All payments are non-refundable.
Additionally, upon request, in accordance with South Dakota Codified Law 5-18B-1, one copy of Plans and Specifications shall be furnished, without charge, to each Contractor resident in South Dakota who intends, in good faith, to bid upon the project.
2. Bid Guarantee: Each bid must be accompanied by a certified check, cashier’s check or draft in the amount of five percent (5%) of the total bid, and drawn on a solvent State or National Bank, or a ten percent (10%) Bid Bond issued by a surety authorized to do business in the State of South Dakota and payable to Lincoln County, South Dakota.
3. Contract Bonds: Separate Payment and Performance Bonds guaranteeing faithful performance of the Contract and payment of all labor, materials, rentals, etc., will be required for an amount equal to one hundred percent (100%) of the amount of the Contract. All bonds must be issued or co-signed by a licensed resident agent of South Dakota.
4. Commencement and Completion: The Engineer will set the beginning date in a written “Notice to Proceed with Construction”. The Contractor shall begin the work within ten (10) days of the date set forth in the written “Notice to Proceed” and shall complete the work within the number of calendar days, working days, or completion date or dates as shown in the Specifications.
5. Title VI: Lincoln County, in accordance with the provisions of Title VI of the Civil Rights Act of 1964 (78 Stat. 252, 42 USC §§ 2000d to 2000d-4) and the Regulations, hereby notifies all bidders or offerors that it will affirmatively ensure that any contract entered into pursuant to this advertisement, disadvantaged business enterprises will be afforded full and fair opportunity to submit bids in response to this invitation and will not be discriminated against on the grounds of race, color, or national origin in consideration for an award.
6. Minimum Wage Rates: The successful bidder will be required to comply with all applicable Federal Labor Laws, including the minimum wage rates decision of the United States Department of Labor.
7. Affirmative Action: A Contractor who may be awarded a contract of $10,000 or more and subcontractors who may be awarded a subcontract of $10,000 or more will be required to maintain an affirmative action program, the standards for which are contained in the advertised specifications.
8. Award of Contract: The right is reserved, as the interest of Lincoln County, South Dakota, may require, to reject any and all bids, to waive informality in bids received, and to accept or reject any items of any bid, unless such bid is qualified by specific limitation.
9. The contractor will certify that he and any of his subcontractors meet the requirements of 49 CFR, Part 29, regarding debarment, suspension, ineligibility and voluntary exclusion as further described in these specifications.
10. The contractor will certify that he and his subcontractors will comply with the 49 CFR, 30.17, regarding Foreign Trade Restrictions as further noted in project specifications.
11. The contractor will certify that he and his subcontractors will comply with “BUY AMERICAN CERTIFICATION (JAN. 1991)” as further noted in project specifications.
12. The contractor will comply with “BUY AMERICAN-STEEL AND MANUFACTURED PRODUCTS FOR CONSTRUCTION CONTRACTS (JAN. 1991)” as further described in project specifications.
13. If an applicant (corporation) has either unpaid Federal tax liability or has been convicted of a criminal violation under any Federal law within the preceding 24 months, the applicant is ineligible to receive an award unless the sponsor has received notification from the agency suspension and debarment official (SDO) that the SDO has considered suspension or debarment and determined that further action is not required to protect the Government’s interests.
A Pre-Bid Conference will be held at 10:00 pm (local time), April 10, 2026 via GoToMeeting. The conference is intended to clarify any questions regarding bidding and/or construction requirements. All interested contractors, subcontractors, and suppliers are encouraged to attend. Below is the link and call-in information:
Please join my meeting from your computer, tablet or smartphone.
https://meet.goto.com/404545173
You can also dial in using your phone.
Access Code: 404-545-173
United States: +1 (646) 749-3122
LINCOLN COUNTY, SOUTH DAKOTA
BY /s/ Tiffani Landeen Board Chair
Published twice on Apr. 3 & Apr. 10, 2026, at the approximate cost of $149.59, and may be viewed free of charge at www.sdpublicnotices.com or TheDakotaScout.com.
PUBLIC NOTICE
PUBLISH: Apr. 10 & Apr. 17, 2026
ADVERTISEMENT FOR BIDS
SIOUX FALLS REGIONAL AIRPORT
Sioux Falls, South Dakota
Project Name: Terminal Concourse Expansion – Phase 2 – Bid Package 5
Bid Date: Tuesday, April 28, 2026, at 1:00 PM Local Time
Sealed bids, subject to the conditions contained herein, for improvements to the Sioux Falls Regional Airport, Sioux Falls, South Dakota, AIP Project No. 3-46-0050-067-2025 will be received by the Weitz/Journey JV acting as the CMAR for the Sioux Falls Regional Airport Authority 2801 Jaycee Lane, Sioux Falls, South Dakota, 57104, until 1:00 PM local time on April 28, 2026, and then publicly opened and read aloud at 4:00 PM local time.
Electronic Bid Submission, subject to the conditions contained herein, for improvements to the Sioux Falls Regional Airport, Sioux Falls, South Dakota will be received online by Weitz/Journey JV through the Building Connected e-bid process. Sealed bids must be filled out, compiled, and submitted before 1:00 PM, April 28, 2026. Any submissions received after this time will not be accepted or opened. Sealed bids must be submitted electronically to the Building Connected website. Submitters are to contact Brett Smith at brett.smith@weitzjourney.com to request access.
Project work consists of but is not limited to the following:
Sioux Falls Regional Airport Concourse Expansion Phase 2 ABI #3 will consist of Earthwork, Excavation, and Backfill, Footings, Foundations, and Flatwork, Concrete Reinforcing, Precast Vendor, Steel Vendor, Precast/Steel Erection, Curtain Wall, Aluminum Storefront, Glass & Glazing, Elevator, and Passenger Boarding Bridge.
Bidding Documents. Bid Documents can be downloaded from Building Connected. Bidders are to contact Brett Smith at brett.smith@weitzjourney.com to request setup and access to the Building Connected website. All official notifications, addenda, and other Bidding Documents will be offered only through the Building Connected website. Anyone requesting, reviewing, or copying Plans and Specifications for this project agrees that they are doing so for the sole purpose of submitting a proposal on the project. Bidder further agrees the Plans and Specifications are the sole property of the SFRAA.
Bid Guarantee. Each bid in the amount of $100,000.00 or more, shall contain a bid bond for ten percent (10%) of the amount of the bid. Such bond to be issued by a surety authorized to do business in the State of South Dakota payable to the Weitz/Journey JV, as a guaranty that the bidder will enter into a contract with the Weitz/Journey JV, its board or officers thereof, in accordance with the terms of the letting and bid in case the bidder be awarded the contract.
Pre-Bid Questions Due Date/Time:
Pre-Bid project questions may be submitted from bidders anytime during the bidding period but no later than 5:00 PM CST on April 17, 2026. Questions should be submitted via Building Connected. Responses to any questions submitted after the questions submission due date are at the discretion of the Construction Manager.
Federal Requirements for Federally Funded Projects. This Project is being partially funded under the Federal Aviation Administration (FAA) Airport Improvement Program (AIP). Contractors must comply with specific federally required provisions as listed herein and contained in the contract documents. The following federal provisions are incorporated in this solicitation by reference:
1. Buy American Preference (49 USC § 50101; Executive Order 14005; Infrastructure Investment and Jobs Act (IIJA) (P. L. No. 117-58); Build America; Buy America (BABA))
2. Civil Rights – Title VI Assurance (49 USC § 47123; FAA Order 1400.11)
3. Davis-Bacon Act (2 CFR Part 200, Appendix II (D); 29 CFR Part 5; 49 USC § 47112 (b); 40 USC § 3141-3144, 3146, and 3147)
4. Debarment and Suspension (2 CFR Part 180 (Subpart B); 2 CFR Part 200, Appendix II(H); 2 CFR Part 1200; DOT Order 4200.5; Executive Orders 12549 and 12689)
5. Disadvantaged Business Enterprise (49 CFR Part 26; 49 USC § 47113)
6. Federal Fair Labor Standards Act (29 USC § 201, et seq; 2 CFR § 200.430)
7. Foreign Trade Restriction (49 CFR Part 30; 49 USC § 50104)
8. Lobbying and Influencing Federal Employees (49 CFR Part 20, Appendix A; 31 USC § 1352 – Byrd Anti-Lobbying Amendment; 2 CFR part 200- Appendix II(I))
9. Procurement of Recovered Materials (2 CFR § 200.323; 2 CFR Part 200, Appendix II (J); 40 CFR Part 247; 42 USC § 6901, et seq (Resource Conservation and Recovery Act (RCRA)))
10. Prohibition of Covered Unmanned Aircraft Systems (UAS) (FAA Reauthorization Act of 2024(Public Law 118-63), Section 936; 49 USC § 44801)
Disadvantaged Business Enterprise. The requirements of 49 CFR Part 26 including any amendments thereto apply to this contract. In accordance with the amendment dated October 3, 2025, no DBE goals have been established for this contract. However, the contract clauses in 49 CFR §§ 23.9, 26.13(a-b), and 26.29 still apply to this contract. It is the policy of the Sioux Falls Regional Airport to practice nondiscrimination based on race, color, sex, or national origin in the award or performance of this contract. The Owner encourages participation by all firms qualifying under this solicitation regardless of business size or ownership
Federal Fair Labor Standards Act. All contracts and subcontracts that result from this solicitation incorporate by reference the provisions of 29 CFR part 201, et seq, the Federal Fair Labor Standards Act (FLSA), with the same force and effect as if given in full text. The FLSA sets minimum wage, overtime pay, recordkeeping, and child labor standards for full and part-time workers.
The Contractor has full responsibility to monitor compliance to the referenced statute or regulation. The Contractor must address any claims or disputes that arise from this requirement directly with the U.S. Department of Labor – Wage and Hour Division.
Trade Restriction Certification. By submission of an offer, the Offeror certifies that with respect to this solicitation and any resultant contract, the Offeror -
1) is not owned or controlled by one or more citizens of a foreign country included in the list of countries that discriminate against U.S. firms as published by the Office of the United States Trade Representative (U.S.T.R.);
2) has not knowingly entered into any contract or subcontract for this project with a person that is a citizen or national of a foreign country included on the list of countries that discriminate against U.S. firms as published by the USTR; and
3) has not entered into any subcontract for any product to be used on the Federal project that is produced in a foreign country included on the list of countries that discriminate against U.S. firms published by the USTR.
This certification concerns a matter within the jurisdiction of an agency of the United States of America and the making of a false, fictitious, or fraudulent certification may render the maker subject to prosecution under Title 18 USC § 1001.
The Offeror/Contractor must provide immediate written notice to the Owner if the Offeror/Contractor learns that its certification or that of a subcontractor was erroneous when submitted or has become erroneous by reason of changed circumstances. The Contractor must require subcontractors provide immediate written notice to the Contractor if at any time it learns that its certification was erroneous by reason of changed circumstances.
Unless the restrictions of this clause are waived by the Secretary of Transportation in accordance with 49 CFR § 30.17, no contract shall be awarded to an Offeror or subcontractor:
1) who is owned or controlled by one or more citizens or nationals of a foreign country included on the list of countries that discriminate against U.S. firms published by the U.S.T.R. or
2) whose subcontractors are owned or controlled by one or more citizens or nationals of a foreign country on such U.S.T.R. list; or
3) who incorporates in the public works project any product of a foreign country on such U.S.T.R. list.
Nothing contained in the foregoing shall be construed to require establishment of a system of records in order to render, in good faith, the certification required by this provision. The knowledge and information of a contractor is not required to exceed that which is normally possessed by a prudent person in the ordinary course of business dealings.
The Offeror agrees that, if awarded a contract resulting from this solicitation, it will incorporate this provision for certification without modification in all lower tier subcontracts. The Contractor may rely on the certification of a prospective subcontractor that it is not a firm from a foreign country included on the list of countries that discriminate against U.S. firms as published by USTR, unless the Offeror has knowledge that the certification is erroneous.
This certification is a material representation of fact upon which reliance was placed when making an award. If it is later determined that the Contractor or subcontractor knowingly rendered an erroneous certification, the Federal Aviation Administration (FAA) may direct through the Owner cancellation of the contract or subcontract for default at no cost to the Owner or the FAA.
Civil Rights - Title VI Assurances. The Municipal Airport Authority in accordance with the provisions of Title VI of the Civil Rights Act of 1964 (78 Stat. 252, 42 U.S.C. §§ 2000d to 2000d-4), 28 CFR § 50.3, and 49 CFR Part 21, hereby notifies all bidders that it will affirmatively ensure that any contract entered into pursuant to this advertisement, all contractors will be afforded full opportunity to submit bids in response to this invitation and will not be discriminated against on the grounds of the owner’s race, color, national origin, sex, creed, age, or disability in consideration for an award.
Prohibition of Covered Unmanned Aircraft Systems (UAS). - The Bidder or Offeror certifies that they are aware of and comply with relevant Federal statutes and regulations, including those from the Federal Aviation Administration (FAA), for operating unmanned aircraft systems (UAS) in accordance, and in compliance with all related requirements in the FAA Reauthorization Act of 2024 (Public Law 118-63), section 936 (49 U.S.C. § 44801 note).
Contractor warrants that all UAS operations will be conducted in full compliance with all applicable Federal Aviation Administration (FAA) regulations, including but not limited to 14 CFR Part 107, and any other applicable local, state, or Federal laws and regulations.
Sponsors and subgrant recipients cannot use AIP grant funds to enter into, extend, or renew a contract related to covered unmanned aircraft systems (UAS). This includes both procurement and operational contracts, as well as contracts with entities that operate such systems
Federal Funding. The award of the contract is subject to approval of the Federal Aviation Administration and availability of federal funding. See instructions to bidders for additional information.
Any questions regarding bids are to be directed to:
Weitz/Journey
Brett Smith
405.747.5605
brett.smith@weitzjourney.com
Published twice on Apr. 10 & Apr. 17, 2026, at the approximate cost of $241.07, and may be viewed free of charge at www.sdpublicnotices.com or TheDakotaScout.com.
PUBLISH: Apr. 10, 2026
ABANDONED VEHICLE
This 2006 Chongqing Astronautic Bashan Moped, VIN LHJLC13C66B000405, was abandoned at 3401 S Gateway Blvd, Sioux Falls, SD, 57106. This moped can be redeemed at 1309 E Walnut St in Sioux Falls, SD with proof of ownership and payment of towing and storage charges. (605) 332-8984, aplus-towing@outlook.com.
Published once on Apr. 10, 2026, at the approximate cost of $11.12, and may be viewed free of charge at www.sdpublicnotices.com or TheDakotaScout.com.
-
PUBLISH: Apr. 3 & Apr. 10, 2026
NOTICE
VARIOUS ENGINEERING AND RELATED SERVICES
The South Dakota Department of Transportation (SDDOT) is soliciting statements of interest and qualifications from consulting firms for both State and Local Government projects. The purpose is to allow additional consultants to apply to join the existing list, in each category of work, for which the SDDOT will enter into a Pre-Qualified Consultant Retainer Agreement for the remaining years of the 2026 – 2028 contract. The Retainer Agreements are an indefinite-quantity contract. Any work orders issued during the term of these Agreements and not completed within that period will be completed within the time specified in the work orders. If a firm did not apply for that category of work in 2025, or if significant changes have been made to the firm’s qualifications, they may apply in this interim year. The SDDOT will rank all submissions and if a firm exceeds the rank of the lowest ranking firm already on the list, that firm may be added for that category. The SDDOT will determine the number of firms selected in each category of work based on the anticipated workload and the qualifications of the firms submitting SD DOT form 925. Firms will be evaluated using the criteria that follows:
Evaluation Criteria:
(1) Specialized expertise, capabilities, and technical competence as demonstrated by the proposed approach and methodology to meet the project requirements. (20 pts possible)
(2) Resources available to perform the work, including any specialized services, within the specified time limits for the project. (20 pts possible)
(3) Record of past performance, including price and cost data from previous projects, quality of work, ability to meet schedules, cost control, and contract administration. (20 pts possible)
(4) Availability to the project locale. (5 pts possible)
(5) Familiarity with the project locale. (5 pts possible)
(6) Proposed project management techniques. (20 pts possible)
(7) Ability and proven history in handling special project constraints. (10 pts possible)
The number following each category represents the anticipated numbers of firms to be accepted for that category. The categories of services include the following:
STATE CATEGORIES:
Archaeology/Paleontology – 8
Bridge Design – 12
Bridge Evaluation/Testing – 8
Bridge Hydraulics / Hydrology – 10
Bridge Inspection – 10
Bridge Protective Coating Design – 6
Construction Administration/Inspection/Testing – 35
Environmental Studies – 10
Geotechnical Services – 7
Hazardous Waste/Petroleum Contamination Testing – 5
Historic Preservation – 8
Land Surveying – 35
Landscape Architecture – 5
Photogrammetry and LiDAR Surveys – 4
Public Relations/Public Information – 9
Railroad Planning/Design/Construction Administration – 5
Real Estate Services – 10
Roadway Design – 25
Subsurface Utilities Exploration – 5
Transportation Planning – 12
Underwater Bridge Inspections – 5
Unmanned Aerial Inspections – 11
Wetland Delineation/Mitigation – 12
LOCAL GOVERNMENT CATEGORIES:
Airport Planning and Design – 5
Bridge Design – 27
Bridge Inspections- 19
Geotechnical Services – 5
Roadway Design -28
Transportation Planning – 12
Descriptions of each category can be found at https://dot.sd.gov/doing-business/engineering/design-services/consultant-services.
If interested, the consultant must submit the current DOT-925 electronically in .pdf format to tiffany.karr@state.sd.us for each category of service for which they are qualified. This form may be found at https://dot.sd.gov/doing-business/engineering/design-services/consultant-services. Each category must have a separate Standard Form 925. Please do not combine multiple categories in one pdf file. Please be sure to specify whether the application is for the state or local category.
The SDDOT also requires that all consultants maintain the following insurance written by a carrier admitted in the State of South Dakota:
- General Liability
- Workers’ Compensation
- Automobile Liability
- Professional Liability (Errors & Omissions)
The SDDOT reserves the right to reject any or all proposals and to solicit proposals from only those consultants that demonstrate required qualifications and experience. Each firm chosen will be furnished information upon which to base proposals. The SDDOT will afford equal opportunity to all those who submit statements of interest and will not discriminate in its selection of consultants on the grounds of race, sex, color, disability or national origin.
Please use the listing provided above to identify the specific areas of expertise and interest. Each consultant may apply in one or as many categories as they desire.
Statements of interest should be in .pdf form and directed to Tiffany Karr via email at tiffany.karr@state.sd.us, no later than May 15, 2026.
Published twice on Apr. 3 & Apr. 10, 2026, at the approximate cost of $110.20, and may be viewed free of charge at www.sdpublicnotices.com or TheDakotaScout.com.
COURTS
PUBLISH: Apr. 10 & Apr. 17, 2026
IN THE STATE OF SOUTH DAKOTA,
COUNTY OF MINNEHAHA
IN CIRCUIT COURT,
SECOND JUDICIAL CIRCUIT COURT
IDAHO HOUSING AND FINANCE ASSOCIATION,
PLAINTIFF,
V.
JESSICA MAY AND ACCOUNTS MANAGEMENT, INC. AND COUNTY OF MINNEHAHA AND SOUTH DAKOTA HOUSING DEVELOPMENT AUTHORITY AND UNITED STATES OF AMERICA ACTING BY AND THROUGH THE SECRETARY OF HOUSING AND URBAN DEVELOPMENT, AND ANY PERSON IN POSSESSION,
DEFENDANTS.
NOTICE OF REAL ESTATE SALE ON FORECLOSURE
CIVIL NUMBER: 49CIV25-000818
A Non-Monetary Judgment of Foreclosure was entered in favor of Plaintiff and against Defendants, which judgment was filed with the Clerk of Courts of Minnehaha County, South Dakota, on September 11, 2025, in the amount of $196,361.29, for the foreclosure of a real estate mortgage.
Notice is hereby given pursuant to said judgment that the real property described in
the Real Estate Mortgage dated September 17, 2021, and recorded in the office of the Register of Deeds of Minnehaha County, South Dakota, on September 28, 2021, in Book 1935 of Mtgs, at Page 439, as Instrument Number R133986, which Jessica May, mortgagor, executed and delivered to Mortgage Electronic Registration Systems, Inc., as Mortgagee, as Nominee, for Service First Federal Credit Union, its successors and assigns, mortgagee, for the property located at 509 S Thompson Avenue, Sioux Falls, SD 57103, and legally described as:
Lot 230 of Eastview Extension in the Northwest Quarter of the Northwest Quarter (NW1/4NW1/4) of Section 23, Township 101 North, Range 49 West of the 5th P.M., Minnehaha County, South Dakota, according to the recorded Plat thereof
in order to realize the amount of the above-referenced judgment, plus interest accruing thereafter on said amount, together with the costs and expenses of sale, will be sold subject to redemption as provided by law as one parcel of land at public auction, subject to easements and restrictions of record, to the highest bidder for cash under the direction of the Minnehaha County Sheriff, at the Law Enforcement Center located at 320 West 4th Street, Sioux Falls, SD 57104, on June 3, 2026 at 11:00 AM.
Dated this 3rd day of April, 2026
SHERIFF OF MINNEHAHA COUNTY
By Michael Brenden #548
Name: Michael Brenden
Halliday, Watkins & Mann, P.C.
By /s/ Zachary Nesbit
Zachary Nesbit
Attorneys for Plaintiff
376 East 400 South, Suite 300
Salt Lake City, UT 84111
Tel: 801-355-2886
Email: zach@hwmlawfirm.com
Published twice on Apr. 10 & Apr. 17, 2026, at the approximate cost of $68.23, and may be viewed free of charge at www.sdpublicnotices.com or TheDakotaScout.com
-
PUBLISH: Apr. 10 & Apr. 17, 2026
IN THE STATE OF SOUTH DAKOTA,
COUNTY OF MINNEHAHA
IN CIRCUIT COURT,
SECOND JUDICIAL CIRCUIT COURT
CITIZENS BANK NA F/K/A RBS CITIZENS NA,
PLAINTIFF,
V.
JONATHAN WIKNER A/K/A JONATHAN JAMES WIKNER, AND ANY PERSON IN POSSESSION,
DEFENDANTS.
NOTICE OF REAL ESTATE SALE ON FORECLOSURE
CIVIL NUMBER: 49CIV25-004338
A Non-Monetary Judgment of Foreclosure was entered in favor of Plaintiff and against Defendants, which judgment was filed with the Clerk of Courts of Minnehaha County, South Dakota, on March 16, 2026, in the amount of $172,131.52, for the foreclosure of a real estate mortgage.
Notice is hereby given pursuant to said judgment that the real property described in
the Real Estate Mortgage dated January 20, 2021, and recorded in the office of the Register of Deeds of Minnehaha County, South Dakota, on January 26, 2021, in Book 1912 of Mtgs, at Page 388, as Instrument Number R103344, which Jonathan Wikner a/k/a Jonathan James Wikner, mortgagor, executed and delivered to Mortgage Electronic Registration Systems, Inc., as Mortgagee, as nominee for First Premier Bank, its successors and assigns, mortgagee, for the property located at 704 W 9th St, Sioux Falls, SD 57104, and legally described as:
THE EAST HALF OF THE SOUTH HALF (E1/2S1/2) OF LOT 7 AND THE EAST HALF (E1/2) OF LOTS 8 AND 9 IN BLOCK 22 OF BENNETT’S FIRST ADDITION TO SIOUX FALLS, MINNEHAHA COUNTY, SOUTH DAKOTA, ACCORDING TO THE RECORDED PLAT THEREOF
in order to realize the amount of the above-referenced judgment, plus interest accruing thereafter on said amount, together with the costs and expenses of sale, will be sold subject to redemption as provided by law as one parcel of land at public auction, subject to easements and restrictions of record, to the highest bidder for cash under the direction of the Minnehaha County Sheriff, at the Law Enforcement Center located at 320 West 4th Street, Sioux Falls, SD 57104, on June 24, 2026 at 11:00 AM.
Dated this 3rd day of April 2026
SHERIFF OF MINNEHAH
By: Michael Brenden #548
Name: Michael Brenden
Deputy Sheriff
Halliday, Watkins & Mann, P.C.
By /s/ Zachary Nesbit
Zachary Nesbit
Attorneys for Plaintiff
376 East 400 South, Suite 300
Salt Lake City, UT 84111
Tel: 801-355-2886
Email: zach@hwmlawfirm.com
Published twice on Apr. 10 & Apr. 17, 2026, at the approximate cost of $64.17, and may be viewed free of charge at www.sdpublicnotices.com or TheDakotaScout.com
-
PUBLISH: Apr. 10 & Apr. 17, 2026
IN THE STATE OF SOUTH DAKOTA,
COUNTY OF MINNEHAHA
IN CIRCUIT COURT,
SECOND JUDICIAL CIRCUIT COURT
IDAHO HOUSING AND FINANCE ASSOCIATION,
PLAINTIFF,
V.
SARAH BALK AND SOUTH DAKOTA HOUSING DEVELOPMENT AUTHORITY, AND ANY PERSON IN POSSESSION,
DEFENDANTS.
NOTICE OF REAL ESTATE SALE ON FORECLOSURE
CIVIL NUMBER: 49CIV25-004878
A Non-Monetary Judgment of Foreclosure was entered in favor of Plaintiff and against Defendants, which judgment was filed with the Clerk of Courts of Minnehaha County, South Dakota, on March 18, 2026, in the amount of $209,862.36, for the foreclosure of a real estate mortgage.
Notice is hereby given pursuant to said judgment that the real property described in
the Real Estate Mortgage dated December 18, 2023, and recorded in the office of the Register of Deeds of Minnehaha County, South Dakota, on December 21, 2023, in Book 1979 of Mtgs, at Page 48, as Instrument Number R123092, which Sarah Balk, mortgagor, executed and delivered to Mortgage Electronic Registration Systems, Inc., as Mortgagee, as nominee for Plains Commerce Bank, its successors and assigns, mortgagee, for the property located at 619 S. Willow Ave, Sioux Falls, SD 57104, and legally described as:
Lot 9 in Block 3 of Jacobson’s First Addition to Sioux Falls, Minnehaha County, South Dakota, according to the recorded plat thereof
in order to realize the amount of the above-referenced judgment, plus interest accruing thereafter, on said amount, together with the costs and expenses of sale, will be sold subject to redemption as provided by law as one parcel of land at public auction, subject to easements and restrictions of record, to the highest bidder for cash under the direction of the Minnehaha County Sheriff, at the Law Enforcement Center located at 320 West 4th Street, Sioux Falls, SD 57104, on June 24, 2026 at 11:00 AM.
Dated this 3rd day of April 2026
SHERIFF OF MINNEHAHA COUNTY
By: Michael Brenden #548
Name: Michael Brenden
Deputy Sheriff
Halliday, Watkins & Mann, P.C.
By /s/ Zachary Nesbit
Zachary Nesbit
Attorneys for Plaintiff
376 East 400 South, Suite 300
Salt Lake City, UT 84111
Tel: 801-355-2886
Email: zach@hwmlawfirm.com
Published twice on Apr. 10 & Apr. 17, 2026, at the approximate cost of $60.69, and may be viewed free of charge at www.sdpublicnotices.com or TheDakotaScout.com
-
PUBLISH: Apr. 10 & Apr. 17, 2026
IN THE STATE OF SOUTH DAKOTA,
COUNTY OF MINNEHAHA
IN CIRCUIT COURT,
SECOND JUDICIAL CIRCUIT COURT
IDAHO HOUSING AND FINANCE ASSOCIATION,
PLAINTIFF,
V.
FRANCES ANN PARMLEY A/K/A FRANNY PARMLEY AND A.A.A. COLLECTIONS, INC. AND FIRST PREMIER BANK AND THE FEDERAL HOME LOAN BANK OF DES MOINES AND COUNTY OF MINNEHAHA, SOUTH DAKOTA AND SOUTH DAKOTA HOUSING DEVELOPMENT AUTHORITY, AND ANY PERSON IN POSSESSION,
DEFENDANTS.
NOTICE OF REAL ESTATE SALE ON FORECLOSURE
CIVIL NUMBER: 49CIV25-003095
A Non-Monetary Judgment of Foreclosure was entered in favor of Plaintiff and against Defendants, which judgment was filed with the Clerk of Courts of Minnehaha County, South Dakota, on March 20, 2026, in the amount of $111,645.63, for the foreclosure of a real estate mortgage.
Notice is hereby given pursuant to said judgment that the real property described in
the Real Estate Mortgage dated May 6, 2019, and recorded in the office of the Register of Deeds of Minnehaha County, South Dakota, on May 7, 2019, in Book 1858 of Mtgs, at Page 704, as Instrument Number R908500, which Frances Ann Parmley, mortgagor, executed and delivered to Mortgage Electronic Registration Systems, Inc., as Mortgagee, as nominee for First Premier Bank, its successors and assigns, mortgagee, for the property located at 602 N Lewis Avenue, Sioux Falls, SD 57103, and legally described as:
East 75 feet of the West 108 feet of the North 75 feet of Lot 1 of County Auditor’s Subdivision of Tract 1 in the Northeast Quarter (NE1/4) of Section 15, Township 101 North, Range 49 West of the 5th P.M., Minnehaha County, South Dakota, according to the Recorded Plat thereof
in order to realize the amount of the above-referenced judgment, plus interest accruing thereafter on said amount, together with the costs and expenses of sale, will be sold subject to redemption as provided by law as one parcel of land at public auction, subject to easements and restrictions of record, to the highest bidder for cash under the direction of the Minnehaha County Sheriff, at the Law Enforcement Center located at 320 West 4th Street, Sioux Falls, SD 57104, on June 3, 2026 at 11:00 AM.
Dated this 3rd day of April, 2026
SHERIFF OF MINNEHAHA COUNTY
By: Michael Brenden #548
Name: Michael Brenden
Deputy Sheriff
Halliday, Watkins & Mann, P.C.
By /s/ Zachary Nesbit
Zachary Nesbit
Attorneys for Plaintiff
376 East 400 South, Suite 300
Salt Lake City, UT 84111
Tel: 801-355-2886
Email: zach@hwmlawfirm.com
Published twice on Apr. 10 & Apr. 17, 2026, at the approximate cost of $68.23, and may be viewed free of charge at www.sdpublicnotices.com or TheDakotaScout.com
-
PUBLISH: Apr. 10 & Apr. 17, 2026
IN THE STATE OF SOUTH DAKOTA,
COUNTY OF MINNEHAHA
IN CIRCUIT COURT,
SECOND JUDICIAL CIRCUIT COURT
IDAHO HOUSING AND FINANCE ASSOCIATION,
PLAINTIFF,
V.
BROCK GRUENEICH AND JESSICA GRUENEICH A/K/A JESSICA L. GRUENEICH AND AAA COLLECTIONS INC. AND SOUTH DAKOTA HOUSING DEVELOPMENT AUTHORITY AND UNITED STATES OF AMERICA, ACTING BY AND THROUGH THE SECRETARY OF HOUSING AND URBAN DEVELOPMENT, AND ANY PERSON IN POSSESSION,
DEFENDANTS.
NOTICE OF REAL ESTATE SALE ON FORECLOSURE
CIVIL NUMBER: 49CIV25-004732
A Non-Monetary Judgment of Foreclosure was entered in favor of Plaintiff and against Defendants, which judgment was filed with the Clerk of Courts of Minnehaha County, South Dakota, on February 26, 2026, in the amount of $228,639.04, for the foreclosure of a real estate mortgage.
Notice is hereby given pursuant to said judgment that the real property described in
the Real Estate Mortgage dated October 2, 2019, and recorded in the office of the Register of Deeds of Minnehaha County, South Dakota, on October 9, 2019, in Book 1869 of Mtgs, at Page 52, as Instrument Number R923398, which Brock Grueneich and Jessica Grueneich a/k/a Jessica L. Grueneich, mortgagor, executed and delivered to Mortgage Electronic Registration Systems, Inc., as Mortgagee, as nominee for Plains Commerce Bank, a Corporation, its successors and assigns, mortgagee, for the property located at 7001 W 32nd St, Sioux Falls, SD 57106, and legally described as:
Lot 2 in Block 7 of Roosevelt Valley, an Addition to the City of Sioux Falls, Minnehaha County, South Dakota, according to the recorded plat thereof
in order to realize the amount of the above-referenced judgment, plus interest accruing thereafter on said amount, together with the costs and expenses of sale, will be sold subject to redemption as provided by law as one parcel of land at public auction, subject to easements and restrictions of record, to the highest bidder for cash under the direction of the Minnehaha County Sheriff, at the Law Enforcement Center located at 320 West 4th Street, Sioux Falls, SD 57104, on May 20, 2026 at 11:00 AM.
Dated this 25th day of March, 2026
Michael Milstead SHERIFF OF MINNEHAHA COUNTY
By: Deputy Corrie Alexander 856
Name: Corrie Alexander
Halliday, Watkins & Mann, P.C.
By /s/ Zachary Nesbit
Zachary Nesbit
Attorneys for Plaintiff
376 East 400 South, Suite 300
Salt Lake City, UT 84111
Tel: 801-355-2886
Email: zach@hwmlawfirm.com
Published twice on Apr. 10 & Apr. 17, 2026, at the approximate cost of $67.07, and may be viewed free of charge at www.sdpublicnotices.com or TheDakotaScout.com.
-
PUBLISH: Apr. 10 & Apr. 17, 2026
IN THE STATE OF SOUTH DAKOTA,
COUNTY OF MINNEHAHA
IN CIRCUIT COURT,
SECOND JUDICIAL CIRCUIT COURT
U.S. BANK TRUST NATIONAL ASSOCIATION, NOT IN ITS INDIVIDUAL CAPACITY BUT SOLELY AS OWNER TRUSTEE FOR RCAF ACQUISITION TRUST,
PLAINTIFF,
V.
LINDSEY FLAYTON A/K/A LINDSEY MARIE FLAYTON AND BRAD FLAYTON A/K/A BRADLEY JOHN FLAYTON AND AAA COLLECTIONS INC. AND LEVO FEDERAL CREDIT UNION, AND ANY PERSON IN POSSESSION,
DEFENDANTS.
NOTICE OF REAL ESTATE SALE ON FORECLOSURE
CIVIL NUMBER: 49CIV25-003085
A Non-Monetary Judgment of Foreclosure was entered in favor of Plaintiff and against Defendants, which judgment was filed with the Clerk of Courts of Minnehaha County, South Dakota, on December 5, 2025, in the amount of $330,757.20, for the foreclosure of a real estate mortgage.
Notice is hereby given pursuant to said judgment that the real property described in
the Real Estate Mortgage dated May 21, 2019, and recorded in the office of the Register of Deeds of Minnehaha County, South Dakota, on May 29, 2019, in Book 1859 of Mtgs, at Page 836, as Instrument Number R910250. which Brad Flayton and Lindsey Flayton, mortgagor, executed and delivered to Mortgage Electronic Registration Systems, Inc., as Mortgagee, as nominee for First Premier Bank, its successors and assigns, mortgagee, for the property located at 1613 S. Moneticello Ave., Sioux Falls, SD 57106-5104, and legally described as:
Lot 9 in Block 4 of Discovery Park, an Addition to the City of Sioux Falls, Minnehaha County, South Dakota, according to the recorded plat thereof
in order to realize the amount of the above-referenced judgment, plus interest accruing thereafter on said amount, together with the costs and expenses of sale, will be sold subject to redemption as provided by law as one parcel of land at public auction, subject to easements and restrictions of record, to the highest bidder for cash under the direction of the Minnehaha County Sheriff, at the Law Enforcement Center located at 320 West 4th Street, Sioux Falls, SD 57104, on May 06, 2026 at 11:00 AM.
Dated this 25th day of March 2026
SHERIFF OF MINNEHAHA COUNTY
By: Michael Brenden
Name: Michael Brenden
Deputy Sheriff
Halliday, Watkins & Mann, P.C.
By /s/ Zachary Nesbit
Zachary Nesbit
Attorneys for Plaintiff
376 East 400 South, Suite 300
Salt Lake City, UT 84111
Tel: 801-355-2886
Email: zach@hwmlawfirm.com
Published twice on Apr. 10 & Apr. 17, 2026, at the approximate cost of $65.33, and may be viewed free of charge at www.sdpublicnotices.com or TheDakotaScout.com.
-
PUBLISH: Apr. 3, Apr. 10 & Apr. 17, 2026
STATE OF SOUTH DAKOTA
COUNTY OF MINNEHAHA
:SS IN CIRCUIT COURT
SECOND JUDICIAL CIRCUIT
IN THE MATTER OF THE ESTATE OF
ARLEN L. WALLUM,
DECEASED
49PRO26-000053
NOTICE TO CREDITORS
NOTICE IS GIVEN that on 16th day of March, 2026, Arden E. Wallum, located at 78280 Via Sevilla, La Quinta, CA 92253, was appointed as Personal Representatives of the Estate of Arlen L. Wallum.
Creditors of Decedent must file their claims within four (4) months after the date of the first publication of this Notice or their claims may be barred.
Claims may be filed with the Personal Representative or may be filed with the Clerk, and a copy of the claim mailed to the Personal Representative.
Dated this 1st day of April, 2026.
/s/ Joshua R. Brown
Joshua R. Brown
Boyce Law Firm, L.L.P.
300 South Main Avenue
P.O. Box 5015
Sioux Falls, SD 57117-5015
(605) 336-2424
Minnehaha County Clerk of Courts
425 N Dakota Avenue
Sioux Falls, SD 57104
Published Apr. 3, Apr. 10 & Apr. 17, 2026 at the approximate cost of $43.56, and may be viewed free of charge at www.sdpublicnotices.com or TheDakotaScout.com.
-
PUBLISH: Apr. 3 & Apr. 10, 2026
IN THE STATE OF SOUTH DAKOTA,
COUNTY OF MINNEHAHA
IN CIRCUIT COURT,
SECOND JUDICIAL CIRCUIT COURT
US BANK TRUST NATIONAL ASSOCIATION, NOT IN ITS INDIVIDUAL CAPACITY BUT SOLELY AS OWNER TRUSTEE FOR VRMTG ASSET TRUST,
PLAINTIFF,
V.
CHARLENE M. SCHULTZ AND JEFFERY DEAN SCHULTZ A/K/A JEFFREY DEAN SCHULTZ AND HEIRS & DEVISEES OF THE ESTATE OF CHARLENE M. SCHULTZ AND RICHARD W. BECKFIELD, PERSONAL REPRESENTATIVE OF THE ESTATE OF CHARLENE MARIE SCHULTZ AND ALL PERSONS UNKNOWN WHO MAY CLAIM AN INTEREST AND ACCOUNTS MANAGEMENT, INC. AND CITY OF SIOUX FALLS, AND ANY PERSON IN POSSESSION,
DEFENDANTS.
NOTICE OF REAL ESTATE SALE ON FORECLOSURE
CIVIL NUMBER: 49CIV22-000522
A Non-Monetary Judgment of Foreclosure was entered in favor of Plaintiff and against Defendants, which judgment was filed with the Clerk of Courts of Minnehaha County, South Dakota, on August 13, 2024, in the amount of $78,673.39, for the foreclosure of a real estate mortgage.
Notice is hereby given pursuant to said judgment that the real property described in
the Real Estate Mortgage dated May 4, 2001, and recorded in the office of the Register of Deeds of Minnehaha County, South Dakota, on May 15, 2001, in Book 1353, at Page 169, as Instrument Number R113205 which Charlene M. Schultz, mortgagor, executed and delivered to Edward Jones Mortgage, LLC, mortgagee for the property located at 909 South Jessica Avenue, Sioux Falls, SD 57103, and legally described as:
Lot 26 of Ronning’s Subdivision of Part of Van Eps 2nd Addition to Sioux Falls, Minnehaha County, South Dakota, according to the recorded plat thereof
in order to realize the amount of the above-referenced judgment, plus interest accruing thereafter on said amount, together with the costs and expenses of sale, will be sold subject to redemption as provided by law as one parcel of land at public auction, subject to easements and restrictions of record, to the highest bidder for cash under the direction of the Minnehaha County Sheriff, at the Law Enforcement Center located at 320 West 4th Street, Sioux Falls, SD 57104, on May 06, 2026 at 11:00 AM.
Dated this 19th day of March 2026
Michael Milstead
SHERIFF OF MINNEHAHA COUNTY
By: Deputy Corrie Alexander 856
Name: Corrie Alexander
Halliday, Watkins & Mann, P.C.
By/s/Jason Tingle
Jason Tingle
Attorneys for Plaintiff
376 East 400 South, Suite 300
Salt Lake City, UT 84111
Tel: 801-355-2886
Email: jtingle@hwmlawfirm.com
Published twice on Apr. 3 & Apr. 10, 2026, at the approximate cost of $69.39, and may be viewed free of charge at www.sdpublicnotices.com or TheDakotaScout.com.
-
PUBLISH: Apr. 3 & Apr. 10, 2026
IN THE STATE OF SOUTH DAKOTA,
COUNTY OF MINNEHAHA
IN CIRCUIT COURT,
SECOND JUDICIAL CIRCUIT COURT
IDAHO HOUSING AND FINANCE ASSOCIATION,
PLAINTIFF,
V.
CHADWICK J. HARRINGTON AND SARA HARRINGTON AND ACCOUNTS MANAGEMENT, INC. AND PORTFOLIO RECOVERY ASSOCIATES LLC AND SOUTH DAKOTA HOUSING DEVELOPMENT AUTHORITY AND THORNTON CARPET, INC. AND UNITED STATES OF AMERICA, ACTING BY AND THROUGH THE SECRETARY OF HOUSING AND URBAN DEVELOPMENT, AND ANY PERSON IN POSSESSION,
DEFENDANTS.
NOTICE OF REAL ESTATE SALE ON FORECLOSURE
CIVIL NUMBER: 49CIV25-004812
A Non-Monetary Judgment of Foreclosure was entered in favor of Plaintiff and against Defendants, which judgment was filed with the Clerk of Courts of Minnehaha County, South Dakota, on February 26, 2026, in the amount of $135,415.48, for the foreclosure of a real estate mortgage.
Notice is hereby given pursuant to said judgment that the real property described in
the Real Estate Mortgage dated August 28, 2015, and recorded in the office of the Register of Deeds of Minnehaha County, South Dakota, on September 1, 2015, in Book 1783 of Mtgs, at Page 195, as Instrument Number R520771. which Chadwick J. Harrington and Sara Harrington, mortgagor, executed and delivered to Mortgage Electronic Registration Systems, Inc., as Mortgagee, as nominee for Sioux Falls Federal Credit Union, its successors and assigns, mortgagee, for the property located at 4409 E Lexington Circle, Sioux Falls, SD 57103, and legally described as:
Lot 25 in Block 12 of Ascot Park Section of Huntington Hills, an Addition to the City of Sioux Falls, Minnehaha County, South Dakota, according to the Recorded Plat thereof
in order to realize the amount of the above-referenced judgment, plus interest accruing thereafter on said amount, together with the costs and expenses of sale, will be sold subject to redemption as provided by law as one parcel of land at public auction, subject to easements and restrictions of record, to the highest bidder for cash under the direction of the Minnehaha County Sheriff, at the Law Enforcement Center located at 320 West 4th Street, Sioux Falls, SD 57104, on May 20, 2026 at 11:00 AM.
Dated this 19th day of March, 2026
Michael Milstead SHERIFF OF MINNEHAHA COUNTY
By: Deputy Corrie Alexander 856
Name: Corrie Alexander
Halliday, Watkins & Mann, P.C.
By/s/ Zachary Nesbit
Zachary Nesbit
Attorneys for Plaintiff
376 East 400 South, Suite 300
Salt Lake City, UT 84111
Tel: 801-355-2886
Email: zach@hwmlawfirm.com
Published twice on Apr. 3 & Apr. 10, 2026, at the approximate cost of $69.39, and may be viewed free of charge at www.sdpublicnotices.com or TheDakotaScout.com.
-
PUBLISH: Apr. 3, Apr. 10, Apr. 17 & Apr. 24, 2026
STATE OF SOUTH DAKOTA
COUNTY OF MINNEHAHA
:SS IN CIRCUIT COURT
SECOND JUDICIAL CIRCUIT
IN THE MATTER OF THE ESTATE OF
RUDOLPH A. BERRETH,
DECEASED.
49 PRO.26-70
NOTICE TO CREDITORS
Notice is given that on the 26th day of March, 2026, Roxy Bentson, of 1501 N. Lalley Ln. Sioux Falls, SD 57106 was appointed Personal Representative of the Estate of Rudolph A.Berreth.
Creditors of decedent must file their claims within four (4) months after the date of the first publication of this notice or their claims may be barred. Claims may be filed with the Personal Representative or may be filed with the Clerk of Courts and a copy of the claim mailed to the Personal Representative.
Dated this 27th day of March, 2026.
/s/ Roxy Bentson
Roxy Bentson
1501 N. Lalley Ln.
Sioux Falls, SD 57106
Attorney for the Estate:
Samp Law Offices
P.O. Box 495
Sioux Falls, SD 57101
(605) 339-1020
Published Apr. 3, Apr. 10, Apr. 17 & Apr. 24, 2026 at the approximate cost of $55.43, and may be viewed free of charge at www.sdpublicnotices.com or TheDakotaScout.com.
-
PUBLISH: Mar. 27, Apr. 3 & Apr. 10, 2026
STATE OF SOUTH DAKOTA
COUNTY OF MINNEHAHA
SS IN CIRCUIT COURT
SECOND JUDICIAL CIRCUIT
IN THE MATTER OF THE ESTATE OF
ADAM CAMENZEND, DECEASED.
FILE NO. PRO 49PRO26-61
PUBLISHED NOTICE TO
CREDITORS AND INTERESTED PARTIES
Notice is hereby given that on March 20, 2026, Christine Camenzend, whose address is 645 Shady Lane Dr., Sioux City, IA 51104, was appointed as Personal Representative for the Estate of Adam Camenzend.
Creditors of the Decedent must file their claims within four (4) months after the date of the first publication of this notice, or their claims may be barred.
Claims may be filed with the Personal Representative or may be filed with the Clerk of the Circuit Court at the Minnehaha County Courthouse in Sioux Falls, South Dakota, with a copy of such claim mailed to the Personal Representative.
Dated March 23, 2026.
Christine Camenzend, Personal Representative
645 Shady Lane Dr., Sioux City, IA 51104
HEIDMAN LAW FIRM, P.L.L.C.
JOEL D. VOS (SD #3377)
1128 Historic 4th Street
P.O. Box 3086
Sioux City, Iowa 51102
(712) 255-8838
ATTORNEYS FOR PERSONAL REPRESENTATIVE
Published Mar. 27, Apr. 3 & Apr. 10, 2026 at the approximate cost of $48.59, and may be viewed free of charge at www.sdpublicnotices.com or TheDakotaScout.com.
-
PUBLISH: Mar. 27, Apr. 3 & Apr. 10, 2026
STATE OF SOUTH DAKOTA
COUNTY OF MINNEHAHA
:SS IN CIRCUIT COURT
SECOND JUDICIAL CIRCUIT
ESTATE OF
SANDRA K. SPROCK,
DECEASED
49PRO26-000034
NOTICE TO CREDITORS
Notice is given that on February 25, 2026, Curtis Sprock whose address is 206 S. Carroll Street, Rock Rapids, IA 51246, was appointed personal representative of the estate of Sandra K. Sprock.
Creditors of decedent must file their claims within four months after the date of the first publication of this notice or their claims may be barred.
Claims may be filed with the personal representative or may be filed with the clerk and a copy of the claim mailed to the personal representative.
Dated this 18th day of March, 2026.
WILSON LEGAL PLANNING
By /s/ Rebecca L. Wilson
Rebecca L. Wilson
Attorney for Personal Representative
5117 S. Crossing Place, Suite 3
Sioux Falls, SD 57108
(605) 215-1467
Clerk of Courts, Clerk of Courts
Minnehaha County Courthouse
425 North Dakota Avenue
Sioux Falls, SD 57104
Published Mar. 27, Apr. 3 & Apr. 10, 2026 at the approximate cost of $46.08, and may be viewed free of charge at www.sdpublicnotices.com or TheDakotaScout.com.
-
PUBLISH: Mar. 27, Apr. 3 & Apr. 10, 2026
STATE OF SOUTH DAKOTA
IN CIRCUIT COURT
IN THE MATTER OF THE ESTATE OF
BARBARA R. OPP,
DECEDENT.
SECOND JUDICIAL CIRCUIT
MINNEHAHA COUNTY
NOTICE TO CREDITORS AND NOTICE
OF INFORMAL PROBATE AND
APPOINTMENT OF PERSONAL
REPRESENTATIVE
Notice is given that on September 25, 2025, Anthony Larry Inglis of 413 South 8th Avenue, Brandon, SD 57005 was appointed as personal representatives of the estate of BARBARA R. OPP.
Creditors of decedent must file their claims within four (4) months after the date of the first publication of this notice or their claims may be barred unless the creditor has received notice via First Class Mail, in which event the creditor must comply with the notice received.
Claims may be filed with the personal representative or the Clerk of Courts for the Second Judicial Circuit in Minnehaha County at 425 N. Dakota Avenue Sioux Falls, SD 57104.
A copy of the claim must be mailed to the personal representatives at the address noted above.
Dated this September 25, 2025.
Thomas J. (TJ) Johnson, Attorney Prof. LLC
/s/ TJ Johnson
PO Box 1396
Sioux Falls, SD 57101
Bar No. 877
Phone: (605) 360-0375
Email: TJ@TJJAttorney.com
Published Mar. 27, Apr. 3 & Apr. 10, 2026 at the approximate cost of $53.62, and may be viewed free of charge at www.sdpublicnotices.com or TheDakotaScout.com.
-
PUBLISH: Mar. 27, Apr. 3, Apr. 10 & Apr. 17, 2026
STATE OF SOUTH DAKOTA
COUNTY OF MINNEHAHA
IN CIRCUIT COURT
SECOND JUDICIAL CIRCUIT
IN THE MATTER OF THE PETITION OF:
TRINITY CLARK HUNTER
FOR A CHANGE OF NAME TO:
TRINITY CLARK WILLERT
FILE NO: CIV26-1272
NOTICE OF HEARING FOR ADULT NAME CHANGE
NOTICE IS HEREBY GIVEN that a Verified Petition for Adult Name Change has been filed by Trinity Clark Hunter, to change Petitioner’s name from Trinity Clark Hunter to Trinity Clark Willert. The Petition will be heard on the 5 day of May, 2026, at 11:00 a.m. by the Honorable Judge Damgaard, at the Minnehaha County Courthouse, in the City of Sioux Falls, South Dakota. Anyone may appear at that time and place and show reasons, if any, why Petitioner’s name should not be changed.
Dated this 18 day of March, 2026.
Karla Kalb
Clerk of Court
By: /s/
Deputy
Published Mar. 27, Apr. 3, Apr. 10 & Apr. 17, 2026 at the approximate cost of $53.25, and may be viewed free of charge at www.sdpublicnotices.com or TheDakotaScout.com.
-
PUBLISH: Mar. 27, Apr. 3, Apr. 10 & Apr. 17, 2026
TO SEMIRA ENDRISS
You are placed on notice of the Complaint filed against you by Solomon Takele Mamo, in the Circuit Court, Second Judicial Court, Minnehaha County, South Dakota, Case 49DIV26-000084. You must submit an Answer to the Complaint within 60 days of the last date of publication of this Notice. If you fail to do so default judgment will be entered against you.
A copy of the divorce complaint is viewable at the Minnehaha County Courthouse you can contact Mr. Momo’s attorney at 605-2756949.
Published on Mar. 27 Apr. 3, Apr. 10 & Apr. 17, 2026 at the approximate cost of $32.40, and may be viewed free of charge at www.sdpublicnotices.com or TheDakotaScout.com.
-
PUBLISH: Mar. 20, Mar. 27, Apr. 3 & Apr. 10, 2026
STATE OF SOUTH DAKOTA
COUNTY OF MINNEHAHA
IN CIRCUIT COURT
SECOND JUDICIAL CIRCUIT
IN THE MATTER OF THE PETITION OF:
PEDRO GUILLERMO MANRIQUE PARRAO
FOR A CHANGE OF NAME TO:
PETER MANRIQUE
FILE NO: CIV26-1179
NOTICE OF HEARING
FOR ADULT NAME CHANGE
NOTICE IS HEREBY GIVEN that a Verified Petition for Adult Name Change has been filed by Pedro Guillermo Manrique Parrao, to change Petitioner’s name from Pedro Guillermo Manrique Parrao to Peter Manrique. The Petition will be heard on the 28 day of April, 2026, at 11:00 a.m. by the Honorable Judge Pekas, at the Minnehaha County Courthouse, in the City of Sioux Falls, South Dakota. Anyone may appear at that time and place and show reasons, if any, why Petitioner’s name should not be changed.
Dated this 12 day of March, 2026.
Karla Kalb
Clerk of Court
By: /s/
Deputy
Published Mar. 20, Mar. 27, Apr. 3 & Apr. 10, 2026 at the approximate cost of $54.32, and may be viewed free of charge at www.sdpublicnotices.com or TheDakotaScout.com.
-
PUBLISH: Mar. 20, Mar. 27, Apr. 3 & Apr. 10, 2026
STATE OF SOUTH DAKOTA
COUNTY OF MINNEHAHA
SS IN CIRCUIT COURT
SECOND JUDICIAL CIRCUIT
IN THE MATTER OF THE PETITION OF:
CODY ALLEN HINES
FOR A CHANGE OF NAME TO:
LYN NEAR SORENZ
FILE NO: CIV26-1178
NOTICE OF HEARING
FOR ADULT NAME CHANGE
NOTICE IS HEREBY GIVEN that a Verified Petition for Adult Name Change has been filed by Cody Allen Hines, to change Petitioner’s name from Cody Allen Hines to Lyn Near Sorenz. The Petition will be heard on the 28 day of April, 2026, at 11:00 a.m. by the Honorable Judge ______, at the Minnehaha County Courthouse, in the City of Sioux Falls, South Dakota. Anyone may appear at that time and place and show reasons, if any, why Petitioner’s name should not be changed.
Dated this 12 day of March, 2026.
ATTEST: Karla Kalb
Clerk of Court
By: /s/
Deputy
Published Mar. 20, Mar. 27, Apr. 3 & Apr. 10, 2026 at the approximate cost of $52.15, and may be viewed free of charge at www.sdpublicnotices.com or TheDakotaScout.com.
-
PUBLISH: Mar. 20, Mar. 27, Apr. 3 & Apr. 10, 2026
STATE OF SOUTH DAKOTA
COUNTY OF MINNEHAHA
IN CIRCUIT COURT
SECOND JUDICIAL CIRCUIT
KIRSTEN STARR WILLIAMS, PLAINTIFF
V.
RONNIE TRYMAIN WILLIAMS JR., DEFENDANT
CASE NO.: 49DIV25-427
SUMMONS
(WITH MINOR CHILD)
TO THE ABOVE-NAMED DEFENDANT:
YOU ARE HEREBY SUMMONED and required to answer the Complaint with Minor Children of the Plaintiff, a copy of which is herewith served upon you, and to serve the Plaintiff with a copy of your Answer, or other proper response, within thiry days of service.
IF YOU FAIL TO DO SO, judgement by default may be taken against you for the relief demanded in the Complaint sixty days from the date of the service of this Summons and Complaint with Minor Children, not counting the day of service.
NOTICE
South Dakota law provides that upon the filing and service of the Summons and Complaint with Minor Children on the Defendant, a Temporary Restraining Order shall be in effect against both parties until the final decree is entered, the Complaint with Minor Children is dismissed or until further order of the Court. Either party may apply to the Court for further temporary orders or modification or revocation of this Order.
TEMPORARY RESTRAINING ORDER
PER SDCL § 25-4-33.1, BY ORDER OF THE COURT, YOU AND YOUR SPOUSE ARE:
(1) Restrained from transferring, encumbering, concealing or in any way dissipating or disposing of any marital assets, without the written consent of the other party or an order of the Court, except as may be necessary in the usual course of business or for the necessities of life. You are to notify the other party of any proposed extraordinary expenditures and to account to the Court for all extraordinary expenditures made after the Temporary Restraining Order is in effect;
(2) Restrained from molesting or disturbing the peace of the other party;
(3) Restrained from removing any minor child of the parties from the state without the written consent of the other party or an order of the court; and
(4) Restrained from making any changes to any insurance coverage for the parties or any child of the parties without the written consent of the other party or an order of the court unless the change under the applicable insurance coverage increases the benefits, adds additional property, persons, or perils to be covered, or is required by the insurer.
INITIAL CUSTODY ORDER
Pursuant to SDCL § 25-4A-11 et seq., upon service of this Summons, the attached South Dakota Parenting Guidlines (Form UJS-302) become an Order of this Court. Except as provided in SDCL § 33-6-10, any minor children of this marriage shall remain in the custody of the parent who has been the primary caregiver for the minor children for the majority of the time in the twelve months preceeding the filing of the Summons and Complaint with Minor Children, unless the parties otherwise agree. The guidelines are subject to any provision established by a South Dakota state court in the following: a temporary or permanent domestic protection order, an order arising out of an abuse or neglect proceeding, a bond condition arising out of a criminal case, and an order in any other proceeding affecting child custody or support. SDCL § 25-4A-14.
The attached guidelines apply and shall continue in effect unless the parties agree or the Court otherwise orders. Imposition of these standard guidelines creates no presumption as to who may be awarded custody at any hearing. Per SDCL § 25-4A-12, any agreement by the parties for visition other than the standard guidelines must be in writing, signed by both parties, and filed with the Court. The agreed plan shall be approved by court order and replace the standard guidelines or any plan previously filed.
Per SDCL § 25-4A-13, if either party objects to the implmentation of the South Dakota Parenting Guidelines (Form UJS-302) as the initial custody agreement, the objecting party shall file an objection with the Clerk of Court. The Court shall order a hearing which shall be held not later than thirty days after the date of the objection. The Court shall then issue its temporary custody and visitation order after considering the best interest of the child(ren) consistent with the provisions of SDCL § 25-4-45.
if either spouse violates any of these provisions, that spouse may be found to be in contempt of court and may be ordered to pay costs and expenses, including but not limited to the attorney fees of the other spouse.
Dated this 24 day of Feb, 2025.
/s/ Kirsten Starr Williams
Kirsten Starr Williams
2309 S. Ollerich Ave.
Sioux Falls, SD 57106
605-376-5201
Published Mar. 20, Mar. 27, Apr. 3 & Apr. 10, 2026 at the approximate cost of $203.39, and may be viewed free of charge at www.sdpublicnotices.com or TheDakotaScout.com.
-
PUBLISH: Apr. 10, 2026
STATE OF SOUTH DAKOTA
COUNTY OF MINNEHAHA
:SS IN CIRCUIT COURT
SECOND JUDICIAL CIRCUIT
THE PEOPLE OF THE STATE OF SOUTH DAKOTA
EX REL, SOUTH DAKOTA DEPARTMENT OF SOCIAL SERVICES, IN THE INTEREST OF,
A D,
ALLEGED ABUSED/NEGLECTED CHILD
AND CONCERNING
DENISE DEBRA WHITEPLUME
JEREMY JOSEPH JOHN DUBRAY
RESPONDENTS
JUV25-000614
SUMMONS
(ALLEGED ABUSED OR NEGLECTED CHILD)
TO: DENISE DEBRA WHITEPLUME
JEREMY JOSEPH JOHN DUBRAY
AND ALL WHOM IT MAY CONCERN
You are hereby summoned to appear before the above-named Court in its courtroom at the Minnehaha County Courthouse, 425 North Dakota Avenue, Sioux Falls, South Dakota, on May 13 & 14, 2026, at 9:00 AM to answer the Petition of Lyndee Kamrath, now on file with the Clerk of said Court, alleging the above named Child to be an abused/neglected Child and praying that said Child be taken from you and that a guardian be appointed with authority to consent to the adoption of said Child. You must appear at the time and place set forth above to show cause, if any you have, why said Child should not be found abused/neglected and the prayer of said Petition granted or said Child otherwise dealt with. Failure to appear is an admission to the allegation(s) contained in the Petition. You are further notified that the termination of parental rights is a possible remedy of these proceedings and that you and the above-named Child have the right to have an attorney present at all stages of the proceedings.
Dated at Sioux Falls, Minnehaha County, South Dakota, this 2nd day of April, 2026.
KARLA KALB, Clerk
BY: /s/ Brenda Jarrott
Deputy
Published once on Apr. 10, 2026, at the approximate cost of $23.19, and may be viewed free of charge at www.sdpublicnotices.com or TheDakotaScout.com.
-
PUBLISH: Apr. 10, 2026
STATE OF SOUTH DAKOTA
COUNTY OF MINNEHAHA
:SS IN CIRCUIT COURT
SECOND JUDICIAL CIRCUIT
IN THE MATTER OF
Z H, Z H, P M, II, S M, Z M, I P,
ALLEGED ABUSED/NEGLECTED CHILDREN
JUV24-001588
NOTICE OF ENTRY OF ORDER
TO: Piter Vasilovich ManuyloSr., Lorenzo Ray Hampton, Unknown Fathers, Layla Edith Paredes, Rosebud Sioux Tribe and all to whom it may concern:
You will take notice that an Order of Adjudication as to the Unknown Father, ICWA affidavit and Final Dispositional Order affecting your parental rights was made and entered in the matter entitled above by the above entitled Court and filed with the Clerk and that attached hereto is a true and correct copy thereof.
Dated this 2nd day of April, 2026.
/s/Brianna Palomaki
Carrie Mees/Brianna Palomaki/Lyndee Kamrath
Deputy State’s Attorney
Minnehaha County State’s Attorney’s Office
415 N. Dakota Ave.
Sioux Falls, SD 57104
(605) 367-4226
Published once on Apr. 10, 2026, at the approximate cost of $14.82, and may be viewed free of charge at www.sdpublicnotices.com or TheDakotaScout.com.
-
PUBLISH: Apr. 10, 2026
STATE OF SOUTH DAKOTA
COUNTY OF MINNEHAHA
:SS IN CIRCUIT COURT
SECOND JUDICIAL CIRCUIT
IN THE MATTER OF
W G,
ALLEGED ABUSED/NEGLECTED CHILD
JUV25-001647
NOTICE OF ENTRY OF ORDER
TO: Willie Jackson, and all to whom it may concern:
You will take notice that on the 1st day of April, 2026 an Order of Adjudication was made and entered in the matter entitled above by the above entitled Court and filed with the Clerk and that attached hereto is a true and correct copy thereof.
Dated this 7th day of April, 2026.
/s/Brianna Palomaki
Carrie Mees/Brianna Palomaki/Lyndee Kamrath
Deputy State’s Attorney
Minnehaha County State’s Attorney’s Office
415 N. Dakota Ave.
Sioux Falls, SD 57104
(605) 367-4226
Published once on Apr. 10, 2026, at the approximate cost of $12.24, and may be viewed free of charge at www.sdpublicnotices.com or TheDakotaScout.com.
-
PUBLISH: Apr. 10, 2026
STATE OF SOUTH DAKOTA
COUNTY OF MINNEHAHA
:SS IN CIRCUIT COURT
SECOND JUDICIAL CIRCUIT
IN THE MATTER OF
A B, A C,
ALLEGED ABUSED/NEGLECTED CHILDREN
JUV26-000089
NOTICE OF ENTY OF ORDER
TO: Ian Cook, Cheyenne River Sioux Tribe, and all to whom it may concern:
You will take notice that on the 1st day of April, 2026 an Order of Adjudication was made and entered in the matter entitled above by the above entitled Court and filed with the Clerk and that attached hereto is a true and correct copy thereof.
Dated this 8th day of April, 2026.
/s/Brianna Palomaki
Carrie Mees/Brianna Palomaki/Lyndee Kamrath
Deputy State’s Attorney
Minnehaha County State’s Attorney’s Office
415 N. Dakota Ave.
Sioux Falls, SD 57104
(605) 367-4226
Published once on Apr. 10, 2026, at the approximate cost of $12.56, and may be viewed free of charge at www.sdpublicnotices.com or TheDakotaScout.com.
-
PUBLISH: Apr. 10, 2026
STATE OF SOUTH DAKOTA
COUNTY OF MINNEHAHA
:SS IN CIRCUIT COURT
SECOND JUDICIAL CIRCUIT
THE PEOPLE OF THE STATE OF SOUTH DAKOTA
EX REL, SOUTH DAKOTA DEPARTMENT OF SOCIAL SERVICES, IN THE INTEREST OF,
A D,
ALLEGED ABUSED/NEGLECTED CHILD
AND CONCERNING
DENISE DEBRA WHITEPLUME
JEREMY JOSEPH JOHN DUBRAY
RESPONDENTS
JUV25-000614
SUMMONS
(ALLEGED ABUSED OR NEGLECTED CHILD)
TO: DENISE DEBRA WHITEPLUME
JEREMY JOSEPH JOHN DUBRAY
AND ALL WHOM IT MAY CONCERN
You are hereby summoned to appear before the above-named Court in its courtroom at the Minnehaha County Courthouse, 425 North Dakota Avenue, Sioux Falls, South Dakota, on May 13 & 14, 2026, at 9:00 AM to answer the Petition of Lyndee Kamrath, now on file with the Clerk of said Court, alleging the above named Child to be an abused/neglected Child and praying that said Child be taken from you and that a guardian be appointed with authority to consent to the adoption of said Child. You must appear at the time and place set forth above to show cause, if any you have, why said Child should not be found abused/neglected and the prayer of said Petition granted or said Child otherwise dealt with. Failure to appear is an admission to the allegation(s) contained in the Petition. You are further notified that the termination of parental rights is a possible remedy of these proceedings and that you and the above-named Child have the right to have an attorney present at all stages of the proceedings.
Dated at Sioux Falls, Minnehaha County, South Dakota, this 2nd day of April, 2026.
KARLA KALB, Clerk
BY: /s/ Brenda Jarrott
Deputy
Published once on Apr. 10, 2026, at the approximate cost of $23.19, and may be viewed free of charge at www.sdpublicnotices.com or TheDakotaScout.com.
-
PUBLISH: Apr. 10, 2026
STATE OF SOUTH DAKOTA
COUNTY OF MINNEHAHA
:SS IN CIRCUIT COURT
SECOND JUDICIAL CIRCUIT
THE PEOPLE OF THE STATE OF SOUTH DAKOTA
EX REL, SOUTH DAKOTA DEPARTMENT OF SOCIAL SERVICES, IN THE INTEREST OF,
M M A.K.A. M.T. JR,
ALLEGED ABUSED/NEGLECTED CHILD
AND CONCERNING
MINA ANNETTE MONIZ
MCCOY TERRY SR
RESPONDENTS
JUV26-000236
AMENDED SUMMONS
(ALLEGED ABUSED OR NEGLECTED CHILD)
TO: MINA ANNETTE MONIZ, MCCOY TERRY SR AND ALL WHOM IT MAY CONCERN
You are hereby summoned to appear before the above-named Court in its courtroom at the Minnehaha County Courthouse, 425 North Dakota Avenue, Sioux Falls, South Dakota, on April 27, 2026, at 9:00 AM to answer the Petition of CARRIE MEES, now on file with the Clerk of said Court, alleging the above named Child to be an abused/neglected Child and praying that said Child be taken from you and that a guardian be appointed with authority to consent to the adoption of said Child. You must appear at the time and place set forth above to show cause, if any you have, why said Child should not be found abused/neglected and the prayer of said Petition granted or said Child otherwise dealt with. Failure to appear is an admission to the allegation(s) contained in the Petition. You are further notified that the termination of parental rights is a possible remedy of these proceedings and that you and the above-named Child have the right to have an attorney present at all stages of the proceedings.
Dated at Sioux Falls, Minnehaha County, South Dakota, this 9th day of March, 2026.
KARLA KALB, Clerk
BY: /s/ Alyssa King
Deputy
Published once on Apr. 10, 2026, at the approximate cost of $23.51, and may be viewed free of charge at www.sdpublicnotices.com or TheDakotaScout.com.
-
PUBLISH: Apr. 10, 2026
STATE OF SOUTH DAKOTA
COUNTY OF MINNEHAHA
:SS IN CIRCUIT COURT
SECOND JUDICIAL CIRCUIT
THE PEOPLE OF THE STATE OF SOUTH DAKOTA
EX REL, SOUTH DAKOTA DEPARTMENT OF SOCIAL SERVICES, IN THE INTEREST OF,
R Z,
ALLEGED ABUSED/NEGLECTED CHILD
AND CONCERNING
BRITANI LEIGH RILEY
JUSTIN DEAN ZYLSTRA
RESPONDENTS
JUV26-000324
SUMMONS
(ALLEGED ABUSED OR NEGLECTED CHILD)
TO: BRITANI LEIGH RILEY
JUSTIN DEAN ZYLSTRA
AND ALL WHOM IT MAY CONCERN
You are hereby summoned to appear before the above-named Court in its courtroom at the Minnehaha County Courthouse, 425 North Dakota Avenue, Sioux Falls, South Dakota, on May 19, 2026, at 9:00 AM to answer the Petition of BRIANNA PALOMAKI, now on file with the Clerk of said Court, alleging the above named Child to be an abused/neglected Child and praying that said Child be taken from you and that a guardian be appointed with authority to consent to the adoption of said Child. You must appear at the time and place set forth above to show cause, if any you have, why said Child should not be found abused/neglected and the prayer of said Petition granted or said Child otherwise dealt with. Failure to appear is an admission to the allegation(s) contained in the Petition. You are further notified that the termination of parental rights is a possible remedy of these proceedings and that you and the above-named Child have the right to have an attorney present at all stages of the proceedings.
Dated at Sioux Falls, Minnehaha County, South Dakota, this 19th day of March, 2026.
KARLA KALB, Clerk
BY: /s/ Alyssa King
Deputy
Published once on Apr. 10, 2026, at the approximate cost of $23.51, and may be viewed free of charge at www.sdpublicnotices.com or TheDakotaScout.com.
-
PUBLISH: Apr. 10, 2026
STATE OF SOUTH DAKOTA
COUNTY OF MINNEHAHA
:SS IN CIRCUIT COURT
SECOND JUDICIAL CIRCUIT
THE PEOPLE OF THE STATE OF SOUTH DAKOTA
EX REL, SOUTH DAKOTA DEPARTMENT OF SOCIAL SERVICES, IN THE INTEREST OF,
A P, F P, L P,
ALLEGED ABUSED/NEGLECTED CHILDREN
AND CONCERNING
UNKNOWN MOTHER
UNKNOWN FATHERS
RESPONDENTS
JUV25-001092
AMENDED SUMMONS
(ALLEGED ABUSED OR NEGLECTED CHILD)
TO: UNKNOWN MOTHER, UNKNOWN FATHERS, Marie Durolin, Ricardo Pyfrom
AND ALL WHOM IT MAY CONCERN
You are hereby summoned to appear before the above-named Court in its courtroom at the Minnehaha County Courthouse, 425 North Dakota Avenue, Sioux Falls, South Dakota, on April 29, 2026, at 9:00 AM to answer the Petition of BRIANNA PALOMAKI, now on file with the Clerk of said Court, alleging the above named Children to be an abused/neglected Children and praying that said Children be taken from you and that a guardian be appointed with authority to consent to the adoption of said Children. You must appear at the time and place set forth above to show cause, if any you have, why said Children should not be found abused/neglected and the prayer of said Petition granted or said Children otherwise dealt with. Failure to appear is an admission to the allegation(s) contained in the Petition. You are further notified that the termination of parental rights is a possible remedy of these proceedings and that you and the above-named Children have the right to have an attorney present at all stages of the proceedings.
Dated at Sioux Falls, Minnehaha County, South Dakota, this 15th day of January, 2026.
KARLA KALB, Clerk
BY: /s/ Alyssa King (Cortez)
Deputy
Published once on Apr. 10, 2026, at the approximate cost of $24.15, and may be viewed free of charge at www.sdpublicnotices.com or TheDakotaScout.com.
-
PUBLISH: Apr. 10, 2026
STATE OF SOUTH DAKOTA
COUNTY OF MINNEHAHA
:SS IN CIRCUIT COURT
SECOND JUDICIAL CIRCUIT
THE PEOPLE OF THE STATE OF SOUTH DAKOTA
EX REL, SOUTH DAKOTA DEPARTMENT OF SOCIAL SERVICES, IN THE INTEREST OF,
D M,
ALLEGED ABUSED/NEGLECTED CHILD
AND CONCERNING
ROSE MARY MARSHALL
UNKNOWN FATHER
RESPONDENTS
JUV25-001567
AMENDED SUMMONS
(ALLEGED ABUSED OR NEGLECTED CHILD)
TO: ROSE MARY MARSHALL
UNKNOWN FATHER
AND ALL WHOM IT MAY CONCERN
You are hereby summoned to appear before the above-named Court in its courtroom at the Minnehaha County Courthouse, 425 North Dakota Avenue, Sioux Falls, South Dakota, on July 15, 2026, at 9:00 AM to answer the Petition of CARRIE MEES, now on file with the Clerk of said Court, alleging the above named Child to be an abused/neglected Child and praying that said Child be taken from you and that a guardian be appointed with authority to consent to the adoption of said Child. You must appear at the time and place set forth above to show cause, if any you have, why said Child should not be found abused/neglected and the prayer of said Petition granted or said Child otherwise dealt with. Failure to appear is an admission to the allegation(s) contained in the Petition. You are further notified that the termination of parental rights is a possible remedy of these proceedings and that you and the above-named Child have the right to have an attorney present at all stages of the proceedings.
Dated at Sioux Falls, Minnehaha County, South Dakota, this 26th day of March, 2026.
KARLA KALB, Clerk
BY: /s/ Alyssa King
Deputy
Published once on Apr. 10, 2026, at the approximate cost of $23.83, and may be viewed free of charge at www.sdpublicnotices.com or TheDakotaScout.com.
-
PUBLISH: Apr. 10, 2026
STATE OF SOUTH DAKOTA
COUNTY OF MINNEHAHA
:SS IN CIRCUIT COURT
SECOND JUDICIAL CIRCUIT
THE PEOPLE OF THE STATE OF SOUTH DAKOTA
EX REL, SOUTH DAKOTA DEPARTMENT OF SOCIAL SERVICES, IN THE INTEREST OF,
B I, W I, A P, M P,
ALLEGED ABUSED/NEGLECTED CHILDREN
AND CONCERNING
KARLA SUE PEREZ
WILSON ARIEL IGLESIASPINEDA
PABLO PEREZ-AVILA
RESPONDENTS
JUV25-001528
AMENDED SUMMONS
(ALLEGED ABUSED OR NEGLECTED CHILD)
TO: KARLA SUE PEREZ
WILSON ARIEL IGLESIASPINEDA
PABLO PEREZ-AVILA
AND ALL WHOM IT MAY CONCERN
You are hereby summoned to appear before the above-named Court in its courtroom at the Minnehaha County Courthouse, 425 North Dakota Avenue, Sioux Falls, South Dakota, on July 22, 2026, at 9:00 AM to answer the Petition of CARRIE MEES, now on file with the Clerk of said Court, alleging the above named Children to be an abused/neglected Children and praying that said Children be taken from you and that a guardian be appointed with authority to consent to the adoption of said Children. You must appear at the time and place set forth above to show cause, if any you have, why said Children should not be found abused/neglected and the prayer of said Petition granted or said Children otherwise dealt with. Failure to appear is an admission to the allegation(s) contained in the Petition. You are further notified that the termination of parental rights is a possible remedy of these proceedings and that you and the above-named Children have the right to have an attorney present at all stages of the proceedings.
Dated at Sioux Falls, Minnehaha County, South Dakota, this 10th day of December, 2025.
KARLA KALB, Clerk
BY: /s/ Alyssa King
Deputy
Published once on Apr. 10, 2026, at the approximate cost of $25.44, and may be viewed free of charge at www.sdpublicnotices.com or TheDakotaScout.com.
-
PUBLISH: Apr. 10, 2026
STATE OF SOUTH DAKOTA
COUNTY OF MINNEHAHA
:SS IN CIRCUIT COURT
SECOND JUDICIAL CIRCUIT
THE PEOPLE OF THE STATE OF SOUTH DAKOTA
EX REL, SOUTH DAKOTA DEPARTMENT OF SOCIAL SERVICES, IN THE INTEREST OF,
A.A., A.A.,
ABUSED/NEGLECTED CHILDREN,
AND CONCERNING
KIMBERLY JO APPLE
EVERETT LIBBY
DEREK MARCHALL
RESPONDENTS.
JUV 25-240
NOTICE
TO: JOSHUA APPLE
EVERETT SHANGREAUX
WANBLI SHANGREAUX
PLEASE TAKE NOTICE that a guardianship hearing involving the above-referenced children will be brought on for hearing before the Honorable Robin Houwman, Circuit Court Judge, in the Minnehaha County Courthouse, Sioux Falls, South Dakota, on the 2nd day of June, 2026, at 9 a.m., or as soon thereafter as counsel can be heard.
Dated at Sioux Falls, Minnehaha County, South Dakota, this 2nd day of April, 2026.
KARLA KALB, Clerk
BY: /s/ Alyssa King
Deputy
Published once on Apr. 10, 2026, at the approximate cost of $15.46, and may be viewed free of charge at www.sdpublicnotices.com or TheDakotaScout.com.
-
PUBLISH: Apr. 10, 2026
STATE OF SOUTH DAKOTA
COUNTY OF MINNEHAHA
:SS IN CIRCUIT COURT
SECOND JUDICIAL CIRCUIT
THE PEOPLE OF THE STATE OF SOUTH DAKOTA
EX REL, SOUTH DAKOTA DEPARTMENT OF SOCIAL SERVICES, IN THE INTEREST OF,
P G,
ALLEGED ABUSED/NEGLECTED CHILD
AND CONCERNING
TIFFANY GUNDER-WALLACE
TERRANCE SPARKMAN
RESPONDENTS
JUV25-000529
SUMMONS
(ALLEGED ABUSED OR NEGLECTED CHILD)
TO: TIFFANY GUNDER-WALLACE
TERRANCE SPARKMAN
AND ALL WHOM IT MAY CONCERN
You are hereby summoned to appear before the above-named Court in its courtroom at the Minnehaha County Courthouse, 425 North Dakota Avenue, Sioux Falls, South Dakota, on May 28, 2026, at 9:00 AM to answer the Petition of Carrie Mees, now on file with the Clerk of said Court, alleging the above named Child to be an abused/neglected Child and praying that said Child be taken from you and that a guardian be appointed with authority to consent to the adoption of said Child. You must appear at the time and place set forth above to show cause, if any you have, why said Child should not be found abused/neglected and the prayer of said Petition granted or said Child otherwise dealt with. Failure to appear is an admission to the allegation(s) contained in the Petition. You are further notified that the termination of parental rights is a possible remedy of these proceedings and that you and the above-named Child have the right to have an attorney present at all stages of the proceedings.
Dated at Sioux Falls, Minnehaha County, South Dakota, this 6th day of April, 2026.
KARLA KALB, Clerk
BY: /s/ Alyssa King
Deputy
Published once on Apr. 10, 2026, at the approximate cost of $23.83, and may be viewed free of charge at www.sdpublicnotices.com or TheDakotaScout.com.
-
PUBLISH: Apr. 10, 2026
STATE OF SOUTH DAKOTA
COUNTY OF MINNEHAHA
:SS IN CIRCUIT COURT
SECOND JUDICIAL CIRCUIT
THE PEOPLE OF THE STATE OF SOUTH DAKOTA
EX REL, SOUTH DAKOTA DEPARTMENT OF SOCIAL SERVICES, IN THE
INTEREST OF,
M K,
ALLEGED ABUSED/NEGLECTED CHILD
AND CONCERNING
DESTINY MARIE DUNCAN
MASON ALLEN KENNEDY
RESPONDENTS
JUV26-000210
SUMMONS
(ALLEGED ABUSED OR NEGLECTED CHILD)
TO: DESTINY MARIE DUNCAN
MASON ALLEN KENNEDY
AND ALL WHOM IT MAY CONCERN
You are hereby summoned to appear before the above-named Court in its courtroom at the Minnehaha County Courthouse, 425 North Dakota Avenue, Sioux Falls, South Dakota, on May 5, 2026, at 9:00 AM to answer the Petition of Lyndee Kamrath, now on file with the Clerk of said Court, alleging the above named Child to be an abused/neglected Child and praying that said Child be taken from you and that a guardian be appointed with authority to consent to the adoption of said Child. You must appear at the time and place set forth above to show cause, if any you have, why said Child should not be found abused/neglected and the prayer of said Petition granted or said Child otherwise dealt with. Failure to appear is an admission to the allegation(s) contained in the Petition. You are further notified that the termination of parental rights is a possible remedy of these proceedings and that you and the above-named Child have the right to have an attorney present at all stages of the proceedings.
Dated at Sioux Falls, Minnehaha County, South Dakota, this 5th day of March, 2026.
KARLA KALB, Clerk
BY: /s/ Alyssa King
Deputy
Published once on Apr. 10, 2026, at the approximate cost of $23.83, and may be viewed free of charge at www.sdpublicnotices.com or TheDakotaScout.com.
-
PUBLISH: Apr. 10, 2026
STATE OF SOUTH DAKOTA
COUNTY OF MINNEHAHA
:SS IN CIRCUIT COURT
SECOND JUDICIAL CIRCUIT
THE PEOPLE OF THE STATE OF SOUTH DAKOTA
EX REL, SOUTH DAKOTA DEPARTMENT OF SOCIAL SERVICES, IN THE INTEREST OF,
L K,
ALLEGED ABUSED/NEGLECTED CHILD
AND CONCERNING
MADELEINE ELISABETH KOCHEVAR
UNKNOWN FATHER
RESPONDENTS
JUV24-001667
5TH AMENDED SUMMONS
(ALLEGED ABUSED OR NEGLECTED CHILD)
TO: MADELEINE ELISABETH KOCHEVAR
UNKNOWN FATHER
AND ALL WHOM IT MAY CONCERN
You are hereby summoned to appear before the above-named Court in its courtroom at the Minnehaha County Courthouse, 425 North Dakota Avenue, Sioux Falls, South Dakota, on May 5, 2026, at 10:00 AM to answer the Petition of BRIANNA PALOMAKI, now on file with the Clerk of said Court, alleging the above named Child to be an abused/neglected Child and praying that said Child be taken from you and that a guardian be appointed with authority to consent to the adoption of said Child. You must appear at the time and place set forth above to show cause, if any you have, why said Child should not be found abused/neglected and the prayer of said Petition granted or said Child otherwise dealt with. Failure to appear is an admission to the allegation(s) contained in the Petition. You are further notified that the termination of parental rights is a possible remedy of these proceedings and that you and the above-named Child have the right to have an attorney present at all stages of the proceedings.
Dated at Sioux Falls, Minnehaha County, South Dakota, this 8th day of April, 2026.
KARLA KALB, Clerk
BY: /s/ Alyssa King
Deputy
Published once on Apr. 10, 2026, at the approximate cost of $24.48, and may be viewed free of charge at www.sdpublicnotices.com or TheDakotaScout.com.
-
PUBLISH: Apr. 10, 2026
STATE OF SOUTH DAKOTA
COUNTY OF MINNEHAHA
:SS IN CIRCUIT COURT
SECOND JUDICIAL CIRCUIT
THE PEOPLE OF THE STATE OF SOUTH DAKOTA
EX REL, SOUTH DAKOTA DEPARTMENT OF SOCIAL SERVICES, IN THE INTEREST OF,
P L,
ALLEGED ABUSED/NEGLECTED CHILD
AND CONCERNING
JULIA ROSE LEE
UNKNOWN FATHER
RESPONDENTS
JUV25-000586
2ND AMENDED SUMMONS
(ALLEGED ABUSED OR NEGLECTED CHILD)
TO: JULIA ROSE LEE, UNKNOWN FATHER, Mark Crompton AND ALL WHOM IT MAY CONCERN
You are hereby summoned to appear before the above-named Court in its courtroom at the Minnehaha County Courthouse, 425 North Dakota Avenue, Sioux Falls, South Dakota, on May 5, 2026, at 10:00 AM to answer the Petition of BRIANNA PALOMAKI, now on file with the Clerk of said Court, alleging the above named Child to be an abused/neglected Child and praying that said Child be taken from you and that a guardian be appointed with authority to consent to the adoption of said Child. You must appear at the time and place set forth above to show cause, if any you have, why said Child should not be found abused/neglected and the prayer of said Petition granted or said Child otherwise dealt with. Failure to appear is an admission to the allegation(s) contained in the Petition. You are further notified that the termination of parental rights is a possible remedy of these proceedings and that you and the above-named Child have the right to have an attorney present at all stages of the proceedings.
Dated at Sioux Falls, Minnehaha County, South Dakota, this 8th day of April, 2026.
KARLA KALB, Clerk
BY: /s/ Alyssa King
Deputy
Published once on Apr. 10, 2026, at the approximate cost of $23.83, and may be viewed free of charge at www.sdpublicnotices.com or TheDakotaScout.com.
The Dakota Scout is the official newspaper of the city of Sioux Falls, the Sioux Falls School District, the Harrisburg School District, Minnehaha and Lincoln counties, and the city of Baltic.













